МИНИСТЕРСТВО ТРАНСПОРТА РОССИЙСКОЙ ФЕДЕРАЦИИ
ТЕХНОЛОГИЯ ПРОМЕРНЫХ РАБОТ
ПРИ ПРОИЗВОДСТВЕ ДНОУГЛУБИТЕЛЬНЫХ
РАБОТ И ПРИ КОНТРОЛЕ ГЛУБИН
ДЛЯ БЕЗОПАСНОСТИ ПЛАВАНИЯ СУДОВ
В МОРСКИХ ПОРТАХ
И НА ПОДХОДАХ К НИМ
РД 31.74.04-2002
Ростов-на-Дону
2004
ПРЕДИСЛОВИЕ
1 РАЗРАБОТАН ОАО «Ростовское центральное проектно-конструкторское бюро «Стапель»
(ОАО «РЦПКБ «Стапель»)
Генеральный директор Н.Н. Тыртышный
Коммерческий директор Л.А. Алекумова
Ответственный исполнитель Н.А. Ирхин
2 ВНЕСЕН Департаментом регулирования производственной деятельности морских портов Минтранса РФ
3 СОГЛАСОВАН Дирекция государственного заказчика по реализации программ развития морского транспорта Генеральный директор Н.И. Хвощинский
Государственное унитарное гидрографическое предприятие
Главный инженер С.В. Решетняк
Письмо от 13.08.2002 № 2611-42
ФГУП Азовское управление морских путей
Директор М.Л. Падалкин
Письмо от 03.07.2002 № 262-42
Морская администрация порта Архангельск
Главный инженер В.В. Мергасов
Письмо от 30.07.2002 № 11-07-02
Морская администрация порта Астрахань
Начальник В.Г. Пащенко
Письмо от 12.08.2002 № 835
Морская администрация порта Калининград
Главный инженер Ю.Г. Шмалий
Письмо от 23.07.2002 № 6972-10/02
4 ПРИНЯТ И ВВЕДЕН В ДЕЙСТВИЕ Постановлением ТК 318 «Морфлот» от 17.06.2004 № 16
5 ВЗАМЕН РД 31.74.04-79
Технический комитет по ста
ндартизации ТК 318 «Морфлот»
ПОСТАНОВЛЕНИЕ
«17» июня 2004 г. г. Санкт-Петербург № 15
Содержание: О технологии промерных работ при производстве дноуглубительных работ и при контроле глубин для безопасности плавания судов в морских портах и на подходах к ним
ОАО «РЦПКБ «Стапель» согласно плану НИОКР Минтранса России на 2001 - 2002 годы разработан нормативный документ «Технология промерных работ при производстве дноуглубительных работ и при контроле глубин для безопасности плавания судов в морских портах и на подходах к ним. Инструкция».
При подготовке документа учтены предложения и замечания заинтересованных организаций. Окончательная редакция документа согласована с МАП, ГУ гидрографическим предприятием, Дирекцией государственного заказчика программ развития морского транспорта.
Руководствуясь Федеральным законом от 27.12.2002 № 184-ФЗ «О техническом регулировании» (ст. 17) Технический комитет
ПОСТАНОВЛЯЕТ:
1. Рекомендовать филиалам Росморпорта, морским портам и другим организациям, занимающимся дноугубительными работами и контролем за глубинами на морских подходных каналах и акваториях портов, применять разработанный документ «Технология промерных работ при производстве дноуглубительных работ и при контроле глубин для безопасности плавания судов в морских портах и на подходах к ним. Инструкция», введя ее в действие распорядительным актом своей организации.
2. Действие РД 31.74.04-79 «Технология промерных работ при производстве дноуглубительных работ» признать утратившим силу.
3. Рекомендовать ОАО «РЦПКБ «Стапель» информировать заинтересованные организации о разработке документа «Технология промерных работ при производстве дноуглубительных работ и при контроле глубин для безопасности плавания судов в морских портах и на подходах к ним. Инструкция», обеспечить издание и рассылку по заявкам.
Председатель ТК 318 «Морфлот» В.И. Пересыпкин
СОДЕРЖАНИЕ
ТЕХНОЛОГИЯ ПРОМЕРНЫХ РАБОТ ПРИ ПРОИЗВОДСТВЕ ДНОУГЛУБИТЕЛЬНЫХ РАБОТ И ПРИ КОНТРОЛЕ ГЛУБИН ДЛЯ БЕЗОПАСНОСТИ ПЛАВАНИЯ СУДОВ В МОРСКИХ ПОРТАХ И НА ПОДХОДАХ К НИМ. ИНСТРУКЦИЯ
Настоящая инструкция устанавливает организационно-технические нормы, технологические способы, методы производства промера, нормативные требования по точности и срокам его выполнения при производстве дноуглубительных работ и при контроле габаритов морских каналов, фарватеров и акваторий портов.
РД является рекомендательным для всех организаций (предприятий), независимо от ведомственной принадлежности и форм собственности, занимающихся промерными работами при производстве дноуглубительных работ и контроле глубин для безопасного плавания судов в морских портах и на подходах ним.
Основными задачами промера являются:
- выявление состояния габаритов судоходных объектов морских путей (каналов, фарватеров, рейдов, судоходных ходов акваторий портов и гаваней);
- определение объемов планируемых и выполненных дноуглубительных работ;
- выявление величины и интенсивности заносимости судоходных объектов морских путей;
- обеспечение объектов дноуглубительных работ плановой разбивкой и вынос в натуру и обозначение на местности границ участков работ с заданной проектной точностью;
- обеспечение объектов дноуглубительных работ промерными материалами;
- контроль за состоянием мест отвалов (свалок) грунта и подходных путей к ним;
- контроль за качеством работы земснарядов;
- обеспечение объектов дноуглубительных работ, при необходимости, временными уровенными постами.
2.2.1 По своему назначению промер делится на три вида:
- приемо-сдаточный (предварительный и исполнительный);
- подробный;
- контрольный (рекогносцировочный).
2.2.2 Подробность промера должна назначаться в зависимости от размеров и формы объекта, рельефа дна, значимости объекта и не должна быть меньше указанной в таблице 2.
2.2.3 Приемо-сдаточный промер должен выполняться на объектах дноуглубления для определения достигнутых габаритов (глубина, ширина прорези, средняя толщина снятого слоя) и объемов дноуглубительных работ.
Он состоит из предварительного промера, выполняемого перед производством дноуглубительных работ, и исполнительного промера, выполняемого после окончания части или всех работ на объекте дноуглубления.
2.2.4 Подробный промер должен выполняться для выявления:
- состояния габаритов судоходных объектов морских путей (каналов, фарватеров, судовых ходов, акваторий портов и рельефа дна рейдов);
- состояния мест отвала (свалок) грунта;
- величины и интенсивности заносимости судоходных объектов морских путей.
Таблица 1
Сроки проведения промерных работ
|
Величина заносимости в год, м |
|||
|
менее 0,3 |
более 0,3 |
заносимость от штормовых явлений |
|
|
Приемо-сдаточный промер: предварительный |
|||
|
Все объекты дноуглубительных работ |
Не ранее 10 суток до начала работ |
Не ранее 5 суток до начала работ |
Не позднее 3 суток после окончания шторма (корректировка ранее выполненного промера) |
|
исполнительный |
|||
|
Все объекты дноуглубительных работ |
Не позднее 10 суток после окончания работ на каждом пикете сдаваемого участка |
Не позднее 5 суток после окончания работ на каждом пикете сдаваемого участка |
Не позднее 3 суток после окончания шторма |
|
Подробный промер |
|||
|
Все судоходные объекты морских путей, отвалы грунта |
Не реже 1 раза в год |
Не реже 2 раз в год |
- |
|
Контрольный промер |
|||
|
Все судоходные объекты морских путей |
Не реже 2 раз в год |
Не реже 3 раз в год |
- |
|
Лимитирующие участки каналов, фарватеров, судовых ходов |
Не менее чем через 90 суток между промерами |
Не менее чем через 30 суток между промерами |
После окончания шторма |
|
Отвалы (свалки) грунта |
По мере необходимости, но не реже 1 раза в год |
По мере необходимости, но не реже 1 раза в год |
- |
|
Контроль работы земснаряда |
Через каждые 5 суток |
Через каждые 5 суток |
- |
2.2.5 Контрольный промер должен выполняться для:
- выявления лимитирующих участков канала, фарватеров и судовых ходов и получения оперативных сведений об изменениях их габаритов;
- выявления рельефа дна и глубин на отдельных объектах, отвалах (свалок) грунта и подходах к ним;
- осуществления контроля за качеством работы земснарядов в процессе дноуглубления.
2.2.6 Измерение глубин при всех видах промера (однолучевым эхолотом) должно выполняться поперечными галсами с прокладкой их нормально осям каналов, фарватеров и судовых ходов.
Для контроля качества промера поперечными галсами, нормально им на каналах, фарватерах и судовых ходах необходимо прокладывать не менее 3-х контрольных галсов, один - по оси на расстоянии 0,25 В (где В - ширина канала между нижними бровками канала или ширины фарватера).
Для контроля промера необходимо произвести сличение глубин во всех точках пересечения контрольных и осевых галсов промера. При этом, 85 % случаев сличения расхождения глубин на контрольных и основных галсах в диапазоне 0 - 20 м не должно превышать 5 % от глубины. В остальных 15 % случаев сличения расхождения не должно превышать 15 % от глубины.
При выполнении промера на объектах дноуглубления, акваториях портов, рейдах с целью контроля качества основного промера необходимо прокладывать 1 - 2 контрольных галса нормально галсам основного промера.
При использовании многолучевых эхолотов, обеспечивающих покрытие всей площади промеряемого объекта, допускается выполнение промера продольными галсами.
Сроки проведения промера должны устанавливаться организациями, эксплуатирующими морские пути, в зависимости от величины и интенсивности заносимости объекта в соответствии с требованиями таблицы 1.
2.3.1 Подробность промера определяется расстоянием между промерными галсами и частотой измерения глубин на галсе.
2.3.3 Наименьшую предельную подробность промера следует принимать в соответствии с таблицей 2.
Таблица 2
Предельная подробность промера
|
Приемо-сдаточный |
Подробный |
Контрольный |
||||
|
Расстояние между, м |
||||||
|
пикетами |
точками на промерном галсе |
пикетами |
точками на промерном галсе |
пикетами |
точками на промерном галсе |
|
|
Судоходные каналы: |
||||||
|
- ложе, забровочное пространство |
50 или 100 |
10,0 |
50 или 100 |
10,0 |
100, 200, 500 |
10,0 |
|
- боковые откосы Фарватеры: |
50 или 100 |
2,5 и 5,0 |
50 или 100 |
5,0 |
100, 200, 500 |
10,0 |
|
- плавный рельеф |
100 |
10,0 |
200 или 500 |
10,0 |
200 или 500 |
10,0 |
|
- сложный рельеф |
50 |
5,0 |
50 или 100 |
5,0 |
100 или 200 |
10,0 |
|
Акватория порта: |
||||||
|
причалы и другие гидротехнические сооружения на расстоянии от стенки сооружения: - до 5 м |
10 |
1,0 |
20 |
1,0 |
20 или 40 |
5,0 |
|
- от 5 до 10 м |
10 |
2,5 |
20 |
2,5 |
20 или 40 |
5,0 |
|
- от 10 до 20 м |
10 |
5,0 |
20 |
5,0 |
20 или 40 |
10,0 |
|
- от 20 м и более |
10 |
10,0 |
20 |
10,0 |
20 или 40 |
10,0 |
|
Гавани и аванпорты: |
||||||
|
- плавный рельеф - сложный рельеф |
50 20 |
10,0 2,5 |
50 20 |
10,0 2,5 |
100 40 |
10,0 5,0 |
|
Котлованы под плавдоки и другие сооружения: |
||||||
|
- ложе |
10 |
5,0 |
20 |
5,0 |
40 |
10,0 |
|
- откосы из илов, глин, суглинков текучепластичных |
10 |
5,0 |
10 |
5,0 |
40 |
5,0 |
|
- откосы из пластичных илов, песков |
10 |
2,5 |
10 |
2,5 |
40 |
5,0 |
|
- откосы из твердых глин |
10 |
1,0 |
10 |
1,0 |
40 |
2,5 |
|
Рейды, отвалы грунта, другие открытые участки: |
||||||
|
плавный рельеф |
- |
- |
200 |
20,0 или 50,0 |
500 |
50,0 |
|
сложный рельеф |
|
- |
200 |
10,0 или 25,0 |
200 или 500 |
25,0 или 50,0 |
|
Примечания 1 На объектах, где разработки производились штанговыми или грейферными земснарядами, подробность промера может назначаться более высокой. 2 Контрольный промер продольными галсами рекомендуется дополнять промером поперечниками с интервалами между ними не более 500 м. 3 Допускается увеличение подробности и частоты промера при выполнении научно-исследовательских работ в соответствии с их программами и методиками. |
||||||
2.3.4 Измерение глубин должно производиться по всей ширине объекта и за его границами. Удлинение промерных галсов от верхних границ бровок следует принимать в соответствии с таблицей 3.
Таблица 3
Удлинение промерных галсов от верхних границ бровок объектов
|
Глубина прорези, м |
||||||||
|
1 - 5 |
6 |
8 |
10 |
12 |
14 |
16 |
18 |
|
|
Ил, глина, суглинок текучие |
60 |
90 |
120 |
150 |
180 |
210 |
240 |
270 |
|
Ил, глина, суглинок текучепластичные |
40 |
60 |
80 |
100 |
120 |
140 |
160 |
180 |
|
Ил с ракушей, ил пластичный, песок пылеватый, песок рыхлый |
30 |
50 |
50 |
50 |
60 |
70 |
70 |
80 |
|
Песок средней плотности, песок плотный, ракушечник заиленный |
25 |
30 |
30 |
30 |
40 |
40 |
50 |
50 |
|
Глина и мергель |
10 |
20 |
20 |
20 |
30 |
30 |
30 |
40 |
|
Примечание. В стесненных условиях удлинение промерного галса от верхней границы бровки может быть уменьшено до возможной границы, стесняющей забровочное пространство |
||||||||
2.4.1 Промерные работы необходимо выполнять в следующей последовательности:
- подготовка плановой основы промерных работ (создание опорных и съемочных геодезических сетей, разбивка магистралей, вынос в натуру осей сооружений и определение направлений промерных галсов, определение наличия базовых (береговых) контрольно-корректирующих станций DGPS при использовании спутниковых геодезических систем);
- организация и проведение уровенных наблюдений (установка постоянных и временных уровенных постов, их привязка и наблюдения за уровнем);
- подготовка промерного оборудования, проверка измерительных приборов, оборудования, программного обеспечения;
- выполнение промера;
- обработка материалов промера (составление планов промера, определение объемов заносимости и дноуглубительных работ и т.п.).
2.4.2 Для создания плановой и высотной основ промера в районах проведения промерных и дноуглубительных работ, при необходимости, дополнительно определяются пункты плановой высотной опорных геодезических сетей, создаваемых на основе Государственной геодезической сети (ГГС), методами триангуляции, полигонометрии, а также с использованием приемоиндикаторов спутниковых геодезических систем.
В качестве опорных пунктов в опорную геодезическую сеть должны включаться хорошо видимые с места проведения промера и дноуглубительных работ навигационные ориентиры (навигационные знаки, башни, маяки, шпили, трубы, купола церквей и т.п.).
2.4.3 При отсутствии в районе промерных работ пунктов Государственной геодезической сети пункты опорных геодезических сетей следует определять в местной системе координат, или же сети должны развиваться с помощью спутниковых геодезических систем.
2.4.4 Предельные погрешности определения положения границ прорези на местности не должны превышать значений, указанных в таблице 4.
Таблица 4
Предельная погрешность определения положения границ на местности
|
Объект |
Предельная погрешность, м |
|
|
Приемо-сдаточный |
Все объекты дноуглубительных работ |
±2 |
|
Подробный |
Каналы и фарватеры Акватории, отвалы грунтов, рейды |
±3 ±3 |
|
Контрольный |
Каналы, фарватеры, акватории Рейды, отвалы (свалки) грунтов Участки работы земснарядов (все объекты) |
±3 ±5 ±3 |
2.4.5 Средняя квадратическая погрешность определения планового положения точек промера глубин в масштабе планшета (плана) не должна превышать:
- для приемо-сдаточного и подробного промеров - 1,5 мм;
- для контрольного промера - 2,0 мм.
2.4.6 Пункты опорных и съемочных геодезических сетей, пикетов и точек магистрали на объектах постоянного проведения промерных и дноуглубительных работ следует закреплять постоянными знаками.
Для обеспечения планового положения объектов дноуглубления могут использоваться системы координат:
- государственные;
- условные (городские, местные);
При использовании спутниковой навигационной системы GPS координаты определяются в геодезической системе WGS-84.
2.4.7 Измеренные глубины должны приводиться к нулю глубин (на неприливных морях, где средняя величина прилива не превышает 50 см - к среднему многолетнему уровню моря или принятому нулю глубин; на приливных морях, где средняя величина прилива равна или превышает 50 см - к наинизшему теоретическому уровню). Приведение измеренных глубин к нулю обеспечивается введением поправок к глубинам по результатам наблюдений за колебанием уровня на постоянных или временных уровенных постах.
Нуль постоянных или временных уровенных постов в районах выполнения промера и дноуглубительных работ должен привязываться для данного моря к нулю глубин.
2.4.8 Количество и расположение уровенных постов, необходимых для обеспечения работы земснарядов и производства промера, зависят от протяженности участка работ, гидрографических и гидрометеорологических особенностей этого района.
При промере акваторий портов, гаваней и бухт, расположенных на открытом побережье на неприливных морях, можно ограничиться одним уровенным постом.
Для акваторий портов, расположенных в устьях рек, необходимо устанавливать не менее двух уровенных постов: один - в порту, другой - непосредственно в устье реки.
На морских каналах большой протяженности уроненные посты следует располагать по всей длине с интервалами, в общем случае, не реже чем 10 - 15 км.
Во всех случаях количество уровенных постов должно быть таким, чтобы в пределах зоны действия этих постов расхождение мгновенных уровней не превышало половины точности измерения глубины.
2.4.9 При выполнении промера и дноуглубительных работ погрешность передачи нуля глубин от постоянных уровенных постов на временные не должна превышать 5 см.
Передачу отметки глубин от репера или с постоянного уровенного поста на временный необходимо производить:
- одиночными ходами нивелированием IV класса от ближайшего репера высотной опорной геодезической сети;
- двойными висячими ходами нивелированием IV класса или техническим нивелированием от ближайших уровенных постов.
2.4.10 На морях с приливами в районе дноуглубительных работ должны действовать одновременно постоянный и временный уровенные посты.
При действии нескольких уровенных постов в районе дноуглубительных и промерных работ положение мгновенного уровня должно определяться как средневзвешенная величина по формуле:
Ay = SAiDi/SDi, (1)
где Ау - превышение мгновенного уровня над нулем глубин в районе работ, см;
Аi - превышение мгновенного уровня над нулем глубин, определяемое по показаниям рейки на уровенном посту, см;
Di - удаление места работ от места нахождения уровенного поста, снимаемое по карте (плану), км.
2.4.11 Положение нулей водомерных реек, радиореек, самописцев уровня моря постоянных уровенных постов, находящихся в зоне промеров или работы земснарядов, должно определяться нивелированием относительно основного репера не менее одного раза в год. Нивелировку следует повторять в каждом случае сомнения в правильности положения нуля рейки.
2.4.12 Рейки временных уровенных постов нивелируют не менее двух раз за период производства дноуглубительных или промерных работ на участке, а также после шторма или смещения рейки.
2.4.13 Проектирование уровенных наблюдений, выбор места и типа уровенных постов, их установка, производство наблюдений над уровнем, а также обработка наблюдений для вывода нуля глубин и приведение глубин к уровню детально изложены в требованиях Правил гидрографической службы ПГС 35 и ПГС 4 часть 2.
2.5.1 Рабочими документами при промере являются:
- рабочие планшеты;
- журналы промеров и других съемок (в т.ч. определения пунктов геодезических сетей, нивелирования, уровенных наблюдений и др.);
- накопители информации, эхограммы.
2.5.2 Наблюдения и измерения при выполнении промерных работ должны производиться и фиксироваться в рабочих документах по единому времени.
2.5.3 Все записи должны быть четкими, полными и понятными для дальнейшей обработки и выполняться простым карандашом.
Стирать записи в журналах и на лентах самописцев запрещается. Неверная запись должна зачеркиваться тонкой линией так, чтобы можно было прочесть зачеркнутое. Верную запись делают над зачеркнутой и заверяют подписью лица, сделавшего исправления.
2.5.4 Нумерация всех взаимосвязанных документов должна быть полностью согласована. Названия и обозначения одних и тех же объектов, их сокращения должны быть одинаковы во всех документах.
Листы всех журналов должны быть пронумерованы, а журналы подписаны составившими их лицами с указанием должностей и фамилий.
2.5.5 Журналы промера при измерении глубин эхолотом должны содержать:
- наименование объекта;
- номер пикета и галса;
- дату и время проведения промера (начало и окончание) для каждого галса;
- поправки эхолота в начале и в конце работы и при каждом изменении (если они вводятся непосредственно во время съемки) с указанием времени их определения и ввода;
- наименования опорных пунктов и значения измеренных направлений или углов;
- направление движения промерного судна относительно бровок объекта;
- высоты уровней и поправки за колебания уровня.
2.5.6 При оформлении промера должна составляться этикетка, содержащая следующие данные:
- наименование объекта;
- вид промера;
- номер информационного носителя;
- дату;
- номер пикета и промерного галса;
- время начала и окончания измерений на галсе;
- значение поправки за колебания уровня;
- значение общей поправки эхолота;
- исправленные глубины;
- номер полевого журнала по определению плановой или высотной основы промера;
- подпись должностного лица, выполнившего промер и оформившего этикетку.
2.5.7 При выполнении промера глубин лотом (наметкой) в полевом журнале дополнительно к данным, приведенным в 2.5.6, должны записываться измеренные глубины и поправки лота (наметки).
2.5.8 Планы промеров в зависимости от вида промеров должны составляться в масштабах;
- приемо-сдаточный - 1:500, 1:1000;
- подробный:
а) для каналов, фарватеров и акваторий портов - 1:1000, 1:2000;
б) для рейдов и отвалов грунтов - 1:5000, 1:10000;
- контрольный - 1:2000, 1:5000.
Допускается составление планов промеров каналов, фарватеров, судовых ходов, рейдов, акваторий портов, подходов к местам отвалов (свалок) и на отвалах (свалках) грунта в разных масштабах:
- вертикальный - по длине галса - 1:50; 1:100;
- горизонтальный - по длине участков - 1:500; 1:1000.
При контроле качества работы земснарядов планы промеров составляются в масштабах, аналогичных масштабам для приемо-сдаточного промера.
2.5.9 При выполнении промера, составлении и ведении рабочей документации основные элементы трассы и поперечного сечения канала следует принимать в соответствии с приложением А.
2.5.10 Используемые приборы для определения плановой и высотной основ промера и измерения глубин должны иметь сертификат и действующее свидетельство об их проверке.
3.1.1 Создание плановых и высотных основ промера заключается в дополнительном сгущении (при необходимости) существующих государственных геодезических сетей (ГГС) пунктами опорной геодезической сети различными методами триангуляции и полигонометрии, привязки уровневых постов к государственной (условной) нивелировочной сети, организации наблюдений за колебанием уровня.
3.1.2 Плановой основой промера должны служить:
- пункты Государственной геодезической сети (ГГС);
- пункты аналитических сетей (АС);
- пункты высотной и съемочной геодезических сетей.
Сгущение ГГС пунктами АС осуществляется для обеспечения промера в такой мере, в которой это необходимо для определения места промерного судна с требуемой точностью (1,5 мм в масштабе планшета) и выноса в натуру положения судоходных объектов морских путей.
3.1.3 Плотность пунктов опорной и съемочной геодезических сетей должна составлять на незастроенной территории на 1 км2 не менее 4, 12, 16 пунктов соответственно для съемок в масштабе 1:5000, 1:2000 и 1:1000.
Для промеров в масштабе 1:500 плотность пунктов устанавливается в программе промера.
3.1.4 Опорная геодезическая сеть строится на основе пунктов Государственной геодезической сети.
3.1.5 Плановое положение пунктов опорной геодезической сети следует определять методами триангуляции, полигонометрии, а также на основе использования спутниковой геодезической аппаратуры.
3.1.6 Закрепление пунктов опорной геодезической сети на местности должно осуществляться долговременными центрами.
Постоянство положения пунктов опорной геодезической сети на воде должно систематически проверяться путем повторного определения их координат.
3.1.7 Антенны наземных станций стационарных радионавигационных систем, береговые средства навигационного оборудования должны определяться как пункты опорной геодезической сети.
3.2.1 Опорные геодезические сети должны развиваться путем прокладывания вдоль берега цепочек триангуляции или полигонометрических ходов с соблюдением требований, предъявляемых к триангуляции 1 и 2 разрядов и полигонометрии 4 класса, 1 и 2 разрядов.
3.2.2 При развитии опорной сети методом триангуляции необходимо применять следующие типовые триангуляционные построения:
- цепь треугольников (между двумя базисными сторонами или базисной стороной и пунктом Государственной геодезической сети);
- сплошная сеть (не менее трех пунктов Государственной геодезической сети и не менее двух базисных сторон);
- вставка (система треугольников, заполняющих угол между двумя базисными сторонами).
В самостоятельных сетях триангуляции, не опирающихся на пункты высшего класса и разряда, следует измерять не менее двух базисных сторон.
В качестве базисных сторон в триангуляции 1 и 2 разрядов используются стороны полигонометрии 3 - 4 классов (с соблюдением требований по измерению линий для полигонометрии 4 класса и 1 разряда).
Углы в триангуляции должны измеряться круговыми приемами теодолитами типа 3Т2КП, 3Т5КП или равноточными им.
Требования по построению опорных геодезических сетей методом триангуляции 1 и 2 разрядов приведены в таблице 5.
Таблица 5
Требования по построению опорных геодезических сетей методом триангуляции
|
1 разряд |
2 разряд |
|
|
Длина стороны треугольника, км |
0,5 - 5 |
0,25 - 3 |
|
Число измеренных базисных сторон в геодезических сетях, не опирающихся на пункты высшего класса или разряда |
2 |
2 |
|
Относительная погрешность, не более: базисной выходной стороны |
1/50000 |
1/20000 |
|
определяемой стороны сети в наиболее слабом месте |
1/20000 |
1/10000 |
|
Наименьшее значение угла в треугольнике между направлениями данного класса (разряда), градусы: |
|
|
|
в сплошной сети |
20 |
20 |
|
в связующей цепи треугольников |
30 |
30 |
|
во вставке |
30 |
20 |
|
Предельная невязка в треугольнике, с |
20 |
40 |
|
Средняя квадратическая погрешность измеренного угла, с, не более |
5 |
10 |
|
Длина базисной стороны, км, не менее |
1 |
1 |
|
Число треугольников между базисными сторонами или между исходным пунктом и базисной стороной, не более |
10 |
10 |
|
Количество приемов при измерении длин базисных сторон светодальномерами или электронными тахеометрами |
2 |
2 |
|
Число круговых приемов при измерении направлений на пунктах теодолитами типа: |
|
|
|
3Т2КП или равноточными |
3 |
2 |
|
3Т5КП или равноточными |
- |
3 |
|
Расхождения между результатами наблюдений направления на начальный предмет в начале и в конце полуприема для теодолитов типа, не более: |
|
|
|
3Т2КП или равноточных, с |
8 |
8 |
|
3Т5КП или равноточных, мин. |
- |
0,2 |
|
Расхождения между значениями направлений в отдельных приемах (полуприемах), приведенных к общему нулю теодолитом типа, не более: |
|
|
|
3Т2КП или равноточных, с |
8 |
8 |
|
3Т5КП или равноточных, мин. |
- |
0,2 |
|
Погрешность центрирования теодолита над центром пункта, мм, не более |
2 |
2 |
|
Примечание. При большом числе горизонтальных направлений одного разряда или при невозможности наблюдения всех направлений в одной группе, измерения на пункте должны производиться в отдельных группах с включением в каждую не более семи направлений. Выбор на пункте общего начального направления для всех групп обязателен. |
||
3.2.3 При развитии опорных геодезических сетей методом полигонометрии 4 класса, 1 и 2 разрядов должны прокладываться полигонометрические ходы в виде отдельного хода, опирающегося на два исходных пункта и два твердых дирекционных угла.
Допускается:
- приложение хода полигонометрии 1 и 2 разрядов, опирающегося на два исходных пункта, без угловой привязки к исходному дирекционному углу на одном из них;
- приложение замкнутого хода полигонометрии 1 и 2 разрядов, опирающегося на один исходный пункт и одно исходное дирекционное направление, при условии передачи или измерения с точек хода дирекционного угла с погрешностью не более 15 секунд в слабом месте (середине хода).
Углы в полигонометрии должны измеряться теодолитами типа 3Т2КП, 3Т5КП, TI, T1A или равноточными им способами измерения отдельного угла или способом круговых приемов.
Способ круговых приемов следует применять, когда число направлений на пункте более двух.
При измерении способом отдельного угла алидаду следует вращать только в одном направлении (по часовой или против часовой стрелки).
При измерении круговыми приемами в первом полуприеме алидаду следует вращать по часовой стрелке, во втором - против.
Длины сторон полигонометрии должны измеряться светодальномерами, электронными тахеометрами и другими приборами, в т.ч. инварными проволоками.
Требования к построению опорных геодезических сетей методом полигонометрии 4 класса, 1 и 2 разрядов приведены в таблице 6.
