МИНИСТЕРСТВО СТРОИТЕЛЬСТВА И ЭКСПЛУАТАЦИИ
АВТОМОБИЛЬНЫХ ДОРОГ МОЛДАВСКОЙ ССР

УКАЗАНИЯ
п
о учету требований защиты окружающей среды
и землепользования при реконструкции автомобильных дорог
в условиях Молдавской ССР

ВСН 9-79
Минавтодора МССР

Кишинев 1980

УКАЗАНИЯ ПО УЧЕТУ ТРЕБОВАНИЙ ЗАЩИТЫ ОКРУЖАЮЩЕЙ СРЕДЫ И ЗЕМЛЕПОЛЬЗОВАНИЯ ПРИ РЕКОНСТРУКЦИИ АВТОМОБИЛЬНЫХ ДОРОГ В УСЛОВИЯХ МОЛДАВСКОЙ ССР

ВСН 9-79. МИНАВТОДОР МССР, 1979, с. 1 - 149.

Настоящие указания (ВСН 9-79) содержат рекомендации по учету требований защиты окружающей среды и землепользования при разработке проектов реконструкции или капитального ремонта автомобильных дорог в условиях Молдавской ССР,

Они предназначены для выбора оптимальных проектных решений, одновременно учитывающих требования повышения эффективности работы автомобильного транспорта, безопасности движения, защиты окружающей среды, экономного использования земли, снижения затрат на реконструкцию и эксплуатацию дорог.

Указания разработаны кафедрой «Изыскания и проектирования дорог» Московского автомобильно-дорожного института при участии ГПИ Молдгипроавтодор. В их составлении принимали участие сотрудники МАДИ профессор, доктор техн. наук В.Ф. Бабков, доценты, кандидаты технических наук В.И. Пуркин, Н.П. Орнатский, Ю.М. Ситников, О.А. Дивочкин, Ю.В. Кузнецов, инженеры П.И. Поспелов, Н.А. Рябиков, Б.А. Почикеев и сотрудники Молдгипроавтодора А.Я. Штерн, Е.Т. Усачёв, Э.И. Цукерман, И.К. Сухарев и Оргдорстроя Минавтодора МССР А.И. Лисайчук.

Министерство строительства и эксплуатации автомобильных дорог Молдавской ССР

Ведомственные строительные нормы

ВСН 9-79

Указания по учету требований защиты окружающей среды и землепользования при реконструкции автомобильных дорог в условиях Молдавской ССР

ВВЕДЕНИЕ

Широкая программа автомобилизации и развития сети автомобильных дорог СССР ставит перед проектировщиками, строителями и работниками службы эксплуатации автомобильных дорог Молдавской ССР ряд новых задач. Одной из них является учет требований защиты окружающей среды и рациональное использование природных ресурсов при строительстве и эксплуатации дорог,

В СССР Коммунистическая партия и Правительство удалят большое внимание проблеме защиты окружающей среды. В «Основных направлениях развития народного хозяйства СССР на 1975 - 1980 г.г.», принятых на XXV съезде КПСС, указывается: «Осуществлять меры по комплексному и рациональному использованию и охране земельных, водных и лесных ресурсов. Совершенствовать прогнозирование влияния производства на окружающую среду и учитывать его возможные последствия при подготовке и принятии проектных решений».

Решение вопросов защиты окружающей среды и рационального использования природных ресурсов основывается на принятых Верховным Советом СССР законах «О мерах по дальнейшему улучшению охраны природы и рациональному использованию природных ресурсов», «Основы земельного законодательства СССР и союзных республик», «Основы лесного законодательства СССР и союзных республик», «Основы законодательства СССР и союзных республик о здравоохранении», постановлении Совета Министров СССР «О мерах по снижению шума на промышленных предприятиях в городах и других населенных пунктах» 1973 г.

Внесены дорожно-транспортной научно-исследовательской лабораторией при МАДИ и ГПИ Молдгипроавтодор

Утверждены приказом по Министерству строительства и эксплуатации автомобильных дорог Молдавской ССР от 2.11.79 № 356

Срок введения 1 января 1980 года

Задачи охраны окружающей среды и рационального использования природных ресурсов особенно актуальны для Молдавии - республики с высокой плотностью населения, с высокопроизводительным интенсивно развивающимся сельским хозяйством, особенно ценными землями.

«Указания по учету требований защиты окружающей среды и землепользования при реконструкции автомобильных дорог в условиях Молдавской ССР» ВСН 9-79 Минавтодора МССР разработаны в развитие существующих нормативных документов с целью комплексного учета при реконструкции дорожной сети Молдавской ССР требований повышения эффективности работы автомобильного транспорта, безопасности движения, защиты окружающей среды, экономного и рационального использования земли. Они предназначены для выбора оптимальных решений при разработке проектов реконструкции автомобильных дорог, а также могут применяться при составлении проектов капитального ремонта дорог, разработке мероприятий по повышению безопасности движения, улучшению транспортно-эксплуатационных качеств и благоустройству автомобильных дорог в условиях Молдавской ССР.

РАЗДЕЛ 1. ОБЩИЕ ПОЛОЖЕНИЯ

1.1. Настоящие Указания предназначены для применения при разработке проектов реконструкции автомобильных дорог и могут быть использованы также при проектировании капитального ремонта автомобильных дорог и проведении мероприятий по повышению безопасности движения на автомобильных дорогах и их благоустройству.

1.2. При разработке проектов реконструкции автомобильных дорог должны комплексно решаться вопросы повышения транспортно-эксплуатационных качеств дороги, защиты окружающей среды и рационального использования природных ресурсов.

1.3. При реконструкции автомобильных дорог возникает необходимость решения следующих задач, связанных с проблемой защиты окружающей среды и рационального использования природных ресурсов:

- обеспечение безопасности движения;

- защита людей от вредного воздействия транспортного шума, отработавших газов;

- сохранение или улучшение существующего ландшафта;

- защита окружающей местности от загрязнения;

- защита поверхностных и грунтовых вод от загрязнения горюче-смазочными материалами и химическими веществами, применяющимися в процессе эксплуатации дороги, например, для борьбы с гололедом;

- сохранение существующего растительного и животного мира;

- предотвращение или борьба с водной и ветровой эрозией;

- обеспечение устойчивости склонов и земляного полотна на оползневых участках;

- сокращение площади отводимых земель, прежде всего, ценных сельскохозяйственных угодий;

- обеспечение благоприятных условий для использования расположенных рядом с дорогой земель в сельском хозяйстве;

- сохранение исторических, культурных и архитектурных памятников;

- защите зданий и сооружений вблизи дороги от повреждений, вызываемых колебаниями, возникающими при движении автомобилей по неровным покрытиям.

1.4. Безопасность, удобство и экономичность движения на дорогах могут быть обеспечены:

- рациональными сочетаниями элементов плана и профиля, не вызывающими резких изменений скоростей движения;

- правильным назначением числа полос движения на проезжей части, позволяющим разделить поток автомобилей по составу и направлениям движения (дополнительные полосы на подъемах и пересечениях дорог, направляющие островки на пересечениях в одном уровне);

- повышением ровности покрытия и величины его коэффициента сцепления;

- путем установки дорожных и путевых знаков для информации об условиях движения по дороге;

- использованием средств и методов организации движения на автомобильных дорогах.

1.5. При разработке проектов реконструкции автомобильных дорог следует руководствоваться требованиями и рекомендациями по обеспечению безопасности, удобства и экономичности движения, приведенными в СНиП II-Д.5-72, «Указаниях по организации и обеспечению безопасности движения на автомобильных дорогах» (ВСН 25-76 Минавтодора РСФСР) и в разделе 2 настоящих Указаний.

1.6. При реконструкции автомобильных дорог мероприятия по защите людей от транспортного шума и отработавших газов должны проводиться, в первую очередь, на участках дорог, проходящих через населенные пункты, или в непосредственной близости от них, а также от отдельно стоящих больниц, санаториев, домов отдыха, пионерских лагерей, детских садов, школ, баз отдыха и т.п.

Если уровень транспортного шума в зданиях, расположенных у дороги, или содержание в воздухе вредных веществ превышают допустимые нормы (см. раздел 3), наиболее эффективным решением является строительство обхода населенного пункта, увеличение расстояния между дорогой и зоной, подлежащей защите.

При невозможности изменения положения трассы в плане в качестве основных мер по защите от транспортного шума могут быть применены:

- мероприятия по организации движения, направленные на создание более равномерного режима движения транспортного потока, обеспечивающего наименьший при данной интенсивности уровень шума;

- конструктивные решения, основанные на использовании звукопоглощающих или звукоотражающих сооружений.

Рекомендации по назначению мероприятий по борьбе с транспортным шумом и загрязнением воздуха приведены в разделах 5, 10 и 11 настоящих Указаний.

1.7. В проектах реконструкции необходимо стремиться к обеспечению зрительной плавности дороги и гармоничному сочетанию ее с ландшафтом.

При этом проектирование участков дороги, прокладываемых по новому направлению, должно проводиться с соблюдением требований и рекомендаций СНиП IIIШ-Д.5-72 (п.п. 3.35 - 3.39) и «Указаний по архитектурно-ландшафтному проектированию и благоустройству автомобильных дорог» ВСН 4-74 Минавтодора МССР.

В случае необходимости максимального использования существующей дороги следует наряду с исправлением ее отдельных участков в плане и продольном профиле применять следующие методы сохранения (см. раздел 2 настоящих Указаний), совершенствования и украшения существующего ландшафта:

а) рекультивация придорожных резервов и брошенных при реконструкции участков дороги;

б) раскрытие красивых видов с дороги на расположенные поблизости исторические и культурные достопримечательности, озера, реки, леса;

в) улучшение рельефа придорожной полосы путем планировки пониженных мест;

г) декоративное озеленение дороги, в том числе и для маскировки строений, вид которых портит ландшафт, обнаженных откосов, выработанных карьеров;

д) устройство в карьерах водохранилищ.

1.8. В целях защиты окружающей местности, поверхностных и грунтовых вод от загрязнения пылью, бытовыми отходами, горючесмазочными и другими материалами, используемыми при эксплуатации дорог, рекомендуется:

а) предусматривать при реконструкции дорожной одежды устройство покрытий усовершенствованного типа исключающих пылеобразование;

б) укреплять обочины, в первую очередь, на участках дорог, проходящих через населенные пункты, а также в непосредственной близости от больниц, санаториев, школ, пионерских лагерей, детских садов, зон отдыха, водоохранных зон, через земельные угодья, где пыль снижает урожайность или качество сельскохозяйственных продуктов;

в) применять конструкции и размеры съездов на грунтовые дороги, соответствующие требованиям п. 4.6. СНиП II-Д.5-72;

г) предусматривать достаточное количество площадок для стоянки автомобилей и мест отдыха, предъявляя повышенные требования к их размещению, санитарно-гигиеническому обустройству и оборудованию и усиленному содержанию;

д) при расположении участка дороги в пределах водоохранной зоны и невозможности или нецелесообразности переноса дороги за пределы такой зоны следует отказаться от устройства на этом участке площадок для стоянки автомобилей и рассмотреть необходимость строительства изолированной системы водоотвода с очистными сооружениями, снижающими загрязнение поверхностных и грунтовых вод пылью, частицами резины, смазочными материалами, солями, смываемыми с проезжей части.

1.9. В целях сохранения существующего растительного и животного мира рекомендуется:

а) не предусматривать при реконструкции участков существующей дороги, проходящих через лес, мероприятий, которые могут привести к нарушению экологического равновесия (расширение просек, расчистка подлеска, изменение режима грунтовых вод при устройстве глубоких выемок или высоких насыпей);

б) при трассировании участков по новому направлению избегать пересечения лесных массивов, прежде всего, заповедников и нарушения установившихся путей миграции животных;

в) предусматривать в проектах мероприятия по предотвращению появления животных на проезжей части дорог и связанных с этим дорожно-транспортных происшествий (оборудование дороги предупреждающими знаками, ограждениями, катафотами, отпугивающими животных, создание специальных путей для пропуска животных под дорогой: под мостами, через скотопрогоны, трубы);

г) использовать для целей технического и декоративного озеленения дорог породы растений, характерные для данной ландшафтной зоны и представляющие особую ценность;

д) устраивать в заброшенных карьерах и грунтовых резервах водоемы.

1.10. При использовании участков существующей дороги или строительства по новому направлению, противоэрозионные мероприятия должны проводиться в комплексе с системой противоэрозионных мероприятий, осуществляемых в сельском хозяйстве.

В целях предотвращения развития эрозионных процессов, противоэрозионные мероприятия следует проектировать в соответствии с рекомендациями раздела 4.

При уклонах более 2 %, водопропускные трубы необходимо рассчитывать и проектировать как косогорные с обязательным доведением укрепления отводящего русла до базиса эрозии и устройством гасителей энергии предохранительного откоса.

1.11. Мероприятия по обеспечению устойчивости земляного полотна существующей дороги на оползневых участках, проектирование дороги по новому направлению в оползневой местности должны проводиться в соответствии с рекомендациями раздела 6 настоящих Указаний.

1.12. В целях уменьшения площади отводимых под реконструкцию дороги земель, прежде всего ценных сельскохозяйственных угодий, необходимо максимально использовать существующую дорогу, если это не противоречит требованиям повышения эффективности работы автотранспорта, безопасности движения и охраны окружающей среды, назначать места расположения сооружений на землях, не пригодных для использования в сельскохозяйственном производстве.

1.13. В соответствии с п. 1.1. СНиП II-Д.5-72 при разработке проектов реконструкции дорог для более полного использования существующей дороги допускаются отступления от норм СНиП II-Д.5-72 по отдельным элементам и участкам, обосновываемые технико-экономическими расчетами, выполняемыми в соответствии с рекомендациями разделов 7 - 9 настоящих Указаний.

1.14. В целях обеспечения благоприятных условий использования в сельскохозяйственном производстве земель, расположенных рядом с дорогой, при разработке проекта реконструкции дорог могут применяться следующие решения:

а) изменение положения трассы в плане для улучшения планировки сельскохозяйственных угодий, обеспечения оптимальных условий строительства систем искусственного орошения;

б) отказ от устройства высоких насыпей и глубоких выемок, применение эстакад в соответствии с рекомендациями раздела 4;

в) назначение мест расположения водопропускных сооружений с учетом существующей или проектируемой системы искусственного орошения;

г) выбор достаточно больших отверстий водопропускных сооружений с тем, чтобы ограничить аккумуляцию воды выше сооружений при пропуске расчетных паводков и исключить заиление сельскохозяйственных угодий;

д) применение мероприятий по борьбе с пылеобразованием (см. п. 1.8);

е) использование для озеленения дорог видов растений, не являющихся сорняками и не создающих благоприятных условий для развития болезней сельскохозяйственных растений и насекомых - вредителей.

1.15. При расположении существующей дороги в непосредственной близости от зданий и сооружений, имеющих значительную историческую или культурную ценность, для предупреждения их разрушения вследствие воздействия водного потока при аккумуляции, выше сооружения необходимо предусматривать мероприятия согласно разделу 4. При вибрациях, вызываемых движением автомобилей по неровной проезжей части, необходимо предусматривать в проектах реконструкции одно или одновременно несколько из следующих мероприятий:

а) устройство ровного (в особых случаях специального, поглощающего толчки) покрытия;

б) строительство антивибрационных экранов в виде траншей, заполненных песком или гравием;

в) ограничение скорости движения автомобилей;

г) перенос дороги на достаточное расстояние от зданий, подлежащих защите.

1.16. Оптимальные решения при реконструкции автомобильных дорог, учитывающие одновременно требования повышения транспортно-эксплуатационных качеств дорог, безопасности движения, защиты окружающей среды и землепользования, рекомендуется находить методами вариантного проектирования путем их сравнения по технико-экономическим показателям по методике, изложенной в разделе 7.

РАЗДЕЛ 2. МЕТОДЫ РЕКОНСТРУКЦИИ АВТОМОБИЛЬНЫХ ДОРОГ В ПЛАНЕ И ПРОДОЛЬНОМ ПРОФИЛЕ

Исправление трассы дороги в плане

2.1. Исправление трассы дороги в плане вызывается необходимостью:

- устранения необоснованно извилистой дороги, вызывающей перепробег автотранспорта и создающей опасность дорожно-транспортных происшествий;

- устранения мест, где водителю не ясно направление дальнейшего движения;

- улучшения пересечений автомобильных или железных дорог, водотоков;

- увеличения радиусов кривых в плане;

- улучшения условий водоотвода;

- обхода зон, в пределах которых дорога оказывает (или может оказывать) неблагоприятное влияние на окружающую среду или землепользование.

2.2. Выявление участков дорог, требующих переустройства в плане, должно производиться на основе анализа графиков пропускной способности, коэффициентов аварийности, коэффициентов безопасности, данных о скоростях движения и распределении дорожно-транспортных происшествий на существующей дороге, с учетом требований защиты окружающей среды и других отраслей народного хозяйства в соответствии с положениями раздела 1.

2.3. При реконструкции дороги в плане целесообразно в максимально возможной степени использовать существующую дорогу и ее полосу отвода. Извилистость дороги при проложении трассы по направлению старой дороги устраняют путем спрямления отдельных сравнительно коротких участков (рис. 2.1), или введения кривых большого радиуса, объединяющих несколько коротких кривых и прямых (рис. 2.2). Спрямляя извилистость участка дороги, следует избегать введения кривых малого радиуса при переходе от старой дороги к спрямлению.

2.4. При разработке вариантов реконструкции дороги в плане необходимо учитывать, что решения, соответствующие максимальному сокращению длины дороги, могут оказаться экономически выгодными не только вследствие уменьшения пробега автотранспорта, повышения безопасности движения, сокращения дорожно-эксплуатационных расходов, но и вовлечения в сельскохозяйственное производство земель, получаемых в результате рекультивации неиспользуемых участков старой дороги.

Рис. 2.1. Варианты исправления трассы в плане

Рис. 2.2. Варианты исправления трассы в плане

2.5. В процессе реконструкции дороги в целях обеспечения зрительной ясности направления дороги для водителей должны быть исправлены участки, где возможно неправильное ориентирование водителей:

- неудачные примыкания (рис. 2.3);

- петлеобразные участки дорог, устроенные при обходе какого-либо препятствия с последующим выходом на старое направление дороги (рис. 2.4);

- крутые повороты, расположённые за выпуклыми переломами продольного профиля (рис. 2.5).

Наибольший эффект при исправлении таких участков может быть достигнут при комплексном использовании средств оптического трассировании (см. «Указания по архитектурно-ландшафтному проектированию автомобильных дорог»).

Рис. 2.3. Примеры неудачных примыканий дорог, создающие у водителей неправильное представление о дальнейшем направлении дороги:

а - ложный ход; б - кажущийся поворот дороги; 1 - вид дороги; 2 - план дороги

Рис. 2.4. Неправильное представление у водителей о направлении дороги, вызванное скрытым поворотом дороги:

а - невидимый водителю издалека поворот; б - невидимый ночью поворот дороги под железнодорожный мост; 1 - вид дороги; 2 - план дороги

2.6. При реконструкции дорог кривые малых радиусов в плане необходимо перестраивать:

- при резком снижении транспортно-эксплуатационных качеств дороги на участках кривых;

- при повышенной аварийности на таких участках;

- для обеспечения большей четкости движения по дороге, в первую очередь, для устранения заездов автомобилей на полосу встречного движения.

Величина назначаемых радиусов кривых должна увязываться со скоростью движения автомобилей на смежных участках дороги, исходя из принципа выравнивания эпюры скоростей движения, с обеспечением значения коэффициента безопасности на смежных кривых не менее 0,8.

При назначении радиусов кривых в плане необходимо учитывать следующие рекомендации:

- в условиях, когда увеличение радиусов кривых не приводит к значительному увеличению объемов работ и площади занимаемых ценных сельскохозяйственных угодий, следует применять кривые, радиусом более 600 м;

- при реконструкции участка дороги в стесненных условиях применение кривых радиусом менее 400 м допускается при условии технико-экономического обоснования в соответствии с п. 9.6 настоящих Указаний;

- при необходимости применения кривых радиусом менее 250 м должны быть предусмотрены специальные мероприятия, повышающие удобство и обеспечивающие безопасность движения (см. п.п. 2.20 - 2.30).

2.7. Для уменьшения смещения кривой внутрь угла поворота при увеличении ее радиуса целесообразно закругления проектировать без круговой вставки в виде двух сопряженных переходных кривых (рис. 2.6).

2.8. Остающиеся после увеличения радиуса кривой участки старой дороги, если их не предполагается использовать для технических целей, например, для устройства площадок для стоянки или отдыха, следует рекультивировать, приводя в состояние, пригодное для использования в сельскохозяйственном производстве.

Рис. 2.5. Способы обеспечения видимости поворота дороги, скрытого за переломом продольного профиля:

а - перелом скрывает поворот дороги; б - поворот дороги стал виден в результате увеличения радиуса кривой в плане; в - поворот понятен водителю по видимым издалека вершинам деревьев

Рис. 2.6. Уменьшение величины смещения кривой от вершины угла при разбивке закругления сопряженными переходными кривыми:

1 - круговая кривая малого радиуса; 2 - сопряженные переходные кривые; 3 - круговая кривая большого радиуса

Рис. 2.7. Устранение заездов автомобилей на полосу встречного движения путем устройства на кривых малого радиуса разделительной полосы:

а - опасная кривая до реконструкции; б - та же кривая после устройства разделительной полосы; в - разделительная полоса на кривой с большим углом поворота

2.9. При значительных поперечных уклонах местности возможно устройство рядом с дорогой дополнительной проезжей части для одностороннего движения, используя применяемый при строительстве автомобильных магистралей принцип «ступенчатого расположения» проезжей части. При этом необходимо обеспечивать плавное сопряжение нового участка дороги с существующим.

2.10. При полной невозможности увеличения радиуса кривой рекомендуется для предотвращения заездов автомобилей на полосу встречного движения устраивать на проезжей части разделительную полосу или направляющий островок (рис. 2.7). Островок должен иметь ширину не менее 0,5 м и окаймляться скошенным бортовым камнем высотой не менее 20 - 30 см. С обеих сторон островка должны быть установлены указатели направлений.

Виражи и переходные кривые

2.11. Во всех случаях реконструкции следует предусматривать устройство виражей на кривых радиусом менее 2000 м. Поперечный уклон виражей назначается в соответствии с требованиями СНиП II-Д.5-72. На кривых радиусом от 2000 до 5000 м рекомендуется также применять односкатный поперечный профиль с уклоном, направленным к центру кривой и равным поперечному уклону на прямолинейных участках дороги.

2.12. Переход от односкатного к двухскатному поперечному профилю должен происходить в пределах переходной кривой или на прямолинейном участке дороги в соответствии с требованиями СНиП II-Д.5-72 к дополнительному уклону отгона виража.

2.13. Для уменьшения величины дополнительного продольного уклона на участке отгона виража и улучшения зрительной плавности внешней кромки кривой переход от двухскатного поперечного профиля к односкатному рекомендуется осуществлять путем вращения проезжей части вокруг ее оси (рис. 2.8).

