Скачать Часть II ВодоснабжениеДата актуализации: 01.01.2021
|
| Обозначение: | Часть II |
| Обозначение англ: | Часть II |
| Статус: | не действует |
| Название рус.: | Водоснабжение |
| Дата добавления в базу: | 01.09.2013 |
| Дата актуализации: | 01.01.2021 |
| Область применения: | Документ предназначен для инженерно-технических работников проектных организаций, а также руководящих работников сельского хозяйства и содержит примеры решений схем водоснабжения. |
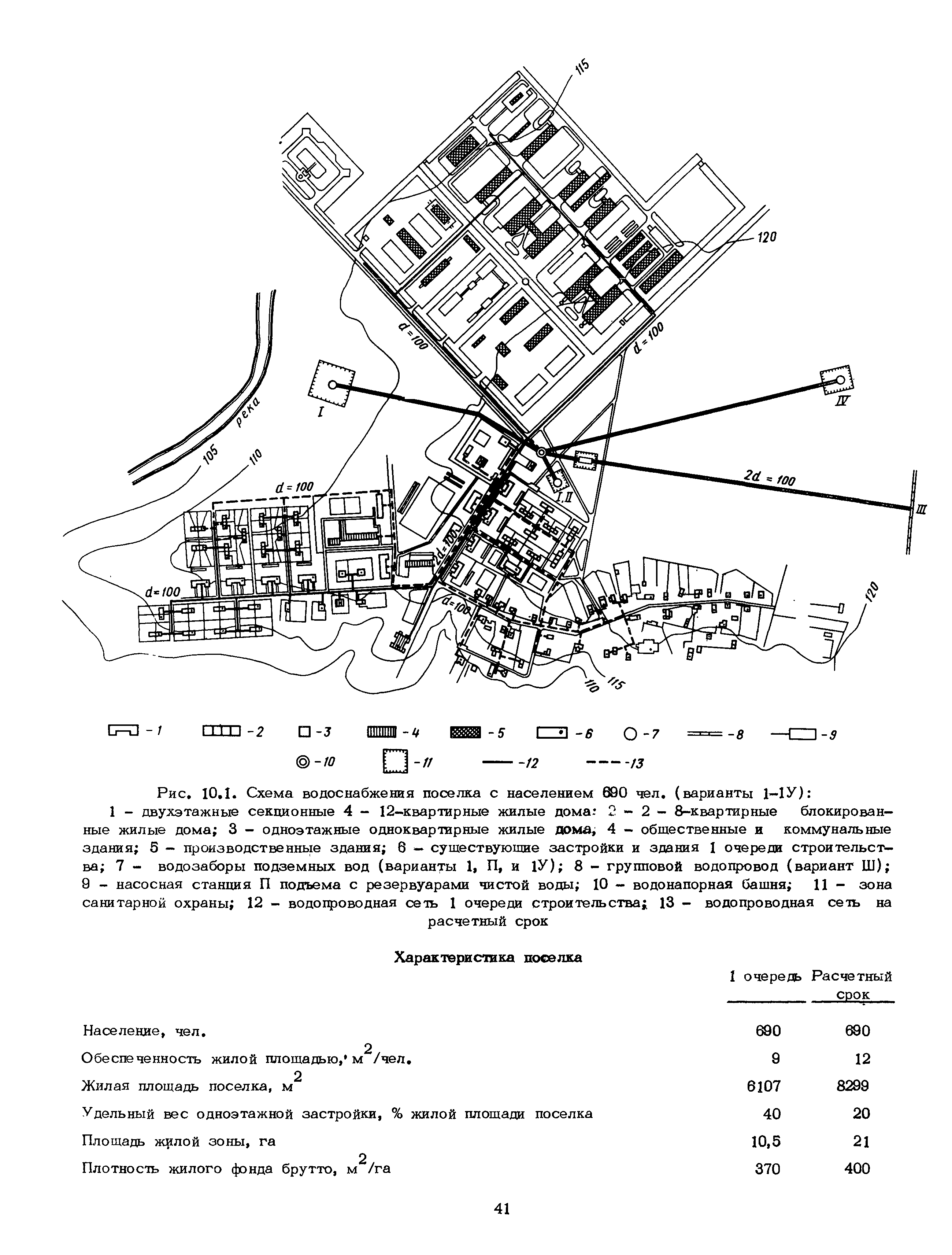
| Оглавление: | Предисловие 1. Основные положения 2. Системы и схемы водоснабжения 3. Технико-экономическое обоснование выбора систем и схем водоснабжения 4. Нормы и коэффициенты неравномерности водопотребления. Расходы воды на пожаротушение и свободные напоры 5. Источники водоснабжения 6. Централизованные системы водоснабжения А. Водозаборы из подземных источников Б. Водозаборы из поверхностных источников В. Сооружения для обработки воды Г. Насосные станции Д. Водопроводные сети и водоводы Е. Водонапорные башни, резервуары и пожарные водоемы 7. Децентрализованные (местные) системы водоснабжения 8. Особые условия водоснабжения сельскохозяйственных производственных зон 9. Приложения 10. Примеры решения схем |
| Разработан: | ЦНИИЭП |
| Издан: | Стройиздат (1978 г. ) |
| Нормативные ссылки: |

















































































