МИНИСТЕРСТВО МОРСКОГО ФЛОТА СССР
РЕКОМЕНДАЦИИ
ПО ПРОЕКТИРОВАНИЮ
И ВОЗВЕДЕНИЮ
БЕРЕГОВЫХ ОТВАЛОВ
И ОБРАЗОВАНИЮ
ИСКУССТВЕННЫХ ТЕРРИТОРИЙ
ПРИ МОРСКОМ
ДНОУГЛУБЛЕНИИ
РД 31.31.50-88
Москва 1989
|
РАЗРАБОТАН |
Государственным проектно-изыскательским и научно-исследовательским институтом морского транспорта - «Союзморниипроект» Одесским филиалом - Черноморниипроект Директор, канд. техн. наук В.А. Яценко Зав. лабораторией, канд. техн. наук А.П. Тюрин Руководитель группы стандартизации А.Ф. Долгая Руководитель темы, канд. техн. наук В.И. Шепсис Ответственный исполнитель, канд. техн. наук В.Н. Чуприн Одесским государственным университетом им. И.И. Мечникова Руководитель темы канд. геолого-минералогических наук А.Б. Шпиков Ответственный исполнитель А.К. Посуховский. |
|
УТВЕРЖДЕН |
Главным Управлением проектирования и капитального строительства Министерства морского флота СССР 13.12.88 г. Начальник В.В. Аристархов |
|
РЕКОМЕНДАЦИИ |
РД 31.31.50-88Вводится впервые |
Срок введения в действие
установлен с 1 марта 1989 г.
Настоящие рекомендации определяют основные требования к проектированию и производству работ по возведению береговых отвалов грунтов и образованию искусственных территорий при выполнении капитальных и ремонтно-эксплуатационных дноуглубительных работ.
Рекомендации не распространяются на работы, проводимые в Арктике и регионах с продолжительными периодами отрицательной температуры воздуха.
1.1. Отвод территории под береговой отвал должен быть согласован со всеми заинтересованными организациями в соответствии с требованиями СНиП 1.02.01-85, Основ земельного законодательства Союза ССР и союзных республик и Основ водного законодательства Союза ССР и союзных республик.
1.2. При отводе территории под береговой отвал должны учитываться площади под землесосные станции перекачки, пульпопроводы, временные отвалы вскрышных пород (чернозема), дороги, трубопроводы и линии электропередачи.
1.3. Проект берегового отвала разрабатывается на основании результатов инженерно-геологических изысканий, выполненных в соответствии с требованиями СНиП 2.01.14-83, и технико-экономических обоснований, устанавливающих целесообразность возведения отвала в данном районе и образования искусственной территории с учетом эксплуатационных, производственных, природных и экологических факторов.
1.4. По месту расположения береговые отвалы подразделяются на два вида:
- береговой отвал грунтов, вся площадь которого располагается на суше;
- приурезовый отвал грунтов, расположенный частично на прибрежной отмели и частично на прилегающей к урезу воды суше.
1.5. По технологии намыва грунтов и сброса осветленной воды различают наливной и намывной отвалы.
1.6. Ограждающие дамбы берегового отвала в зависимости от способа возведения подразделяются на насыпные, когда грунт укладывается насухо или в воду, и намывные, когда грунт намывается средствами гидромеханизации.
1.7. Береговые отвалы откосятся к второстепенным гидротехническим сооружениям и соответствуют IV классу капитальности.
При соответствующем обосновании береговой отвал или отдельные его элементы могут быть отнесены к III классу капитальности.
1.8. Разработка технологии образования искусственной территории основывается на результатах изысканий, выполненных в соответствии с требованиями СНиП 1.02.07-87, и данных, характеризующих назначение территории, объем разрабатываемых грунтов при дноуглублении, продолжительность возведения берегового отвала.
1.9. Освоение искусственной территории на береговом отвале следует начинать после достижения намытыми грунтами прочности (сопротивления сдвигу), обеспечивающей допускаемые нагрузки согласно табл. 1.1.
Таблица 1.1
Требования к прочности грунтов в зависимости от назначения искусственной территории
|
Назначение искусственной территории на береговом отвале грунта |
Допускаемое давление на грунт, кПа |
Прочность (сопротивление сдвигу) грунта искусственной территории, кПа |
|
Береговой отвал (сванка грунта) |
30 - 40 |
6 - 8 |
|
Территория под зеленую зону |
40 - 60 |
8 - 12 |
|
Портовая территория |
60 - 100 |
12 - 19 |
1.10. В проекте берегового отвала необходимо предусматривать затраты на проведение натурных исследований в процессе возведения отвала, а также перед началом освоения искусственной территории.
Принятые термины и определения приведены в прил. 1.
2.1. Проектом берегового отвала должны быть предусмотрены следующие основные работы, выполняемые в подготовительный период:
- снятие плодородного слоя почвы и выторфовка;
- закрепление в натуре границ территории и акватории берегового отвала, установка межевых и створных знаков;
- инженерная подготовка, включающая планировку территории (участка), перенос существующих подземных (подводных) и наземных (надводных) сетей, устройство при необходимости временных или постоянных автомобильных дорог, сетей электроснабжения, освещения и связи, ограждающих знаков безопасности;
- установка на картах намыва мерных реек.