2.14. Переходные кривые рекомендуется применять, исходя из условия обеспечения удобства движения, при радиусах закруглений менее 2500 м.

В качестве переходной кривой целесообразно принимать клотоиду с уравнением

А2 = RL,                                                                 (2.1)

где А - параметр клотоиды;

R - радиус круговой кривой, м;

L - длина переходной кривой, м.

2.15. Длины переходных кривых не должны быть меньше значений, указанных в табл. 1.2 СНиП II-Д.5-72.

Рис. 2.8. Способ перехода от односкатного поперечного профиля на виражах к двускатному путем поворота поперечного профиля вокруг оси проезжей части

Рекомендуется длину переходной кривой в уточнение п. 3.25 СНиП II-Д.5-72 определять расчетом по формуле

L = V3 : 47 R f,                                                       (2.2)

где V - расчетная скорость, км/ч;

R - радиус закругления, м;

f - скорость нарастания центробежного ускорения, м/с3 (следует определять по графику на рис. 2.9 в зоне между кривыми 2 и 1 в зависимости от отношения V2 : gR, где V - расчетная скорость, м/c; g = 9,81 м/с2).

2.16. Если величина смещения круговой кривой от введения переходной кривой не превышает 0,2 м, возможно отказаться от устройства переходной кривой, предполагая, что удобство проезда может быть достигнуто за счет небольшого смещения траектории автомобиля в пределах полосы движения.

2.17. При реконструкции дорог в целях уменьшения объемов работ по уширению проезжей части и земляного полотна целесообразно заменить обычно проектируемое смещение всей круговой кривой внутрь угла сдвижкой переходной кривой к вершине угла (рис. 2.10). При этом длина круговой кривой уменьшается, а при малой длине она может быть заменена сопряженными переходными кривыми.

2.18. На всех закруглениях радиусом менее 1000 м в соответствии с рекомендациями п. 3.20 СНиП II-Д.5-72 должно быть выполнено уширение проезжей части.

2.19. При разработке проекта реконструкции кривых в плане должно быть проверено обеспечение видимости.

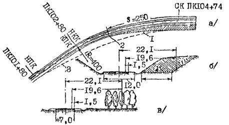
В случае, когда кривая малого радиуса не обеспечивает требуемого расстояния видимости, необходимо предусмотреть срезку откосов выемок, удаление возвышающихся элементов рельефа или вырубку растительности (рис. 2.11), а при невозможности выполнения таких мероприятий - ограничение скоростей движения и запрещение обгонов (см. п.п. 2.24 - 2.30).

Дополнительные мероприятия кривых в плане

2.20. На всех закруглениях с радиусами менее 250 м необходимо устраивать шероховатые покрытия (или поверхностную обработку), обеспечивающие безопасность движения с расчетной скоростью.

2.21. На закруглениях дорог высших категорий с радиусами менее 250 м (независимо от категории дороги) рекомендуется устанавливать на участках дорог с насыпями свыше 1,0 м с внешней стороны ограждения, препятствующие выезду автомобилей за пределы земляного полотна в случае дорожного происшествия и одновременно выполняют роль зрительно-направляющих элементов, облегчающих ориентирование водителей в темное время суток и при тумане.

2.22. С двух сторон закруглений радиусом менее 250 м и с внутренней стороны закруглений радиусом более 250 м необходимо устанавливать направляющие элементы в виде сигнальных столбиков в соответствии с п. 10.14 СНиП II-Д.5-72. Причем на подходах к закруглению необходимо устанавливать 3 - 4 столбика с постепенно уменьшающимися интервалами.

Рис. 2.9. График для определения расчетной величины нарастания центробежного ускорения

Рис. 2.10. Особенности расположения переходной кривой при реконструкции дорог:

а - обычный способ вписывания переходной кривой; б - вписывание переходной кривой со смещением центра круговой кривой; 1 - первоначальная ось полосы движения; 2 - ось полосы движения после введения переходной кривой; 3 - уширение покрытия

2.23. Для улучшения ориентирования водителей на ограждениях и направляющих столбиках в соответствии с ГОСТ 13508-74 «Разметка дорожная» рекомендуется устанавливать светоотражающие элементы: справа по ходу движения - красного цвета, слева - белого (или желтого). Плоскость элементов должна быть перпендикулярной к направлению взгляда водителя.

2.24. При радиусах кривых менее 250 м и необеспеченной видимости следует предусматривать установку с внешней стороны одного или нескольких (при большом угле поворота) знаков 1,11 «Направление поворота» (по ГОСТ 10807-78 «Знаки дорожные»).

2.25. Предупреждающий знак 1.11 «Опасный поворот» или (при нескольких следующих друг за другом опасных закруглений) знак 1.12 «Опасные повороты» рекомендуется устанавливать перед кривыми малых радиусов в тех случаях, когда величина коэффициента безопасности для данного участка меньше или равна 08, или ограничена видимость.

При коэффициенте безопасности 0,6 и менее одновременно со знаком 1.12 или 1.11 рекомендуется устанавливать знак ограничения скорости. Максимально допустимую скорость при этом следует определять на основе непосредственных наблюдений за фактическими скоростями, исходя из скорости 85 %-ной обеспеченности.

2.26. Разметка проезжей части на кривых в плане должна наноситься в соответствии о ГОСТ 13508-74 «Разметка дорожная с учетом траекторий и скоростей движения 85 %-ной обеспеченности.

На закруглениях с радиусами менее 250 м в целях исключения выезда на встречную полосу движения независимо от условий видимости должна наноситься сплошная осевая линия в пределах кривой. Ей должна предшествовать линия приближения 1,6, протяженность которой согласно ГОСТ 13508-74 составляет не менее 50 м при скоростях менее 50 км/ч и не менее 100 м - при скоростях более 60 км/ч. Рекомендуется на подходах к закруглениям наносить также стрелы 1.19, облегчающие водителям ориентирование в условиях движения (рис. 2.12).

2.27. На кривых с радиусом менее 50 м сплошную осевую разметку смещают к внешней кромке проезжей части (рис. 2.12) с целью улучшения условий движения по внутренней полосе крупногабаритных автомобилей. При этом отношение ширины внутренней полосы к ширине внешней принимают в соответствии с данными табл. 2.1.

Рис. 2.11. Оформление проекта устройства срезки видимости:

а - план кривой; б - срезка откоса выемки на пк 104 + 74 для обеспечения видимости; в - вырубка деревьев для обеспечения видимости; 1 - граничная кривая видимости; 2 - начало ограничения видимости относами выемки; 3 - граница вырубки леса для обеспечения видимости; 4 - срезка откосов; 5 - ось дороги; 6 - уширение проезжей части; 7 - траектория движения автомобиля

Рис. 2.12. Разметка проезжей части на кривых радиусом менее 250 м

Таблица 2.1

Величина радиуса по внутренней кромке проезжей части, м

10 - 15

15 - 20

20 - 30

30 - 50

Более 50

Отношение ширины внутренней полосы (а) к ширине внешней полосы (в)

1,4

1,3

1,2

1,1

1,0

2.28. На закруглениях с радиусами более 250 м сплошная осевая разметка 1.1 наносится с учетом фактических условий видимости в соответствии с требованиями ГОСТ 13508-74 «Разметка дорожная».

2.29. Краевая разметка как с внешней, так и с внутренней стороны закругления должна наноситься при радиусах менее 600 м, а при интенсивности движения более 1000 авт/сутки - независимо от величины радиуса (рис. 2.12).

2.30. На закруглениях, где нанесена разметка, запрещающая обгон, необходимо устанавливать знак 3.20 «Обгон запрещен» с дополнительной табличкой 7.21, указывающей протяженность зоны запрещения.

На кривых радиусом менее 700 м в целях повышения сопротивления поперечному скольжению необходимо устраивать поверхностные обработки из щебня крупностью 10 - 15 мм.

Исправление продольного профиля

2.31. Исправление продольного профиля при реконструкции дорог требуется:

- на заниженных участках с затрудненным водоотводом;

- на участках обертывающего профиля в пересеченной местности при необеспеченной видимости;

- для смягчения крутых подъемов и спусков и улучшения условий движения на таких участках;

- для обеспечения плавности дороги в продольном профиле при неудобных для современного автомобильного движения с высокими скоростями чистых пилообразных переломах продольного профиля даже в случаях обеспеченной видимости.

2.32. В случае относительно малой ценности дорожной одежды существующей дороги и небольших продольных уклонов, оптимальный способ улучшения продольного профиля - изменение радиусов вертикальных кривых со срезкой выпуклых кривых и подъемкой вогнутых, или общее выравнивание продольного профиля с устройством участков с постоянным или плавно меняющимся уклоном.

2.33. При целесообразности максимального использования дорожной одежды и мостов существующей дороги возможно ограничиться при исправлении продольного профиля увеличением радиусов выпуклых кривых (срезка выпуклых переломов) с обеспечением видимости встречного автомобиля, исходя из скорости транспортного потока 85 % - обеспеченности. При этом к изменению продольного профиля на вогнутых кривых рекомендуется прибегать только в тех случаях, когда величина их радиуса настолько мала, что проезд автомобилей сопровождается толчком и перегрузкой рессор. Во всех случаях рекомендуется уширять проезжую часть в таких местах из расчета на 1 м на каждую полосу движения.

2.34. При пересечениях относительно узких долин с крутыми склонами в качестве одного из вариантов следует рассматривать возможность постройки эстакады или виадука, пересекающего долину в одном уровне с ее краями. Эффективность такого решения особенно велика при неблагоприятных гидрогеологических условиях (оползневые склоны), а также в случаях проложения трассы дорогами I - III технич. категорий через населенные пункты (города, райцентры) или по ценным сельскохозяйственным угодьям.

Окончательное решение необходимо принимать по результатам технико-экономических обоснований.

2.35. Короткие участки крутых подъемов, на которых наблюдается существенное ухудшение условий движения, следует перестраивать с уменьшением величины уклонов до значений, рекомендуемых СНиП II-Д.5-72.

2.36. При реконструкции участков дорог с длинными затяжными подъемами, наряду с вариантами перестройки с развитием трассы по склонам долины, должны быть разработаны варианты с устройством дополнительных полос проезжей части (см. п. 2.37 - 2.42).

Оптимальное решение выбирают путем технико-экономического сравнения вариантов в соответствии с рекомендациями разделов 7 и 9.

Устройство дополнительных полос для движения на подъем

2.37. Устройство дополнительных полос для движения на подъем следует предусматривать на двухполосных и четырехполосных (с разделительной полосой) дорогах при высокой интенсивности движения и наличии в составе транспортных потоков большого процента тяжелых грузовых автомобилей и автопоездов, резко снижающих скорость на участках подъемов.

2.38. Дополнительные полосы для движения на подъем рекомендуется устраивать в тех случаях, когда перспективная интенсивность движения в сторону подъема N1 превышает значения, приведенные в табл. 2.2.

Таблица 2.2

Продольный уклон, %

Интенсивность движения N1, авт/час, при длине подъема, м

Менее 300

300 - 600

Более 600

30

350 (270)

270 (220)

230 (200)

40

320 (250)

250 (210)

215 (190)

50

300 (240)

240 (190)

200 (170)

60

270 (215)

210 (170)

180 (150)

70

250 (200)

-

-

80

200 (170)

-

-

Примечание: 1. Интенсивность N1 определяют по формуле N1 = 0,076 N, где N - суточная интенсивность движения в обоих направлениях, авт/сутки.

2. Прочерки соответствуют продольным уклонам, которые нельзя допускать при указанной длине подъема.

3. Значения интенсивности N1 без скобок соответствуют случаю, когда медленно движущиеся автомобили составляют менее 10 % в составе транспортного потока, в скобках - больше или равно 10 %.

2.39. Не рекомендуется устраивать дополнительные полосы на подъемах при наличии кривых в плане с радиусами менее 200 м ввиду малой их эффективности.

2.40. Дополнительную полосу для движения на подъем можно устраивать:

- за счет специального уширения земляного полотна;

- за счет обочин;

- за счет частичного использования разделительной полосы;

- комбинированным способом.

2.41. Основные параметры дополнительной полосы для движения на подъем:

- ширина основной и дополнительной полосы принимается постоянной на всем протяжении подъема, равной 3,75 м;

- длина зоны перехода от двухполосной проезжей части к трехполосной перед началом подъема должна приниматься в зависимости от скорости движения согласно данным табл. 2.3;

- с целью обеспечения удобного и безопасного слияния потоков автомобилей, двигающихся по дополнительной и основной полосам, общая протяженность дополнительной полосы за подъемом должна назначаться в зависимости от интенсивности и движения N1 по табл. 2.4.

Таблица 2.3

Скорость обеспеченностью 85 %, км/ч

50

70

100

120

Длина зоны перехода, м

50

65

90

110

Таблица 2.4

Интенсивность движения в сторону подъема, авт/ч

200

300

400

Более 500

Общая протяженность полосы за подъемом, м

Менее 100

150

250

350

2.42. Мероприятия по устройству дорожной разметки на участках подъемов и спусков, установке дорожных знаков и ограждений рекомендуется разрабатывать в соответствии с «Указаниями по организации движения на автомобильных дорогах» ВСН 25-76 Минавтодора РСФСР.

Улучшение пересечений с другими дорогами

2.43. При реконструкции дороги следует на основе изучения расположения и работы пересечений с другими дорогами упорядочить их расположение с учетом требований п.п. 4.5 и 4.7 СНиП II-Д.5-72. Должны быть закрыты, перенесены или перестроены пересечения, не отвечающие требованиям безопасности движения, в том числе:

- расположенные на участках с ограниченной видимостью (в выемках или закрытой местности, на выпуклых вертикальных кривых, на кривых в плане радиусом менее 2000 м);

- расположенные на участках с продольным уклоном более 40 ‰;

- пересекающиеся или сопрягающиеся под острым углом.

2.44. Типы пересечений и их планировочные решения при реконструкции дорог следует назначать исходя из перспективной интенсивности движения по пересекающимся дорогам с учетом планировки существующего пересечения и требований минимального изъятия земель.

2.45. Исправление пересечений или примыканий под острым углом возможно двумя путями:

- перестройкой места сопряжения дорог таким образом, чтобы их оси пересекались под углом 70 - 90° (рис. 2.13, б);

- устройством дополнительной полосы для автомобилей, осуществляющих поворот рис. 2.13, в).

2.46. При пересечениях под острыми углами, а также во всех случаях при высоком проценте автомобилей, поворачивающих на основную дорогу, безопасность движения может быть повышена путем разделения пересечения на два примыкания, смещенных по отношению друг к другу, что способствует уменьшению количества конфликтных точек (рис. 2.14).

Величину смещения примыканий следует назначать из условия беспрепятственного выполнения маневра переплетения в транспортном потоке с наименьшими помехами для автомобилей, следующих по главной дороге в прямом направлении. Она должна приниматься не меньше значений, приведенных в табл. 2.5.

Таблица 2.5

Продольный уклон главной дороги, %о

0 - 10

10 - 20

20 - 30

30 - 40

Смещение, м

Двух и трёхполосные дороги

400

500

600

750

Четырехполосные дороги

500

650

750

900

Рис. 2.13. Способы реконструкции примыканий и разветвлений дорог под острым углом:

а - неправильное примыкание под очень острым углом; б - улучшение условий движения путем смещения места примыкания; в - устройство дополнительной полосы

Рис. 2.14. Перестройка пересечения на два смещенные примыкания:

а - первоначальная планировка; б - планировка после реконструкции; 1 - закрытый участок дороги; в левых нижних углах показаны эпюры грузопотоков

Рис. 2.15. Способы реконструкции пересечений с учетом основных направлений транспортных потоков

Рис. 2.16. Несимметричная планировка пересечений в одном уровне, обладающих большой пропускной способностью:

а - схема несимметричного пересечения; б - сопоставление площадей, занимаемых обычным и несимметричным пересечением

Рис. 2.17. Пример разработки вариантов планировочного решения пересечения:

а - простое необорудованное; б - с треугольным островком на второстепенной дороге; в - с канализированием движения на второстепенной дороге; г - то же с изменением угла пересечения потоков; д - то же с переходно-скоростными полосами

Рис. 2.18. Области применимости различных планировочных решений пересечений в одном уровне:

1 - простые пересечения; 2 - пересечения с направляющими островками; на второстепенной дороге; 3 - пересечения с направляющими островками на обеих дорогах, переходно-скоростными полосами и дорожной разметкой; пересечения со светофорным регулированием или в разных уровнях

Рис. 2.19. Реконструкция пересечения нескольких дорог в пересечение кольцевого типа:

1 - планировка пересечения до реконструкции; 2 - планировка после реконструкции

Рис. 2.20. Улучшение условий движения по пересечению путем устройства островков малого диаметра

Этот же метод может быть использован при более сложных случаях разветвлений дорог на несколько направлений (рис. 2.15). При этом преимущество должно быть обеспечено для направлений с наиболее интенсивным движением.

2.47. Для улучшения условий движения на пересечениях с большим количеством автомобилей, поворачивающих направо, рекомендуется применять уширенные несимметричные пересечения (рис. 2.16), имеющие пропускную способность в 1,5 раза большую, чем у обычных пересечений.

2.48. При реконструкции дорог повышение пропускной способности пересечений и улучшение условий движения по ним может быть обеспечено путем:

- устройства направляющих островков (рис. 2.17);

- устройства переходно-скоростных полос;

- строительства полностью канализированных пересечений;

- строительства кольцевых пересечений в одном уровне (рис. 2.19, 2.20);

- введения светофорного регулирования;

- строительства пересечений в разных уровнях.

При выборе типа пересечения может быть использована номограмма (рис. 2.18).

2.49. Планировочные решения пересечений при их реконструкции, их инженерное оборудование рекомендуется разрабатывать в соответствии с «Указаниями по организации движения на автомобильных дорогах» ВСН 25-76 Минавтодора РСФСР.

РАЗДЕЛ 3. РЕКОНСТРУКЦИЯ УЧАСТКОВ ДОРОГ В НАСЕЛЕННЫХ ПУНКТАХ

3.1. Участки автомобильных дорог, проходящие через населенные пункты, характеризуются повышенной аварийностью, низкими скоростями движения. Транспортный шум, отработавшие газы двигателей, пыль оказывают неблагоприятное влияние на санитарно-гигиенические условия жизни населения. При высокой интенсивности движения поток автомобилей, пересекающий населенный пункт, как бы делит его на две части, связь между которыми затруднена из-за отсутствия оборудованных пешеходных переходов.

3.2. При разработке проекта реконструкции дорог III - IV категорий должны быть сопоставлены по методике, изложенной в разделе 7, варианты сохранения существующей дороги в населенном пункте и строительства его обхода.

3.3. Проектирование обхода населенного пункта должно проводиться в соответствии с требованиями и рекомендациями СНиП II-Д.5-72 и раздела 1 настоящих Указаний. Техническую категорию дороги на обходе населенного пункта следует назначать в зависимости от перспективной интенсивности транзитного и части (пользующейся обходом) местного движения.

3.4. Трасса обхода должна располагаться от линии застройки населенного пункта, определяемой на перспективу по его генеральному плану, на расстоянии, обеспечивающим акустический комфорт в помещениях жилых и общественных зданий, на территории жилой застройки (см. табл. 3.1).

При невозможности или нецелесообразности удаления дороги от линии застройки на требуемое расстояние, в проекте должны быть предусмотрены мероприятия, направленные на снижение уровня транспортного шума (см. раздел 5).

3.5. Варианты реконструкции существующей дороги в пределах населенного пункта должны разрабатываться с учетом интенсивности транзитного и местного движения, темпов ее прироста на расчетную перспективу, вида населенного пункта, его планировки, ширины улиц, численности населения, степени обеспеченности безопасности движения, уровня транспортного шума и загрязнения воздуха отработавшими газами.

Основными путями повышения безопасности движения в населенных пунктах, увеличения допустимых скоростей движения автомобилей, улучшения санитарно-гигиенических условий являются:

а) разделение путей движения пешеходов, медленных транспортных средств и быстрых транзитных автомобилей;

б) организация перехода дороги в специально оборудованных местах;

в) организация движения в пределах населенного пункта: выделение улиц одностороннего и грузового движения, оборудование пересечений знаками, строительство канализированных пересечений, введение светофорного регулирования;

г) устройство стоянок для автомобилей в местах их сосредоточения, оборудование автобусных остановок;

д) освещение дороги в пределах всего населенного пункта или на наиболее опасных участках;

е) проведение мероприятий по борьбе с транспортным шумом и загрязнением воздуха отработавшими газами автомобилей.

3.6. При необходимости сохранения существующей дороги в населенном пункте городского типа одними из наиболее эффективных решений являются перевод движения транзитных автомобилей с центральных улиц, где сосредоточены магазины, общественные здания, большое количество пешеходов на параллельные улицы, выделение улиц одностороннего движения или улиц, предназначенных для движения грузовых автомобилей.

3.7. Выбор способа реконструкции дороги в населенных пунктах сельского типа зависит от ширины улицы, по которой проходит дорога.

При достаточной ширине улицы дорогу рекомендуется прокладывать посередине, отделив от нее боковыми канавами проезды для местного движения и пешеходные дорожки (рис. 3.1, а, б).

При более узких улицах рекомендуется принимать поперечный профиль городского типа с устройством тротуаров и бордюров у края проезжей части (рис. 3.1, в), предусматривая в случае необходимости строительство закрытой системы водостоков.

Проектирование реконструкции дороги в пределах населенных пунктов должно проводиться в соответствии с требованиями СНиП II-60-75 и СНиП II-Д.5-72.

3.8. При реконструкции дорог в населенных пунктах должно быть предусмотрено устройство пешеходных дорожек или тротуаров, ширину которых следует назначать в соответствии с п. 9.44 СНиП II-60-75.

Рис. 3.1. Поперечные профили дорог в малых населенных пунктах:

а - дорога в насыпи при большой ширине улицы; б - то же при ширине улицы, не позволяющей разместить проезжие части для местного движения; в - поперечный профиль с бордюрами; 1 - проезжая часть дороги; 2 - укрепленные обочины; 3 - проезжая часть для местного движения /при недостаточной ширине улицы может устраиваться с одной стороны дороги/; 4 - тротуары и велосипедная дорожка

Рис. 3а. Схемы установки ограждений у пешеходных переходов

3.9. Одним из основных мероприятий по повышению безопасности движения в населенных пунктах является устройство оборудованных пешеходных переходов через дорогу, тип которых следует назначать в зависимости от интенсивности движения автомобилей и пешеходов.

3.10. Для дорог II - IV категорий рекомендуется применение оборудованных пешеходных переходов в одном уровне шириной не менее 4 м, располагаемых на перекрестках, против магазинов, общественных зданий, в местах интенсивного движения пешеходов через дорогу, но не чаще, чем через 250 м друг от друга. Нерегулируемые переходы в одном уровне должны размещаться таким образом, чтобы в зоне треугольника видимости «пешеход-транспорт» не находились какие-либо строения и зеленые насаждения высотой более 0,5. Стороны треугольника видимости следует принимать равными 10´50 м при скорости движения 60 км/ч.