Таблица 6
Требования по построению опорных геодезических сетей методом полигонометрии
|
4 класс |
1 разряд |
2 разряд |
|
|
Предельные длины отдельных полигонометрических ходов при измерении линий светодальномерами и (или) электронными тахеометрами в зависимости от числа сторон в ходе (n), км |
8 при n = 30 10 при n = 20 12 при n = 15 15 при n = 10 20 при n = 6 |
10 при n = 50 12 при n = 40 15 при n = 25 20 при n = 15 25 при n = 10 |
6 при n = 30 8 при n = 20 10 при n = 10 12 при n = 8 14 при n = 6 |
|
Предельная длина хода при измерении длин линий другими методами, км |
15 |
5 |
3 |
|
Предельные длины ходов, км, между: исходным пунктом и узловой точкой |
|
|
|
|
2/3 длины отдельного хода, определяемой в зависимости от числа сторон в ходе 1/2, то же |
|||
|
узловыми точками |
При уменьшении числа сторон хода соответственно на 2/3 и 1/2 |
||
|
Длины сторон хода, км: |
|
|
|
|
наименьшая |
0,25 |
0,12 |
0,08 |
|
наибольшая |
2,00 |
0,80 |
0,35 |
|
Средняя квадратическая погрешность измеренного угла (по невязкам в ходах), с, на более |
3 |
5 |
10 |
|
Угловая невязка в ходах или полигонах, с, не более (n - число углов в ходе или полигоне) |
5Ön |
10Ön |
20Ön |
|
Предельная относительная погрешность хода |
1/25000 |
1/10000 |
1/5000 |
|
Периметр полигона, образованного полигонометрическими ходами в свободной сети, км, не более |
30 |
15 |
9 |
|
Количество приемов при измерении углов способом круговых приемов по трехштативной системе теодолитами типа: |
|
|
|
|
ТI, Т1А или равноточными |
4 |
2 |
1 |
|
3Т2КП или равноточными |
6 |
3 |
2 |
|
3Т5КП или равноточными |
- |
- |
3 |
|
Количество приемов при измерении длин линий светодальномерами и (или) электронными тахеометрами |
3 |
2 |
1 |
|
Расхождения между результатами наблюдений направления на начальный предмет в начале и в конце полуприема, не более: |
|
|
|
|
3Т2КП или равноточные, с |
8 |
8 |
8 |
|
3Т5КП или равноточные, мин |
+ |
- |
0,2 |
|
Расхождения между значениями направлений в отдельных приемах (полуприемах), приведенных к общему нулю, не более: |
|
|
|
|
3Т2КП или равноточные, с |
8 |
8 |
8 |
|
3Т5КП или равноточные, мин |
- |
- |
0,2 |
|
Погрешность центрирования инструмента над центром пункта, мм, не более |
2 |
2 |
2 |
Примечания
1. В полигонометрической сети следует предусматривать минимальное число порядков, ограничиваясь, как правило, полигонометрией 4 класса и 1 разряда.
2. При измерении длин линий светодальномерами и (или) электронными тахеометрами предельные длины сторон не устанавливаются.
3. В ходах полигонометрии 1 разряда длиной до 1 км и 2 разряда длиной до 0,5 км допускается абсолютная линейная невязка 10 см.
4. Измерение углов на пунктах полигонометрии при двух направлениях производится без замыкания горизонта.
3.2.4 Съемочная геодезическая сеть строится в развитие опорной геодезической сети и предназначена для съемок береговой полосы района промера и дноуглубления, разбивки магистралей, определения положения теодолитных постов, (ТП) и точек, закрепляющих на местности промерные пикеты и границы прорези дноуглубления, сооружений и т.д.
На территории площадью до 1 км2 возможно построение самостоятельной съемочной геодезической сети, при этом не менее, чем пятая часть пунктов (по два или по три подряд) закрепляется постоянными знаками типа «5 г.р.» и «6 г.р.»
Планово-высотное положение пунктов съемочной геодезической сети должно определяться проложением теодолитных и мензульных ходов, развитием триангуляции, на основе использования спутниковой геодезической аппаратуры (приемников GPS и др.), прямых, обратных и комбинированных засечек.
Средние погрешности положения пунктов съемочной геодезической сети (в т.ч. плановых опорных точек) относительно опорной сети в масштабе плана не должны превышать 0,1 мм для открытой местности и на застроенной территории, а на местности, закрытой древесной и кустарниковой растительностью - 0,15 мм.
Предельная погрешность положения пунктов съемочной геодезической сети относительно пунктов опорной геодезической сети не должна превышать 0,3 мм в масштабе плана.
3.2.4.1 Теодолитные ходы прокладываются в виде отдельных ходов или систем ходов с узловыми точками.
Допускается проложение висячих ходов с числом сторон не более трех и длиной 300 м для съемки в масштабе 1:2000 и 150 м - для съемок в масштабах 1:1000 и 1:500 на незастроенных территориях.
При развитии съемочных геодезических сетей полярным способом с применением электронных тахеометров длины полярных направлений допускается увеличивать до 1000 м. Средняя квадратическая погрешность измерения горизонтальных углов не должна превышать 15².
При развитии съемочных геодезических сетей предельные длины теодолитных ходов и их предельные абсолютные невязки следует принимать в соответствии с таблицей 7.
Таблица 7
Абсолютные невязки
|
Предельная длина теодолитного хода, км |
Предельная абсолютная невязка теодолитного хода, м |
|||
|
между исходными геодезическими пунктами |
между исходными пунктами и узловыми точками (между узловыми точками) |
застроенная территория, открытая местность на незастроенной территории |
незастроенная территория, закрытая древесиной и кустарником |
|
|
1:5000 |
6,0 |
4,2 |
2,0 |
3,0 |
|
1:2000 |
3,0 |
2,1 |
1,0 |
1,5 |
|
1:1000 |
1,8 |
1,3 |
0,6 |
0,9 |
|
1:500 |
0,9 |
0,6 |
0,3 |
0,4 |
|
Примечание. При измерении сторон теодолитного хода светодальномерами и электронными тахеометрами предельная длина хода может быть увеличена в 1,3 раза, при этом предельные длины сторон хода не устанавливаются, а количество сторон в ходе не должно превышать: - при съемке в масштабах 1:5000 и 1:2000 в открытой местности - 50 м и в закрытой - 100 м; - при съемке в масштабе 1:1000 - 40 м и 80 м соответственно характеристике местности, а при съемке в масштабе 1:500 - 20 м. |
||||
Допустимые невязки в теодолитных ходах не должны превышать:
- для угловых измерений - I¢Ön, где n - число углов в ходе;
- для линейных измерений - 1/2000.
Измерение углов в теодолитных ходах следует производить теодолитами типа 3Т5КП (или равноточными) одним приемом с перестановкой лимба между полуприемами для теодолитов с двусторонней системой отсчета на величину, близкую к 90°, для теодолитов с односторонней системой отсчета - в пределах 5°.
Расхождения значений углов между полуприемами не должны превышать 45².
Измерение длин линий в теодолитных ходах следует производить: светодальномерами (типа 2СТ-5, 2СТ-10 «Блеск-2» и другими) и электронными тахеометрами (типа ТАМЗ, SЕТ500 и др.) двумя приемами в одном направлении, оптическими дальномерами, стальными лентами и рулетками в прямом и обратном направлениях (расхождения между прямым и обратным измерениями не должны превышать 1/2000).
В длины линий, измеренных стальными лентами и рулетками, следует вводить поправку за температуру, если разность температуры воздуха при компарировании и измерении линий превышает 8 °С.
Поправки за компарирование вводятся, если длина мерного прибора отличается от номинальной более чем на 1/10000.
3.2.4.2 Взамен теодолитных ходов допускается построение треугольников триангуляции между исходными базисами или пунктами опорной геодезической сети в количестве:
- 17 - для съемки в масштабе 1:2000;
- 15 - для съемки в масштабе 1:1000;
- 10 - для съемки в масштабе 1:500.
Длина цепи треугольников триангуляции не должна превышать допустимой длины теодолитного хода для соответствующего масштаба съемки согласно таблице 7.
Базисы триангуляции следует измерять с относительной средней квадратической погрешностью не более 1/5000.
Углы в треугольниках должны быть не менее 20°, длины сторон - не менее 150 м. Невязки в треугольниках не должны превышать 1,5¢.
3.2.4.3 При определении пунктов съемочных геодезических сетей методом засечек должны выполняться следующие требования:
- прямые засечки следует выполнять не менее чем с трех пунктов опорной геодезической сети так, чтобы углы между смежными направлениями при определяемой точке были не менее 30° и не более 150°;
- обратные засечки следует выполнять не менее чем по четырем пунктам опорной геодезической сети так, чтобы определяемая точка не находилась вблизи окружности, проходящей через три исходных пункта;
- комбинированные засечки должны строиться сочетанием прямых и обратных засечек с использованием не менее трех исходных пунктов.
3.2.4.4 Высотная опорная сеть должна создаваться для нивелирования и привязки уровенных постов. Развитие высотной опорной сети следует производить нивелированием IV класса от пунктов государственной нивелирной сети.
3.2.4.5 Требования по нивелированию приведены в таблице 8.
Таблица 8
Требования по нивелированию IV класса
|
Величина |
|
|
Расстояние между знаками (марками, реперами) в нивелирных ходах, км, не более: |
|
|
на застроенных территориях |
0,3 |
|
на незастроенных территориях |
2,0 |
|
Длина визирного луча, м, не более |
150 |
|
Неравенство расстояний от нивелира до реек на станции, м, не более |
5 (7) |
|
Накопление величин неравенств расстояний в секции между соседними марками или реперами, м, не более |
10 (12) |
|
Высота визирного луча над поверхностью земли (ее покрытием или препятствием), м, не менее |
0,2 |
|
Разность превышений, полученная на станции, мм, не более |
5 |
|
Предельная невязка в ходах, мм, при среднем числе станций на 1 км хода: |
- |
|
- не более 15 - более 15 |
20Ön 5Ön |
|
Обозначения: L - длина хода в км, n - число штативов в ходе. Примечание. В скобках даны значения при использовании нивелиров с самоустанавливающейся линией визирования |
|
3.2.4.6 При работе с автоматизированными гидрографическими комплексами и наличием базовых станций DGPS нет необходимости в создании опорной геодезической сети. При установке опорных базовых станций DGPS координаты их должны быть определены с использованием закоординированных пунктов. Координаты базовой станции DGPS должны быть определены с точностью не более 0,1 м.
3.3.1 Промер глубин на объектах производится промерными галсами (ПГ) по постоянным пикетам (ПК), закрепленным на местности с необходимой точностью.
Пикетам присваиваются постоянные номера.
Нумерация пикетов принимается сквозной от нулевого до концевого пикета, независимо от количества канала.
Промерные галсы на каналах и фарватерах должны прокладываться нормально оси канала, фарватера или судоходного пути через равные интервалы.
Нулевой пикет, конечные точки канала и точки пересечения осей смежных колен канала (фарватера) должны иметь координаты.
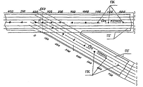
3.3.2 На каналах, состоящих из нескольких колен, в точке пересечения осей колен должны прокладываться два дополнительных галса перпендикулярно смежным осям так, чтобы длина непокрытого промером поля не превышала расстояния между галсами. Дополнительные галсы, проходящие через пересечение колен, должны иметь нумерацию основного пикета плюс расстояние до дополнительного галса (рисунок 1).
ПСЗ - передний створный знак; ЗСЗ - задний створный знак; К - точка пересечения колен канала
Рисунок 1 - Схема разбивки пикетов (ПК) и расположение промерных галсов (ПГ) на канале, имеющем несколько колен.
3.3.3 На каналах, имеющих разветвление, пикеты и промерные галсы должны разбиваться самостоятельно для каждого канала. У примыкающего канала галсы разбивают от точки пересечения осей каналов. На участке разветвления каналов промерные галсы обоих каналов должны проходить по всей ширине разрабатываемой прорези с заходом за откосы каналов на расстояния, указанные в таблице 3 (рисунок 2).
К - точка пересечения осей каналов
Рисунок 2 - Схема разбивки пикетов и расположения промерных галсов на канале с разветвлением
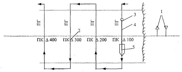
3.3.4 Каналы, состоящие из двух частей (морской и речной; внешней и внутренней), могут разделяться установленной границей - нулевым пикетом.
Каждая часть канала может иметь самостоятельную разбивку и нумерацию пикетов. В речной (внутренней) части канала пикеты обозначают со знаком «-», а интервалы между пикетами могут быть приняты отличными от интервалов в морской (внешней) части канала (рисунок 3).
Рисунок 3 - Схема разбивки пикетов и расположения промерных галсов на канале, состоящем из двух частей:
а) морской и речной; б) внешней и внутренней
3.3.5 В речной части морского канала нумерацию пикетов ведут вверх по течению от точки раздела морской и речной части.
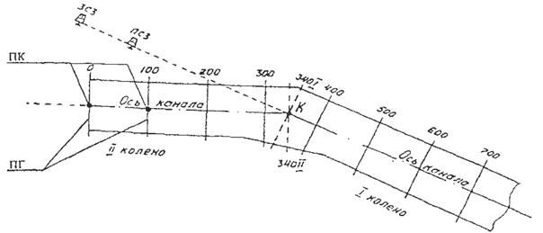
Речная часть может иметь чередование участков с навигационными створами и без них. На участках без навигационных створов разбивку пикетов и направление промерных галсов производят по береговой магистрали перпендикулярно судовому фарватеру (рисунок 4, а).
На участках с навигационными створами разбивку пикетов и направление промерных галсов производят перпендикулярно оси створа с привязкой начального и конечного галсов к переднему створному знаку (рисунок 4, б).
При повороте участка канала и переходе с одного створа на другой промерный галс, проходящий через точку пересечения створов, принимают за основной и от него ведут разбивку пикетов на обоих створах с сохранением принципа нумерации. Начальный (конечный) пикет на пересечении привязывают к опорной сети путем измерения расстояния (Д0 или Дк) до ближнего переднего створного знака по оси створа.
Рисунок 4 - Схема разбивки пикетов и расположения промерных галсов на участках речной части канала:
а) на участке без навигационного створа и на прямолинейном участке со створом;
б) на участке с двумя смежными коленами.
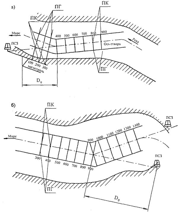
3.3.6 При площадной съемке (промер многолучевым эхолотом) галсы могут быть расположены вдоль канала параллельно оси.
Нумерация продольных промерных галсов производится от оси канала в сторону бровок (рисунок 5).
Рисунок 5 - Схема разбивки продольных промерных галсов и нумерация пикетов
3.3.7 Разбивка пикетов на акваториях портов должна производиться по береговой магистрали, проложенной по контуру сооружений (причалов, молов и т.д.).
3.3.7.1 За начало пикетов должны приниматься условные точки, расположенные на вершинах углов волноломов или причальных сооружений с учетом сохранения мест постоянных профилей для последующих промеров.
Нулевые и поворотные точки должны привязываться к береговой магистрали.
3.3.7.2 На акваториях у сооружений с продольным прямолинейным направлением или имеющих незначительный излом линий разбивка пикетов должна производиться от условной точки через равные интервалы по всей длине.
В местах излома линий должны разбиваться дополнительные пикеты со сквозной нумерацией.
Расположение промерных галсов на акваториях портов должна производиться перпендикулярно причальной линии и привязываться к пикетам. На местах излома линий должны предусматриваться дополнительные галсы, проходящие через вершину угла и перпендикулярные линиям причала, сооружения (рисунок 6).
Рисунок 6 - Схема расположения промерных галсов и нумерация пикетов у причалов с продольным изломанным направлением.
3.3.7.3 У причальных сооружений с резко изломанной конфигурацией за условную точку разбивки пикетов должна приниматься вершина углов смежных причалов. Разбивка и нумерация пикетов должна производиться самостоятельно для каждой стороны причала от нулевой (условной) точки. Промерные галсы должны располагаться перпендикулярно линии причалов и проходить по пикетам. У причалов с изломом в месте их излома должны назначаться дополнительные галсы (рисунок 7).
Рисунок 7 - Схема пикетов и расположения промерных галсов у причальных сооружений с резким изломом
3.3.7.4 У причалов пирсов или молов пикеты должны разбиваться с трех сторон перпендикулярно кордону. Нумерация пикетов должна производиться от головы мола для каждой стороны самостоятельно (рисунок 8).
Промерные галсы должны располагаться нормально к линии причалов и проходить по пикетам, а в головной части пирса - веером, расходящимися под углом 22°30¢.
Рисунок 8 - Схема пикетов и расположения промерных галсов у причалов пирса или мола
3.3.7.5 При общем промере акватории или отдельных районов порта разбивка пикетов должна производиться по магистрали, проложенной по контуру гидротехнических сооружений. Промерные галсы должны располагаться перпендикулярно наибольшему прямолинейному направлению сооружений и проходить через пикеты.
У гидротехнических сооружений дополнительно к основным галсам, проходящим через всю гавань, должны располагаться дополнительные галсы перпендикулярно линии кордона длиной, обеспечивающей перекрытие основных галсов, но не менее 50 м (рисунок 9).
Рисунок 9 - Схема разбивки пикетов и расположения промерных галсов на акватории порта
3.3.8 Постоянные объекты дноуглубительных и примерных работ должны иметь заранее подготовленные документы по определению планового положения пикетов и расположения промерных галсов:
- схема разбивки пикетов и расположения промерных галсов;
- таблица углов.
3.3.8.1 Схема разбивки пикетов и расположения промерных галсов является обязательным техническим документом, содержащим наиболее оптимальные решения в выборе подробности промера.
Схема разбивки пикетов и расположения промерных галсов должна составляться на каждый объект промерных и дноуглубительных работ с указанием:
- названия гаваней, молов, нумерации причалов и других подробностей;
- привязки нулевого пикета;
- нумерации пикетов и направления промерных галсов относительно основной линии разбивки (от оси канала, магистрали и т.п.);
- нуля глубин и его отметки относительно контрольного репера и Балтийской системы высот;
- местоположения контрольных и рабочих реек уровенных постов. Схемы разбивки пикетов и расположения промерных галсов должны составляться в масштабах 1:2000 или 1:5000. На схеме канала (фарватера) галсы могут быть сжаты по горизонтали с интервалами между ними не менее 1 см.
Схемы составляются промерной гидрографической партией и подписываются начальником партии (канала), согласовываются капитаном порта и утверждаются начальником Морской администрации порта, Управления морских путей.
3.3.8.2 Таблицы углов составляются для определения на оси линейного створа мест нахождения пикетов, промерных судов и земснарядов при производстве промерных и дноуглубительных работ, а также могут быть использованы для определения места установки плавучих предостерегательных знаков на каналах и фарватерах.
Определение производится по углу и створу с помощью секстана.
Порядок работы при составлении таблиц углов, формулы и пример вычислений даны в приложении Б.
Таблицы состоят из углов между направлением на определенный пункт и направлением на створ. Пункты выбираются из числа наиболее близко расположенных к месту работы и хорошо видимых с моря предметов. Предпочтение отдается пункту, у которого угол между створом, наблюдателем и этим пунктом измеряется быстрее. Углы выписываются в таблицу в пределах 30° - 120°.
Углы должны вычисляться аналитическим способом по координатам опорных пунктов, створных знаков, нуля канала или точки пересечения колен.
Контрольные вычисления выполняют для километровых пикетов путем сравнения вычисленного угла (а) и контрольного угла, полученного из разности дирекционных направлений на пункт и створ (Т1 - Т2). Расхождение углов не должно превышать ±5¢.
Таблицы углов проверяются непосредственно натурными наблюдениями на местности. Проверку производят на оси створа на отдельно выбранных пикетах.
Положение пикета находят с помощью секстана по углу и створу, а затем это же место определяют прямой или обратной засечкой. Расхождение в определениях не должно превышать среднюю квадратическую ошибку, вычисленную по формуле (для створа и прямой засечки с берега).
3.3.8.3 При использовании автоматизированных гидрографических комплексов необходимо программное обеспечение для операторской станции или бортового компьютера по планированию промеров (задание береговой черты, координат прорезей, направления и количества промерных галсов), сбору данных от технических средств навигации и вычислению по ним текущих координат места судна в реальном времени с предварительной обработкой, фильтрацией, редактированием и прокладкой полученных данных.
Программа должна обеспечивать определение положения участка промеров, оториентированного по сторонам света и нанесенного по соответствующим координатам, расположение пикетов на участке, возможность установки периода определения координат, установку допускаемой точности промера.
3.4.1 Уровенные посты должны устанавливаться в местах, где колебания уровня свободны от местных искажений и соответствуют колебаниям уровня моря на возможно большей площади водной поверхности.
Не рекомендуется устанавливать уровенные посты в устьях небольших речек или бухтах типа лагун с целью обеспечения промерных работ уровенными наблюдениями в прилежащей части моря.
При установке водомерных реек уровенного поста необходимо учитывать следующие требования:
- рейка в вертикальном положении должна быть прочно прикреплена к надежному основанию (вбитые сваи, причальная стенка, дамбы, молы и т.п.);
- рейка должна иметь такую длину и должна быть так установлена, чтобы ее нижний конец не оголялся при самых низких уровнях, а верхний не покрывался водой при самых больших подъемах воды;
- для снятия отсчетов в любое время суток при любой погоде, а также при нивелировании к рейке должен быть обеспечен удобный доступ.
3.4.2 Нуль рейки постоянного уровенного поста должен привязываться к нулю глубин данного района.
Привязка нуля рейки постоянного уровенного поста к нулю глубин должна производиться путем расчета превышения нуля рейки над нулем глубин по формуле
Ак = Нр - Нг, (2)
где Ак - превышение нуля рейки над нулем глубин, см;
Нр - отметка нуля рейки поста, см;
Нг - отметка нуля глубин, см.
Отметка нуля рейки должна определяться нивелированием IV класса путем проложения двойного висячего хода от пункта опорной геодезической сети (приложение В).
Предельная невязка в ходе не должна превышать величины 20ÖL (L - длина хода в км, не более 3 км).
Превышение мгновенного уровня воды над нулем глубин должно определяться по формуле:
DН = Ак - Ор, (3)
где DН - превышение мгновенного уровня воды над нулем глубин, см;
Ор - отсчет по рейке, см.
3.4.3 Временные уровенные посты должны устанавливаться в районах дноуглубительных и промерных работ при наличии приливо-отливных и сгонно-нагонных явлений, обуславливающих различную высоту уровня воды в месте нахождения постоянных уровенных постов и в районе промерных и дноуглубительных работ, а также при отсутствии постоянной радиосвязи с уровенными постами.
Временные уровенные посты должны устанавливаться до начала работ и обеспечивать надежные показания уровня в течение навигации или всего периода дноуглубительных и промерных работ.
Рейка должна быть прочно закреплена в вертикальном положении, нуль рейки должен находиться возможно ближе к отметке нуля глубин.
Отклонение нуля рейки от нуля глубин допускается не более ±2 см.
Удаленность временного уровенного поста от постоянного не должна превышать 15 км.
Нуль рейки временного поста должен привязываться к нулю рейки постоянного уровенного поста с помощью водного нивелирования, т.е. путем сличения одновременных отсчетов уровней по рейкам временного и постоянного уровенных постов.
Синхронные отсчеты по рейкам постоянного и временного уровенных постов должны производиться одновременно не реже четырех раз в сутки в течение 15 дней. Расхождение моментов отсчетов по рейкам не должно превышать 2 минут.
Отсчет по рейке временного уровенного поста относительно одного постоянного уровенного поста, соответствующий нулю глубин, следует определять по формуле:
Ав = Ап + (в - п), (4)
где Ав и Ап - отсчеты по рейкам временного и постоянного постов, соответствующие нулю глубин, см;
в и п - показания отсчетов по рейкам временного и постоянного постов, см.
При наличии двух постоянных уровенных постов отсчет по рейке временного уровенного поста следует определять по формуле:
(5)
где
и
-
отсчеты по рейке временного поста, соответствующие нулю глубин, определенные по
первому и второму постоянным постам, см;
D1 и D2 - кратчайшие расстояния от временного поста до первого и второго постоянных постов, снимаемые с карты, км.
3.4.4 Требования, предъявляемые к установке и методам нивелирования уровенных реек, распространяются также на радиорейки и мареографы.
3.4.5 Передача отметки уровня моря с помощью автоматической радиорейки осуществляется посредством установки в районе наблюдений уровня комплекта автоматических приборов, измеряющих колебания уровня моря с одновременной передачей отсчета по рейке в эфир.
При установке радиореек должны выполняться следующие работы:
- определяется необходимое количество реек и место их установки;
- производится нивелировка и привязка нуля рейки к принятому нулю глубин;
- проверяется правильность установки датчика;
- контролируются показания радиорейки.
Установка и регулировка радиорейки должны обеспечивать точность и соответствие передаваемых отсчетов положению уровня относительно принятого нуля глубин (нуля порта).
3.5.1 Наблюдения за колебаниями уровня должны производиться:
- на морях без приливов - через каждые 4 часа; во время сгонов и нагонов: при изменении уровня менее 10 см за час - через каждый час; при изменении уровня более 10 см за час - через каждые 30 мин;
- на морях с приливами: при величине прилива менее 1 м - через каждый час; при величине прилива 1 м и более - через промежутки времени, определяемые по формуле:
tН = dТ/Н, (6)
где tН - промежуток времени, ч;
d - точность измерения глубины, см;
Т - промежуток времени между наступлениями полных или малых вод, ч;
Н - величина прилива, см.
3.5.2 Наблюдения уровня должны производиться в течение всего периода дноуглубительных и промерных работ.
При снятии отсчетов по рейке запрещается ее касание.
Запрещается производить исправления повреждений рейки или переносить временный уровенный пост членами экипажа земснарядов.
Отсчеты уровня по рейке должны производиться с точностью ±2 см, отсчеты моментов времени - с точностью ±3 мин. Все отсчеты следует производить троекратно с записью осредненного значения в журналы промеров.
Порядок записи в журнале и обработка отсчетов приведены в приложении Г.
3.5.3 При невозможности установки временного уровенного поста вблизи района работы земснаряда должна обеспечиваться передача информации об уровнях воды на земснаряд по радиотелефонной связи через промежутки времени, указанные в п. 3.5.1.
3.5.4 Уровенные наблюдения на земснаряде ведутся с целью обеспечения круглосуточной информацией об уровнях в период работы земснаряда.
Выбор способа получения информации должен определяться при разработке плана организации дноуглубительных работ, исходя из местных условий и технических возможностей.
Все уровенные отсчеты должны фиксироваться в рабочем журнале земснаряда.
В районе работ земснаряда должны действовать одновременно контрольная и временная водомерные рейки.
Контрольную рейку следует выставлять в защищенном месте ближе к участку работ земснаряда, учитывая возможность ее нивелировки от ближайшего репера.
Рейку временного уровенного поста устанавливают непосредственно в районе работ земснаряда. Нуль рейки должен соответствовать нулю глубин отсчетного уровня (нулю порта). Отклонение нуля рейки при ее установке допускается не более ±2 см.
Предельное удаление рейки, временного поста от земснаряда или от рейки постоянного поста должно быть таким, чтобы расхождение отсчетов мгновенных уровней по рейкам не превышало половины точности отсчетов глубин.
При значительном удалении участка работ от постоянного уровенного поста в сторону движения земснаряда устанавливают два или три временных уровенных поста, обеспечивающих их взаимозаменяемость и восстановление положения нуля рейки при повреждении одного из постов.
При действии в районе работ земснаряда нескольких временных уровенных постов, находящихся на значительном удалении от участка работ, следует выбирать наиболее близко расположенный пост с условием, чтобы расхождение мгновенных отсчетов, приведенных к нулю глубин, не превышало половины точности отсчета измеренных глубин.
Для передачи информации о колебаниях уровня могут быть использованы автоматические радиорейки, сигналы которых должны передаваться в определенные сроки, установленные службой морского канала.
Требования по использованию автоматических радиореек аналогичны требованиям для временного уровенного поста.
После установки и нивелировки рейка уровенного поста должна быть передана багермейстеру земснаряда, который несет ответственность за ее сохранность и организацию уровенных наблюдений на земснаряде.
При повреждении рейки багермейстер обязан вызвать промерную гидрографическую партию для устранения повреждений и нивелировки рейки.
Правильность положения рейки, порядок уровенных наблюдений на земснаряде контролируются промерной гидрографической партией не реже 1 раза в 10 дней. Все замечания и предписания по их устранению фиксируются в рабочем журнале и сообщаются багермейстеру.
3.5.5 Порядок передачи уровенных наблюдений на земснаряд по радиосвязи должен быть определен планом организации дноуглубительных работ.
Прием информации по радиосвязи может осуществляться в следующих случаях:
- при незначительных колебаниях уровня и, если местные условия позволяют, использовать постоянные уровенные посты на большом расстоянии;
- если район работ открыт для волнения или установка временного уровенного поста невозможна из-за больших забровочных глубин;
- если можно получить информацию от нескольких уровенных постов, расположенных на допустимых расстояниях от земснаряда.
3.5.6 На земснаряд должны передаваться уровни, приведенные к нулю глубин.
Принятые отсчеты должны фиксироваться в рабочем журнале.
4.1.1 Способы промера определяются в зависимости от способов определения планового положения промерных точек и подразделяются на следующие виды:
- с инструментальными засечками;
- по непосредственно разбитым в натуре промерным точкам;
- с применением спутниковых геодезических (навигационных) систем.
4.1.2 Промеры глубин с инструментальными засечками выполняются с применением следующих основных способов:
- прямыми засечками с берега двумя инструментами;
- по створу и прямым засечкам с берега одним инструментом;
- по створу и обратным засечкам с промерного судна одним секстаном;
- обратными засечками с промерного судна двумя секстанами.
4.1.3 К промерам способом непосредственной разбивки в натуре промерных точек относится промер по размеченному тросу.
4.1.4 Промер с применением приемоиндикаторов спутниковых навигационных систем осуществляется, как правило, при использовании автоматизированных гидрографических комплексов с выполнением всего состава промерных работ, включая обработку материалов, составление планов промера.
4.1.5 Выбор способа промера и определение границ его применения следует производить в зависимости от местных условий (число, расположение и удаленность опорных пунктов) по допустимой погрешности определения координат глубин на основе расчета средних квадратических погрешностей планового положения точек промера.