2.2. Подготовительные геодезические работы должны включать:
- создание опорной геодезической сети и разбивочной геодезической основы;
- вынос и закрепление на местности проектных осей ограждающих дамб и водосбросных сооружений;
- установку и закрепление основных и рабочих опорных знаков геодезической разбивочной основы с привязкой их к государственной планово-высотной сети;
- установку мареографов и водомерных реек и привязку их к основным опорным знакам;
- закрепление к опорным знакам мерных реек на картах намыва.
2.3. Для определения уровня воды акватории в районе приурезового берегового отвала необходимо пользоваться портовым мареографом, правильность показаний которого должна быть обеспечена при любом волнении моря.
2.5. В соответствии с требованиями СНиП 3.01.01-86 составляется проект организации строительства (ПОС), включающий все работы подготовительного периода. На основании ПОС подрядная организация разрабатывает проект производства работ и технологические карты на подачу и укладку грунта в береговой отвал.
3.1. Ограждающие дамбы карт намыва должны возводиться преимущественно из местных грунтов или грунтов береговой срезки. Рекомендуется также использовать песчаные и супесчаные грунты, разрабатываемые при морском дноуглублении. Выбор грунтов для обвалования берегового отвала и технология их укладки осуществляются в соответствии с требованиями СНиП 2.06.05-84, СНиП 3.07.03-85 и РД 31.04.01-79.
3.2. Конструкция ограждающих дамб должна разрабатываться в соответствия с требованиями СНиП 2.06.05-84, СНиП 3.07.03-85 и ВСН 04-71/Минэнерго СССР с учетом рельефа местности и инженерно-геологических условий основания берегового отвала. При этом максимальная высота дамб не должна превышать 8 м.
3.3. Для приурезового отвала, примыкающего к открытой акватории, расчет дамбы обвалования на устойчивость от воздействия волн и течений следует выполнять в соответствии с требованиями СНиП 2.06.04-82 и СНиП 2.06.05-84.
3.4. Следует обеспечить предотвращение выхода фильтрационного потока на откос ограждающей дамбы, а также в местах примыкания дамбы к коренному берегу или основанию отвала. Расчет на фильтрацию выполняется в соответствии с требованиями СНиП 2.06.05-84, ВСН 291-72/Минмонтажспецстроя СССР и Рекомендаций по проектированию хвостовых хозяйств предприятий металлургической промышленности.
3.5. Водосбросные устройства выполняются в виде колодцев, фильтрующих дамб или водозаборных насосных станций, устанавливаемых в зоне наиболее осветленной воды прудка-отстойника.
При проектировании водосбросных устройств должен быть предусмотрен комплекс мероприятий, обеспечивающих пропуск ливневых и паводковых вод с площади берегового отвала.
Водосбросные устройства должны иметь надежную конструкцию, обладать соответствующей пропускной способностью и обеспечивать возможность регулирования расхода сбрасываемой с карт намыва воды.
3.6. Расчет конструкций водосбросных колодцев выполняется в соответствии с требованиями СНиП 2.06.03-85, Инструкции по проектированию гидроотвалов из глинистых грунтов и прогнозированию их состояния и Рекомендаций по проектированию хвостовых хозяйств предприятий металлургической промышленности.
3.7. Для защиты берегового отвала от ливневых и паводковых вод следует устраивать дренажные канавы. Сечение канав и их уклоны должны определяться проектом с учетом площади водосбора, рельефа местности и гидрометеорологических условий.
Основные схемы отвалов приведены на рис. 1 - 4.
Рис. 1. Схема берегового отвала в порту Белгород-Днестровский:
I - карты намыва (а - пляжная зона; б - промежуточная; в - прудковая); 1 - дамбы обвалования; 2 - пульпопровод первой очереди; 3 - пульпопровод второй очереди; 4 - водосбросные колодцы

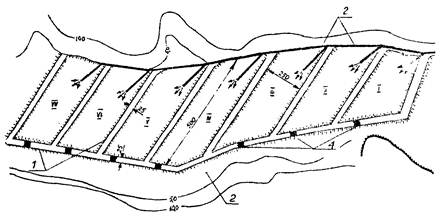
Рис. 2. Схема берегового отвала в порту Южный:
I - VII - карты намыва; 1 - дамбы обвалования; 2 - водоотвод; 3 - пульпопровод; 4 - водосбросные колодцы

Рис. 3. Схема берегового отвала в порту Херсон:
I - III - карты намыва; 1 - дамбы обвалования; 2 - пульпопровод; 3 - водосбросы; 4 - станция регулирования; 5 - самоотвозный землесос
Рис. 4. Схема берегового отвала в порту Керчь:
I - VI - карты намыва; 1 - дамбы обвалования; 2 - водосбросы; 3 - плавучий причал; 4 - самоотвозный землесос; 5 - береговой пульпопровод; 6 - депозит; 7 - шаландоперегружатель; 8 - плавучий пульпопровод
4.1. Прокладку распределительных пульпопроводов следует выполнять после окончания возведения ограждающих дамб и водосбросных сооружений.
