МИНИСТЕРСТВО ТРАНСПОРТА РОССИЙСКОЙ ФЕДЕРАЦИИ
ДЕПАРТАМЕНТ МОРСКОГО ТРАНСПОРТА
НАСТАВЛЕНИЕ
ПО ОБЕСПЕЧЕНИЮ
НАВИГАЦИОННОЙ БЕЗОПАСНОСТИ
РАБОТЫ ДНОУГЛУБИТЕЛЬНОГО
ФЛОТА
РД 31.74.07-95
Москва
1995
|
МИНИСТЕРСТВО ТРАНСПОРТА ДЕПАРТАМЕНТ МОРСКОГО ТРАНСПОРТА 103759, Москва, Рождественка, 1/4 Телетайп 207512 Моск, Телекс 411197 MMF SU Телефон 926-10-00, Факс 926-91-28 от 30.05.1995 г. № ДМТ-35/1142 на № __________________________ О введении в действие РД 31.74.07-95 |
|
|
|
Руководителям предприятий и |
В связи с утверждением «Наставления по обеспечении навигационной безопасности дноуглубительного флота» (РД 31.74.07-95)
Предлагаю:
1. Ввести в действие «Наставление по обеспечении навигационной безопасности дноуглубительного флота» (РД 31.74.08-95) с 1 июля 1995 г.
2. РД 31.74.07-83 считать утратившим силу.
3. Контроль исполнения возложить на АО «Ростовское ЦПКБ «Стапель».
|
Заместитель Директора |
Б.С. Гришин |
РД 31.74.07-95
МИНИСТЕРСТВО ТРАНСПОРТА РОССИЙСКОЙ ФЕДЕРАЦИИ
ДЕПАРТАМЕНТ МОРСКОГО ТРАНСПОРТА
НОРМАТИВНЫЙ ДОКУМЕНТ
НАСТАВЛЕНИЕ ПО ОБЕСПЕЧЕНИЮ
НАВИГАЦИОННОЙ БЕЗОПАСНОСТИ
РАБОТЫ ДНОУГЛУБИТЕЛЬНОГО
ФЛОТА
Департамент морского транспорта
Москва
1995
ПРЕДИСЛОВИЕ
|
1. Разработан |
АО «Ростовское ЦПКБ» «Стапель» |
|
Генеральный директор Главный инженер Зав. отделом Ответственный исполнитель |
А.В. Святенко И.В. Санкин К.П. Кобец Н.А. Ирхин |
|
Согласован: |
|
|
АО «Северное морское пароходство» Начальник службы дноуглубительных работ |
В.П. Шошин |
|
Северо-Каспийское пароходство Начальник пароходства |
Н.Д. Абакшин |
|
Азовское управление морских путей Начальник управления |
Ю.Н. Романченко |
2. Утвержден и введен в действие письмом Департамента морского транспорта Российской Федерации от 30.05.95 № ДМТ-35/1142. Зам. директора ДМТ Б.С. Гришин.
3. Взамен РД 31.74.07-83
СОДЕРЖАНИЕ
НОРМАТИВНЫЙ ДОКУМЕНТ
НАСТАВЛЕНИЕ ПО
ОБЕСПЕЧЕНИЮ
НАВИГАЦИОННОЙ БЕЗОПАСНОСТИ
РАБОТЫ ДНОУГЛУБИТЕЛЬНОГО
ФЛОТА
Дата введения 01.07.95
Настоящий нормативный документ (НД) устанавливает:
- правила организации и выполнения дноуглубительных работ в районах с повышенной навигационной опасностью;
- перечень участков дноуглубительных работ с повышенной навигационной опасностью.
Определяет условия возникновения аварийной ситуации и безопасные способы съемки и ухода земснаряда в укрытие.
НД является обязательным документом для предприятий, заказывающих и выполняющих дноуглубительные работы, администраций служб, осуществляющих контроль за работой флота в пределах портовых вод, экипажей судов дноуглубительного флота.
В настоящем НД использованы ссылки на следующие документы:
|
ГСС РФ. Общие требования к построению, изложению, оформлению и содержанию стандартов. |
|
|
Технология промерных работ при производстве дноуглубительных работ. |
|
|
Техническая инструкция по производству морских дноуглубительных работ. |
|
|
Наставление по борьбе за живучесть судов морского флота (НЖБС). |
|
|
Нормы проектирования морских каналов. |
|
|
РД 31.29.04-90 |
Суда дноуглубительного флота. Рабочие устройства. Правила технической эксплуатации. |
3.1. К опасным в навигационном отношении участкам дноуглубительных работ относятся:
- участки, на акватории которых имеются подводные и надводные препятствия и гидротехнические сооружения, с малыми забровочными глубинами или расположенные близко к береговой черте или на береге и открытые воздействию штормовых ветров и волнения;
- участки подходных и соединительных каналов с малыми забровочными глубинами, расположенные в прибрежной зоне на значительном удалении от порта-убежища;
- участки, расположенные в узостях с интенсивным судоходством;
- участки с большой массой битого льда с возможной подвижкой ледовых полей при выполнении дноуглубительных работ в зимний период.
Перечень районов, объектов и участков работ с повышенной навигационной опасностью, расположенных на акватории России и ближайшего зарубежья, где возможна работа дноуглубительного флота Российской Федерации, приведен в приложении А.
3.2. Степень повышенной навигационной опасности для районов, не вошедших в указанный перечень, устанавливается по совместному заключению судовладельца, заказчика дноуглубительных работ и капитана порта, в водах которого производятся дноуглубительные работы.
3.3. Несамоходным земснарядам выполнять дноуглубительные работы на опасных в навигационном отношении участках, перечень которых приведен в обязательном приложении А, запрещено.
3.4. Дноуглубительные работы на опасных в навигационном отношении участках должны выполняться в благоприятные периоды года с применением наиболее производительных технических средств дноуглубления.
3.5. На всех судах земкаравана должны быть радиостанции УКВ и организована круглосуточная непрерывная связь с портнадзором, диспетчерской службой, с судами земкаравана и судами транспортного флота при расхождении с ними.
3.6. Запрещается пребывание на судах посторонних лиц и семей членов экипажа в период выполнения дноуглубительных работ на опасном в навигационном отношении участке.
3.7. Земснаряды и суда, входящие в состав земкаравана, должны быть технически исправны и иметь разрешение инспекции Регистра на право плавания в районе производства дноуглубительных работ.
3.8. Радиосвязь земснаряда с портнадзором и диспетчерской службой порта должна быть круглосуточной и регулярной, обеспечивающей своевременное получение сводок погоды и штормового предупреждения.
3.9. При нахождении на опасном в навигационном отношении участке запрещается проведение на судах профилактического ремонта главных двигателей, вспомогательных механизмов, приводящих в движение винторулевой комплекс, якорное и рабочее устройства. Главные двигатели, палубные механизмы с оснасткой, рабочие устройства и оборудование, а также необходимый инструмент должны быть подготовлены к съемке земснаряда с участка работ в любое время суток. На судах должно присутствовать не менее двух третей экипажа.
3.10. До начала выполнения дноуглубительных работ на участке опасном в навигационном отношении морской инспекцией или опытным капитаном судовладельца должна составляться «Временная инструкция по обеспечению навигационной безопасности земкаравана для конкретного участка работы» (форма типовой временной инструкции приведена в приложении Б). Временная инструкция» утверждается судовладельцем, согласовывается капитаном порта, в водах которого будут проводиться дноуглубительные работы, и доставляется капитан-багермейстеру земснаряда.
3.11. До прихода земкаравана на объект (участок) дноуглубительных работ должны быть выполнены следующие подготовительные работы:
- выполнен промер на участке работ, в местах разворота судов при следовании на отвал, по трассе движения судов на отвал и на отвале и составлен план промера;
- произведена разбивка и закрепление на местности створными знаками рабочих границ прорези;
- произведен подбор опорных знаков или разбивка опорной сети для определения положения земснаряда на прорези;
- произведено обследование участка работ, мест разворота судов при следовании на отвал, трассы движения судов дноуглубительного флота к местам отвала грунта и отвалов грунта на наличие предметов захламления или навигационных опасностей, по результатам которых составляется акт и вручается капитан-багермейстеру земснаряда;
- при обнаружении предметов, представляющих навигационную опасность, должна быть произведена их уборка или ограждение плавучими светящими знаками и места их нахождения обозначены на плане промера с указанием глубин над ними;
- произведена расстановка плавучих знаков навигационного оборудования по трассе движения судов к местам отвала и на отвале грунта;
- согласованы с природоохранными организациями места отвалов грунта, последовательность и способы укладки грунта на отвале, получено разрешение на производство работ;
- при рефулировании самоотвозным землесосом грунта на береговой или мелководный отвал (склад) оборудовано причальное устройство с установкой стыковочного узла для безопасной швартовки и стоянки землесоса в период разгрузки трюма;
- установлены по согласованию со службой капитана порта места отстоя судов дноуглубительного флота в периоды ожидания погрузки и действия штормовой погоды;
- организована система обеспечения судов земкаравана продовольствием, снабжением водой и топливом, сдачи подсланевых вод и мусора;
3.12. Глубины на участке работ, трассе движения на отвал, акватории для разворота и на отвале для самоотвозных землесосов, самоотвозных грейферных земснарядов и грунтоотвозных шаланд должны быть не менее проходных, устанавливаемых РД 31.74.08-94 «Техническая инструкция по производству морских дноуглубительных работ», или рассчитанных по РД 31.31.47-88 «Нормы проектирования морских каналов».
