МИНИСТЕРСТВО ЭНЕРГЕТИКИ И ЭЛЕКТРИФИКАЦИИ СССР

ГЛАВНОЕ ТЕХНИЧЕСКОЕ УПРАВЛЕНИЕ ПО ЭКСПЛУАТАЦИИ ЭНЕРГОСИСТЕМ

ВСЕСОЮЗНЫЙ ГОСУДАРСТВЕННЫЙ ТРЕСТ ПО ОРГАНИЗАЦИИ
И РАЦИОНАЛИЗАЦИИ РАЙОННЫХ ЭЛЕКТРИЧЕСКИХ СТАНЦИЙ И СЕТЕЙ
(ОРГРЭС)

 

МЕТОДИЧЕСКИЕ УКАЗАНИЯ
ПО ПРОВЕДЕНИЮ
СПЕКТРАЛЬНОГО АНАЛИЗА
МЕТАЛЛА ДЕТАЛЕЙ
ЭНЕРГЕТИЧЕСКИХ УСТАНОВОК
С ПОМОЩЬЮ СТИЛОСКОПА

 

 

ОРГРЭС

СПЕЦИАЛИЗИРОВАННЫЙ ЦЕНТР НАУЧНО-ТЕХНИЧЕСКОЙ ИНФОРМАЦИИ

МОСКВА 1969

 

Составлено Специализированным центром научно-технической информации по эксплуатации энергосистем ОРГРЭС

Автор инж. Д.Э. КАН

Редактор канд. техн. наук А.Г. КОМАРОВСКИЙ

Методические указания предназначены для монтажного, ремонтного и эксплуатационного персонала, осуществляющих организацию и производство работ по монтажу и ремонту оборудования, а также контроль и наблюдение за металлом трубопроводов, котлов и турбин на тепловых электрических станциях.

Методические указания разработаны на основе опыта работы производственного предприятия «Мосэнергоремонт».

С выходом Методических указаний отменяется «Временная инструкция по спектральному анализу металла деталей энергетических установок с помощью стилоскопа», выпущенная БТИ ОРГРЭС в 1962 г.

 

УТВЕРЖДАЮ

Главный инженер

Главэнергоремонта

П. ОРЕШКИН

УТВЕРЖДАЮ

Главный инженер

Главного

технического управления

по эксплуатации энергосистем

С. МОЛОКАНОВ

ВВЕДЕНИЕ

Для обеспечения надежной работы энергетических установок с высокими параметрами пара их детали и узлы изготавливаются из жаропрочной и жаростойкой стали.

Случайная замена материала изделий при монтаже и ремонте оборудования, не предусмотренная проектом, может привести к выходу из строя установки или к тяжелым авариям. Для предотвращения аварий производится спектральный анализ металла с помощью стилоскопа, позволяющий на месте, без повреждения деталей приближенно оценивать процентное содержание в стали* ванадия, хрома, молибдена, никеля, титана, вольфрама, марганца, ниобия, кобальта, кремния. Продолжительность анализа для определения марки стали - 2 - 3 мин.

* Возможен также анализ цветных сплавов.

На необходимость спектрального анализа посредством стилоскопа для контроля металла при монтаже и ремонте энергетического оборудования указано в правилах Госгортехнадзора и соответствующих руководящих материалах Министерства энергетики и электрификации СССР.

Настоящие методические указания определяют условия и порядок ведения работ с помощью стилоскопа при анализе металла деталей и узлов энергетического оборудования.

I. ПОНЯТИЕ О ВИЗУАЛЬНОМ СПЕКТРАЛЬНОМ АНАЛИЗЕ И АППАРАТУРЕ

Всякое вещество, приведенное в состояние светящихся паров, дает излучение, характерное для его атомного строения, которое слагается из общего излучения атомов всех элементов, входящих в состав данного вещества.

Для определения химического состава вещества методом спектрального анализа требуется выделение излучения атомов каждого элемента, т.е. отделение друг от друга световых лучей с разными длинами волн.

Разложение света по длинам волн осуществляется с помощью оптических приборов: стилоскопов и спектрографов. При этом излучение наблюдается в виде спектра, представляющего совокупность большого количества светящихся ярких линий.

Спектр является характеристикой исследуемого материала, позволяющей по наличию соответствующих спектральных линий судить о составе излучающих паров.

Для возбуждения спектра обычно применяются искровые и дуговые источники света, которые входят в комплект стилоскопической установки.

Электрическая схема генераторов стилоскопических установок позволяет получать электрическую дугу или низковольтную искру, удовлетворяющую условиям проведения анализов. Питание генератора осуществляется через разделительный трансформатор, вторичная обмотка которого заземляется.

Принцип действия стилоскопической установки - создание электрического разряда между анализируемым объектом (являющимся одним из электродов) и постоянным электродом прибора, приводит к парообразованию вещества электродов и заполнению межэлектродного промежутка светящимися парами. Излучение светящегося пара направляется черев узкую щель прибора в оптическую систему, где происходит разложение света и образование линейчатого спектра. Полученный спектр представляет собой ряд световых проекций щели, каждая из которых соответствует определенной длине волны.

Наличие в спектре характерных линий искомых элементов указывает на присутствие данных элементов в анализируемом металле.

Сравнение относительной интенсивности спектральных линий искомых элементов с линиями основы дает возможность приближенной оценки содержания в металле элементов.

Таким образом, с помощью стилоскопа производится качественный и полуколичественный анализ стали, позволяющий определить наличие и приближенно оценить количество легирующих элементов в стали. Сопоставление полученных результатов с химическим составом проектной марки стали позволяет оценить соответствие металла исследуемой детали требованиям проекта. Химический состав наиболее распространенных сталей и присадочных материалов для сварки, применяемых в котлотурбостроении, приведен в приложении I.

В настоящее время промышленность выпускает два типа стилоскопов: стационарный СЛ-11 с горизонтальным расположением деталей и переносный СЛП-2, в котором детали смонтированы в вертикальной плоскости. Применяется также много приборов прежних выпусков: СЛ-1, СЛ-3, СЛ-10, СЛП-1 и др.

Стационарные стилоскопы используются для проведения спектрального анализа мелких деталей, переносные стилоскопы - для контроля крупногабаритных изделий и деталей на смонтированном оборудовании, доставка которых к стационарному стилоскопу невозможна.

Распространены две оптические схемы устройства стилоскопов: автоколлимационная (стилоскопы СЛ-10, СЛ-11 и СЛП-2) и схема постоянного отклонения (стилоскопы СЛ-1, СЛ-3 и др.).

Для приборов, построенных по автоколлимационной схеме, характерно двойное прохождение луча через две диспергирующие призмы: неподвижную шестидесятиградусную и поворотную тридцатиградусную с посеребренной гранью большого катета (рис. 1). При этом ахроматический объектив выполняет роль и объектива зрительной трубы.

В схеме постоянного отклонения обязательны два объектива и диспергирующая система, состоящая из трех шестидесятиградусных призм.

Автоколлимационные стилоскопы благодаря минимальному количеству оптических деталей компактны, имеют небольшой вес и хорошо разделяют линии с близкими длинами волн. Введение в поле зрения окуляра анализируемого участка спектра производится поворотом диспергирующей призмы относительно неподвижно закрепленного окуляра. При этом происходит перефокусировка объектива с сохранением резкости спектра, что значительно облегчает условия его рассмотрения.

Рис. 1. Оптическая схема стилоскопа СЛП-2:

1 - окуляр; 2 - диспергирующая призма; 3 - объектив; 4 - призма 5 - оптическая щель; 6 - конденсор; 7 - призма; 8 - защитное стекло; 9 - постоянный электрод; 10 - анализируемый объект; 11 - упорные контакты

II. ПОДГОТОВКА ИЗДЕЛИЙ И СТАНДАРТНЫХ ЭЛЕКТРОДОВ К АНАЛИЗУ

1. Для проведения анализа на изделии (образце) выбирается по возможности плоский, гладкий участок и на нем зачищается площадка размером 2´2 см. Окалина, антикоррозионные покрытия, следы краски, всевозможные поверхностные загрязнения, а также поры, шлаковые включения, трещины, раковины, шероховатости и прочие пороки на поверхности анализируемого образца удаляются зачисткой абразивным кругом. Так как существует возможность загрязнения анализируемого изделия (образца) материалом круга, особенно при определении кремния и титана, окончательная обработка поверхности аналитической площадки производится напильником. Если изделие подвергалось обработке, вызвавшей изменение химического состава в поверхностном слое (химико-термическая обработка, травление и др.), то такой слой также обязательно снимается.

При работе с переносным стилоскопом на изделии готовится вторая площадка размером ~ 1 см2 на расстоянии 8 см от первой, служащая опорой для вольфрамовых контактов стилоскопа, с помощью которых производится присоединение анализируемого объекта к заземляющему проводу прибора. Зачистка опорной площадки ограничивается удалением загрязнений и окалины.

Для отбора проб с помощью ударно-искрового пробоотборника на изделии подготавливается одна площадка размером 3´3 см.

2. Масса анализируемого изделия во всех случаях должна быть не менее 50 г, иначе может произойти усиленное поступление пробы в плазму разряда, что приведет к преувеличенному представлению о содержании элементов в анализируемом изделии (образце).

Мелкие детали, стружка и прочие объекты малой массы допускаются к анализу при условии приготовления из них специальных образцов.

Сварочная проволока или проволока другого назначения собирается в пакеты, имеющие форму стержня длиной 40 - 50 мм. Такие пакеты приготовляются из каждой бухты (мотка) или катушки. Пакет закрепляется обвязкой из анализируемой проволоки или с помощью хомутов. Количество проволоки, входящей в пакет, определяется ее диаметром: так, при диаметре 1 - 1,5 мм берется пять отрезков проволоки, при диаметре 0,8 - 1 мм - семь и т.д.

Стружка прессуется в брикет диаметром порядка 15 мм при длине 50 мм. Брикеты готовятся на механических прессах различного типа или путем уплотнения в формах с помощью кувалды.

Для анализа сварочных электродов образцы приготовляются из наплавленного металла. Наплавка производится на пластины из малоуглеродистой стали (Сталь 20, Ст. 2, Ст. 3), предварительно проверенные стилоскопом на отсутствие легирующих элементов. Каждая наплавка выполняется одним электродом на отдельную пластину, толщина которой при диаметре электрода до 2 мм должна быть не менее 3 мм и при диаметре электрода свыше 2 мм - не менее 6 мм. Форма наплавки круглая в виде цилиндра, высота и основание которого не менее четырех диаметров проверяемого электрода. Анализ производится по верхней площадке. В каждой партии анализируется три электрода, взятых из разных пачек (замесов), вне зависимости от количества замесов, составляющих партию.

3. Постоянные электроды стилоскопа перед началом работы должны иметь следующие размеры:

1) электроды дисковой формы - диаметр 60 мм для переносных стилоскопов и 90 мм для стационарных, толщину 1,0 - 1,5 мм;

2) электроды стержневой формы - диаметр 8 - 10 мм, длину 220 - 250 мм. Торцы стержневых электродов затачиваются на токарном станке на конус с умом при вершине 60°; острие конуса притупляется до площадки диаметром 2 мм жди округляется на полусферу радиусом 2 - 3 мм.

При массовых анализах следует применять дисковые электроды. Использованную часть электродов рекомендуется срезать на токарном станке, а оставшиеся электроды применяются по назначению. Перед каждым анализом постоянные электроды должны зачищаться. При заточке электродов допускается уменьшение диаметра диска до 40 мм и длины стержня до 130 мм с выполнением указанного выше профиля заточки, так как использование электродов с различной заточкой вносит ошибки в спектроскопические оценки. Для заточки электродов и изделий должны применяться специальные заточные станки, напильники и наждачная бумага.

Чтобы избежать переноса вещества от предыдущей анализируемой пробы на последующую, инструмент, используемый для зачистки, должен очищаться после каждого его применения.

III. ОРГАНИЗАЦИЯ И ОФОРМЛЕНИЕ РАБОТ ПО СПЕКТРАЛЬНОМУ АНАЛИЗУ

1. В соответствии с инструкциями по наблюдению за металлом котлов, трубопроводов и турбин обязательному спектральному анализу с помощью стилоскопа подлежат все вновь устанавливаемые детали энергетического оборудования, независимо от наличия сертификата, маркировки и предстоящего срока эксплуатации, предназначенные для работы при температуре выше 450 °С, а также все детали и материалы, которые по проекту должны быть выполнены из легированной стали (приложение II).