4.3. Рекомендуются следующие схемы подачи грунта в береговой отвал:
а) трюм самоотвозного землесоса-рефулерная станция-береговой отвал;
б) трюм самоотвозного землесоса-рефулерная станция-станция перекачки-береговой отвал;
в) трюм грунтоотвозной шаланды-береговой отвал (двойная перевалка);
г) трюм грунтоотвозной шаланды-шаландоперегружатель-береговой отвал.
Выбор технологической схемы подачи грунта в береговой отвал в каждом конкретном случае необходимо осуществлять на основании технико-экономического обоснования с учетом наличия технических средств, расстояния от места разработки грунта (дноуглубления) до берегового отвала и мер безопасности при производстве перегрузочных операций.
4.4. При подаче грунта в береговой отвал по схемам а и б (см. п. 4.2) рефулерная станция должна быть установлена на причальном сооружении, обеспечивающем безопасность швартовки землесоса и производство рефулерных работ.
4.5. Конструкция причального сооружения должна быть рассчитана на нагрузку от швартовки землесоса, воздействия волн и льда в соответствии с требованиями СНиП 2.06.04-82.
4.6. Район установки рефулерной станции рекомендуется выбирать с учетом условий защищенности от волнового воздействия.
Выбор района расположения рефулерной станции должен обеспечить условия безопасности маневрирования землесосов и грунтоотвозных шаланд при швартовных операциях.
4.7. Работы по рефулированию грунтов в береговой отвал самоотвозным землесосом (схемы а или б) должны выполняться в соответствии с требованиями РД 31.74.08-85.
При рефулировании грунта в береговой отвал стационарным землесосом (схема в) необходимо выполнять требования СНиП III.-8-76.
4.8. При подаче грунта в береговой отвал с двойной перевалкой подходы к депозиту должны быть оборудованы средствами навигационного обеспечения в соответствии с требованиями РД 31.74.08-85.
4.9. Плановые размеры акватории депозита и глубина должны обеспечить безопасное плавание и маневрирование грунтоотвозных судов. Минимальный линейный размер депозита в плане должен быть не менее двух длин грунтоотвозного судна.
4.10. Разработка котлована для устройства депозита грунта рекомендуется только в случае отсутствия участков акватории с естественными глубинами, обеспечивающими размещение расчетного объема грунта.
4.11. Расчетная вместимость депозита Vd определяется по формуле
Vd = (qr × b - qzs)Dtr, м3, (4.1)
где qr - средняя за рабочий период выработка земснаряда, осуществляющего разработку грунта на объекте дноуглубления, м3/сут;
b - коэффициент гидроразрыхления грунта;
qzs - средняя за рабочий период выработка землесосного оборудования (земснаряды в депозите, м3/сут);
Dtr - длительность рабочего периода технических средств на объекте дноуглубления, сут.
5.1. При расположении берегового отвала на суше намыв грунта на каждую карту необходимо производить послойно. Намыв каждого последующего слоя следует осуществлять после достижения грунтами нижележащего слоя прочности, принятой в проекте.
5.2. При определении объема и мощности каждого слоя намытых грунтов следует учитывать образование в береговом отвале трех зон: пляжной, промежуточной и прудковой. Рекомендуется принимать следующие соотношения размеров зон по площади при сосредоточенной односторонней схеме намыва суглинистых и глинистых илов:
- для намыва под воду S1:S2:S3 = 1:2:3;
- для намыва на сушу S1:S2:S3 = 1:2:1, где S1, S2, S3 - соответственно площадь пляжной, промежуточной и прудковой зон.
5.3. Средний уклон поверхности карты намыва грунта допускается принимать 0,005 ... 0,007.
5.4. Емкость берегового отвала и объем каждого намытого слоя грунта Vn должны определяться с учетом коэффициента гидроразрыхления по формуле
Vn = bVr, м3, (5.1)
где Vr - объем разрабатываемого грунта, м3,
b - коэффициент гидроразрыхления, принимаемый для илов по табл. 5.1.
Таблица 5.1
Коэффициент гидроразрыхления b разрабатываемых илов
|
Число пластичности, Ip |
Коэффициент гидроразрыхления, b |
|||
|
1,00 > K ³ 0,75 |
0,75 > K ³ 0,60 |
0,60 > K ³ 0,50 |
||
|
Ил супесчаный |
0,01 < Ip £ 0,07 |
- |
1,1 1,0 |
1,5 1,1 |
|
Ил суглинистый |
0,07 < Ip £ 0,17 |
1,0 0,9 |
1,2 1,1 |
1,4 1,2 |
|
Ил глинистый, легкий |
0,17 < Ip £ 0,30 |
1,1 1,0 |
1,4 1,2 |
1,5 1,3 |
|
Ил глинистый, средний |
0,30 < Ip £ 0,60 |
1,3 1,1 |
1,4 1,3 |
1,6 1,4 |
Примечание: К - показатель уплотнения и дегидратации илов, определяемый по формуле
K = W/(2W1),
где W, W1 - соответственно естественная влажность и влажность на границе текучести, определяемые в соответствии с ГОСТ 5180-84.
В числителе приведены значения b после намыва слоя мощностью до 1 м, в знаменателе - b после технологического перерыва продолжительностью не менее 8 мес.
5.5. Период между окончанием намыва предыдущего слоя и началом намыва следующего слоя (технологический перерыв) должен составлять не менее 8 - 12 мес.