С увеличением интенсивности движения пешеходов и транспорта следует переходить к светофорному регулированию.

3.11. На дорогах I категории необходимо строить пешеходные переходы в разных уровнях, шириной не менее 3 м - для пешеходных тоннелей и 2,25 м - для пешеходных мостиков.

3.12. На участках дорог I - III категорий в пределах насаленных пунктов сельского типа при достаточной высоте насыпей рекомендуется взамен водопропускных сооружений устраивать скотопрогоны размером 4,0´2,5 м.

3.13. Во избежание неорганизованного движения пешеходов по проезжей части автомобильных дорог в пределах населенного пункта необходимо предусматривать устройство специальных ограждений в виде сеток или посадок колючего кустарника на разделительной полосе или установки барьеров по краям тротуара (рис. 3.2). Конструкция ограждений не должна стеснять движение автомобилей.

3.14. В населенных пунктах и на подходах к ним при интенсивности движения автомобилей в первые пять лет эксплуатации более 2000, а велосипедов и мопедов - боле 260 единиц в сутки следует устраивать велосипедные дорожки.

Проектирование велосипедных дорожек рекомендуется вести в соответствии с п.п. 3.41 - 3.43 СНиП II-Д.5-72.

3.15. Около магазинов, столовых, общественных центров и других мест сосредоточения автомобилей, расположенных в населенном пункте вдоль дороги, должны быть оборудованы стоянки для автомобилей.

Расстояние от стоянки до обслуживаемых мест не должно превышать 200 м. Автомобильные стоянки, так же как и въезды на них, не должны задерживать движение автомобилей по дороге. В темное время суток стоянки должны освещаться.

3.16. Автобусные остановки в пределах населенных пунктов следует располагать у общественных центров (магазинов, столовых, отделений связи и т.д.).

При протяженности населенного пункта до 1 - 1,2 км целесообразно устраивать одну автобусную остановку. При большем протяжении населенных пунктов при линейном расположении застройки автобусные остановки следует располагать примерно через 1 км друг от друга.

Рекомендуемая планировка автобусных остановок показана на рис. 3.3.

Рис. 3.3. Планировка автобусных остановок и разметка проезжей части в их зоне

3.17. При разработке проекта реконструкции дороги в населенном пункте или в непосредственной близости от него должны быть выполнены, в соответствии с ГОСТ 20444-75 «Потоки транспортные в населенных пунктах. Метод определения шумовой характеристики измерения эквивалентного уровня звука транспортного шума», измерения уровней транспортного шума. Допускается определять эту величину расчётом по методике, приведенной в разделе 10.

Таблица 3.1

№№ пп

Допустимые уровни звука в помещениях жилых и общественных ; зданий, а также у жилых домов, больниц и на площадках отдыха, расположенных в жилых кварталах и микрорайонах

Назначение помещений или территорий

Уровень звука в дБА

1.

Палаты больниц и санаториев, операционные больниц

25

2.

Жилые комнаты квартир, спальные помещения в детских учреждениях и школах-интернатах, жилые помещения домов отдыха и пансионатов

30

3.

Кабинеты врачей больниц, санаториев и поликлиник, зрительные залы концертных залов, номера гостиниц, жилые комнаты в общежитиях

35

4.

Территории больниц, санаториев, непосредственно прилегающие к зданиям

35

5.

Классы и аудитории в школах и учебных заведениях, конференцзалы, читальные залы, зрительные залы театров и клубов, кинотеатров

40

6.

Территории жилой застройки, непосредственно прилегающие к жилым домам, площадки отдыха в микрорайонах и жилых кварталах

45

7.

Рабочие помещения управлений и помещения конструкторских бюро в административных зданиях

50

8.

Залы кафе и ресторанов, столовые, фойе театров и кинотеатров

55

9.

Торговые залы магазинов, спортивные залы, пассажирские залы аэропортов и вокзалов, приемные пункты предприятий бытового обслуживания, парикмахерские

60

Если полученный при этом эквивалентный уровень звука превышает допустимые значения, установленные «Санитарными нормами допустимого звука в помещениях жилых и общественных зданий и на территории жилой застройки» (см. табл. 3.1 и 3.2), необходимо предусматривать мероприятия по борьбе с транспортном шумом, указания по разработке которых приведены в разделе 5.

Таблица 3.2

Влияющий фактор

Условия

Поправка в дБА к допустимым уровням звука

Характер шума

Широкополосный

0

Тональный, импульсный (при измерениях стандартным шумомером)

-5

Место расположения объекта

Курортный район

-5

Новый проектируемый городской жилой район

0

Жилая застройка, расположенная в существующих сложившихся районах города

+5

Время суток

День - с 7 до 23 часов

+10

Ночь - с 23 до 7 часов

0

Длительность воздействия прерывистого шума в дневное время за наиболее шумные полчаса

Суммарная длительность, %

56 - 100

0

18 - 56

+5

6 - 18

+10

Менее 6

+15

Примечания: 1. Длительность воздействия шума должна быть обоснована расчетом или подтверждена технической документацией.

2. Тональным считается шум, в котором прослушивается звук определенной частоты.

3. Импульсным считается шум, воспринимаемый как отдельные звуковые удары и состоящий из одного или нескольких импульсов звуковой энергии, продолжительность каждого менее 1 секунды.

4. Поправки на время суток вносятся для жилых комнат, квартир, общежитий и номеров гостиниц, спальных помещений детских дошкольных учреждений и школ интернатов; для территорий жилой застройки, непосредственно прилегающих к жилым домам, территорий больниц, санаториев, непосредственно прилегающих к зданиям.

5. Поправки на место расположения объекта учитывают только для внешних источников шума в жилых помещениях, спальнях и на территории жилой застройки.

3.18. Содержание вредных компонентов в атмосферном воздухе жилых районов, расположенных вдоль участков дорог в населенных пунктах, не должно превышать значений, приведенных в табл. 3.3.

Для определения уровня загазованности воздуха в районах, прилегающих к автомобильным дорогам, рекомендуется использовать методику, изложенную в разделе 11.

3.19. Для снижения загазованности территорий населенных пунктов, прилегающих к автомобильным дорогам, должны быть приняты следующие меры:

а) обеспечение равномерности движения транспортного потока со скоростью, соответствующей наименьшему выбросу вредных компонентов (для данного состава потока эти скорости соответствуют наименьшему значению коэффициента К1, указанному в табл. 11.1);

б) обеспечение проветриваемости автомобильной дороги, для чего экраны, зеленые насаждения, здания и сооружения необходимо располагать от автомобильной дороги не ближе их четырех высот;

в) проложение автомобильной дороги по новому направлению вдоль господствующего направления ветра.

Таблица 3.3

Токсичные компоненты выхлопных газов

Предельно допустимые концентрации токсичных компонентов отработавших газов в воздухе, мг/м3

Среднесуточные

Разовые

Окись углерода

1,000

3,000

Двуокись азота

0,085

0,085

Сажа

0,050

0,150

Бензапирен

0,0001

0,0001

Свинец

0,0007

0,0007

РАЗДЕЛ 4. МЕТОДЫ ГИДРОМЕТЕОРОЛОГИЧЕСКОГО ОБОСНОВАНИЯ И РЕШЕНИЕ ДОРОЖНОГО ВОДООТВОДА

4.1. При разработке проектов реконструкции или капитального ремонта автомобильных дорог в условиях развитой хозяйственной деятельности Молдавской ССР приходится решать ряд специфических вопросов как гидрометеорологического обоснования этих проектов, так и дорожного водоотвода.

Выбор рационального типа искусственных сооружений и методы определения их отверстий зависят от:

- природных условий района реконструкции автомобильной дороги;

- степени развития и вида хозяйственной деятельности человека.

4.2. При проектировании автомобильных дорог в селеопасных районах (центральные и северо-восточные районы Молдавии) следует предусматривать защитные мероприятия от закупорки отверстий искусственных сооружений каменным материалом.

4.3. При проектировании водопропускных сооружений на автомобильных дорогах, проходящих в районах древесного затора (виноградная лоза, стога соломы, плодовые деревья или саженцы), тип сооружений и их отверстия следует назначать из необходимости избежать возможности образования древесного затора, либо предусматривать специальные конструктивные противозаторные мероприятия.

4.4. В целях защиты окружающей среды от заиления ценных сельскохозяйственных земель, прилегающих к реконструируемой автомобильной дороге, необходимо в районах с развитой эрозионной деятельностью (центральная часть, ряд северных и южных районов республики):

а) определить оптимальное количество искусственных сооружений;

б) правильно назначить места расположения водопропускных сооружений с учетом существующей или проектируемой системы искусственного орошения;

в) выбрать достаточно большие отверстия водопропускных сооружений с тем, чтобы ограничить аккумуляцию воды выше сооружений при пропуске расчетных паводков и исключить заиление сельскохозяйственных угодий, а также избежать подтопления близлежащих от дороги зданий и сооружений, имеющих историческую, культурную или хозяйственную ценность.

4.5. При проектировании реконструкции или капитального ремонта автомобильных дорог в пересеченной местности в районах с ценными земельными угодьями, следует отказаться от устройства высоких насыпей и глубоких выемок. В целях сохранения микроклимата, наиболее благоприятного для развития сельскохозяйственных культур, а также минимального занятия ценных пахотных земель более целесообразно строительство эстакад.

Окончательное решение по выбору проектного решения должно приниматься на основе технико-экономических расчетов (см. разделы 8, 9).

4.6. При проектировании реконструкции или капитального ремонта автомобильных дорог в зонах водохранилищ следует учитывать следующие случаи:

а) отверстия водопропускных сооружений, расположенных ниже некапитальных плотин, и отводящие русла следует проектировать с учетом возможного прорыва некапитальных плотин;

б) в целях сохранения бытовых условий прудов, используемых в народном хозяйстве республики (разведение рыб, птицы, орошение и т.д.) рекомендуется:

- трассу дороги совмещать с капитальной плотиной;

- зеркало пруда перекрывать эстакадой;

- если есть возможность, прокладывать трассу в обход водохранилища.

4.7. При проектировании реконструкции, капитального ремонта или проложении трассы по косогорному ходу, а также в пересеченной местности в целях уменьшения концентрированного сброса воды по склонам:

1) не рекомендуется подводить воду к одному водопропускному сооружению из двух или большего числа логов; при этом следует принимать во внимание следующие случаи, затрудняющие определение мест перелива из одного бассейна в другой:

- водораздельные пространства отсутствуют в бассейне, но проявляются на продольном профиле;

- водораздельные точки отсутствуют и в замыкающем створе.

Указанные обстоятельства необходимо учитывать для правильного назначения отверстия водопропускного сооружения и выбора мероприятий, препятствующих развитию размыва.

2) при уклонах русла более 20 ‰, водопропускные трубы следует рассчитывать и проектировать как косогорные с обязательным доведением укрепления отводящего русла до базиса эрозии и устройством предохранительного откоса и гасителей энергии.

4.8. При реконструкции или капитальном ремонте автомобильных дорог в районах, где происходит аккумуляция почвенного слоя (грунта) в результате эрозии склоновых земель и переформирования речных долин рекомендуется:

а) отметку бровки земляного полотна назначать на основании анализа материалов изысканий с запасом, гарантирующим его нормальную эксплуатацию в течение расчетного периода;

б) тип искусственного сооружения, размер его отверстия и возвышение низа пролетного строения следует назначать с учетом долгосрочного прогноза и нормальной эксплуатации на протяжении всего срока службы сооружения.

4.9. При проектировании реконструкции, капитального ремонта автомобильных дорог или проложения трассы дороги по новому направлению в районах республики с интенсивно развитым виноградарством, где расположены противоградовые установки, отверстия искусственных сооружений следует назначать по расходу воды, формирующегося под воздействием противоградовых ракет.

РАЗДЕЛ 5. МЕРОПРИЯТИЯ ПО ЗАЩИТЕ ОТ ТРАНСПОРТНОГО ШУМА

5.1. Для снижения воздействия транспортного шума от движения на дороге на прилегающую жилую застройку, санаторно-курортные зоны, больницы и общественные здания следует использовать весь комплекс проектных решений и мер организации движения.

Основными направлениями снижения шума в расположенных поблизости от автомобильных дорог населенных пунктах следует считать:

1) обеспечение буферной зоны между автомобильной дорогой и застройкой, исходя из учета транспортного шума;

2) строительство шумозащитных барьеров, которое на стадии проектирования автомобильных дорог позволит сократить величину буферной зоны, а на стадии эксплуатации - снизить шум до значений, регламентируемых санитарными нормами;

3) рациональное проектирование поперечного профиля земляного полотна, обеспечивающего максимальное снижение транспортного шума;

4) использование снегозащитных насаждений вдоль автомобильных дорог одновременно и для целей борьбы с шумом, посадка специальных шумозащитных насаждений;

5) применение средств организации движения, приводящих к снижению транспортного шума, таких, как снижение скоростей движения на участках автомобильных дорог, проходящих в районе населенных пунктов, уменьшение задержек на пересечениях и их рациональное место расположения, распределение потоков автомобилей по параллельным маршрутам дорожной сети для снижения интенсивности движения, обеспечения постоянной скорости движения автомобилей по дороге, без переключения скоростей и остановок с последующим разгоном;

6) строительство дорожных покрытий, при проезде по которым автомобилей шум имеет наименьшую величину.

Применение тех или иных мероприятий в качестве основных определяется данными акустической оценки, конкретными условиями внешней среды и требованиями решения технико-экономических задач.

Акустическая оценка

5.2. Акустическую оценку автомобильных дорог и выбор наиболее эффективных мероприятий по защите районов жилой застройки следует проводить на основании линейного графика изменения эквивалентного уровня звука вдоль автомобильной дороги (рис. 5.1).

Рис .5.1. Линейный график изменения эквивалентного уровня звука в районе жилой застройки вдоль дороги

5.3. Линейный график изменения эквивалентного уровня звука составляют на основе данных о прогнозе интенсивности и составе транспортных потоков, поперечных профилей на разных участках дороги, продольных уклонах, плане трассы, типе дорожного покрытия, характера прилегающей застройки (с учетом перспективы ее развития).

Построение графика и сопоставление эквивалентного уровня звука с допустимым проводят следующим образом:

а) на линейном графике дороги выделяют участки изменения скоростей движения и зоны их влияния;

б) вычисляют среднюю скорость движения транспортного потока в пределах выделенных участков, пользуясь «Методическими рекомендациями по оценке пропускной способности автомобильных дорог»;

в) по данным о дорожных условиях, интенсивности, составе и скорости транспортного потока, типе дорожного покрытия определяют расчетный эквивалентный уровень звука на расстоянии 7,5 м от оси ближайшей к застройке полосы движения;

г) определяют уровень звука в застройке, учитывая характер распространения транспортного шума (раздел 10);

д) строят линейный график изменения эквивалентного уровня звука;

е) выделяют участки с эквивалентными уровнями звука, превышающими допустимый уровень, и разрабатывают мероприятия по его снижению.

5.4. Линейный график изменения эквивалентного уровня звука дает возможность:

а) выявить динамику изменения уровня звука вдоль автомобильной дороги;

б) установить возможность снижения уровня звука путем изменения отдельных геометрических элементов дороги;

в) оценить эффективность ограничения скорости движения для снижения транспортного шума;

г) разработать наиболее эффективные меры по защите окружающей территории от транспортного шума.

5.5. Независимо от величины превышения уровня звука над допустимым значением, при проектировании автомобильной дороги необходимо в первую очередь рассмотреть вопрос об увеличении расстояния до застройки для обеспечения акустического комфорта; при превышении уровня звука на 15 дБА для снижения транспортного шума можно использовать специальные шумозащитные сооружения, до 5 дБА - шумозащитные зеленые насаждения и принять решения об изменении отдельных геометрических элементов дороги.

Минимальные расстояния до застройки

5.6. Минимальные допустимые величины расстояний до жилой застройки из условия норм уровней шума в зависимости от интенсивности движения приведены в табл. 5.1. Они соответствуют допустимым уровням звука 55 ДБА на территориях жилой застройки, непосредственно прилегающих к жилым домам.

Минимальные расстояния до застройки можно найти по табл. 5.2, предварительно определив значения расчетных уровней звука и сравнив эти значения с допустимыми уровнями звука.

Таблица 5.1

Интенсивность движения, авт/ч

Минимальное расстояние до жилого дома или участка для отдыха на территории микрорайона, м

100

190

200

325

300

450

400

575

500

725

1000

2000

2000

3000

5.7. В отдельных случаях, когда неизбежно проложение дорог 1-й категории через населенные пункты, для них следует выбирать улицы наименее загруженные местным движением, а также не имеющие большого развития подземных коммуникаций. Автомобильные дороги с преимущественно грузовым движением должны прокладываться в промышленных (производственных) и коммунально-складских зонах.

5.8. При проектировании трассы автомобильных дорог для обеспечения акустического комфорта и, как следствие этого, уменьшения минимального необходимого расстояния до застройки следует использовать элементы рельефа в качестве естественных преград на пути распространения шума. С этой целью автомобильные дороги вблизи населенных пунктов целесообразно трассировать по возможности в естественных выемках, по дну оврагов и ложбин и т.п.

Таблица 5.2

Разность между расчетным и допустимым уровнями звука, дБА

Минимальные расстояния от оси первой полосы движения автомобильных дорог, обеспечивающие акустический комфорт в зоне застройки, м

Двухполосная проезжая часть

Четырехполосная проезжая часть

Шестиполосная проезжая часть

Разделительная полоса 5 м

Разделительная полоса 12 м

Разделительная полоса 5 м

Разделительная полоса 12 м

2

15

22

25

27

30

4

25

40

40

43

48

6

40

60

70

70

75

8

60

90

100

110

120

10

90

150

160

170

200

12

150

225

260

270

300

14

230

360

400

430

500

16

370

600

600

700

750

18

600

900

1000

1100

1200

20

900

1400

1600

1700

2000

22

1500

200

2600

2700

3000

Принципы выбора шумозащиты

5.9. Минимальные необходимые расстояния между автомобильной дорогой и зоной застройки могут быть существенно уменьшены при строительстве вдоль дороги специальных шумозащитных сооружений и посадке придорожных насаждений. В соответствии со схемами на рис. 5.2 возможны следующие варианты шумозащиты:

а) шумозащитный барьер на полосе отвода автомобильной дороги;

б) сочетание шумозащитного барьера на полосе отвода и барьера, расположенного на разделительной полосе (при малой ширине разделительной полосы он совмещается с ограждениями);

в) проложение дороги выемкой с устройством подпорной стенки со стороны автомобильной дороги, расположенной близко к селитебной зоне;

г) зеленые насаждения в пределах буферной зоны;

д) защитные грунтовые валы;

е) проектирование автомобильной дороги в выемке в пределах населенных пунктов;

ж) проектирование автомобильной дороги на эстакаде с устройством на разделительной полосе и по краям шумозащитных барьеров из прозрачного акрилового пластика. Пространство под эстакадой может быть использовано для стоянки автомобилей. Для лучшей защиты селитебной зоны устраивается невысокий грунтовой вал;

з) проектирование автомобильной дороги в галерее с естественным освещением;

и) проектирование автомобильной дороги в открытой в противоположную от застройки зону галерее, с использованием пространства над галереей для стоянки автомобилей и дополнительной защитой от шума зелеными насаждениями;

к) проектирование автомобильной дороги в тоннеле с полной изоляцией от транспортного шума, с использованием пространства над тоннелем для местного движения. Решения по типам ж, з, и, к наиболее пригодны для глубоких вводов автомобильных дорог в города и городских скоростных магистралей.

Рис. 5.2. Принципиальные схемы защиты застройки от транспортного шума

Принимаемый для осуществления вариант защиты от шума при экономической целесообразности и обеспечении снижения шума до значений, регламентируемых санитарными нормами, должен удовлетворять ряду дополнительных требований, не способствовать снегозаносимости земляного полотна автомобильной дороги, не затруднять уборку снега с проезжей части, удачно вписываться в ландшафт и не препятствовать осмотру окружающего ландшафта едущими, не создавать опасности дорожно-транспортных происшествий, занимать по возможности меньшую ширину полосы отвода.

Шумозащитные зеленые насаждения

5.10. Посадки деревьев и кустарников вдоль автомобильных дорог в районах застройки должны выполнять не только декоративную и снегозащитную функции, но и обеспечивать защиту от транспортного шума. Эффективность снижения шума зелеными насаждениями зависит от конструкции посадки, подбора древесно-кустарниковых пород, плотности и густоты их крон, возраста посадок.

5.11. Конструкция шумозащитных полос зеленых насаждений должна обеспечивать плотное смыкание кроны деревьев между собой и заполнение пространства под кронами до поверхности земли густым кустарником. По периметру полос следует устраивать живую изгородь из кустарниковых пород.

Посадка деревьев может быть рядовой или шахматной. Вследствие большой шумозащитной эффективности наиболее целесообразна шахматная посадка. Высота деревьев в шумозащитных посадках должна быть не менее 5 - 8 м, а ширина каждой полосы не менее 8 м. Норма посадки деревьев на 1 м2 в шумозащитных посадках должна быть выше, чем при обычном озеленении.

5.12. Шумозащитные зеленые насаждения желательно проектировать из одной или нескольких полос с разрывом между ними (рис. 5.3). Разрывы не должны быть шире высоты деревьев. Шумозащитные зеленые насаждения, состоящие из нескольких полос, обладают более высокой эффективностью снижения шума, чем сплошные в результате отражения звуковых волн от каждой полосы.

5.13. Полосы зеленых насаждений рекомендуется располагать как можно ближе к источнику шума, но не ближе 5 м от кромки проезжей части, количество полос определяется фактической шириной полосы отвода, так как увеличение их числа приводит к большему снижению шума. Минимальные расстояния от бровки земляного полотна до зеленых насаждений на снегозаносимых участках необходимо определять в соответствии с табл. 5.3.

Рис. 5.3. Конструкция шумозащитных зеленый насаждений вдоль автомобильных дорог:

а - однорядная полоса с плотным примыканием крон; б - полоса, не обеспечивающая шумозащиты вследствие распространения звука в подкроновом пространстве; в - двухрядная полоса; г - сочетание лиственных и хвойных пород в шумозащитных полосах; д - однорядная широкая полоса, менее эффективная, чем многорядная той же ширины

Таблица 5.3

Расчетный объем снегопереноса, м3 на 1 пог. м дороги

Рекомендуемое размещение полос зеленых насаждений от бровки земляного полотна, м

10 - 25

15 - 25

50

30

75

40

100

50

125

60

150

65

200

70

5.14. Древесные и кустарниковые породы для создания шумозащитных насаждений необходимо подбирать с учетом почвенных условий каждого участка, а также биологических, хозяйственных, специфических снегозадерживающих свойств деревьев и кустарников. Предпочтение следует отдавать породам с высоким удельным весом «зеленой массы», густым ветвлением и плотностью крон, неподверженностью снеголому и хорошим порослевым возобновлением, быстрым ростом в первые годы после посадки. Сюда прежде всего следует отнести все хвойные породы деревьев.