Организация, производящая работы по спектральному анализу, несет ответственность за правильность выполнения анализа и качество технической документации по нему.

2. Результаты анализов оформляются протоколами (приложение III) составляемыми в трех экземплярах: один экземпляр хранится в организации, производящей анализ, а два другие выдаются заказчику.

В протоколе подробно, с указанием наименования детали, в соответствии с чертежом перечисляются все прошедшие проверку детали, присадочные материалы, сварные швы и т.д.

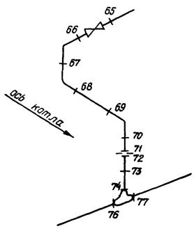
Анализ на смонтированном паропроводе проводится по схеме паропровода в соответствии с нумерацией сварных стыков (рис. 2). Запись результатов анализов ведется согласно номера сварных стыков, ограничивающих место анализа: например, участок трубы между стыками «69 - 70» обозначается «труба 69 - 70», задвижка между стыками «65 - 66» - «задвижка 65 - 66» и т.д., а металл сварных швов непосредственно номером стыка. Протоколы без приложения схем недействительны.

Если при контроле крепежа на установленной по месту постоянной работы арматуры или фланцевых соединений обнаружено несоответствие стали проектной марки, то составляется эскиз (рис. 3) с расстановкой и нумерацией крепежа, который прилагается к протоколу. Запись результатов контроля крепежа ведется в протоколе согласно принятой на эскизе нумерации.

3. Детали, присадочные материалы и сварные швы, металл которых не соответствует проектным маркам, подлежат изъятию и замене, о чем составляется акт, который может служить основанием для предъявления станцией рекламации заводу.

Если при контроле металла сварных швов выявлен хотя бы один шов, металл которого не соответствует проектному, контролю подлежат все однотипные швы (100 %), выполненные данным сварщиком на проверяемом оборудовании.

Рис. 2. Схема паропровода:

 сварной стык;

 задвижка;

 тройник;

 расходомерная шайба;

65 - 77 - сварные стыки

4. Все проверенные детали котлов и трубопроводов, не имеющие заводскую маркировку, анализ которых производится до установки на агрегате, подвергаются маркировке - окраске или клеймению. Детали турбин маркировке не подлежат.

Трубы паропроводов, питательных линий, их байпасы и дренажи, трубы поверхностей нагрева, змеевики, панели, коллекторы и т.п. окрашиваются по наружной поверхности в соответствии с цветной маркировкой по МРТУ 2402-65, приведенной ниже.

Марка стали                                                                                Цвет

20                                                                                      Зеленый

15ГС                                                                                 Коричневый

15ХМ                                                                                Фиолетовый

12Х1МФ (12ХМФ)                                                         Красный

15Х1М1Ф                                                                         Белый

12Х2МФБ (ЭИ531)                                                         Желтый

12Х2МФСР                                                                      Синий

Х18Н12Т                                                                          Черный

1Х18Н10Т                                                                        Черный + Белый

1Х11В2МФ                                                                      Черный + Синий

1Х14Н18В2БР (ЭИ695Р)                                                Черный + Красный

Х16Н14В2БР (ЭП17)                                                      Черный + Желтый

Х16Н16МВ2БР (ЭП184)                                                Черный + Зеленый

1Х14Н14В2М (ЭИ257)                                                   Черный + Коричневый

При диаметре изделия менее 100 мм краска наносится в виде концентрического пояска шириной 10 - 30 мм, при диаметре изделия более 100 мм - в виде полоски длиной 100 - 150 мм, шириной 10 - 30 мм. Трубы, проверяемые россыпью, маркируются с обоих концов, если же трубы собраны в змеевики, пакеты, ширмы, панели и блоки, то окрашивается только одна труба.

На литые и фасонные части краска наносится в виде записи наименования марки стали (например 20ХМФЛ).

Шпильки маркируются по торцевой части головки клеймом, присвоенным оператору, позволяющим по протоколу установить марку стали, фамилию оператора и организацию, производящую спектральный анализ.

Остальные детали толщиной стенки более 6 мм подлежат окраске или клеймению, а толщиной стенки менее 6 мм только окраске.

Задвижка 65 - 66

Рис. 3. Схема расположения гаек и шпилек:

1 - 12 - порядок расположения гаек и шпилек

Сварные швы, металл которых не соответствует проектному, окрашиваются краской зеленого цвета по всей длине окружности стыка. Окраска и клеймение производятся в присутствии оператора по спектральному анализу его помощником (выделенным заказчиком), непосредственно после проведения анализа.

IV. МЕТОДИКА АНАЛИЗА

Качественный и полуколичественный спектральный анализ производится в соответствии с рисунками различных областей спектра, приведенных в настоящей методике.

На рисунках 4 - 26 графически изображены спектральные линии большинства элементов, определяемых в стали с применением медного постоянном электрода. К каждому рисунку приводятся спектроскопические оценки и соответствующие им процентные содержания определяемого элемента.

Спектральные линии, видимые в стилоскопе, различаются по яркости, степени размытости и расположению. Наиболее яркие спектральные линии на рисунках условно сделаны более широкими, менее яркие соответственно более узкими. Все линии на рисунках обозначены символом химических элементов перед общепринятой нумерацией групп. Например, V1 означает ванадий по группе «1».

При проведении анализа для многих элементов используются несколько групп аналитических линий, расположенных в различных областях спектра. Как правило, каждая группа линий оказывается пригодной при оценке содержания элемента лишь в определенном интервале концентраций. Те спектральные линии, по которым производится анализ, снабжены цифровыми обозначениями перед химическими символами. Цифрой «1» отмечается основная линия искомого элемента. Эта линия показана в центре рисунка под указателем. Длины волн определяемых элементов и элементов сравнения приведены в табл. 1. До половины высоты спектра изображены линии групп других элементов, которые могут быть видимы на данном участке спектра.

При проведении анализа могут быть следующие соотношения интенсивности линий определяемого элемента и линий основы:

а) если линия определяемого элемента и линия сравнения равны по интенсивности, то оценка интенсивности обозначается знаком равенства «/=/», например 1 = 2;

б) если линия определяемого элемента слабее или сильнее по интенсивности линий сравнения, то оценка обозначается знаками «<» или «>», например 1 < 2 или 1 > 2;

в) если линия определяемого элемента значительно слабее по интенсивности или значительно сильнее линий сравнения, то оценка обозначается знаками: «<<» или «>>», например 1 << 2 или 1 >> 2.

Картина спектра, наблюдаемая в окуляре стилоскопа, может не иметь полного сходства с изображением рассматриваемой области спектра на рисунке, несмотря на почти равные увеличения. Всегда имеются некоторые различия из-за дополнительного появления спектральных линий случайных примесей. Поэтому навыки в анализе надо приобретать не по рисункам, а обязательно при наблюдении спектров, видимых в окуляре стилоскопа, на образцах с известным химическим составом.

Оценку интенсивности сравниваемых линий большинства элементов следует начинать спустя 30 - 40 сек после включения дуги. Исключение составляют никель, титан и вольфрам, анализ которых производится через 60 сек после включения дуги. В течение этого времени, называемого временем обжига, выгорают загрязнения и стабилизируются условия испарения вещества электродов. Допустимое время горения дуги на одном участке поверхности изделия не должно превышать 2 мин, после чего дугу надо выключать. При необходимости анализ возобновляется на вновь подготовленном участке поверхности зачищенным электродом.

Для лучшей ориентации в спектре на рис. 4 показана область спектра в диапазоне длин волн 3950 - 6400 А°. Там же указаны границы основных цветов спектра. В соответствии с длиной волны схематически изображены линии аналитических групп элементов, приведенных на рис. 5 - 26. Линии этих групп расположены таким же образом, как при наблюдении в стилоскопе, т.е. длины волн возрастают слева направо.

Анализ выполняется в следующем порядке:

а) зачищается электрод и изделие;

б) межэлектродный промежуток устанавливается величиной 1 - 3 мм и зажигается дуга (искра);

в) руководствуясь приведенными указаниями, оператор отыскивает нужную группу линий и производит оценку содержания искомых элементов, записывая результаты анализа в журнал (блокнот) по заранее подготовленной форме.

Определение элементов проводится в следующей последовательности: ванадий, хром, молибден, никель, титан, вольфрам, марганец, ниобий, кобальт, кремний.

1. Определение ванадия ведется по трем группам линий: V1 (рис. 5), V3 (рис. 6) и V4* (рис. 7).

* Группа V4 впервые введена в практику Центроэнергомонтажом.

Группа V1 расположена в темно-синей области спектра.

Группа V3 - в светло-голубой и группа V4 - в оранжевой.

Предел определяемого содержания по группе V1 от 0,15 до 0,5 %, по группе V3 от 0,8 до 2,5 %. По группе V4 устанавливается только наличие ванадия, если его содержание превышает 0,1 %.

Таблица 1

Группы аналитических спектральных линий с условными обозначениями

Группы линий

Линии определяемых элементов

Линии элемента сравнения (железа)

Условное обозначение линий

Длина волн, А°

Условное обозначение линий

Длина волн, А°

1

2

3

4

5

V1

1

4379,24

4

4375,93

2

4389,97

3

4395,23

V3

1

4875,48

2

4878,22

3

4872,15

4

4871,33

V4

1

6039,2

-

-

Cr1

1

5204,52

3

5202,34

1

5206,04

4

5198,71

2

5208,44

 

 

Cr4

1

5409,79

2

5410,91

3

5415,21

4

5405,78

Cr6

1

922,27

2

4919,00

3

4920,50

Cr6

1

3345,81

4

5371,49

5348,32

5

5341,03

 

6

5339,94

 

7

5333,30

 

8

5324,18

Mo1

1

5533,05

3

5501,47

2

5570,45

4

5497,52

 

 

5

5586,76

 

 

6

5572,85

 

 

7

5576,11

 

 

8

5569,63

Мо2

1

6030,66

2

6056,00

3

6065,49

4

6027,06

Ni1

1

4714,42

2

4710,29

3

4709,10

4

4707,28

Ni2

1

5080,52

2

5079,24

Ti1

1

4999,51

3

4994,13

2

4991,07

4

5001,87

 

 

5

5006,13

W1

1

5053,30

3

5051,64

2

5054,61

4

5049,83

W2

1

5514,70

2

5501,47

3

5497,52

W3

1

4659,87

3

4673,17

4

4654,50

Mn1

1

4823,52

2

4859,75

3

4871,33

Mn3

1

6021,80

3

6020,18

2

6016,64

4

6027,06

Nb1

1

4672,10

3

4673,17

2

4675,37

4

4678,85

Nb2

1

4058,94

-

-

Nb3

1

5344,17

-

-

2

5351,04

Со

1

4867,88

2

4878,22

Si2

1

6347,01

3

6408,03

2

6371,09

4

6421,36

 

 

5

6411,66

 

 

6

6393,61

 

 

7

6400,02

Рис. 4. Область спектра в диапазоне длин волн 3950 - 6400 А°.

2. Хром анализируется по четырем группам линий:

Cr1 (рис. 8), Cr4 (рис. 9), Cr6 (рис. 10) и Cr7 (рис. 11). Группы Cr4 и Cr7 могут рассматриваться одновременно в светло-зеленой области спектра.

Группа Cr1 расположена в зеленой и группа Cr6 - в светло-голубой области спектра. Группа Cr6 легко опознается по трем ярко-голубым двойным линиям железа, отчетливо видимых слева от группы; справа от двойных линий - линия хрома (табл. 2).

3. Определение молибдена производится по двум группам линий: Mo1 (рис. 12) и Mo2 (рис. 13). Группа Mo1 находится в желто-зеленой области спектра, на участке двух характерных тройных линий железа, группа Мo2 - в оранжевой. Предел определяемого содержания по группе Mo1 от 0,15 до 1,2 % и по группе Mo2 от 0,25 до 2 %.

При наличии пульсации интенсивности линий молибдена оценка ведется в момент максимума интенсивности.

4. Для определения никеля применяются две группы линий: Ni1 (рис. 14) и Ni2 (рис. 15).

Группа Ni1 находится в голубой области спектра. По данной группе оценивается содержание никеля от 0,2 до 5 %. Установление различия содержания 0,2 от 0,5 ввиду наложения линий требует особого внимания и большого опыта оператора.

Рис. 5. Группа V1.