Меньший из указанных периодов технологического перерыва устанавливается для районов, где значения испаряемости превышают осадки более чем на 300 мм в год; больший - необходимо назначать в районах, где эта величина составляет не менее 100 мм в год. Значения испаряемости и осадков должны определяться в соответствии с Рекомендациями по расчету испарения с поверхности суши.
5.6. Мощность каждого намытого слоя h в зависимости от принятой прочности грунтов в подошве слоя следует определять по формуле
где tz - прочность грунтов в подошве намытого слоя, кПа;
tsh - прочность грунтов в подошве активного слоя (зона усадки), кПа, при продолжительности высыхания от 8 до 12 мес., вычисляемая по формуле
tsh = h + 36(0,70 - WL,n) (5.3)
WL,n - влажность на границе текучести намытых грунтов, вычисляемая из соотношения WL,2 = 0,8WL,r для промежуточной зоны и WL,3 = 1,1WL,r для прудковой зоны;
WL,r - средневзвешенное значение влажности на границе текучести разрабатываемых грунтов;
а1 - угловой коэффициент, принимаемый равным 10, 7, 4 кПа соответственно при WL,n - 0,40; 0,50; 0,60.
Примечания:
1. При определении мощности каждого слоя необходимо соблюдать условие tz ³ tsh.
2. При определении мощности слоя намываемого грунта рекомендуется выполнять расчеты по промежуточной зоне гидроотвала.
5.7. При расчетной мощности, вычисленной по формуле (5.2), менее 0,3 м следует предусматривать следующие мероприятия:
1) увеличение продолжительности технологического перерыва путем увеличения количества карт намыва;
2) уплотнение намывных грунтов огружающей насыпью до требуемого значения прочности в соответствии с табл. 1.1, задавшись в формуле (5.2) меньшей величиной tz. Уплотнение рассчитывают согласно прил. 2.
5.8. Мощность каждого слоя при продолжительности технологического перерыва 2 года следует определять по формуле
где t¢sh - прочность грунта в подошве активного слоя, кПа, при продолжительности высыхания 2 года, вычисляемая по формуле
t¢sh = 8 + 88(0,70 - WL,n), (5.5)
а2 - угловой коэффициент, принимаемый равным 14; 12; 11 кПа соответственно при WL,n 0,40; 0,50; 0,60;
WL,n и tz - обозначения те же, что и в формулах (5.2) и (5.3).
Примечания:
1. При определении мощности каждого слоя необходимо соблюдать условие tz ³ t¢sh.
2. Мощность слоя намываемого грунта при продолжительности технологического периода 1,5 года допускается определять линейным интерполированном.
6.1. Сброс осветленной воды с берегового отвала должен производиться в соответствии с технологическими параметрами подачи пульпы и допустимым поднятием уровня воды на картах намыва и принятого типа отвала.
Содержание взвеси в сбрасываемой воде не должно превышать фоновую мутность на величину, предусмотренную Правилами охраны поверхностных вод от загрязнения сточными водами.
6.2. Значение величины фоновой мутности определяется по данным годичного цикла наблюдений за содержанием твердой взвеси в районе планируемого сброса. При отсутствии таких наблюдений значение фоновой мутности устанавливается расчетом в соответствии с требованиями Руководства по методам исследований и расчетов перемещений наносов и динамики берегов при инженерных изысканиях.
6.3. При намывном типе отвала сброс осветленной воды должен осуществляться одновременно с подачей пульпы; при наливном типе отвала осветленная вода сбрасывается после заполнения карты пульпой до расчетного уровня и завершения периода отстоя.
6.4. Сброс осветленной воды должен осуществляться через специальные водосбросные сооружения или фильтрующие дамбы.
6.5. Для береговых отвалов намывного типа использование водосбросных сооружений допускается только при наличии специальных отстойных бассейнов. В качестве водосбросных сооружений рекомендуется применять колодцы с шандорными затворами.
При отсутствии площадей для организации отстойников рекомендуется применять метод подачи пульпы на карту намыва с синхронным сбросом осветленной воды через фильтрующие дамбы.
6.6. Поперечные размеры фильтрующих дамб принимаются равными поперечным размерам дамб обвалования. Длина фильтрующей дамбы l определяется по фронту из условия расчетного расхода осветленной воды:
(6.1)
где Vn - суточный объем пульпы, подаваемый на карту намыва, м3/сут;
- средний гидравлический уклон фильтрационного
потока в теле дамбы;
Рn - консистенция смеси;
- средняя мощность фильтрационного потока в теле дамбы, м;
Kf - коэффициент фильтрации материала дамбы, м/сут;
К - коэффициент, равный 1,1×10-3.
6.7. Фильтрующая дамба должна устраиваться из местных грунтов с коэффициентом фильтрации, равным или большим размываемой скорости для различных фракций взвеси, поступающей в водосброс. Не рекомендуется использовать для сооружения дамбы грунт с коэффициентом фильтрации более 8,0×10-3 м/с.
6.8. При соответствующем обосновании рекомендуется устройство фильтрующей дамбы из изношенных автопокрышек, уложенных слоями один на другой с засыпкой пустот фильтрующим материалом: щебнем, галькой, крупным песком и др. Значения коэффициента фильтрации материала такой дамбы необходимо определять в соответствии с указаниями СНиП 2.06.05-84.