5.15. Методы расчета эффективности шумозащитных насаждений изложены в разделе 10. Снижение транспортного шума лиственными насаждениями необходимо учитывать только для расчетной интенсивности движения в летнее и осеннее время, в зимний период и весной они не оказывают существенного влияния на распространение транспортного шума.

Шумозащитные барьеры

5.16. Конструкции шумозащитных барьеров делятся на две группы: шумоотражающие и шумопоглощающие. От шумоотражающих барьеров звуковая энергия отражается в противоположную от защищаемого объекта сторону, шумопоглощающие в результате поглощения звуковой энергии в пористых прокладках не вызывает увеличения уровней звука на противоположной стороне дороги и увеличения уровней звука в салонах проезжающих автомобилей (рис. 10.2). Однако для защищаемой застройки акустическая характеристика правильно запроектированных барьеров обеих групп одинакова.

5.17. Шумоотражающие барьеры устраивают из дерева, цементобетона, кирпича, алюминиевых сплавов и пластмасс. Для их нормальной работы вес конструкции барьера на должен быть менее 40 кг/м2.

5.18. Принципиальная схема конструкции шумопоглощающего барьера показана на рис. 5.4, где: 1 - внешняя фронтальная рама (сталь, алюминиевые сплавы, луженое железо) с поглощающими отверстиями в панели; 2 - прокладка из поглощающего материала (стекловолокно, каменное волокно, стеклоткань) толщиной 30 - 50 мм; 3 - воздушная прослойка, предназначенная для поглощения низких звуковых частот; 4 - задняя внешняя рама.

Рис. 5.4. Конструкция элемента шумопоглощающего барьера:

1 - внешняя фронтальная рама; 2 - внутренний поглощающий материал; 3 - слой воздуха; 4 - задняя внешняя рама

Рис. 5.5. Декоративное озеленение шумозащитного барьера расположенного на уширении земляного полотна

5.19. При наличии разделительной полосы шумозащитный барьер устанавливают на ее оси. Желательно совмещать его с ограждениями (рис. 5.6). Барьер на разделительной полосе всегда выполняют шумопоглощающим. Одновременно он уменьшает опасность ослепления водителей светом фар встречных автомобилей. Высота шумопоглощающего барьера для обеспечения высокой эффективности его работы должна быть не менее 2 м.

5.20. При расположении объектов шумозащиты с обеих сторон дороги, шумозащитные барьеры должны быть шумопоглощающими.

5.21. Для придания шумозащитным барьерам лучшего внешнего вида рекомендуется сажать около них декоративные растения, которые, украшая дорогу и частично устраняя однообразный вид барьера в летнее время, усиливают шумопоглощающее действие барьера (рис. 5.5).

5.22. Шумозащитные барьеры могут использоваться для повышения эффективности шумозащиты грунтовых валов (рис. 5.7), а также откосов выемок при их недостаточной глубине.

5.23. Шумозащитные свойства барьеров зависят от расстояния до источника шума. Чем ближе они расположены к кромке проезжей части, тем больше эффективная высота и снижение транспортного шума.

5.24. Размещение шумозащитных барьеров на поперечном профиле земляного полотна проводят в соответствии с рис. 5.7, расчет по методике, изложенной в разделе 10. Минимальное значение высоты шумозащитных барьеров для защиты жилой застройки приведено в табл. 5.4, для защиты районов, прилегающих к застройке - в табл. 5.5.

5.25. Шумозащитные барьеры и их стойки должны рассчитываться на ветровые нагрузки, быть прочными и долговечными, легко монтироваться в полевых условиях, вписываться в ландшафт. При строительстве шумозащитных барьеров следует учитывать возможное ухудшение освещенности проезжей части в дневное время, появление резких теней на покрытии, а также повышенную утомляемость водителей вследствие однообразия окружающей обстановки.

5.26. При расстоянии до жилой застройки менее 100 м, через каждые 80 м барьеры должны иметь легкосъемные элементы для проезда специальных машин (скорая помощь, пожарная служба и т.д.).

Поперечные профили земляного полотна

5.27. Для защиты от транспортного шума с использованием шумозащитных барьеров и грунтовых валов могут быть рекомендованы поперечные профили земляного полотна автомобильных дорог, предназначенные для проектирования и строительства дорог I - III категорий общей сети СССР (рис. 5.7). В рекомендации включены наиболее характерные конструкции поперечных профилей земляного полотна, сооружаемых на устойчивых естественных основаниях в равнинной и пересеченной местности.

Рис. 5.6. Размещение шумозащитных барьеров на автомобильной дороге с разделительной полосой:

а - при расположении застройки с одной стороны; б - при расположении застройки с двух сторон

Для параметров поперечных профилей приняты следующие буквенные обозначения:

в - ширина проезжей части;

с - ширина обочины;

с¢ - ширина краевой полосы укрепления на обочинах;

с² - ширина полос прочих видов укреплений на обочинах.


Рис. 5.7. Рекомендуемые поперечные профили земляного полотна:

а, б, в, г, д, е, з - насыпи высотой до 2 м; и, к, л, м, н - выемки глубиной до 1 м; п - сочетание грунтового вала с шумозащитным барьером


Таблица 5.4

Интенсивность движения, авт/ч

Высота барьера, м, при расстоянии до застройки в м

50

70

Этажность застройки

5 этаж

8 этаж

10 этаж

14 этаж

5 этаж

8 этаж

10 этаж

14 этаж

4000

5,3

6,9

7,9

11,2

3,4

4,8

4,9

6,7

3500

4,1

5,5

6,1

8,9

3,0

3,9

4,5

6,0

3000

4,1

5,5

6,1

8,6

3,0

3,9

4,5

6,0

2000

4,1

5,1

6,1

6,1

2,8

3,8

4,4

5,9

1200

2,8

3,4

4,7

6,7

1,9

2,7

3,4

4,8

Таблица 5.5

Интенсивность движения, авт/ч

Минимальная высота шумозащитных барьеров в м для защиты района, прилегающего к жилой застройке при расстоянии до застройки, м

50

70

4000

4,1

2,6

3500

3,0

2,2

3000

3,0

2,2

2000

2,7

2,0

1200

1,7

1,4

5.28. Поперечные профили земляного полотна разработаны в двух видах: со сплошными дренирующими слоями, с продольными трубчатыми дренажами, для проектирования в особо ценных угодьях, когда невозможно добиться снижения шума путем увеличения расстояния до застройки, при возведении земляного полотна насыпи из привозного грунта.

5.29. Размещение шумозащитного барьера и грунтового кавальера на поперечном профиле земляного полотна в насыпи до 2 м рекомендуется выполнять в соответствии со схемами а, б, в, г, д, е, з .Схема - а - шумозащитный барьер на поперечном профиле с дренирующим слоем на всю ширину земляного полотна за внешним откосом бокового кювета; схема - б - шумозащитный барьер на поперечном профиле с продольным трубчатым дренажем за внешним откосом бокового кювета; схема - в - грунтовый вал на поперечном профиле с дренирующим слоем на всю ширину земляного полотна за внешним откосом бокового кювета; схема - г - грунтовый вал на поперечном профиле с продольным трубчатым дренажем за внешним боковым кюветом; схема - д - шумозащитный барьер на поперечном профиле с дренирующим слоем на всю ширину земляного полотна на дополнительном уширении; схема - е - шумозащитный барьер на поперечном профиле с продольным трубчатым дренажем на дополнительном уширении; схема - з - грунтовый вал на поперечном профиле с продольным трубчатым дренажем без бокового кювета. Для размещения снега при выполнении снегоуборки минимальное расстояние от бровки земляного полотна до дна кювета (схемы а, б, в, г) и минимальное расстояние от бровки земляного полотна до дна водоотводного лотка для дорог I технической категории рекомендуется принимать не менее 3 м, для дорог II и III категорий не менее 2 м для всех схем земляного полотна. Расстояние от бровки внешнего откоса кювета до шумозащитного барьера рекомендуется принимать равным 0,5 м. Ширина берм поверху для расположения шумозащитного барьера должна быть не менее 1 м. Грунтовые валы рекомендуется устраивать необтекаемого профиля с шириной поверху не менее 1 м.

5.30. При высоте насыпей автомобильных дорог более 2 м рекомендуются следующие профили земляного полотна: схема - ж - шумозащитный барьер на поперечном профиле с дренирующим слоем на всю ширину земляного полотна на берме; схема - з - грунтовый вал на поперечном профиле с продольным трубчатым дренажем без бокового кювета.

5.31. Поперечный профиль выемок глубиной 3 и более метров рекомендуется принимать в соответствии с альбомом типовых проектов, поскольку высота их откосов достаточна для снижения транспортного шума. Внешние откосы выемок рекомендуется выполнять необтекаемыми, без округления верхней кромки для лучшего обеспечения большего снижения транспортного шума.

5.32. Если глубина выемки является недостаточной для обеспечения акустического комфорта, ее эффективная высота может быть увеличена путем установки шумозащитных барьеров или отсыпки грунтовых валов в соответствии со схемами по рис. 10.5; схема и - шумозащитный барьер на поперечном профиле с дренирующим слоем на всю ширину земляного полотна с боковой канавой; схема к - шумозащитный барьер на поперечном профиле с продольным трубчатым дренажем с боковой канавой; схема л - грунтовый вал на поперечном профиле с дренирующим слоем на всю ширину земляного полотна с боковой канавой; схема м - грунтовый вал на поперечном профиле с продольным трубчатым дренажем с боковой канавой; схема и - шумозащитный барьер на поперечном профиле с продольным трубчатым дренажем без боковой канавы; схема о - грунтовый вал на поперечном профиле с продольным трубчатым дренажем без бокового кювета.

5.33. Шумозащитные барьеры размещают на грунтовых валах в соответствии со схемой п.

5.34. Правильно запроектированные шумозащитные барьеры позволяют в отдельных случаях снизить уровень звука на автомобильных дорогах на 13 дБА и уменьшить при этом величину буферной зоны до застройки от 500 до 100 м.

Рекомендации по отдельным элементам автомобильных дорог

5.35. Основным фактором, определяющим внешний шум легкового автомобиля, является взаимодействие автомобильной шины с дорожным покрытием. Для снижения расчетных уровней звука транспортных потоков в жилой зоне рекомендуется устраивать покрытия из среднезернистого асфальтобетона, а шероховатые поверхностные обработки щебнем не крупнее 10 мм. При 60 % легковых автомобилей расчетный уровень звука на покрытии с крупнозернистой шероховатой поверхностной обработкой на 4 дБА, на цементобетонном покрытии на 2 дБА выше, чем на покрытии из мелкозернистого асфальтобетона (табл. 10.3) и соответственно минимальное расстояние до жилой застройки для обеспечения акустического комфорта при интенсивности движения 5000 авт/сут. составит соответственно 200 м, 500 м, 300 м.

5.36. При проектировании автомобильной дороги в плане и продольном профиле следует избегать участков, на которых автомобили будут резко изменять скорости движения (кривые малых радиусов, продольные уклоны (табл. 10.2)), участков разгона и торможения.

5.37. При проектировании обходов населенных пунктов, развитии сети автомобильных дорог необходимо учитывать, что снижение уровня звука транспортного шума наиболее эффективно в диапазоне интенсивностей движения в час «пик» до 400 авт/ч, когда изменение интенсивности, например, на 200 авт/ч, приводит к снижению расчетного уровня звука на 1,5 дБА. Изменение же интенсивности от 2000 авт/ч до 1500 авт/ч снижает уровень звука транспортного потока всего на 0,5 дБА. Соотношение между внутригородским транзитным движением и внешним транзитом, которое не приведет к значительному увеличению уровня звука на городских хордовых магистралях, приведено в табл. 5.6; для всех других случаев необходимо предусматривать обходы населенных пунктов и городов.

5.38. При движении автомобилей в транспортных тоннелях, на участках с близко расположенными подпорными стенками шум в салонах автомобилей значительно увеличивается за счет отражения звука от стен. Для уменьшения шума рекомендуется отделка стен и потолка тоннеля шумопоглощающими панелями; для лучшего отражения волн вверх боковым и подпорным стенкам тоннелей, прилегающим к проезжей части автомобильных дорог, рекомендуется придавать наклон 1:20, т.е. с расширением тоннеля в верхней части.

Таблица 5.6

Соотношение между внутригородским и внешним транзитом, обеспечивающее минимальное увеличение уровня звука

Интенсивность движения внутригородского транзита, авт/ч

Максимально допустимая интенсивность внешнего транзита, авт/ч

60

40

100

50

200

100

300

200

500

200

700

300

900

400

1000

500

2000

1000

4000

1000

5000

5000

РАЗДЕЛ 6. ОБЕСПЕЧЕНИЕ УСТОЙЧИВОСТИ СКЛОНОВ И ЗЕМЛЯНОГО ПОЛОТНА НА ОПОЛЗНЕВЫХ УЧАСТКАХ

6.1. Вопрос о возможности проложения участка трассы по оползневому склону или стабилизации и укрепления действующего оползня, по которому проходит автомобильная дорога, решается на специально составленной инженерно-геологической карте масштаба 1:2000 и крупнее, на которую наносятся выходы грунтовых вод, заболоченность, современные физико-геологические процессы, состав и мощность оползневых накоплений, проектируемые и существующие противооползневые сооружения, геологические и гидрогеологические данные.

6.2. Если трасса автодороги проложена в пределах населенного пункта, особое внимание следует обратить на обследование существующих зданий и сооружений, с выявлением имеющихся на них трещин и различных деформаций, которые подлежат подробному описанию, зарисовкам и фотографированию. Необходимо получить сведения (документальные или опросные) о времени появления деформации и их возможных причинах, а также о принятых мерах по предотвращению развития дальнейших деформаций.

6.3. В обязательном порядке проводятся буровые и горнопроходческие работы для изучения геологического строения оползневого склона, получения детальных литологической и инженерно-геологической характеристик пород, изучения гидрогеологических условий, получения проб грунта и воды для лабораторных исследований.

6.4. Для существующих противооползневых сооружений должна быть выявлена их эффективность и рациональность с учетом степени повышения общей устойчивости склона после осуществления сооружения, экономической целесообразности применения данного сооружения и его работы во времени.

6.5. В районе развития оползня необходимо обследовать состояние подземных водоводов и других коммуникаций (газопроводов, кабелей связи, ЛЭП и т.д.), причем все проектируемые сооружения должны обеспечить максимальную сохранность всех существующих. В отдельных случаях может решаться вопрос об их переносе.

6.6. При определении условий устойчивости склона и возможности дальнейшей эксплуатации дороги или строительства нового участка дороги, следует учитывать форму склонов, их высоту, крутизну, экспозицию, геологическое строение и физико-механические свойства пород, слагающих склон, наличие слоистости в грунтах склона, наличие и характер водоносных горизонтов, а также их приуроченность к тем или иным разновидностям пород.

6.7. Необходимо определить наличие и возможное воздействие (как существующее, так и ожидаемое после строительства автодороги) различных видов эрозии - водной, ветровой, речной. Необходимо учитывать сейсмичность района, так как при землетрясении на поверхности склонов образуются трещины, смещения блоков грунта, активизируются древние оползни.

6.8. При размещении насыпей автомобильных дорог на склонах, следует учитывать, что их положение может увеличивать или уменьшить устойчивость склона, а именно:

а) располагаясь в верхней части склона, земляное полотно своим весом дополнительно пригружает головную часть склона;

б) земляное полотно в средней или нижней части склона может нарушить его устойчивость при неправильном назначении, исполнении и эксплуатации дренажных и водоотводных сооружений;

в) земляное полотно в полке, врезанной в естественный склон, вызывает перераспределение грунтовых масс по склону и увеличивает крутизну верхового откоса полувыемки. Во всех случаях следует стремиться располагать земляное полотно у подножья склона или пересекать оползневой склон навстречу движению оползня.

6.9. При решении вопроса об обеспечении устойчивости земляного полотна на склонах следует, в первую очередь, запретить следующие операции, приводящие к нарушению устойчивости склона:

а) вырубку кустарника и корчевку деревьев в пределах полосы отвода выше и ниже дороги;

б) снятие растительного или дернового слоя с обнажением глинистых грунтов склона, что приводит к усилению процесса выветривания грунтов склона;

в) неравномерную подрезку естественного склона с увеличением крутизны склона;

г) вскрытие неглубоких водоносных горизонтов при подрезке склона, что увеличивает поверхностное увлажнение и приводит к образовании оплывин, сплывов, оползней-потоков.

6.10. Необходимо при решении вопроса о размещении земляного полотна на склоне учесть следующие вредные факторы, действие которых может вызвать интенсификацию оползневых процессов или перевести естественный склон в оползневой:

а) поступление воды за счет орошения, полей фильтрации, неисправных водоводов;

б) застой вод в кюветах и нагорных канавах;

в) фильтрация воды через дно и стенки неукрепленных кювет и водоотводных канав;

г) разрушение при ремонте автодороги действующих дренажных или водоотводных сооружений.

6.11. При проектировании автодороги на склоне необходимо соблюдать следующие требования:

а) не пригружать склон для устройства кавальеров, отвалов, складов стройматериалов;

б) запретить полив и орошение в полосе, прилегающей к дороге;

в) не располагать здесь же поля фильтрации, очистные сооружения, поглощающие колодцы, испарительные бассейны, открытые котлованы и т.д.;

г) не устраивать в полосе отвода временные подъездные пути и коммуникации;

д) не допускать в полосе отвода и на склоне выше и ниже дороги на расстоянии до 50 м снятия дернового и растительного покрова, корчевки леса, кустарников, глубокой распашки склонов.

6.12. При строительстве земляного полотна на оползневых склонах необходимо:

а) обеспечить постоянный строительный водоотвод, особенно в местах выклинивания грунтовых вод;

б) провести укрепление низовой и верховой частей склона в случае обнажения на поверхности склона при смыве, сплыве глинистых грунтов;

в) после сооружения земляного полотна необходимо немедленно укрепить откосы и водоотводные канавы, обеспечить сброс воды со склона;

г) все работы, особенно по сооружению дренажных прорезей, следует вести в периоды наименьшего поверхностного увлажнения.

РАЗДЕЛ 7. ТЕХНИКО-ЭКОНОМИЧЕСКОЕ ОБОСНОВАНИЕ РЕКОНСТРУКЦИИ АВТОМОБИЛЬНЫХ ДОРОГ

7.1. Экономически наиболее эффективное проектное решение выявляют путем сравнения вариантов по основным технико-экономическим показателям, к которым относятся единовременные затраты (капиталовложения) и текущие затраты (эксплуатационные расходы).

Наилучший вариант определяют из условия минимума суммарных, приведенных к году окончания реконструкции затрат, определяемых для каждого из сравниваемых вариантов по формуле:

Рпр = Кпр + ,                                             (7.1)

где Ен - нормативный коэффициент сравнительной эффективности для транспорта, Ен = 0,12;

Е - нормативный коэффициент для приведения к одному моменту времени разновременных затрат, Е = 0,08;

Кпр - приведенная величина единовременных затрат;

Эt - текущие затраты в t-том году;

tо - срок сравнения вариантов, принимаемый равным 35 годам.

7.2. При относительно постоянном росте текущих затрат (по закону арифметической или геометрической прогрессии) для определения суммарных приведенных затрат можно использовать формулу:

Рпр = Кпр + Эрн,                                                           (7.1, а)

где Эр - текущие затраты на расчетный год эксплуатации, устанавливаемый в зависимости от темпов прироста текущих затрат по табл. 7.3.

7.3. Общая сумма приведенных единовременных затрат, входящая в формулы (7.1) и (7.1а), определяется выражением:

Кпр = К +  + ,                          (7.2)

где К - капиталовложения в реконструкцию дороги, определяемые на основании смет и сметно-финансовых расчетов (на стадии технико-экономического обоснования возможно использование укрупненных показателей, данных проектов - аналогов);

Крек - капиталовложения, необходимые для второй реконструкции дороги в процессе ее эксплуатации через tрек лет после первой реконструкции и определяемые на основе смет или укрупненных показателей;

Ккр - затраты на капитальный ремонт дороги, определяемые в соответствии с данными табл. 7.2;

 - капиталовложения в подвижной состав автомобильного транспорта, приведенные к начальному году эксплуатации дороги после ее реконструкции (могут быть найдены в соответствии с п.п. 7.7, 7.8).

7.4. Общая сумма приведенных текущих затрат на срок сравнения вариантов (to) определяется выражением:

 =  +  +  +  -  + Пз,      (7.3)

где Ct - ежегодные затраты на текущий ремонт и содержание дороги в t-ом году (см. п. 7.10);

Ссрt - затраты на средние ремонты дороги, отнесенные к одному году межремонтного срока службы (см. табл. 7.2);

А - автотранспортные затраты в t-ом году (см. п. 7.9);

Эпассt - экономический эффект, вызванный сокращением времени пребывания в пути пассажиров после реконструкции дороги (относительно варианта с наибольшим временем проезда) в t-ом году (см. п. 7.11);

Пt - потери народного хозяйства от дорожно-транспортных происшествий в t-ом году (см. п. 7.12);

Пз - потери народного хозяйства вследствие изъятия земель из сельскохозяйственного производства (см. раздел 8, п. 8.4).

7.5. Для определения экономической эффективности капиталовложений в вариант, рекомендуемый к реконструкции, должен быть рассчитан коэффициент экономической эффективности капиталовложений (Екс) или обратная ему величина «срок окупаемости» (Т):

Екс = ,                                             (7.4)

Ткс = ,                                           (7.5)

где  - общая сумма приведенных текущих затрат, определяемая по формуле (7.3), исходя из возможности сохранения условий существовавших до реконструкции (существующие условия);

 - общая сумма приведенных текущих затрат, определяемая по формуле (7.3) для условий после реконструкции дороги принятому варианту (проектируемые условия);

 - общая величина единовременных затрат, исчисляемых по формуле (7.2), для случая сохранения условий, существовавших до реконструкции;

 - общая величина единовременных затрат, исчисляемая по формуле (7.2) для условий после реконструкции по принятому варианту.

7.6. В случае равномерного возрастания текущих затрат, зависящих главным образом от грузооборота или интенсивности движения, по прямолинейной зависимости или сложным процентам возможно использовать упрощенные формулы:

Екс = ,                                                 (7.4, а)

Ткс = ,                                                 (7.5, а)

где Эр сущ и Эр проект - текущие затраты в расчетном году (см. п. 7.2) для существующих и проектируемых условий.