Промер глубин по створу и прямым засечкам с берега одним инструментом, по створу и обратным засечкам с промерного судна одним секстантом разрешается применять в исключительных случаях в районах с недостаточно развитой опорной сетью.
4.1.6 Средняя квадратическая погрешность определения планового положения точек промера относительно точек съемочной геодезической сети не должна превышать в масштабе плана для промеров: приемосдаточного и подробного - 1,5 мм, для контрольного - 2 мм.
4.1.7 Если условия работы и технические средства (например спутниковые навигационные системы) позволяют получить определение места с большей точностью без увеличения затрат, то эти возможности должны быть использованы.
4.1.8 При каждом определении места промерного судна должна быть обеспечена одновременность моментов определений и нанесения оперативных отметок на ленты технических средств определения места и оперативных отметок в носителях накопителей информации или эхограмме.
4.1.9 Перед выполнением промерных работ на объекте в зависимости от выбранного способа промера должны быть выполнены подготовительные операции, в общем случае, включающие:
- разбивку и закрепление на местности пикетов и расположение промерных галсов;
- проверку инструментов, их установку, нивелирование, центровку и ориентирование;
- подготовку полевых журналов;
- разработку плана технологической последовательности проведения промера на участке;
- проверку устройств и инструментов для измерения глубины;
- сверку часов на береговых теодолитных постах наблюдения, промерном судне и уровенных постах;
- организацию связи и сигнализации с соответствующими постами.
а) линии положения (отрезки прямых - хорд или касательных, заменяющих участки дуг вмещающих окружностей, гипербол, створные линии, линии засечек) в районе проведения промера должны пересекаться под углом: при прямой засечке - в пределах 20° - 160°, при обратной и комбинированной засечках, а также засечках на заданном створе - в пределах 30° - 150°;
б) при прямой засечке теодолитные посты должны быть хорошо видны друг другу, иметь полный обзор района промера и позволять производить ориентировку инструментов с точностью не более средней квадратической погрешности измерения горизонтальных углов применяемыми инструментами;
в) при обратной засечке должно быть не менее трех хорошо видимых районов промера опорных пунктов, расположенных треугольником или на одной прямой так, чтобы окружность, описанная через пункты треугольника, и прямая линия, соединяющая опорные пункты, не пересекали район промеров (рисунок 10). Сумма измеренных углов и угла при среднем опорном пункте, вычтенная из 360°, должна отличаться от 0° или от 180° не менее чем на 20°;
А, В, С - опорные пункты, a и b - измеряемые углы.
Рисунок 10. Варианты расположения опорных пунктов при определении места обратной засечкой
г) интервалы времени между засечками должны быть не менее 50 с и должны рассчитываться с точностью до 10 с по формуле:
Т = 0,036ND/V, (7)
где Т - интервал времени между засечками, с;
N - знаменатель масштаба планшета;
D - заданное расстояние между точками определения места на планшете, см;
V - скорость движения промерного судна, км/ч;
д) промерное судно при промере должно двигаться с постоянной скоростью без больших отклонений от заданного направления;
е) в полевых журналах на всех пунктах и промерном судне должны записываться номера пикета и промерного галса, время промера (начало и окончание) на профиле, номер и время проведения засечек (с точностью до 5 с);
ж) на информационном носителе или эхограмме должны проставляться номера пикета и промеряемого галса, порядковый номер определения против соответствующей отметки.
4.2.2 Промер по заданному направлению с определением места прямой засечкой должен производиться следующим образом (рисунок 11):
- на берегу на двух опорных пунктах устанавливают теодолиты;
- промерное судно движется по промерному галсу, положение которого закреплено створными знаками или буйками;
- по сигналу, подаваемому через равные промежутки времени с промерного судна, теодолитами измеряют углы между опорными пунктами и промерным судном и вместе со временем фиксируют в полевых журналах, одновременно на судне делают отметку на накопителе информации или эхограмме;
- после окончания промера на данном профиле судно выходит на следующий и повторяет предыдущие операции.
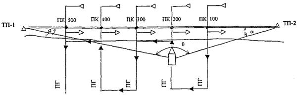
1 - направляющие створы; 2 - промерное судно; ТП-1, ТП-2 - теодолитные посты; a, b - измеренные углы; ПГ - промерный галс.
Рисунок 11 - Промер по заданному направлению с определением места прямой засечкой
4.2.2.1 Плановое положение промерного судна определяют путем прокладки на планшет измеренных с теодолитных постов горизонтальных углов.
Средняя квадратическая погрешность определения планового положения точек промера прямой засечкой определяется по формуле:
(8)
где М0 - средняя квадратическая погрешность, м;
т - средняя квадратическая погрешность измерения угла, угловые минуты (для средних условий можно принять т = 1 угловая минута);
q - угол пересечения линий положения (засечек), град;
D1 и D2 - расстояние от инструмента до определённой точки, км.
4.2.2.2 При определении места промерного судна по заданному направлению прямой засечкой должны выполняться следующие требования:
а) теодолиты следует устанавливать строго над центрами опорных пунктов. При невозможности точной центровки необходимо измерять и фиксировать в полевом журнале линейное отклонение центра инструмента от центра опорного пункта и угол, измеренный по часовой стрелке между опорным пунктом и пунктом ориентирования, а при камеральной обработке измеренные направления приводят к центру опорного пункта;
б) вертикальные оси зрительных труб теодолитов в момент проведения засечки следует наводить на вешку, установленную на промерном судне в месте измерения глубины, которая должна иметь флажок или топовую фигуру яркой окраски, и должна быть хорошо видна с самой удаленной точки района промера;
в) чувствительность створов, закрепляющих положение промерных галсов, не должна превышать одной десятой расстояния между пикетами;
г) буйки для закрепления положения промерного галса должны устанавливаться в его начале и конце.
- предварительная команда за 30 с до проведения определения путем подъема флажка вверх в вертикальное положение;
- исполнительная команда путем резкого опускания флажка в сторону и вниз;
- при наличии радиосвязи за 20 с подается команда «товсь», в момент выполнения засечек - команда «Ноль».
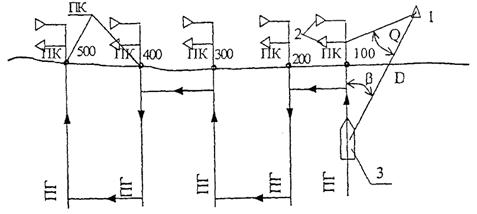
4.2.3 Промер с определением места промерного судна по створу и прямой засечкой с берега по одному горизонтальному углу должен производиться следующим образом (рисунок 12):
- направление промерных галсов закрепляют на берегу створными знаками (вехами);
- на опорном пункте на берегу устанавливают угломерный инструмент;
- по сигналу, подаваемому через равные промежутки времени с промерного судна, угломерным инструментом измеряют угол между опорным пунктом и промерным судном и время фиксируют в полевом журнале, одновременно на судне делают отметку на накопителе информации или эхограмме.
1 - магистраль; 2 - направляющие створы; 3 - промерное судно; ТП - теодолитный пост; q - горизонтальный угол, измеренный теодолитом или кипрегелем; ПГ - промерный галс.
Рисунок 12 - Промер с определением места промерного судна по створу и прямой засечкой.
Средняя квадратическая погрешность определения места по створу и прямой засечкой рассчитывается по формуле:
(9)
где М0 - средняя квадратичная погрешность определяемого места, м;
q - угол пересечения линий положения;
mb - средняя квадратическая погрешность измерения угла, угловые минуты;
D - расстояние от инструмента до точки промера глубин, км;
r - радиан в минутах (3438¢);
Р - чувствительность линейного створа, м;
где ek - горизонтальный, критический угол створа, дуг. мин;
d - расстояние между створными знаками, км.
4.2.3.1 При определении места промерного судна по створу и прямой засечкой должны выполняться требования 4.2.2.2 и 4.2.2.3, а также:
- при проведении засечек промерное судно должно находиться строго на линии створа;
- погрешность в определении координат опорных точек магистрали (теодолитных или мензульных ходов) не должна превышать ±2,0 м;
- положение промерных профилей на магистрали должно определяться путем двукратного измерения расстояния по магистрали от опорных точек с относительной погрешностью не менее 1:1000, места положения промерных профилей должны закрепляться пикетами;
- створные знаки для закрепления промерных профилей должны устанавливаться с применением угломерных инструментов, разнос их должен быть не менее величины, рассчитанной по формуле:
d = D2/(1,72Е0 - D), (11)
где d - разнос створных знаков, км;
Е0 - допустимая погрешность определения места для данного вида промера, м;
D - расстояние от точки промера до переднего створного знака, км.
При невозможности установки на берегу створных знаков с требуемым разносом следует проводить дополнительное провешивание створной линии на воде путем установки специальных вешек с применением угломерного инструмента с пикета на магистральной линии.
4.2.4 Промер по заданному направлению с определением места промерного судна обратной засечкой по двум горизонтальным углам, (рисунок 13) должен осуществляться следующим образом:
- промерное судно с постоянной скоростью движется по промеряемому профилю, закрепленному створом вех:
- по команде два наблюдателя на судне измеряют секстанами и фиксируют два горизонтальных угла между опорными пунктами (тремя или четырьмя), на накопителе информации или эхограмме делается отметка против соответствующей засечки.
А; В; В1; В2; С - опорные пункты; 2 - буи промерного галса; 3 - промерное судно; a, b и g - горизонтальные углы, измеренные секстанами; ПГ - промерный галс.
Рисунок 13 - Промер по заданному направлению с определением места промерного судна обратной засечкой:
а) - по смежным углам; б) - по несмежным углам.
4.2.4.1 Местоположение промерного судна при определении места обратной засечкой (два измеренных горизонтальных угла) прокладывается путем нанесения на планшет.
Средняя квадратическая погрешность определения места при использовании обратной засечки рассчитывается по формулам:
а) при смежных углах
(12)
б) при несмежных углах
(13)
где M0 - средняя квадратическая погрешность определяемого места, м;
m - средняя квадратическая погрешность измерения углов, угловая минута;
А и С - углы при крайних пунктах, противолежащие средней засечке, град;
g - угол при определяемой точке между средними пунктами, град;
D1, D2, D3, D4 - расстояние от определяемой точки до опорных пунктов, км;
а, b - расстояния между опорными пунктами, км.
4.2.4.2 Промер по заданному направлению с определением места промерного судна обратной засечкой должен выполняться в соответствии с требованиями 4.2.1, в) и 4.2.2.2, в).
4.2.5 Определение места по створу обратной засечкой по одному горизонтальному углу (рисунок 14) должно производиться следующим образом:
- промерное судно равномерно движется по оси створа промеряемого галса;
- через равные промежутки времени с промерного судна секстаном определяют горизонтальный угол между опорным пунктом и створной линией с одновременной фиксацией промерных точек.
1 - опорный пункт; 2 - вешки створа; 3 - промерное судно; b - горизонтальный угол, измеренный секстаном, между опорным пунктом и осью створа; ПГ - промерный галс.
Рисунок 14 - Промер по створу с определением места промерного судна с обратной засечкой по одному горизонтальному углу
4.2.5.1 Прокладку точек определения места на галсе следует осуществлять путем нанесения на планшет измеренного горизонтального угла между створной линией и направлением на опорный пункт.
Средняя квадратическая погрешность определения места при использовании этого способа определяется по формуле
(14)
где M0 - средняя квадратическая погрешность определяемого места, м;
q - угол пересечения линий положения (засечки);
Р - чувствительность линейного створа, определённая по формуле (10) м;
mb - средняя квадратическая погрешность измерения угла, угловые минуты (для средних условий измерения углов секстаном принимается равной ±2¢);
q - кратчайшее расстояние от определяемой точки до переднего створного знака, км);
b - угол, измеренный секстаном между опорным пунктом и створом.
4.2.5.2 Интервалы времени между определениями места на галсе, движение промерного судна по оси створа и ведение полевой документации должны соответствовать пункту 4.2.1.
4.2.6 К способам определения места без инструментальных засечек промера относят способ проложения галсов между секущими створами и способ с применением буксируемого мерного отрезка.
4.2.7 Способ проложения галсов между секущими створами (рисунок 15) применяется при невозможности использования других способов промера на объектах большой протяженности, а также в районах со слаборазвитой геодезической сетью и должен осуществляться следующим образом:
1 - секущие створы; 2 - промерное судно; 3 - буйки на пикетах;
Рисунок 15 - Промер глубин с определением места промерного судна с использованием секущих створов
- на берегу (или на воде) параллельно промеряемому участку устанавливают секущие створы с двух его сторон;
- на одной из линий секущих створов (или на ведущем створе) производят разбивку пикетов и расположение промерных галсов;
- промерное судно с постоянной скоростью движется по промеряемому галсу, и момент пересечения линий секущих створов фиксируется на эхограмме, носителе информации и записывается в журнале.
Плановое положение промежуточных точек измерения глубин определяют по длине базы, в качестве которой должно приниматься:
- среднее значение измерений при разнице в измерениях менее допустимой погрешности определения места;
- расчетное значение для каждого пикета при разнице в измерениях более допустимой погрешности определения места.
Измерение длины базы следует производить в начале, середине и в конце промеряемого участка до начала и после окончания промерных работ.
При выполнении промера с определением места по секущим створам должны выполняться следующие требования:
- промерные галсы следует располагать перпендикулярно секущим створа;
- скорость движения промерного судна на галсе должна быть постоянной, а дрейф не должен превышать 2°;
- чувствительность секущих створов должна быть не менее допустимой погрешности определения места;
- количество вешек в створной линии и расстояние между ними (в пределах от 0 до 150 м) должны обеспечивать необходимую чувствительность створов на всех промерных галсах;
- разбивка секущих створов должна производиться:
а) при удалении промерных галсов от береговой линии менее 4000 м геодезическим способом, в т.ч. с возможной установкой и провешиванием теодолитами линий створов на воде;
б) при удалении промерных галсов от береговой линии на расстояние 4000 м и более - следующими способами:
1) при наличии осевого ведущего створа - по промерному тросу, натянутому перпендикулярно осевому створу, путем установки вешек на заданном расстоянии от оси створа. Нахождение оси производят, передвигаясь на шлюпке от бровки в сторону осевого створа по натянутому втугую промерному тросу. При выходе на линию осевого створа на тросе устанавливают марку. Прием повторяют с противоположной бровки и устанавливают вторую марку. Между полученными марками посередине устанавливают большую марку, от которой будет производиться измерение расстояний при установке створных вех;
2) без осевого ведущего створа - лотом нащупывают и отмечают рядом буйков одну бровку прорези, на ней (или параллельно) выставляют первый створ из двух вешек, перпендикулярно которому натягивают трос.
Провешиванием по натянутому тросу устанавливают линии секущих створов на расстоянии 400 - 500 м;
При необходимости уточнения планового положения прорези один секущий створ должен разбиваться геодезическим способом - прямой или обратной засечками с выполнением действий, аналогичных разбивке секущих створов при отсутствии осевого ведущего створа.
4.2.8 Способ определения места с буксируемым мерным отрезком (рисунок 16) должен применяться на объектах большой протяженности, имеющих ось симметрии и ведущий осевой створ, ширина участка промера не должна превышать 140 м, забровочное пространство должно обеспечивать разворот и выход судна с мерным отрезком на заданное направление и выполняться следующим образом:
- промерное судно движется по створу, определяя места пикетов по углу и створу, и выставляет промерные буйки без лишней слабины буйрепа. Места буйков определяют секстаном обратными засечками;
- после вытравливания мерного отрезка промерное судно выходит на исходную позицию промерного галса и по компасу, перпендикулярно направлению ведущего створа, направляется на буек (пикет);
- промерное судно равномерно движется по участку и буксирует отрезок троса с буйком на конце, длина которого равна половине ширины промеряемой прорези.
- моменты пересечения оси створа промерным судном с буйком отмечаются на накопителе информации или эхограмме.
1 - ведущий осевой створ; 2 - буйки на пикетах; 3 - буксируемый буек; 4 - мерный отрезок; 5 - промерное судно; ПГ - промерный галс.
Рисунок 16 - Промер с применением буксируемого мерного отрезка
Разбивку и привязку точек измерения глубины производят по расчетной базе - расстоянию между отметками на информационном носителе или эхограмме.
Промер глубины может производиться одним промерным судном, а также промерным судном с одной или двумя шлюпками.
При промере одним промерным судном буйки на пикетах должны устанавливаться на линии створа, а судно должно проходить в непосредственной близости от промерного буйка. Ошибка в направлении движения судна по компасу не должна превышать 3°.
При промере промерным судном и одной шлюпкой момент пересечения створной линии промерным судном и буксируемым мерным отрезком с буйком должен определяться со шлюпки, установленной на линии створа на расстоянии 400 - 500 м до промеряемых пикетов.
При промере промерным судном с двумя шлюпками, одна из них находится на якоре и определяет момент пересечения промерным судном и буксируемым мерным отрезком с буйком линии положения (осевого створа), а другая указывает направление движения промерного судна.
При определении места промерного судна с применением буксируемого мерного отрезка должны выполняться следующие требования:
- угол дрейфа буксируемого мерного отрезка с буйком не должен превышать 10° от линии промерного галса;
- длина буксируемого мерного отрезка должна измеряться от центра вибраторов эхолота до центра буйка с точностью 0,1 м и составлять пропорционально ширине канала 40, 50 или 60 м;
- в качестве буксируемого мерного отрезка должен применяться мягкий стальной тросик диаметром 3 - 5 мм без заломов;
- скорость движения промерного судна при измерениях глубины должна быть постоянной;
- на всех промеряемых пикетах чувствительность створа должна соответствовать допустимой погрешности определения места для данного вида промера. Если чувствительность створа недостаточна, то линия створа должна провешиваться с помощью теодолита с постановкой буйков без слабины буйрепа (буек ставится «на панер»).
4.2.9 Промер по тросу (линю) (рисунок 17) должен применяться на объектах, требующих высокой точности определения места точек промера, а также на акваториях со стесненными условиями (у причалов и других гидротехнических сооружений, в гаванях, бухтах и т.д.) и выполняться в следующей последовательности:
Рисунок 17 - Промер по тросу:
а) по тросу канала; б) по тросу акваторий причалов.
- по контуру или осям гидротехнических сооружений разбивают магистраль, на которой размечают и закрепляют пикетами места промерных галсов;
- промерный трос закрепляют на пикете промерного галса и завозят шлюпкой в направлении промерного галса. В конце промерного галса отдается шлюпочный якорь, и трос обтягивается втугую вьюшкой;
- направление промерного судна определяют угломерным инструментом с пикета по углу между магистралью и линией положения промерного галса;
- вторая шлюпка продвигается по натянутому тросу и возле каждой марки производит измерение глубины.
Местоположение точек промера определяется по направлению, фиксируемому тросом, и по расстоянию от пикета магистрали.
При выполнении промера по тросу должны выполняться следующие требования:
- разбивка магистрали на берегу должна отвечать требованиям полигонометрии IV класса и производиться теодолитом и мерной лентой;
- разбивку магистрали на воде следует производить геодезическими способами, при этом расстояние между опорными точками на воде не должно превышать длины промерного троса;
- погрешность определения координат опорных точек магистрали на воде должна быть не более ±3,0 м;
- погрешность измерения расстояния по промерному тросу не должна превышать 1/100 измеряемого расстояния;
- разбивку пикетов на магистрали следует производить путем двукратного измерения расстояния от опорной точки. Погрешность в измерении расстояния должна быть менее 1/1000;
- в качестве промерного троса должен использоваться мягкий стальной тросик без заломов диаметром 5 - 6 мм;
- положение створной линии при определении координат глубин по створам должно определяться в соответствии с требованиями 4.2.7;
- после окончания промера на каждом промерном галсе следует проверять положение промерного троса на створной линии. При изменении положения на величину, большую допустимой погрешности, промер должен аннулироваться и проводиться вновь.
4.2.10 Промер с применением приемоиндикаторов спутниковых навигационных систем с автоматизированными гидрографическими комплексами может выполняться на всех промеряемых объектах.
Однако, при выполнении промера у причалов, на акватории порта и других участках при ограничении возможности маневрирования промерного судна, сбоев в определении его места положения по спутниковой навигационной системе промер необходимо выполнять с использованием геодезических инструментов для определения положения места или по мерному тросу.
При площадной съемке на каналах многолучевым эхолотом галсами параллельно оси канала перекрытие между полосовыми захватами (соседними галсами) должно осуществляться на 25 - 50 % (рисунок 18, 19).
Рисунок 18 - Схема расположения продольных галсов на участке канала с перекрытием
Рисунок 19 - Поперечный разрез канала при площадной съемке с перекрытием
4.2.10.1 Спутниковые навигационные системы (СНС) должны применяться для планового обеспечения промерных работ и определения координат точек промера.
4.2.10.2 При использовании СНС для планового обеспечения промерных работ должны выполняться следующие требования:
- основной является система GPS (Глобальная спутниковая навигационная система);
- состав оборудования (конфигурация) СГС GPS должен отвечать необходимой точности промерных работ;
- при любой конфигурации системы требуется базовая (береговая) станция дифференциальных поправок.
4.2.10.3 При проведении промерных работ в зависимости от требуемой точности планового определения точек промера могут использоваться следующие конфигурации системы GPS:
- дифференциальная GPS (DGPS) - ТОЧНОСТЬ на местности в плане до ±(1 - 3) м;
- Real time kinematics (RTK) - точность на местности: в плане ±2 см, по высоте до ±5 см.
4.2.10.4 Автоматизированные гидрографические комплексы на основе использования систем DGPS или RТК следует применять для измерения глубин и определения их планового положения, сбора гидрографических данных, первичной обработки материалов промеров с последующей доработкой на берегу и отображением полученной информации на планшетах и накопителях информации.
4.2.10.5 В состав автоматизированных гидрографических комплексов в общем случае может входить следующее оборудование:
- береговое оборудование:
а) базовая (береговая) станция DGPS или RTK;
б) передатчики телеметрии;
- промерное судно; судовая приемная станция с приемником дифференциальных поправок DGPS или RТК; приемники телеметрии; судовые датчики уровня, скорости и т.д.; промерный эхолот;
- операторская станция или бортовой компьютер; программное обеспечение;
- офисная (береговая) обработка промерных данных: береговая станция (офисный компьютер); программное обеспечение постобработки; плоттер (принтер).
4.2.10.6 При выполнении промера автоматизированный гидрографический комплекс должен автоматически обеспечивать:
- сбор данных от судовых датчиков;
- промер глубин;
- оценку достоверности и полноты поступающей информации;
- вычисление текущих координат положения промерного судна на участке промера;
- привязку координат к глубинам и времени;
- отображение на дисплее операторской станции (мониторе) эхограммы промеров, линии движения судна при промерах и т.д.;
- регистрацию информации на носителях (магнитном диске);
- сигнализацию об отказах в работе технических и программных средств системы.
При выполнении промера глубин многолучевым эхолотом расположение галсов планируется на электронной карте перед промером и уточняется при выполнении работ.
4.2.10.7 Использование оборудования автоматизированного гидрографического комплекса при выполнении промера следует осуществлять в соответствии с правилами и инструкциями по его эксплуатации.
4.2.10.8 На этапе подготовки к промерам необходимо:
- составить файлы габаритов каналов, расположение галсов, кордонов причалов, береговой черты (наличие файлов определяется их необходимостью) и вместе с исходными данными ввести в операторскую станцию (бортовой компьютер);
- проверить и подготовить приборы комплекса к работе;
- подготовить необходимые журналы промеров;
- организовать учет и хранение материалов промеров.
4.2.10.9 Промер с использованием автоматизированного гидрографического комплекса должен осуществляться следующим образом:
- промерное судно движется по промеряемому галсу, измерение глубины производится одновременно с определением места и фиксацией времени;
- полученные данные поступают в операторскую станцию для обработки.
4.2.10.10 Во время промера оператор-гидрограф должен осуществлять контроль за работой системы, в т.ч. эхолота, системы определения места промерного судна, датчиков скорости, курса, уровня и т.д., и при необходимости вводить корректировки.
4.3.1 Измерение глубин при промерах должно выполняться эхолотами, наметкой или лотом.
4.3.2 Отсчеты при измерении глубин должны производиться с точностью не менее:
Глубина, м Точность, м
0,1 - 5,0 ±0,05
5,1 - 20,0 ±0,10
Более 20 ±0,20
4.3.3 Измерение глубин должно производиться с промерного судна, имеющего:
- малую осадку для производства промеров на мелководье;
- необходимый запас топлива для непрерывной работы;
- компактное расположение оборудования и приборов, возможность установки вибраторов эхолота;
- удобные условия при промере наметкой или лотом;
- скорость хода от 2 до 15 км/ч с постоянным режимом движения малым ходом продолжительное время;
- малый крен, не изменяющий углубления вибратора эхолота на величину более половины точности измерения глубины.
4.3.4 Перед проведением промера необходимо проверить работу приборов измерения глубины и определить их поправки. Также поправки необходимо определять в процессе промера и после его окончания.
Производство промера без определения поправок приборов запрещается.
4.3.5 Измерение глубин наметкой следует производить при глубинах до 5 м при промере со шлюпок, а также катеров, если измерение глубин эхолотом невозможно.
Наметка изготавливается из сухой жерди легких пород дерева или бамбука диаметром 4 - 5 см, длиной до 6 м. Нижний конец оборудуется металлическим поддоном диаметром до 20 см.
Разбивку наметки следует производить в дециметрах и метрах от нижней плоскости поддона стальной рулеткой с окраской дециметровых делений попеременно в белый и черный цвет, метровых - в красный цвет.
Отсчет глубин необходимо производить по ближайшему погруженному в воду делению с точностью до 0,05 м.
4.3.6 Измерение глубин ручным лотом со стальным лотлинем следует производить при промере глубин вдоль причальных стенок и молов (непосредственно с сооружения), на котлованах под гидротехнические сооружения и их откосах, а также при промере по тросу со шлюпки.
Ручной лот должен состоять из лотлиня (стального мягкого троса диаметром 3 - 5 мм), груза и стального поддона диаметром 100 - 150 мм.
Массу груза и диаметр поддона следует выбирать в зависимости от местных условий на объекте (глубины, скорости течения, характеристик грунта) для измерения действительных глубин без погружения поддона в грунт. Среднее давление поддона на грунт не должно превышать 0,05 кгс/см2.
Разбивку лотлиня начинают от нижней поверхности поддона лота и производят через 0,1 м при помощи стальной 20-метровой ленты или стальной рулетки.
Дециметровые деления обозначаются марками из кожи, медной или латунной проволоки, вплетаемой в лотлинь или припаиваемой к нему. Полуметровые деления лотлиня должны обозначаться кожаными марками, имеющими большую длину, чем дециметровые деления, или двумя марками из проволоки.
Перед производством промера должна определяться поправка лота для всех предполагаемых глубин путем проверки его на компараторе.
Отсчет глубин должен производиться при вертикальном положении лотлиня в момент касания поддоном поверхности дна по ближайшей марке, погруженной в воду, с точностью указанной в пункте 4.3.2.
4.3.7 Глубины, измеренные лотом или наметкой, должны фиксироваться в журналах промеров.
4.3.8 Для выполнения промеров могут использоваться как одно-, так и многолучевые эхолоты. Технические характеристики некоторых типов используемых эхолотов приведены в приложении Д.
4.3.8.1 Монтаж эхолотов, тарирование, обслуживание оператором и измерение глубин необходимо выполнять в соответствии с инструкциями и правилами по использованию приборов.
4.3.8.2 Глубины, измеряемые эхолотом, должны исправляться поправками эхолота, определение которых производится до начала и после окончания промера, а также в процессе промера в зависимости от продолжительности периода промера и степени изменения характеристик водной среды (температуры, солености и т.п.).
4.3.8.3 В эхолотах, позволяющих вводить поправки в измеренные глубины, до начала и в процессе съемки должны быть введены все поправки, предусмотренные возможностью бортового программного обеспечения промерного комплекса (скорость распространения ультразвука в воде, значения погружения вибратора, величина качки, дифферент, крен, посадка промерного судна на мелководье).
4.3.8.4 Определение поправок эхолота при выполнении подробного и приемо-сдаточного промеров должно выполняться по тарировочному устройству.
4.3.8.5 Тарирование эхолота является обязательной операцией, определяющей качество измерения глубин.
Запрещается проводить промерные работы без тарирования эхолота, которое должно проводиться ежедневно перед началом и после окончания промерных работ в характерных местах участка съемки для всего диапазона измеренных глубин в течение всего периода выполнения промера.
4.3.8.6 Окончательную величину суммарной поправки эхолота тарированием для соответствующей глубины следует принимать равной средней величине поправок, полученных при опускании и подъеме тарировочного устройства.
Не допускается принимать к отчету результат промера объекта, если суммарные поправки эхолота тарированием, определенные при двух смежных тарированиях, отличаются друг от друга более чем вдвое. В таком случае промер аннулируется и должен быть повторен с увеличением частоты тарирования при промере.
Тарирование эхолота следует выполнять при установившемся режиме работы эхолота контрольным отражателем (доской или диском) путем опускания отражателя на различные глубины на металлических мерных линях под вибратор или вибраторы (антенны).
Линь тарирующего устройства маркируется от поверхности диска (доски) на 2, 3, 4, 5, 7, 10, 15, 20 и 30 м. Этой маркировкой определяют горизонты тарирования. Марки на лине должны размечаться на выверенном компараторе, разбитом мерной лентой или стальной рулеткой.
Порядок выполнения тарирования (для однолучевых эхолотов):
- за 15 - 20 мин до начала тарирования включают эхолот;
- отражатель тарировочного устройства опускается под вибратор эхолота на первый горизонт тарирования (2 м), эхолот регулируется для получения четкой записи глубин длиной не менее 10 мм и записывается на ленте. При использовании эхолотов без записывающей ленты их показания снимаются с экранов соответствующего блока и записываются в рабочем журнале;
- затем отражатель опускается на следующий горизонт тарирования и наблюдения повторяются;
- по достижении максимального горизонта тарирования осуществляется ступенчатый подъем тарировочного устройства с повторением наблюдений на тех же горизонтах тарирования.