7.1. Проектом берегового отвала должно быть предусмотрено образование искусственной территории.
7.2. Начало освоения искусственной территории в промежуточной зоне следует планировать не ранее, чем через 1 год после окончания намыва грунтов, а в прудковой зоне - через 2 года.
7.3. Мощность активного слоя (зоны усадки) Hsh, м, следует определять по формулам:
- при продолжительности высыхания грунтов от 8 до 12 мес
Hsh = 0,4 + 1,5(0,70 - WL,n), (7.1)
- при продолжительности высыхания грунтов 2 года
H¢sh = 0,5 + 2,0(0,70 - WL,n). (7.2)
7.4. Прочность намытого грунта на глубине z от поверхности отвала в пределах активного слоя следует определять по формулам:
- при продолжительности высыхания грунтов от 8 до 12 мес
(7.3)
- при продолжительности высыхания грунтов 2 года
(7.4)
где tsz и t¢sz - прочность грунта при продолжительности высыхания грунтов соответственно от 8 до 12 мес. и 2 года, кПа;
tsh; a1; WL,n - обозначения те же, что и в формуле (5.2);
t¢sh; а2 - обозначения те же, что и в формуле (5.4).
7.5. Если при намыве грунтов на акваторию, а также при послойном намыве высыхание грунтов не обеспечивает необходимую прочность, в проекте должны предусматриваться мероприятия по повышению несущей способности намывных грунтов.
7.6. Повышение несущей способности грунтов следует осуществлять путем их уплотнения временной огружающей насыпью с дренированием либо другими известными методами, применение которых допускается при соответствующем обосновании.
7.7. Расчет степени уплотнения намытых грунтов должен производиться в два этапа: предварительный и окончательный.
Предварительный расчет выполняется в процессе проектирования берегового отвала с образованием искусственной территории, окончательный расчет - перед началом устройства огружающей насыпи на образованной искусственной территории.
7.8. Перед устройством временной огружающей насыпи необходимо определять прочность намытых грунтов согласно ГОСТ 21719-80 или ГОСТ 12248-78 и уточнить исходные данные для окончательного расчета уплотнения намытых грунтов.
7.9. Устройство огружающей насыпи следует производить слоями. При предварительных расчетах допускается в запас надежности принимать мощность первого слоя насыпи не более 0,5 м, мощность последующих слоев принимается равной сумме мощностей предыдущих слоев.
Методика расчета степени уплотнения берегового отвала огружающей насыпью приведена в прил. 2; примеры расчета - в прил. 3; основные буквенные обозначения - в прил. 4.
8.1. В процессе возведения и эксплуатации берегового отвала и полезной искусственной территории должны проводиться инженерно-геологические наблюдения.
В составе проекта должны быть предусмотрены следующие работы по контрольным наблюдениям:
- постоянный контроль технологии возведения ограждающих дамб и послойного намыва территории;
- контроль за фильтрацией воды через ограждающие дамбы и водосбросные сооружения и контроль качества осветленной воды;
- контроль за состоянием грунтов искусственной территории.
8.2. Прочностные характеристики грунтов на береговом отвале необходимо определять по результатам комплексных полевых и лабораторных исследований.
8.3. На береговом отвале необходимо проводить систематические визуальные и геодезические наблюдения за осадками и горизонтальными смещениями дамб обвалования, водосбросных сооружений, намывной искусственной территории, а также за состоянием прилегающих участков территории и акватории.
9.1. В проекте берегового отвала должны быть предусмотрены мероприятия по охране окружающей среды в соответствии с требованиями СНиП 1.02.01-85, СНиП 3.02.01-87, СНиП 3.07.02-87 и настоящих рекомендаций.
9.2. При производстве работ на береговом отвале необходимо выполнять мероприятия, обеспечивающие соблюдение требований проекта и действующих законодательств по защите земель и водоемов от загрязнения.
9.3. Береговые отвалы должны располагаться преимущественно на неудобных для сельскохозяйственного использования землях и, как правило, в незастроенных и незаселенных местностях.
9.4. Выбор места для берегового отвала должен осуществляться преимущественно с учетом последующей эффективной рекультивации создаваемой искусственной территории.
9.5. Запрещается размещение береговых отвалов в местах, где возможен вынос намытых грунтов и перемещение их ливневыми или паводковыми водами в водоемы или на используемые земельные угодья.
9.6. Проектом берегового отвала должен быть установлен порядок складирования, сохранения и использования снятого плодородного слоя почвы.
Рекультивация плодородных земель в процессе строительства должна осуществляться в соответствии с требованиями ГОСТ 17.5.3.04-83.
9.7. В процессе выполнения работ по устройству ограждающих дамб берегового отвала, дноуглубления и рефулирования грунтов должны быть приняты меры по предотвращению изменения биологического режима и других естественных условий прибрежной зоны.
9.8. Осветленная вода, сбрасываемая с карт намыва, должна отвечать требованиям Правил охраны поверхностных вод от загрязнения сточными водами, утвержденных Минводхозом СССР и Минздравом СССР, и Правил охраны прибрежных вод морей, утвержденных Госкомприродой.
Нормативные документы приведены в прил. 5.
