УЧЕБНОЕ ПОСОБИЕ
ПО ГЕОДЕЗИЧЕСКОЙ ПРАКТИКЕ
Допущено
Министерством высшего и среднего
специального образования СССР
в качестве учебного пособия для студентов
строительных специальностей вузов

МОСКВА «НЕДРА» 1986
Содержит практические указания по проведению и организации работ в студенческих бригадах, сведения о правилах техники безопасности и охране окружающей среды. Рассмотрены основные геодезические приборы и правила работы с ними. Приведены рекомендации по выполнению топографических съемок, разбивочных работ, вертикальной планировки участков. Наиболее полно изложены вопросы выполнения геодезических работ при возведении зданий и сооружений с использованием новейших приборов.
Для студентов строительных специальностей вузов.
Табл. 46, ил. 62, список лит. - 22 назв.
Авторы: В.Ф. Лукьянов, В.Е. Новак, В.Г. Ладонников, М.И. Киселев, Я.А. Сокольский, В.В, Буш, Н.В. Ангелова
Рецензенты: кафедра инженерной геодезии Московского института инженеров транспорта; Е.М. Самошкин, канд. техн. наук (Московский горный институт)
Учебное пособие по геодезической практике написано в соответствии с «Типовыми программами практик» для строительных специальностей и новой программой курса «Инженерная геодезия», утвержденной Учебно-методическим управлением Минвуза СССР 16 января 1985 г. В этом пособии обобщен опыт проведения учебных практик по инженерной геодезии в строительных вузах, в основном опыт работы кафедры инженерной геодезии Московского инженерно-строительного института им. В.В. Куйбышева.
Изложение материала ведется в форме, наиболее удобной для проведения практики, т.е. по видам работ. Подбор материала осуществлен таким образом, чтобы кафедры различных вузов могли учесть специфику конкретных строительных специальностей.
Книга содержит два раздела: первый посвящен методическим указаниям по решению общеинженерных геодезических задач, второй - методике и способам выполнения геодезических работ при возведении сооружений.
В пособии дано описание отчетной документации и приведены образцы ее оформления, максимально приближенные к производственным. Большое внимание уделено организации работ в студенческой бригаде. Для удобства пользования приведен необходимый справочный материал. Данная книга является дополнением к основному учебнику и практикуму по инженерной геодезии.
Учебное пособие составлено коллективом авторов, в основном членов кафедры инженерной геодезии МИСИ им. В.В. Куйбышева: В.Е. Новаком - предисловие, гл. 1 и общая редакция пособия; М.И. Киселевым - гл. 2; В.Г. Ладонниковым - гл. 3, § 34; Я.А. Сокольским - гл. 4, § 20, 21; В.В. Бушем - § 21, 22, 29, 30; В.Ф. Лукьяновым - гл. 6, 8, § 26, 27, 28; Н.В. Ангеловой - § 35, 36, 37; Н.Н. Борисовым - § 38.
В условиях современного строительного производства инженерно-геодезические работы, обеспечивающие соблюдение геометрии зданий и сооружений, стали составной частью строительно-монтажного производства. Прочное знание основ инженерной геодезии, умение выполнять геодезические построения, необходимые для производства строительно-монтажных работ, и измерения при контроле качества работ стали крайне необходимы инженеру-строителю. Вот почему возросло значение учебной геодезической практики, как завершающего этапа курса инженерной геодезии.
Учебная практика по инженерной геодезии студентов строительных специальностей проводится после окончания первого курса и имеет целью закрепить и углубить теоретические знания, полученные студентами.
Общими задачами практики являются: приобретение студентами навыков в работе с геодезическими приборами; овладение техникой геодезических измерений и построений; ознакомление студентов с работой новой геодезической техники в производственных условиях; овладение навыками организации работ коллектива; воспитание у студентов сознательного отношения к порученному делу, инициативности и самостоятельности; развитие интереса к научным исследованиям.