3.13. Ширина акватории для самостоятельного разворота шаланд и самоотвозных земснарядов на 180° должна быть не менее двух длин корпуса судна. Допускается производить развороты самоотвозных землесосов на участке работ, если ширина акватории с глубинами большими или равными проходной глубине данного землесоса - не менее двух длин корпуса.
3.14. Рефулирование самоотвозным землесосом на береговой отвал или мелководье, расположенных на незащищенных от действия ветра и волнения районах допускается при волнении не более трех баллов (высота волны не более 0,5 м).
3.15 Погода считается благоприятной для проведения дноуглубительных и рефулерных работ на опасном в навигационном отношении участке, если скорость действующего ветра и высота волнения не превышают величин, установленных судовыми документами Регистра.
3.16. Судовладелец обязан не реже одного раза в месяц направлять на земкараван, работающий на опасном в навигационном отношении участке, капитана - наставника и багермейстера - наставника для оказания практической помощи в правильной организации мероприятий по обеспечению безаварийной работы земкаравана.
3.17. Инспекция портового надзора и диспетчерская служба порта при получении штормового предупреждения или резком ухудшении погоды обязаны немедленно сообщить об этом капитан-багермейстеру земснаряда, установить с земснарядом систематическую связь, контролировать состояние земкаравана, действия капитан-багермейстера по обеспечению безопасности судна и его экипажа и при возможности возникновения аварийной ситуации направить буксир для оказания помощи земснаряду в съемке с участка работы и уходу в укрытие.
3.18. Капитан-багермейстер, главный (старший) механик, начальник радиостанции и судовой врач во время работы земснаряда на опасном в навигационном участке обязаны постоянно находиться на борту судна. Капитан-багермейстеру разрешается кратковременно оставлять судно только по разрешению судовладельца чем должна быть сделана запись в судовом журнале.
3.19. Несвоевременное получение штормового предупреждения или несоответствие прогноза погоды, не снимает ответственности с капитанов судов земкаравана, выполняющего дноуглубительные работы на опасном в навигационном отношении участке, за непринятие своевременных мер по обеспечению безопасности судов и их экипажей.
3.20. Настоящий нормативный документ, «Временная инструкция» и РД 31.60.14-81 «Наставление по борьбе за живучесть судов Министерства морского флота» не ограничивают инициативы капитана- багермейстера земснаряда и капитанов судов, входящих в состав земкаравана, в принятии своевременных и надежных мер по обеспечению безопасности судов и людей.
3.21. При составлении сметно-договорной документации на выполнение дноуглубительных работ в портах на участках, опасных в навигационном отношении, договаривающиеся стороны должны оформить обязательства по обеспечению безопасности земкаравана и своевременному оказанию помощи.
4.1. Предупредительные мероприятия
4.1.1. Специфичность выполнения дноуглубительных работ папильонажных земснарядов, их конструктивные особенности:
- увеличенная парусность;
- высокое положение центра тяжести;
- малое количество водонепроницаемых переборок;
- ограниченная управляемость;
- перемещение по прорези с помощью завезенных якорей;
ставят суда этого типа в условия повышенной угрозы безопасности при выполнении дноуглубительных работ на открытых прибрежных участках, в районах расположения гидротехнических сооружений, на мелководье и разработке берега при воздействии неблагоприятных гидрометеорологических условий. Специфика папильонажных земснарядов предъявляет повышенное требование к подготовке экипажей в борьбе за живучесть судна в процессе эксплуатации, а также требует разработки и внедрения специальных мероприятий по обеспечению безопасности судна и его экипажа.
4.1.2. Основным мероприятием, обеспечивающим безопасность земснаряда при работе на опасном в навигационном отношении участке работ, является своевременная съемка и уход в порт-убежище, предотвращение возможности возникновения чрезвычайной и аварийной ситуации и, при их возникновении, избежание аварийного происшествия и аварии. Перед выходом земкаравана на опасный в навигационном отношении участок работы должны быть выполнены подготовительные работы.
4.2 Подготовительные работы
4.2.1 Техническим участком или специальной службой судовладельца до прихода земкаравана на участок выполняются подготовительные работы по организации работы земкаравана и подготовке участка работы:
- комплектуется земкараван;
- разрабатывается «Временная инструкция по обеспечению навигационной безопасности земкаравана на данном участке работы», утверждается и согласовывается с капитаном порта;
- определяется необходимость охранного буксира и его мощность, при отсутствии буксира в составе дноуглубительного флота судовладельца производится аренда буксира необходимой мощности в других организациях;
- производится подготовка участка работы согласно требованиям РД 31.74.08-94;
- с капитаном порта и портовой администрацией согласовываются места отстоя судов в ожидании освобождения борта земснаряда для погрузки и при действии штормовой погоды, согласовываются вопросы доставки на суда земкаравана продовольствия, запасов воды и топлива, сдачи подсланевых вод и мусора.
4.2.2 Заказчиком дноуглубительных работ получается разрешение на производство дноуглубительных работ, согласовывается место отвала грунта с природоохранными организациями.
4.2.3 На судах земкаравана изучаются особенности естественного режима района работ, особое внимание уделяется определению господствующего направления штормового ветра (скорость ветра более пяти баллов (более 9,8 м/с)), волнения с высотой волны более допустимой для данного земснаряда, течения и его скорости.
4.2.3.1 По плану промера, ситуационному плану, навигационным картам большого масштаба и лоциям производится ознакомление с особенностями участка работ, наличием надводных и подводных препятствий, направлением трассы движения судов на отвал грунта, особенностями отвала грунта.
4.2.3.2 Производится изучение обязательного постановления по порту, в водах которого расположен участок работ, настоящего нормативного документа, «Временной инструкции по обеспечению навигационной безопасности, разработанной морской инспекцией управления, технического задания на производство дноуглубительных работ и документации по обследованию участка работы, трассы движения на отвал и отвала.
4.2.3.3 Корректируется судовое расписание по тревогам по фактическому составу экипажа судна и с учетом особенностей предстоящей работы.
4.2.3.4 Производится проверка в действии судовых систем исправности и герметичности всех закрытий. На иллюминаторы, расположенные ниже главной палубы устанавливаются металлические заглушки.
4.2.3.5 Проводится учебная тревога в борьбе за живучесть судна с разбором результатов и разработкой мероприятий по выявленным недостаткам.
4.2.4 На многочерпаковых земснарядах подготавливаются буйки с буйрепами для рабочих тросов на случай их сматывания и оставления на участке работы. На рабочих якорях устанавливаются буйки с буйрепами, длина которых позволяет подъем буйка на мотозавозню и намотку буйрепа на турачку лебедки.
4.2.4.1 На рабочих лебедках производится крепление рабочих тросов на барабанах с учетом их быстрой отдачи при сматывании. Регулируется тормозная система барабанов на свободное стравливание рабочих тросов. Проверяется работа тросоукладчиков шкивов и блоков.
4.2.4.2 Проверяется готовность к работе и укомплектованность газо-резательного (электрорезательного) аппарата.
4.2.5 Разрабатывается схема съемки земснаряда и уход в порт - убежище по вариантам:
- съемка с участка с уборкой всех якорей на борт земснаряда;
- съемка с участка со сматыванием и оставлением рабочих тросов на участке работ;
- съемка с участка работ с использование охранного буксира.
4.2.6 На случай использования буксира для букировки земснаряда в порт-убежище подготавливается и заводится буксирная брага.
4.3 Предупредительные мероприятия при производстве дноуглубительных работ
4.3.1 После установки земснаряда на участке работы капитан-багермейстер обязан проинформировать об этом службу капитана порта, организовать систематическое наблюдение за состоянием погоды и получение прогнозов погоды и штормовых предупреждений.
4.3.2. На многочерпаковом, грейферном и штанговом земснарядах капитан-багермейстер должен провести совещания с капитанами судов, входящих в состав земкаравана, с целью разработки и отработки схемы совместных действий на случай резкого ухудшения погоды и необходимости экстренной съемки земснаряда с участка работы.