Береговой отвал - специальное гидротехническое сооружение, предназначенное для аккумулирования (складирования) намывных грунтов при дноуглублении морских каналов и портовых акваторий, с возможностью его использования в последующем как искусственной территории, карьера грунта для строительных целей и т.п.
Подводный отвал - место укладки грунта на дне акватории ниже уровня воды.
Карта намыва - территория (участок), ограниченная в плане дамбами обвалования, на которой производится намыв грунта из распределительного трубопровода.
Намывные грунты - грунты, извлекаемые (разрабатываемые) при дноуглублении подходных каналов, портовых акваторий и т.п. транспортируемые и переукладываемые способом гидромеханизации.
Гидросмесь (пульпа) - механическая смесь грунта с водой, обладающая достаточной текучестью и консистенцией для транспортировки по трубопроводам.
Консистенция пульпы - степень насыщения грунтом потока пульпы, определяемая отношением расхода грунта естественной влажности к расходу гидросмеси.
Материал дноуглубления - любой грунт, вычерпанный из любых судоходных водоемов.
Ограждающая дамба (дамба обвалования) - первичное ограждающее сооружение карты намывной территории (участка), возводимое из местных грунтов или других материалов, ограничивающее растекание гидросмеси (пульпы).
Искусственная территория - намывная территория, огражденная в плане дамбами обвалования или откосами, заполненная грунтом гидромеханизированным способом и предназначенная для дальнейшего использования после достижения соответствующей прочности намытых грунтов.
Водосбросное сооружение - сооружение, пропуск осветленной воды через которое осуществляется со свободной поверхностью потока.
Водосбросный колодец - водосбросное сооружение, предназначенное для приема и отвода осветленной воды с карты намыва.
Прудок-отстойник - водоем, образующийся при намыве грунта в береговой отвал и предназначенный для отвода осветленной воды с карты намыва.
Интенсивность намыва - мощность намываемого слоя грунта по высоте в единицу времени (сутки, месяц, год).
Фронт намыва - общая ширина потока пульпы, выпускаемой из пульпопровода на карте намыва.
Рекультивация - комплекс мероприятий, осуществляемых с целью восстановления на площади, занятой береговым отвалом, состояния, предусматриваемого проектом.
Загрязнение природных вод - процесс изменения состава и свойств природных вод в результате деятельности человека, приводящий к ухудшению качества воды.
Фильтрующая дамба - дамба из фильтрующего (пористого) материала, являющаяся частью дамбы обвалования и обеспечивающая фильтрацию расчетного объема осветленной воды, сбрасываемой с карты намыва.
Дноуглубление - углубление до проектных или навигационных глубин подходного канала, акваторий порта или других судоходных водоемов.
Проектная глубина - глубина от отсчетного уровня воды, определенная для расчетного судна с учетом всех необходимых нормативных запасов.
Навигационная глубина - гарантированная глубина, обеспечивающая проход расчетного судна в течение всего навигационного периода при самых неблагоприятных расчетных условиях.
Подходной канал - по ГОСТ 19185-73.
Акватория порта - то же.
Плавучий причал - причал из системы плавучих элементов.
Рейдовый причал - причал на рейде из одиночных плавучих средств или стационарных опор.
Технологический перерыв - время выдерживания намытого слоя грунта на одной или группе карт намыва, в течение которого грунт уплотняется за счет потери влаги путем естественного просушивания.
Пульповоды - магистральные трубопроводы, предназначенные для гидравлического транспортирования грунта (пульпы) до берегового отвала.
Распределительные трубопроводы - трубопроводы, проложенные на картах намыва.
Активный слой (зона усадки) - область усадки намытого слоя грунта в процессе естественной просушки.
Пляжная зона - зона карты намыва между ограждающей дамбой и прудком-отстойником.
МЕТОДИКА РАСЧЕТА СТЕПЕНИ УПЛОТНЕНИЯ ГРУНТОВ БЕРЕГОВОГО ГИДРООТВАЛА ВРЕМЕННОЙ ОГРУЖАЮЩЕЙ НАСЫПЬЮ
1. Целью расчета уплотнения грунтов является определение высоты временной огружающей насыпи при заданных продолжительности консолидации или степени консолидации, обеспечивающих повышение прочности грунтов до заданного значения, а также определение осадки поверхности гидроотвала, обусловленной консолидацией грунтов.
2. Высота временной огружающей насыпи Ннас определяется по формуле
(1)
где g - удельный вес грунта, слагающего насыпь, - 16 кН/м3;
tк - прочность намытых грунтов в консолидированном состоянии при вертикальном давлении, обусловленном весом огружающей насыпи, кПа (см, п. 3);
t1 - прочность намытых грунтов в консолидированном состоянии при вертикальном давлении 100 кПа, имеющая размерность кПа, равна
(2)
m - угловой коэффициент, определяемый по формуле
(3)
3. Прочность намытых грунтов в консолидированном состоянии при вертикальном давлении, обусловленном огружающей насыпью tк, кПа, определяется по формуле
(4)
где t0 - прочность намытых грунтов перед началом устройства огружающей насыпи, кПа, определяемая по формулам;
n - угловой коэффициент, принимаемый равным 4,48; 4,52 и 4,56 соответственно при WL,n 0,40; 0,50 и 0,60;
tt - принятая прочность намытых грунтов, соответствующая заданной продолжительности их консолидации t, кПа;
U - степень консолидации, определяемая согласно п. 4.