Содержание ванадия, %

Интенсивность линий

0,15

1 = 4

0,30

2 = 4

0,50

3 = 4

Рис. 6. Группа V3

Содержание ванадия, %

Интенсивность линий

0,8

1 = 2

1,5

1 = 3

2,5

1 = 4

Рис. 7. Группа V4. Линия «1V» надежно выявляется при концентрации V свыше 0,1 %

Рис. 8. Группа Cr1

Содержание хрома, %

Интенсивность линий

0,05

1 = 4

0,1

1 £ 3

0,2

1 ³ 3

Рис. 9. Группа Cr4

Содержание хрома, %

Интенсивность линий

1,0

1 = 2

2,5

1 = 3

5,0

1 ³ 4

Рис. 10. Группа Cr6

Содержание хрома, %

Интенсивность линий

10

1 £ 2

15

1 = 2

20

1 > 2; 1 < 3

30

1 = 3

Рис. 11. Группа Cr7

Содержание хрома, %

Интенсивность линий

0,3

1 = 7

0,7

2 = 7

1,0

1 = 6; 2 ³ 7

1,5

1 < 5; 1 ³ 6; 2 > 7;

2,5

2 = 6

5

1 ³ 8; 2 = 5

10

1 = 4; 2 = 8

20

1 > 4; 2 £ 4

30

1 > 4; 2 ³ 4

Рис. 12. Группа Mo1

Содержание молибдена, %

Интенсивность линий

до 0,15

1 £ 3

0,15 - 0,30

1 = 4; 2£ 7

0,30 - 0,60

1 £ 6; 2 £ 8

0,60 - 1,2

1 £ 5; 2 = 6

более 1,2

1 > 5; 2 £ 6

Рис. 13. Группа Mo2

Содержание молибдена, %

Интенсивность линий

0,25

1 = 4;

0,30

1 > 2; 1 < 3

0,70

1 = 3

2,0

1 > 3

Рис. 14. Группа Ni1

Содержание никеля, %

Интенсивность линий

0,5

1 £ 3

1,5

1 = 2

3,0

1 > 2; 1 < 4

5,0

1 = 4

Таблица 2

Указания по анализу хрома

Обозначение группы

Предел определяемого содержания, %

Условия применения группы

Cr1

0,05 - 0,2

Для уточнения содержания хрома менее 0,3 %

Cr4

1 - 5

При предполагаемом содержании хрома в пробе от 1 до 5 %

Cr6

10 - 30

При предполагаемом содержании хрома в пробе более 10 %

Cr7

0,3 - 30

Для уточнения содержания хрома менее 2,5 %

Группа Ni2 расположена в зеленой области спектра, где предел определяемого содержания от 1,5 до 20 %. Линии никеля при содержании 1 - 2 % наблюдаются в виде редких вспышек, в некоторые моменты их вообще не видно, в таком случае анализ надо вести по группе Ni1. При содержании никеля более 10 % анализ проводится в промежутках между вспышками.

5. Для определения титана используется одна группа линий Ti1 (рис. 16), расположенная в темно-зеленой области спектра.

Предел определяемых содержаний по группе Ti1 от 0,05 до 1,5 %.

6. При определении вольфрама применяются три группы линий: W1 (рис. 17), W2 (рис. 18) и W3 (рис. 19).

Группа W1 находится в зеленой области спектра, группа W2 - в желто-зеленой, на участке двух характерных тройных линий железа, группа W3 - в голубой области спектра.

Предел определяемого содержания для группы W1 от 1 до 18 %, группы W2 от 5 до 18 % и группы W3 от 1 до 5 %.

7. Определение марганца производится по двум группам линий: Mn1 (рис. 20) и Mn3 (рис. 21).

Группа Mn1 расположена в голубой области спектра, левее трех ярко-голубых двойных линий железа, группа Mn3 в оранжевой области.

Предел определяемого содержания по группе Mn1 от 0,3 до 4 %, по группе Mn3 от 0,4 до 1 %. Группа Mn1 используется при содержании хрома в пробе менее 3 %.

Рис. 15. Группа Ni2

Содержание никеля, %

Интенсивность линий

1,5

1 редко вспыхивает

3,0

1 < 2 и часто вспыхивает

10

1 = 2 и очень часто вспыхивает

15 - 20

1 > 2 и без вспышек

Рис. 16. Группа Ti1

Содержание титана, %

Интенсивность линий

0,05

2 = 3

0,1 - 0,15

2 > 3

0,30

1 £ 4

0,35

1 = 4

0,8

1 = 5

1 - 1,5

1 ³ 5

Рис. 17. Группа W1

Содержание вольфрама, %

Интенсивность линий

1

1 < 4

2,5

1 = 4

5

1 £ 3

9

1 ³ 3; 2 £ 4

13

2 = 4

18

1 >> 3; 2 >> 4

Рис. 18. Группа W2

Содержание вольфрама, %

Интенсивность линий

5

1 = 2

9

1 ³ 3

18

1 ³ 3

Рис. 19. Группа W3

Содержание вольфрама, %

Интенсивность линий

1,0

1 = 3

2,0

1 ³ 3

2,5

1 > 3; 1 £ 4

5,0

1 > 4

Рис. 20. Группа Mn1

Содержание марганца, %

Интенсивность линий

0,3 - 0,5

1 < 2

0,6 - 0,7

1 = 2

1,0 - 2,0

1 > 2

3,0 - 4,0

1 = 3

Рис. 21. Группа Mn3

Содержание марганца, %

Интенсивность линий

0,4

2 < 4

0,7

2 > 4; 1 < 3

1,0

1 = 3

Рис. 22. Группа Nb1

Содержание ниобия, %

Интенсивность линий

0,1 - 0,5

1 £ 3

0,6 - 1,0

1 > 3; 1 £ 4

более 1,5

1 > 4

Рис. 23. Группа Nb2

Линия «1» четко выявляется при содержании ниобия более 0,3 %

8. Определение ниобия проводится по трем группам линий: Nb1 (рис. 22), Nb2 (рис. 23) и Nb3* (рис. 24).

* Группа Nb3 впервые введена в практику производственно-наладочным предприятием «Белорусэнергоналадка».

Группа Nb1 расположена в голубой области спектра, группа Nb2 в фиолетовой, на участке трех ярких фиолетовых линий железа, и группа Nb3 в светло-зеленой. Предел определяемого содержания по группе Nb1 от 0,1 до 1,5 %. Линии 1Nb и 2Nb практически равноинтенсивны, но к 1Nb прилегает линия марганца 4671,09 А°, появляющаяся при концентрации марганца выше 1 %, на линию 2Nb накладывается линия титана 4675,12 °А и мешает определению ниобия, начиная с концентрации титана 0,2 %. Если в пробе одновременно содержится более 0,2 % титана и более 1 % марганца, определение ниобия по группе Nb1 практически невозможно.

В этом случае определяется только наличие ниобия по группе Nb2 или группе Nb3.

Группа Nb2 позволяет уверенно обнаруживать наличие ниобия, если содержание его не менее 0,3 %. Помехой может оказаться интенсивная линия ванадия 4099,80 А°, накладывающаяся на линию 2Nb. По группе Nb3 устанавливается наличие более 0,2 % ниобия, если содержание хрома не превышает 4 %.

Использование группы Nb3 очень удобно, так как позволяет одновременно анализировать и хром по группе Cr7. В сложнолегированных сталях определение ниобия по группе Nb1 вызывает затруднения.

9. Определение кобальта производится по одной группе спектральных линий Co1 (рис. 25), в зеленовато-голубой области спектра. Определяются содержания кобальта в пределе от 2 до 10 %.

10. Определение кремния производится по одной группе линий Si2 (рис. 26) в пределах концентраций от 0,1 до 4 %.

Группа Si2 расположена в оранжево-красной области спектра.

Приведенные на рис. 26 спектроскопические признаки получены с низковольтной искрой от генератора дуги переменного тока. Емкость батарей конденсаторов составляла 25 мкф, ток зарядки 6 а, ток питания трансформатора генератора 0,7 а, межэлектродный промежуток 0,8 мм.

Рис. 24. Группа Nb3

Линии ниобия четко выявляются при содержании ниобия 0,2 %.

Рис. 25. Группа Со1

Содержание кобальта, %

Интенсивность линий

2

1 < 2

5

1 = 2

10

1 > 2

Рис. 26. Группа Si2

Содержание кремния, %

Интенсивность линий

0,1 - 0,15

1 £ 3

0,3

1 = 4

0,6

1 = 6; 2 = 3

1,2 - 1,4

1 > 6; 1 £ 7

1,8 - 2,0

1 ³ 7; 2 < 6

3,0 - 4,0

1 > 7; 2 £ 7

Наблюдение производилось через 30 сек после включения искры.

11. Результат спектрального анализа, проводимого с помощью стилоскопа, определяется с точностью до 20 %, поэтому если содержание элемента оценено равным 1 %, то фактическое содержание этого элемента может находиться в пределах 0,8 - 1,2 %.

В случае незначительной разницы в содержании определяемых элементов близких по составу марок сталей и трудности установления действительной марки производится количественный анализ этой стали химическим или спектрографическим методом. Если при этом не допускается повреждение изделий для взятия образцов, необходимых при химическом и спектрографическом анализах, то рекомендуется произвести отбор пробы посредством пробоотборника. Пробоотборник работает на принципе направленного переноса вещества при электрическом разряде, в результате которого на рабочую поверхность электрода пробоотборника переносится небольшое количество металла анализируемого изделия. Анализ перенесенного вещества производится на спектографе.

Метод переноса может быть использован для выборочного контроля труб пароперегревателя на смонтированных котлах, что особенно важно при отсутствии документации по спектральному анализу котлов прежних выпусков. Для этой цели достаточен качественный анализ перенесенного вещества с помощью фотографического метода на спектографе.

Во всех случаях обязательна предварительная проверка на способность вещества к переносу, так как некоторые элементы не переносятся.

Перенос и анализ таких элементов как хром, молибден и ванадий не вызывает затруднений. Для каждого элемента рекомендуется не меньше чем двукратный отбор пробы.

12. На стилоскопе представляется возможной рассортировка сталей близких по составу марок:

Марка стали

Указания по анализу

16М; 12МХ

Особое внимание уделять наличию линии хрома.

12МХ; 15ХМ

Особое внимание уделять оценке интенсивности линий хрома.

20ХМФЛ; 15Х1М1ФЛ

Особое внимание уделять оценке интенсивности линий молибдена.

12Х1МФ; 12Х2МФСР

Особое внимание уделять оценке интенсивности линий хрома и молибдена. Косвенным показателем стали марки 12Х2МФСР может служить незначительное содержание порядка 0,03 % титана (определяется по группе Ti1), который полностью отсутствует в стали марки 12Х1МФ.

12Х2МФБ; ЭП44 и другие стали, содержащие ниобий, от сталей марок 12Х2МФСР и ЭИ723

При определении хрома по группе Cr7 можно одновременно определять наличие ниобия по группе Nb3.

Примечания: 1. Наличие в стали молибдена при содержании более 0,15 % и ванадия свыше 0,1 % можно одновременно устанавливать по группам Mo2 и V4 в оранжевой области спектра, что очень удобно при рассортировке стали 12Х1МФ от сталей 12МХ и 15ХM.

2. При работе по рассортировке близких по составу марок сталей количество анализов, выполняемых одним оператором, не должно превышать 50 в смену.

13. В целях наибольшей достоверности анализа контроль производится в двух точках объекта. Анализ каждой трубы, вне зависимости от размеров, осуществляется по обоим ее концам на расстоянии 60 - 70 мм от каждого сварного или фланцевого соединения и обязательно до наложения изоляции нового участка трубопровода.

Анализ лопаток проводится в ее замковой части. Вал ротора проверяется по торцу.

Места контроля остальных деталей определяются удобством установки стилоскопа.

Если сварной шов выполняется несколькими сварщиками, то контролю подлежит участок шва каждого сварщика.

Пятно обыскривания (след от разряда) при анализе высоколегированной стали (аустенитного, ферритного, мартенситного классов) рекомендуется удалять обработкой напильником или абразивным инструментом.

14. Анализ металла сварных швов, наплавленного металла электродов и присадочной проволоки проводится согласно указаниям, приведенным в табл. 3.