Конкретные задачи при выполнении различных геодезических работ устанавливаются дифференцированно в зависимости от специализации студентов. Перечень и ориентировочные объемы по видам работ приводятся в рабочих программах практики,
Перед началом учебной практики студент знакомится со всем комплексом предстоящих инженерно-геодезических работ. Приступая к их выполнению, он должен изучить правила по технике безопасности, исследовать приборы, уяснить методику выполнения задания и предъявляемые требования к качеству оформления расчетных и графических материалов.
Учебная практика проводится на специальном полигоне с четко выраженным рельефом и небольшими застроенными участками. На полигоне имеется планово-высотная сеть, пункты которой закреплены постоянными знаками, имеют плановые координаты и отметки высот. На полигоне должны быть полевой компаратор, макеты зданий и сооружений для выполнения инженерно-геодезических работ и все необходимые службы, обеспечивающие нормальные рабочие и бытовые условия.
Сроки и содержание учебной практики определяются утвержденными учебными планами и рабочими программами для каждой специальности вуза. Примерные нормы времени и объемы работ на одного члена бригады приводятся при описании отдельных видов работ.
Учебно-методическое руководство практикой осуществляет кафедра инженерной геодезии вуза в лице заведующего кафедрой. Для непосредственного руководства из числа преподавателей кафедры приказом по институту назначается заведующий практикой, а решением кафедры - помощник заведующего практикой.
Заведующий практикой распределяет студентов по бригадам, по согласованию с деканами назначает бригадиров, определяет участки работ, осуществляет контроль за выполнением работ и соблюдением правил внутреннего распорядка, техники безопасности и охраны окружающей среды.
Численный состав студенческой бригады зависит от оборудования полигона, оснащенности кафедры приборами, программы практики по специальности. По решению кафедры бригада может быть назначена из 5 - 6 студентов.
Состав бригады не меняется в течение всего периода практики. Запрещается включение в бригаду студентов для прохождения отдельных видов работ. Обязательным условием является выполнение каждым студентом всех видов работ.
Таблица 1 Распределение времени по видам работ
|
Единица измерения |
Объем |
Число рабочих дней |
|
|
Изучение техники безопасности и правил поведения на практике, проверка знаний студентами правил техники безопасности |
- |
- |
0,5 |
|
Получение приборов, выполнение поверок и упражнений по измерению углов, расстояний и превышений |
- |
- |
1,5 |
|
Решение типовых инженерно-геодезических задач |
Число задач |
4 |
2,0 |
|
Топографическая съемка |
- |
- |
6,0 |
|
В том числе: |
|||
|
а) создание планового обоснования (теодолитный ход) |
Точка |
5 |
- |
|
б) создание высотного обоснования |
Точка |
5 |
- |
|
в) горизонтальная и тахеометрическая съемка масштаба 1:500 |
га |
2,5 |
- |
|
Нивелирование поверхности по квадратам со сторонами 10´10 м |
Число квадратов |
45 |
2,0 |
|
Геодезические работы при изыскании трассы автодороги |
км |
1,6 |
4,0 |
|
Угол поворота |
4 |
- |
|
|
Поперечник |
4 |
- |
|
|
Разбивка основных осей здания с точек планового обоснования |
Угол здания |
5 |
2,5 |
|
Детальная разбивка осей здания |
Ось |
5 |
0,5 |
|
Выверка и исполнительная съемка колонн здания |
Колонна |
5 |
2,0 |
|
Проецирование точек с исходного на монтажные горизонты прибором PZL |
Точка |
2 |
1,0 |
|
Ознакомление с работой лазерного визира ЛВ-5 |
- |
- |
0,5 |
|
Сдача приборов, оформление работ, зачет по практике |
- |
- |
1,5 |
|
Итого 24,0 |
|||
Примечания: 1. Камеральные работы по каждому виду работ выполняются параллельно с полевыми работами.
2. Общий зачет принимается после выполнения всех видов работ, оформления документации, сдачи инструментов и литературы.