4.3.9 При проведении промера при помощи эхолота скорость промерного судна должна быть постоянной к началу измерения глубин, поддерживаться на всей длине промеряемого профиля и не должна превышать величины, рассчитанной по формуле
V = 0,0006×N×а, (15)
где V - скорость движения промерного судна при промере, км/ч;
N - знаменатель масштаба плана промера;
а - интервал между определениями координат глубин в масштабе плана, см.
Проверка соответствия фактической скорости движения судна нормативной при промере должна производиться по продолжительности прохождения промеряемого профиля, которая не должна быть более величины, рассчитываемой по формуле
t = 0,06L/V, (16)
где t - продолжительность движения судна на промерном профиле, мин;
L - длина промерного профиля, м;
V - скорость промерного судна, км/ч.
При вынужденном изменении скорости движения судна должно производиться определение места судна в начале и в конце периода изменений хода.
4.3.10 При измерении глубин эхолот должен обслуживаться оператором, обязанности которого определяются в зависимости от типа эхолота и регламентируются в инструкции или руководстве по эксплуатации прибора.
5.1.1 На участке дноуглубительных работ перед установкой земснаряда должны выполняться следующие подготовительные работы:
- вынос в натуру границ прорези и их закрепление на местности;
- предварительный промер и определение объемов дноуглубительных работ;
- выполнение траления на участках работ, отвалах (свалках) грунта и подходов к ним;
- подготовка мест отвалов (свалок) грунта и подходов к ним;
- выбор опорных пунктов и разработка системы определения положения земснаряда на прорези;
- установка водомерной рейки и ее привязка к нулю порта или водомерного поста;
- установка плавучих знаков навигационной обстановки на трассе движения на отвал (свалку) и на отвале (свалке) грунта.
5.1.2 На все предварительные работы должны составляться и передаваться на земснаряд документы, включающие следующие сведения:
- разбивку и закрепление рабочих границ прорези, наименование и схему опорных пунктов;
- расположение постоянных и временных уровенных постов, величин отметок нулей реек относительно нуля глубин, способ получения информации и частоту наблюдений за колебанием уровня;
- предварительный промер участка, планируемый объем дноуглубительных работ;
- расположение места отвала (свалки) грунта, его характеристика и пути подхода к нему;
- результаты траления со схемой расположения неубранных препятствий и системой их ограждения, плановую привязку препятствий;
- разрешение, требования и ограничения природоохранных организаций. Указанные сведения передаются на земснаряд в виде технического задания на дноуглубительные работы, ситуационного плана участка дноуглубительных работ, плана промера или рабочих чертежей дноуглубления объекта, схемы разбивки и закрепления рабочих границ прорези, акта подводного обследования участка или траления, документа природоохранных органов, разрешающих производство дноуглубительных работ.
Содержание технического задания приведено в РДЗ 1.74.04-94 «Техническая инструкция по производству морских дноуглубительных работ», Приложение 10.
5.1.3 При выполнении предварительного и исполнительного промеров должно обеспечиваться совмещение промерных галсов и точек промера на них.
Расстояние между промерными галсами и точками промера устанавливают в зависимости от требований, изложенных в пунктах 2.3.2, 2.3.3 и таблице 2.
Глубины предварительного и исполнительного промеров должны быть приведены к одному уровню, установленному проектом или заданием.
Проверка правильности разработки рабочей прорези, установки створных знаков (вех) и водомерных реек, а также предварительный и исполнительный промеры должны производиться в присутствии уполномоченных представителей заказчика, генподрядчика, подрядчика, которые визируют полевые материалы промера и проверок и подписывают материалы после их обработки.
5.2.1 Разбивку рабочей прорези выполняют в соответствии с проектом дноуглубительных работ или техническим заданием.
Границы рабочей прорези на местности разбивают:
- при расположении знаков на берегу - теодолитом, дальномером, мерной лентой;
- при установке знаков на воде - секстаном (эккером) и промерным тросом или по углам обратной засечки, или с помощью спутниковой системы.
5.2.2 Бровки рабочей прорези, начало и конец разрабатываемого участка, закрепляют на местности береговыми или плавучими знаками.
При наличии на земснарядах приемоиндикаторов спутниковой навигационной системы и возможности их использования рабочая прорезь знаками может не ограждаться.
Наиболее распространенные следующие типы знаков:
- береговые створные вехи;
- вбиваемые в грунт деревянные вехи;
- плавучие бровочные вехи и буи.
Типы вех для обозначения границ участка дноуглубительных работ показаны на рисунке 20.
Рисунок 20 - Створные вехи
Плавучие бровочные вехи и буи не обеспечивают точности перебора по ширине. Эти знаки указывают ориентировочно выход земснаряда на бровку.
Способ разбивки прорези, тип знаков обвехивания бровок выбирают в зависимости от местных условий, особенностей объекта дноуглубления, типа земснаряда, наличия пунктов опорной сети, наличия приемоиндикаторов спутниковой навигационной системы на земснаряде.
Начало и конец разрабатываемого участка на акватории порта и в устьевом участке реки обозначается береговыми поперечными створами из вех, а на открытой части канала - буйками, установленными за бровкой канала.
5.2.3 Перенесением проекта в натуру являются геодезические работы, выполняемые на местности для определения планового положения характерных точек и линий строящегося или восстанавливаемого сооружения согласно его проекту.
5.2.4 Геометрической основой проекта при переносе в натуру являются разбивочные (главные) оси, относительно которых в рабочих чертежах указываются все размеры деталей сооружения и которые привязаны к пунктам геодезической основы.
Разбивочными или главными осями у гидротехнических сооружений являются продольные оси сооружений (оси каналов и фарватеров, бровочные линии), магистраль (базисная линия), разбитая вдоль главных осей сооружений на берегу или воде.
5.2.5 Перед работой по разбивке необходимо сделать выбор метода проведения геодезических работ, обеспечивающего требуемую точность разбивки, и составить разбивочный чертеж.
5.2.6 Разбивочный чертеж должен составляться на каждый участок работ только по проектной документации данного сооружения и содержать наименование и схему расположения опорных пунктов, необходимых для разбивки главных осей, данные привязки (горизонтальные углы, дирекционные углы и азимуты главных осей, координаты точек), размеры разбиваемого сооружения (участка). Допускается получение недостающих величин путем их вычисления или измерения по планам.
Содержание разбивочного чертежа должно проверяться путем сопоставления данных чертежа и проектными данными объекта.
5.2.7 Разбивочные работы должны выполняться в два этапа:
- первый - разбивка (перенесение в натуру, восстановление на местности) и закрепление на местности главных осей сооружения (участка);
- второй - детальная разбивка и закрепление запроектированных точек и линий.
5.2.8 Разбивочные работы должны выполняться в системе координат, принятой в проекте сооружения.
5.2.9 Разбивочные работы должны оформляться соответствующим актом.
5.2.10 Разбивка главных осей на местности должна выполняться лоточкам следующими способами: угловой засечки; замкнутого треугольника; полярных координат; прямоугольных координат; линейной засечки.
Выбор способа разбивки должен производиться в зависимости от принятой в проекте системы координат, расположения участка с учетом рекомендаций, приведенных в таблице 9.
5.2.11 Разбивка главных осей способом угловой засечки должна выполняться на берегу с помощью двух теодолитов.
Положение проектной точки на местности должно определяться одновременным отложением горизонтальных углов из двух опорных пунктов.
Базисом засечки является линия, соединяющая опорные пункты.
Погрешность в положении проектной точки должна рассчитываться по формуле
(17)
где m - погрешность в положении проектной точки, м;
mз - средняя квадратическая погрешность прямой засечки, м;
mа - средняя квадратическая погрешность измерения длины базиса mв и его ориентирования ma, м;
mц.р - средняя квадратическая погрешность от погрешности центровки и редукции, м.
Элементы, входящие в формулу, рассчитываются по формуле:
где mb - средняя квадратическая погрешность отложения углов, рад;
b - длина базиса, м;
b1 и b2 - откладываемые горизонтальные углы, рад;
g = p - (b1 + b2);
где b и g - элементы, входящие в формулу (18);
mв - погрешность измерения длины базиса, м;
b - наибольший из откладываемых горизонтальных углов, рад;
ma - погрешность ориентирования базиса, град;
(20)
где l - величина редукции, м;
g, b1 и b2 - элементы, входящие в формулу (18).
Отложение заданного проектного угла на местности должно выполняться согласно требованиям п. 5.2.
Таблица 9
Рекомендации по применению способов разбивки главных осей участка
|
Место разбивки и закрепления главных осей и рабочих границ участка |
Максимальная удаленность проектных точек от базовых (опорных) пунктов, м |
Основной способ разбивки проектных точек |
Инструмент, применяемый для разбивки |
|
|
Все гидротехнические сооружения, расположенные на акваториях портов, морские и речные подходные и соединительные каналы, фарватеры и гавани |
На берегу |
2000 |
Замкнутый треугольник |
Теодолит |
|
2000 |
Угловая засечка |
Теодолит |
||
|
600 |
Полярные координаты |
Теодолит, измерительная лента, оптический дальномер (ОД) |
||
|
400 |
Прямоугольные координаты |
То же |
||
|
48 |
Линейная засечка |
Две измерительные ленты длиной 48 м. |
||
|
Все гидротехнические сооружения, расположенные на акваториях портов, морские и речные, подходные и соединительные каналы, фарватеры и гавани |
На воде |
более 4000 |
Линейная засечка |
Высокоточные радиодальномерные и спутниковые системы |
|
2000 |
Полярные координаты обратная угловая засечка |
Спутниковая система, секстан |
||
|
400 |
Полярные и прямоугольные координаты |
Теодолит оптический дальномер, промерный трос |
5.2.12 Разбивка главных осей на воде должна производиться следующим способом (рисунок 21):
1 - плавучие опорные пункты; 2 - рабочая бровка канала (фарватера); 3 - ось канала (фарватера); А, В, С - береговые опорные пункты; S1 и S2 - отстояние оси канала (фарватера) от базисной линии, разбитой на воде.
Рисунок 21 - Разбивка главных осей на воде
- вдоль направления канала или фарватера на расстоянии от проектного положения рабочей бровки, не превышающем 100 - 200 м, с интервалом 300 - 400 м выставляются буи (вехи) с буйрепом, имеющим длину, равную глубине места установки, на якорях повышенной держащей силы;
- определяется плановое положение буев (вех) прямой засечкой с трех опорных пунктов или обратной засечкой по четырем опорным пунктам с погрешностью, не превышающей (3 м);
- после нанесения положения выставленных буев (вех) на планшет или план определяется отстояние базисной линии, разбитой на воде, от главных осей (оси канала или бровки) участка работ, по которым с помощью промерного троса и угломерного инструмента производится разбивка главных осей на местности.
5.2.13. При разбивке рабочих границ на местности должны учитываться возможные отклонения базисных буев (вех) от проектного положения, вызванные колебанием уровня воды.
Величина возможного отклонения должна приниматься в соответствии с таблицей 10, а направление отклонения - по направлению ветра или течения.
Таблица 10
Величина отклонения буев (вех) от проектного положения при понижении уровня воды
|
Понижение уровня воды, м |
|||||||
|
0,10 |
0,20 |
0,30 |
0,40 |
0,50 |
0,60 |
0,80 |
|
|
1 |
0,53 |
0,60 |
0,71 |
0,80 |
0,87 |
0,92 |
- |
|
2 |
0,62 |
0,86 |
1,05 |
1,20 |
1,32 |
1,43 |
1,60 |
|
3 |
0,77 |
1,10 |
1,30 |
1,50 |
1,66 |
1,80 |
2,04 |
|
4 |
0,89 |
1,26 |
1,51 |
1,74 |
1,95 |
2,11 |
2,40 |
|
5 |
0,99 |
1,40 |
1,71 |
1,96 |
2,17 |
2,37 |
2,69 |
|
6 |
1,10 |
1,54 |
1,87 |
2,16 |
2,40 |
2,62 |
3,01 |
|
7 |
1,18 |
1,66 |
2,02 |
2,34 |
2,60 |
2,82 |
3,24 |
|
8 |
1,25 |
1,78 |
2,17 |
2,52 |
2,80 |
3,00 |
3,49 |
|
9 |
1,34 |
1,90 |
2,31 |
2,66 |
2,95 |
3,24 |
3,68 |
|
10 |
1,41 |
1,98 |
2,43 |
2,80 |
3,15 |
3,36 |
3,92 |
|
11 |
1,48 |
2,10 |
2,55 |
2,96 |
3,30 |
3,54 |
4,12 |
|
12 |
1,55 |
2,20 |
2,67 |
3,08 |
3,45 |
3,78 |
4,32 |
|
13 |
1,61 |
2,28 |
2,79 |
3,02 |
3,60 |
3,90 |
4,48 |
|
14 |
1,67 |
2,36 |
2,89 |
3,32 |
3,75 |
4,05 |
4,68 |
|
15 |
1,73 |
2,42 |
2,97 |
3,44 |
3,85 |
4,20 |
4,84 |
5.2.14 Способы замкнутого треугольника должны применяться на берегу при повышенной точности разбивки и большом удалении пунктов.
Положение проектной точки на местности находится способом прямой засечки минимум с двух опорных пунктов. Горизонтальный угол (между опорными пунктами измеряется из проектной точки. Угловая невязка вычисляется и распределяется поровну на каждый внутренний угол треугольника или распределяется по значениям каждого угла с учетом их весов. Координаты точки разбивки рассчитываются, сравниваются с их проектными значениями и исправляются поправкой, по которой производится смещение точки в натуре.
Погрешность в положении проектной точки должна вычисляться по формуле:
(21)
где m - погрешность в положении проектной точки, м;
S1 и S2 - расстояния от опорных пунктов до проектной точки, измеренные на местности или снятые с плана, м;
b, g, mb, mb и ma - элементы, входящие в формулы (18), (19) и рисунок 22.
А, В - опорные пункты; S1, S2 - расстояние от проектной точки до опорных пунктов, м; b - длина базиса, м; b1, b2 - утлы, отложенные на местности после решения треугольника, рад; g - исправленный угол между опорными пунктами, измеренный на местности, рад; М1 - фактическое положение проектной точки; М0 - проектное положение проектной точки; Dх и Dу - поправки для перемещения фактической точки, м.
Рисунок 22 - Разбивка точки способом замкнутого треугольника
5.2.15 Способ полярных координат должен применяться при разбивке на берегу и на воде с помощью теодолита. Положение проектных точек на местности должно определяться по горизонтальному углу, отложенному от базиса, и проектному расстоянию, отложенному в данном направлении (рисунок 23).
А и В - опорные пункты; А - базисное направление; b - проектный угол; S - проектное расстояние; М0 - проектная точка
Рисунок 23 - Разбивка точки способом полярных координат
Построение проектного угла и отложение проектного расстояния должны производиться согласно требованиям пунктов 5.2.21 и 5.2.22.
Погрешность в положении проектной точки должна рассчитываться по формуле
(22)
где m - погрешность в положении проектной точки, м;
mм - средняя квадратическая погрешность измерения длины базиса, м;
ms - средняя квадратическая погрешность измерения длины, м;
mb - средняя квадратическая погрешность построения угла, рад;
S - расстояние от опорного пункта до проектной точки, м.
5.2.16 Способ прямоугольных координат должен применяться при разбивке проектных точек на берегу и на воде, если заданное положение проектных точек определяется относительно базисной линии (магистрали), совпадающей с направлением одной из осей координат.
Положение проектной точки должно определяться путем отложения лентой (промерным тросом) в створе базисной линии от начальной точки величины X и величины Y на перпендикуляре, восстановленном в этой точке (рисунок 24).
М1, М2, М3 - проектные точки; DХ1, DХ2, DХ3 - отстояние проектной точки по базисной линии от начальной точки; DY1, DY2, DY3 - отстояние проектной точки от базисной линии; А - начальная точка базисного направления; АВ - базисное направление;
Рисунок 24 - Разбивка проектных точек способом прямоугольных координат
Погрешность в положении проектной точки должна рассчитываться по формуле:
(23)
где m - средняя квадратическая погрешность, м;
mн - погрешность в положении исходной точки, м;
mDx и mDy - погрешность отложения приращения координат, м;
mb - погрешность построения прямого угла, рад.
5.2.17 Способ линейной засечки должен применяться при разбивках на берегу и на воде, если заданы расстояния от проектной точки до опорных пунктов (рисунок 25).
А и В - опорные пункты; М0 - проектная точка; b - длина базиса, м; S1, S2 - расстояние от проектных точек до опорных пунктов, м.
Рисунок 25 - Способ разбивки линейной засечкой
Погрешность разбивки рассчитывается по формуле:
(24)
где Р - полупериметр треугольника, равный
![]()
mн - средняя квадратическая погрешность определения опорного пункта, м;
ms - погрешность отложения расстояния, м.
5.2.18 Разбивка проектной точки на берегу должна производиться двумя измерительными лентами (проволоками) при расстоянии от опорных пунктов до проектной точки менее 48 м или двумя промерными тросами при расстоянии более 48 м.
5.2.19 Разбивка проектной точки на воде должна производиться с помощью высокоточных спутниковых навигационных систем (СНС), обеспечивающих заданную точность разбивки.
5.2.20 Работы по координированию с помощью СНС должны выполняться в соответствии с их программным обеспечением.
5.2.21 Построение проектного горизонтального угла на местности должно выполняться следующим способом (рисунок 26):
a1 - построенный горизонтальный угол при КП; a2 - построенный горизонтальный угол при КЛ; aср - измеренный проектируемый горизонтальный угол; Da - поправка проектируемого угла; X - боковое смещение проектируемой точки; l - расстояние от опорного пункта до проектной точки; a0 - построенный проектный горизонтальный угол АВ - заданное (базисное) направление; В - точка установки инструмента; М0, М1, М2, Мср - точки на местности.
Рисунок 26 - Построение проектного горизонтального угла
- на опорном пункте устанавливается, центруется и ориентируется в заданном направлении теодолит;
- по алидаде устанавливается проектный угол с точностью измерения углов данным теодолитом и наблюдением в зрительную трубу в створе визирной оси фиксируется на местности точка, расположенная на расстоянии 20 - 48 м;
- построение повторяется при другом положении вертикального круга;
- по полученным точкам находится средняя величина построенного угла по формуле:
(25)
где aср - среднее значение измеренного угла, рад;
ai - величина угла при i измерении, рад. Измерение угла производится при круге право (ПК) и круге лево (КЛ);
n - число произведенных измерений угла;
- определяется погрешность угла Da путем сравнения величины построенного угла с проектным, по которой рассчитывается величина бокового смещения проектной точки по формуле:
X = IDa, (25а)
где X - боковое смещение проектной точки, м;
I - расстояние между проектной точкой и опорным пунктом, м;
Da - поправка построенного угла, рад;
- полученное смещение откладывается от средней точки в соответствующую сторону и перпендикулярно направлению от теодолита, и полученная точка закрепляется на местности.
5.2.23 При угле наклона местности, превышающем 5°, проектные длины (расстояния), снятые с плана, должны преобразовываться по формуле
(26)
или
(27)
где Dпр - преобразованная проектная длина (расстояние), м;
dпр - проектная длина (расстояние), снятая с плана, м;
a - угол наклона местности вдоль проектного направления, рад (град);
DН - превышение проектной точки над базовой, м.
5.2.24 Отложение преобразованной проектной длины (расстояния) мерной лентой (проволокой), светодальномером должно производиться от центра опорного пункта по провешенному заданному направлению и закрепляться на местности.
После повторного измерения отмеченной длины (расстояния) должна определяться поправка путем сравнения отложенной длины (расстояния) с проектной, которая должна откладываться от конечной точки.
5.2.25 Отложение проектной длины (расстояния) оптическим дальномером должно производиться следующим способом:
- по проектному направлению (створу) на расстоянии, приблизительно равном проектной преобразованной длине, от опорной точки устанавливается рейка и производится измерение этого расстояния с заданной точностью;
- путем сравнения проектной длины (проектного расстояния) с измеренной определяется поправка, которая откладывается от места установки рейки. Выбор инструмента для измерения длины должен производиться в зависимости от местных условий и требований точности по данным таблицы 11.
Таблица 11
Перечень инструментов для измерения длины линии на местности и их точность
|
Диапазон измерения расстояния, м |
Относительная погрешность измерения |
|
|
Оптические дальномеры |
||
|
ОТД |
от 35 до 400 от 35 до 700 |
1:5000 1:5000 - 1:2000 |
|
ДН-10 |
от 20 до 200 |
1:1000 |
|
ДН-04 |
от 10 до 120 |
1:2500 |
|
ДНР-06 |
от 20 до 200 |
1:1600 |
|
ДВ-20 |
от 17 до 60 |
1:1500 |
|
ДВ-20 |
от 60 до 120 |
1:1200 |
|
ДВ-20 |
от 120 до 300 |
1:600 |
|
Светодальномеры |
||
|
2СМ2 |
от 2 до 2000 |
1:5000 |
|
Блеск-2 |
от 2 до 5000 |
1:5000 |
|
Тахеометры |
||
|
Та 5 |
до 1000 |
1:3000 |
|
Нитяной дальномер |
от 120 до 250 |
1:300 |
|
Стальная лента |
от 0 до 1000 |
от 1:1000 до 1:3000 |
5.2.26 Продление створной линии должно выполняться следующим способом:
- теодолит устанавливают в одной из точек створной линии и производят его нивелирование и центрирование;
- зрительную трубу наводят на вешку, стоящую на створной линии, а затем переводят трубу через зенит и по визирной оси теодолита устанавливают дополнительную вешку;
- операция повторяется при другом положении вертикального круга;
- находится средняя точка между двумя дополнительными вехами, которая будет лежать на линии створа.
5.2.27 Проложение на местности линий большой протяженности в заданном направлении должно выполняться способом:
- на опорном пункте устанавливают теодолит и определяют проектный угол согласно требованиям п. 5.2.21;
- после построения проектного угла на местности микрометрическим винтом при алидаде зрительную трубу устанавливают так, чтобы визирная ось трубы совпала с построенным на местности проектным направлением. Линию провешивают по визирной оси трубы с помощью вешек, установленных друг от друга на расстоянии не более 200 м.
Продление провешенной линии должно производиться в соответствии с требованиями п. 5.2.26.
5.3.1 При ограждении рабочей прорези для папильонажных земснарядов на коротких прибрежных морских подходных каналах или каналах, расположенных в устьевых участках рек или на акваториях портов, границы рабочей прорези закрепляют береговыми створными вехами (рисунок 27).
Рисунок 27 - Схемы разбивки рабочих прорезей для прибрежных участков:
а) - на канале, расположенном вблизи берега; б) - на акватории порта.
Рабочие бровки каналов закрепляют двумя параллельными створами вех, установленными на берегу по ширине рабочей прорези, а на акватории створы выставляют по контуру углубленного участка (рисунок 27).
Межстворное расстояние должно обеспечивать величину уклонения от оси створа вех не более 2,0 м. В зависимости от дальности действия бровочного створа устанавливают величину разноса вех и размеры фигур в соответствии с данными, приведенными в таблице 12.
Таблица 12
Величина разноса между вехами бровочных створов и размеры топовых фигур
|
Дальность действия створа, км |
||||||||
|
0,5 |
1,0 |
1,5 |
2,0 |
2,5 |
3,0 |
3,5 |
4,0 |
|
|
Межстворное расстояние, м |
30 |
150 |
350 |
- |
- |
- |
- |
- |
|
- |
- |
660 |
1110 |
1180 |
2250 |
3340 |
450 |
|
|
Размер «а» (рисунок 20) для топовой фигуры, м |
не менее 0,6 |
не менее 1,2 |
||||||
Примечания:
1. В числителе показан разнос вех для невооруженного глаза, в знаменателе - для глаза, вооруженного шестикратным биноклем.
2. При пользовании биноклем с другой кратностью увеличение разноса между створами должно рассчитываться по формуле
(28)
где d - межстворное расстояние, км;
Р - допустимое боковое уклонение створа, м;
D - дальность действия створа, км;
n - кратность бинокля.
5.3.2 В ночное время бровочные знаки должны быть освещены постоянными огнями, цвет огней должен соответствовать цвету огней знаков, ограждающих бровки канала.
5.3.3 Перенос знаков может осуществляться только промерной (гидрографической) партией, обслуживающей объект, на котором производятся дноуглубительные работы.
5.3.4 На каналах, значительно удаленных от береговой черты (более 4 км), разбивку рабочей ширины прорези (Вр) производят от ведущего створа (рисунок 28, а) или линии геодезической магистрали, расположенной за пределами бровки (рисунок 28, б). Закрепление рабочей ширины производят на воде с помощью забивных в грунт дна вех или плавучих вех.
Рисунок 28 - Схемы разбивки и закрепления прорезей каналов
а) - на канале с ведущим створом;
б) - на канале без ведущего створа
Для увеличения чувствительности ведущего створа временно вбивают осевую веху на оси створа перед участком дноуглубительных работ (рисунок 28, а). Веху устанавливают со шлюпки, стоящей на двух якорях, в точке, в которой знаки должны быть состворены. Наблюдение за створом ведется в бинокль с большим увеличением.
Границы рабочей прорези разбивают в следующей последовательности: на расстоянии 300 - 500 м от начала работы земснаряда распускают со шлюпки Б промерный трос под углом 90° к оси створа; со шлюпки А по натянутому тросу отмеряют расстояние полуширины прорези - (1/2Вр) и последовательно в ту и другую сторону от оси выставляют вехи рабочих створов. Этим же способом устанавливают вторую и третью пару вех с интервалом 500 - 1000 м.
При отсутствии на канале ведущего створа разбивку границ рабочей прорези производят промерным тросом от линии магистрали (рисунок 28, б), находящейся на берегу, дамбе или надводной свалке грунта, расположенных вдоль трассы канала. Пункты магистрали определяют теодолитным ходом.
Выставленные вехи вдоль бровки должны составлять линии рабочих створов, расположенных параллельно оси канала.
На мелководных каналах с глубиной до 5 м следует устанавливать деревянные забивные вехи, на глубоководных каналах - рейсвехи или плавучие деревянные или металлические вехи.
Забивная веха представляет собой деревянную сваю толщиной 8 - 12 см и длиной в зависимости от глубины постановки. Сваи забивают в грунт деревянной ручной бабой. При плотном грунте для удержания сваи от всплытия к ней дополнительно крепят груз (камень, цепь и т.п.) весом 30 - 50 кг на 50 - 80 см выше заостренной части. После забивки сваи к шесту крепят топовую фигуру с устройством для крепления фонаря. Высота топовой фигуры над уровнем поверхности воды должна быть принята с учетом подъема горизонта воды и высоты волны.
Плавучие знаки и рейсвехи для обозначения границ рабочих бровок глубоководных каналов устанавливают на натянутом якорном тросе (панер) или короткой якорной цепи.
5.3.5 Разбивка рабочей прорези канала, применяемая в практике работы самоотвозных землесосов, предусматривает три типовые схемы:
- для мелководных каналов;
- для глубоководных каналов, имеющих ограниченную сеть опорных пунктов;
- для глубоководных каналов, имеющих развитую опорную сеть.
5.3.6 Закрепление границ рабочей прорези на местности производят установкой рейсвех, створов буев (вех) на углах разрабатываемого участка (рисунок 29).
5.3.7 На мелководных каналах с забровочными глубинами до 6 м линию рабочей бровки обозначают створом вех, установленных на участке дноуглубительных работ через 200 ... 300 м друг от друга (рисунок 29, а).
Расстояние от оси ведущего створа до створа вех рабочих бровок устанавливают в зависимости от ширины рабочей прорези и расположения грунтозаборного устройства землесоса относительно диаметральной плоскости судна.
При бортовом расположении грунтозаборного устройства створ вех устанавливают от оси канала на расстоянии, равном половине рабочей ширины канала (В) плюс 2 ... 3 м допуска на чистоту разработки прорези (1/2Вр + 3).
На рисунке 29а такая разбивка показана у правой бровки канала.
При расположении грунтозаборного устройства в диаметральной плоскости землесоса (рисунок 29, а) у левой бровки створ вех устанавливают от оси канала на расстоянии, равном половине суммы рабочей ширины канала и землесоса (Взем) плюс 2 ... 3 м допуска [1/2(Вр + Взем) + 3].
Рисунок 29 - Схемы выноса в натуру и закрепления границ рабочей прорези для работы самоотвозных землесосов с установкой:
а) - рейсвех; б) - светящих буев на каналах с ведущими створами; в) - светящих буев на каналах без ведущих створов; г) - светящих буев в углах разрабатываемого участка.
5.3.8 На глубоководных каналах с большими забровочными глубинами границы рабочей прорези обозначают створом двух святящихся буев (рисунок 29, б и в) на каждой бровке и по одному светящему бую на бровках концевого участка прорези.
Буи выставляются на коротком буйрепе (панере) с утяжеленной якорной цепью.
5.3.9 На глубоководных каналах, на которых установка вех и других бровочных знаков не обеспечивает точность определения места на бровке, но район имеет развитую сеть опорных пунктов, целесообразно разбивку и обозначение границ участка производить четырьмя светящимися буями, устанавливаемыми в вершинах углов разрабатываемой прорези (рисунок 29, г).
5.3.10 При наличии на землесосе спутниковой системы позиционирования на плане участка дноуглубительных работ наносится ограничительная курсовая линия, соответствующая бровочной линии рабочей прорези, по которой должно двигаться грунтозаборное устройство. При этом бровочные знаки могут не выставляться.
Могут устанавливаться только знаки в вершинах углов разрабатываемой прорези.
5.4.1 Место отвала (свалки) грунта и его границы устанавливаются проектом или техническим заданием на дноуглубительные работы.
5.4.2 На мелководных и с ограниченной емкостью отвалах (свалках) с целью контроля их состояния и расчета проходных глубин на отвалах (свалках) и подходах к ним должен выполняться контрольный промер в сроки, установленные в п. 2.2.7, с подробностью согласно требованиям пункта 2.3.3.