7.7. Величина капиталовложений в автомобильный транспорт, необходимых для выполнения установленного на t-ый год объема перевозок, в районе тяготения дороги определяется по формуле:

 = ,                                        (7.6)

где С - удельные капиталовложения в подвижной состав с учетом капиталовложений в автотранспортные предприятия на один списочной автомобиль:

С = ;                                                            (7.6, а)

Тавт - продолжительность работы одного списочного автомобиля в течение года (час/авт), равная

Тавт = Тсna;                                                             (7.6, б)

tпр - средняя продолжительность простоя автомобиля под погрузкой и выгрузкой за один рейс, час (см. табл. 7.6);

Qt - общий объем перевозок грузов автомобилями в районе тяготения в t-ом году, т;

Рti - грузооборот автомобильного транспорта, соответствующий одному характерному типу дорог в районе тяготения на год t, ткм;

i - количество типов дорог в районе тяготения;

Vi - средняя скорость автомобилей на дорогах соответствующего типа (км/час), определяемая в соответствии с данными табл. 7.15;

qc - средняя грузоподъемность одного автомобили, т.

qс = ;                                                        (7.6, в)

b, g - коэффициенты использования пробега и грузоподъемности автомобилей (табл. 7.8);

j - количество типов автомобилей в составе транспортного потока;

hj - удельный вес отдельного автомобиля в составе транспортного потока;

Cj - капиталовложения на один списочный автомобиль соответствующего типа, руб. (табл. 7.5);

Тc - средняя продолжительность нахождения автомобиля в наряде, час (табл. 7.9);

a - коэффициент выпуска автомобилей на линию (табл. 7.10);

n - количество рабочих дней в году;

qj - номинальная грузоподъемность отдельных типов автомобилей, т. (табл. 7.5, 7.11).

Прирост величины капиталовложений в автомобильный транспорт в связи с увеличением во времени объема перевозок в районе тяготения определяют по формуле:

D = ,                                             (7.7)

где  - капиталовложения в автомобильный транспорт на начальный год, определяемые по формуле (7.6);

Nt, Nt-1, No - интенсивность движения на мостовом переходе соответственно в t-ом, t - 1-ом и начальном годах эксплуатации дороги после ее конструкции.

Приведение капиталовложений в автомобильный транспорт к начальному году эксплуатации дороги выполняют по формуле:

 =  + .                                              (7.8)

7.8. При реконструкции дорог, когда изменение условий движения происходит, в основном, в пределах реконструируемой дороги, при определении величины капиталовложений в автомобильный транспорт возможно учитывать только их часть, определяемую затратами времени, связанными с движением автомобилей по дороге в пределах границ, общих для всех вариантов:

 = ,                                                        (7.9)

где L - протяжение рассматриваемого варианта, км;

V - средняя скорость движения потока автомобилей, км/ч (см. п.п. 7.14, 7.15).

7.9. Величина автотранспортных затрат в t-ом году может быть найдена по формуле:

Аt = 3,65,                                                      (7.10)

где i - количество участков с различными дорожными условиями;

Nti - среднесуточная интенсивность движения на участке с однородными дорожными условиями на год t, авт/сутки;

Li - протяженность участка с однородными дорожными условиями, км;

Si - средняя стоимость 1 авт/км пробега автомобиля в данных дорожных условиях, коп/авт-км.

Величину Si для определенных дорожных условий следует определять по формуле:

Si = S¢пер i + ,                                             (7.11)

где S¢пер i - средняя величина переменных расходов на 1 авт-км для определенных дорожных условий:

S¢пер i = ki,                                              (7.12)

Sпер j - величина переменных затрат, зависящих от пробега, для соответствующего типа автомобиля, коп/авт-км (см. табл. 7.11);

ki - коэффициент, учитывающий влияние дорожных условий на величину зависящих от пробега автотранспортных затрат (см. табл. 7.12);

 - средняя для всего транспортного потока величина постоянных (не зависящих от пробега) расходов, коп/авт-час;

 = ,                                                (7.13)

Sпост j - величина постоянных расходов для определенного типа автомобилей, коп/авт-км (принимается по данным табл. 7.11);

S - часовая, средняя для транспортного потока, тарифная ставка шоферов, коп:

S = ,                                                         (7.14)

Sj - часовая тарифная ставка шоферов, работающих на автомобиле j-го типа, коп (табл. 7.11, 7.13);

Vti - средняя скорость автомобилей, км/ч, рассчитывается в соответствии с п.п. 7.14, 7.15.

7.10. Ежегодные затраты на ремонт и содержание дороги в t-ом году определяются по формуле:

С = ДL,                                                             (7.15)

где L - протяженность дороги, км;

Д - затраты на текущий ремонт и содержание 1 км дороги (см. табл. 7.29).

7.11. Экономический эффект, вызванный сокращением времени пребывания в пути пассажиров в связи с сокращением расстояния перевозки и увеличением скоростей движения автомобилей после реконструкции дороги, может быть найден из выражения:

DЭпасс t = Sпасс Pt,                                      (7.16)

где Рt - количество пассажиров, перевозимых в t-ый год;

Lcущ, Lпроект - пробег автомобилей до и после реконструкции дороги, км;

Vсущ t, Vпроект t - средняя скорость автомобилей и автобусов до и после реконструкции, км/ч (см. п.п. 7.14, 7.15);

Sпасс - стоимость одного пассажиро-часа, принимаемая ориентировочно равной 0,2 руб/пассажиро-час.

7.12. Потери народного хозяйства от дорожно-транспортных происшествий на дороге в t-ом году следует определять по формуле:

Пt = 365×10-6 Сср LiatiMiКм,                                           (7.17)

где ati - количество дорожно-транспортных происшествий на 1 млн. авт-км в t-ом году на участке длиной Li с однородными дорожными условиями (может быть найдено в соответствии с п. 7.13);

Mi - итоговый стоимостный коэффициент, учитывающий тяжесть дорожно-транспортных происшествий на участке длиной Li с однородными дорожными условиями (см. табл. 7.21);

Nti - интенсивность движения в t-ом году на участке с однородными дорожными условиями, авт/сутки;

Сср - средняя стоимость одного дорожно-транспортного происшествия на прямолинейном горизонтальном участке дороги с шириной проезжей части 7,5 м и укрепленными обочинами (см. табл. 7.20);

Км - коэффициент, учитывающий уменьшение потерь от дорожно-транспортных происшествий в результате проведения мероприятий по организации движения (см. табл. 7.23).

7.13. Количество дорожно-транспортных происшествий на 1 м авт-км на участке в t-ом году определяется по формуле:

- для дорог

аti = 0,345 - 0,0027 Китог + 0,00009 ;                                 (7.18)

- для мостов и прилегающих к нему подходов (по 150 - 200 м с каждой стороны)

аti = 0,207 + 0,039 Китог + 0,0002 ,                                   (7.19)

где Китог - итоговый коэффициент аварийности на рассматриваемом участке, определяемый по общепринятой методике (см. Справочник инженера-дорожника «Проектирование автомобильных дорог»; изд-во «Транспорт», М., 1967).

7.14. Средняя скорость движения автомобилей на участке длиной Li в t-ом году определяется с учетом интенсивности и скорости движения и дорожных условий по формуле:

Vti =  - nt,                                                   (7.20)

где  - средняя скорость свободного движения легковых автомобилей на прямолинейном горизонтальном участке дороги с шириной проезжей части 7,5 м и укрепленными обочинами,  = 80 км/ч;

t1 - коэффициент, учитывающий влияние продольного уклона на скорость свободного движения (см. табл. 7.16);

t2 - коэффициент, учитывающий влияние состава потока на скорости движения автомобилей (см. табл. 7.17);

t3 - коэффициент, учитывающий влияние дорожных условий на скорости движения автомобилей (см. табл. 7.18);

 - коэффициент, зависящий от состава транспортного потока (см. табл. 7.19);

nt - интенсивность движения по дороге в t-ом году (авт/ч), принимаемая равной 8 % среднесуточной интенсивности движения.

7.15. Для получения средней скорости движения на рассматриваемом варианте необходимо все его протяжение (в ряде случаев и дорожную сеть в районе тяготения) разбить на характерные по дорожным условиям и интенсивности движения участки, вычислить для каждого из них по формуле (7.20) среднюю скорость транспортного потока и определить средневзвешенное для варианта значение скорости автомобилей.

Vt = Li/П/.                                                    (7.21)

В случае, когда по интенсивности движения и техническим параметрам участки дорог полностью соответствуют дороге определенной технической категории, скорость движения автомобилей может быть ориентировочно принята в соответствии с данными табл. 7.15.

7.16. Исходными данными для технико-экономического обоснования проектных решений при реконструкции автомобильных дорог являются:

- интенсивность движения и пробег автомобилей на отчетный и перспективные годы;

- состав транспортного потока;

- темпы прироста интенсивности движения;

- данные о перевозках пассажиров на отчетный и перспективные годы;

- результаты наблюдений за скоростями движения на существующей дороге;

- данные о дорожно-транспортных происшествиях на существующей дороге;

- результаты технических изысканий и проектные материалы, необходимые для расчета скоростей движения автомобилей;

- графики пропускной способности дороги и коэффициентов аварийности;

- данные о количестве и качестве земель, занимаемых при реконструкции дороги.

7.17. Рекомендуется следующий порядок расчетов при составлении технико-экономического обоснования реконструкции дороги:

1) назначают варианты реконструкции дороги, которые могут отличаться друг от друга по степени использования существующей дороги, техническим параметрам, соответственно требованиям защиты окружающей среды и землепользования и т.д. В числе рассматриваемых вариантов могут быть варианты стадийной реконструкции дороги и проведения мероприятий, связанных с необходимостью выполнения требований защиты окружающей среды.

Среди рассматриваемых вариантов в качестве эталонного должен быть включен вариант, соответствующий сохранению существующей дороги без ее реконструкции;

2) для каждого из назначенных вариантов реконструкции дороги определяют:

- размеры капиталовложений в реконструкцию и капитальные ремонты (п. 7.3);

- затраты на ремонт и содержание;

- потери народного хозяйства вследствие изъятия земель из сельскохозяйственного производства (см. раздел 8);

3) для каждого варианта устанавливают путем расчета средние скорости движения автомобилей (п.п. 7.14, 7.15) и величины ежегодных потерь народного хозяйства от дорожно-транспортных происшествий (п.п. 7.12 и 7.13);

4) в соответствии с найденными значениями средних скоростей движения автомобилей и другими исходными данными, определяют показатели единовременных и текущих затрат, входящих в формулу (7.1) или (7.1а).

Все показатели текущих затрат должны определяться в пределах границ, общих для всех вариантов.

При изменении текущих затрат по линейной зависимости или по сложным процентам рекомендуется для расчетов использовать формулу (7.1а) и определять текущие затраты для расчетного года, устанавливаемого в соответствии с п. 7.2.

В случае более сложных закономерностей изменения текущих затрат или поэтапном осуществлении единовременных затрат необходимо использовать формулу (7.1). При этом весь срок сравнения вариантов разбивается в соответствии с временем осуществления капиталовложений на ряд периодов и все показатели текущих затрат определяют для первого года каждого периода. Определение текущих затрат для последующих лет каждого периода производства выполняют, исходя из закономерностей изменения текущих затрат внутри этого периода;

5) для каждого варианта реконструкции по формуле (7.1) или (7.1а) определяют величину суммарных приведенных затрат.

Лучшему варианту соответствует наименьшая величина суммарных приведенных затрат;

6) для рекомендуемого варианта реконструкции дороги по формулам (7.4) или (7.4а, а) определяют фактический коэффициент эффективности капиталовложений, который должен быть не менее нормативного.

7.18. Технико-экономическое обоснование проектных решений по отдельным элементам и сооружениям дороги рекомендуется выполнять в соответствии с указаниями раздела 9.

Нормативные технико-экономические показатели

Таблица 7.1

Коэффициенты дли приведения затрат будущих лет к базисному году /коэффициенты отдаленности/

Значение t*

Значение t*

Значение t*

1

0,926

18

0,250

35

0,068

2

0,858

19

0,232

36

0,063

3

0,794

20

0,215

37

0,058

4

0,735

21

0,199

38

0,054

5

0,681

22

0,184

39

0,050

6

0,630

23

0,170

40

0,046

7

0,583

24

0,158

41

0,043

8

0,540

25

0,146

42

0,039

9

0,500

26

0,135

43

0,036

10

0,463

27

0,125

44

0,034

11

0,429

28

0,116

45

0,031

12

0,392

29

0,107

46

0,029

13

0,368

30

0,099

47

0,027

14

0,340

31

0,092

48

0,025

15

0,315

32

0,085

49

0,023

16

0,292

33

0,079

50

0,021

17

0,270

34

0,073

51

0,019

t* - период приведения, равный разности между годом, в котором осуществляются затраты, и годом, к которому они приводятся.

Таблица 7.2

Средние значения коэффициента ежегодного прироста интенсивности движения на автомобильных дорогах

Характеристика дорог

Коэффициент прироста

Дороги с интенсивностью движения, достигающей 50 - 70 % от возможной пропускной способности

1,03 - 1,04

Дороги в районах с хорошо развитой сетью, сложившейся промышленностью и сельским хозяйством

1,05 - 1,06

Дороги в малоосвоенных перспективных районах

1,07 - 1,10

Таблица 7.3

Расчетный год эксплуатации для различных значений коэффициента ежегодного прироста интенсивности движения

Коэффициент ежегодного прироста интенсивности

Расчетный год

Коэффициент ежегодного прироста интенсивности

Расчетный год

1,01

4

1,07

13

1,02

8

1,08

13

1,03

10

1,09

14

1,05

11

1,10

14

1,05

11

1,11

15

1,06

12

1,12

15

Примечание: При возрастании интенсивности движения на дорогах по прямолинейному закону расчетным годом является 8-й.


Таблица 7.4

Значения коэффициента увеличения интенсивности движения через «t» лет при заданном проценте ежегодного прироста

Ежегодный рост, %

Коэффициент увеличения интенсивности движения через

5 лет

10 лет

11 лет

12 лет

13 лет

14 лет

15 лет

17 лет

20 лет

25 лет

27 лет

30 лет

40 лет

1

1,050

1,105

1,116

1,121

1,138

1,149

1,161

1,184

1,220

1,282

1,310

1,348

1,489

2

1,104

1,219

1,243

1,268

1,294

1,319

1,346

1,400

1,486

1,651

1,707

1,811

2,208

3

1,159

1,344

1,384

1,426

1,468

1,512

1,558

1,658

1,806

2,094

2,221

2,427

3,262

4

1,217

1,480

1,539

1,601

1,665

1,732

1,801

1,948

2,191

2,666

2,883

3,243

4,801

5

1,276

1,629

1,710

1,796

1,886

1,980

2,080

2,292

2,653

3,386

3,733

4,322

7,040

6

1,338

1,791

1,898

1,912

2,133

2,261

2,396

2,693

3,207

4,292

4,822

5,743

10,286

7

1,402

1,967

2,105

2,252

2,410

2,578

2,759

3,159

3,870

5,427

6,214

7,612

14,974

8

1,469

2,159

2,332

2,518

2,720

2,937

3,172

3,700

4,661

6,846

7,988

10,063

21,724

9

1,539

2,367

2,580

2,813

3,066

3,342

3,642

4,328

5,604

8,623

10,245

13,263

31,409

10

1,611

2,594

2,853

3,138

3,452

3,797

4,177

5,054

6,727

10,835

13,110

17,450

45,259

11

1,635

2,839

3,152

3,498

3,883

4,310

4,785

5,895

8,062

13,585

16,739

22,892

65,001

12

1,762

3,106

3,479

3,896

4,363

4,887

5,474

6,866

9,646

17,000

21,325

29,960

93,051


Таблица 7.5

Капитальные вложения в подвижной состав автомобильного транспорта

№№ пп

Тип или марка автомобиля

Грузоподъемность, т

Полная восстановительная стоимость, руб.

Бортовые автомобили

1.

УАЗ-451 ДМ

1,0

1640

2.

УАЗ-451 Д

0,8

1340

3.

ГАЗ-51А

2,5 - 2,0

1240

4.

ГАЗ-52-03

2,5

1540

5.

ГАЗ-53А

4,0

2700

6.

ЗИЛ-164А (ЗИЛ-164АР, ЗИЛ-164АД)

4,0

1740

7.

ЗИЛ-130-66

5,0

3140

8.

ЗИЛ-130Г

5,0

3260

9.

Урал-377

7,5

8650

10.

МАЗ-200 (МАЗ-200М)

7,0

3350

12.

МАЗ-500

12,0

5860

13.

КраЗ-257

12,0

8320

Прицепы бортовые

14.

ИАПЗ-754В (АСП4)

4,0

1060

15.

МАЗ-5243

6,8

1870

16.

ГКБ-817

5,0

1640

17.

МАЗ-886

8,5

2000

Автобусы

18.

КАВЗ-651А

-

2600

19.

ПАЗ-62ВБ

-

4000

20.

ЗИЛ-155

-

4450

21.

ЗИЛ-158В

-

6090

22.

ЛАЗ-695Е

-

5660

23.

ЛАЗ-697Е «Турист»

-

7950

Легковые автомобили

24.

ГАЗ-21Т «Волга» - такси

-

1690

25.

«Москвич-408» - такси

-

1440

Таблица 7.5, а

Нормативы удельных капитальных вложений в предприятия автомобильного транспорта на 1 среднесписочный автомобиль, тыс. руб.

Виды предприятий

Норматив на 1 автомобиль

грузовой

автобус

легковой ведомственный

легковой такси

Гаражи

7,08

16,30

6,84

4,73

Базы и станции централизованного технического обслуживания

0,36

0,39

1,32

1,68

Предприятия по капитальному ремонту автомобилей и агрегатов

0,45

0,67

0,48

1,44

Итого по всем видам предприятий

7,89

17,36

8,64

7,85

Примечания:

1. Нормативы по гаражам приведены: для грузовых автомобилей - на 300 машин при открытой стоянке; для автобусов - на 100 машин при закрытой стоянке; для легковых ведомственных - на 300 машин; для такси - на 800 машин при закрытой стоянке.

2. Нормативы по базам и станциям технического обслуживания установлены из условия выполнения на них ТО-2 в расчете на один грузовой автомобиль 4 раза в год; на автобус - 6 раз в год; на легковой автомобиль - 3 раза в год; на такси - 8 раз в год. Принято при этом, что работы ТО-1 выполняются в гаражах.

3. Нормативы по предприятиям капитального ремонта учитывают сроки работы до капитального ремонта: грузового автомобиля - 3 года; автобуса - 5 лет; легкового автомобиля - 5 лет; такси - 1,6 года.

Таблица 7.6

Средняя продолжительность работы одного списочного автомобиля на линии за год эксплуатации, автомобиле-часов:

- для грузовых автомобилей            - 1890 час

- для автобусов                                  - 3285 час

- для такси                                          - 2278 час

Таблица 7.7

Нормы времени простоя грузовых автомобилей (автопоездов) в пунктах погрузки и разгрузки за один рейс

Грузоподъемность автомобилей (автопоездов)

Норма времени простоя, мин

Под погрузкой

Под разгрузкой

Всего

До 1,5 т включительно

19

13

32

От 1,5 до 2,5 т включительно

20

15

35

Свыше 2,5 т до 4,0 т включительно

24

18

42

Свыше 4,0 т до 7,0 т включительно

29

22

51

Свыше 7,0 т до 10,0 т включительно

37

28

65

Свыше 10,0 до 15,0 т включительно

45

34

79

Свыше 15,0 т

52

40

92

ПРИМЕЧАНИЯ: 1. Нормы простоя приведены для механизированного способа выполнения погрузо-разгрузочных работ.

2. Нормы времени устанавливаются на всю возможную для данного груза грузоподъемность автомобиля (автопоезда).

Таблица 7.8

Эксплуатационные показатели использования автомобильного парка

Наименование показателей

Марки автомобилей

МАЗ-500, «Колхида», автомобили с прицепами и полуприцепами

ЗИЛ-164, ЗИЛ-130; ГАЗ-53

ГАЗ-52, УАЗ-551-Д и др. автомобили малой грузоподъемности

Автомобили-самосвалы

Дороги общегосударственного и республиканского значения

Коэффициент использования пробега

0,65

0,55

0,50

0,48

Коэффициент использования грузоподъемности

0,85

0,80

0,75

0,98

Дороги областного значения

Коэффициент использования пробега

0,63

0,55

0,49

0,48

Коэффициент использования грузоподъемности

0,81

0,78

0,73

0,95

Дороги местного значения

Коэффициент использования пробега

-

0,50

0,40

0,45

Коэффициент использования грузоподъемности

-

0,70

0,60

0,90

Таблица 7.9

Средняя продолжительность нахождения автомобилей в наряде в течение суток

Вид подвижного состава

Время в наряде, час

Автотранспорт общего пользования:

а) грузовые седельные автомобили

9,2

б) маршрутные автобусы

12,1

в) легковые автомобили

10,6

Таблица 7.10

Коэффициент выпуска автомобилей на линию

Вид подвижного состава

Коэффициент выпуска

Автотранспорт общего пользования:

а) грузовые седельные автомобили

0,603

б) маршрутные автобусы

0,734

в) легковые таксомоторы

0,794

Таблица 7.11

Расчетные нормативы затрат на пробег автомобилей по дорогам с усовершенствованным покрытием капитального типа

Марки автомобилей и их грузоподъемность, т

Норматив, коп

Зарплата водителя на 1 машино-час работы, коп

Переменные, на 1 машино-км пробега

Постоянные на 1 машино-час работы

УАЗ-451 (0,8 т)

2,846

36,8

37,2

УАЗ-451ДМ (1,0 т)

3,071

30,5

37,2

ГАЗ-51А (2,5 т)

3,730

37,9

37,2

ГАЗ-52-03 (2,5 т)

4,037

39,8

37,2

ГАЗ-53А (4,0 т)

5,629

57,1

40,1

ЗИЛ-164А (4,0 т)

5,215

51,0

40,1

ЗИЛ-164А с прицепом ИАПЗ-754В (4,0 + 4,0 т)

7,209

61,7

50,38

ЗИЛ-164А с прицепом ГКБ-817 (4,25,0 т)

7,505

65,1

57,25

ЗИЛ-130 (5,0 т)

6,981

62,3

44,11

ЗИЛ-130 с прицепом ИАПЗ-754В (5,0 + 4,0 т)

9,269

73,5

50,38

ЗИЛ-130 с прицепом ГКБ-817 (5,0 + 5,0 т)

9,577

76,9

57,25

ЗИЛ-130Г (5,0 т)

7,041

62,9

45,8

ЗИЛ-130Г с прицепом ИАПЗ-754В (5,0 + 4,0 т)

9,340

74,1

50,38

ЗИЛ-130Г с прицепом ГКБ-817 (5,0 + 5,0 т)

9,643

77,5

57,25

МАЗ-200 (7,0 т)

7,259

65,7

50,88

МАЗ-200 с прицепом МАЗ-5243 (7,0 + 6,8 т)

10,026

82,2

69,75

МАЗ-500 (7,5 т)

8,069

79,5

50,38

МАЗ-500 с прицепом МАЗ-5243 (7,5 + 6,8 т)

10,863

96,0

69,75

МАЗ-500 с прицепом МАЗ-886 (7,5 + 8,5 т)

10,996

96,9

69,75

Урал-377 с прицепом МАЗ-5243 (7,5 + 6,8 т)

16,344

107,5

69,75

КрАЗ-257 (12,0 т)

12,784

95,3

61,38

КрАЗ-257 с прицепом МАЗ-5243 (12,0 + 6,8 т)

16,254

112,1

78,75

КрАЗ-257 с прицепом МАЗ-886 (12,0 + 8,5 т)

16,376

113,0

78,75

ПРИМЕЧАНИЯ: 1. Зарплата водителей дана с учетом надбавки на классность: на автомобилях грузоподъемностью 5,0 т и выше без прицепа и при наличии прицепа грузоподъемностью 4,0 т - в размере 10 % тарифной ставки; на автомобилях с прицепами грузоподъемностью 5,0 т и выше - в размере 25 %.