- при продолжительности высыхания грунтов от 8 до 12 мес
t0 = 2 + 36(0,70 - WL,n) + 0,36а1; (5)
- при продолжительности высыхания грунтов 2 года
t¢0 = 8 + 88(0,70 - WL,n) + 1,05а2; (6)
- для грунтов, намытых на акватории
t²0 = 0,7(1,86 - WL,n)0,65-n, (7)
4. Степень консолидации намытых грунтов, соответствующая продолжительности их консолидации, определяется в зависимости от функции степени консолидации N по табл. 1.
Таблица 1
|
0,1 |
0,2 |
0,3 |
0,4 |
0,5 |
0,6 |
0,7 |
0,8 |
0,9 |
0,95 |
|
|
N |
0,02 |
0,08 |
0,17 |
0,31 |
0,49 |
0,71 |
1,00 |
1,40 |
2,09 |
2,80 |
Функцию степени консолидации N следует определять по формуле
(8)
где t - заданная продолжительность консолидации намытых грунтов;
Сv - коэффициент консолидации, принимаемый для супесчаных грунтов Сv = 0,144 м2/сут, для суглинистых Сv = 0,220 м2/мес для глинистых Сv = 0,720 м2/г;
Нn - мощность намытых грунтов определяется в соответствии с указаниями п. 5.
Примечание. Для слоистой толщи намытых грунтов при окончательном расчете их уплотнения по уточненным исходным данным должны быть определены приведенные коэффициенты консолидации i-го слоя по формуле
(9)
5. Мощность намытых грунтов Нn определяется по формуле
(10)
где Vn,i - объем намытого грунта i-го слоя, определяемый в соответствии с указаниями п. 2.4;
S - площадь карты намыва.
6. Осадку территории, обусловленную временной огружающей насыпью St, следует определять по формуле
St = USк, (11)
где U - степень консолидации намытых грунтов, определяемая в соответствии с указаниями п. 4;
Sк - конечная осадка территории, определяемая по формуле
(12)
здесь Н - мощность намытых грунтов, см;
Р - вертикальное давление под подошвой огружающей насыпи, кПа;
Е - модуль деформации намытых грунтов, определяемый по табл. 2.
Примечание. Для слоистой толщи намытых грунтов с различными модулями деформации конечная осадка территории должна определяться по уточненным исходным данным при окончательном расчете как сумма осадок отдельных слоев.
Таблица 2
|
Модуль деформации Е, кПа |
||
|
промежуточная зона |
прудковая зона |
|
|
Супесчаный |
2000 2800 |
1000 1600 |
|
Суглинистый |
700 1200 |
500 800 |
|
Глинистый легкий |
400 700 |
300 600 |
|
Глинистый средний |
300 500 |
300 400 |
Примечание. В числителе приведены значения Е при вертикальном давлении 100 кПа, в знаменателе - значения Е при вертикальном давлении 200 кПа.
Определить высоту временной огружающей песчаной насыпи на территории берегового гидроотвала с целью увеличения прочности намытых грунтов до 19 кПа за 3 года их консолидации и осадку поверхности этой территории.
Исходные данные
Мощность намытых грунтов..................................................... Нn = 3,0 м
Удельный вес грунта насыпи.................................................... g = 16 кН/м3
Коэффициент консолидации намытых грунтов..................... Сv = 0,72 м2/сод
Влажность на границе текучести намытых грунтов.............. WL,n = 0,60
Модуль деформации намытых грунтов................................... Е = 550 кПа
Угловой коэффициент............................................................... a1 = 4 кПа
|
Наименование определяемой величины |
Расчетная формула |
Значение величины |
|
Функция степени консолидации |
|
0,59 |
|
Степень консолидации |
Табл. II.1.1 |
0,54 |
|
Прочность намытых грунтов перед началом устройства огружающей насыпи при продолжительности высыхания грунтов 1 год, кПа |
t0 = 2 + 36(0,70 + WL,n) + a1ln1,43 |
6 |
|
Прочность намытых грунтов в консолидированном состоянии при вертикальном давлении 100 кПа, кПа |
|
38 |
|
Прочность намытых грунтов в консолидированном состоянии при вертикальном давлении, обусловленном огружающей насыпью tк, кПа |
|
50 |
|
Угловой коэффициент m |
|
0,69 |
|
Высота временной огружающей насыпи Ннас, м |
|
9,3 |
|
Давление под подошвой насыпи Р, кПа |
Р = Ннасg |
149 |
|
Конечная осадка территории Sк, см |
|
60 |
|
Осадка территории после трех лет консолидации намытых грунтов St, см |
St = USк |
32 |
БУКВЕННЫЕ ОБОЗНАЧЕНИЯ И ГЕОМЕТРИЧЕСКИЕ ХАРАКТЕРИСТИКИ
|
S1; S2; S3 |
- площади соответственно пляжевой, промежуточной и прудковой зон, м2; |
|
S |
- площадь карты намыва, м2; |
|
Vn, Vr |
- объем грунта соответственно намытого и разрабатываемого, м3; |
|
h |
- мощность намытого слоя грунта, м; |
|
Нsh, Н¢sh |
- мощность активного слоя (зона усадки) при продолжительности высыхания грунтов соответственно от 8 до 12 мес и 2 года, м; |