По материалам контрольного промера должен составляться план промера отвала (свалки) грунта с нанесением его границ и рекомендуемого подхода к нему, должны указываться его проходная глубина и система ограждения отвала и подхода к нему.
План промера должен выдаваться на земснаряд и грунтоотвозные суда.
5.4.3 Проходная глубина на отвале (свалке) и подходах к нему должна рассчитываться по формуле:
Нпр = Нф - (Z0 + Z1 + Z2 + Z3), (29)
где Нпр - проходная глубина на отвале (свалке) и подходах к нему, м;
Нф - фактическая глубина, м;
Z0 - запас на крен судна, м;
Z1 - навигационный запас под килем, необходимый для обеспечения управляемости судна, м;
Z2 - волновой запас, м;
Z3 - скоростной запас на изменение осадки судна на ходу, м.
Фактическая глубина определяется из выражения:
Нф = Н ± DНур, (30)
где Н - наименьшая глубина на отвале (свалке) и подходах к нему, м;
DНур - фактическое положение уровня воды относительно нуля глубин, м.
Значения Z0, Z1 Z2, Z3 должны приниматься по таблицам 13 - 16.
5.4.4 Границы отвала (свалки) и подходных путей к нему должны ограждаться плавучими знаками.
При отсыпке грунта из трюмов шаланд или землесосов в котлованы гидротехнических сооружений границы котлованов ограждаются створными знаками, не мешающими маневрированию шаланды (землесоса) и обеспечивающими точность отсыпки грунта.
5.4.5 Подводные отвалы (свалки) грунта для рефулирования по плавучему или подвесному грунтопроводам должны ограждаться по продольной оси отвала (свалки).
5.4.6 Границы береговых мест отвалов (свалок) грунта должны разбиваться с помощью геодезических приборов. При намыве территории на ней должны устанавливаться визитки (рейки), указывающие проектную отметку намыва.
Таблица 13
Навигационный запас глубины Z1
|
Запас глубины под килем, м |
|
|
Ил |
0,04T |
|
Песок, ракушка, гравий |
0,05Т |
|
Плотный слежавшийся грунт (песок, глина), скала |
0,06T |
|
Скальный грунт, валуны, сцементированные породы (песчаники, известняки, мел и др.) |
0,07Т |
|
Примечание. Т - осадка судна с учетом выступающих за пределы корпуса судна грунтовых дверец |
|
Таблица 14
Волновой запас глубины Z2 при волнении или попутном волнении
|
Длина судна, м |
Волновой запас при высоте волны 3 %-ой обеспеченности, м |
||||
|
0,5 |
1,0 |
1,5 |
2,0 |
2,5 |
|
|
75 |
0 |
0,05 |
0,20 |
0,35 |
0,55 |
|
100 |
0 |
0,05 |
0,15 |
0,25 |
0,40 |
|
150 |
0 |
0 |
0,05 |
0,15 |
0,25 |
При косом направлении волны относительно движения судна табличные значения необходимо умножить на коэффициенты:
при 0° £ j £ 15° К1 = 1,0;
при 15° £ j £ 35° К1 = 1,4;
при 35° £ j £ 90° К1 = 1,7.
Таблица 15
Относительный скоростной запас глубины Z3/B
|
Скорость судна |
Минимальная глубина на отвале (свалке) подходе, м |
||||||
|
уз |
м/с |
2 |
4 |
6 |
8 |
10 |
12 |
|
2 |
1,0 |
0,0025 |
0,0025 |
0,0025 |
0,0025 |
0,0025 |
0,0025 |
|
3 |
1,6 |
0,0050 |
0,0025 |
0,0025 |
0,0025 |
0,0025 |
0,0025 |
|
4 |
2,1 |
0,0100 |
0,0050 |
0,0030 |
0,0025 |
0,0025 |
0,0025 |
|
5 |
2,6 |
0,0175 |
0,0075 |
0,0050 |
0,0030 |
0,0030 |
0,0025 |
|
6 |
3,1 |
0,0275 |
0,0100 |
0,0075 |
0,0060 |
0,0050 |
0,0030 |
|
7 |
3,6 |
0,0400 |
0,0150 |
0,0100 |
0,0080 |
0,0075 |
0,0050 |
|
8 |
4,1 |
0,0500 |
0,0250 |
0,0125 |
0,0100 |
0,0080 |
0,0050 |
|
9 |
4,6 |
0,0650 |
0,0300 |
0,0175 |
0,0130 |
0,0100 |
0,0070 |
|
10 |
5,2 |
- |
0,0475 |
0,0250 |
0,0175 |
0,0130 |
0,0100 |
|
11 |
5,7 |
- |
0,0650 |
0,0350 |
0,0220 |
0,0170 |
0,0125 |
|
12 |
6,2 |
- |
- |
0,0420 |
0,0270 |
0,0200 |
0,0150 |
|
Примечание. В - ширина судна, м; Z3 - запас глубины на скорость движения судна, м. |
|||||||
Таблица 16
Величина запаса глубины на крен судна Z0, м
|
Крен судна, град |
||||
|
2 |
4 |
6 |
8 |
|
|
10,0 |
0,17 |
0,35 |
0,52 |
0,70 |
|
12,0 |
0,21 |
0,42 |
0,63 |
0,84 |
|
14,0 |
0,24 |
0,48 |
0,73 |
0,97 |
|
16,0 |
0,28 |
0,56 |
0,84 |
1,11 |
|
18,0 |
0,31 |
0,63 |
0,94 |
1,25 |
5.5.1 Для безопасности работы судов земкаравана в районах работы земснаряда, грунтоотвозных шаланд и обслуживающих судов, а также на отвалах (свалках) грунта и подходах к ним должно быть произведено траление на обнаружение подводных препятствий. Целесообразность и способ траления в указанных районах определяется заказчиком дноуглубительных работ.
5.5.2 Траление производят по всей площади рабочих участков. Перед началом траления все известные подводные препятствия должны быть обозначены на воде.
Траление открытых участков производят мягким тралом двумя катерами.
Протраленные полосы с заходом на 1/4 ширины соседней полосы должны последовательно перекрывать всю площадь. Траление выполняют двукратно, в прямом и обратном направлении.
На участках с ограниченным забровочным пространством и участках с выходом скальных пород, отдельно лежащих камней, затонувших предметов, возвышающихся над дном неубранных свай траление должно проводиться жестким тралом.
Затраленные предметы обозначаются буйком и обследуются водолазами.
Если предмет не может быть поднят, но представляет опасность для обслуживающих судов земкаравана, это место ограждают знаком по системе международной ассоциации маячных служб (МАМС).
Все неподнятые подводные препятствия наносятся на планшет (план) разрабатываемого участка.
5.5.3 Результаты траления и водолазного обследования оформляются актом с участием исполнителя траления, водолаза и заказчика.
К акту прилагается планшет (план) расположения подводных препятствий. О результатах траления должен быть проинформирован капитан порта.
5.6.1 Предварительный промер выполняется с целью получения исходных данных для расчета планируемого объема дноуглубительных работ, а также для определения толщины снимаемого слоя грунта при установлении эффективного технологического режима грунтозабора.
Сроки проведения предварительного промера устанавливаются в соответствии с таблицей 1.
При невозможности выполнения предварительного промера в сроки, указанные в таблице 1, допускается в качестве предварительного промера использовать последний промер, если контрольной проверкой не будет обнаружено существенное изменение глубин.
5.6.2 Планируемый объем дноуглубительных работ и объем допускаемого перебора рассчитываются по формулам:
; (31)
объем допускаемого перебора:
Vпер = (Вр + 2DВg)Lуч×DНg. (32)
Для приближенного подсчета объема выемки грунта может быть применена формула:
V = Вр×Lуч×Dhуч, (33)
где S; S1; S2 … Sn - площадь поперечного сечения выемки на профиле, м2, определяется по формуле:
где Нo - проектная глубина прорези, м;
Вр - рабочая ширина прорези, м;
Н1, Н2, ... Нn - фактическая глубина на профиле выемки по данным предварительного промера, м;
V - объем выемки, м3;
L - расстояние между пикетами, м;
Lуч - длина участка, подлежащего разработке, м;
DВg - допуск по ширине прорези, м;
DНg - допуск по глубине прорези, м;
Dhуч - средний снимаемый слой на участке, м;
l - расстояние между точками промера, м.
5.6.3 Средняя толщина снимаемого слоя грунта определяется по данным предварительного промера и проектной глубине в границах проектной ширины прорези.
Толщина снимаемого слоя на каждой точке промера будет равна
Dh = Нo - Нi…n (34а)
Средняя толщина снимаемого слоя для каждого поперечного профиля выемки определяется по одной из формул:
- по сумме снимаемого слоя
(35)
- по сумме глубин до черпания
(36)
Средняя толщина снимаемого слоя на участке дноуглубительных работ определяется по средним данным каждого поперечного профиля выемки по формуле:
где Dh, Dh1, Dh2, ... , Dhn - толщина снимаемого слоя в данной точке, м;
Dhср, Dhср1, Dhср2, … , Dhсрn - средний снимаемый слой на данном профиле выемки, м;
n - количество точек измеренных глубин на профиле.
Пример определения среднего снимаемого слоя на участке дноуглубительных работ приведен в таблице 17.
Таблица 17
Пример расчета средней толщины снимаемого слоя на участке канала на пикетах 2000 - 3200 м при Во = 80 м и Но = 7,00 м
|
Номер точки |
Пикет, м |
||||||||||||||
|
2000 |
2200 |
2400 |
2600 |
2800 |
3000 |
3200 |
|||||||||
|
Н |
Dh |
Н |
Dh |
Н |
Dh |
Н |
Dh |
Н |
Dh |
Н |
Dh |
Н |
Dh |
||
|
40 |
1 |
6,35 |
0,65 |
6,20 |
0,80 |
6,25 |
0,75 |
6,30 |
0,70 |
6,40 |
0,60 |
6,50 |
0,50 |
6,45 |
0,55 |
|
30 |
2 |
6,40 |
0,60 |
6,30 |
0,70 |
6,40 |
0,60 |
6,50 |
0,50 |
6,30 |
0,70 |
6,40 |
6,60 |
6,50 |
0,50 |
|
20 |
3 |
6,75 |
0,25 |
6,60 |
0,40 |
6,55 |
0,45 |
6,60 |
0,40 |
6,50 |
0,50 |
6,65 |
0,35 |
6,60 |
0,40 |
|
10 |
4 |
6,70 |
0,30 |
6,80 |
0,20 |
6,75 |
0,25 |
6,70 |
0,30 |
6,65 |
0,35 |
6,70 |
0,30 |
6,65 |
0,35 |
|
0 |
5 |
6,80 |
0,20 |
6,90 |
0,10 |
6,90 |
0,10 |
6,70 |
0,30 |
6,80 |
0,20 |
6,80 |
0,20 |
6,70 |
0,30 |
|
10 |
6 |
6,60 |
0,40 |
6,70 |
0,30 |
6,60 |
0,40 |
6,45 |
0,55 |
6,60 |
0,40 |
6,70 |
0,30 |
6,40 |
0,60 |
|
20 |
7 |
6,55 |
0,45 |
6,40 |
0,60 |
6,45 |
0,55 |
6,30 |
0,70 |
6,30 |
0,70 |
6,40 |
0,40 |
6,35 |
0,65 |
|
30 |
8 |
6,30 |
0,70 |
6,25 |
0,75 |
6,30 |
0,70 |
6,25 |
0,75 |
6,25 |
0,75 |
6,30 |
0,70 |
6,20 |
0,80 |
|
40 |
9 |
6,10 |
0,90 |
6,15 |
0,85 |
6,00 |
1,90 |
6,10 |
0,90 |
6,20 |
0,80 |
6,20 |
0,90 |
6,05 |
0,95 |
|
åАhср по формуле |
n = 9 |
|
4,45 0,49 |
|
4,70 0,52 |
|
4,80 0,54 |
|
5,10 0,56 |
|
5,00 0,55 |
|
4,25 0,47 |
|
5,10 0,56 |
Средний снимаемый слой по участку
![]()
5.7.1 В процессе производства дноуглубительных работ промерная (гидрографическая) партия должна осуществлять контроль за качеством выработки прорези (глубина, ширина) путем производства контрольных промеров между приемными сроками.
При контроле проверяется:
- исправность рабочей водомерной рейки и соответствие положения ее нуля относительно нуля глубин, своевременность получения информации по радио с поста колебания уровня или по радиорейке, правильность введения поправок на уровень;
- положение бровочных створов, вех или буев и их исправность;
- чистота выработки ширины прорези по дну в соответствии с установленными рабочими створами.
5.7.2 При работе самоотвозных землесосов контрольный промер производят в обязательном порядке поперечными галсами и его результаты наносят на план промеров. На плане должны быть показаны: проектная глубина, ширина и изобата по достигнутой проектной глубине. При площадной съемке промер может производиться продольными галсами.
Недоработанные до проектных отметок глубин участки прорези заштриховываются. План прорези передается багермейстеру землесоса, который устанавливает дальнейший порядок работы землесоса, руководствуясь этим планом.
Пример плана показан на рисунке 30.
Рисунок 30 - Образец оформления плана контрольного промера
При наличии на землесосе приемоиндикатора спутниковой навигационной системы, аналогичной системе исполнителя промера (работа в одной системе координат), и программного обеспечения, способного работать сданными исполнителя промера, после контрольного промера его результаты на информационном носителе передаются на земснаряд для использования в процессе доработки углубляемого участка.
5.7.3 На папильонажных земснарядах заданные габариты могут контролироваться вахтенной службой путем измерения глубин с борта земснаряда или шлюпки.
При этом проверяют:
- выработку бровок;
- глубину на бровках и в средней части прорези;
- глубину выработанной части.
Глубина за корпусом земснаряда должна быть не менее проектной по всей заданной ширине прорези по дну. Результаты замеров записываются в рабочем журнале земснаряда.
5.7.4 Сроки контроля за качеством дноуглубительных работ устанавливают с равными интервалами между сроками приемки работ с учетом местных условий и производительности земснаряда, но не реже чем через 5 дней после предыдущего контроля.
5.8.1 Порядок приема и сдачи дноуглубительных работ устанавливается в соответствии с требованиями действующего РД 31.74.08-94 «Техническая инструкция по производству морских дноуглубительных работ».
Прием и сдача дноуглубительных работ производится на основании исполнительного промера, выполненного после дноуглубительных работ в установленные сроки.
5.8.2 Исполнительный промер должен удовлетворять следующим основным требованиям:
- промер должен выполняться тем же способом, по тем же пикетам, по которым был выполнен предварительный промер, соблюдая условия совмещения точек промера и сохраняя равноценную точность измерения глубин;
- промером должна охватываться вся площадь дноуглубительной выемки грунта с учетом зоны формирования откосов на бровках и на пикетах «начало» и «конец» работ;
- точки промера следует размещать на промерных галсах с установленной подробностью (таблица 2).
5.8.3 По исполнительному промеру определяют чистоту выработки прорези относительно проектных габаритов при заданных допусках.
Недобор по глубине свыше 10 см является браком в работе земснаряда и должен быть устранен по требованию заказчика, генподрядчика.
Перебор по глубине сверх заданного допуска фиксируется как бросовая работа и в расчет объема выполненных работ не включается, в объем выполненных работ включают только глубины до проектных отметок плюс допустимый перебор.
Недобор по ширине заданной проектной выемки не допускается. Допуски на чистоту выработки выемки за пределами рабочей ширины прорези в каждую сторону не должны превышать норм, установленных проектом или техническим заданием.
5.8.4 При большой концентрации взвешенных частиц грунта на участке дноуглубительных работ рекомендуется исполнительный промер выполнять эхолотом на низких частотах до 30 кГц с выполнением контрольного промера в отдельных точках наметкой или лотом.
В случае отклонения измеренных глубин эхолотом от глубин, измеренных наметкой или лотом, на величину, превышающую установленную точность измерения глубин, промер следует выполнять наметкой или лотом.
Концентрация взвешенных частиц грунта в воде, не влияющая на точность измерения глубин, должна указываться в технической документации эхолота.
5.8.5 Объем извлеченного грунта должен определяться на основе совмещения промерных галсов предварительного и исполнительного промеров.
Расчет объема разделяют на две операции: определение площади поперечного сечения и определение объема выемки. При расчете выбирается одна из формул, удовлетворяющая конкретным условиям промера и состояния выемки.
5.8.6 Расчет площади (S) поперечного сечения выемки грунта. Расстояния между точками промера - не равные (формула в общем виде):
S = 1/2[Dh1×I1 + (Dh1 + Dh2)I2 + ... + (Dhn-1 + Dhn)In + DhnIn+1] (38)
Расстояния между точками промера - равные:
- по снимаемому слою:
S = I(Dh1 + Dh2 + ... + Dhn-1 + Dhn); (39)
- по сумме глубин до и после дноуглубительных работ:
S = I[(Н1 + Н2 + ... Нn) - (Н¢1 + Н¢2 + ... Н¢n)] (40)
Длина галсов ограничена, т.е. дальнейший откос не включается в объем:
S = I×((Dh1 + Dhn)/2 + Dh2 + ... + Dhn-1), (41)
где Dh1, Dh2, Dh3, ... , Dhn - разность отметок глубин до и после дноуглубительных работ, м;
I1, I2, I3, … In - расстояние между точками промера, м;
Н1, Н2, ... , Нn и Н¢1, Н¢2, ... , Н¢n - глубины, соответственно, исполнительного и предварительного промеров, м.
При расчетах площадей поперечного сечения выемок должны включаться глубины, или приращение глубин всех точек, удаленных от рабочих границ прорези на расстояние, указанное в таблице 3.
5.8.7 Расчет объема выемки грунта
Расстояния между пикетами - не равные (формула в общем виде):
V = 1/2[(S1 + S2)L1 + (S2 + S3)L2 + ... + (Sn-1 + Sn)Ln-1]. (42)
Расстояния между пикетами - равные:
При промежуточном определении объема временно может включаться непромеренный участок. В этом случае формула принимает вид:
- после промера последующего пикета
- после промера последующего пикета (Sn-1) объем между пикетами n и n + 1, включаемый в последующую декаду, рассчитывается по формуле
В объеме извлеченного грунта учитывается объем, образованный за счет откосов при врезке земснаряда и концевого участка:
где V - объем выемки дноуглубительных работ, м3;
Vк - объем откосов концевого участка, м3;
Vвр - объем откосов от врезки земснаряда, м3;
S1, S2, ... , Sn - площадь поперечного сечения профилей, рассчитанная по формулам (38 - 41), м2;
L1, L2, ... , Ln - расстояние между пикетами при неравных интервалах, м;
L - расстояние между интервалами при равных расстояниях, м;
а, а1, ... , аn - расстояние от промеренного пикета до нижней бровки откоса врезки или концевого участка, м;
b1, b2, ... , bn - расстояние по горизонтали от нижней до верхней бровки откоса врезки или концевого участка выемок, м.
Расчетные формулы площадей и объемов выемки с примерами расчета приведены в приложении Е.
5.8.8 Расчет объемов дноуглубительных работ в автоматизированном режиме производится на основе цифровой модели рельефа дна в программах Irap GeoSea или Cfloor. Все расчеты производятся в прямоугольной системе координат UTM (универсальная поперечная проекция Меркатора). Предварительный объем рассчитывается по заданным в прямоугольных координатах границам участка дноуглубительных работ (УДР).
Прямоугольные координаты должны задаваться с точностью до 0,1 м. Границы УДР с указанием проектной глубины получают и записывают в файл либо с планшета промера глубин с нанесенными на него вручную, границами оцифровывая их с помощью дигитайзера (графического планшета), либо оцифровывая их в программе Merlin, Neptune или Cfloor на экране компьютера. После этого, накладывая границы УДР с указанием проектной глубины на цифровую модель рельефа дна, вычисляют предварительный объем дноуглубительных работ. Заказчику передаются на магнитном носителе файлы с границами УДР и файл со значениями глубин в стандартном формате файла чертежа AutoCad. Также ему передается техническое задание на производство дноуглубительных работ в бумажном виде в масштабе 1:500 или 1:1000 для причалов и акваторий и 12000 для всех остальных объектов ДР.
5.8.9 Исполнительный объем рассчитывается сравнением (наложением друг на друга) цифровых моделей рельефа дна произведенных промеров глубин перед производством дноуглубительных работ и после него.
5.8.10 Необходимо для контроля качества выполненных вычислений и для отчетности вручную обычным способом рассчитывать объем выполненных дноуглубительных работ. Для частичной автоматизации вычислений и хранения документации можно использовать электронные таблицы (Ехсеl) на РС.
5.8.11 Прием габаритов после дноуглубительных работ производится путем обязательного анализа плана исполнительного промера с нанесением изобаты достигнутой проектной глубины и ширины.
Проектные границы выемки считаются выдержанными, если они совпадают с изобатой или проходят по ее внутренней стороне.
Глубины внутри контура выемки должны быть равными или более проектных.
Затем, последовательно просматривается каждый промерный галс между проектными изобатами, устанавливается меньшая глубина и ширина всего принимаемого объекта или участка.
5.8.12 На основании исполнительного промера должен составляться акт сдачи-приемки, в котором указываются наименьшая ширина и глубина участка, объем выполненных дноуглубительных работ. К акту должны прилагаться план промера с глубинами до и после дноуглубления и ведомость подсчета объема выполненных дноуглубительных работ.
5.8.13 По результатам анализа плана промера должно быть составлено донесение на имя капитана порта для оповещения мореплавателей об изменении глубины и ширины на данном объекте в связи с выполненными дноуглубительными работами.
В донесении сообщают: объект (участок), навигационную глубину и ширину, а также пикет невыдержанных габаритов относительно оси створа или бровки канала и другие уточняющие данные.
Донесение подписывается исполнителями промеров.
Форма донесения показана в приложении Ж.
5.8.14 По окончании дноуглубительных работ вся рабочая обстановка должна быть убрана, штатное навигационное оборудование устанавливается на свои места, о чем также сообщается в донесении.
6.1.1 Обработка результатов промера по данным непосредственных измерений имеет целью составление плана промера (планшета), используемого для дноуглубительных целей и обеспечения безопасности судоходства на каналах, фарватерах и акваториях портов.
6.1.2 Обработка материалов промера должна включать следующие работы:
- вычисление координат пунктов плановой основы промера;
- вычисление отметки нуля водомерного поста;
- подготовку отчетных планшетов;
- исправление измеренных расстояний;
- установление количества промерных точек на галсе и разбивку их на планшете;
- распечатку глубин;
- составление планов промера.
Отдельные пункты указанных работ выполняются полностью или частично в зависимости от содержания работы по промеру объекта.
6.1.3 Обработка должна начинаться с заполнения рабочих журналов, просмотра глубин с дискеты на компьютере с целью выявления возможных «всплесков» или «провалов» линии дна на эхограмме самописца или плоттере (принтере).
Неполные или неясные записи и установленные отступления от правил ведения документации и выявленные отклонения должны заноситься в перечень замечаний для выявления истинных величин в ходе дальнейшей обработки.
6.1.4 Обработка материалов должна производиться с систематическим и надежным контролем на всех ее этапах.
Все проверки должны производиться другими лицами.
Лицо, обрабатывающее материалы, должно хорошо знать способы промера, планового определения места, высотной привязки глубин и общую последовательность выполнения всего комплекса работ.
6.1.5 Вычислительные и графические работы должны выполняться в две руки. Если работы, выполненные в процессе промера (прокладка галсов, определение места измерения глубин и др.), проводились с контролем, т.е. могут быть приняты как материалы второй руки, то окончательную обработку материалов этих работ выполняют в одну руку.
6.1.6 При считке (сверке) результатов вычислений расхождения на одну единицу последнего знака должны исправляться в вычислениях второй руки.
При больших расхождениях для обнаружения ошибки должна производиться сверка промежуточных расчетов.
6.2.1 Вычисление координат пунктов рабочего обоснования должно выполняться в следующей последовательности:
- предварительные вычисления, включающие проверку журналов измерения линий, горизонтальных направлений (углов), вертикальных углов, центровочных листов, выписку из журналов измерения направлений и элементов приведений в специальные ведомости, составление схемы измерений направлений, вычисление поправок направления за центровку и редукцию, вычисление значений приведенных направлений, вычисление поправок и вывод окончательных длин измеренных линий;
- уравнительные вычисления;
- вычисление координат пунктов рабочего обоснования.
6.2.2 Журналы и центровочные листы при окончательной обработке должны проверяться полностью, если не производилась проверка во вторую руку в поле, или выборочно в количестве не менее 10 % при проведении проверки в поле.
В журналах угловых измерений должны производиться полевые записи отсчетов по горизонтальному и вертикальному кругам теодолитов, все вычисления, включая выводы средних значений углов по приемам.
В центровочных листах должна проверяться полнота данных для определения элементов центровки и редукции, правильность измерения и выписки линейных и угловых элементов приведения, соответствие между измеренным и определенным графически контрольными углами, правильность названий направлений, к которым относятся элементы приведений.
Все обнаруженные ошибки должны исправляться красными чернилами, и около каждого исправления проверяющее документ лицо должно ставить свою подпись и дату. Кроме того, на специально отведенном месте проверяемого документа делается отметка о проверке с отчетливой подписью проверяющего лица.
6.2.3 Поправки и измеренные направления за центровку I² и редукцию r² должны рассчитываться по формулам:
I² = P/D, (49)
r² = P1/D, (50)
где D - расстояние между пунктами, км;
|
Р = 206×I×sin(М + q) |
Выбирают по таблицам приложения 3 аргументам I, q и М; |
|
Р1 = 206×I1×sin(М + q1) |
I и I1 - линейные элементы центровки и редукции, м;
q и q1 - угловые элементы центровки и редукции (измеряются от направления на центр знака до начального направления по часовой стрелке), град;
М - измеренное направление, град.
Знаки поправок I² и r² определяются знаками величин sin(М + q) или sin(М + q1). Вычисление поправок должно производиться в табличной форме в соответствии с таблицей 18.
Расчет поправок за центровку и редукцию
|
Элементы приведения, название пунктов и направлений |
D, км |
М |
М + q |
I² |
М + q1 |
r² |
|
Дугово, веха |
|
|
|
|
|
|
|
I = 0,04 м; I1 = 0,06 м; |
|
|
|
|
|
|
|
q = 203°; q1 = 28°30¢ |
|
|
|
|
|
|
|
Дубки, сигнал |
3,89 |
0°00¢ |
203°30¢ |
-1 |
28°30¢ |
+2 |
|
Морская пирамида |
4,89 |
265°57¢ |
109°27¢ |
+2 |
294°37¢ |
-2 |
|
I = 0,04 м; I2 = 0,05 м; |
|
|
|
|
|
|
|
q = 203°30¢; q2 = 30°40¢ |
|
|
|
|
|
|
Поправки за центровку и редукцию могут не учитываться, если отношение линейных элементов приведения к наиболее короткой стороне для аналогичных сетей рабочего обоснования менее 1:50000, для съемочных сетей рабочего обоснования - менее 1:10000.
6.2.4 Поправка d² на приведение измеренных направлений на плоскость Гаусса должна вводиться только для аналитических сетей, если величина поправки равна или более 1².
6.2.5 Для исправления измеренных направлений поправками на приведение к центрам и к плоскости для каждого направления должны вычисляться разность между суммой поправок (I² + r² + d²) этого направления и суммой поправок начального направления (I² + r² + d²), которой исправляются измеренные направления.
Вычисления должны выполняться в табличной форме в соответствии с таблицей 19 с точностью до 0², 1.
Исправление измеренных направлений
|
Название направлений |
Изменение направления |
I² |
r² |
d² |
I² + r² + d² |
(I² + r² + d²) - (I² + r² + d²) |
Приведение направления |
|
Дугово, веха |
|
|
|
|
|
|
|
|
Дубки, сигнал |
0°00¢ |
-1,0 |
+2,0 |
-1,01 |
0,00 |
0,00 |
0°00¢00² |
|
Морская пирамида |
265°57¢ |
+2,0 |
-2,0 |
-1,0 |
-1,0 |
-1,0 |
265°56¢59² |
|
Примечание. В графу «r²» вписываются поправки за редукцию, вычисленные для тех пунктов, на которые измеряются направления. |
|||||||
S = Dср + di + dа + dt + dн + dL + dе + dг, (51)
где Dср - средняя длина измеренной наклонной линии, м;
di - постоянная поправка дальномера, м;
dа - поправка на приведение наклонной линии к горизонту, м;
dt - поправка на температуру, м;
dн - поправка на приведение длины линии к уровню моря, м;
dL - поправка на приведение длины линии на плоскость проекции Гаусса, м;
dе и dг - поправка за центровку и редукцию для точек стояния дальномера (измеряются на установочном листе), м.
- вычисляется невязка fi на условие фигур для каждого треугольника по формуле:
fi = аi + bi + сi - 180°, (52)
где ai, bi, ci - измеренные углы треугольника, град;
- вычисляются первичные поправки сni и сnpi на условие дирекционных углов для промежуточных углов по формулам:
cni = -w/n, (53)
cnpi = w/n, (54)
где сni и сnpi - первичные поправки для промежуточных углов;
n - число промежуточных углов,
w = (åCл - åСпр) - (Тn - Тo)±180°, (55)
где Сл - промежуточный угол слева от ходовой линии;
Спр - промежуточный угол справа от ходовой линии;
То - дирекционный угол начальной исходной стороны;
Тn - дирекционный угол конечной исходной стороны.
Вычисляются первичные поправки (аi) и (bi) для связующих углов, которыми исправляются измеренные углы по формуле:
(ai) = (bi) = -((fi) + (ci))/2, (56)
- вычисляются вторичные поправки (аi²) и (bi²) на условия сторон для исправленных связующих углов по формулам:
(57)
(58)
где ws = (lqS0 + ålqSina) - (lqSn + ålqSinb),
S0 и Sn - длина начальной и конечной исходных сторон, м;
Dl² - изменение логарифма синуса угла при увеличении его на 1²;
(ai) и (bi) - связующие углы, град.