2. Расчетные нормативы постоянных затрат установлены на 1 машино-час нахождения на линии независимо от условий использования автомобилей.

Таблица 7.11, а

Расчетные нормативы затрат на пробег автобусов и легковых автомобилей по дорогам с усовершенствованным покрытием капитального типа

Марки автомобилей

Норматив, коп

Переменные, на 1 машино-км пробега

Постоянные, на 1 машино-час работы

КАВЗ-651А

4,38

155,0

ПАЗ-552Б

5,50

179,0

ЗИЛ-155

6,44

194,0

ЛАЗ-695Е

7,42

195,0

ЛАЗ-697Е

7,98

157,0

Автомобили-такси ГАЗ-24 «Волга»

2,46

81,0

Автомобиль «Москвич-408»

2,19

79,0

Таблица 7.12

Коэффициенты, учитывающие влияние дорожных условий эксплуатации автомобилей на величину переменных (зависящих от пробега) затрат в составе себестоимости автомобильных перевозок

Техническая категория дороги

Тип дорожного покрытия

Коэффициенты при рельефе местности

Равнинном

Пересеченном

Горном

I

Усовершенствованное капитальное

1,00

1,01

1,03

II

Усовершенствованное капитальное

1,00

1,01

1,03

III

Усовершенствованное облегченное

1,04

1,05

1,07

III

Твердое, переходного типа

1,25

1,26

1,29

IV

Усовершенствованное облегченное

1,08

1,09

1,11

Твердое, переходного типа

1,30

1,31

1,34

Низшего типа

1,60

1,62

1,65

V

Усовершенствованное облегченное

1,13

1,14

1,16

Твердое, переходного типа

1,35

1,36

1,39

Низшего типа

1,70

1,72

1,75

Построенные грунтовые дороги в хорошем состоянии

2,00

2,02

2,06

Естественные грунтовые дороги в неудовлетворительном состоянии

2,50 - 3,00

2,50 - 3,00

2,50 - 3,00

ПРИМЕЧАНИЕ: При движении автомобилей по покрытиям, находящимся в предельно допустимом по изношенности состоянии, коэффициент влияния дорожных условий следует принимать как для покрытия на одну ступень ниже.

Таблица 7.18

Часовые тарифные ставки водителей легковых, грузовых автомобилей и автобусов

А. Для водителей III-го класса, работающих на грузовых автомобилях

Группы автомобилей

Бортовые автомобили грузоподъемностью:

Автомобили-самосвалы, автофургоны, цистерны, автомобили-рефрижераторы, газобаллонные автомобили, автомобили техпомощи, автомобили с установками для перевозки кирпича пакетами и с др. установками, автомобили-тягачи с прицепами и полуприцепами грузоподъемностью:

Автомобили газогенераторные ассенизационные, улично-подметальные, автомобили по вывозке нечистот, гниющего мусора, цементовозы грузоподъемностью:

Часовые тарифные ставки, коп

До 3 т включительно

До 1,5 т включительно

-

37,2

От 3 до 5 т включительно

От 1,5 до 3 включительно

До 1,5 т включительно

40,1

От 5 до 10 т включительно

От 3 до 5 т (автомобили-самосвалы от 3 до 4,5 т) включительно

От 1,5 до 3 т включительно

45,8

От 10 до 15 т включительно

От 5 до 10 т (автомобили-самосвалы от 4,5 до 8 т) включительно

От 3 до 5 т включительно

58,8

От 15 до 20 т включительно

От 10 до 15 т (автомобили-самосвалы от 8 до 10 т) включительно

От 5 до 8 т включительно

68,0

Свыше 20 т

Свыше 15 т (автомобили-самосвалы свыше 10 т)

Свыше 8 т

68,7

Б. Для водителей II-го класса, работающих на автобусах

Общая вместимость автобусов (число мест для сидения и стоянки)

Часовые тарифные ставки (коп) при работе

На автобусах

На автобусах с прицепами

До 40 мест включительно

45,8

53,0

От 41 до 60 мест включительно

51,5

60,1

От 61 до 100 мест включительно

57,8

67,3

От 101 до 180 мест включительно

71,6

-

Свыше 180 мест

80,2

-

В. Для водителей III-го класса, работающих на легковых автомобилях

Вместимость автомобилей, включая место водителя

Часовые тарифные ставки, коп

До 5 мест включительно, а также автомобиля типа ГАЗ-69

37,2

Свыше 5 мест, а также автомобили типа ГАЗ-69 с прицепом

39,0

Таблица 7.14

Вместимость легковых автомобилей и автобусов (номинальные и средние коэффициенты вместимости)

Автомобили

Число мест

Легковые автомобили

ВАЗ-966 «Запорожец»

4

«Москвич-408»

4 - 5

«Москвич-412»

5

ВАЗ-2101 «Жигули»

5

ГАЗ-24 «Волга»

5 - 6

ГАЗ-13 «Чайка»

7

ЗИЛ-114

7

Автобусы

РАФ-977Д «Латвия»

10

КАВЗ-651А

для сидения - 20

общее            - 25

ПАЗ-652Б

для сидения - 23

общее            - 42

ПАЗ-672

для сидения - 23

общее            - 45 (допускается 58)

ЛИАЗ-677

для сидения - 25

общее            - 60 (допускается 110)

ЛАЗ-695Е

для сидения - 32

общее            - 62

ЛАЗ-697Е «Турист»

- 33

ЗИЛ-158В

для сидения - 32

общее            - 60

ЛАЗ-699Л (междугородний)

для сидения - 41

ЗИЛ-127 (междугородний)

для сидения - 32


Таблица 7.15

Средние технические скорости грузовых, легковых автомобилей и автобусов на дорогах различного типа

Техническая категория дороги

Тип дорожного покрытия

Средние технические скорости, км/час

Равнинный рельеф

Пересеченный рельеф

Горный рельеф

Грузовые

Автобусы

Легковые

Грузовые

Автобусы

Легковые

Грузовые

Автобусы

Легковые

I

Усовершенствованное капитальное

60

60

80

55

55

70

50

50

65

II

Усовершенствованное капитальное и облегченное

55

60

80

50

55

70

40

40

60

III

Усовершенствованное облегченное

45

50

60

40

40

50

30

30

50

Твердое переходного типа

30

35

40

25

30

35

20

20

30

IV

Усовершенствованное облегченное

35

40

45

30

35

40

25

25

25

Твердое переходного типа

30

35

40

25

30

35

20

20

30

Низшего типа

25

30

35

22

25

30

17

17

25

V

Усовершенствованное облегченное

30

30

40

25

25

35

20

20

30

Твердое переходного типа

25

25

35

22

22

30

17

17

25

Низшего типа

20

20

30

18

18

25

14

14

20

Построенные грунтовые дороги в хорошем состоянии

15 - 20

15 - 20

25 - 30

13 - 18

13 - 18

20 - 25

10 - 14

10 - 14

15 - 20

Естественные грунтовые дороги в неудовлетворительном состоянии

10 - 15

-

-

8 - 13

-

-

7 - 10

-

-

ПРИМЕЧАНИЕ: При движении автомобилей по покрытиям, находящимся в предельно допустимом по изношенности состоянии, расчетную норму скорости следует принимать на одну ступень ниже.


Таблица 7.16

Коэффициент, учитывающий влияние продольного уклона на скорость свободного движения

Уклон,

0

20

30

40

50

60

70

80

Значения t1

1,00

0,92

0,84

0,76

0,65

0,56

0,45

0,34

Таблица 7.17

Коэффициент, учитывающий влияние состава потока на скорость свободного движения

% легковых автомобилей в потоке

100

70

50

40

20

10

0

Значения t2

1,00

0,90

0,80

0,78

0,75

0,67

0,62

Таблица 7.18

Коэффициент, учитывающий влияние дорожных условий на скорость свободного движения

№№ пп

Учитываемый фактор

Значения коэффициентов t3

1

2

3

1.

Дорожные условия в конце спуска (уклон более 3 %):

- малый мост

0,85

- большой (средний) мост

0,70

2.

Дорожные условия перед подъемом (уклон более 3 %):

- малый мост

0,90

3.

Ширина проезжей части (для горизонтальных участков и подъемов с уклоном менее 2 %), м:

4,5

0,60

6,0

0,70

7,0 - 7,5

1,00

9,0

1,05

10,5

1,10

14,0 - 15,0

1,20

4.

Ширина обочин, м: более 3,75

1,00

2,50

0,90

1,50

0,85

1,00

0,75

0,00

0,60

5.

Участки с ограниченной видимостью, м:

- в плане: 600 - 700

1,00

300 - 400

0,95

200 - 250

0,90

100 - 150

0,80 - 0,85

менее 100

0,75

- в продольном профиле:

более 150

1,00

100

0,95

50

0,75

менее 50

0,60

6.

Горизонтальные кривые радиусом, м:

более 600

1,00

500

0,96

400

0,92

300

0,87

200

0,80

100

0,75

50

0,70

менее 50

0,60

7.

Малые и средние мосты:

- ширина проезжей части моста менее ширины проезжей части дороги на 1,0 м

0,50

- равна ширине проезжей части дороги

0,70

- больше ширины проезжей части дороги:

на 1,0 м

0,85

на 1,5 м

0,92

на 2,0 м

1,00

Таблица 7.19

Коэффициент, зависящий от состава транспортного потока

% легковых автомобилей в потоке

0

10

20

30

40

70

100

Значения

0,020

0,018

0,016

0,013

0,012

0,010

0,007

Таблица 7.20

Средняя величина потерь от одного дорожно-транспортного происшествия

Годы

1975

1980

1985

1990

1995

2000

Средняя величина потерь, руб.

5810

6720

7760

8930

9900

10840

Таблица 7.21

Частные коэффициенты тяжести происшествий (итоговый коэффициент Мi равен произведению частных)

№№ пп

Учитываемый фактор

Значения учитываемого фактора

Значения поправочных коэффициентов

1

2

3

4

1.

Ширина проезжей части, м

4,5

0,7

6,0

1,2

7,0 - 7,5

1,0

9,0

1,4

10,5

1,2

14,0

1,0

15,0

0,9

2.

Ширина обочин, м

Менее 2,5

0

Более 2,5

0,85

3.

Продольный уклон, %

Менее 3,0

1,0

Более 3,0

1,85

4.

Радиусы кривых в плане, м

Менее 350

0,9

Более 350

1,0

5.

Недостаточная видимость

-

0,7

6.

Мосты и путепроводы

Бордюр до 30 см

2,1

Бордюр свыше 30 см

1,4

7.

Пересечения в одном уровне

-

0,8

Таблица 7.22

Расчетные нормы затрат на капитальный, средний, текущий ремонт и содержание дорожной одежды и обочин

Техническая категория дороги

Тип покрытия

Межремонтные сроки службы, лет

Стоимость ремонтов, руб/м2

При капитальном ремонте

При среднем ремонте

Капитального

Среднего

Текущего ремонта и содержания

II

Цементобетон

25 - 30

7 - 15

4,93

0,59

0,04549

Асфальтобетон

15 - 20

4 - 8

4,93

0,59

0,06436

III

Асфальтобетон

15 - 20

4 - 8

3,68

0,60

0,06092

Черный щебень с поверхностной обработкой

8 - 12

2 - 5

3,68

0,60

0,07385

IV

Гравий, обработанный битумом смешением на дороге, с поверхностной обработкой

6 - 10

2 - 4

2,23

0,33

0,08616

Щебеночное белое с двойной поверхностной обработкой

3 - 6

1 - 2

2,38

0,40

0,07128

Таблица 7.23

Значения коэффициента Км, учитывающего влияние мероприятий по организации движения на величину потерь от дорожно-транспортных происшествий

Мосты

1. Устройство ограждений                                                                        0,71

2. Оборудование знаками                                                                          0,89

3. Разметка проезжей части                                                                       0,78

4. Разметка и знаки                                                                                    0,70

Населенные пункты

1. Устройство пешеходных ограждений                                                 0,50

2. Оборудование стояночных площадок                                                 0,85

3. Устройство освещения                                                                          0,83

4. Ограничение скорости движения                                                        0,84

5. Устройство тротуаров                                                                           0,75

Пересечения

1. Разметка проезжей части                                                                       0,88

2. Канализирование движения                                                                 0,50

3. Устройство переходно-скоростных полос                                          0,91

4. Установка знаков                                                                                   0,93

5. Оборудование пешеходных переходов, автобусных остановок      0,77

Прямые в плане

1. Осевая разметка                                                                                      0,92

2. Осевая и краевая разметка                                                                    0,81

Кривые в плане с ограниченной видимостью

1. Устройство ограждений                                                                        0,94

2. Осевая и краевая разметка                                                                    0,75

3. Установка знаков                                                                                   0,70

4. Разметка и знаки

Кривые в плане с обеспеченной видимостью

1. Устройство ограждений                                                                        0,90

2. Осевая и краевая разметка                                                                    0,70

3. Установка знаков                                                                                   0,84

4. Разметка и знаки                                                                                    0,65

Подъемы и спуски

1. Краевая разметка и ограждения в нижней части спуска                   0,88

2. Разметка в верхней части подъема                                                       0,80

3. Разметка и знаки                                                                                    0,68

4. Устройство дополнительных полос для движения на подъем         0,70

РАЗДЕЛ 8. РАСЧЕТ ПОТЕРЬ НАРОДНОГО ХОЗЯЙСТВА ОТ ИЗЪЯТИЯ ЗЕМЕЛЬ ИЗ СЕЛЬСКОХОЗЯЙСТВЕННОГО ПРОИЗВОДСТВА

8.1. При технико-экономическом обосновании проектных решений при реконструкции автомобильных дорог необходимо учитывать ущерб, приносимый народному хозяйству вследствие изъятия земель как в постоянное, так и во временное пользование.

8.2. Размер ущерба, связанного с изъятием земельных угодий из сельскохозяйственного производства, рекомендуется учитывать: 1) путем включения в сметную стоимость строительства или реконструкции дороги расходов, связанных с возмещением землепользователям стоимости неиспользованных затрат и с восстановлением сельскохозяйственных угодий; 2) введением в состав суммарных приведенных затрат потерь народного хозяйства, вызванных исключением земель из сельскохозяйственного производства.

8.3. Величину расходов, связанных с возмещением землепользователям стоимости неиспользованных затрат (стоимость расположенных на отводимой земле строений и сооружений, оросительных систем, многолетних насаждений, вспашки, удобрений, неубранного урожая и т.п.) и восстановлением земельных угодий (освоение новых земель, не используемых в сельском хозяйстве, или коренное улучшение земель путем строительства оросительной системы) рекомендуется определять по данным актов выбора участков, форма которых разработана институтом «Молгипрозем».

При предварительных проработках вариантов проектных решений допускается определять величину расходов, связанных с возмещением неиспользованных затрат и восстановлением земельных угодий, на основе укрупненных показателей, приведенных в табл. 8.1 и 8.2.

8.4. Потери народного хозяйства, вызванные изъятием земель из сельскохозяйственного производства, рассчитывают по формуле:

Пз = ;                    (8.1)

где n - количество типов земельных угодий, отводимых в постоянное пользование;

Fпот i - площадь земельных угодий i-го типа, отводимых в постоянное пользование, га;

Fрек i - площадь земельных угодий i-го типа, возвращаемых сельскому хозяйству в результате рекультивации, га;

j - коэффициент, учитывающий меньшую продуктивность рекультивируемых земельных угодий (j = 0,6 - 0,9);

Рi - величина ежегодных потерь народного хозяйства, вызванных исключением 1 га земельных угодий из сельскохозяйственного производства, руб/га, определяемая в соответствии с п.п. 8.5 и 8.6;

Кпр - коэффициент, учитывающий ежегодное повышение производительности труда в сельском хозяйстве (принимается в соответствии с плановыми цифрами);

Е - нормативный коэффициент приведения разновременных затрат;

m - количество типов земельных угодий, отводимых во временное пользование при реконструкции дорог;

Fвр к - площадь земельных угодий «к»-го типа, отводимых во временное пользование, га;

Рк - величина ежегодных потерь народного хозяйства, вызванных исключением из сельскохозяйственного производства 1 га земельных угодий «к»-го типа, руб/га; определяется в соответствии с п.п. 3.5 и 8.6;

tо - период времени в годах с момента отвода земель во временное пользование до передачи их после рекультивации сельскохозяйственным организациям.

8.5. Величину ежегодных потерь народного хозяйства, вызнанных исключением из сельскохозяйственного производства 1 га земельных угодий определенного типа, рекомендуется определять согласно методике ВНИИЭСХ по формуле:

Рi = ЧДi + Н, руб/га,                                                    (3.2)

где ЧДi - чистый доход с га земельных угодий определенного типа, руб/га (принимается по отчетным данным сельскохозяйственных предприятий;

Н - потери государства в виде налога с оборота сельскохозяйственной продукции в расчете на 1 га, руб/га (По данным института экономики АН СССР и Молдавского научно-исследовательского института почвоведения и агрохимии им. Н.А. Димо1), средневзвешенный налог с оборота в расчете на 1 га составил 356,6 руб, в том числе: для виноградников - 800 руб/га; сахарной свеклы - 600 руб/га табака- 170 руб/га; подсолнечника - 25 руб/га.

1) Основы земельного кадастра Молдавской СССР. Издательство ЦК КП Молдавии, Кишинев, 1970 г.

8.6. При отсутствии достоверных данных для расчета по формуле (8.2), допускается определять величину ежегодных потерь народного хозяйства, вызванных исключением из сельскохозяйственного производства 1 га земельных угодий i-го типа с использованием зависимостей, полученных на основе исследований, выполненных в Институте Экономики АН СССР и в Молдавском научно-исследовательском институте почвоведения и агрохимии им. Н.А. Димо:

Рi = ,                                                        (8.3)

где Рср - средняя величина ежегодных потерь народного хозяйства, вызванных исключением из сельскохозяйственного производства 1 га сельскохозяйственных угодий; для 1980 года можно ориентировочно принимать Рср = 1250 руб/га;

Бср - средний оценочный балл сельскохозяйственных угодий Молдавской ССР по чистому доходу, Бср = 98;

Бi - оценочный балл по чистому доходу земельного участка определённой почвенной разновидности /в расчёте на пахотные земли/; определяется по данным табл. 8.3;

Кi - коэффициент перехода от оценочных баллов пахотных земель к оценочным баллам земельный угодий других типов /см. табл. 8.4/.

Таблица 8.1

Нормативы освоения новых земель взамен взимаемых для сельскохозяйственных нужд

Наименование показателей

Затраты, руб/га

Стоимость освоения, в том числе:

9160

- капитальные вложения

7260

- строительно-монтажные работы

5270

Таблица 8.4

Коэффициенты перехода от оценочных баллов пахотных земель к оценочным баллам земельных угодий других типов

Виды угодий

Коэффициент перехода

Пашня

1,00

Сады плодоносящие

4,40

Виноградники плодоносящие

4,00

Сенокосы

0,25

Пастбища

0,11


Таблица 8.2

Оценочные нормы для выплаты стоимости насаждений фруктовых деревьев, ягодников, ягодных кустарников
(приложение № 2 к восстановлению СМ МССР № 25 от 18 января 1972 г.)

Семечковые и грецкий орех

Косточковые

Виноградники

Ягодники и кустарники

Клубника

Малина

Возраст, лет

Стоимость 1 дерева

Возраст, лет

Стоимость 1 дерева

Возраст, лет

Стоимость 1 куста

Возраст, лет

Стоимость 1 м2

Возраст, лет

Стоимость 1 м2

Возраст

Стоимость

1 куста

1 м2

1

1,9

1

1,3

1

0,5

1

0,3

до 4 лет

0,18

свыше 2 лет

0,6

0,12

2

2,3

2

1,8

2

0,7

2

0,4

3

3,6

3

2,4

3

0,9

3

0,4

4

4,5

4

3,0

4

1,1

4, 5

0,4

5

5,3

5

3,5

5 - 10

1,1

6, 7

0,3

6

6,2

6

4,1

11 - 15

1,0

7

8 - 10

0,2

8

7,8

7 - 10

3,7

16 - 25

0,8

11 - 13

0,1

9

8,7

11 - 15

2,8

26 - 35

0,5

10

9,5

16 - 20

2,0

36 - 40

0,3

11 - 15

8,9

21 - 25

1,2

св. 45

0,1

16 - 20

7,7

св. 25

0,4

21 - 25

6,5

26 - 30

5,3

31 - 35

4,1

36 - 40

3,0

41 - 45

1,8

Св. 45

0,7

ПРИМЕЧАНИЕ: Виноградники гибридных сортов оцениваются с коэффициентом К = 0,5.


Таблица 8.3

Сравнительная оценка гектара пахотных земель Молдавской ССР

Тип почв

Балл по чистому доходу

Степень смытости почв

несмытые

слабосмытые

среднесмытые

сильносмытые

1

2

3

4

5

1.

Бурые лесные почвы

- тяжелоглинистые

70

49

42

28

- суглинистые

63

44

88

25

- легкосуглинистые

56

39

34

22

- супесчаные

49

34

29

20

2.

Серые лесные почвы

- тяжелосуглинистые

60

48

36

24

- глинистые

54

43

32

22

- суглинистые

48

38

29

19

- легкосуглинистые

42

34

25

17

- супесчаные

42

34

25

17

3.

Темно-серые лесные почвы

- тяжелосуглинистые

89

62

53

36

- глинистые

80

56

48

32

- легкосуглинистые

71

50

43

28

- супесчаные

53

37

32

21

4.

Чернозем оподзоленный

- тяжелосуглинистый

86

60

52

34

- глинистый

86

60

52

34

- суглинистый

77

54

46

31

5.

Чернозем выщелоченный

- тяжелосуглинистый

112

78

67

45

- глинистый

112

78

67

45

- суглинистый

101

70

60

40

- легкосуглинистый

90

63

54

33

6.

Чернозем типичный

- тяжелосуглинистый

100

70

60

40

- глинистый

100

70

60

40

- суглинистый

90

63

54

35

7.

Чернозем обыкновенный

- тяжелосуглинистый

.87

61

52

35

- глинистый

87

61

52

35

- суглинистый

78

55

47

31

- легкосуглинистый

70

49

42

28

8.

Чернозем карбонатный

- тяжелосуглинистый

76

53

46

30

- глинистый

76

53

46

30

- суглинистый

68

48

41

27

- легкосуглинистый

61

43

37

24

9.