При несоответствии состава шва, рекомендованному проектом производится повторный контроль тех же швов в удвоенном объеме, а в дальнейшем химический или спектральный анализ металла швов с помощью пробоотборника спектрографическим методом, результаты этих анализов считаются окончательными. Отбор стружки для химического анализа осуществляется путем строжки или засверловки металла с поверхности шва. При невозможности выполнения анализа методом переноса и взятия стружки для химического анализа решение принимается по результатам повторного контроля.

Если при анализе партии электродов хотя бы на одном электроде выявлено несоответствие состава наплавленного металла марочному, партия проверяется повторно: из каждого замеса, показавшего неудовлетворительные результаты, контролируется 10 электродов и 3 электрода - из остальных замесов, входящих в состав партии, при этом электроды отбираются из разных пачек. В случае стабильных результатов анализа, бракуются только замесы, имеющие отклонения от марочного состава. При нестабильных результатах анализа, когда в отдельных замесах имеют место как удовлетворительные, так и неудовлетворительные показатели, бракуется вся проверяемая партия электродов.

V. УХОД ЗА АППАРАТУРОЙ

Прибор, полученный с завода, надо внимательно осмотреть. При обнаружении внешних серьезных повреждений (например, неисправность окуляра или наружной части зрительной трубы) стилоскоп возвращается на завод-изготовитель для обмена или ремонта. Ознакомившись с приложенным к прибору описанием, стилоскоп устанавливается в рабочее положение и включается в сеть.

Разрешающая способность прибора проверяется по контрольным линиям, указанным в паспорте прибора. Исправный прибор допускает разделение этих линий. Отсутствие спектра или недостаточное разделение контрольных линий свидетельствует о нарушении оптической системы стилоскопа. В таком случае прибор не ремонтируется собственными силами, а направляется на завод-изготовитель для замены.

Таблица 3

Указания по анализу присадочных материалов и металла шва

Марки присадочных материалов

Тип металла шва или наплавленного металла

Указания по анализу*

электродов

сварочной проволоки (ГОСТ 2246-60)

проверяемые элементы

что определяется

аналитическая группа линий

ЦЛ-14

 

 

Молибден

Наличие

Мo1; Mo2

ЦУ-2ХМ

Св-10ХМ

10ХМ

Ванадий

Отсутствие

V1; V4

ЗиО-20

Св-10МХ

10МХ

Хром**

Содержание

Cr4; Cr7

УОНИИ-13ХМ

 

 

 

 

 

ЦЛ-38

 

 

 

 

 

ЦЛ-20

Cв-08ХГСМФ

-

Ванадий

Наличие

V1; V4

ЦЛ-20М

 

 

Ниобий

Отсутствие

Nb1; Nb3

ЦЛ-39

Св-08ХМФ

10ХМФ

Марганец

Содержание (6.1, 2 брак)

Mn3

 

 

 

Хром**

Содержанке

Cr4

ЦЛ-36

-

10ХМФНБ

Никель

Наличие

Nb1

 

 

 

Ниобий

Наличие

Nb1; Nb3;

 

 

 

Хром**

Содержание

Cr4

ЦЛ-40

Св-08ХЭМФБ

10Х2МФБ

Ниобий

Наличие

Nb1; Nb3

ЦЛ-26М

 

 

Никель

Отсутствие

Nb1

 

 

 

Хром**

Содержание

Cr4

УОНИИ-13/НЖ

Св-06Х14

10X11

Ванадий

Отсутствие

V1; V4

 

Св-10Х13

10X13

Хром

Содержание (10 - 15 %)

Cr6

 

 

 

Никель***

Содержание

Ni1

ЦЛ-32

Св-10Х11ВМФН

10Х11ВМФН

Ванадий

Наличие

V1; V4

 

 

 

Вольфрам

Наличие

W3; W1

 

 

 

Хром

Содержание (10 - 13 %)

Cr6

 

 

 

Никель***

Содержание

Ni1

-

Св-10Х11МФН

-

Ванадий

Наличие

V1; V4

 

 

 

Вольфрам

Отсутствие

W3; W1

 

 

 

Хром.

Содержание (10 - 13 %)

Cr6

 

 

 

Никель***

Содержание

Ni1

ЦТ-26

Св-04Х19Н11М3

08Х16Н8М2

Ванадий

Отсутствие

V1

ЦТ-26-1

 

 

Хром

Содержание (14 - 21 %)

Cr6

 

 

 

Никель

Содержание (7 - 12 %)

Ni2

 

 

 

Молибден

Содержание (1,5 - 3 %)

Mo1; Mo2

ЦТ-15

Св-08Х19Н10Б

10Х20Н10Б

Ниобий

Наличие

Nb1; Nb3;

ЦТ-15-1

 

 

Хром

Содержание (16 - 24 %)

Cr6

ЦЛ-11

 

 

Никель

Содержание (9 - 14 %)

Ni2

ЦТ-7

-

10Х19Н11М2Ф

Ванадий

Наличие

V1

КТИ-5

 

 

Хром

Содержание (15 - 23 %)

Cr6

 

 

 

Никель

Содержание (19 - 14 %)

Ni2

 

 

 

Молибден

Отсутствие

Mo1; Mo2

 

 

 

Ванадий

Отсутствие

V1

ЦД-25

Св-07Х25Н13

10Х25Н13

Ниобий

Отсутствие

Nb1; Nb3

ОЗЛ-4

 

 

Хром

Содержание (20 - 30 %)

Cr6

ОЗЛ-6

 

 

Никель

Содержание (10 – 15 %)

Ni2

 

 

 

Кремний

Содержание (менее 1,0 %)

Si2

ОЗЛ-5

Св-04Х19Н9С2

10Х24Н14С2

Хром

Содержание (20 - 28 %)

Cr6

 

 

 

Никель

Содержание (12 - 16 %)

Ni2

 

 

 

Кремний

Содержание (1,5 - 2,6 %)

Si2

ЦТ-10

Св-10Х16Н25М6

10Х15Н25М6

Никель

Содержание (20 - 30 %)

Ni2

НИАТ-5

 

 

Хром

Содержание (12 - 18 %)

Cr6

 

 

 

Молибден

Содержание (4 - 8 %)

Mo1; Mo2 (линии Mo очень яркие)

* Рекомендации разработаны Мосэнергоремонтом совместно с ЦНИИТМАШ.

** Анализ на содержание хрома производится с целью недопущения случаев использования высоколегированных присадочных материалов (с содержанием хрома свыше 4 %) для сварки изделий из низколегированных сталей.

*** Анализ на содержание никеля производится с целью недопущения случаев ошибочного использования высоколегированных хромоникелевых присадочных материалов (с содержанием никеля свыше 4 %) для сварки изделий из хромистой стали.

Надежная эксплуатация стилоскопа требует бережного обращения и ухода за ним. Стилоскоп необходимо регулярно осматривать, очищать от грязи и пыли.

Особое внимание следует обращать на чистоту оптических деталей прибора. Удалять пыль с оптических поверхностей разрешается только беличьей кисточкой или салфеткой из мягкой ткани, делать это надо осторожно, чтобы избежать образования на них царапин. Нельзя оптические детали трогать пальцами, т.к. это приводит к появлению жировых пятен, удаление которых требует большого опыта. Следы случайных прикосновений пальцев надо удалять немедленно, применяя салфетку из неворсистой ткани, слегка смоченную в чистом этиловом спирте. Застарелые пятна не поддаются чистке, а недостаточно чистые растворители могут дать дополнительные загрязнения.

Уход за генератором заключается в периодической очистке контактов искрового разрядника от окислов (не чаще чем через 500 ч работы) и удалении пыли с наружных и внутренних частей генератора.

Зачистка контактов разрядника производится шлифовальной шкуркой. Поверхность разрядника после зачистки должна быть ровной, царапины и другие повреждения поверхности не допускаются.

Ремонт и регулировка генератора должны производиться обученным электриком.

Проверка сопротивления изоляции проводов генератора осуществляется раз в три месяца мегомметром на 500 в, с записью результатов проверки в журнале лаборатории.

В нерабочем состоянии стационарные приборы закрываются чехлом, а переносные помещаются в ящики.

VI. РАБОТА С ПЕРЕНОСНЫМ СТИЛОСКОПОМ СЛП-2

1. Место производства работ со стилоскопом должно быть оборудовано однофазной сетью переменного тока напряжением 110 - 220 в и частотой 50 гц, рассчитанной на силу тока до 12 а с установкой штепсельной розетки и подведением заземляющего провода.

2. Во избежание радиопомех, создаваемых генератором, работать на установке разрешается на расстоянии не менее 100 м от жилых зданий и служб радио, связи. Если требуется работа на меньшем расстоянии, то следует применять фильтр по схеме на рис. 27. Работа со стилоскопом допускается как на открытом воздухе в интервале температур от -25 до +35 °С и относительной влажности до 80 %, так и в закрытом помещении при тех же условиях.

Рис. 27. Схема защиты от радиопомех.

1 - рубильник или электрическая розетка; 2 - электрический кабель к стилоскопу; 3 - конденсаторы 0,05 мкф ´ 600 в; 4 - плавкие предохранители

3. Перед началом работы необходимо проверить исправность генератора и соединительных проводов, а также целость защитного стекла стилоскопа и отсутствие на нем пятен. Смотровую насадку стилоскопа следует протереть салфеткой из чистой мягкой ткани.

4. Установить режим питания генератора в соответствии с напряжением сети.

Переходные колодки генератора при выпуске с завода поставлены в положение 220 в, поэтому их перестановка производится только в случае работы от сети напряжением 110 в. При длительных перерывах в работе и по ее окончании обязательна перестановка переходных колодок в гнезда, обозначенные надписью «220 в». Питание стилоскопа от генератора производится посредством соединительного кабеля с четырехштырьковой муфтой, штыри которой вставляются и закрепляются в гнездах выходной панели генератора, после чего к клемме на кожухе генератора подсоединяется защитный контур.

5. Генератор подключается в электрическую сеть при помощи штепсельной розетки. Свечение сигнальной лампочки в корпусе генератора указывает на включение его под напряжение.

Если работа ведется в искровом режиме при напряжении сети 110 в, то присоединение прибора к сети производится рубильником закрытого типа, перед которым должны устанавливаться плавкие предохранители.

Во избежание утечки токов высокой частоты надо следить, чтобы провода, соединяющие генератор и стилоскоп, не переплетались между собой и по возможности не касались металлических предметов.

6. После того как установка готова для проведения анализа, стилоскоп (рис. 28) берется правой рукой за ручку, и постоянный электрод прибора устанавливается таким образом, чтобы упорный контакт уперся в меньшую из зачищенных площадок (опорную), а электрод оказался против середины больной (аналитической) площадки. При этом маховичок со шкалой рекомендуется установить в среднее положение. Пальцем правой руки нажимают пусковую кнопку выключателя, находящегося на ручке стилоскопа, и одновременно наклоняют прибор в сторону аналитической площадки объекта до возникновения разряда, при этом расстояние между электродом и объектом анализа должно быть порядка 1 - 3 мм. Если разряд не возникает, то следует отключить генератор, проверить правильность включения прибора и исправность предохранителей.

7. После образования дуги перемещением головки регулятора искрового разрядника генератора следует добиться устойчивого спокойного горения.

8. При нормальном горении производится наблюдения спектра, который должен иметь достаточную яркость с резкими четкими линиями. Размытость линий и недостаточная яркость спектра устраняются небольшим наклоном прибора или разворотом поворотной призмы (маховичок). Резкое свечение спектральных линий достигается вращением накатанного кольца окуляра. Вращением маховичка осуществляется поворот диспергирующей призмы, вызывающей перемещение спектра в поле зрения окуляра и таким образом находится искомая область спектра.

Рис. 28. Переносной стилоскоп СИП-2:

1 - налобник; 2 - окуляр; 3 - маховичок со шкалой; 4 - маховичок разворота поворотной призмы; 5 - постоянный электрод

9. Режим работы генератора, во избежание его перегрева должен быть кратковременным - 5 мин работы, 5 мин перерыва.

10. По окончании анализа прибор выключается отжатием кнопки на рукоятке прибора, которая во время работы удерживается в нажатом состоянии. По окончании работы генератор отключают от сети. Стилоскоп и генератор тщательно протирают и помещают в ящики.

11. Если работа проводится на открытом воздухе в яркий солнечный день или при наличии ветра, то условия для наблюдения спектра могут ухудшаться из-за уменьшения его яркости. Это обстоятельство является следствием попадания рассеянного света через входное отверстие стилоскопа, длительной адаптации зрения и перемещения дуги. Для предотвращения этого явления участок, где производится анализ, рекомендуется оградить щитами-экранами.