4.3.2.1 Отработать с вахтенной службой земснаряда задачи по съемке земснаряда с участка работы в штормовую погоду по вариантам:
- самостоятельная съемка с участка работы;
- съемка с участка с помощью охранного буксира;
- связь с портнадзором;
- вызов буксира и обеспечение его безопасного подхода к земснаряду, прием буксирного троса.
4.3.2.2 Согласовать с портнадзором и отработать с вахтенной службой земснаряда порядок расхождения с крупнотоннажными судами транспортного флота.
4.3.3 На самоотвозном землесосе при выполнении дноуглубительных работ необходимо выполнять следующие требования:
- разработку мелководной бровки при наличии дрейфа, вызываемого действием бокового ветра и течения, следует производить грунтозаборным устройством наветренного борта;
- если дрейф землесоса от действия ветра и течения невозможно компенсировать действием подруливающего и рулевого устройства землесоса, работа землесоса должна быть остановлена;
- при ширине акватории на участке работ с глубинами, равными или превышающими проходную глубину землесоса, менее полуторной длины землесоса или действие ветра и течения увеличивают траекторию разворота землесоса на 180°, разворот для смене галсов должен производиться на акваториях с достаточной площадью для выполнения маневра;
- расхождение землесоса с судами транспортного флота должно производиться строго по правилам предупреждения столкновений судов на море (ППСС) и предварительной договоренности с судном;
- при расхождении с крупнотоннажными судами, идущими на предельной осадке, землесос должен прекратить грунтозабор и поднять грунтоприемники;
- при рефулировании грунта из трюма на береговой или мелководный отвал по напорному грунтопроводу, стыковочное устройство которого расположено на причальном сооружении, причальное сооружение в ночное время должно иметь надежное и достаточное освещение, швартовка землесоса должна производиться специальной бригадой швартовщиков, находящихся на причальном сооружении;
- если площадь акватории у причального устройства недостаточна для самостоятельной швартовки землесоса к причалу или конструкция причального устройства имеет ограничения по судовым нагрузкам, швартовка землесоса должна производиться с использованием буксиров-контовщиков:
- если стыковочное устройство напорного грунтопровода находится на буйке, в местах расположения буйка должны устанавливаться швартовные бочки для надежной швартовки землесоса и его стоянки в процессе разгрузки трюма.
4.3.4 Проводить на земснаряде и судах земкаравана учебные тревоги согласно требованиям РД 31.60.14-81 в любое время суток и при любой погоде, производить разбор результатов и принимать меры к немедленному устранению всех выявленных недостатков как в техническом состоянии отдельных устройств, так и в знаниях экипажа судна.
5.1 Вся прибрежная зона, на которой расположены морские порты и подходы к ним является опасной для судоходства. В этой мелководной зоне в период действия штормового явления происходит деформация волн, образование сложных дрейфовых течений, движение донных наносов. Для защиты акватории порта от волнения и входа в порт от интенсивной заносимости возводятся оградительные сооружения, которые, являясь искусственной преградой, нарушают естественный режим побережья и вызывают сложный гидрологический режим в местах их расположения.
Для защиты основания оградительных сооружений от размыва подводным потоком, образованным от воздействия волн на сооружение, берменная часть сооружений закрепляется каменной отсыпкой или наброской из фигурных бетонных массивов, что создает дополнительную опасность даже в хорошую погоду. Отражение и дифракция волн на входе между оградительными сооружениями создает трехмерное волнение «толчею» с неустановившимися параметрами. Местное сужение на входе и дальнейшее расширение акватории вдоль оградительных сооружений приводит в период действия шторма к образованию сложных дрейфовых течений на всей огражденной акватории, при этом направления и скорости поверхностных и придонных течений могут быть различны.
В настоящем разделе приведены рекомендации по установке и съемке многочерпакового земснаряда на наиболее характерных участках работы, расположенных в прибрежной зоне побережья.
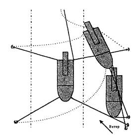
5.2 Участок расположен на акватории, защищенной сходящимися оградительными сооружениями на удалении от оголовков оградительных сооружений (см. рисунок 1)
Рисунок 1 Съемка земснаряда с участка, расположенного между молами 1 ... 3 - положения земснаряда при съемке
Земснаряд устанавливается носом на вход в порт, рабочие папильонажные якоря завозятся под стенку сооружений (при отсутствии берменной отсыпки) или к границе берменной отсылки. При недостаточной ширине акватории троса закрепляются на стенке сооружений. При нахождении черпакового устройства на корме земснаряда завозится носовой становой якорь на расстояние 150 ... 200 м от начала работы земснаряда. При прямом заходе высота волны может достигать величину, превышающую допустимую для работы земснаряда, а при силе ветра более шести баллов (12,4 м) держащей силы рабочих якорей недостаточно для удержания земснаряда. Кроме этого, находящийся на бровке канала земснаряд представляет препятствие для заходящих и выходящих судов в сложных гидрометеорологических условиях. Поэтому, при получении штормового предупреждения или при усилении ветра до шести баллов рекомендуется земснаряду сняться с участка работы и уйти в порт на место отстоя.
Съемку земснаряда рекомендуется производить с оставлением рабочих тросов на участке работы на буйках. При расположении черпакового устройства на корме земснаряда и отстое земснаряда на наветренной бровке сматываются и оставляются на буйках тросы с авантовой и лебедок подветренного борта. Приподнимается черпаковая рама и земснаряд протягивается вперед до прохода кормой буйка оставленного кормового троса. Опускается черпаковая рама на грунт, сматывается и оставляется на буйке трос кормовой лебедки наветренного борта. Сматывается трос с носовой лебедки наветренного борта и поднимается черпаковая рама. Выбирая трос носового станового якоря и, работая движителями, земснаряд подходит к становому якорю, подрывает его и берет на борт. Освободившись от тросов и якорей, земснаряд уходит к месту отстоя.
При расположении черпакового устройства в носовой части земснаряда после сматывания тросов с лебедок подветренного борта земснаряд по авантовому тросу протягивается вперед до оставления за кормой буйка с оставленным кормовым тросом. Сматывается и оставляется на буйке носовой трос наветренного борта. Сматывается и оставляется на буйке кормовой трос наветренного борта. Земснаряд, выбирая авантовый трос и работая движителем, уходит с участка работы.
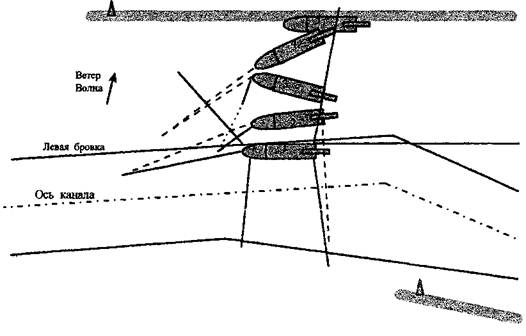
5.3 Участок работы находится на входе акватории, огражденной сходящимися оградительными сооружениями
Земснаряд устанавливается носом на вход в порт (см. рисунок 2).
Рисунок 2 Схема съемки земснаряда с участка, расположенного между головками молов
1 ... 4 - положения земснаряда при съемке
Папильонажные якоря завозятся к стенке оградительного сооружения к границе берменной отсыпки. При недостаточности расстояния для завозки якоря, рабочий трос закрепляется на стенке оградительного сооружения. При расположении черпакового устройства в корме земснаряда в сторону порта завозится носовой становой якорь, который закладывается на расстоянии 150 ... 200 м от начала работы земснаряда под бровку, со стороны которой наблюдается наибольшая повторяемость ветра силой более пяти баллов. При расположении черпакового устройства в носу земснаряда кормовой становой якорь завозить не следует. Авантовый якорь завозится на всю длину троса. При получении штормового предупреждения или при ухудшении погоды необходимо прекратить работу земснаряда и приступить к съемке с участка работы. Земснаряд устанавливается на наветренной бровке прорези на раме. При расположении черпакового устройства в корме земснаряда, сматываются и оставляются на буйках тросы с папильонажных лебедок подветренного борта и авантовый трос. Приподняв черпаковую раму, земснаряд протягивается вперед на носовом становом якоре при поддержке наветренных папильонажных якорей за пределы буйков оставленных тросов. Опускается на грунт черпаковая рама и сматывается трос с кормовой лебедки наветренного борта. Удерживаясь на носовом становом якоре и черпаковой раме, сматывается и оставляется на буйке трос с носовой лебедки наветренного борта, приподнимается рама и земснаряд, работая ходовыми движителями и выбирая носовой становой трос, подходит к якорю, подрывает его и поднимает на борт. Освободившись от тросов, земснаряд уходит к месту отстоя.