Элементы fi и сi, входящие в формулу (56), вычисляются по формулам 52, 53, 54 и 55.
Вторичные поправки входят в исправленные связующие углы и получают уравненные углы.
6.2.8 Значения свободных членов условий дирекционных углов и сторон ws не должны превышать:
(59)
где n - число углов в передаче дирекционного угла;
mA - средняя квадратическая погрешность исходного азимута, рад;
(60)
или
при решении треугольников логарифмами - ![]()
где Sn - длина конечной стороны, м;
N - число треугольников в ряду.
Все вычисления рекомендуется выполнять в табличной форме, приведенной в приложении И.
6.2.9 Уравнивание цепи треугольников, проложенной между исходной стороной и пунктом, должно выполняться также, как и в п. 6.2.7, за исключением вычисления вторичных поправок на условия сторон, которые в данном случае не возникают.
6.2.10 Уравнивание цепи треугольников, проложенной между двумя исходными пунктами, должно выполняться в следующем порядке:
- вычисляются первичные поправки (см. п. 6.2.7) и ими исправляются измеренные углы;
- решаются треугольники, где в качестве исходной используется измеренная контрольная сторона, и вычисляются предварительные координаты пунктов ряда;
- вычисляются расстояния и дирекционный угол между начальным и конечным исходными пунктами по исходным и вычисленным координатам. Относительная невязка расстояния должна быть не более 1:2000, расхождение дирекционного угла не должно превышать значения ?;
- производится уравнение предварительных координат.
6.2.11 Уравнивание треугольников, заполняющих угол между двумя исходными сторонами, и уравнивание центральной стороны производится в следующем порядке:
- вычисляются первичные поправки на условия фигур и дирекционных углов (для центральной системы только на условие фигур) и ими исправляются измеренные углы;
- вычисляются вторичные поправки на условия сторон (для центральной системы - на условия полюса) и ими исправляются исправленные углы.
Все уравнительные вычисления должны выполняться в табличной форме, приложения К и Л.
6.2.12 Вычисление полигонометрических и теодолитных ходов должно выполняться в следующей последовательности:
- производится уравнивание дирекционных углов, для чего определяется угловая невязка хода по формуле:
(61)
где wb - угловая невязка хода, град;
Т0 - дирекционный угол исходной стороны в начале хода, град;
åb - сумма измеренных углов хода, в том числе и примычных, град;
n - число измеренных углов хода, в том числе и примычных, град;
Тn - дирекционный угол исходной стороны в конце хода, град.
Полученная невязка wb не должна превышать:
- для полигонометрических ходов (аналитические сети):
(62)
-
для теодолитных ходов (съемочные сети): ![]()
где wb - вводится с обратным знаком поровну во все измеренные углы, а при малой величине угловой невязки она распределяется по углам с более короткими длинами, по уравненным углам и окончательным длинам сторон, рассчитанным согласно п. 6.2.6, включая приращения координат, по формулам:
DХ = ScosТ, (63)
DY = SsinТ, (64)
где S - длина линии, м;
Т - дирекционный угол линии, град;
- подсчитывается невязка координат wх и wу как разность между суммами вычисленных приращений и разностями соответствующих координат конечного и начального исходных пунктов;
- невязка координат распределяется с обратным знаком на все приращения координат к значениям координат предыдущих точек.
6.2.13 Все вычисления должны выполняться в табличной форме (приложение М). Для оценки точности хода должна вычисляться относительная линейная невязка по формуле
(65)
которая не должна превышать 1:700.
6.2.14 Координаты пунктов аналитических сетей, определенных способом триангуляции, должны вычисляться в следующей последовательности:
1) по уравненным углам вычисляются координаты пунктов по формулам:
(66)
(67)
где х3 и у3 - координаты определяемого пункта, м;
х1, х2 и у1, у2 - координаты исходных пунктов, м;
a - угол треугольника при первом исходном пункте, град;
b - угол треугольника при втором исходном пункте, град;
2) определяется невязка в координатах wх и wy по ходовой линии:
wx = xвыч - хтв;
wу = увыч - yтв;
где хвыч и увыч - вычисленные координаты исходных пунктов, м;
хтв и утв - фактические координаты этих же исходных пунктов, м.
Невязка координат для цепи треугольников, проложенной между двумя твердыми сторонами или стороной и пунктом, не должна превышать:
wх = wу £ ±0,35N,
где N - число треугольников в ряду;
3) вычисляют поправки координат по формулам:
(68)
(69)
где i - номер пункта; n - число пунктов.
Найденные поправки алгебраически складываются с вычисленными координатами пунктов.
Вычисление координат пунктов, определенных способом триангуляции, должно производиться в табличной форме в соответствии с приложением Н.
6.2.15 Координаты пунктов, определенные методом засечек, должны вычисляться по уравненным координатам исходных пунктов не менее, чем из двух комбинаций.
Расхождение ws для пунктов аналитических сетей не должно превышать:
![]()
где wх и wy - разности координат пункта, полученные из вычислений по различным комбинациям исходных пунктов. За окончательное значение координат пункта должно приниматься среднее из полученных значений.
Для пунктов съемочных сетей расхождение ws не должно превышать 0,2 мм в масштабе отчетного планшета.
Вычисление координат пунктов, определенных засечками, должно выполняться в табличной форме в соответствии с приложениями О и П.
6.3.1 Измеренные глубины должны исправляться общей поправкой, определяемой по формуле:
DН = DНэ + DНf, (70)
или
DН = DНл + DНf, (71)
где DН - общая поправка, м;
DНэ - суммарная поправка эхолота, м;
DНл - поправка ручного лота, наметки, м;
DНf - поправка за уровень, м.
Частные поправки, входящие в DНэ, DНл и DНf вычисляются с той же точностью, с которой они получены или вычислены.
Поправка не учитывается, если ее величины менее половины точности измерения глубины.
Поправки лотов при выводе общей поправки должны вычисляться и учитываться с точностью до 0,1 м. При нанесении на планы промеров или отчетные планшеты исправленных глубин с эхограмм журналов промера, электронных записей они должны округляться для диапазонных глубин менее 10 м - до 0,05 м, более 10 м - 0,1 м.
6.3.2 Поправка на уровень (срезка) служит для приведения измеренных глубин к принятому нулю глубин и вычисляется по формуле
DНf = А±f, (72)
где DНf - поправка на уровень, м;
А - отсчет по рейке, соответствующий положению нуля глубин, м.
Если нуль рейки находится на отметке нуля глубин, тогда А = 0;
f - отсчет мгновенного уровня в момент измерения глубин, м.
Кривая наблюдений должна строиться на основании непосредственных наблюдений. Применение расчетных величин измерения уровня не допускается.
Переход одной поправки к другой должен осуществляться так, чтобы ошибка в ней не превышала половины принятого интервала. Выбранные поправки за уровень должны записываться на эхограммы, в журналах промера или сводиться в таблицу, составленную по форме, приведенной в таблице 20.
Поправки за уровень
|
Время действия поправки, ч, мин |
Поправка DНf, м |
|
9.00 - 10.30 |
-1,42 |
|
10.30 - 12.00 |
-1,36 |
|
12.00 - 15.00 |
-1,29 |
6.3.4 При выполнении промера в районе, расположенном между двумя уровенными постами, и фактической разности поправок (DНf1 - DНf2), превышающей половину точности отсчитывания глубин, окончательное значение поправки (DНf) рассчитывается пропорционально расстоянию от места промера до водомерных реек по формуле:
DHf = DHf1 + (DHf2 - DHf1)×D1/(D1 + D2), (73)
где DНf1 и DНf2 - поправки на уровень на постах 1 и 2, м;
D1 и D2 - расстояние от места промера до постов 1 и 2, км.
6.3.5 На морях с приливами в тех районах промера, где действие уровенных постов взаимно перекрываются, поправки за уровень вычисляются для каждого отдельного участка промера по своему посту.
6.3.6 В районах промера, где из-за резкого изменения характера зоны действия уровенных постов прилива взаимного перекрытия не имеют, поправки на уровень должны вычисляться по зонам, число которых не должно превышать десять.
Количество зон должно рассчитываться по формуле:
(74)
где Dh - средняя величина из максимальных разностей высот уровня над нулями глубин в пунктах А и В, м;
dн - точность измерения глубин, м.
6.3.7 Величина Dh должна определяться на основании анализа совмещенного по нулям глубин графика колебаний уровня моря на уровенных постах А и В (рисунок 31).
6.3.8 Разбивка зон должна производиться таким образом, чтобы через уровенные посты А и В проходили середины соответствующих зон (рисунок 32).
6.3.9 Поправка глубин для любой зоны должна рассчитываться по формуле
DНf = (DHA - DHB)×i/k, (75)
где DНf - поправка глубины за уровень в момент t, м;
DHА - поправка за уровень на посту А в момент t, м;
DНВ - поправка за уровень на посту В в момент t, м;
i - номер зоны;
k - число зон между пунктами А и В.
1 - средний уровень поста А; 2 - средний уровень поста В; 3 - нуль глубин; hА и hB - высоты мгновенного уровня моря над нулем глубин, м.
Рисунок 31 - совмещенный график колебаний уровня моря на уровенных постах А и В
0, 1, 2, ... 4 - номера зон; А и В уровенные посты
Рисунок 32 - Разбивка зон
6.3.10 Для каждой зоны должен строиться график (рисунок 33) поправок на измерения уровня по данным, полученным из непосредственных наблюдений за уровнем в каждый момент наблюдений. Снятие поправок с этого графика выполняется в соответствии с требованиями п. 6.3.3.
6.3.11 При промере на морях без приливов, если максимальная разность превышений мгновенного уровня над нулем глубин на смежных уровенных постах превышает точность измеренных глубин dн, поправка на уровень должна рассчитываться по зонам, согласно требованиям пункта 6.3.9. Количество зон должно рассчитываться по формуле:
(76)
где k - количество зон;
hmax - максимальная разность превышений мгновенного уровня между постами А и В, м.
Разбивка зон должна производиться согласно требованиям пункта 6.3.8.
Рисунок 33 - График поправки на уровень 1-й зоны
6.4.1 Прокладка на планшет точек определений на галсах должна производиться любым графическим способом, обеспечивающим их нанесение с погрешностью не более 1,5 мм в масштабе планшета
6.4.2 Перед прокладкой измеренные углы должны исправляться поправками на центровку и редукцию - при измерении теодолитом или поправкой индекса - при измерении секстаном.
Исправление измеренных углов не производится, если линейное смещение точки определения из-за неучета поправки не будет превышать 1 мм в масштабе планшета.
6.4.3 Прокладка на планшет точек определения должна производиться по сеткам (гониометрическим, стадиометрическим) с помощью интерполяционной палетки. Прокладка точек должна производиться на рубашку планшета, и после проверки во вторую руку точки перекалываются на планшет.
Изготовление палетки и способ использования изложены в приложении Р.
6.4.4 Прокладка точек определения места с помощью протрактора допускается в том случае, когда построение сеток нецелесообразно из-за большого количества используемых пунктов и относительно малого числа определений по каждой комбинации.
Перед началом работы протрактор должен проверяться. Если его инструментальная погрешность более 0,5 мм в двойном прогибе срезов линеек, или имеется несовпадение продолжения срезов линеек с отверстием в центре протрактора, а также если совместная погрешность от мертвого хода и прогиб линеек будет более 3 мм, то таким протрактором работать запрещается.
6.4.5 Прокладка линий ведущих створов на планшет должна производиться по отрезкам, отсекаемым этими линиями на рамках планшета.
6.5.1 Интервалы между точками промера, наносимыми на планшет или план промеров, назначают в зависимости от заданной подробности промера.
6.5.2 При определении места способом засечек (прямая, обратная и др.) разбивка расстояний между определениями места на планшете и между оперативными отметками на эхограмме должна выполняться следующим образом:
- на планшете после нанесения всех галсов и точек определения от первой точки определения места на данном галсе производится разбивка линии галса на отрезки длиной, равной заданному интервалу нанесения глубин на план промера, в масштабе планшета (плана);
- соответственно произведенной разбивке точек промера на планшете производится разбивка точек на эхограмме или распечатке, снятой с накопителя, при этом должны выполняться требования:
а) разбивка точек промера на эхограмме должна начинаться с той же точки определения, что и на планшете;
б) число делений между смежными точками на эхограмме должно соответствовать числу делений между этими же точками на планшете (плане);
- разбивка точек промера на планшете и эхограмме должна осуществляться с помощью палеток (приложение Р).
6.5.3 При определении места по секущим створам разбивка точек промера на планшете (плане) должна производиться на каждом галсе от линии секущего створа.
6.5.4 Расстояние между секущими створами измеряется на местности и принимается постоянным для всех пикетов при параллельности створов.
Если створы не параллельны, расстояние между секущими створами должно рассчитываться для каждого пикета по формуле:
где Li - расстояние между секущими створами на i-м пикете, м;
l - расстояние от первого до i-го пикета, м;
DL - разность расстояний между секущими створами на i-м и первом пикете, м;
DL = Li - L1,
L1 - расстояние между секущими створами на первом пикете, м;
D - расстояние между передней и задней вехами, м.
Знак
«+» в формуле (77) перед членом
необходимо
брать при расходящихся створах, а знак «-» - при сходящихся.
6.5.5 При промере с буксируемым мерным тросом разбивка точек промера на эхограмме должна производиться от отметок на эхограмме, сделанных в момент пересечения ведущего створа промерным судном и буксируемым буйком. Расчетным расстоянием между отметками должна служить исправленная на дрейф буйка длина буксирного троса, которая рассчитывается по формуле:
Lp = Lб.т.соsa, (78)
где Lp - расчетное расстояние между засечками, м;
L6.т. - длина буксирного троса, измеряемая от центра вибраторов эхолота до центра буксируемого буйка, м;
a - угол дрейфа буксируемого буйка, рад.
6.6.1 Перед снятием глубин на эхограмме должны быть выполнены следующие работы:
- рассчитана общая поправка глубин;
- произведена расшифровка записи дна;
- произведена разбивка точек на эхограмме.
6.6.2 Эхограмма выполненного промера должна разбиваться на участки с равными общими поправками. На этих участках карандашом должна быть нанесена линия нуля глубин, отстоящая от нулевой линии эхограммы на величину общей поправки (DН).
6.6.3 Снятие глубин должно производиться с помощью угольника, двигающегося по линейке, установленной параллельно линии нуля глубин (рисунок 34).
1 - эхограмма; 2 - угольник (глубиномер); 3 - линейка; 4 - линия нуля глубин; 5 - точки разбивки; 6 - нулевая линия эхограммы; 7 - линия дешифрования; 8 - нанесенные глубины.
Рисунок 34 - Снятие глубин и их нанесение на эхограмму
Угольник вместе с линейкой должны устанавливаться так, чтобы нуль шкалы угольника совпадал с линией нуля глубин. Полученный отсчет глубины в сантиметрах с округлением последней цифры кратно пяти должен наноситься чернилами на кромку эхограммы против точки деления (рисунок 34).
6.6.4 Если общая поправка неустойчива за счет резкого изменения глубины или быстрого колебания уровня, то угольник устанавливают относительно нулевой линии эхограммы. Исправление снятых глубин производится общей поправкой (DН), выбираемой из заранее составленной таблицы или графиков.
6.6.5 Обработка промера, выполненного однолучевым эхолотом с использованием приемоиндикаторов спутниковой навигационной системы, производится с использованием НУРDОрсо на береговой базе в следующем порядке:
- просматриваются промерные галсы на дисплее с магнитного носителя;
- при наличии резких отклонений глубин от окружающих их величины сравнивают с контрольной графической записью на эхограмме эхолота. При отсутствии отклонений на эхограмме их убирают с магнитной записи, при совпадении отклонений производится контрольная проверка на местности;
- на магнитный носитель вносится информация: дата промера, наименование объекта (канала, фарватера, акватории и т.п.), пикеты, галсы и другая информация;
- вносятся поправки на смещение приемной антенны сигналов спутниковой навигационной системы относительно места установки антенны (вибратора);
- вносятся поправки на сличение эхолота и распространение звука в воде;
- вносится поправка за колебания уровня воды;
- производится разрежение точек измеренных глубин в зависимости от проектного масштаба нанесения их на планшет (план);
- заполняется меню для печати;
- производится печать планшета (плана) с нанесением полученных результатов промера.
Фрагмент плана промера приведен на рисунке 35.
6.6.6 Для однолучевого эхолота с электронным накопителем без использования спутниковой навигационной системы позиционирования и программного обеспечения обработка промерных материалов производится в следующем порядке:
- подключить эхолот к персональному компьютеру (к сети подключается вначале эхолот, затем компьютер во избежание выгорания портов на компьютере);
- загрузить на персональный компьютер программное обеспечение (обеспечивающее считывание и обработку данных промера), входящее в комплект эхолота;
- перенести данные промера с эхолота в компьютер;
- распечатать информацию, считанную с эхолота (глубины на галсах);
- на полученной распечатке произвести разбивку точек на галсе, используя мерную базу;
- внести поправки за колебания уровня в полученные глубины;
- ввести исправленные глубины соответствующих точек и другую необходимую информацию в компьютерную программу в табличной форме;
- обработать в компьютере введенные данные;
- произвести распечатку полученного плана промера. Фрагмент плана промера приведен на рисунке 36.
Рисунок 35 - План промера участка канала, выполненный промерным комплексом с использованием однолучевого эхолота и спутниковой навигационной системы
Рисунок 36 - План промера участка канала, выполненный однолучевым эхолотом без спутниковой навигационной системы
6.6.7 Для многолучевого эхолота с использованием спутниковой навигационной системы обработка материалов производится в следующем порядке: после выполнения промерных работ и записи материалов на магнитный носитель, необходимо их обработать соответствующей программой. Материалы переносятся на магнитном носителе с компьютера промерного комплекса (рабочей станции на судне) на компьютер поста обработки.
Программой обработки производятся следующие действия:
- на первом этапе вводятся данные о местоположении галсов по заранее заданным правилам с учетом средней скорости движения промерного судна и интервала определения местоположения - не реже 1 раза в 2 секунды (для приемника Trimble-4000 определение координат возможно 2 раза в секунду). Данные, не отвечающие этим требованиям, удаляются. Например, судно движется со скоростью 2 м/с, а следующая отметка о его местоположении, идущая с интервалом 1 секунда, появляется через 5 метров. Эта отметка ошибочна, она удаляется;
- на втором этапе возможно удалять неверные данные о местоположении вручную и неиспользуемые промерные галсы, что сократит объем информации;
- на третьем этапе происходит спрямление галсов с учетом размеров плавсредства, влияющих на его маневренность в стесненных условиях (гавани, акватории портов).
После обработки местоположения галсов производится коррекция глубины последующим параметрам:
- поправки на курс;
- местоположения датчиков (только для вибратора);
- поправки за изменения уровня воды с дискретностью до 1 минуты записываются в специальном файле. По каждому галсу сохраняется время его выполнения. Значение уровня воды на период, когда выполняется галс, берется из этого файла и вносятся изменения в глубины. Поэтому важно, чтобы время на рабочей станции было выставлено правильно;
- поправка на дифферент и крен (определяется по результатам калибровки). После выполнения операции по коррекции глубины с учетом введенных (при необходимости) поправок весь промер разбивается на прямоугольные блоки, которые обрабатываются отдельно. Размер блока зависит от количества измерений глубин в нем, но в блоке должно быть не более 1,5 млн. значений глубин, а в среднем стремятся подойти к цифре 50000 значений.
На этом последнем этапе работы с блоками в программе возможно как вручную - удаление ошибочных глубин (шумы, отражения от рыб и т.д.), так и с помощью разнообразных фильтров. Как правило, необходимо удалять значения глубин, полученных с крайних 3 - 4 лучей эхолота (с 1 по 4 и с 124 по 128).
При постобработке первоначальные данные не изменяются, а создаются новые с учетом введенных поправок. После каждой проведенной операции по коррекции глубин создается контрольный файл, поэтому всегда есть возможность проконтролировать процесс постобработки.
После обработки блоков данные о глубине и ее местоположении записываются в файле (каждому блоку соответствует свой файл) для последующей обработки в программах. Программы предназначены для создания цифровой модели рельефа дна, подсчета объемов, создания планшетов промера глубин, поперечных галсов и т.д.
Первоначально в программах создается проект, в котором указывается объект работы, (например, ПК20-ПК40 КМК), система координат и ее параметры для проекции UTM центральный меридиан и система геокоординат WGS-84). После этого из файлов с глубинами создается цифровая модель дна с использованием алгоритма морского дна. Цифровая модель рельефа дна для причалов создается с шагом сетки 1*1 метра, а для фарватера - с шагом сетки 2*2 метра. Далее из модели дна возможно изготовление планшетов глубин в масштабе от 1:100 до 1:10000 или мельче. Планшеты промера глубин у причалов - в масштабе 1:500 или 1:1000. Масштаб постоянный как по горизонтали, так и по вертикали. Планшеты промера глубин акваторий порта - в масштабе 1:1000, а канала - 1:2000. При создании планшета указывается необходимость нанесения на него координатной сетки, береговой черты, навигационных знаков и т.п. Планшет сохраняется в файле формата, который обеспечивает требуемую точность в расположении глубин, береговой черты и т.д. при выводе на печать. Данный файл в дальнейшем можно обработать в других программах, а также вывести на печать на широкоформатном плоттере формата АО.
Фрагмент плана промера приведен на рисунке 37.
6.7.1 Все виды промера должны оформляться в виде:
- плана промера объектов или отдельных участков;
- чертежей поперечных и продольных профилей.
6.7.2 Планы промера всех объектов должны оформляться либо на планшетах с жесткой основой, либо на миллиметровой бумаге, с которой снимают кальку, либо на белой бумаге при обработке промера с использованием электронных систем.
6.7.3. Для сравнения измеренных глубин или проектирования планируемых выемок грунта на отдельных участках объекта по промеру, произведенному в разное время, должны быть вычерчены совмещенные продольные или поперечные профили.
6.7.4 Планы подробных промеров, передаваемые для целей картографии, должны сопровождаться пояснениями, состав которых согласовывается с Главным управлением навигации и океанографии МО РФ.
6.7.5 Планы промеров должны составляться на каждый объект (канал, фарватер, акватория порта, отвал грунта и т.п.) или отдельный его участок.
6.7.6 Масштаб плана промера должен выбираться в зависимости от размера объекта, участка и подробности промера в соответствии с пунктом 2.5.8.
6.7.7 План промера должен обеспечиваться ситуационным планом, ориентированным по истинному меридиану, и содержать следующие подробности:
- контуры береговой линии и гидротехнических сооружений, выкопированные с картографических материалов или нанесенные по материалам съемок;
- опорные пункты и навигационные знаки, входящие в систему привязки промера.
6.7.8 План промера, подробного или контрольного, должен оформляться следующим образом:
- заголовок плана - вверху на середине плана;
- масштаб числовой - под названием плана;
- проектные границы выемки - пунктирной линией;
- ось створа - штрих-пунктирной линией;
- все изобаты - тонкой линией, а изобаты проектной глубины - жирной линией;
- подписи - в правом нижнем углу;
- утверждающая подпись и печать в левом верхнем углу.
6.7.9 Место измеренной глубины обозначают точкой. От точки справа выписывают значение глубины в сантиметрах.
Расстояние от точки до цифры - 1 мм. Основные цифры должны быть нанесены перпендикулярно направлению галса.
6.7.10 План приемо-сдаточного промера должен оформляться на отдельном листе, глубины до черпания должны выписываться на профиле с правой стороны, после черпания - с левой.
Канал (фарватер) наносят на план в виде прямолинейной полосы параллельно горизонтальной рамке.
Образец оформления плана промера приведен на рисунке 38.
Примечания Начальник канала
1 Глубины приведены к нулю глубин порта Начальник промерной партии
Промер произвел подписи
2 Промер произведен 21.05.76 Промер составил
Рисунок 38 - Образец оформления плана промера
6.7.11 С целью компактности изображения канала (фарватера) допускается составление плана разномасштабно, т.е. сжатым в продольном направлении. Точки на профиле накладываются по вертикали в крупном масштабе, а расстояние между профилями по горизонтали - в мелком масштабе.
6.7.12 Если канал (фарватер) состоит из нескольких колен, то на план наносят галсы прямолинейных участков, как описано выше, а место стыковки колен обозначают двойной линией.
На этой линии наносят глубины профилей, проходящих через пересечение смежных колен (рисунок 38).
На плане промера на свободном месте должен быть дан план поворота или стыка колен в масштабе 1:2000 или крупнее.
Номера пикетов надписываются сверху над профилем.
6.7.13 План промера у причалов и гидротехнических сооружений должен составляться на основе прокладок береговой магистрали и съемки сооружений.
План может быть ориентирован по направлению объекта (причала, мола) с показанием стрелкой названия истинного меридиана. Подробность нанесения промерных галсов и выписка глубин должны соответствовать требованиям раздела 2.3.
6.7.14 Чертеж с продольными галсами составляется для выявления лимитирующих участков и состояния фактических глубин в продольном направлении канала (фарватера), а также для установления степени измерения глубин на оси канала (фарватера) на период между промерами.
Горизонтальный масштаб чертежей выбирают в зависимости от подробности промера с расчетом, чтобы глубины выписывались с интервалом 0,5 см.
Вертикальный масштаб для нанесения линии глубин продольного профиля принимают 1:50 или 1:100, т.е. в 1 см - 0,5 м или в 1 см - 1 м, в зависимости от величины колебания глубин.
На план наносится линия проектной глубины. Линию нуля глубин (условного уровня) допускается наносить только для мелководного канала (фарватера).
Профиль дна вычерчивается по глубинам, выписанным в горизонтальной графе под профилем.
Для обзора состояния габаритов по ширине канала, судоходной части фарватера на чертеже продольного профиля наносится план с разреженными поперечными профилями контрольного промера.
6.7.15 Чертежи поперечных профилей должны составляться при слоистости рельефа дна и для сравнения измеренных глубин за отдельный период. Такие чертежи составляются для отдельных участков канала, причальных сооружений и других важных объектов.
Чертежи поперечных профилей составляются при выполнении дноуглубительных работ с нанесением глубин до черпания и после черпания.
На чертеж должна быть нанесена линия проектных габаритов канала (фарватера), акватории у причальных сооружений.
При составлении поперечного профиля у причальных сооружений при крутых откосах горизонтальный масштаб допускается увеличивать.
Образец чертежа поперечного профиля канала приведен на рисунке 39.
Рисунок 39 - Поперечный профиль канала
(обязательное)
А.1 Элементы трассы канала
А.1.1 За начало морской части канала должна приниматься условная точка, лежащая на траверзе входа в порт или в устье реки (нуль канала) (рисунок А.1).
Длина морской части канала должна измеряться по оси канала от начальной точки (нуль канала) до выхода на естественные судоходные глубины.
А.1.2 За начало речной части канала должна приниматься условная точка, лежащая на траверзе входа в устье или в протоку со стороны моря.
Длина речной части канала должна измеряться по оси канала от начальной точки (нуль канала) до порта.
1 - дамба; 2 - начало морской и речной части канала (нуль канала); 3 - ось канала.
Рисунок А.1 - Трасса канала
А.2 Основные элементы поперечного сечения канала
А.2.1 Поперечное сечение канала имеет следующие основные элементы (рисунок А.2):
- прорезь канала (АБСД);
- бровки прорези канала (А и Д);
- откосы прорези канала (АБ, СД);
- подошвы откоса (Б и С);
- ширина канала (В):
а) между бровками канал АД (Вб);
б) между подошвами откосов БС (В);
- глубина канала (Н);
- глубина прорези (hпр);
- забровочная глубина (h6р).
А.2.2 Глубины канала должны измеряться от нуля глубин (отсчетного уровня).
Нуль глубин порта (отсчетный уровень)
Рисунок А.2 - Поперечное сечение канала
А.3 Габариты канала
А.3.1 Навигационная глубина канала Нн в метрах назначается проектом.
А.3.2 Проектная глубина канала Н0 в метрах назначается проектом и рассчитывается по формуле
Н0 = Нн + z4, (А.1)
где z4 - запас глубины назаносимость, назначается на основании специальных исследований или подбором обоснованного аналога, м.
А.3.3 Рабочая глубина канала Нp в метрах задается техническим заданием на дноуглубительные работы и рассчитывается по формуле:
Нр = Н0 + DНд, (А.2)
где DНд - допустимый перебор по глубине, устанавливается нормативом для каждого типа земснаряда, м.
Рабочая глубина принимается в расчетах планируемых и выполненных объемов дноуглубительных работ.
А.3.4 Проходная глубина Нпр в метрах измеряется от отсчетного уровня и равна наименьшей фактической глубине, обнаруженной на канале, с учетом значимости для обеспечения безопасности судовождения отдельных осыпей (оплываний) у бровок и причалов. Определяется по формуле
Нпр = Нф±DН, (А.3)
где Нф - фактическая наименьшая глубина на канале, приведенная к нулю глубин порта (отсчетному уровню), м;
DН - фактический уровень над нулем глубин порта, м.
А.3.5 Глубина прорези канала hпр в метрах рассчитывается по формуле:
hпр = Hp - hбр, (А.4)
где hбр - забровочная глубина, измеряется от нуля глубин порта до естественного дна за бровками канала, м.
А.3.6 Проектная ширина канала В0 в метрах устанавливается проектом, измеряется на уровне проектной глубины канала. Рассчитывается по формуле:
В0 = Вн - DВ, (А.5)
где Вн - навигационная ширина канала, м, устанавливается проектом и измеряется на уровне навигационной глубины канала;
DВ - запас ширины канала на заносимость откосов прорези, м, определяется по формуле:
DВ = hн(m1 - m0), (А.6)
где hн - навигационная глубина прорези канала, м;
m1 - величина заложения откосов прорези канала к концу межремонтного периода (перед выполнением очередных дноуглубительных работ);
m0 - величина заложения откосов прорези канала после выполнения дноуглубительных работ.