12. Чтобы избежать отпотевания при переносе прибора из среды с низкой температурой в теплое помещение, необходимо стилоскоп и генератор переносить в плотно закрытых ящиках. Открывать ящики можно лишь тогда, когда прибор примет температуру окружающей среды. Например, при переносе стилоскопа из среды с температурой -40 °С в помещение с температурой +18 °С требуется 2 - 3 ч.

VII. РАБОТА СО СТАЦИОНАРНЫМ СТИЛОСКОПОМ СЛ-11

1. Работа со стационарным стилоскопом производится только в помещении пункта спектрального анализа.

2. С помощью стилоскопа возможен анализ изделий любой формы и размеров, имеющих вес не более 6 кг.

3. Расстояние между аналитической площадкой изделия и рабочей поверхностью постоянного электрода прибора должно равняться приблизительно 3 мм. Это расстояние устанавливается при помощи съемного калибра, помещенного в прорезь столика, до упора с электродом. Перемещение электрода по высоте и горизонтали осуществляется поворотом соответствующих маховичков прибора.

Анализируемое изделие размещается на столике таким образом, чтобы зачищенная площадка находилась против зачищенной поверхности постоянного электрода. Для удержания мелких изделий служит винтовой прижим. Менять образцы на столике разрешается только при выключенном стилоскопе.

4. В зависимости от принятого по условиям анализа режима ручка переключателя тока становится в положение «2» или «4», соответствующие 2 и 4а, и генератор включается под напряжение. Если дуга (искра) не зажглась, то следует отрегулировать расстояние (промежуток) между контактами искрового разрядника. На задней стенке прибора имеется легко открывающаяся крышка для доступа к разряднику. Горение должно происходить стабильно без перерывов.

При отсутствии разряда прибор отключается от сети и проверяется исправность его предохранителей. В случае перегорания предохранителей они заменяются новыми. Если после замены предохранителей дуга (искра) не зажигается, то генератор подлежит ремонту.

5. Оператор устанавливает окуляр в положение наибольшей резкости при нормальном горении дуги и поворотом маховичка со шкалой вводит в середину поля зрения ту область спектра, в которой определяется искомый элемент.

6. После проведения анализа генератор выключается и прибор тщательно протирается. После окончания работы и на время длительных перерывов прибор накрывается защитным чехлом.

7. Проверенная деталь (образец) нумеруется и маркируется. Результаты анализа записываются в журнал «регистрации анализов» и выдаются заказчику в форме протокола.

VIII. МЕРЫ БЕЗОПАСНОСТИ ПРИ РАБОТЕ СО СТИЛОСКОПОМ

1. К работе со стилоскопом допускаются лица не моложе 18 лет, прошедшие медицинское свидетельствование, специальное обучение, проверку знаний настоящих методических указаний и правил техники безопасности при обслуживании теплосилового оборудования электростанции, имеющие на руках удостоверение на право работы со стилоскопом. Работа со стилоскопом допускается только в присутствии второго лица, являющегося его помощником.

2. Перед направлением на работу со стилоскопом оператор и помощник должны пройти инструктаж по безопасным методам работы со стилоскопом с записью в журнале инструктажа.

3. Устройство электропроводки на 127 - 220 в с установкой штепсельной розетки (рубильника), подводки заземляющего провода к месту работы со стилоскопом и заземление его корпуса должно выполняться электромонтером. Выполнение этих работ оператором запрещается.

Заземление стилоскопа производится путем соединения с контуром защитного заземления электростанции. В качестве заземляющего провода разрешается применять гибкий медный провод сечением не менее 4 мм2.

4. Включение в сеть незаземленного стилоскопа запрещается.

5. Работать со стилоскопом без специальной одежды диэлектрических перчаток и калош запрещается. При работе вблизи ремонтируемого или монтируемого оборудования оператор должен иметь на голове защитный шлем.

6. Прикасаться к головке и электродам включенного в сеть стилоскопа запрещается, так как электроды при этом могут находиться под опасным для жизни человека напряжением. Установка постоянного электрода, зачистка и регулировка его положения производится только после отключения стилоскопа от электросети.

7. Нельзя касаться руками электродов до полного их остывания во избежание ожогов.

8. Запрещается оставлять стилоскоп включенным (горит сигнальная лампочка) в сеть в перерывах между проводимыми анализами и по окончании работ. Следует иметь в виду, что отсутствие свечения сигнальной лампочки, смонтированной в корпусе генератора, еще не означает отключения стилоскопа от электросети, так как сигнальная лампочка может быть неисправна.

9. Работа со стилоскопом запрещается:

а) внутри резервуаров, газоходов и топок;

б) на сырой почве, на открытых площадках в дождливую погоду, а также с мокрым, влажным и запотевшим стилоскопом;

в) в помещении, где может образовываться концентрация взрывоопасных газов.

10. Проведение анализов на действующем оборудовании, находящимся под давлением, разрешается при условии, что толщина стенки подлежащего анализу оборудования должна быть не менее 3 мм. Оборудование, подлежащее анализу и находящееся в горячем состоянии при температуре выше 60 °С, должно иметь тепловую изоляцию за исключением участков размером не более 100´300 мм, необходимых для размещения электродов стилоскопа. В этом случае оператор должен работать в брезентовом костюме и очках. Лицо оператора должно быть по возможности закрыто. Одному оператору разрешается производить за смену не более 10 анализов.

11. Ввиду того, что искровой электрический разряд и электрическая дуга, образующиеся при работе стилоскопа, излучают вредные для зрения невидимые ультрафиолетовые лучи, при производстве работ со стилоскопом в местах значительного скопления людей рабочее место оператора должно ограждаться ширмой или щитом. При регулировании электрической дуги или искрового разряда оператору рекомендуется пользоваться очками с обычными прозрачными стеклами, т.к. такое стекло задерживает ультрафиолетовое излучение.

12. Перед началом работы со стилоскопом, а также при каждой передаче его для работы другому лицу должна производиться дезинфекция смотровой насадки прибора путем протирки ее ватным тампоном, смоченным этиловым спиртом.

13. В случае необходимости проведения анализов на высоте должны сооружаться леса и помосты согласно требованиям ПТБ.

14. Лица, работающие по спектральному анализу, имеют право на дополнительный отпуск по вредности продолжительностью шесть дней, в соответствии с приложением к постановлению Государственного комитета Совета Министров СССР по вопросам труда и заработной платы и Президиума ВЦСПС от 12 июля 1963 г. № 198/П-17, раздел XXXVII, параграф I, пункт «К».

IX. УСТРОЙСТВО И ОБОРУДОВАНИЕ ПУНКТА СПЕКТРАЛЬНОГО АНАЛИЗА

1. Пункт спектрального анализа организуется в зданиях, расположенных вдали от механизмов, вызывающих вибрацию.

Запрещается организация пункта в помещении, где производятся химические анализы, так как пары щелочей и кислот могут испортить приборы.

2. Пункт размещается в сухом и отапливаемом помещении, снабженном естественным и искусственным освещением, водопроводом, канализацией, приточно-вытяжной вентиляцией, электрическими вводами и вводами заземления.

Естественное освещение должно обеспечить при боковом свете коэффициент естественной освещенности не менее 1,5 %, а светильники общего освещения на уровне рабочих мест освещенность не менее 75 лк при лампах накаливания и не менее 200 лк при люминесцентных лампах.

Приточно-вытяжная вентиляция должна обеспечить поддержание чистоты воздушной среды; допустимое содержание озона не более 0,0001 мг/л, окиси углерода не более 0,03 мг/л и окислов азота не более 0,005 мг/л.*

* Правила по устройству и содержанию лабораторий и пунктов спектрального анализа, обязательные для всех министерств, ведомств и учреждений. Издательство АН СССР, 1963.

Приточная вентиляция снабжается фильтром тонкой очистки, препятствующим попаданию пыли в помещение пункта, и приспособлением для подогрева воздуха в зимнее время. Проверка чистоты воздушной среды производится два раза в год.

Температура воздуха в помещении должна поддерживаться в пределах 18 - 25 °С при относительной влажности не выше 75 %. Площадь пункта выбирается из расчета не менее 8 м на один стилоскоп и 2 м на участок по подготовке образцов и электродов. Стены помещения окрашиваются масляной краской светлых тонов. Полы делаются деревянными и покрываются линолеумом. Окна помещения должны быть оборудованы легко опускающимися светонепроницаемыми шторами. Окна, выходящие на юг, дополнительно снабжаются светлыми шторами.

3. Основное оборудование пункта составляет: стационарный стилоскоп, переносной стилоскоп и ударно-искровой пробоотборник.

В инвентарь пункта включается: стол для стационарного стило-скопа длиной 150 см, шириной 80 см, высотой 120 - 125 см, верстак, письменный стол, шкаф картотечный для эталонов, шкаф для анализируемых проб, шкаф для приборов, книжный шкаф, стулья, винтовые табуреты, позволяющие менять высоту сидения и пишущая машинка.

К приборам должны иметься следующие запасные части: сигнальные электрические и неоновые лампочки, плавкие предохранители и пакетные выключатели.

Каждый переносной стилоскоп должен иметь комплект:

сигнальные лампочки............................................................................... 2 шт.

предохранители......................................................................................... 2 шт.

защитные стекла для стилоскопа............................................................ 3 шт.

напильники................................................................................................ 2 шт.

эталоны...................................................................................................... 1 комплект

салфетки..................................................................................................... 2 шт.

блокнот, измерительная рулетка, отвертка, дисковый электрод, часовая отвертка, мелкая наждачная бумага и мел по 1 шт.

Количество приборов (табл. 4) определяется объемом ежедневных анализов.

Таблица 4

Перечень вспомогательного оборудования, материалов и инструмента, необходимых для организации пункта спектрального анализа

Вспомогательное оборудование

Инструмент

Материалы

Заточный настольный станок ЗЭС-2 с двумя кругами до 150 мм.

Настольный токарный станок.

Молоток весом 100 - 200 г

Драчевые и личневые напильники

Электролитическая листовая медь толщиной 1 - 2 мм и прутковая медь диаметром 6 - 15 мм

Легкая электрическая шлифовальная машинка С-480 и пневматическая машина ПШМ 08-60.

Параллельные тиски, часовые тиски.

Измерительный прибор-тестор ТТ-1.

Настольный вентилятор. Рубильник трехполюсный небольшого размера закрытого типа, смонтированный на изолирующей подставке.

Электрическая дрель

Ножовочный станок с полотнами.

Электрический паяльник, плоскогубцы, кусачки, ножницы, отвертки разных размеров, часовые отвертки, штангенциркуль, буквенные и цифровые клейма, алмаз или стеклорез, лабораторные щипцы, пинцеты, измерительная рулетка, шлифовальная шкурка.

Стекло толщиной 1,5 - 2 мм. Блокноты, бумага писчая и оберточная.

Калька чертежная. Журнал для записи анализов, розетки, смонтированные на изолирующей подставке, бланки протокола анализов, набор эталонов, таблицы спектральных линий для видимой области спектра, салфетки из мягкой ткани и салфетки из ткани неворсистой, спирт этиловый, резиновый баллон, емкостью 100 - 150 см3, краска для цветной маркировки металла и кисти, асбест листовой, чертежные принадлежности, изоляционная лента, металлические коробки для раскаленных электродов, мел кусковой, провод ШРПС 3´2,5, канифоль, припой.

4. В пункте необходимо иметь специальную одежду и защитные средства по количеству работающих: халат, комбинезон, брезентовый костюм, брезентовые рукавицы, каску, диэлектрические боты, диэлектрические перчатки, диэлектрические коврики и очки с обыкновенным стеклом.

При выездной работе на других предприятиях специальная одежда и защитные средства выдаются заказчиком, для которого производится работа, во временное пользование на период проведения работ.