Рисунок 3 Схема съемки земснаряда с участка, расположенного между оголовками молов
1 ... 3 - положения земснаряда при съемке
При расположении черпакового устройства в носу земснаряда, земснаряд устанавливается на наветренной бровке, сматываются и оставляются на буйках тросы носовых папильонажных лебедок и трос кормовой подветренной лебедки.
Приподняв черпаковую раму, земснаряд по авантовому тросу протягивается вперед, поддерживая корму на кормовом тросе. После прохода буйков, оставленных на смотанных тросах, сматывается трос с кормовой лебедки наветренного борта и оставляется на буйке. Земснаряд, выбирая авантовый трос и работая движителем, подходит к якорю, подрывает авантовый якорь и подвешивает на борт. Освободившись от тросов и якорей, земснаряд уходит к месту отстоя.
При работе на подобном участке не рекомендуется при съемке земснаряда, связанной с ухудшением погоды или с получением штормового предупреждения, производить уборку рабочих якорей и тросов, так как это требует больших затрат времени и сопряжено с опасностью выброса мотозавозни на каменную или массивную отсыпку бермы.
5.4 Участок работ расположен на открытой акватории за пределами оградительных сооружений, забровочные глубины не позволяют выход земснаряда за бровку и отстой на якорях
Земснаряд устанавливается носом на вход в порт на пяти якорях (см. рисунок 4).
Рисунок 4 Схема съемки земснаряда на мелководном открытом участке
1 ... 3 - Положения земснаряда при съемке
При ухудшении погоды или получении штормового предупреждения земснаряд должен сняться с участка работы и уйти в место отстоя. Съемку с участка рекомендуется производить с оставлением рабочих тросов на буйках. Необходимо помнить, что при силе ветра более шести баллов рабочие якоря не «могут удержать земснаряд на месте.
5.5 Участок работы расположен на открытой акватории, глубины за бровкой позволяют выход земснаряда за бровку и отстой на якорях
Земснаряд устанавливается носом в море (см. рисунок 5).
При ухудшении погоды или получении штормового предупреждения по усмотрению капитан-багермейстера земснаряд может отстаиваться на участке работы. Для этого земснаряд на носовом папильонажном тросе и по направлению ветра и волнения оттягивается за наветренную бровку на расстояние 50 ... 60 м. Отдается судовой якорь с наветренного борта. Земснаряд спускается по направлению ветра, подтравливая якорную цепь на длину равную шести, восьми глубин места стоянки. Черпаковая рама поднимается над грунтом на высоту три, четыре метра и расклинивается в прорези деревянными клиньями. Земснаряд разворачивается на носовых якорях по ветру и волне путем потравливания остальных тросов. Необходимо следить, чтобы корпус земснаряда не перегораживал канал.
При решении капитан-багермейстера сняться с участка и уйти в порт на отстой, земснаряд оттягивается за наветренную бровку, отдается судовой якорь и земснаряд спускается по якорю на 1,5 ... 2,0 смычки (до забора якоря). Земснаряд устанавливается на раме и производит уборку якорей с помощью мотозавозни.
Рисунок 5 Схема отстоя земснаряда за бровкой на открытом глубоководном участке
1 ... 3 - положения земснаряда при установке для отстоя за бровкой
5.6 Участок работ расположен на мелководье или в береге на открытой акватории, глубины за бровкой менее проходных глубин земснаряда (рисунок 6)
Работа земснаряда на таком участке должна обеспечиваться охранным буксиром. Работа земснаряда с черпаковым устройством на носу без охранного буксира на таком участке не допускается. Чаще всего, при разработке такого участка рабочие якоря завозятся мелкосидящей несамоходной завозней и катером, а авантовый трос закрепляется на «мертвяке» на берегу. Носовые (кормовые у земснарядов с черпаковым устройством в носовой части) папильонажные якоря завозятся с отставанием на 30° для оттягивания земснаряда с забоя (см. рисунок 6).
При получении штормового предупреждения или ухудшений погоды необходимо оттянуть земснаряд с забоя на пять, десять метров и установиться на наветренной бровке.
Смотать и оставить на буйках авантовый и папильонажные тросы подветренного борта. Вызвать охранный буксир, который должен спуститься к земснаряду на якоре, отданном на наветренной или за наветренной бровкой, подать на земснаряд буксирный трос и оттянуться назад к якорю. Земснаряд протягивается в сторону моря на папильонажных якорях до положения, когда буйки смотанных тросов останутся за кормой земснаряда, устанавливается на раме и сматывает кормовой (носовой) папильонажный трос, черпаковая рама поднимается над грунтом и подается на охранный буксир команда: «Выйти на буксир!». После получения подтверждения с охранного буксира о выполнении команды «Выйти на буксир» на земснаряде сматывается последний трос и после его сброса на буйке сообщается на охранный буксир: «Земснаряд чист». Буксир выводит земснаряд на глубокую воду.
Земснаряд с черпаковым устройством на корме может самостоятельно сняться с участка работы. После сматывания и оставления на буйке кормового троса наветренного борта поднимается черпаковая рама и земснаряд на носовом папильонажном тросе наветренного борта протягивается вперед до прохождения буйка оставленного троса за кормой. Когда за кормой «чисто», включаются движители и земснаряд, удерживаясь на ветер, отдает судовой якорь наветренного борта. Удерживаясь на якоре и движителях, сматывается и оставляется на буйке носовой папильонажный трос наветренного борта. После освобождения от троса земснаряд увеличивает частоту вращения движителей, поднимает якорь и уходит с участка.
Рисунок 6 Съемка земснаряда с помощью охранного буксира с участка, расположенного в береговой черте
1 ... 4 - положения земснаряда и буксира при съемке
5.7 Приведенные типовые схемы не охватывают всего разнообразия вариантов условий работы земснаряда. Капитан-багермейстер в каждом конкретном случае принимает решения по обеспечению безопасности работы земснаряда в соответствии с фактической обстановкой и с учетом хорошей морской практики.
6.1 Основными мероприятиями обеспечения безопасности земкаравана при работе на открытых и опасных в навигационном отношении участках работы являются:
- своевременная доставка штормового предупреждения на земкараван;
- строгое соблюдение правил технической эксплуатации специального оборудования, технических средств, систем и корпусных конструкций судов, правил производства морских дноуглубительных работ и правил техники безопасности;
- постоянная готовность судна к штормовой погоде и экстренной съемки с участка работы;
- хорошо организованная вахтенная служба, высокая выучка и постоянные тренировки экипажа в борьбе за живучесть судна;
- наличие на судне необходимой численности экипажа для решения задач по обеспечению живучести судна;
- постоянное присутствие на борту судна капитана или старшего помощника, главного механика или старшего механика (старшего механика или второго механика), начальника радиостанции или радиооператора, судового врача;
- постоянная и надежная связь с портнадзором, диспетчером порта, между судами земкаравана;
- надежная организация постоянного и своевременного получения прогнозов погоды и наблюдений за фактическим ее состоянием;
- постоянная информация портнадзора и диспетчерской службы порта о месте нахождения земснаряда, его положении и действии;
- своевременная информация экипажей судов о получении штормового предупреждения и ожидаемых сроков его наступления;
- постоянное поддержание судов и их оборудования в хорошем техническом состоянии, постоянная готовность оборудования к действию;
- систематический контроль со стороны судовладельца технического состояния судов, укомплектованности и выучки экипажей в борьбе за живучесть судна.
- постоянная помощь со стороны судовладельца капитан-багермейстеру и капитанам судов земкаравана в организации работы и разработке и исполнении мероприятий по обеспечению безопасности судов и их экипажей.
6.2 При получении долгосрочного прогноза погоды с ожиданием штормового ветра с опасных направлений капитан-багермейстер информирует капитанов судов каравана, усиливает контроль за своевременным получением краткосрочного прогноза погоды, обращает внимание вахтенной службы на необходимость усиления наблюдений за состоянием погоды, о чем делается запись в судовом журнале.
6.3 Вахтенная служба земснаряда ежечасно производит измерения скорости ветра и его направлений и делает записи в судовом журнале. При усилении силы ветра до пяти баллов частота измерения скорости ветра увеличивается. При достижении и превышении силы ветра пяти баллов - докладывает об этом капитан-багермейстеру.
6.4 Капитан-багермейстер уточняет фактическое состояние погоды у портнадзора и прогноз на ближайшее время. Если фактическая скорость ветра с опасных направлений превышает пять баллов и по уточненному прогнозу не ожидается ослабление ветра в ближайшее время, земснаряд прекращает дноуглубительные работы, очищает черпаковую цепь от грунта, оттягивается на наветренную бровку и становится на раму.