А.3.7 Рабочая ширина канала при строительстве Вр в метрах измеряется по дну канала на уровне проектной глубины канала, назначается проектом и рассчитывается по формуле:
Вр = В0 + (m0´h0), (А.7)
где Н0 - проектная глубина прорези канала, м.
По рабочей ширине канала производят разбивку и обвехование рабочих границ прорези.
А.3.8 При разработке прорези допускается перебор на чистоту выработки по ширине с каждой стороны прорези DВд в метрах.
Рабочая ширина прорези с допустимым перебором на чистоту выработки по ширине Врр в метрах рассчитывается по формуле:
Врр = Вр + 2DВд, (А.8)
где DВд - допустимый перебор на чистоту выработки по ширине с одной стороны прорези, м.
Рабочая ширина прорези с допустимым перебором по ширине является расчетной величиной при определении планируемых и выполненных объемов дноуглубительных работ.
А.3.9 Элементы поперечного сечения дноуглубительной прорези канала показаны на рисунке А.3.
|
Нф - фактическая глубина канала; |
Вн - навигационная ширина канала; |
|
Н0 - проектная глубина канала; |
Вр - рабочая ширина канала; |
|
Нн - навигационная глубина канала; |
Врр - расчетная ширина канала; |
|
Z4 - запас на заносимость по глубине канала; |
DВ/2 - запас на заносимость по ширине канала; |
|
hбр - забровочная глубина; |
DВд - допускаемый перебор по ширине канала. |
|
В0 - проектная ширина канала; |
|
Рисунок А.3 - Элементы поперечного сечения дноуглубительной прорези канала
(рекомендуемое)
Работы по вычислению и составлению таблиц углов производят в следующей последовательности.
1. Составляют план в масштабе 1:25000 или 1:50000 с координатной сеткой в местной или условной системе. На план наносят створные знаки, пикеты, выбранные опорные пункты и ось створа (рисунок Б.1). На плане указывают зоны действия опорных пунктов с учетом видимости знаков на местности и ограничение наблюдаемых углов секстаном в пределах 30° - 120°.
Рисунок Б.1 - Определение угла АРС между пунктом А, пикетом и осью створа знаков С и Д
2. Координаты нуля канала, точки поворота К и километровых пикетов вычисляют способом приращения относительно переднего створного знака по форме таблицы Б.1.
Координаты точки пересечения осей (К) смежных колен канала (двух створов) могут быть вычислены по формуле и образцу, приведенному в таблице Б.2.
3. Решают обратные задачи по образцу, приведенному в таблице Б.3:
а) задний створный знак - передний;:
б) 0 канала (точка К, пикет и т.п.) - опорный пункт (рисунок Б.2);
в) километровый пикет-опорный пункт.
Из этих решений находят исходные данные: дирекционное направление створа (Т1), дирекционное направление и расстояние (D) от 0 канала (пикета или от точки К) до опорного пункта.
4. Вычисляют углы (между пунктом и створом для определения пикетов на оси створа в табличной форме (таблица Б.4) по формулам:
а) определение начальных расчетных элементов для каждого пункта:
a0 = Т2 - Т3, (Б.1)
a = D×sina0, (Б.2)
b = В×соsa0; (Б.3)
б) угол на пикете Р:
ctga = b×1/a, (Б.4)
где а - перпендикуляр АЕf для данного пункта - величина постоянная, м;
b - расстояние от точки Е, траверза опорного пункта А, до порядкового пикета Р по оси створа, м; изменяется на величину, кратную интервалу между основными профилями.
Для пикета, ближайшего к траверзу пункта А, величину b принимают равной расстоянию от точки Е до этого пикета.
Например (см. таблицу Б.4): траверз пункта А (точка Е) находится в 656,2 м от 0 канала. Ближайший пикет со стороны начала канала при 100-метровом интервале будет 600 м. Следовательно, для пикета 600 расстояние b будет равным
b = 656,2 - 600 = 56,2 м,
для пикета 700 расстояние:
b = 700 - 656,2 = 43,8 м.
Для всех последующих пикетов соответственно b будет: 143,8; 243,8 и т.д.
Вычисленные углы (для точек, расположенных от траверза Е в сторону створа, приводят к окончательному для пользования виду путем дополнения до 180° [например: на проф. 200 (см. таблицу Б.4) a = 68°53,3¢. В окончательном виде будет: 180° - 68°53,3¢ = 111°06,7)¢].
5. Производят контрольные вычисления (таблица Б.5) путем сравнения расчетного угла (a) с контрольным углом (a1), полученным как разность дирекционных направлений (Т2 - Т1) на пункт А и створ с точки километрового пикета (Р). Этот контроль выполняют для каждого километрового пикета. Расхождение углов не должно превышать 0,5¢.
Правильность вычислений углов на промежуточных пикетах, а также оценку точности рекомендуемых опорных пунктов производят по угловой разности между углами соседних пикетов (таблица Б.4). Эта разность должна давать плавно изменяющиеся результаты.
6. По результатам вычислений составляют таблицу углов по форме, приведенной в таблице Б.6, в которую выписывают на каждый пикет не менее двух углов на разные опорные пункты, для определения места на оси створа и контроля по двум углам. Углы выписывают с точностью 0,5¢.
При оценке выписанных углов за лучший угол принимают тот пункт, который имеет наибольшую угловую разность для принятого интервала между пикетами.
Участок с наилучшей угловой разностью для данного пункта в таблице обводят жирным контуром.
Таблица Б.1
Вычисление координат 0 канала и пикетов на оси створа
|
Угол |
Дирекционный угол, Т |
cosТ D sinТ |
Приращение |
Координаты |
|||
|
DХ |
DУ |
X |
У |
||||
|
Передний створный знак «0» |
180°00¢ |
192°59,4¢ |
0,97443 |
-3518,4 |
-811,6 |
7537,5 |
25203,9 |
|
3610,82 |
4019,1 |
24392,3 |
|||||
|
192°59,4¢ |
0,22467 |
-974,4 |
-224,8 |
||||
|
1000 |
180°00¢ |
1000,00 |
|||||
|
0,97443 |
3044,6 |
24167,5 |
|||||
|
192°59,4¢ |
0,22467 |
-974,4 |
-224,8 |
||||
|
2000 |
180°00¢ |
1000,00 |
|||||
|
0,97443 |
2070,2 |
23942,7 |
|||||
|
192°59,4¢ |
0,22467 |
-974,4 |
-224,8 |
||||
|
3000 |
180°00¢ |
1000,00 |
|||||
|
0,97443 |
1095,8 |
23718,0 |
|||||
|
|
0,22467 |
|
|
||||
Вычисление координат точки пересечения осей двух створов
Рисунок Б.2 - Расчетная схема
Формулы:
(Б.5)
yk = k1(xk - x1) + y1, (Б.6)
где k1 = tgТ1; k2 = tgТ2;
Т1 и Т2 - дирекционное направление I и II створов;
x1у1 и х2у2 - координаты передних створных знаков I и II;
хkуk - координаты точки пересечения I и II створов.
Таблица Б.2
Результаты вычислений
|
Операция |
I створ II створ |
|
|
1 |
Т1 |
192°59¢20² |
|
2 |
Т2 |
224°41¢19² |
|
3 |
k1 = tgT1 |
+0,230666 |
|
4 |
k2 = tgТ2 |
+0,989193 |
|
5 |
k1 - k2 |
-0,758527 |
|
6 |
x1 |
49227,8 |
|
7 |
x2 |
52502,8 |
|
8 |
k1x1 |
11355,2 |
|
9 |
k2x2 |
51935,4 |
|
10 |
(8) - (9) |
-40580,2 |
|
11 |
y1 |
69013,1 |
|
12 |
y2 |
75058,2 |
|
13 |
y2 - y1 |
6045,1 |
|
14 |
(10) + (13) |
-34535,1 |
|
15 |
хk = (14) : (5) |
45529,2 |
|
16 |
xk - x1 |
-3698,6 |
|
17 |
k1 (16) |
-853,1 |
|
18 |
yk = (17) + (11) |
68160,0 |
|
Примечание. В скобках указаны номера операций, из которых берутся значения |
||
Решение обратной задачи

Рисунок Б.3 - расчетная схема
Формулы:
(Б.7)
(Б.8)
Таблица Б.3
Результаты решения обратной задачи
|
Элементы |
Пункты вычислений |
||||
|
1А 20 канала |
1_________ |
1__________ |
1_________ |
||
|
2_________ |
2__________ |
2_________ |
|||
|
1 |
y1 |
23093,5 |
|
|
|
|
2 |
y2 |
24392,2 |
|
|
|
|
3 |
Dу |
-1298,7 |
|
|
|
|
4 |
x1 |
3645,2 |
|
|
|
|
5 |
x2 |
4019,0 |
|
|
|
|
6 |
Dх |
-373,8 |
|
|
|
|
7 |
|
3,47426 |
|
|
|
|
8 |
a |
73°56¢,6 |
|
|
|
|
9 |
соsa |
0,27660 |
|
|
|
|
10 |
sina |
0,96098 |
|
|
|
|
11 |
|
1351,4 |
|
|
|
|
12 |
|
1351,4 |
|
|
|
|
13 |
Dco |
1351,4 |
|
|
|
Вычисление углов

Рисунок Б.4 - Схема расчета
Пункт А.....................
Створ.........................
Исходные данные
D; Т2; Т1 - определяются из обратной задачи
D = 1351,4 м; Т2 = 253°56¢,6; Т1 = 192°59¢,4
Формулы:
a0 = T2 - T1 = 60°57¢,2 (Б.9)
а = D sina0 = 1182,5 м (Б.10)
b0 = D cosa0 = 656,2 м (Б.11)
1/a = 0,00084638; сtga = b×1/a.
Таблица Б.4
Результаты вычислений
|
b, м |
|
a |
Угловая разность |
Угол на оси створа (АРС) |
|
|
0,000 |
656,2 |
0,55537 |
60°57¢,2 |
3°50¢,3 |
119°02¢,8 |
|
100 |
556,2 |
0,47074 |
64°47¢,5 |
4°05¢,8 |
115°12¢,5 |
|
200 |
456,2 |
0,38610 |
68°53¢,3 |
4°20¢,1 |
111°06¢,7 |
|
300 |
356,2 |
0,30146 |
73°13¢,4 |
4°32¢,5 |
106°46¢,6 |
|
400 |
256,2 |
0,21682 |
77°46¢,0 |
4°42¢,2 |
102°14¢,0 |
|
500 |
156,2 |
0,13219 |
82°28¢,2 |
4°48¢,5 |
97°31¢,8 |
|
600 |
56,2 |
0,04755 |
87°16¢,7 |
4°50¢,8 |
92°31¢,8 |
|
700 |
43,8 |
0,03709 |
87°52¢,5 |
4°49¢,0 |
87°31¢,8 |
|
800 |
143,8 |
0,12173 |
83°03¢,6 |
4°43¢,2 |
83°31¢,8 |
|
900 |
243,8 |
0,20636 |
78°20¢,4 |
4°33¢,9 |
78°31¢,8 |
|
1000 |
343,8 |
0,29100 |
73°46¢,5 |
4°21¢,8 |
73°31¢,8 |
|
100 |
443,8 |
0,37564 |
69°24¢,7 |
|
69°24¢,7 |
|
200 |
|
|
|
|
|
|
300 |
|
|
|
|
|
Таблица Б.5
Контроль вычислений углов
|
Контрольные вычисления |
Расчетный угол, a |
Расхождения (a - a1) |
|||
|
Т*1-2 |
T* створа |
a1 |
|||
|
0000 |
253°56¢,6 |
12°59¢,4 |
119°02¢,8 |
119°02¢,8 |
0¢0 |
|
1000 |
299°12¢,9 |
12°59¢,4 |
73°46¢,5 |
73°46¢,5 |
0¢0 |
|
2000 |
331°40¢,0 |
12°59¢,4 |
41°19¢,4 |
41°19¢,4 |
-0¢1 |
|
3000 |
346°14¢,2 |
12°59¢,4 |
26°45¢,2 |
26°45¢,2 |
-0¢1 |
|
* Выписываются из обратных задач «пикет-опорный пункт» и «задний-передний створный знак» |
|||||
Таблица углов положения пикетов на оси............канала
|
Пикеты, м |
Угол между створом и пунктом |
||||||
|
Опорные пункты |
|||||||
|
мачта УКВ |
обелиск |
труба |
|||||
|
0000 |
48°30¢,4 |
|
119°03¢,0 |
|
|
||
|
100 |
45°10¢,5 |
|
115°12¢,5 |
|
|
||
|
200 |
42°11¢,5 |
|
111°06¢,5 |
|
|
||
|
300 |
39°31¢,0 |
|
106°46¢,5 |
|
|
||
|
400 |
37°07¢,0 |
|
102°14¢,0 |
|
|
||
|
500 |
34°57¢,0 |
|
97°32¢,0 |
|
|
||
|
600 |
33°00¢,0 |
|
92°43¢,5 |
|
|
||
|
700 |
31°14¢,0 |
|
87°52¢,5 |
|
|
||
|
800 |
29°38¢,0 |
|
83°03¢,5 |
|
|
||
|
900 |
28°10¢,0 |
|
78°20¢,5 |
|
|
||
|
1000 |
26°50¢,0 |
|
73°46¢,5 |
|
|
||
|
100 |
25°37¢,0 |
|
69°24¢,5 |
|
|
||
|
200 |
24°29¢,5 |
|
65°17¢,0 |
|
|
||
|
300 |
23°27¢,5 |
|
61°25¢,0 |
|
|
||
|
400 |
22°30¢,5 |
|
57°48¢,5 |
|
|
||
|
500 |
21°37¢,5 |
54°28¢,0 |
|
107°52¢,0 |
|
||
|
:600 |
20°48¢,5 |
51°23¢,0 |
|
105°09¢,0 |
|
||
|
700 |
20°02¢,5 |
48°32¢,5 |
|
102°21¢,0 |
|
||
|
800 |
19°20¢,0 |
45°55¢,5 |
|
99°30¢,0 |
|
||
|
900 |
18°40¢,5 |
43°31¢,5 |
|
96°35¢,5 |
|
||
|
2000 |
18°03¢,0 |
41°19¢,5 |
|
93°39¢,5 |
|
||
|
100 |
17°26¢,0 |
39°17¢,5 |
|
90°42¢,0 |
|
||
(рекомендуемое)
Порядок работы и обработки полевых материалов при нивелировании приведен ниже.
1. Нивелир устанавливают посредине между рейками (рисунок В.1).
Рисунок В.1 - Нивелирование водомерной рейки
Трубу инструмента приводят в горизонтальное положение. При вращении трубы ось пузырька реверсионного уровня не должна уклоняться более чем на два деления шкалы уровня.
2. Устанавливают нивелирную (заднюю) рейку (1) на водомерную рейку (3). Переднюю рейку (2) ставят у репера (4), рейки должны быть повернуты черной стороной к нивелиру.
4. Наводят трубу нивелира на черную сторону передней рейки, затем наводят на красные стороны передней и задней реек, выполняя действия, указанные в пункте 3.
Запись отсчетов по рейкам и зарисовки схем привязок производят в журнале наблюдений (таблица В.1). Порядок наблюдений и записи в журнале нумеруют в скобках.
5. Производят вычисление превышения h0 репера над нулевым делением водомерной рейки по формуле:
А = (3 - n) + Р1 + Р2, (В.1)
где (3 - n) - превышение нуля передней рейки над нулем задней рейки;
Р1 - привязка водомерной рейки, равная превышению нуля задней рейки над нулем уровенной рейки;
Р2 - привязка к реперу, равная превышению репера над нулем передней рейки.
Величину (3 - n) получают вычитанием отсчета по передней рейке n из отсчета по задней рейке 3.
Значения привязок Р1 и Р2 измеряют непосредственно линейкой или рулеткой.
Величина Р1 включает:
а) разделенную часть уровенной рейки;
б) расстояние от разделенной части рейки до верха среза;
в) расстояние от пятки нивелирной рейки до нулевого ее деления.
6. Когда нивелирный ход состоит из нескольких стоянок инструмента, то наблюдение повторяют на каждой станции в последовательности, приведенной в примере. Величину (3 - n) получают как сумму разностей отсчетов по задней и передней рейкам на каждой станции.
Превышение репера над нулем водомерной рейки будет:
h0 = å(3 - n) + Р1 + Р2. (В.2)
Запись наблюдений ведут в журнале по образцу, приведенному в примере таблицы.
Отсчеты наблюдений записывают в миллиметрах.
Правильность вычислений контролирует схождение сумм (3 - n) и превышений. Сумма средних превышений (таблица В.1) должна быть в два раза меньше сумм полученных значений (таблица В.1 графы 2 и 4).
В «Примечании» (таблица В.1.) зарисовывают схемы привязок к уровенной рейке и реперу. Эти зарисовки очень важны, когда устанавливают, с каким знаком следует считать величину каждой из привязок.
Таблица В.1
Образец записи в журнале нивелирования водомерной рейки
Дата: 18 августа, 1999 г. Погода: ясно, слабый ветер
Начало: 8 ч 22 мин Конец: 9 ч 13 мин
|
Отсчеты по рейке |
Превышение |
Среднее превышение |
Примечание |
|
||
|
задняя |
передняя |
|
||||
|
1 |
на водомерной рейке 1240 (1) 1241 (4) |
824 (2) 826 (3) |
+416 (5) +415 (6) |
+416 (7) |
Привязка к водомерной рейке
Привязка к реперу
|
|
|
2 |
3290 3295 |
734 740 |
+2556 +2555 |
+2555 |
|
|
|
3 |
2060 2062 |
872 873 |
+1188 +1189 |
+1188 |
||
|
4 |
3034 3032 |
342 342 |
+2692 +2690 |
+2691 |
|
|
|
5 |
267 268 |
874 876 |
-607 -608 |
-607 |
|
|
|
6 |
1220 1222 |
у репера 392 391 |
+828 +827 |
+828 |
|
|
|
å3 = ån = |
22227 (13) 8086 (14) |
ån = = 8086 (14) |
å+ = + +15356 (15) å- = - -1215 (16) |
+7678 (17) -607 (18) |
||
|
å3 - ån = |
+14141 |
|
+14141 |
+7071×(3 - n) |
|
|
|
Привязка к рейке (Р1) Привязка к реперу (Р2) |
|
= +3672 +1824 |
|
|||
|
Превышение репера над нулем рейки h0 = +12567 мм |
|
|||||
(рекомендуемое)
Рейка № 2
|
Дата и место установки 24.VI.98 г. Поправка для приведения отсчета по рейке к 0 глубин (0 порта) ±0,0 Рейку установил..........принял......... |
Азово-Донской канал, пикет 1,2 км (АДК-1,2 км) |
|
Дата |
Время наблюдения, ч, мин |
Отсчет по рейке, м |
Отсчет, приведенный к 0 глубин |
Поправка для исправления глубин |
|
25.VI |
7-00 |
+1,60 |
- |
-1,60 |
|
|
9-00 |
+1,62 |
- |
-1,60 |
|
|
13-00 |
+1,74 |
- |
-1,75 |
|
|
15-00 |
+1,78 |
- |
-1,80 |
|
|
19-00 |
+1,70 |
- |
-1,70 |
|
|
22-00 |
+1,65 |
- |
-1,65 |
|
26.VI |
01-00 |
+1,60 |
- |
-1,60 |
|
|
02-00 |
+1,58 |
- |
-1,60 |
|
|
03-00 |
+1,60 |
- |
-1,60 |
|
|
04-00 |
+1,49 |
- |
-1,50 |
|
|
05-00 |
+1,38 |
- |
-1,40 |
|
|
06-00 |
+1,37 |
- |
-1,35 |
|
|
07-00 |
+1,35 |
- |
-1,35 |
|
|
08-00 |
+1,30 |
- |
-1,30 |
|
|
09-00 |
+1,34 |
- |
-1,35 |
|
26.VI |
09-30 12-30 |
Рейка получила наклон от ударов волны. Сообщено на дистанцию пути. Наблюдения ведутся по рейке 3. Положение рейки исправлено. Поправка для приведения отсчетов к 0 порта равна +0,13 м. |
||
|
|
|
Исправление произвел …...... |
||
|
|
13-00 |
+1,45 |
+1,58, |
-1,60 |
|
|
14-00 |
+1,48 |
+1,61 |
-1,60 |
|
Примечание. Отметки о повреждении рейки, установлении новой поправки, а также результаты контроля рейки записываются в строке записи отсчетов. |
||||
(справочное)
Таблица Д.1
Двухканальные многолучевые эхолоты
|
Наименование параметра |
Марка эхолота |
|
|
Echotrac DF 3200MK II |
Bathy-1000 |
|
|
Производитель |
«Odom Offshore Surveys» США |
«Ocean Data Equipment Corh.», США |
|
Диапазон измеряемых глубин, м минимальная максимальная |
0,5 4000 |
0,5 6000 |
|
Рабочие частоты, кГц: |
|
|
|
высокие |
от 100 до 1000 |
100 и 200 |
|
низкие |
от 12 до 50 |
3, 5, 12, 24, 33 и 40 |
|
Точность измерения глубин, см |
±10 на глубине до 600 м |
±10 см на глубинах до 100 м ±0,3 % на глубинах до 6000 м |
|
Центральный прибор: габариты, мм |
470´432´279 |
280´400´540 |
|
масса, кг |
21,7 |
30 |
Таблица Д.2
Однолучевые эхолоты
|
Наименование параметра |
Марка эхолота |
||
|
ЭП-0,2Р |
ЕА-400Р |
Hydrotrans 97001 |
|
|
Производитель |
ГУП «Прибой» Таганрог, Россия |
«Simrad» Норвегия |
США |
|
Диапазон измеряемых глубин, м: минимальная максимальная |
0,2 100 |
0,2 100 |
0,5 100 |
|
Рабочие частоты, кГц: высокие низкие |
170 или 235 |
120 и 200 38 и 50 |
200 (стандарт) 33 и 44 |
|
Точность измерения глубин, см |
+5 на глубине до 10 м ±1 % на глубине от 10 до 100 м |
±1 (200 кГц) ±5 (38 кГц) |
±1 ¸ 0,1 % от глубины (200 кГц) ±10 ¸ 0,1 % от глубины (33 кГц) |
|
Комплектация |
Прибор управления (масса 0,65 кг), антенна (масса 0,75 кг) |
Блок приемопередатчиков, забортный вибратор, компьютер «ноутбук» |
Процессор, блок с дисплеем, масса 11,25 кг |
Таблица Д.3
Многолучевые одноканальные эхолоты
|
Наименование параметра |
Марка эхолота |
||
|
EM-3000 |
E-Sea Sond 103 |
Sea Bat 8101 |
|
|
Производитель |
«Simrad» Норвегия |
«Marimatech» Дания |
«Reson A/S» Дания |
|
Диапазон измеряемых глубин, м: минимальная максимальная |
0,5 300 |
0,5 1600 |
1,0 320 |
|
Рабочие частоты, кГц: |
|
|
|
|
высокие |
292 - 308 |
200 |
240 |
|
низкие |
- |
33 и 50 |
- |
|
Точность измерения глубин, см |
+5 на всем диапазоне глубин |
1±0,1 % глубины (200 кГц) 4 (5) ±0,1 % от глубины (50 (33) кГц) |
±1,25 (95 % об.) |
|
Полоса перекрытия |
4Н (одна сонарная головка), 10Н (две сонарные головки) |
до 10Н |
7,4Н (от 1 до 70 м) |
|
Комплектация |
Процессорный блок, сонарная головка (одна или две массой 15 кг каждая) |
Процессорный блок с дисплеем массой 17 кг, две сонарные головки |
Процессорный блок, приемоизлучатель |
(рекомендуемое)
Таблица Е.1
Формы площадей и формулы
|
Формула |
|
|
Общая. Расстояния между точками неравные |
|
|
|
|
|
2. Расстояния между двумя точками равные |
|
|
|
а) по снимаемому слою S = I×(Dh1 + Dh2 + … + Dhn-1 + Dhn) (39) |
|
|
6) по сумме глубин до и после черпания S = I×[(H1 + H2 + … + Hn) - (H¢1 + H¢2 + … + H¢n)] (40) |
|
При ограниченной длине профиля, когда дальнейший откос не включается в объем |
|
|
|
S = I×((Dh1 + Dhn)/2+ Dh2 + … + Dhn-1 +) (41) |
|
При расчете проектной выемки |
|
|
|
S = H0×Bp - ((H1 + Hn)/2+ H2 + … + DHn-1)×I (34) |
Е.1 Примеры расчета площадей выемки
Пример 1
По данным промера канала до и после черпания на профиле 5600 следует рассчитать площадь выемки.
Таблица Е.2
Результаты промера и расчета снимаемого слоя
|
Расстояние, м |
Глубина, м |
Снимаемый слой |
||||
|
от оси |
I |
м |
после черпания Н |
до черпания Н |
Dh |
м |
|
Левая бровка |
||||||
|
55 |
I1 |
10 |
4,10 |
4,10 |
Dh0 |
0,00 |
|
45 |
I2 |
5 |
4,50 |
4,25 |
Dh1 |
0,25 |
|
40 |
I3 |
2,5 |
5,20 |
4,50 |
Dh2 |
0,70 |
|
37,5 |
I4 |
5 |
6,00 |
5,50 |
Dh3 |
0,50 |
|
35 |
I5 |
10 |
6,30 |
5,70 |
Dh4 |
0,60 |
|
30 |
I6 |
10 |
6,40 |
5,65 |
Dh5 |
0,75 |
|
20 |
I7 |
10 |
6,45 |
5,75 |
Dh6 |
0,70 |
|
10 |
I8 |
10 |
6,30 |
5,70 |
Dh7 |
0,60 |
|
0 (ось) |
I0 |
0 |
6,30 |
5,70 |
Dh8 |
0,60 |
|
10 |
I9 |
10 |
6,30 |
5,85 |
Dh9 |
0,45 |
|
20 |
I10 |
10 |
6,25 |
5,60 |
Dh10 |
0,65 |
|
30 |
I11 |
10 |
6,15 |
5,30 |
Dh11 |
0,85 |
|
35 |
I12 |
5 |
5,40 |
4,60 |
Dh12 |
0,80 |
|
37,5 |
I13 |
2,5 |
4,80 |
4,30 |
Dh13 |
0,50 |
|
40 |
I14 |
2,5 |
4,30 |
4,15 |
Dh14 |
0,15 |
|
45 |
I15 |
5 |
4,20 |
4,10 |
Dh15 |
0,15 |
|
55 |
I17 |
10 |
4,10 |
4,10 |
Dh16 |
0,00 |
|
Правая бровка |
||||||
Как видно из таблицы, расстояние (I) между промерными точками неравное: в средней части через 10 м, а на бровках - через 2,5 и 5,0 м. Для этого случая площадь (5) поперечного сечения рекомендуется рассчитывать по формуле (38):
S = 1/2[(0,25×10,0) + (0,25 + 0,70)×5 + (0,70 + 0,50)×2,5 + (0,50 + 0,60)×5 +
+ (0,60 + 0,75)×10 + (0,75 + 0,70)×10 + (0,70 + 0,60)×10 + (0,60 + 0,60)×10 +
+ (0,60 + 0,45)×10 + (0,45 + 0,65)×10 + (0,65 + 0,85)×10 + (0,85 + 0,80)×10 +
+ (0,80 + 0,50)×5 + (0,50 + 0,15)×2,5 + (0,15 + 0,15)×2,5 + 0,15×5] = 65,69.
Промер профиля 600 до и после черпания выполнен через равные расстояния между точками, I = 5 м.
Таблица Е.3
Данные промера и расчет снимаемого слоя
|
Точки |
Расстояние, м |
Глубина, м |
Dh, м |
||
|
от оси |
I |
После черпания Н |
До черпания Н¢ |
||
|
1 |
35 |
5 |
9,0 |
9,0 |
0,0 |
|
2 |
30 |
5 |
9,5 |
9,2 |
0,3 |
|
3 |
25 |
5 |
9,8 |
9,3 |
0,5 |
|
4 |
20 |
5 |
9,9 |
9,3 |
0,6 |
|
5 |
15 |
5 |
9,9 |
9,4 |
0,5 |
|
6 |
10 |
5 |
10,0 |
9,4 |
0,6 |
|
7 |
5 |
5 |
10,0 |
9,4 |
0,6 |
|
8 |
0 |
5 |
10,1 |
9,5 |
0,6 |
|
9 |
5 |
5 |
10,1 |
9,5 |
0,6 |
|
10 |
10 |
5 |
10,0 |
9,5 |
0,5 |
|
11 |
15 |
5 |
10,1 |
9,4 |
0,7 |
|
12 |
20 |
5 |
9,8 |
9,4 |
0,4 |
|
13 |
25 |
5 |
9,7 |
9,2 |
0,5 |
|
14 |
30 |
5 |
9,3 |
9,1 |
0,2 |
|
15 |
35 |
5 |
9,1 |
9,1 |
0,0 |
|
å |
146,3 |
139,7 |
6,6 |
||
Площадь (S) поперечного сечения выемки в данном случае может быть вычислена двумя способами:
а) по сумме снимаемого слоя (Dh) по формуле (39):
S = 5,0(0,3 + 0,5 + 0,6 + 0,5 + 0,6 + 0,6 + 0,6 + 0,6 + 0,5 + 0,7 + 0,4 + 0,5 + 0,2) = 33,0 м2
или
б) по суммам глубин до и после черпания, рассчитанным в вышеприведенной таблице, по формуле (40):
S = 5,0[146,3 - 139,7] = 33,0 м2.
Пример 3
Произведен промер выемки, в которой нет откосов или дальнейшее образование откосов не принимается в расчет. Расстояние между промерными точками 5 м, на всем протяжении равное.