Приложение I

ЛЕГИРОВАННЫЕ СТАЛИ И ПРИСАДОЧНЫЕ МАТЕРИАЛЫ В КОТЛОТУРБОСТРОЕНИИ

1. Трубы паропровода, поверхностей нагрева, коллекторы (камеры)

Марка стали

Содержание основных химических элементов, %

Углерод

Кремний

Марганец

Молибден

Хром

Никель

Ванадий

Вольфрам

Прочие элементы

16М

0,12 - 0,20

0,17 - 0,37

0,4 - 0,7

0,4 - 0,60

£ 0,3

-

-

-

-

15ГС

0,12 - 0,18

0,70 - 1,00

0,9 - 1,3

-

£ 0,3

£ 0,3

-

-

-

12МХ

0,09 - 0,16

0,15 - 0,30

04 - 0,7

0,4 - 0,60

0,4 - 0,6

-

-

-

-

15ХМ

0,11 - 0,16

0,17 - 0,37

0,4 - 0,7

0,4 - 0,55

0,8 - 1,1

£ 0,25

-

-

-

12Х1МФ (12ХМФ)

0,08 - 0,15

0,17 - 0,37

0,4 - 0,7

0,25 - 0,35

0,9 - 1,2

£ 0,25

0,15 - 0,30

-

-

15Х1М1Ф

0,10 - 0,16

0,17 - 0,37

0,4 - 0,7

0,90 - 1,10

1,1 - 1,4

£ 0,25

0,20 - 0,35

-

-

12Х2МФБ (ЭИ-531)

0,08 - 0,12

0,40 - 0,70

0,4 - 0,7

0,50 - 0,70

2,1 - 2,6

£ 0,25

0,20 - 0,35

-

Ниобий 0,5 - 0,8

12Х2МФСР

0,08 - 0,15

0,40 - 0,70

0,4 - 0,7

0,50 - 0,70

1,6 - 1,9

£ 0,25

0,20 - 0,35

-

Бор 0,002 - 0,005

1Х11В2МФ

0,10 - 0,15

£ 0,50

0,5 - 0,8

0,60 - 0,90

10,0 - 12,0

£ 0,6

0,15 - 0,30

1,7 - 2,2

-

1Х14Н14В2М (ЭИ257)

£ 0,15

0,3 - 0,8

£ 0,7

0,45 - 0,60

13,0 - 15,0

13,0 - 15,0

-

2,0 - 2,75

-

Х18Н10Т (ЭЯ1Т)

£ 0,12

£ 0,8

1,0 - 2,0

-

17,0 - 19,0

9,0 - 11,0

-

-

Титан (% С - 0,02) ´ 5 - 0,7

Х18Н12Т

£ 0,12

£ 0,8

1,0 - 2,0

-

17,0 - 19,0

11,0 - 13,0

-

-

Титан (% С - 0,02) ´ 5 - 0,7

1Х14Н18В2БР (ЭИ695Р)

0,07 - 0,12

£ 0,6

1,0 - 2,0

-

13,0 - 15,0

18,0 - 20,0

-

2,0 - 2,75

Ниобий 0,9 - 1,3

Церий £ 0,020

Бор £ 0,005

Х16Н14В2БР (ЭП17)

0,07 - 0,12

£ 0,6

1,0 - 2,0

-

15,0 - 18,0

13,0 - 15,0

-

2,0 - 2,75

Ниобий 0,9 - 1,3

Церий 0,020

Бор 0,002 - 0,005

Х16Н16В2МБР (ЭП184)

0,06 - 0,11

£ 0,8

£ 0,6

0,4 - 0,9

15,0 - 17,0

15,0 - 17,0

-

2,0 - 3,0

Ниобий 0,6 - 1,0

Бор 0,002 - 0,005

2. Лопатки и крепежные детали

Марка стали

Содержание основных химических элементов, %

Углерод

Кремний

Марганец

Молибден

Хром

Никель

Ванадий

Вольфрам

Ниобий

Прочие элементы

35Х

0,31 - 0,39

£ 0,20

0,5 - 0,8

-

0,8 - 0,1

£ 0,25

-

-

-

-

40Х

0,36 - 0,43

£ 0,20

0,5 - 0,8

-

0,8 - 1,1

£ 0,25

-

-

-

-

30ХМ(30ХМА)

0,26 - 0,33

£ 0,20

0,4 - 0,7

0,15 - 0,25

0,8 - 1,1

£ 0,25

-

-

-

-

35ХМ

0,32 - 0,40

0,17 - 0,37

0,4 - 0,7

0,15 - 0,25

0,8 - 1,1

-

-

-

-

-

25Х1МФ (ЭИ10)

0,22 - 0,29

0,17 - 0,37

0,4 - 0,7

0,25 - 0,35

1,5 - 1,8

£ 0,25

0,15 - 0,30

-

-

-

20Х1М1Ф1ТР (ЭП182)

0,17 - 0,24

£ 0,35

£ 0,5

0,80 - 1,10

0,9 - 1,1

£ 0,5

0,70 - 1,00

-

-

Бор 0,005

Титан 0,05 - 0,12

25Х2М1Ф (ЭИ723)

0,22 - 0,29

0,17 - 0,37

0,40 - 0,70

0,90 - 1,10

2,1 - 2,6

-

0,30 - 0,50

-

-

-

ЭП44

0,20 - 0,30

£ 0,37

0,50 - 0,80

0,80 - 1,10

1,0 - 1,5

£ 0,45

0,70 - 1,00

-

0,08 - 0,15

Церий по расчету

2Х12ВМБФР (ЭИ993)

0,15 - 0,22

£ 0,50

£ 0,50

0,40 - 0,60

11,0 - 13,0

-

0,15 - 0,30

0,40 - 0,70

0,20 - 0,40

Бор 0,003

15Х12ВМФ (ЭИ802)

0,12 - 0,18

£ 0,40

0,50 - 0,90

0,50 - 0,70

11,0 - 13,0

0,40 - 0,80

0,15 - 0,30

0,70 - 1,10

-

-

1X11МФ (15Х11МФ)

0,12 - 0,19

£ 0,50

£ 0,70

0,60 - 0,80

10,0 - 11,5

-

0,25 - 0,40

-

-

-

1X13 (ЭЖ1)

0,09 - 0,15

£ 0,60

£ 0,60

-

12,0 - 14,0

-

-

-

-

-

2Х13(ЭЖ2)

0,16 - 0,24

£ 0,60

£ 0,60

-

12,0 - 14,0

-

-

-

-

-

1X11В2МФ (ЭИ756)

0,10 - 0,15

£ 0,50

0,50 - 0,80

0,60 - 0,90

10,0 - 12,0

£ 0,60

0,15 - 0,30

1,70 - 2,20

-

-

ЭИ400

£ 0,07

£ 1,5

£ 1,5

2,00 - 3,00

16,0 - 19,0

11,0 - 14,0

-

-

-

-

ЭИ405

£ 0,12

£ 0,80

0,5 - 1,0

2,00 - 2,50

15,0 - 17,0

12,5 - 14,5

-

-

Ниобий 0,95 - 1,25

 

ЭИ612

£ 0,12

£ 0,6

1,00 - 2,00

-

14,0 - 16,0

34,0 - 38,0

-

2,80 - 3,50

-

Титан 1,1 - 1,5

ЭИ612К

£ 0,10

£ 0,5

1,00 - 2,00

-

14,0 - 16,0

34,0 - 38,0

-

2,80 - 3,50

-

Бор 0,010

Титан 1,2 - 1,6

Кобальт 3,5 - 4,5

ЭИ388

0,38 - 0,47

0,90 - 1,40

6,00 - 8,00

0,65 - 0,95

14,0 - 16,0

6,0 - 8,0

1,5 - 1,9

-

-

-

3Х19Н9МВБТ (ЭИ572)

0,28 - 0,35

£ 0,80

0,80 - 1,50

1,00 - 1,50

18,0 - 20,0

8,0 - 10,0

-

1,00 - 1,50

0,2 - 0,5

Титан 0,2 - 0,5

ЭИ607

£ 0,08

£ 0,80

£ 1,00

-

15,0 - 17,0

Основа

-

-

1,0 - 1,5

Железо £ 3,0

Алюминий 0,5 - 1,0

Титан 1,8 - 2,3

ЭИ607А

£ 0,08

£ 0,8

£ 1,0

-

15,0 - 17,0

Основа

-

-

1,0 - 1,5

Железо £ 3,0

Алюминий 0,5 - 1,0

Титан 1,4 - 1,8

ЭИ765

0,10 - 0,16

£ 0,6

£ 0,5

3,0 - 5,0

14,0 - 16,0

Основа

-

4,0 - 6,0

-

Железо £ 3,0

Бор £ 0,01

Алюминий 1,7 - 2,2

Титан 1,0 - 1,4

ХН80Т (ЭИ437)

£ 0,08

£ 1,0

£ 0,5

-

19,0 - 23,0

Основа

-

-

-

Алюминий 0,4 - 1,1

Титан 2,0 - 2,9

3. Поковки, роторы, диски, диафрагмы

Марка стали

Содержание основных химических элементов, %

Углерод

Кремний

Марганец

Молибден

Хром

Никель

Ванадий

Вольфрам

Ниобий

Прочие элементы

40Х

0,36 - 0,43

£ 0,20

0,5 - 0,8

-

0,8 - 1,1

-

-

-

-

-

40Н

0,37 - 0,45

0,17 - 0,37

0,5 - 0,8

-

£ 0,30

0,8 - 1,2

-

-

-

-

20ХМ

0,15 - 0,25

0,17 - 3,37

0,4 - 0,7

0,15 - 0,25

0,8 - 1,1

-

-

-

-

-

34ХМ

0,30 - 0,40

0,17 - 3,35

0,4 - 0,7

0,20 - 3,30

0,9 - 1,3

£ 0,50

-

-

-

-

34ХМ1А

0,30 - 0,38

0,17 - 0,37

0,4 - 0,7

0,40 - 0,55

0,9 - 1,2

-

-

-

-

-

Р2

0,22 - 0,30

0,30 - 0,50

£ 0,60

0,60 - 0,80

1,5 - 1,8

£ 0,30

0,2 - 0,3

-

-

-

15ХМФКР (П1)

0,12 - 0,18

0,17 - 0,37

0,4 - 0,6

0,9 - 1,2

1,0 - 1,3

-

0,25 - 0,35

-

-

Кобальт 1,2 - 1,5

Бор 0,005 - 0,008

34ХН1М

0,30 - 0,40

0,17 - 0,37

0,5 - 0,8

0,2 - 0,3

1,3 - 1,7

1,3 - 1,7

-

-

-

-

34ХН2М

0,30 - 3,40

0,17 - 0,37

0,5 - 0,8

0,25 - 0,40

0,8 - 1,2

1,75 - 2,25

-

-

-

-

34ХНЗМ

0,30 - 0,40

0,17 - 0,37

0,5 - 0,8

0,25 - 0,40

0,7 - 1,1

2,75 - 3,25

-

-

-

-

34ХНЗМФ

0,30 - 0,40

0,17 - 0,37

0,5 - 0,8

0,25 - 0,40

1,2 - 1,5

3,00-3,50

-

-

-

-

ЭИ415

0,16 - 0,24

0,17 - 0,37

0,25 - 0,50

0,35 - 0,55

2,8 - 3,3

 

0,60 - 0,85

0,30 - 0,50

-

-

1Х11МФ (15Х1МФ)

0,12 - 0,19

£ 0,50

£ 0,70

0,60 - 0,80

10,0 - 11,5

 

0,25 - 0,40

-

-

-

15Х12ВМФ (ЭИ802)

0,12 - 0,18

£ 0,40

0,50 - 0,90

0,50 - 0,70

11,0 - 13,0

0,4 - 0,8

0,15 - 0,30

0,70 - 1,10

-

-

1Х12В2МФ (ЭИ756)

0,10 - 0,17

£ 0,50

0,5 - 0,8

0,60 - 0,90

11,0 - 13,0

£ 0,3

0,15 - 0,30

1,70 - 2,20

-

-

4Х14Н14В2М

0,40 - 0,50

£ 0,80

£ 0,70

0,25 - 0,40

13,0 - 15,0

13,0 - 15,0

-

2,00 - 2,75

-

-

ЭИ400

£ 0,07

£ 1,5

£ 1,5

2,00 - 3,00

16,0 - 19,0

11,0 - 14,0

-

-

-

-

Х18Н10Т (ЭЯ1Т)

£ 0,12

£ 0,80

1,0 - 2,0

-

17,0 - 19,0

9,0 - 11,0

-

-

-

Титан (% С - 0,02) ´ 5 - 0,7

Х18Н12Т

£ 0,12

£ 0,80

1,0 - 2,0

-

17,0 - 19,0

11,0 - 13,0

-

-

-

Титан (% С - 0,02) ´ 5 - 0,7

ЭИ724

0,07 - 0,12

£ 0,70

0,8 - 1,5

-

15,0 - 17,0

12,5 - 14,5

-

-

£ 1,4

Ниобий 1,4

ЭИ405

£ 0,12

£ 0,8

0,5 - 1,0

2,0 - 2,5

15,0 - 17,0

12,5 - 14,5

-

-

0,95 - 1,25

-

0Х18Н12Б (Х18Н111Б, ЭИ402)