6.4.1 На участках дноуглубительных работ, вошедших в перечень обязательного приложения А или признанных опасными в навигационном отношении, производится съемка земснаряда с участка и уход на место отстоя.
6.4.2 На открытых мелководных участках (забровочные глубины не позволяют выхода земснаряда за бровку), не вошедших в перечень обязательного приложения А, съемка и уход земснаряда с участка или отстой на участке решается капитан-багермейстером.
Съемку с участка и уход на место отстоя необходимо производить, если:
- продолжительность действующего штормового ветра по прогнозам составляет 24 часа и более;
- ожидается изменение направления действующего ветра в сторону опасных более румба, при сохранении или увеличении его силы;
- наблюдаемая скорость вера постоянно увеличивается, высота волн достигла допустимой для работы земснаряда;
- наблюдаются признаки ударов черпаковой цепи о грунт, которые сопровождаются проворачиванием верхнего черпакового барабана или колебаниями провисающей части черпаковой цепи;
- по местным приметам ожидается продолжение действия ветра и возможное увеличение его силы;
- отсутствует полная уверенность в безопасности отстоя земснаряда на участке работ и невозможности возникновения чрезвычайной ситуации для судоходства.
Отстой на участке по решению капитан-багермейстера возможен, если:
- действующая скорость ветра не превышает шести баллов, в порывах - семи баллов, ожидаемая продолжительность действия ветра по прогнозу не превышает 24 часов;
- ожидаемое изменение направления действия ветра в сторону опасных не превышает румба или происходит разворот действия ветра со стороны берега;
- наблюдаемая скорость ветра снижается (необходимо учитывать обычное снижение скорости ветра на заходе и восходе Солнца), по местным признакам ожидается прекращение штормового явления;
- имеется полная уверенность в безопасности отстоя земснаряда и невозможности возникновения чрезвычайной ситуации для судоходства.
При отстое на участке работ необходимо выполнить ряд мероприятий по обеспечению безопасности земснаряда и возможности возникновения чрезвычайной ситуации для судоходств:
- информировать портнадзор и диспетчерскую службу порта о решении отстоя земснаряда на участке работ;
- земснаряд должен полностью находиться в положении по-походному;
- проверена держащая сила рабочих якорей наветренного борта путем их обтягивания до срабатывания отсечки по току;
- главные судовые двигатели, дизель - генератор питания спецустройств и палубных механизмов, все палубные механизмы приведены в готовность к немедленному действию;
- проверены надежность закрытий люков и дверей, имеющих маркировку «П»;
- проверить закрытие и установку металлических заглушек на иллюминаторах, расположенных ниже главной палубы;
- вахтенной службе через каждые полчаса производить измерения скорости ветра и его направления, следить за дрейфом судна и результаты записывать в судовой журнал, при обнаружении дрейфа судна немедленно докладывать капитан-багермейстеру;
- вахтенной службе земснаряда регулярно выходить на связь с портнадзором и диспетчерской службой порта и информировать о положении на земснаряде.
При обнаружении дрейфа земснаряда капитан-багермейстер должен немедленно приступить к съемке земснаряда с участка работ, предварительно проинформировав о принятом решении портнадзор и диспетчерскую службу порта и, при необходимости, вызвать охранный буксир.
6.4.3 На открытых глубоководных участках (забровочные глубины позволяют выход и отстой земснаряда) при принятии решения отстаиваться на участке работ капитан-багермейстеру необходимо проверить возможность разворота и удержания земснаряда по ветру и волнению в период отстоя без уборки рабочих тросов.
Отстой земснаряда производится за бровкой, для этого земснаряд перемещается за наветренную бровку с таким расчетом, чтобы при отстое корпус земснаряда не выходил на прорезь канала и не представлял препятствия для судов. Рекомендуется для увеличения надежности отстоя протянуться на носовом папильонажном тросе на расстояние 40 ... 50 м и отдать судовой якорь наветренного борта. Оттягиваясь назад и одновременно перемещаясь к противоположной бровке, подтравливать в тугую трос носовой папильонажной лебедки и якорную цепь, с таким расчетом, чтобы за борт было вытравлено якорной цепи не менее шести глубин в месте отстоя земснаряда.
6.5 Во время отстоя многочерпакового земснаряда на участке работ при высоте волны, превышающей допустимую при работе, черпаковая рама должна быть поднята над грунтом и расклинена деревянными клиньями в прорези. Использование черпаковой рамы как якоря допускается при угрозе гибели земснаряда, даже в тех случаях, когда имеется опасность ее деформации.
7.1 Аварийной считается ситуация, когда в результате воздействия неблагоприятных гидрометеорологических условий на судно возникает угроза посадки судна на мель, получение повреждений корпуса, судовых устройств и специального оборудования.
7.2 Для избежания аварии капитан судна, сообразуясь со сложившейся обстановкой, обязан принять все возможные меры по выводу судна из аварийной ситуации как самостоятельными силами, так и с привлечением помощи со стороны. При возникновении аварийной ситуации должна быть объявлена общесудовая тревога и развернуты действия экипажа по борьбе за живучесть судна согласно требованиям, изложенным в РД 31.60.14-81.
7.3 Наступление аварийной ситуации на земснаряде определяется капитан-багермейстером, при наступлении аварийной ситуации капитан багермейстер обязан:
- объявить общесудовую тревогу;
- оповестить капитанов судов земкаравана о начале действия схемы взаимодействия;
- оповестить портнадзор о наступлении аварийной ситуации, принимаемых самостоятельных действиях по выводу судна из аварийной ситуации, о необходимости оказания помощи земснаряду со стороны капитана порта;
- установить постоянную связь с диспетчерской службой судовладельца и постоянно информировать судовладельца о состоянии земснаряда и судов земкаравана;
- дать распоряжение о вводе в действие поисковых и аварийных групп.
7.4 В борьбу за живучесть судна включается весь личный состав экипажа, находящийся на борту судна, и действует согласно судовому расписанию по борьбе за живучесть судна.
7.4.1 Капитан-багермейстер руководит действием экипажа судна по борьбе за живучесть через старшего помощника капитан-багермейстера и действует согласно требованиям РД 31.60.14-81.
7.4.2 Старший механик в центральном посту управления машинного отделения контролирует поддержание в рабочем состоянии главных и вспомогательных двигателей, водоотливных и балластных систем, осуществляет непосредственную связь с капитаном судна на главном командном посту (ГКП) и руководит вахтой машинного отделения.
7.4.3 Второй механик находится в машинном отделении, руководит действиями вахтенной службы машинной команды. Несет ответственность за исправное действие систем пожаротушения, водоотлив и спрямление судна, лично руководит перекачкой балласта по команде с ГКП.
7.4.4 Второй и третий помощники капитан-багермейстера действуют в соответствии с требованиями РД 31.60.14-81.
7.4.5 Третий, четвертый механики и электромеханики выполняют обязанности по заведованию и расписанию по тревогам, а также распоряжения старшего механика.
7.5 Признаки аварийной ситуации:
- дрейф наветренных якорей, вызывающий опасность навала земснаряда на подводное препятствие, гидротехническое сооружение или бровку канала;
- обрыв наветренных рабочих тросов;
- постановка земснаряда лагом к ветру и волне;
- неуправляемость земснаряда из-за недостаточной мощности двигателей при развороте через линию ветра при съемке с участка или при следовании в порт-убежище;
- появление водотечности корпуса;
- вынужденное опускание черпаковой рамы на грунт при действии высокой волны;
- обрыв грунтоприемника у самоотвозного землесоса при выполнении дноуглубительных работ на мелководных участках.