|
z |
- глубина от поверхности отвала, м; |
|
Ннас |
- высота временной огружающей насыпи, м; |
|
Нn |
- мощность намытых грунтов, м; |
|
St |
- осадка территории за период неполной консолидации намытых грунтов, м; |
|
Sк |
- конечная осадка территории при полной консолидации намытых грунтов, м; |
|
Сv |
- коэффициент консолидации; |
|
Е |
- испарение влаги с поверхности намытого грунта, м/сут; |
|
Нn,2 |
- мощность намытого грунта в промежуточной зоне, м; |
|
hv |
- глубина воды на карте намыва, м; |
|
i |
- гидравлический уклон; |
|
Ip |
- число пластичности; |
|
К |
- показатель уплотнения и дегидратации; |
|
Kf |
- коэффициент фильтрации материала дамбы, м/сут; |
|
l |
- длина дамбы, м; |
|
m, a, n |
- угловой коэффициент; |
|
N |
- функция степени консолидации; |
|
Р |
- давление, кПа; |
|
Pd |
- допускаемое давление, кПа; |
|
Q |
- расчетный расход через водосброс, м3/с; |
|
U |
- степень консолидации; |
|
v |
- скорость воды на карте намыва, м/с; |
|
We |
- весовая влажность грунтов; |
|
W |
- объемная влажность намытых грунтов; |
|
Wo |
- объемная влажность разрабатываемых грунтов; |
|
WL,r |
- средневзвешенное значение влажности на границе текучести разрабатываемых грунтов; |
|
WL,i |
- средняя влажность на границе текучести намытых грунтов в переходной или прудковой зонах; |
|
z |
- отметка основного уровня, м; |
|
b |
- коэффициент гидроразрыхления; |
|
w |
- гидравлическая крупность расчетных фракций, м/с; |
|
rнас |
- плотность грунта насыпи, г/см3; |
|
t0 |
- начальная прочность, кПа; |
|
t1 |
- стабилизированная прочность при вертикальном давлении 100 кПа, кПа |
|
tк |
- стабилизированная прочность, кПа; |
|
tt |
- прочность при неконсолидированном состоянии намытых грунтов, кПа; |
|
tsz |
- прочность намытого грунта, кПа, на глубине z; |
|
t¢sz |
- прочность грунта в подошве активного слоя, кПа, при высыхании 2 года; |
|
tsh |
- прочность грунта зоны усадки, кПа, при продолжительности высыхания 8 ... 12 мес. |
ПЕРЕЧЕНЬ ИСПОЛЬЗОВАННЫХ НОРМАТИВНО-ТЕХНИЧЕСКИХ ДОКУМЕНТОВ
|
Грунты. Методы лабораторного определения физических характеристик |
|
|
ГОСТ 12248-78 |
Грунты. Методы лабораторного определения сопротивления срезу |
|
Грунты. Методы полевых испытаний на срез в скважинах и массивах |
|
|
Гигиенические требования к зонам рекреации водных объектов |
|
|
Охрана природы. Земли. Общие требования к рекультивации земель |
|
|
Инструкция о составе, порядке разработки, согласования и утверждения проектно-сметной документации на строительство предприятий, зданий и сооружений |
|
|
Инженерные изыскания для строительства |
|
|
Определение расчетных гидрологических характеристик |
|
|
Основания зданий и сооружений. Пособие по проектированию оснований зданий и сооружений |
|
|
Нормы проектирования. Сооружения мелиоративных систем |
|
|
Нагрузки и воздействия на гидротехнические сооружения (волновые, ледовые и от судов) |
|
|
Плотины из грунтовых материалов |
|
|
СНиП 3.01.01-86 |
Организация строительного производства |
|
Основания и фундаменты |
|
|
Гидротехнические и энергетические сооружения, мелиоративные системы и сооружения. Производство работ |
|
|
Гидротехнические морские и речные транспортные сооружения |
|
|
Мелиоративные системы и сооружения |
|
|
РД 31.74.08-85 |
Техническая инструкция по производству морских дноуглубительных работ |
|
РД 31.74.09-86 |
Нормы на морские дноуглубительные работы |
|
Минэнерго СССР |
Указания по расчету устойчивости земляных откосов |
|
ММСС СССР |
Инструкция по проектированию гидроотвалов из глинистых грунтов и прогнозированию их состояния |
|
Рекомендации по расчету испарения с поверхности суши. - ЛИСИ, 1976. Рекомендации по проектированию хвостовых хозяйств предприятий металлургической промышленности. - ВНИИ ВОДГЕО Госстроя СССР, 1978. Руководство по методам исследований и расчетов перемещений наносов и динамики берегов при инженерных изысканиях. - Л.: Гидрометиздат, 1975. Основы земельного законодательства Союза ССР и союзных республик Основы водного законодательства Союза ССР и союзных республик Правила охраны поверхностных вод от загрязнения сточными водами (Минводхоз СССР, Минздрав СССР, Минрыбхоз СССР), - М., 1975. Правила выдачи разрешений на сброс в целях захоронения в море отходов и других материалов, регистрации их характеристик и качества, определение места, времени и метода сброса. - М.: Госкомгидромет, 1982. |
СОДЕРЖАНИЕ