Чернозем южный

- тяжелосуглинистый

80

56

48

32

- глинистый

80

56

48

32

- суглинистый

72

50

43

29

- легкосуглинистый

64

45

38

26

10.

Пойменно-луговые почвы

- тяжелосуглинистые

119

-

-

-

- глинистые

119

-

-

-

- суглинистые

107

-

-

-

РАЗДЕЛ 9. ОСОБЕННОСТИ ТЕХНИКО-ЭКОНОМИЧЕСКОГО ОБОСНОВАНИЯ ЭЛЕМЕНТОВ АВТОМОБИЛЬНЫХ ДОРОГ ПРИ ИХ РЕКОНСТРУКЦИИ

Ширина проезжей части

9.1. Увеличение ширины проезжей части двухколесных дорог до 8 - 9 м способствует росту скоростей движения автомобилей, снижению себестоимости перевозок, повышению безопасности движения, но требует при этом дополнительных капиталовложений (как в строительство дорожной одежды, так и земляного полотна, искусственных сооружений), отвода дополнительных земельных угодий.

9.2. Определение оптимальной ширины проезжей части при реконструкции автомобильной дороги рекомендуется вести в следующей последовательности:

1) назначают варианты ширины проезжей части дорог. Для двухполосных дорог ширину проезжей части целесообразно менять в пределах от ширины проезжей части существующей дороги до 8 - 9 м. При этом следует одновременно решать вопрос о ширине обочин и краевых полос (см. п.п. 9.3).

При перспективной интенсивности движения свыше 7000 авт/сутки определение ширины проезжей части дороги необходимо выполнять одновременно с расчетом количества полос движения и ширины разделительной полосы в соответствии с указаниями «Методических рекомендаций по оценке пропускной способности автомобильных дорог»;

2) для каждого варианта находят объемы и стоимость работ, в соответствии с п.п. 7.14 - 7.15, определяют средние скорости автомобилей, рассчитывают значения итоговых коэффициентов аварийности;

3) рассчитывают показатели единовременных и текущих затрат для участка дороги длиной 1 км, входящих в формулу (7.1) или (7.1а).

В целях уменьшения трудоемкости расчетов допускается использование номограмм для определения средней стоимости 1 авт-км пробега автомобилей (рис. 9.1).

Величина потерь от дорожно-транспортных происшествий в год t может быть рассчитана по формуле:

Пt = 3,65РntNtLiКм,                                                      (9.1)

где Nt - интенсивность движения в t-ом году авт/сутки;

Li - длина участка, км;

Км - коэффициент, учитывающий уменьшение потерь от дорожно-транспортных происшествий вследствие мероприятий по организации движения (см. табл. 6.23);

Рnt - расходная ставка по потерям от дорожно-транспортных происшествий в t-ом году, определяемая по формуле:

Рnt = Р¢nt + 0,01 (Тк - 1975), коп/авт-км.                             (9.2)

Р¢nt - расходная ставка по потерям от дорожно-транспортных происшествий в 1975 году (берется по графику рис. 9.2);

Тк - календарный год, соответствующий t-ому году;

4) для каждого варианта по формуле (7.1) или (7.1а) определяют величину суммарных приведенных затрат.

Оптимальной по ширине проезжей части соответствует наименьшая величина суммарных приведенных затрат.

Ширина обочин

9.3. Технико-экономическое обоснование ширины обочин при реконструкции дороги следует выполнять отдельно от обоснования ширины проезжей части дороги только в тех случаях, корда ширина проезжей части дороги задана и является величиной постоянной.

При назначении вариантов, подлежащих сравнению, ширину обочин рекомендуется выбирать в пределах от ширины существующих обочин (с учетом ее уменьшения при уширении проезжей части) до ширины, соответствующей требованиям п. 3.11. СНиП II-Д.5-72.

Оптимальную ширину обочин устанавливают расчетами, последовательность которых указана в п. 9.2.

При этом для определения средней стоимости 1 авт-км пробега автомобилей возможно использовать номограмму (рис. 9.3), а расходные ставки по потерям от дорожно-транспортных происшествий на 1975 год принимать по данным табл. 9.1.

Таблица 9.1

Ширина обочин, м

0

1,0

1,5

2,5

3,0 - 3,75

Расходная ставка Р¢nt, коп/авт-км

0,61

0,36

0,31

0,22

0,15

Рис. 9.1. Номограмма для определения себестоимости перевозок при различной ширине проезжей части и обочин /цифры на кривых - интенсивность движения в тыс. авт/сутки/:

I - краевые полосы по 0,3 м; II - краевые полосы по 0,5

Рис. 9.2. Номограмма для определения потерь от дорожно-транспортных происшествий для участков дорог с различной шириной проезжей части (цифры на кривых - интенсивность движения в тыс. авт/сутки).

Рис. 9.3. Номограмма для определения себестоимости перевозок при различном состоянии обочин /цифры на кривых - интенсивность движения в тыс. авт/сутки/:

I - обочины укреплены, имеются краевые полосы, покрытие такое же, как на проезжей части; II - обочины укреплены щебнем, краевые полосы отсутствуют; III - обочины засеяны травой; IV - неукрепленные сухие обочины; V - неукрепленные влажные обочины

Ширина проезжей части мостов

9.4. Сравнение вариантов реконструкции мостовых переходов, входящих в состав дороги, следует проводить в соответствии с «Указаниями по технико-экономическому обоснованию строительства и реконструкции мостовых переходов», ВСН 2-73 Минавтодора МССР.

Кривые в плане

9.5. При выборе оптимального варианта реконструкции отдельных участков дороги в плане следует учитывать зависимость скоростей движения и потерь от дорожно-транспортных происшествий от величин радиусов кривых и обеспечиваемой видимости.

Варианты трассы в плане, подлежащие сравнению, назначают в соответствии с рекомендациями п. п. 2.6 - 2.10.

Рис. 9.4. Номограмма для определения себестоимости перевозок на горизонтальных кривых в зависимости от расстояния видимости и интенсивности движения:

1 - тяжелые грузовые автомобили; 2 - средняя для потока; 3 - легкие грузовые автомобили

Сравнение вариантов трассы в плане проводят в последовательности, изложенной в п. 7.17.

При определении автотранспортных расходов и потерь от дорожно-транспортных происшествий возможно использование номограмм (рис. 9.4, 9.5) и формулы (9.1).

Продольный уклон

9.6. Сравнение вариантов реконструкции трассы автомобильной дороги на участке затяжного подъема, отличающихся величиной продольного уклона, необходимо проводить в пределах границ, общих для всех вариантов.

При разработке вариантов реконструкции в продольном профиле следует руководствоваться рекомендациями п.п. 2.31 - 2.40.

Выбор оптимального проектного решения должен проводиться в последовательности, изложенной в п. 7.17.

Рис. 9.5. Номограмма для определения потерь от дорожно-транспортных происшествий на кривых в плане при различной видимости /расстояние видимости: 1 - более 600 м; 2 - 300 м, 3 - 100 м/

Для определения величины средней стоимости 1 авт-км пробега автомобилей при расчете автотранспортных расходов допускается использование номограммы (рис. 9.6), а величина ежегодных потерь от дорожно-транспортных происшествий может быть найдена по формуле (9.1) и рис. 9.7.

Пересечения автомобильных дорог

9.7. При выборе наилучшего варианта пересечения автомобильных дорог должны быть рассмотрены различные типы пересечений в одном уровне (простые, частично или полностью канализированные, кольцевые) и в разных уровнях, технически осуществимые в данных условиях.

Рис. 9.6. Номограмма для определения себестоимости перевозок на подъемах

Рис. 9.7. Номограмма для определения потерь от дорожно-транспортных происшествий при разном продольном уклоне дороги

9.8. Исходная информация, наряду с данными, указанными в п. 7,17, должна включать данные о направлениях и интенсивности движения на пересечении.

Рекомендуется следующий порядок расчетов:

1) исходя из интенсивности движения для различных направлений, планировки существующего пересечения, возможности занятия примыкающих к пересечению земель, назначают варианты планировочных решений;

2) для каждого варианта пересечения определяют потери времени от снижения скоростей движения по главной дороге и от простоев автомобилей, двигающихся по главной дороге и ожидающих возможности вливания в транспортный поток главной дороги.

Потери времени на ожидание - tпрост могут быть определены по графику рис. 9.8 в зависимости от интенсивности движения по главной дороге с суммарной, приведенной к левоповоротному движению, интенсивности по второстепенной дороге, определяемой по формуле:

Nприв =  Кпп +   +  Кпр +  , (9.3)

Рис. 9.3. Графики для определения потерь времени на пересечениях в одном уровне (цифры на кривых - потери времени в авт-ч):

а - необорудованные пересечения; б - частично и полностью канализированные пересечения

где N - интенсивность движения для различных направлений (индексы у N означают: вт - второстепенная дорога, гл - главная дорога, пп - прямое пересечение, пр -правый поворот, л - левый поворот);

К - коэффициент приведения, определяемый в зависимости от планировочного решения по табл. 9.2.

Длину зоны снижения скоростей движения на главной дороге и среднюю скорость в пределах этой зоны можно определять по номограммам (рис. 9.9, 9.10);

3) подсчитывают единовременные и текущие затраты, входящие в формулу (7.1) или (7,1, а).

При этом для всех вариантов устанавливают одни и те же границы, соответствующие границам варианта с наибольшим протяжением зоны снижения скоростей движения.

Рис. 9.9. Номограмма для определения протяжения зоны снижения скоростей у пересечений:

1 - необорудованные; 2 - частично канализированные; 3 - канализированные

Капиталовложения в подвижной состав, необходимый для осуществления перевозок грузов и пассажиров в t-ом году, следует определять по формуле:

Кat = ,                                               (9.4)

где С - удельные капиталовложения в подвижной состав /см. п. 7.7/;

Nti - среднегодовая суточная интенсивность движения в t-ом году по направлению i на пересечении, авт/сутки;

Vi, Li - соответственно, скорость /в км/ч/ и путь пробега /км/ автомобилей по направлению i на пересечении;

tпрост - потери времени на простои на пересечении /определяют по рис. 9.8/, автомобиле-ч/ч.

Рис. 9.10. Средние скорости движения по главной дороге при различном оборудовании пересечений:

а - необорудованные; б - частично канализированные; в - канализированные

Рис. 9.11. Номограмма для определения себестоимости перевозок на пересечениях автомобильных дорог в одном уровне:

1 - необорудованные пересечения; 2 - частично канализированные; 3 - канализированные

Рис. 9.12. Номограмма для определения потерь от дорожно-транспортных происшествий на пересечениях дорог в одном уровне:

1 - пересечение под углом менее 90°; 2 - примыкание под углом менее 90°; 3 - пересечение под углом 90°; 4 - примыкание под углом 90°; 5 - пересечение под углом более 90°; 6 - примыкание под углом более 90°

Таблица 9.2

Тип пересечения

Коэфф. приведен.

Прямое пересечение

Правый поворот

Левый поворот

с главн. дороги

с втор. дороги

Простое необорудованное с радиусами поворота:

а) меньше 10 м

1,10

1,10

1,00

0,67

б) от 10 до 25 м

1,00

1,00

1,10

0,45

Частично канализированные:

а) островки на второстепенной дороге, съезды с переходными кривыми

1,00

0,85

0,90

0,27

б) то же, переходно-скоростные полосы на главной дороге

1,00

0,85

о,90

0,10

в) то же, разделение встречных потоков на главной дороге

0,90

0,65

0,70

0,10

Канализированные пересечения:

а) островки на второстепенной дороге, съезды с переходными кривыми, переходно-скоростные полосы на главной дороге, левоповоротные островки

0,60

0,65

0,75

0,20

б) то же, переходно-скоростные полосы для левого поворота на главной дороге

0,60

0,60

0,70

0,10

Таблица 9.3

Тип автомобиля

Значение Sпр, коп/авт-ч

Тип автомобиля

Значение Sпр, коп/авт-ч

ГАЗ-51А, ГАЗ-52

60,7

МАЗ-500

48,5

ГАЗ-53

71,5

УАЗ-451Д

43,9

ЗИЛ-130, ЛАЗ-695

120,6

ГАЗ-24 «Волга»

81,7

ЗИЛ-164, КАЗ-600

104,8

Рис. 9.13. Номограмма для определения себестоимости перевозок на участках дорог, проходящих через населенные пункты:

1 - прямолинейные участки дорог вне населенных пунктов; 2 - дорога в населенном пункте, линия застройки в 15 - 20 м от проезжей части, имеются тротуары и полосы местного движения; 3 - то же, застройка в 10 м, имеются тротуары; 4 - то же, застройка в 5 м, имеются тротуары; 5 - застройка в 5 м, тротуары отсутствуют

I - обочины укреплены, имеют краевую разметку и такое же покрытие, как на проезжей части; II - обочины укреплены щебнем, краевые полосы отсутствуют; III - обочины засеяны травой; IV - неукрепленные сухие обочины; V - неукрепленные влажные обочины

Рис. 9.14. Зависимость потерь, вызванных дорожно-транспортными происшествиями, от интенсивности движения по дороге:

1 - прямолинейные участки вне населенных пунктов; 2 - населенные пункты, оборудованные тротуарами и пешеходными переходами; 3 - необорудованные населенные пункты

Величину автотранспортных расходов рекомендуется рассчитывать по формуле:

At = 3,65,                                         (9.5)

где Si - средняя стоимость 1 авт-км пробега автомобилей i-го направления на пересечении определяется в соответствии с п. 7.9 или по номограмме рис. 9.11;

Sпр - расходная ставка по простоям автомобилей с работающим двигателем (табл. 9.3).

При расчете потерь от дорожно-транспортных происшествий по формуле (9.1) расходную ставку по потерям от дорожно-транспортных происшествий на 1975 год можно определять по номограмме рис. 9.12;

4) лучшему варианту пересечения соответствует минимум приведенных затрат, определенных по формуле (7.1) или (7.1а).

Участки дорог в зоне населенных пунктов

9.9. При выборе оптимального проектного решения реконструкции дороги в зоне населенного пункта должны быть рассмотрены варианты как строительства обхода населенного пункта, так и повышения транспортно-эксплуатационных качеств участка дороги и улучшения санитарно-гигиенических условий проживания населения в населенном пункте (см. раздел 3).

Все варианты должны соответствовать требованиям в отношении допустимого уровня транспортного шума (п. 3.17), предельно допустимой концентрации в атмосферном воздухе токсичных компонентов отработавших газов двигателей автомобилей (п. 3.18).

9.10. Технико-экономическое обоснование реконструкции автомобильной дороги в зоне населенного пункта должно проводиться по методике, изложенной в п. 7.17.

Все затраты по организации движения в населенном пункте, его благоустройству, защите от транспортного шума необходимо включать в величину единовременных затрат в формуле (7.1) или (7.1а).

9.11. При определении автотранспортных расходов и потерь от дорожно-транспортных происшествий (см. п. 9.2) допускается использование номограмм (рис. 9.13, 9.14).

РАЗДЕЛ 10. РАСЧЕТ УРОВНЯ ТРАНСПОРТНОГО ШУМА

10.1. Основанием для определения уровней звука транспортного шума в районах, прилегающих к автомобильным дорогам, являются расчетные уровни звука на расстоянии 7,5 м от оси ближайшей полосы движения на высоте 1,2 м от уровня проезжей части.

Расчетный уровень звука

Расчетный уровень звука на автомобильных дорогах определяется по формуле:

Lp = Lтрп + DLтяж + DLск + DLук + DLпок + DLрп + DLк + DLзас,                     (10.1)

где Lтрп - расчетный эквивалентный уровень звука от транспортного потока /дБА/ на расстоянии 7,5 м от оси ближайшей полосы автомобильной дороги, при отсутствии разделительной полосы, на высоте 1,2 м над уровнем проезжей части прямолинейного, горизонтального участка дороги с асфальтобетонным покрытием, при отсутствии в радиусе 50 м застройки и других отражающих звук препятствий, при распространении над грунтом. Величину Lтрп определяют на табл. 10.1, составленной для следующих средних условий движения: скорость движения транспортного потока соответствует заданной интенсивности движения, в составе транспортного потока 40 % грузовых автомобилей в том числе 5 % с дизельными двигателями;

DLтяж - поправка, учитывающая отклонение количества грузовых автомобилей и средств общественного транспорта в составе транспортного потока от средних условий, дБА;

DLск - поправка на отклонение средней скорости движения, дБА;

DLук - поправка на величину продольного уклона дороги, дБА;

DLпок - поправка, учитывающая тип покрытия проезжей части дороги, дБА;

DLрп - поправка, учитывающая наличие разделительной полосы на проезжей части, дБА;

DLк - поправка, учитывающая снижение расчетного уровня поверхностным покровом, дБА;

DLзас - поправка, учитывающая влияние прилегающей к автомобильной дороге застройки, дБА.

10.3. Величины поправок к Lтрп необходимо принимать в соответствии с табл. 10.2, 10.3 и 10.4, п.п. 10.7, 10.8.

10.4. Для автомобильных дорог, находящихся в эксплуатации, расчетную интенсивность движения определяют на основании данных учетов движения, проводимого дорожно-эксплуатационной службой. В качестве расчетной принимают максимальную часовую интенсивность движения на 5 год после осуществления проекта защиты прилегающей застройки от транспортного шума, определяемую по формуле:

n = 0,076 N,                                                               (10.2)

где n - расчетная часовая интенсивность движения, авт/ч;

N - среднегодовая суточная интенсивность движения, в двух направлениях, авт/сут.

10.5. Для проектируемых дорог расчетную грузовую интенсивность движения принимают в соответствии с технико-экономическим обоснованием по формуле 10.2 на 20 год, считая начальным год завершения разработки проекта автомобильной дороги. Поэтапное осуществление мероприятий по снижению шума на автомобильных дорогах следует предусматривать, если в период эксплуатации увеличение у уровня звука Lр составит более 3 дБА.

10.6. Среднюю скорость движения на существующих дорогах определяют непосредственными измерениями летом, при благоприятных условиях, на проектируемых - по методике, описанной в «Методических рекомендациях по оценке пропускной способности автомобильных дорог».

Таблица 10.1

Интенсивность движения, авт/ч

Расчетный уровень звука, дБА

Интенсивность движения, авт/ч

Расчетный уровень звука, дБА

50

65

400

73

60

66

500

74

80

67

660

75

100

68

880

76

140

69

1150

77

170

70

1650

78

230

71

2400

79

300

72

3000

80

Примечание к табл. 10.1: Для промежуточных значений интенсивности движения величины расчетных уровней звука интерполируются.

Таблица 10.2

Поправки к расчетному уровню звука, учитывающие режим движения и состав транспортного потока

Характеристика транспортного потока

Параметр величины

Поправка, дБА

Состав грузовых автомобилей и автобусов в потоке с карбюраторными двигателями

Менее 5

-3,0

5 - 20

-2,0

20 - 35

-1,0

35 - 50

0,0

50, 65

+1,0

65 - 85

+2,0

85 - 100

+3,0

Состав грузовых автомобилей и автобусов в потоке с дизельными двигателями, %

Менее 5

0,0

5 - 10

+1,0

10 - 20

+2,0

20 - 35

+3,0

Соотношение между расчетной скоростью движения на горизонтальном участке и на конкретном элементе /см. п. 10.6/

Менее на 20 км/ч

-3,5

Менее на 10 км/ч

-1,5

Более на 10 км/ч

+1,5

Более на 20 км/ч

+2,5

Наличие светофорного регулирования на пересечении в одном уровне

-

+3,0

Пересечение в разных уровнях

Потоки одинаковой интенсивности и состава

+3,0

Потоки различной интенсивности и состава

+2,0

Продольный уклон, %

0

0,0

20

+1,5

40

+2,0

60

+2,5

Таблица 10.3

Поправка к расчетному уровню звука транспортного потока, учитывающая тип покрытия проезжей части

Тип покрытия проезжей части

Состав легковых автомобилей, %

Поправка, дБА

Шероховатая поверхностная обработка

Менее 10

0

10 - 20

+0,5

30 - 55

+1,0

55 - 75

+2,0

75 - 90

+3,0

90 - 100

+4,0

Цементобетон

Менее 15

0,0

15 - 45

+0,5

45 - 65

+1,0

65 - 90

+1,5

90 - 100

+2,0

10.7. При наличии разделительной полосы на проезжей части шириной до 5 м расчетный эквивалентный уровень звука необходимо уменьшать на 0,5 дБА, при ширине более 5 м на 1 дБА.

10.8. При распространении шума над асфальтобетоном значение расчетного эквивалентного уровня звука необходимо увеличить на 1 дБА, при распространении над зеленым газоном уменьшить на 1 дБА, над снегом на 1,5 дБА.

Таблица 10.4

Поправки к расчетному уровню звука транспортного потока, учитывающие характер придорожной застройки

Тип придорожной застройки

Поправка (дБА) при усредненных разрывах между домами на линии застройки

Более 30

130 - 20

20 - 10

Менее 10

Двухсторонняя при ширине между красными линиями застройки:

более 50 м

0

0

0

0

50 - 40 м

+1

+1

+2

+2

40 - 30 м

+2

+2

+3

+3

30 - 20 м

+3

+3

+4

+5

20 - 10 м

+4

+5

+5

+6

Односторонняя, при расстоянии между линией застройки и краем проезжей части:

более 40 м

0

0

0

0

40 - 25 м

0

0

+1

+1

25 - 12 м

+1

+1

+2

+2

12 - 6 м

+1

+2

28

+3

Распространение транспортного шума

10.9. Для расчета шумового режима в районах, прилегающих к автомобильным дорогам, необходимо учитывать закономерности снижения шума при его распространении от источников до застройки.

10.10. Для дорог, находящихся в эксплуатации, наиболее целесообразно получать данные о распространениях шума экспериментально, путем натурных измерений на основании ГОСТ 20444-75 с привлечением сотрудников лабораторий акустики Санитарно-эпидемиологических станций. При невозможности проведения измерений в часы «пик» к измерениям уровням звука необходимо вносить поправки в соответствии с п. 10.2.

10.11. Общая схема расчета ожидаемого уровня звука в жилой застройке от проектируемой автомобильной дороги выражается формулой:

L = Lp - DLрас - DLзел - DLбар,                                          (10.3)

где Lp - расчетный уровень звука на автомобильной дороге на расстоянии 7,5 м от оси ближайшей полосы движения на высоте 1,2 м над уровнем проезжей части, формула 10.1, дБА;

DLрас - снижение уровня звука транспортного шума при увеличении расстояния от автомобильной дороги до застройки, дБА;

DLзел - снижение уровня звука, обусловленное наличием зеленых насаждений на пути распространения транспортного шума, дБА;

DLбар - снижение уровня звука шумозащитными сооружениями, дБА.