£ 0,08

£ 0,8

1,0 - 2,0

-

17,0 - 19,0

11,0 - 13,0

-

-

8 ´ % С до 1,20

 

1Х14Н18В2БР (ЭИ695Р)

0,07 - 0,12

£ 0,6

1,0 - 2,0

-

13,0 - 15,0

18,0 - 20,0

-

2,00 - 2,75

-

Церий £ 0,020

Ниобий 0,9 - 1,3

Бор £ 0,005

Х16Н14В2БР (ЭП17)

0,07 - 0,12

£ 0,6

1,0 - 2,0

-

15,0 - 18,0

13,0 - 15,0

-

2,00 - 2,75

-

Церий 0,020

Бор 0,002 - 0,005

Ниобий 0,9 - 1,3

Х16Н16В2МБР (ЭП184)

0,06 - 0,11

£ 0,8

£ 0,6

0,4 - 0,9

15,0 - 17,0

15,0 - 17,0

-

2,00 - 3,00

-

Бор 0,002 - 0,005

Ниобий 0,6 - 1,0

1Х14Н18В2БР (ЭИ726)

0,07 - 0,12

£ 0,6

1,0 - 2,0

-

13,0 - 15,0

18,0 - 20,0

-

2,00 - 2,75

0,9 - 1,3

Бор £ 0,025

Церий Н.б. 0,020

1Х14Н14В2МТ (ЭИ257 с титаном)

£ 0,15

£ 0,8

£ 0,7

0,45 - 0,60

13,0 - 15,0

13,0 - 15,0

-

2,00 - 2,75

0,5 - 0,8

Титан 0,5

1Х14Н18В2Б (ЭИ695)

0,07 - 0,12

£ 0,6

1,0 - 2,0

-

13,0 - 15,0

18,0 - 20,0

-

2,00 - 2,75

0,9 - 1,3

-

Х23Н18 (ЭИ417)

£ 0,20

£ 1,0

£ 2,0

-

22,0 - 25,0

17,0 - 20,0

-

-

-

-

ЭИ388

0,38 - 0,47

0,9 - 1,4

6,0 - 8,0

0,65 - 0,95

14,0 - 16,0

6,0 - 8,0

1,5 - 1,9

-

-

-

ЭИ395

£ 0,12

0,5 - 1,0

1,0 - 2,0

5,50 - 7,00

15,0 - 17,5

24,0 - 27,0

-

-

-

Азот 0,10 - 0,20

ЭИ612

£ 0,12

£ 0,6

1,0 - 2,0

-

14,0 - 16,0

34,0 - 38,0

-

2,8 - 3,5

-

Титан 1,1 - 1,5

ЭИ612

£ 0,10

£ 0,5

1,0 - 2,0

-

14,0 - 16,0

34,0 - 36,0

-

2,8 - 3,5

-

Титан 1,2 - 1,6

Бор 0,01

Кобальт 3,5 - 4,5

ЭИ607К

£ 0,08

£ 0,8

£ 1,0

-

15,0 - 17,0

осн.

-

-

1,0 - 1,5

Титан 1,4 - 1,8

Алюминий 0,5 - 1,0

Железо Н.б. 3,0

4. Литые детали турбин, котлов и арматуры

Марка стали

Содержание основных химических элементов, %

Углерод

Кремний

Марганец

Молибден

Хром

Никель

Ванадий

Вольфрам

Титан

Ниобий

20ГСЛ

0,16 - 0,22

0,6 - 0,8

1,0 - 1,3

-

-

-

-

-

-

-

20ХМЛ

0,15 - 0,25

0,2 - 0,42

0,41 - 0,9

0,4 - 0,6

0,4 - 0,7

£ 0,3

-

-

-

-

20ХМФЛ

0,18 - 0,25

0,2 - 0,40

0,6 - 0,9

0,5 - 0,7

0,9 - 1,2

£ 0,3

0,2 - 0,3

-

-

-

15Х1М1ФК1РЛ (П1-Л)

0,12 - 0,18

0,17 - 0,37

0,4 - 0,6

0,9 - 1,2

1,0 - 1,3

-

0,25 - 0,35

-

-

Бор 0,005 - 0,008

Кобальт 1,2 - 1,5

15Х2М2ФБС (П3)

0,13 - 0,18

0,70 - 1,00

0,5 - 0,8

1,2 - 1,5

1,8 - 2,3

-

0,25 - 0,40

-

-

0,08 - 0,15

15Х1М1ФЛ

0,14 - 0,20

0,20 - 0,40

0,6 - 0,9

0,9 - 1,2

1,2 - 1,7

£ 0,3

0,25 - 0,40

-

-

-

1Х11МФБЛ (15Х11МФБЛ)

0,12 - 0,18

£ 0,6

0,6 - 1,0

0,8 - 1,05

10,0 - 12,0

0,5 - 0,9

0,2 - 0,3

-

-

0,1 - 0,2

Х11ЛБ

0,12 - 0,19

£ 0,5

0,5 - 1,0

0,6 - 0,80

10,5 - 12,0

0,6 - 1,0

0,25 - 0,30

0,8 - 1,1

-

-

12Х11В2НМФ (ЦЖ5)

0,10 - 0,15

0,17 - 0,40

0,6 - 0,8

0,6 - 0,8

10,5 - 12,5

0,8 - 1,0

0,20 - 0,35

1,7 - 2,2

-

-

ЛА-3

0,12 - 0,18

£ 0,55

£ 1,0

1,8 - 2,2

13,0 - 15,0

13,0 - 15,0

0,40 - 0,60

1,3 - 1,8

0,1 - 0,3

0,3 - 0,5

ЛА-6

0,11 - 0,15

£ 0,55

0,5 - 1,0

1,7 - 2,1

13,0 - 15,0

13,0 - 15,0

-

1,25 - 1,65

-

(% С ´ 8 - 10) до 1,2

1Х15Н9В3БЛ (ЦЖ-15)

0,08 - 0,12

0,4 - 0,6

1,0 - 1,5

-

15,0 - 16,5

8,5 - 10,0

-

3,00 - 4,00

-

(8 ´ % С) Н.б. 1,2

Х18Н10ТЛ

£ 0,12

£ 0,8

1,0 - 2,0

-

17,0 - 19,0

8,0 - 11,0

-

-

(% С - 0,02) ´ 5 - 0,7

-

Х18Н12ТЛ

0,08 - 0,12

£ 0,8

1,00 - 2,0

-

17,0 - 19,0

11,0 - 13,0

-

-

(% С - 0,02) ´ 5 - 0,7

 

ЭИ402МЛ

£ 0,12

£ 0,55

0,5 - 1,0

0,9 - 1,2

16,0 - 18,0

9,5 - 11,5

-

-

-

1,1 - (9´ % С)

Х25Н13ТЛ

0,14 - 0,20

£ 0,6

1,0 - 1,5

-

23,5 - 26,0

12,0 - 14,0

-

-

0,1 - 0,18

Азот 0,1 - 0,16

26-20

0,20 - 0,40

0,60 - 1,5

0,5 - 1,0

-

23,0 - 27,0

19,0 - 22,0

-

-

-

-

5. Пружины, рессоры

Марка стали

Содержание основных химических элементы, %

Углерод

Кремний

Марганец

Молибден

Хром

Никель

Прочие элементы

60С2

0,57 - 0,65

1,50 - 200

0,60 - 0,90

-

£ 0,30

£ 0,40

-

50ХФА

0,46 - 0,54

0,17 - 0,37

0,50 - 0,80

-

0,8 - 1,1

£ 0,40

Ванадий 0,10 - 0,20

ЭИ723

0,22 - 0,30

0,17 - 0,37

0,50 - 0,80

0,90 - 1,10

2,1 - 2,5

-

Ванадий 0,30 - 0,50

4Х10С2М (ЭИ107)

0,35 - 0,45

1,9 - 2,6

£ 0,7

0,70 - 0,90

9,0 - 10,5

 

-

3X13

0,25 - 0,34

£ 0,6

£ 0,6

-

12,0 - 14,0

 

-

4X13

0,35 - 0,44

£ 0,6

£ 0,6

-

12,0 - 14,0

 

-

Х20Н14С2 (ЭИ211)

£ 0,2

2,0 - 3,0

£ 1,5

-

19,0 - 22,0

12,0 - 15,0

-

ЭИ612

£ 0,12

£ 0,6

1,00 - 2,00

-

14,0 - 16,0

34,0 - 38,0

Вольфрам 2,8 - 3,5

Титан 1,1 - 1,5

6. Листы

Маржа стали

Содержание основных химических элементов, %

Углерод

Кремний

Марганец

Хром

Никель

Вольфрам

Титан

Прочие элементы

Х13Н18В2БР (ЭИ695Р)

0,07 - 0,12

£ 0,6

1,0 - 2,0

13,0 - 15,0

18,0 - 20,0

2,0 - 2,75

-

Ниобий 0,90 - 1,30

Бор 0,005

Церий 0,020

Х18Н10Т (ЭЯ1Т)

£ 0,12

£ 0,8

1,0 - 2,0

17,0 - 19,0

9,0 - 11,0

-

(% С - 0,02) ´ 5 - 0,7

-

Х23Н13 (ЭИ319)

£ 0,2

£ 1,0

£ 2,0

22,0 - 25,0

12,0 - 15,0

-

-

-

7. Сварочная проволока

Марка проволоки

Содержание основных химических элементов, %

Углерод

Кремний

Марганец

Молибден

Хром

Никель

Ванадий

Прочие элементы

Св-10МХ

£ 0,12

0,12 - 0,35

0,40 - 0,70

0,40 - 0,60

0,45 - 0,65

£ 0,30

-

-

Св-10ХМ

£ 0,12

0,12 - 0,35

0,40 - 0,70

0,40 - 0,60

0,80 - 1,10

£ 0,30

-

-

Св-08ХМФ

£ 0,10

0,12 - 0,35

0,60 - 0,70

0,60 - 0,80

1,00 - 1,40

£ 0,30

0,15 - 0,35

-

Св-08ХГСМФ

£ 0,10

0,60 - 0,90

1,20 - 1,60

0,50 - 0,70

0,95 - 1,25

£ 0,30

020 - 0,40

-

Св-08ХЭМФБ

£ 0,10

0,12 - 0,35

0,40 - 0,70

0,60 - 0,80

2,20 - 2,60

£ 0,30

0,15 - 0,35

Ниобий 0,2 - 0,5

Св-06X14

£ 0,38

0,30 - 0,70

0,30 - 0,70

-

13,0 - 15,0

£ 0,60

-

-

Св-10Х1ЫНМ

0,08 - 0,15

0,25 - 0,55

0,35 - 0,65

0,60 - 0,90

10,5 - 12,0

0,60 - 0,90

0,25 - 0,50

-

Св-10X13

0,08 - 0,15

0,30 - 0,70

0,30 - 0,70

-

12,0 - 14,0

£ 0,60

-

-

Св-10Х11ВМФН

0,08 - 0,13

0,30 - 0,60

0,36 - 0,65

1,00 - 1,30

10,50 - 12,0

0,80 - 1,10

0,25 - 0,50

Вольфрам 1,00 - 1,40

Св-04Х19Н1М3

£ 0,06

£ 0,60

1,00 - 2,00

2,00 - 3,00

18,00 - 20,0

10,0 - 12,0

-

-

Св-08Х19Н10Б

0,05 - 0,10

£ 0,70

1,20 - 1,70

-

18,50 - 20,5

9,0 - 10,5

-

-

Св-07Х25Н13

£ 0,09

0,50 - 1,00

1,00 - 2,00

-

23,00 - 26,00

12,0 - 14,0

-

-

Св-04Х19Н9С2

£ 0,06

2,00 - 2,75

1,00 - 20

-

18,00 - 20,00

8,0 - 10,0

-

-

Св-10Х16Н25М6

0,08 - 0,12

£ 0,60

1,00 - 2,00

5,50 - 7,00

15,00 - 17,50

24,0 - 27,0

-

-

8. Наплавленный металл (электроды)