ПЕРЕЧЕНЬ РАЙОНОВ, ОБЪЕКТОВ И УЧАСТКОВ ДНОУГЛУБИТЕЛЬНЫХ РАБОТ С ПОВЫШЕННОЙ НАВИГАЦИОННОЙ ОПАСНОСТЬЮ
|
Район, порт |
Объект, участок |
Опасное направление ветра и волнения |
Необходимость охранного буксира |
|
РОССИЙСКАЯ ФЕДЕРАЦИЯ |
|||
|
Архангельск |
Морская часть, Березовый бар |
ЮЗ...СЗ |
|
|
Северная Двина, Мурманский рукав, Бар |
С |
||
|
Нарьян-Map |
Морская часть |
С...СВ |
|
|
Таганрогский |
Таганрогский канал: |
||
|
залив |
первое колено; |
По всем румбам |
По требованию |
|
второе колено от 8 км |
СВ...ЮЗ |
||
|
Азово-Донской канал (морская часть) |
ЮЗ...СВ |
По требованию |
|
|
Новороссийск |
Входная часть |
ЮЗ |
По требованию |
|
Туапсе |
Вход в порт |
ЮВ...ЮЗ |
По требованию |
|
Сочи |
Вход в порт |
ЮВ...ЮЗ |
По требованию |
|
Кавказ |
Подходной канал |
СВ |
На период работы |
|
Каспийск |
Канал |
С...В |
На период работы |
|
Махачкала |
Канал Нефтегавани |
С...ЮЗ |
|
|
УКРАИНА |
|||
|
Одесса |
Канал Нефтегавани первое колено |
СВ...В |
|
|
Ильичевск |
Подходной канал |
СВ...ЮЗ |
По требованию |
|
Очаков |
Очаковское колено |
Ю...ЮЗ |
По требованию |
|
Донузлав |
Внешний участок канала |
Ю...ЮЗ |
По требованию |
|
Ялта |
Акватория |
ЮВ...ЮЗ |
|
|
Керчь |
Кречь-Еникальский канал: |
||
|
Павловское колено |
СВ... Ю |
По требованию |
|
|
Чушкинское колено |
СЗ...СВ |
По требованию |
|
|
Чурубашское колено |
СВ |
По требованию |
|
|
Бурунское колено |
СВ...Ю |
По требованию |
|
|
Камыш-Бурун |
Канал первое колено |
СВ; ЮВ...Ю |
По требованию |
|
Крым |
Подходной канал |
СВ |
По требованию |
|
Геническ |
Подходной канал 2...3 км |
СВ...ЮЗ |
|
|
Бердянск |
Подходной канал |
По всем румбам |
По требованию |
|
Мариуполь |
Подходной канал |
СВ...ЮЗ |
По требованию |
|
Азовсталь |
Подходной канал |
В...ЮЗ |
По требованию |
|
Бугаз |
Подходной канал |
Ю...ЮЗ |
На период работы |
|
Южный |
Подходной канал |
СВ...ЮЗ |
По требованию |
|
Усть-Дунайск |
Подходной канал |
В...ЮВ |
По требованию |
|
Евпатория |
Акватория |
В...ЮЗ |
По требованию |
|
ГРУЗИЯ |
|||
|
Поти |
Подходной канал |
СВ...Ю |
По требованию |
|
ЛИТВА |
|||
|
Клайпеда |
Внешнее колено канала |
З...ЮЗ...СВ |
На период работы |
|
Внутреннее колено до причала РО-РО |
ЮЗ...СЗ |
По требованию |
|
|
Лиепая |
Канал порта |
ЮЗ...СЗ |
На период работы |
|
ЛАТВИЯ |
|||
|
Вентспилс |
Подходной канал |
ЮЗ...СЗ |
По требованию |
|
ЭСТОНИЯ |
|||
|
Таллин |
Канал Рохуклюла-Свибью |
По всем румбам кроме Ю |
На период работы |
|
Новоталлинск |
Канал, акватория порта |
СЗ...СВ |
На период работы |
|
АЗЕРБАЙДЖАН |
|||
|
Баку |
Подходные каналы и причалы |
ЮЗ...ЮВ |
По требованию |
|
Апшерон |
Канал |
СЗ...С...ЮВ |
По требованию |
|
ТУРКМЕНИСТАН |
|||
|
Красноводск |
Красноводский канал морская часть |
СЗ...С...ЮЗ |
По требованию |
|
Бекташ |
Канал |
ЮЗ |
По требованию |
|
КАЗАХСТАН |
|||
|
Кианлы |
Подходной канал |
Ю...ЮЗ |
По требованию |
|
Аладжа |
Подходной канал |
По всем румбам кроме С...СВ |
По требованию |
|
СОГЛАСОВАНО Капитан порта _________________ «__» __________________________ |
|
|
|
УТВЕРЖДАЮ Начальник управления ___________ «__» ___________________________ |
ТИПОВАЯ ВРЕМЕННАЯ ИНСТРУКЦИЯ
ПО ОБЕСПЕЧЕНИЮ НАВИГАЦИОННОЙ БЕЗОПАСНОСТИ
|
земснаряда (земкаравана) ________________________________________________ в порту ____________________________ на объекте (участке) дноуглубительных работ ___________________________________________________________________ |
УКАЗАНИЯ ПО СОСТАВЛЕНИЮ ВРЕМЕННОЙ ИНСТРУКЦИИ
Временная инструкция составляется конкретно для каждого земснаряда (земкаравана), который планируется в текущем году выполнять дноуглубительные или рефулерные работы на открытых воздействию ветра и волнения участках. Срок действия временной инструкции устанавливается только на период выполнения работ на данном объекте (участке).
Временная инструкция должна содержать:
- дополнительные мероприятия по обеспечению безопасной работы конкретного земснаряда на конкретном объекте (участке) работ исходя из производственных и гидрометеорологических условий работы на данном объекте (участке);
- срок выполнения мероприятий и рекомендаций;
- ответственных исполнителей мероприятий и рекомендаций.
К временной инструкции должны прилагаться:
- производственная, навигационная и гидрометеорологическая характеристика объекта (участка) дноуглубительных работ;
- состав земкаравана;
- схема производства дноуглубительных и рефулерных работ.
Рекомендуемая структура типовой временной инструкции приведена в таблице.
Таблица
Типовая временная инструкция
|
Мероприятия |
Срок выполнения |
Ответственный исполнитель |
|
Согласовать с капитаном порта: |
Перед установкой земснаряда на участке работы |
Капитан-багермейстер |
|
- место отстоя судов в штормовую погоду; |
||
|
- способ передачи на караван прогнозов погоды и штормовых предупреждений; |
||
|
- меры по оказанию помощи при внезапном ухудшении погоды; |
||
|
- место стоянки охранного буксира и его действия при внезапном ухудшении погоды. |
||
|
Разработать схему совместного действия судов земкаравана при экстренной съемке земснаряда с участка работ и отработать ее. |
Перед установкой земснаряда на участке работ |
Капитан-багермейстер |
|
Дать заявку в ___ бюро погоды на обслуживание земкаравана прогнозами погоды и штормовыми предупреждениями на весь период работы земснаряда (земкаравана). |
По прибытию в порт |
Капитан-багермейстер |
|
Организовать регулярный прием прогнозов погоды и штормовых предупреждений от бюро погоды города и через портнадзор порта ______. |
Весь период работы |
Капитан-багермейстер |
|
Подготовить тросы рабочих лебедок земснаряда к быстрому сматыванию за борт и постановке их на буйки. |
Весь период работы |
Капитан-багермейстер |
|
Переговоры с судами земкаравана осуществлять на _______ канале PC УКВ |
Весь период работы |
Вахтенный помощник капитана |
|
При получении: |
Весь период работы |
Капитан-багермейстер |
|
- неблагоприятного прогноза погоды; |
||
|
- штормового предупреждения; |
||
|
- фактического ухудшения погоды, |
||
|
действия: |
||
|
а) прекратить работу земснаряда; |
||
|
б) сняться с участка и уйти на место отстоя; |
||
|
в) переместиться на безопасную глубину и отстаиваться в море; |
||
|
г) экстренно сняться с участка с помощью охранного буксир или самостоятельно и уйти в укрытие или на безопасные глубины и отстаиваться в море на становых якорях и т.д. |
||
|
Главные двигатели на всех судах земкаравана держать в полной готовности, иметь на борту не менее 2/3 численности экипажа, иметь запасы продуктов, воды и топлива не менее чем на пять суток. |
Весь период работы |
Капитан-багермейстер |
|
На время работы земснаряд (земкараван) обеспечить охранным буксиром. |
В соответствии с договором |
Судовладелец |
|
Службе порта ____ поддерживать с земснарядом ________ постоянную связь по УКВ, немедленно передавать на земснаряд полученные штормовые предупреждения, заблаговременно оповещать о проходе по каналу транспортных судов, выделять буксир и катера по первому требованию капитан-багермейстера. |
Круглосуточно |
Дежурный |
Примечание. Ничто в настоящей инструкции не может служить препятствием для принятия комсоставом земкаравана необходимых и достаточных мер по обеспечению безопасности судов и людей в конкретно сложившихся обстоятельствах.
Начальник морской (подпись) Ф.И.О.
1 Авария многочерпакового земснаряда «Каспийское море»
Многочерпаковый земснаряд «Каспийское море» Каспийского управления морских путей (мощность силовой установки 350 л.с., год постройки - 1912) 2 октября 1964 года производил дноуглубительные работы на подходном канале порт-пункта Кианлы в 600 м от причала. Земснаряд был установлен носом в море. Ветер был слабый, прогноз погоды на земснаряде не получили.
Во второй половине дня багермейстер сошел на берег, передав командование судном старшему помощнику багермейстера. В ночь со второго на третье октября земснаряд продолжал дноуглубительные работы при северо-западном ветре силой до четырех баллов.