10.12. Снижение уровня звука при увеличении расстояния от автомобильной дороги до застройки; происходит за счет рассеивания звуковой энергии в атмосфере и поглощения ее поверхностным покровом. Это снижение для равнинной местности определяется по формуле:

DLрас = DLатм К,                                                             (10.4)

где К - коэффициент, учитывающий поглощение звука поверхностным покровом, определенный из табл. 10.5;

DLатм - снижение уровня звука в атмосфере, дБА.

Таблица 10.5

Характер поверхностного покрова

Коэффициент, учитывающий снижение шума поверхностным покровом, К

Асфальтобетон

0,90

Вспаханный газон

1,10

Вспаханный грунт

1,00

Снег

1,25

10.13. При высоте расчетной точки свыше 10 м над поверхностью земли, коэффициент К в формуле (10.4) не учитывается и формула принимает вид:

DLрас = DLатм.                                                         (10.5)

При изменении условий распространения транспортного шума принимается наименьшее значение коэффициента К /табл. 10.5/.

10.14. Снижение эквивалентного уровня звука в атмосфере определяется следующим выражением:

DLатм = 20lg, дБА,                                                      (10.6)

где ro - расстояние от расчетной точки /7,5 м от оси ближайшей полосы движения/ до эквивалентной полосы движения, которая может рассматриваться как полоса, несущая всю интенсивность движения. Расстояние определяют как среднеарифметическое расстояние до осей полос движения м;

r - расстояние от оси эквивалентной полосы движения до точки расчёта транспортного шума, м.

10.15. В случае распространения шума от транспортного потока над грунтом, на каждое удвоение расстояния снижение уровня звука составит 3 дБА.

Снижение уровня звука при увеличении расстояния можно определить по табл. 10.6. В таблице приведены данные по снижению уровня звука для поверхностного покрова при К = 1,0.

Таблиц 10.6

Расстояние до оси первой полосы движения, м

Снижение уровня звука /в дБА/ с увеличением расстояния от автомобильной дороги

Количество полос проезжей части

Две

Четыре при разделительной полосе шириной:

Шесть при разделительной полосе шириной

5 м

12 м

5 м

12 м

25

4,6

3,6

3,4

3,2

3,0

50

7,5

6,1

5,7

5,5

5,2

75

9,2

7,7

7,2

7,1

6,7

100

10,4

8,8

8,4

8,1

7,7

150

12,2

10,5

10,0

9,7

9,3

250

14,4

12,2

11,6

11,4

11,0

300

15,2

13,4

12,8

12,6

12,1

400

16,4

14,6

14,0

13,8

13,3

500

17,4

15,6

15,0

14,7

14,3

625

18,3

16,5

15,9

15,7

15,2

750

19,1

17,3

16,7

16,5

16,0

10.16. Снижение уровней звука зелеными насаждениями связано с отражением и поглощением звуковой энергии и зависит от количества полос зеленых насаждений между автомобильной дорогой и застройкой, плотности насаждений и густоты кроны деревьев и кустарников, характера насаждений, породы деревьев.

10.17. Снижение уровня звука зелеными насаждениями определяют по формуле:

DLзал = 1,5z + b, дБА,                                            (10.7)

где z - количество полос зеленых насаждений;

b - удельное снижение уровня звука в зеленых насаждениях, дБА/пм;

Bm - ширина полосы зеленых насаждений (рис. 10.1), м.

10.18. Удельное снижение уровня звука зелеными насаждениями в зависимости от пород деревьев и типа посадки определяют по таблице (10.7).

Таблица 10.7

Удельное снижение уровня звука зелеными насаждениями

Порода деревьев и тип посадки

b, дБА/1 пм

Кроны сосен

0,14

Молодой сосновый лес

0,12

Кроны пихтовых деревьев

0,16

Густая лиственная посадка

0,18

Плотная живая изгородь

0,26

10.19. Существенное влияние на снижение транспортного шума оказывают препятствия в виде шумозащитных барьеров, земляных кавальеров, откосов выемок, зданий, расположенных между дорогой и жилой застройкой. Снижение шума за такими препятствиями происходит в результате образования так называемой звуковой тени (рис. 10.2). Однако, полного снижения шума в зоне звуковой тени не происходит из-за частичного огибания звуком препятствия, которое объясняется явлением дифракции (рис. 10.3).

Рис. 10.1. Расчетная схема к определению эффективности зеленых насаждений

Рис. 10.2. Образование звуковой тени:

а - за шумоотражающим барьером; б - за шумопоглощающим барьером

Рис. 10.3. Распространение шума от транспорта при интенсивности движения 3000 авт/ч:

а - без шумозащитного барьера; б - с шумозащитным барьером высотой 4 м

Рис. 10.4. Дополнительное снижение эквивалентного уровня звука шумозащитным препятствием:

1 - источник шума; 2 - расчетная точка, 3 - шумозащитное препятствие

Рис. 10.5. Определение эффективной высоты шумозащитного препятствия:

а - шумозащитный барьер; б - откос выемки; в - грунтовый вал; 1 - источник шума; 2 - расчетная точка

Рис. 10.6. Расположение источника шума:

а - на двухполосной проезжей части; б - на проезжей части с разделительной полосой; 1 - источник шума; 2 - расчетная точка

Рис. 10.7. График для определения снижения уровня звука препятствием ограниченной длины

Рис. 10.8. Схемы для назначения длины отгона противошумового препятствия

Рис. 10.9. Применение прозрачного шаблона для определения снижения уровня звука за шумозащитным барьером при расстоянии от источника звука 8 м. Цифры обозначают относительное снижение уровня звука в дБА

10.20. Снижение уровня звука определяют по графику на рис. 10.4. Расчет производится в следующей очередности:

а) вычерчивают в произвольном масштабе принципиальную схему расположения источника шума, шумозащитного сооружения и расчетной точки в соответствии со схемами на рис. 10.5. Источник шума изображают условно точкой, расположенной на оси проезжей части или на оси наиболее удаленной от расчетной точки проезжей части на автомобильных магистралях с разделительной полосой (рис. 10.6), на высоте 0,7 м от уровня проезжей части;

б) графически определяется эффективная высота сооружения в метрах, равная длине перпендикуляра из вершины шумозащитного сооружения на линию, соединяющую источник шума с расчетной точкой;

Таблица 10.8

Снижение уровня звука наружными ограждениями с оконными проемами

Тип заполнения оконного проема

Конструкция окна

Снижение уровня звука, дБА

Толщина стекла, мм

Воздушный промежуток между стеклами, см

Притворы без прокладок

Притворы с уплотняющими прокладками

Глухое остекление

Открытое окно

-

-

5

-

-

Открытая форточка

-

-

10

-

-

Одинарный переплет

1,5 - 2

-

20

20

22

4 - 5

-

21

23

26

6 - 8

-

24

27

29

Спаренный переплет

1,5 - 2

3 - 5

21

22

24

4 - 5

3 - 5

23

25

27

6 - 8

3 - 5

25

28

30

10 - 12

31

36

38

1,5 - 2

20 - 25

34

39

41

10 - 12

35

40

48

Двойной переплет

4 - 5

20 - 25

38

44

46

10 - 12

37

42

45

6 - 8

20 - 25

40

46

46

в) графически определяется угол a между продолжением линии, соединяющей источник шума с вершиной сооружения, и линией, соединяющей вершину сооружения с расчетной точкой;

г) определяется отношение ;

д) в зависимости от величины отношения  и угла a по графику на рис. 10.4 определяется максимальное снижение уровня звука в расчетной точке.

10.21. Для определения снижения уровня звука шумозащитными сооружениями могут быть использованы прозрачные шаблоны с линиями одинаковых уровней звука (рис. 10.9).

10.22. При протяженном линейном источнике, таком как автомобильная дорога, барьер должен быть очень длинным, чтобы достичь максимального снижения шума. Действие барьера ограниченной длины, когда некоторая часть дороги остается видимой из точки, для которой ведется расчет шума, значительно теряет свою эффективность. Шумозащитную эффективность короткого барьера определяют по графику, приведенному на рис. 10.7 в соответствии со схемой на рис. 10.8. По графику, исходя из максимального снижения уровня звука определенного в п. 10.20 и расстояния от автомобильной дороги до застройки, оценивают минимальную длину шумозащитного сооружения.

10.23. Эффективная длина шумозащитного сооружения может быть несколько сокращена, если концы его несколько загнуть в плане, в пределах полосы отвода, в сторону источника излучении шума (рис. 10.8).

10.24. При необходимости расчета уровней звука внутри жилой застройки следует учитывать влияние звукоизоляции ограждающих конструкций. Величины снижения уровня звука заполнениями оконных проемов приведены в табл. 10.8. При определении ожидаемых уровней звука в помещениях, эти величины следует вычитать из уровней звука L, рассчитанных по формуле (10.3) в расчетных точках, расположенных в 2 м от стен соответствующих зданий.

РАЗДЕЛ 11. РАСЧЕТ КОНЦЕНТРАЦИИ ВРЕДНЫХ КОМПОНЕНТОВ ОБРАБОТАВШИХ ГАЗОВ АВТОМОБИЛЕЙ В АТМОСФЕРНОМ ВОЗДУХЕ

11.1. Основанием для определения уровня загазованности воздуха в районах, прилегающих к автомобильным дорогам, являются расчетные уровни концентрации окиси углерода, наиболее опасного и стойкого токсичного компонента, на высоте 1,5 м над краем проезжей части.

Расчетный уровень концентрации окиси углерода определяется по формуле:

СОо = (7,38 + 0,026 N) К1×К2×К3,                                   (11.1)

где СОо - расчетная концентрация окиси углерода на высоте 1,5 м над краем проезжей части прямолинейного в плане горизонтального участка дороги, кг/м3;

N - интенсивность движения автомобилей и автобусов с карбюраторными двигателями, в двух направлениях, авт/ч;

К1 - коэффициент, учитывающий влияние состава транспортного потока и скоростей движения автомобилей, (см. табл. 11.1);

К2 - коэффициент, учитывающий величину продольного уклона (см. табл. 11.2);

К3 - коэффициент, учитывающий снижение токсичности двигателей за счет совершенствования их конструкции и улучшения эксплуатации (см. табл. 11.3).

11.2. Приведенная интенсивность легковых автомобилей с учетом их объема их двигателя определяется по формуле:

Nп = Nл×К4,                                                              (11.2)

где Nп - приведенная интенсивность движения легковых автомобилей, авт/ч;

Nл - интенсивность движения легковых автомобилей, авт/ч;

К4 - коэффициент, учитывающий изменение токсичности легковых автомобилей в зависимости от доли средних малолитражных автомобилей.

К малолитражным автомобилям относятся: «Жигули», «Запорожец», «Москвич», т.е. автомобили с объемом двигателя до 1900 см3. Значения коэффициента К4 приведены в табл. 11.4.

Таблица 11.1

Доля грузовых автомобилей и автобусов с карбюраторными двигателями в общем потоке, %

Значение коэффициента К1 при скорости транспортного потока, км/ч

20

30

40

50

60

70

80

80

1,17

1,11

1,05

0,90

1,02

1,11

1,21

70

1,14

1,08

1,00

0,87

0,95

1,04

1,12

60

1,12

1,04

0,95

0,83

0,89

0,93

1,03

50

1,11

1,01

0,91

0,80

0,84

0,90

0,95

40

1,09

0,97

0,86

0,76

0,77

0,78

0,85

30

1,08

0,95

0,82

0,73

0,70

0,66

0,75

20

1,05

0,91

0,77

0,69

0,62

0,57

0,67

10

1,02

0,87

0,72

0,65

0,54

0,46

0,55

Таблица 11.2

Величина продольного уклона, ‰

Значение коэффициента К2

Менее 10

1,00

10 - 30

1,02

30 - 50

1,04

50 - 70

1,06

Таблица 11.3

Расчетный год

Значение коэффициента К3

1980

0,33

1990

0,17

2000

0,11

Таблица 11.4

Доля малолитражных автомобилей от общего количества легковых автомобилей, %

Значение коэффициента К4

Менее 10

1,1

10 - 30

1,0

30 - 50

0,9

50 - 70

0,8

70 - 100

0,7

11.3. Расчетный уровень концентрации СО, определенный по формуле (11.1), соответствует наиболее неблагоприятным погодно-климатическим условиям (низкая температура, высокая влажность, отсутствие ветра и температурная инверсия).

11.4. Расчет ожидаемого уровня загазованности в точке, удаленной от автомобильной дороги более 30 м, производится по формуле:

СОх = 0,5×СО - 0,1 X,                                                       (11.3)

где СОх - расчетная концентрация окиси углерода на высоте 1,5 м в точке, удаленной от автомобильной дороги на расстояние X, мг/м3;

СО - расчетная концентрация окиси углерода на высоте 1,5 м над краем проезжей части, определяемая по формуле (11.1), мг/м3;

X - удаление точки от автомобильной дороги, м.

РАЗДЕЛ 12. ОЦЕНКА БЕЗОПАСНОСТИ ДВИЖЕНИЯ В НАСЕЛЕННЫХ ПУНКТАХ ГОРОДСКОГО ТИПА

12.1. Степень опасности участков городских улиц характеризуют итоговым коэффициентом аварийности, выражающем отношение количества дорожно-транспортных происшествий на участке улицы с определенными дорожными условиями к количеству дорожно-транспортных происшествий на эталонном, горизонтальном прямом участке магистральной городской улицы с двумя полосами движения в каждом направлении, с шириной проезжей части 19 метров, шероховатым покрытием, протяженностью 150 метров и освещением 8 люкс.

Эталоны пересечения - пересечение кольцевого типа с радиусом островка 50 метров, и примыкания - примыкание имеет вытянутый островок с радиусом закругления 40 метров, с организацией главного направления движения вокруг островков, с видимостью более 50 метров, освещением 5 люкс и без пешеходного движения.

Эта методика является развитием применительно к городским условиям метода коэффициентов аварийности, принятого в дорожных организациях.

12.2. Итоговый коэффициент аварийности определяется как произведение частных коэффициентов:

Китог. = К1×К2×К3 … К16,                                                   (12.1)

где коэффициенты К1×К2×К3 … К16 учитывают влияние условий движения и отдельных элементов плана и профиля;

К1 - интенсивность движения;

К2 - состав транспортного потока;

К3 - ширина проезжей части;

К4 - скорость движения потока;

К5 - количество полос движения;

К6 - количество пешеходов на пешеходном переходе;

К7 - суммарная интенсивность движения на пересечении, примыкании, авт/сутки;

К8 - суммарная интенсивность пешеходного движения на переходах (внеуличные переходы не учитываются) пересечения, примыкания, пешеходов/сутки;

К9 - направления движения потоков транспорта на пересечении, примыкании;

К10 - видимость пересечения с пересекающей улицы, примыкания с примыкающей улицы;

К11 - остановочные пункты пассажирского транспорта;

К12 - места расположения пешеходных переходов;

К13 - расположение тротуаров относительно проезжей части;

К14 - освещение проезжей части дороги и тротуаров;

К15 - продольный уклон, в ‰;

К16 - радиус кривых в плане, в метрах.

Значения частных коэффициентов аварийности приведены в табл. 12.1.

Таблица 12.1

Интенсивность движения, авт/сутки

10000

18500

25000

30000

35000

К1

0,74

1,00

1,35

1,69

2,18

 

Количество легкового транспорта в потоке, в %

100

75

60

40

20

К2

0,83

1,00

1,21

1,57

2,05

 

Ширина проезжей части, м

8

10

12

16

21,5

К3

2,94

2,46

2,09

1,53

1,00

 

Безопасная скорость движения потока*, км/час

30

40

49

57

60

К4

1,33

1,18

1,00

0,93

0,96

* Влияние скорости движения учитывается только на участках повышенной аварийности: пересечениях и примыканиях, в зонах остановочных пунктов, на участках кривых малых радиусов в плане и в местах скопления пешеходов, а также в зонах наземных пешеходных переходов. В таблице обозначена скорость 85 %-ной обеспеченности, как максимально допустимая на рассматриваемом участке городской улицы (дороги).

Количество полос движения

1

2

3

4

Интенсивность движения до 16000 авт/сутки:

К5 /двустороннее движение/

-

1,51

1,12

0,82

К¢5 /одностороннее движение/

0,65

1,15

1,53

-

Интенсивность движения более 15000 авт/сутки:

К5 /двустороннее движение/

-

1,95

1,47

1,06

К¢5 /одностороннее движение/

0,98

1,50

1,86

-

 

Интенсивность пешеходного движения, пешеход/сутки

Переходы расположены вне зон пересечений и примыканий

500

2250

4500

10000

15000

К6

0,70

1,00

1,35

2,22

2,99

 

Суммарная интенсивность движения на пересечении, примыкании, авт/сутки

10000

20000

30000

40000

50000

1

2

3

4

5

6

Для пересечения:

К7

1,86

2,22

2,71

3,37

4,18

Для пересечения со светофорным регулированием движения:

К¢7

1,29

1,65

2,05

2,52

3,11

Для примыкания со светофорным регулированием движения

К²7

1,16

1,46

1,87

2,36

-

 

Суммарная интенсивность пешеходного движения на наземных переходах, пеш/сутки

5000

15000

25000

35000

45000

К8 - для пересечения

1,17

1,84

2,47

3,19

4,09

Для пересечения со светофорным регулированием движения

К¢8

0,91

1,30

1,75

2,31

3,05

К²8 - для примыкания

1,04

1,56

2,16

2,80

-

Для примыкания со светофорным регулированием движения

К¢²8

0,82

1,04

1,80

1,77

-

 

Для пересечения

Рис. 1, а

Рис. 1, б

Рис. 1, в

Рис. 1, г

Рис. 1, д

К9

0,59

1,06

1,58

2,07

2,56

Для примыкания

Рис. 2, а

Рис. 2, б

Рис. 2, в

-

-

К¢9

0,47

1,08

1,72

-

-

 

Видимость пересечения с пересекающей улицы, в м

20 и менее

30

40

50

60 и более

К10

3,17

2,27

1,66

1,18

0,97

Видимость примыкания с примыкающей улицы, в м

20 и менее

30

40

50

60 и более

К¢10

2,68

1,98

1,87

1,09

0,81

 

Остановочный пункт оборудован в «кармане»

Количество полос движения на приезжей части

1

2

3

4

К11 /двустороннее движение/

-

1,56

1,12

0,78

К¢11 /одностороннее движение/

1,80

1,64

1,68

-

Остановочный пункт расположен у бордюрного камня или кромки дороги:

"

К"11 /двустороннее движение/

-

2,16

1,52

1,04

К¢²11 /одностороннее движение/

1,94

2,24

2,30

-

 

Пешеходные переходы расположены:

Количество полос движения на проезжей части

1

2

3

4

В местах скопления пешеходов от 1000 и более в час

К12 /двустороннее движение/

-

3,84

3,16

1,60

К¢12 /одностороннее движение/

3,49

3,62

4,18

-

В зонах остановочных пунктов

К"12 /двустороннее движение/

-

2,89

2,25

1,19

К¢"12 /одностороннее движение/

2,57

2,74

3,21

-

На спусках с уклоном до 30

КIV12 /двустороннее движение/

-

2,05

1,64

1,05

КV12 /одностороннее движение/

2,05

2,14

2,44

-

На горизонтальных участках

КVI12 /двустороннее движение/

-

1,76

1,40

0,95

КVII12 /одностороннее движение/

1,80

1,86

1,95

-

 

Тротуары расположены:

Непосредственно у проезжей части

В 5-ти метрах от дороги

В 10 метрах от дороги

В 15 метрах от дороги

К13

2,35

1,45

1,05

0,81

Для участков улиц со скоплением пешеходов

К¢13

3,20

1,67

1,23

0,94

 

Особенности освещения тротуаров:

Освещенность, лк

0

2 - 3

4 - 5

7 - 8

Тротуары не освещены,

К14

2,19

1,52

1,18

0,87

Тротуары освещены до 5 Люкс,

К¢14

1,30

0,99

0,80

0,68

 

Продольный уклон, в

10

15

20

25

30

35

40

К15

1,00

1,12

1,29

1,50

1,72

1,95

2,19

 

Радиус кривой в плане, в м

50 и менее

100

150

200

250 и более

К16

4,26

2,96

2,08

1,37

0,92

12.3. Каждый опасный участок имеет зону влияния, протяжение которой можно принимать по данным табл. 12.2.

Рис. 12.1. Возможные направления движения транспортных средств на пересечениях городских улиц в одном уровне

Рис. 12.2. Возможные направления движения транспортных средств на примыканиях городских улиц в одном уровне


    

Рис. 12.3. Линейный график коэффициентов относительной аварийности (ширина проезжей части 12 м)


Таблица 12.2

Протяжение зон влияния опасных участков

Участки улиц с повышенной аварийностью

Зона влияния

1. Остановочные пункты пассажирского транспорта

а) двухполосные улицы:

односторонне движение

40 метров до и 20 метров за остановочным пунктом

двухсторонне движение

50 м до и 30 м за остановочным пунктом

б) трехполосные улицы:

двухсторонне движение

50 м до и 30 м за остановочным пунктом

в) четырехполосные улицы

двухсторонне движение

30 м до 20 м за остановочным пунктом

2. Места скопления пешеходов вблизи от дороги от 1000 и более пеш/час

40 м в каждую сторону от опасного участка

3. Обозначение пешеходные пешеходы:

а) переход вне зон пересечений и примыканий

50 м в каждую сторону от перехода

б) переход в зоне пересечения или примыкания

30 м перед переходом

4. Пересечения и примыкания магистральных улиц

40 м до пересечения, 25м до примыкания

5. Кривые участки в плане:

R = 50 м

50 м в каждую сторону

R = 100 м

25 м             -"-

R = 150 м

10 м             -"-

R = 200 м

Зона влияния равна 0

6. Участки подъемов и спусков до 80

20 м в каждую сторону

ПРИМЕЧАНИЕ: Зона влияния остановочного пункта, расположенного на улице одностороннего движения с количеством полос 3 и более уменьшается соответственно на 50 % до и за остановочным пунктом.

12.4. В результате расчетов итоговых коэффициентов аварийности должен быть построен линейный график коэффициентов аварийности (рис. 12.3).

СОДЕРЖАНИЕ

Введение. 1

Раздел 1. Общие положения. 2

Раздел 2. Методы реконструкции автомобильных дорог в плане и продольном профиле. 6

Раздел 3. Реконструкция участков дорог в населенных пунктах. 22

Раздел 4. Методы гидрометеорологического обоснования и решение дорожного водоотвода. 27

Раздел 5. Мероприятия по защите от транспортного шума. 28

Раздел 6. Обеспечение устойчивости склонов и земляного полотна на оползневых участках. 44

Раздел 7. Технико-экономическое обоснование реконструкции автомобильных дорог. 46

Раздел 8. Расчет потерь народного хозяйства от изъятия земель из сельскохозяйственного производства. 63

Раздел 9. Особенности технико-экономического обоснования элементов автомобильных дорог при их реконструкции. 67

Раздел 10. Расчет уровня транспортного шума. 81

Раздел 11. Расчет концентрации вредных компонентов обработавших газов автомобилей в атмосферном воздухе. 91

Раздел 12. Оценка безопасности движения в населенных пунктах городского типа. 93