Таблица Е.4
Толщина снимаемого слоя на профиле 2400
|
Dh1 |
Dh2 |
Dh3 |
Dh4 |
Dh5 |
Dh6 |
Dh7 |
Dh8 |
Dh9 |
Dh10 |
Dh11 |
|
0,80 |
0,60 |
0,25 |
0,55 |
0,40 |
0,15 |
0,10 |
0,25 |
0,20 |
0,35 |
0,40 |
В этом случае площадь (S) поперечного сечения следует рассчитывать по формуле (41)
S = 5,0((0,80 + 0,40)/2 + 0,60 + 0,25 + 0,55 + 0,40 + 0,15 + 0,10 + 0,25 + 0,20 + 0,35) = 17,25 м2.
Пример 4
На участке канала следует рассчитать площадь (S) поперечного сечения проектируемой выемки для определения объема дноуглубительных работ. Проектные глубины Н0 = 7,0 м. Ширина рабочей прорези В0 = 80,0 м.
Таблица Е.5
Существующие глубины измерены с равными интервалами I = 10 м
|
Н¢1 |
Н¢2 |
Н¢3 |
Н¢4 |
Н¢5 |
Н¢6 |
Н¢7 |
Н¢8 |
|
5,80 |
5,90 |
5,85 |
6,00 |
6,10 |
5,95 |
5,95 |
5,80 |
Расчет площади поперечного сечения проектируемой выемки производят по формуле (34):
S = 7,0´80 - ((5,80 + 5,80)/2 + 5,90 + 5,85 + 6,0 + 6,10 + 5,95 + 5,95)×10 = 144,5 м3
Е.2 Примеры расчета объема выемки
Пример 1
На участке канала произведен промер по поперечным профилям, расположенным в неравных расстояниях. Площади (S) поперечного сечения рассчитаны по формулам, приведенным в таблице Е.1, и результаты даны ниже.
Таблица Е.6
Результаты расчета
|
S, м2 |
L, м |
||
|
S1 |
37,5 |
|
|
|
S2 |
79,0 |
L1 |
100 |
|
S3 |
72,0 |
L2 |
75 |
|
S4 |
101,0 |
L3 |
110 |
|
S5 |
95,0 |
L4 |
90 |
Для данных условий объем (V) извлеченного грунта следует рассчитывать по формуле (42).
V = S[(37,5 + 79,0)100 + (79,0 + 72,0)75 + (72,0 + 101,0)110 + (101,0 + 95,0)90] = 29822,5 м3
Пример 2
Приемо-сдаточный промер произведен галсами через равные расстояния между пикетами L = 100 м, площади (S) поперечного сечения составляют:
Таблица Е.7
Результаты расчета
|
S1 |
S2 |
S3 |
S4 |
S5 |
|
43,1 |
52,6 |
39,1 |
48,7 |
42,6 |
Расчет объема следует выполнять по формуле (43):
V = 100((43,1 + 42,6)/2 + 52,6 + 39,1 +48,7) = 18325 м3.
Пример 3
На дноуглубительной прорези произведен декадный исполнительный промер и измерено расстояние, а = 25 м, от последнего промерного пикета до места грунтозаборного устройства. Профили расположены через равные интервалы L = 100 м. По данным промера рассчитаны площади поперечного сечения (S) для каждого профиля, м2.
Таблица Е.8
Результаты расчета
|
S1 |
S2 |
S3 |
S4 |
S5 |
|
68,4 |
73,2 |
79,4 |
73,5 |
65,6 |
Объем извлеченного грунта за данную декаду рассчитывается по формуле (44):
V = 100((68,4 + 65,6)/2 + 73,2 + 79,4 +73,5) + 65,6×25 = 30950 м3.
В последующей декаде произведен промер профиля 6 и вычислена его площадь S6 = 75,3 м2. Оставшийся неучтенный объем (V6) между профилями 5 и 6 уточняется по формуле (45) и включается в следующую декаду:
V6 = ((65,6 + 75,3)/2)×100 - 65,6×25 = 5405 м3.
Таблица Е.9
Схема участков и формулы
|
Схема участка |
Формула |
|
Общая. Расстояния между профилями неравные |
|
|
|
|
|
Расстояния между профилями равные |
|
|
|
|
|
При включении в объем временно непромеренного участка |
|
|
|
Объем, включенный в последующую декаду
|
|
С учетом врезки земснаряда и откоса в конце выемки |
|
|
|
Объем врезки:
Объем концевого участка
|
|
Ориентировочный объем выемки |
|
|
|
V = Вр×Lуч×Dhуч, (33) где Dhуч - средний снимаемый слой по участку, м. |
|
Объем допускаемого перебора |
|
|
|
Vпер = (Вр + 2DВq)×Lуч×DHq, (32) где DВq - допуск по ширине, м; DНq - допуск по глубине, м. |
Пример 4
- На разработанной выемке котлована (рисунок Е.1) произведен приемо-сдаточный промер и замерены расстояния:
- а1 - от начального пикета - 1 до подошвы откоса врезки снаряда равно 15 м;
- b1 - от подошвы до бровки откоса (по горизонту) равно 18 м;
- an - от концевого пикета - 5 до подошвы откоса концевого участка выемки равно 12 м;
- bn - от подошвы до бровки откоса выемки равно 16 м.
Рисунок Е.1 - Выемка котлована
Расстояние между пикетами равно L = 50 м.
По данным промера рассчитаны площади (S) поперечного сечения для каждого профиля:
Таблица Е.10
Результаты расчета
|
S1 |
S2 |
S3 |
S4 |
S5 |
|
68,6 |
71,5 |
67,4 |
66,2 |
69,5 |
Объем вынутого грунта рассчитывается по формуле (46):
V = 50((68,5 + 69,5)/2 + 71,5 + 67,4 + 66,2) + Vвр + Vк = 16748,4 м3
Объем врезки рассчитывается по формуле (47)
Vвр = 68,6×15 +(68,6/2)×18 = 1646,4 м3;
Объем концевого участка рассчитывается по формуле (48):
Vк = 69,5×12 + (69,5/2)×16 = 1390,0 м3.
V = 13707,5 + 1646,4 + 139,0 = 16743,9 м3
Пример 5
По данным контрольного промера следует рассчитать ориентировочный объем (V) предстоящих дноуглубительных работ при следующих полученных значениях:
- длина участка Lуч = 2700 м;
- ширина рабочей прорези Вр = 120 м;
- средняя толщина снимаемого слоя по участку, рассчитанная по формуле (37):
Dhуч = 0,43 м.
Объем определяется по формуле (33):
V = 120×2700×0,43 = 139320 м3.
Пример 6
Для определения полного объема дноуглубительных работ, выполненных черпаковым земснарядом, необходимо рассчитать планируемый объем максимально допускаемого перебора по габаритам прорези при следующих данных:
- длина разрабатываемого участка Lуч = 3000 м;
- ширина рабочей прорези Вр = 110 м;
- допуск по ширине 2DВд = 4 м;
- допуск по глубине DНд = 0,3 м.
Объем допускаемого перебора определяется по формуле (32):
Vпер = (110 + 4)×3000×0,3 = 102600 м3.
(рекомендуемое)
|
Проект ................ Капитану порта__________ (наименование) _____________________ (Ф. И. О.) ИНФОРМАЦИЯ
|
|||||||||||||||||||||||||||
|
Участки канала |
Проектные навигационные габариты, м |
Фактические навигационные габариты, м |
Лимитирующие участки |
||||||||||||||||||||||||
|
по глубине |
по ширине |
||||||||||||||||||||||||||
|
глубина |
ширина |
глубина |
ширина |
номер пикета |
|||||||||||||||||||||||
|
Открытая часть |
|
|
|
|
|
|
|||||||||||||||||||||
|
Закрытая часть |
|
|
|
|
|
|
|||||||||||||||||||||
|
Речная часть |
|
|
|
|
|
|
|||||||||||||||||||||
|
На акваториях (гаванях) и рейдах - промер произведен ___________________ (день, месяц, год) |
|||||||||||||||||||||||||||
|
Участки акватории (гавани), рейда |
Проектные навигационные габариты, м |
Фактические навигационные габариты, м |
Лимитирующие участки (ai) и (bi) |
||||||||||||||||||||||||
|
по глубине |
по длине |
по ширине |
|||||||||||||||||||||||||
|
глубина |
длина |
ширина |
глубина |
длина |
ширина |
номер пикета |
|||||||||||||||||||||
|
Акватория (гавань) |
|
|
|
|
|
|
|
|
|
||||||||||||||||||
|
Рейд № |
|
|
|
|
|
|
|
|
|
||||||||||||||||||
|
У причалов промер произведен__________________________________ (день, месяц, год) |
|||||||||||||||||||||||||||
|
Наименование или номер причала |
Глубина, м |
||||||||||||||||||||||||||
|
Расстояние от стенки причала, м |
|||||||||||||||||||||||||||
|
0 |
1,0 |
2,5 |
5,0 |
10,0 |
15,0 |
20,0 |
25,0 |
30,0 |
40,0 |
50,0 |
|||||||||||||||||
|
Причал № 1 № 2 и т.д. |
|
|
|
|
|
|
|
|
|
|
|
||||||||||||||||
|
Примечания: 1. При заполнении граф величинами глубин у причалов следует в числителе указывать заданную навигационную глубину, в знаменателе - фактическую, приведенную к нулю порта. 2. В примечании может указываться необходимая дополнительная информация. 3. Глубины приведены к нулю порта. |
|||||||||||||||||||||||||||
|
Приложение: Планы (планшеты) промеров -____________(экз) |
|||||||||||||||||||||||||||
|
* Руководитель организации, выполнившей промер |
__________________ |
________________ подпись (Ф. И. О) |
|||||||||||||||||||||||||
|
Начальник службы канала (дистанции пути) |
__________________ |
________________ подпись (Ф. И. О) |
|||||||||||||||||||||||||
|
Начальник промерной (гидрографической) партии |
__________________ |
________________ подпись (Ф. И. О) |
|||||||||||||||||||||||||
* При выполнении промера сторонней организацией
(обязательное)
Р = 206Isin(М + q)
Знак поправки положителен при углах М + q от 0 до 180° и отрицательный при углах М + q от 180 до 360°
|
M + q |
I, м |
М + q |
||||||||
|
0,10 |
0,20 |
0,30 |
0,40 |
0,05 |
0,06 |
0,07 |
0,08 |
0,09 |
||
|
0° 180° |
0 |
0 |
0 |
0 |
0 |
0 |
0 |
0 |
0 |
180° 360° |
|
1 181 |
0 |
1 |
1 |
1 |
0 |
0 |
0 |
0 |
0 |
179 359 |
|
2 182 |
1 |
1 |
2 |
3 |
0 |
0 |
1 |
1 |
1 |
178 358 |
|
3 183 |
1 |
2 |
3 |
4 |
2 |
1 |
1 |
1 |
1 |
177 357 |
|
4 184 |
1 |
3 |
4 |
6 |
1 |
1 |
1 |
1 |
1 |
176 356 |
|
5 185 |
2 |
4 |
5 |
7 |
1 |
1 |
1 |
1 |
2 |
175 355 |
|
6 186 |
2 |
4 |
6 |
9 |
1 |
1 |
2 |
2 |
2 |
174 354 |
|
7 187 |
3 |
5 |
8 |
10 |
1 |
2 |
2 |
2 |
2 |
173 353 |
|
8 188 |
3 |
6 |
9 |
11 |
1 |
2 |
2 |
2 |
3 |
172 352 |
|
9 189 |
3 |
6 |
10 |
13 |
2 |
2 |
2 |
3 |
3 |
171 351 |
|
10 190 |
4 |
7 |
11 |
14 |
2 |
2 |
3 |
3 |
3 |
170 350 |
|
11 191 |
4 |
8 |
12 |
16 |
2 |
2 |
3 |
3 |
4 |
169 349 |
|
12 192 |
4 |
9 |
13 |
17 |
2 |
3 |
3 |
3 |
4 |
168 348 |
|
13 193 |
5 |
9 |
14 |
19 |
2 |
3 |
3 |
4 |
4 |
167 347 |
|
14 194 |
5 |
10 |
15 |
20 |
2 |
3 |
3 |
4 |
4 |
166 346 |
|
15 195 |
5 |
11 |
16 |
21 |
3 |
3 |
4 |
4 |
5 |
165 345 |
|
16 196 |
6 |
11 |
17 |
23 |
3 |
3 |
4 |
5 |
5 |
164 344 |
|
17 197 |
6 |
12 |
18 |
24 |
3 |
4 |
4 |
5 |
5 |
163 343 |
|
18 198 |
6 |
13 |
19 |
25 |
3 |
4 |
4 |
5 |
6 |
162 342 |
|
19 199 |
7 |
13 |
20 |
27 |
3 |
4 |
5 |
5 |
6 |
161 341 |
|
20 200 |
7 |
14 |
21 |
28 |
4 |
4 |
5 |
6 |
6 |
160 340 |
|
21 201 |
7 |
15 |
22 |
30 |
4 |
4 |
5 |
6 |
7 |
159 339 |
|
22 202 |
8 |
15 |
23 |
31 |
4 |
5 |
5 |
6 |
7 |
158 338 |
|
23 203 |
8 |
16 |
24 |
32 |
4 |
5 |
6 |
6 |
7 |
157 337 |
|
24 204 |
8 |
17 |
25 |
34 |
4 |
5 |
6 |
7 |
8 |
156 336 |
|
25 205 |
9 |
17 |
26 |
35 |
5 |
5 |
6 |
7 |
8 |
155 335 |
|
26 206 |
9 |
18 |
27 |
36 |
5 |
5 |
6 |
7 |
8 |
154 334 |
|
27 207 |
9 |
19 |
28 |
37 |
5 |
6 |
7 |
7 |
8 |
153 333 |
|
28 208 |
10 |
19 |
29 |
39 |
5 |
6 |
7 |
8 |
9 |
152 332 |
|
29 209 |
10 |
20 |
30 |
40 |
5 |
6 |
7 |
8 |
9 |
151 331 |
|
30 210 |
10 |
21 |
31 |
41 |
5 |
6 |
7 |
8 |
9 |
150 330 |
|
31 211 |
11 |
21 |
32 |
42 |
5 |
6 |
7 |
8 |
10 |
149 329 |
|
32 212 |
11 |
22 |
33 |
44 |
5 |
7 |
8 |
9 |
10 |
148 328 |
|
33 213 |
11 |
22 |
34 |
45 |
6 |
7 |
8 |
9 |
10 |
147 327 |
|
34 214 |
12 |
23 |
35 |
46 |
6 |
7 |
8 |
9 |
10 |
146 326 |
|
35 215 |
12 |
24 |
35 |
47 |
6 |
7 |
8 |
9 |
11 |
145 325 |
|
36 216 |
12 |
24 |
36 |
48 |
6 |
7 |
8 |
10 |
11 |
144 324 |
|
37 217 |
12 |
25 |
37 |
50 |
6 |
7 |
9 |
10 |
11 |
143 323 |
|
38 218 |
13 |
25 |
38 |
51 |
6 |
8 |
9 |
10 |
11 |
142 322 |
|
39 219 |
13 |
26 |
39 |
52 |
6 |
8 |
9 |
10 |
12 |
141 321 |
|
40 220 |
13 |
26 |
40 |
53 |
7 |
8 |
9 |
11 |
12 |
140 320 |
|
41 221 |
14 |
27 |
41 |
54 |
7 |
8 |
9 |
11 |
12 |
139 319 |
|
42 222 |
14 |
27 |
41 |
55 |
7 |
8 |
10 |
11 |
12 |
138 318 |
|
43 223 |
14 |
28 |
42 |
56 |
7 |
8 |
10 |
11 |
13 |
137 317 |
|
44 224 |
14 |
29 |
43 |
57 |
7 |
9 |
10 |
11 |
13 |
137 316 |
|
45 225 |
15 |
29 |
44 |
58 |
7 |
9 |
10 |
12 |
13 |
135 315 |
|
46 226 |
15 |
30 |
44 |
59 |
7 |
9 |
10 |
12 |
13 |
134 314 |
|
47 227 |
15 |
30 |
45 |
60 |
8 |
9 |
11 |
12 |
14 |
133 313 |
|
48 228 |
15 |
31 |
46 |
61 |
8 |
9 |
11 |
12 |
14 |
132 312 |
|
49 229 |
16 |
31 |
47 |
62 |
8 |
9 |
11 |
12 |
14 |
131 311 |
|
50 230 |
16 |
32 |
47 |
63 |
8 |
9 |
11 |
13 |
14 |
130 310 |
|
51 231 |
16 |
32 |
48 |
64 |
8 |
10 |
11 |
13 |
14 |
129 309 |
|
52 232 |
16 |
32 |
49 |
65 |
8 |
10 |
11 |
13 |
15 |
128 308 |
|
53 233 |
16 |
33 |
49 |
66 |
8 |
10 |
12 |
13 |
15 |
127 307 |
|
54 234 |
17 |
33 |
50 |
67 |
8 |
10 |
12 |
13 |
15 |
126 306 |
|
55 235 |
17 |
34 |
51 |
67 |
8 |
10 |
12 |
13 |
15 |
125 305 |
|
56 236 |
17 |
34 |
51 |
68 |
9 |
10 |
12 |
14 |
15 |
124 304 |
|
57 237 |
17 |
35 |
52 |
69 |
9 |
10 |
12 |
14 |
16 |
123 303 |
|
58 238 |
17 |
35 |
52 |
70 |
9 |
10 |
12 |
14 |
16 |
122 302 |
|
59 239 |
18 |
35 |
53 |
71 |
9 |
11 |
12 |
14 |
16 |
121 301 |
|
60 240 |
18 |
36 |
54 |
71 |
9 |
11 |
12 |
14 |
16 |
120 300 |
|
61 241 |
18 |
36 |
54 |
72 |
9 |
11 |
13 |
14 |
16 |
119 299 |
|
62 242 |
18 |
36 |
55 |
73 |
9 |
11 |
13 |
15 |
16 |
118 298 |
|
63 243 |
18 |
37 |
55 |
73 |
9 |
11 |
13 |
15 |
17 |
117 297 |
|
64 244 |
19 |
37 |
56 |
74 |
9 |
11 |
13 |
15 |
17 |
116 296 |
|
65 245 |
19 |
37 |
56 |
75 |
9 |
11 |
13 |
16 |
17 |
115 295 |
|
66 246 |
19 |
38 |
56 |
75 |
9 |
11 |
13 |
15 |
17 |
114 294 |
|
67 247 |
19 |
38 |
57 |
76 |
9 |
11 |
13 |
15 |
17 |
113 293 |
|
68 248 |
19 |
38 |
57 |
77 |
9 |
11 |
13 |
15 |
17 |
112 292 |
|
69 249 |
19 |
38 |
58 |
77 |
10 |
12 |
13 |
15 |
17 |
111 291 |
|
70 250 |
19 |
39 |
58 |
77 |
10 |
12 |
13 |
15 |
17 |
110 290 |
|
71 251 |
19 |
39 |
58 |
78 |
10 |
12 |
13 |
16 |
18 |
109 289 |
|
72 252 |
20 |
39 |
59 |
78 |
10 |
12 |
13 |
16 |
18 |
108 288 |
|
73 253 |
20 |
39 |
59 |
79 |
10 |
12 |
13 |
16 |
18 |
107 287 |
|
74 254 |
20 |
40 |
59 |
79 |
10 |
12 |
13 |
16 |
18 |
106 286 |
|
75 255 |
20 |
40 |
60 |
80 |
10 |
12 |
13 |
16 |
18 |
105 285 |
|
76 256 |
20 |
40 |
60 |
80 |
10 |
12 |
13 |
16 |
18 |
104 284 |
|
77 257 |
20 |
40 |
60 |
80 |
10 |
12 |
13 |
16 |
18 |
103 283 |
|
78 258 |
20 |
40 |
60 |
81 |
10 |
12 |
13 |
16 |
18 |
102 282 |
|
79 259 |
20 |
40 |
61 |
81 |
10 |
12 |
13 |
16 |
18 |
101 281 |
|
80 260 |
20 |
41 |
61 |
81 |
10 |
12 |
13 |
16 |
18 |
100 280 |
|
81 261 |
20 |
41 |
61 |
81 |
10 |
12 |
13 |
16 |
18 |
99 279 |
|
82 262 |
20 |
41 |
61 |
82 |
10 |
12 |
13 |
16 |
18 |
98 278 |
|
83 263 |
20 |
41 |
61 |
82 |
10 |
12 |
13 |
16 |
18 |
97 277 |
|
84 264 |
20 |
41 |
61 |
82 |
10 |
12 |
13 |
16 |
18 |
96 276 |
|
85 265 |
21 |
41 |
62 |
82 |
10 |
12 |
13 |
15 |
18 |
95 275 |
|
86 266 |
21 |
41 |
62 |
82 |
10 |
12 |
13 |
16 |
18 |
94 274 |
|
87 267 |
21 |
41 |
62 |
82 |
10 |
12 |
13 |
16 |
19 |
93 273 |
|
88 268 |
21 |
41 |
62 |
82 |
10 |
12 |
13 |
16 |
19 |
92 272 |
|
89 269 |
21 |
41 |
62 |
82 |
10 |
12 |
13 |
16 |
19 |
91 271 |
|
90 270 |
21 |
41 |
62 |
82 |
10 |
12 |
13 |
17 |
19 |
90 270 |
(рекомендуемое)

Рисунок И.1 - Расчетная схема
1. Первичные поправки:
- для промежуточных углов:
(И.1)
(И.2)
где w = (åСл - åСпр) - (Тn - Т0) ±180°;
- для связующих углов:
![]()
fi = ai + bi + ci - 180°.
2. Вторичные поправки:
![]()
![]()
где ws = (lgS0 + ålg sina) - (lgSn + ålg sinb).
Таблица И.1
Форма расчета элементов уравнивания:
|
Обозначение угла |
Измеренный угол |
Первичная поправка |
Исправленный угол |
Логарифм синуса исправленного угла |
DI² |
Вторичная поправка |
Уравненный угол |
|
|
|
|
|
|
|
|
|
(рекомендуемое)

Рисунок К.1 - Расчетная схема
Формулы:
fi = ai + bi + ci - 180°,
w = åci - B,
где В - исходный угол.
Первичные поправки:
![]()
где n - число промежуточных углов,
![]()
Вторичные поправки:
![]()
![]()
Таблица К.1
Форма для заполнения исходными данными и полученными результатами
|
Обозначение угла |
Название вершины |
Измеренный угол |
Первичная поправка |
Исправленный угол |
Логарифм синуса исправленного угла |
DI² |
Вторичная поправка |
Уравненный угол |
|
b1 |
Веха 1 |
|
|
|
|
|
|
|
|
c1 |
Сигнал 1 |
|
|
|
|
|
|
|
|
a1 |
Сигнал 2 |
|
|
|
|
|
|
|
|
bh |
Сигнал 3 |
|
|
|
|
|
|
|
|
ch |
Сигнал 1 |
|
|
|
|
|
|
|
|
ah |
Веха 2 |
|
|
|
|
|
|
|
(рекомендуемое)

Рисунок Л.1 - Расчетная схема
Формулы:
fi = ai + bi + ci - 180°.
Первичные поправки:
(ci) = 0,
.
Вторичные поправки:
![]()
![]()
где ws = ålg sina - ålg sinb.
Таблица Л.1
Форма для заполнения исходными данными и полученными результатами
|
Обозначение угла |
Название вершины |
Измеренный угол |
Первичная поправка |
Исправленный угол |
Логарифм синуса исправленного угла |
DI² |
Вторичная поправка |
Уравненный угол |
|
b1 |
|
|
|
|
|
|
|
|
|
c1 |
|
|
|
|
|
|
|
|
|
а1 |
|
|
|
|
|
|
|
|
|
bh |
|
|
|
|
|
|
|
|
|
ch |
|
|
|
|
|
|
|
|
|
аh |
|
|
|
|
|
|
|
|
|
åI² ålg sina
|
||||||||
(рекомендуемое)
Таблица М.1
Форма для заполнения исходными данными и полученными результатами
|
Название пункта |
Угол поворота b (левый по ходу) |
Дирекционный угол Т |
cos Т S, м sin Т |
Приращение координат |
Координаты |
||
|
DХ |
DУ |
X |
Y |
||||
|
|
|
|
|
|
|
|
|
|
åb = ¾¾¾¾¾ åS = ¾¾¾¾¾ Твыч = ¾¾¾¾¾ åDX = ¾¾¾¾¾ åDY = ¾¾¾¾¾ Ттв = ¾¾¾¾¾ Xn - X0 = ¾¾¾¾ Yn - Y0 = ¾¾¾¾ ________________________________________________________________________ wb wX wY wдоп =
dх =
Абсолютная
невязка хода: Относительная
невязка хода: |
|||||||
(рекомендуемое)

Рисунок Н.1 - Расчетная схема
Формулы:
![]()
Таблица Н.1
Форма заполнения расчетными результатами
|
Номер треугольника |
Пункты: 1, 2 - исходные, 3 - определяемые |
Уравненные углы a, b |
X1 Х2 Х3 |
ctgb ctga ctga + ctgb |
Y1 Y2 Y3 |
Хур |
Yур |
|
1 |
1 2 3 |
|
|
|
|
|
|
|
2 |
1 2 3 |
|
|
|
|
|
|
|
3 |
1 2 3 |
|
|
|
|
|
|
|
4 |
1 2 3 |
|
|
|
|
|
|
|
5 |
1 2 3 |
|
|
|
|
|
|
Для хода BifD: Для хода AqCD:
wX = XвычD - XтвD; wX = XвычС - XтвС;
wY = YвычD - YтвD; wY = YвычС - YтвС.
Допустимые wX = wY.
(рекомендуемое)

Р - определяемый пункт;
А и В - левые исходные пункты;
С и D - правые исходные пункты;
а и b - левый и правый измеряемые углы;
- координаты центров
окружностей, вмещающих измеренные углы;
Т - дирекционный угол прямой, соединяющей центры вмещающих окружностей;
S - расстояние между центрами вмещающих окружностей;
ra, rb - радиусы вмещающих окружностей.
Рисунок О.1 - Расчетная схема
Формулы:
(О.1)
(О.2)
(О.3)
(О.4)
(О.5)
(О.6)
(O.7)
(O.8)
(O.9)
(O.10)
(O.11)
(O.12)
Контроль:
(О.13)
(О.14)
(О.15)
Таблица O.1
Форма заполнения расчетными результатами
|
actga |
bctgb |
Определяемый пункт Р... |
||||
|
XB - XA XB + XA XA XB XCa XB - XCa XCb - XCa cosT |
YA - YB YA + YB YA YB YCa YB - YCa YCb - YCa sinT |
XD - XC XD + XC XC XD XCb XD - XCb tgT 2S |
YC - YD YC + YD YC YD YCb YD - YCb T S |
|
||
|
|
||||||
|
|
||||||
|
|
||||||
|
|
||||||
|
|
||||||
|
|
||||||
|
|
||||||
|
cos(T±90°) |
sin(T±90°) |
|
||||
|
|
ra2 |
m |
n |
|
|
|
|
DXA |
DYA |
Знаменат. |
ctga |
|
||
|
|
DXB |
DYB |
a |
|
|
|
|
XP YP |
|
|||||
(рекомендуемое)

Рисунок П.1 - Расчётная схема
Формулы:
(П.1)
(ВР) = (АВ) + a; (П.2)
(СР) = (АР) + b; (П.3)
(П.4)
(П.5)
YP = (XP - XA)tg(AP) + YA; (П.6)
YP = (XP - XС)tg(СP) + YС; (П.7)
Таблица П.1
Форма заполнения расчетными величинами
|
Порядок вычислений |
Определяемый пункт |
Р |
||
|
Исходные пункты |
А |
В |
С |
|
|
5 |
tg(AP), K1, K2 |
|
|
|
|
3 |
AP, a, b |
|
|
|
|
4 |
ctgb - ctga, ctga, ctgb |
|
|
|
|
6 |
(BP), (CP) |
|
|
|
|
8 |
tg(AP) - tg(BP), tg(BP) - tg(CP) |
|
|
|
|
7 |
tg(AP), tg(BP), tg(CP) |
|
|
|
|
10 |
Xp - Xi |
|
|
|
|
9 |
Xp |
|
|
|
|
1 |
Xi |
|
|
|
|
2 |
Yi |
|
|
|
|
11 |
Yp |
|
|
|
|
12 |
Xp, Yp |
|
|
|
(рекомендуемое)
Интерполяционную палетку применяют для разбивки точек на эхограмме и планшете, а также для прокладки определений на гониометрической сетке и сетке лучей.
Палетки изготовляют из кальки или другого тонкого прозрачного материала двух видов:
а) параллельная (рисунок Р.1а) для разбивки точек на эхограмме и планшете;
б) в виде пучка лучей для нанесения мест определения на сетке (рисунок Р.1б).
Рисунок Р.1 - Интерполяционные палетки
а) - параллельная; б) - в виде пучка лучей
Параллельная палетка представляет собой семейство параллельных линий, нанесенных на прозрачную основу тушью или твердым карандашом с равными интервалами. Количество линий и расстояния между ними устанавливают в зависимости от максимального количества разбиваемых точек между определениями. Разбивку точек производят путем накладывания палетки на эхограмму или планшет и поворачиванием ее до совмещения выбранных двух линий на палетке с точками определений на эхограмме или планшете, с последующим накалыванием точек на пересечениях параллельных линий и линий, соединяющих точки определения.
Палетка с пучком лучей состоит из линий, исходящих из одной точки под углом с равными интервалами. Крайние линии должны соответствовать угловому интервалу между дугами на сетке(10¢; 20¢; 30¢; 1° или 2°). Линии оцифровывают в соответствии со значением крайних линий.
Рисунок Р.2 - Примеры пользования палетками
Интерполяцию между дугами или лучами на сетке производят накладыванием крайних лучей палетки (пример 2, рисунок Р.2) линиями положения одного луча (60° и 60°30¢). Затем производят на палетке отсчет минут (9¢) измеренного угла (III), делают накол и проводят через него карандашом дугу (III). После этого повторяют операцию на смежной паре линий положения другого угла (92°30¢ и 93°). Пересечение дуг (III и IV) дает определяемую точку.