К двум часам ветер усилился до пяти баллов и земснаряд прекратил дноуглубительные работы, установившись у левой бровки канала с опущенной на грунт черпаковой рамой. В помощь правому кормовому папильонажному якорю был отдан становой якорь и вытравлено за борт 15 ... 20 м якорной цепи (рисунок 1, положение 1).
Рисунок 1 Схема аварии земснаряда «Каспийское море»
1 - Положение земснаряда в 02 ч 10 мин. 2 - Положение земснаряда в 11 ч 00 мин. 3 - Положение земснаряда в 14 ч 00 мин.
К шести часам 3 октября ветер северо-западного направления усилился до восьми баллов, а к 11 часам-до 10 ... 11 баллов. Пошла крупная зыбь. В черпаковой цепи появилась слабина. При осмотре было обнаружено, что черпаковая цепь имеет разрыв на нижнем черпаковом барабане. Поползли якоря и земснаряд стал дрейфовать за правую бровку канала, где находилась не подорванная каменная гряда. Попытки привести корму земснаряда ближе к ветру б/п «№ 85» не увенчались успехом. Земснаряд сдрейфовало за правую бровку, не поднятая черпаковая рама зацепилась за грунт и черпаковая цепь сошла с рамы. Днищем земснаряд стало бить о лежащие на грунте черпаки, в машинном отделении образовались пробоины, через которые в корпус земснаряда стала поступать забортная вода. По судну была объявлена тревога по борьбе с водой, пущены в действие водоотливные насосы, к борту земснаряда для оказания помощи по откачке воды подошел б/п «№ 85», но все попытки успеха не имели. Забортная вода затопила машинное отделение и кормовая часть земснаряда плотно села на грунт, носовая часть земснаряда оставалась на плаву. Люди и материальные ценности были переправлены на берег. Обследованием корпуса земснаряда были обнаружены 19 пробоин в днище.
Причинами аварии земснаряда «Каспийское море» явились:
- отстой на черпаковой раме при сильном ветре и большом волнении;
- отсутствие охранного буксира при производстве дноуглубительных работ на опасном в навигационном отношении участке;
- отсутствие организации систематического приема прогнозов погоды и штормовых предупреждений;
- отсутствие мер по своевременной съемке земснаряда с участка работ и увода его в безопасное для отстоя место;
- слабое знание командным составов земснаряда правил технической эксплуатации и слабая дисциплина на земснаряде;
- Отсутствие на земснаряде плана промера участка работ с нанесением забровочных глубин и подводных препятствий.
2 Авария многочерпакового земснаряда «Турали»
Многочерпаковый земснаряд «Турали» Каспийского управления морских путей (вместимость 584 рег. г, мощность силовой установки 600 л.с., постройки ГДР, 1958 года) 10 октября 1965 года производил дноуглубительные работы в Лесной гавани порта Баку (рисунок 2).
Рисунок 2 Схема аварии земснаряда «Турали»
1 - положение земснаряда в 18 ч 10 мин 10 октября; 2 - положение земснаряда в 08 ч 00 мин 11 октября; 3 - положение земснаряда в 11 ч 30 мин 11 октября, затонул;
При усилении ветра до четырех, пяти баллов дноуглубительные работы были прекращены и земснаряд остался отстаиваться на участке работ лагом к ветру и волне на рабочих якорях и отданном правом становом якоре. Передаваемое дежурным диспетчером управления «Каспморпуть» штормовое предупреждение об усилении ветра до семи, восьми баллов на земснаряде принято не было из-за отсутствия на борту радиста.
Утром 11 октября ветер юго-западного направления силой семь, восемь баллов разогнал крупную зыбь и земснаряд начал дрейфовать в сторону берега. Установка земснаряда носом на ветер путем выбирания носового папильонажного правого борта и авансового тросов, а также якорь - цепи станового якоря правого борта желаемых результатов не дали, земснаряд продолжал дрейфовать. Был отдан становой якорь левого борта. С опозданием к земснаряду подошли п/б «Космос» и т/х Комсомолец». Наличие большого количества рабочих тросов затруднило подход буксиров к земснаряду, К этому времени земснаряд «Турали» уже сдрейфовал от места первоначальной стоянки на 150 ... 160 м, навалился кормой на подводный оголовок водозаборного сооружения и стал биться корпусом.
В 11 ч 05 мин было обнаружено поступление забортной воды в помещения правого борта, земснаряд стал крениться и через 30 мин опрокинулся на глубине 4,30 ... 4,50 м. При обследовании затонувшего земснаряда были обнаружены шесть пробоин в днище и незадраенная крышка горловины второго дна.
Причинами аварии явились:
- на земснаряде не был организован систематический прием прогнозов погоды и не было налажено наблюдение за направлением и силой ветра в период отстоя;
- не принятия решения капитан-багермейстером о съемке земснаряда с участка работ и уходу в укрытие;
- запоздалый подход буксиров «Космос» и «Комсомолец»;
- нерешительность капитан-багермейстера использовать ходовые движители.
3 Авария многочерпакового земснаряда «Фрунзе»
Многочерпаковый земснаряд «Фрунзе» Черноморско-Азовского управления морских путей 24 мая 1968 года производил дноуглубительные работы на внешней части подходного канала порта Кавказ.
25 мая в 14 ч 00 мин, в связи с усилением северо-западного ветра до семи, восьми баллов, дноуглубительные работы были прекращены и земснаряд стал для отстоя на левой наветренной бровке на рабочих тросах с опущенной на грунт черпаковой рамой (рисунок 3, положение 1).
Рисунок 3 Схема положения земснаряда «Фрунзе» во время аварии
В 17 ч 30 мин паром «Восточный» при подходе к причалу порта Кавказ своим приспущенным якорем зацепил авантовый трос и протянул земснаряд на 40 м к входу в порт. Папильонажные якоря правого борта поползли, на земснаряде опустили черпаковую раму на грунт и продолжали отстаиваться на раме правым бортом к ветру и волнению (положение 2).
27 мая утром ветер усилился до семи, восьми баллов и нос земснаряда стал заваливаться к оси входного створа (положение 3). По судну был объявлен аврал и начали экстренную съемку с участка:
- отдали носовой папильонажный трос:
- начали подъем черпаковой рамы.
В результате динамических действий крупной зыби лопнул рамоподъемный трос правого борта, а трос левого борта соскочил с ролика. Черпаковая рама осталась на грунте. Попытка развернуть нос земснаряда на ветер не увенчалась успехом, под действием ветра и течения земснаряд развернуло поперек входного створа и он закрыл вход в порт (положение 4). Движение паромов было приостановлено. В результате принятых мер нос земснаряда был развернут на ось канала (положение 3).
После шестидневного отстоя погода улучшилась и 31 мая на земснаряде приступили к освобождению от черпакового устройства:
- рассоединили черпаковую цепь;
- электросваркой обрезали черпаковую раму.
Материальные убытки по изготовлению и установке новой черпаковой рамы и черпаковой цепи составили 42 тысячи рублей.
Причинами аварии явились:
- не принятие своевременных мер капитал-багермейстером земснаряда по съемке с участка и уходу в укрытие при усилении ветра и смещении папильонажных якорей правого борта паромом «Восточный»;
- попытка съемки с участка 27 мая была запоздалой;
- решение опустить черпаковую раму на грунт и отстаиваться на раме при действии большого волнения являлось грубым нарушением правил технической эксплуатации указанного устройства;
- установка земснаряда при производстве дноуглубительных работ носом в сторону моря при наличии в непосредственной близи гидротехнических сооружений.
Косвенными причинами явились:
- отсутствие организации своевременного получения прогнозов погоды;
- отсутствие систематического наблюдения за направлением действующего ветра;
- отсутствие контроля за техническим состоянием черпакового устройства в соответствии с требованиями Правил технической эксплуатации дноуглубительного флота ММФ СССР.
4 Авария самоотвозного землесоса «Нарвский»
11 июня 1968 года дизель-электрический самоотвозный землесос «Нарвский» Каспийского управления морских путей приступил к выполнению дноуглубительных работ на подходном канале порта Махачкала. Грунтозабор производился двумя бортовыми грунтоприемниками при движении по каналу галсами, параллельными оси канала, разгрузка трюма выполнялась на подводном отвале.
Из-за отсутствия освещения створных знаков, ограждающих бровки, в темное время суток разработка проводилась у оси канала на полосе шириной 20 м. В светлое время суток при хорошей видимости бровочных створов выполнялась разработка полос вдоль бровок.
28 июня в 00 ч 00 мин на вахту заступил старший помощник капитан-багермейстера. В 05ч 00 мин землесос начал грунтозабор у южной бровки канала от буя № 2 в сторону Нефтегавани.