Марка электрода

Содержание основных химических элементов, % (по паспортным данным)

Углерод

Кремний

Марганец

Молибден

Хром

Никель

Ванадий

Ниобий

Вольфрам

ЦУ-2ХМ

0,06 - 0,12

0,15 - 0,45

0,50 - 0,90

0,40 - 0,70

0,70 - 1,00

-

-

-

-

ЗиО-20

0,07 - 0,12

0,15 - 0,40

0,60 - 0,90

0,40 - 0,70

0,80 - 1,25

0,30

-

-

-

УОНИ-13ХМ

£ 0,11

0,18 - 0,35

0,35 - 0,65

0,35 - 0,60

0,35 - 0,60

-

-

-

-

УОНИ-13/НЖ

£ 0,10

0,50 - 1,20

1,00 - 2,00

-

16,0 - 20,0

8,0 - 11,0

-

-

-

ЦЛ-11

£ 0,12

£ 1,30

£ 2,50

-

19,0 - 23,0

8,0 - 10,4

-

0,70 - 1,30*

-

ЦЛ-14

0,06 - 0,12

£ 0,35

0,40 - 0,80

0,40 - 0,70

0,30 - 0,60

-

-

-

-

ЦЛ-20

0,08 - 0,13

0,15 - 0,45

0,50 - 0,90

0,40 - 0,70

0,60 - 1,20

-

0,10 - 0,35

-

-

ЦЛ-20М

0,07 - 0,12

0,18 - 0,40

0,65 - 1,00

0,40 - 0,75

0,90 - 1,30

0,30

0,18 - 0,35

-

-

ЦЛ-25

£ 0,12

£ 1,00

£ 2,50

-

23,0 - 27,0

11,5 - 14,0

-

-

-

ЦЛ-26М

0,08 - 0,13

0,15 - 0,45

0,50 - 0,90

0,70 - 1,00

2,4 - 3,00

-

0,25 - 0,50

0,35 - 0,65

-

ЦЛ-32

0,11 - 0,16

£ 0,5

0,30 - 0,80

0,90 - 1,20

10,0 - 12,5

0,70 - 1,20

0,30 - 0,40

-

0,9 - 1,4

ЦЛ-36

0,08 - 0,12

0,15 - 0,40

0,60 - 0,90

0,75 - 1,00

1,0 - 1,4

0,70 - 0,90

0,20 - 0,35

0,08 - 0,20

-

ЦЛ-38

0,06 - 0,12

0,20 - 0,45

0,50 - 0,90

0,40 - 0,70

0,7 - 1,0

-

-

-

-

ЦЛ-39

0,08 - 0,13

0,20 - 0,45

0,60 - 0,90

0,40 - 0,70

0,8 - 1,2

-

0,15 - 0,35

-

-

ЦЛ-40

0,08 - 0,13

0,25 - 0,55

0,60 - 0,90

0,70 - 1,00

1,7 - 2,20

-

0,25 - 0,50

0,10 - 0,30

-

ЦТ-7

£ 0,13

£ 1,00

£ 3,00

1,80 - 3,30

16,5 - 20,5

8,5 - 12,5

0,30 - 0,75

-

-

ЦТ-10

0,08 - 0,14

0,15 - 0,50

1,00 - 2,50

4,7 - 6,7

13,5 - 17,0

23,5 - 26,5

-

-

-

ЦТ-15

£ 0,12

0,15 - 0,80

£ 2,20

-

17,5 - 21,5

8,5 - 10,4

-

0,65 - 1,00*)

-

ЦТ-15-1

£ 0,12

£ 1,30

£ 2,50

-

19,0 - 23,0

8,0 - 10,4

-

0,70 - 1,30

-

ЦТ-26

0,085

0,35

1,4

1,7

16,0

8,2

-

-

-

ЦТ-26-1

0,085

0,35

1,4

1,7

17,2

8,0

-

-

-

КТИ-5

£ 0,13

£ 1,00

£ 3,00

1,8 - 3,3

16,5 - 20,5

8,5 - 2,5

0,30 - 0,75

-

-

ЭА-400/10У

£ 0,09

£ 0,60

£ 3,00

2,0 - 3,1

16,5 - 19,5

9,0 - 12,0

0,30 - 0,75

-

-

ОЗЛ-4

£ 0,12

£ 1,00

£ 2,50

-

23,0 - 27,0

11,5 - 14,0

-

-

-

ОЗЛ-5

£ 0,14

1,20 - 2,20

£ 2,00

-

22,0 - 25,0

12,8 - 15,0

-

-

-

ОЗЛ-6

£ 0,12

£ 1,0

£ 2,50

-

23,0 - 27,0

11,5 - 14,5

-

-

-

* Содержание не менее 8 ´ С

Примечание. Наплавленный металл электродами НИАТ-5 и ЭА-395/9 по химическому составу аналогичен металлу, наплавленному электродом ЦТ-10.

Приложение II

Примерный перечень основных деталей* котлотурбоагрегатов, проверяемых с помощью стилоскопа

Наименование оборудования (узлов)

Проверяемые детали

Время проведения анализа

I Основные трубопроводы: паропроводы, их байпасы, дренажи, арматура, питательные линии

Трубы.

Крепежные детали:** шпильки, гайки.

Фланцевые соединения, фасонные и литые части: фланцы, штуцеры, отводы, переходы, крестовины.

Паросборные камеры: корпуса, днище.

Хомуты подвижных и неподвижных опор, подвесок.

До монтажа (ремонта) и после окончания монтажных (ремонтных) работ.

Напорная, регулирующая и предохранительная арматура: корпуса, крышки, разъемные кольца, упорные диски, опорные кольца, детали затвора, шпиндели.

При ревизии и после установки по месту работы.

II. Пароперегреватели и экраны

При блочной поставке: коллекторы (корпуса, донышки, штуцеры) и все доступные для анализа трубы

Перед установкой на агрегат, а также в случае повреждения при монтаже и ремонте.

При поставке россыпью, изготовлении на месте и ремонте: все трубы и коллекторы (корпуса, донышки, штуцеры)

Трубы до сварки и перед установкой на агрегат. Коллекторы - до установки на агрегат.

III. Детали турбин

Стопорные, регулирующие, отсечные клапана и блоки: корпуса, крышки, патрубки, штоки***.

В период монтажа и ревизии или ремонта.

Сопловые коробки: корпуса

Трубы: паровпускные и перепускные

 

Корпус ц.с.в.д., ц.в.д. и ц.с.д. нижняя и верхняя половины

Диафрагмы: нижняя и верхняя половины.

Ротор: вал, лопатки (выборочно ~ 20 %) и насадные диски.

В период монтажа и ревизии или ремонта.

* Если они по проекту должны быть выполнены из легированной стали.

** Также проверяются в позиции III.

*** Детали, имеющие упрочнения, проверяются в неупрочненных местах.

Перечень сварных швов и присадочных материалов, проверяемых с помощью стилоскопа

№ п.п.

Наименование объекта анализа

Объем анализа

Время проведения анализа

1

Металл швов сварных соединений трубопроводов, код-лекторов и труб поверхностей нагрева, выполненных всеми видами электродуговой и газовой сварки с применением в соответствии с проектом легированных присадочных материалов

1. Все заводские, монтажные и ремонтные швы главных паропроводов и коллекторов свежего пара.

После окончания монтажных или сварочных работ.

2. Все вновь выполненные швы трубопроводов и коллекторов диаметром 150 мм и выше.

После окончания сварочных работ.

3. Вновь сваренные швы вспомогательных трубопроводов и коллекторов диаметром от 100 до 150 мм в объеме не менее 20 % от общего числа однотипных стыков, но не менее трех, выполненных каждым сварщиком на данном агрегате.

-»-

4. Вновь сваренные швы трубопроводов и труб поверхностей нагрева диаметром до 100 мм, в количестве не менее 5 % (но не менее трех) от всех однотипных швов, выполненных каждым сварщиком на данном агрегате.

-»-

2

Присадочные материалы легированных марок

1. Сварочная проволока: каждая бухта, моток, катушка.

Анализ производится на образцах, согласно разделу II пункта 2 настоящих методических указаний перед выдачей присадочных материалов руководителю сварочных работ.

2. Электроды: каждая партия.

Примечание: Однотипными стыками считаются сварные соединения труб из стали одной марки, имеющие одинаковую конструкцию и форму разделки кромок, выполненные по единому технологическому процессу и отличающиеся друг от друга, как по наружному, так и по толщине стенки труб не более чем на 50 % в одну сторону.

Приложение III

    ШТАМП                                                                                          Образец заполнения

организации

производящей

спектральный

анализ

ПРОТОКОЛ № 81

от 10 марта 1968 г.

Спектрального анализа деталей паропровода котла № 4, корпуса № 5, блока № 2 ГРЭС № 6 Мосэнерго, г. Михайловск

Параметры пара: температура - 570 °С

                                                                        давление - 140 ат

Контроль проводился на смонтированном оборудовании

№ п.п.

Наименование детали уела, № по чертежу

Размер, мм

Количество, шт.

Содержание легирующих элементов, %

Марка стали

Примечания

в соответствии с произведенным анализом

по проекту

1

2

3

4

5

6

7

8

1

Труба 63-64

273´28

1

Cr-0,6 Мо-0,6

12МХ

12Х1МФ (12ХМФ)

 

2

Труба 64-65

273´28

1

Cr-1,0 Мо-0,6

15ХМ

12Х1МФ (12ХМФ)

 

3

Труба 66-67

273´28

1

Cr-1,0 Мо-3,5 V-0,3

12Х1МФ (12ХМФ)

12Х1МФ (12ХМФ)

 

4

Задвижка 65-66

Ду-200

1

 

 

 

 

5

Корпус (501-200-1)

 

1

Cr-0,7 Мо-0,6

20ХМЛ

20ХМФЛ

 

6

Крышка (501-202-1)

 

1

Cr-1,0 Мо-0,6 V-0,3

20ХМФЛ

20ХМФЛ

 

7

Шпилька 2, 3

 

2

Cr-1,5 Мо-1,0 V-0,3

25Х2МФА (ЭИ-10)

25Х2М1Ф (ЭИ-723)

 

8

Шпилька 6

 

1

Сr-2,5 Мо-1,0 V-0,5

25Х2М1Ф (ЭИ-723)

25Х2М1Ф (ЭИ-723)

 

9

Шпилька 1, 4, 5, 7 - 12

 

9

Cr-1,0

35Х или 40Х

25Х2М1Ф (ЭИ-723)

 

10

Гайка 1, 7

 

2

Cr-1,5 Мо-0,3 V-0,3

25Х2МФА (ЭИ-10)

25Х2М1Ф (ЭИ-10)

 

11

Гайка 2, 3 - 6, 8 - 12

 

10

Cr-10,0 Мо-0,6 V-0,3 W-2,0

1Х11В2МФ (ЭИ-756)

25Х2М1Ф (ЭИ-10)

 

Начальник лаборатории                                                                             /подпись/

Оператор                                                                                                      /подпись/

Примечания: 1. Если прибывшее оборудование не связано с № котла (турбины), то в протоколе указывается только наименование этого оборудования.

2. Указывается место проведения анализов: в мастерской, на монтажной площадке, на смонтированном оборудовании и т.д.

3. В графе «примечания» записывается № сертификата и маркировка (при анализе до установки на агрегате).

4. При отклонении содержания легирующих элементов от ГОСТ, что имеет место при анализе сталей импортных марок, и отсутствии по ним данных графы «6» и «7» не заполняются.

5. Допускается изменение формы протокола, при условии, что количество обязательной информации, отраженной в нем, не будет уменьшено.

СОДЕРЖАНИЕ

Введение. 1

I. Понятие о визуальном спектральном анализе и аппаратуре. 2

II. Подготовка изделий и стандартных электродов к анализу. 3

III. Организация и оформление работ по спектральному анализу. 5

IV. Методика анализа. 7

V. Уход за аппаратурой. 20

VI. Работа с переносным стилоскопом СЛП-2. 22

VII. Работа со стационарным стилоскопом СЛ-11. 24

VIII. Меры безопасности при работе со стилоскопом.. 24

IX. Устройство и оборудование пункта спектрального анализа. 26

Приложение I Легированные стали и присадочные материалы в котлотурбостроении. 27

Приложение II Примерный перечень основных деталей котлотурбоагрегатов, проверяемых с помощью стилоскопа. 34

Приложение III Протокол. 36