Погодные условия:
- ветер северный силой два балла;
- видимость более одной мили.
Скорость движения землесоса при грунтозаборе 1,5 ... 2,0 узла.
В районе буя № 4 были отмечены резкие рывки грунтозаборного устройства левого борта и 05 ч 10 мин волновой компенсатор грунтозаборного устройства левого борта начал резко подниматься.
05 ч 13 мин по левому борту корпуса землесоса послышался глухой сильный удар и одновременно прекратилось вращение гребного винта левого борта. После подъема грунторазрабатывающего устройства левого борта было установлено, что грунтоприемник остался на дне.
Расследованием аварии установлено:
- обрыв грунтоприемника произошел на каменной гряде, расположенной в 10 м за бровкой канала на глубине 4,75 м;
- имея осадку 4,20 м, землесос левым бортом коснулся оставшегося на дне грунтоприемника;
- от ударов винта о грунтоприемник произошло заклинивание гребного вала, разрушение дейдвудного устройства, деформация лопасти гребного винта, деформация гребного вала на длине 450 мм со стрелкой прогиба до 50 мм.
29 июня после водолазного обследования землесос на одном двигателе совершил переход из порта Махачкала в порт Баку. При оформлении отхода из порта Махачкала капитан-багермейстер не поставил в известность капитана порта об аварии и аварийном состоянии землесоса.
Причинами аварии и вывода на длительный срок из эксплуатации самоотвозного землесоса «Нарвский» явились:
- нарушение основ судовождения и Устава службы на судах Министерства морского флота;
- несоблюдения принятой на данном участке технологии производства работ в ночное время;
- отсутствие на землесосе плана промера с нанесением забровочных глубин.
5 Авария многочерпакового земснаряда «Нева-4»
Многочерпаковый земснаряд «Нева-4» Балтийского управления морских путей 24 октября 1969 года был установлен в аванпорту Вентспилского морского порта в районе строительства третьего нефтепира для производства дноуглубительных работ. Установка земснаряда производилась при действии ветра в юго-восточном направлении силой три балла. Суточный и трехсуточный прогнозы были благоприятными.
26 октября к 06 ч 00 мин ветер от юго-западного направления усилился до восьми, десяти баллов. По рации капитан-багермейстер запросил портнадзор прогноз погоды и получил: «Ожидается усиление ветра до 11 баллов». Штормового предупреждения по порту не объявлялось, так как информация об усилении ветра от местного гидрометеорологического бюро портнадзором была получена только в 06 ч 00 мин, когда сила ветра уже достигала восьми, десяти баллов.
Земснаряд находился в 50 м от северного моля и в 70 м от эстакады рефулерного грунтопровода. Завозкой дополнительного кормового якоря и оперативным регулированием носовых папильонажных тросов земснаряд был приведен кормой ближе к ветру и было достигнуто равномерное натяжение всех папильонажных и авантового тросов. Черпаковая рама была опушена на грунт.
К 14 часам оборвались правые папильонажные и авантовый тросы. Ветер изменил направление и в порт стала заходить крупная зыбь.
Капитан-багермейстер неоднократно обращался к дежурному диспетчеру порта с просьбой срочно направить буксир для оказания помощи терпящему бедствие земснаряду.
Буксир был направлен к земснаряду только в 15 ч 10 мин. Земснаряд на одном становом якоре правого борта и черпаковой раме стал дрейфовать в сторону металлических палов рефулерной эстакады.
15 ч 20 мин земснаряд был прижат правым бортом к эстакаде, прибывший буксир «Юпитер» уже не смог оказать необходимой помощи земснаряду.
15 ч 30 мин металлическими конструкциями эстакады и проложенной на ней рефулерной трубой был завален фальшборт, земснаряд получил пробоины в правом борту, в отсек жилых помещений стала поступать забортная вода.
15 ч 45 мин земснаряд, завалив металлические эстакады, лег правым бортом на грунт. Команда была полностью спасена.
Причины аварии:
- несвоевременное получение штормового предупреждения;
- непринятие мер по экстренной съемке земснаряда с участка работ при видимом усилении ветра;
- отсутствие временной инструкции по обеспечению безопасности работы земснаряда на опасном в навигационном отношении участке работ;
- непринятие своевременных мер по оказанию помощи земснаряду диспетчерской службой порта и портнадзором.
6 Авария многочерпакового земснаряда «Двина»
Многочерпаковый земснаряд «Двина» Архангельского управления морских путей (валовая вместимость 1786,2 рег. т. мощность ходовых паровых машин 1800 л.с., год постройки 1939) 21 июня 1971 года производил дноуглубительные работы на баровой части подходного канала Клайпедского морского порта (рисунок 4).
Рисунок 5 Схема аварии земснаряда «Двина»
1 - положение земснаряда в 08 ч 45 мин; 2 - положение земснаряда в 09 ч 10 мин; 3 - положение земснаряда в 10 ч 00 мин; 4 - положение земснаряда в 10 ч 20 мин; 5 - положение земснаряда в 11 ч 20 мин
Земснаряд был установлен на шести якорях, был завезен к оси канала становой якорь правого борта. По прогнозу ожидался ветер в направления юг, юго-запад силой шесть баллов, фактически действовал ветер юго-западного направления силой пять баллов. Земснаряд продолжал дноуглубительные работы.
08 ч 00 мин ветер усилился, земснаряд прекратил работу, была дана команда ввести в действие второй котел и готовить ходовые машины. Земснаряд с помощью папильонажных якорей и ходовых машин переместился к оси канала. Был отдан левый становой якорь и земснаряд вернулся на прежнее место, вытравив за борт две смычки якорь цепи, и установился параллельно оси канала носом на выход из порта на расстоянии 90 м от каменной наброски вдоль северного мола (положение 1). Ветер усиливался, волнение достигло пяти, шести баллов. По радиотелефону был подтвержден прежний прогноз.
В 09 ч 10 мин лопнула носовая папильонажная цепь левого борта, земснаряд сдрейфовал на расстояние 60 м к Северному молу. Наступила аварийная ситуация, капитан-багермейстер обратился в портнадзор за помощью. На земснаряде ходовые машины находились в полной готовности и машине правого борта был дан средний ход вперед.
10 ч 00 мин ветер усилился до восьми баллов, лопнула кормовая папильонажная цепь левого борта и пополз становой якорь левого борта. Корму понесло на каменную наброску Северного мола. Была опушена на грунт черпаковая рама. Заметили, что становой якорь правого борта не держит. Буксирный трос, поданный на земснаряд с прибывшего буксира «Байкал» мощностью 1200 л.с., лопнул и земснаряд навалило на наброску из тетраподов.
После нескольких мощных ударов днищем снаряд получил пробоину в подводной части корпуса, в машинно-котельное отделение началось интенсивное поступление воды. Откачке вода не поддавалась. Земснаряд, правым бортом сидя на тетраподах, стал крениться на левый борт и тонуть. Экипаж покинул борт земснаряда и в 11 ч 20 мин земснаряд «Двина» лег правым бортом на грунт.
Причины аварии:
- недооценка капитан-багермейстером угрозы земснаряду при усилении ветра и волнения юго-восточного направления;
- непринятие капитан-багермейстером действенных мер по уводу земснаряда от опасного места стоянки и запоздалое обращение в портнадзор за помощью;
- отсутствие квалифицированного наблюдения со стороны портнадзора за работой земснаряда в опасной зоне акватории порта и непринятие своевременных мер по оказанию помощи.
Косвенными причинами аварии явились:
- неудовлетворительное прогнозирование погоды и отсутствие штормового предупреждения;
- отсутствие разработанной руководством управления «Архморпути» временной инструкции по обеспечению безопасности работы земснаряда в сложных навигационных условиях.
Выводы
Анализ аварий земснарядов показывает, что общими прямыми причинами аварий являются:
- недооценка опасности отстоя земснаряда на участке работ при возникновении неблагоприятных гидрометеорологических условий;
- непринятие капитан-багермейстером земснаряда мер по своевременной съемке с участка и уводу земснаряда в порт-укрытие при фактическом ухудшении погоды;
- слабое знание командным составом земснаряда правил технической эксплуатации дноуглубительного флота и нарушение их элементарных норм.
Косвенными общими причинами аварий явились:
- несвоевременное получение командным составом земснаряда прогнозов погоды и штормовых предупреждений;
- отсутствие должного контроля со стороны портнадзора за земснарядом, выполняющим дноуглубительные работы в опасной зоне акватории порта, и непринятие своевременных мер по оказанию земснаряду при возникновении аварийной ситуации;
- отсутствие «Временной инструкции по обеспечению безопасной работы земснаряда на конкретных опасных в навигационном отношении участках».