Учебно-методическое руководство бригадой осуществляет преподаватель-руководитель студенческой бригадой.
Виды, объем и продолжительность работ на практике устанавливаются в соответствии с учебной программой по специальности и отображаются в рабочей программе практики, утверждаемой на заседании кафедры.
Каждой бригаде отводится участок для выполнения работ и выдается график их проведения. График и объемы работ по каждому из их видов записываются преподавателем в дневник бригады.
Пример распределения времени для бригады из пяти студентов специальности ПГС приведен в табл. 1.
Для выполнения заданий бригаде выдаются из геокамеры необходимый комплект приборов и приспособлений, журналы измерений и бланки для вычислений, а также колышки для закрепления точек на местности. Перечень необходимых приборов, оборудования и учебных пособий приведен в прил. 1.
До получения приборов студенты под руководством преподавателя изучают технику безопасности и правила поведения на практике. Без изучения правил техники безопасности студенты к прохождению практики не допускаются.
Перед выполнением очередного вида работ студенты знакомятся с содержанием работы в целом, изучают по литературе методику ее выполнения, заслушивают объяснения преподавателя, распределяют обязанности и чередование их в процессе работы. При этом в каждом виде работ студент последовательно выполняет обязанности исполнителя, записывающего и рабочего (реечника).
Записи цифр в журналах измерений производят четко, шариковой ручкой или простым карандашом.
Учебно-исследовательская работа студентов (УИРС) проводится на учебной практике с целью углубленного изучения предмета, развития интереса к научной работе, приобретения устойчивых навыков в обращении с приборами и начальных навыков выполнения научных исследований. Разработка тем может проводиться как бригадами в целом, так и отдельными студентами или группами студентов.
УИРС на практике проводится под руководством преподавателя и завершается составлением отчета или докладом на научном семинаре студентов (кружке) в учебном году или в период практики. Исследовательская работа студентов на практике может быть продолжением УИРСа, проводимой в учебном году.
Ниже приведен список тем. Список является примерным - он может быть расширен, изменен и откорректирован в зависимости от профиля института, пожеланий студентов или преподавателей.
Список тем для углубленного изучения предмета и выполнения заданий с элементами исследовательского характера.
1. Исследование точности измерения горизонтальных углов теодолитом Т30.
2. Исследование точности измерения вертикальных углов теодолитом Т30.
3. Исследование влияния наклона горизонтальной оси теодолита на точность проецирования точек по вертикали.
4. Исследование влияния наклона вертикальной оси теодолита на точность проецирования точек по вертикали.
5. Исследование точности юстировки визирной оси трубы теодолита традиционным и линейным способами.
6. Влияние коллимационной погрешности на точность установки строительных конструкций в отвесное положение при одном положении вертикального круга теодолита.
7. Исследование влияния элементарных погрешностей на результаты измерения расстояний стальными рулетками.
8. Измерение расстояний дальномером ДН-8.
9. Измерение расстояний дальномером ДНР-5.
10. Измерение расстояний дальномером Д-2.
11. Измерение расстояний длинномером АД-1.
12. Измерение горизонтальных проложений и превышений тахеометрами с авторедукционным дальномером двойного изображения.
13. Измерение расстояний подвесными мерными приборами.
14. Исследование точности измерения расстояний нитяным дальномером.
15. Исследование точности измерения превышений нивелирами Н-3 или Н-3К.
16. Исследование влияния наклона реек на результаты геометрического нивелирования.
17. Измерения превышений в нивелировании II и III классов.
18. Исследование точности измерения превышений с использованием вертикально подвешенных мерных приборов.
19. Передача отметок высот точек через водные препятствия.
20. Исследования точности определения превышений тригонометрическим методом.
21. Исследование точности создания планового съемочного обоснования по результатам учебной практики.
22. Исследование точности создания высотного съемочного обоснования по материалам практики.
23. Метод параллактической полигонометрии при создании съемочного обоснования.
24. Использование микрокалькуляторов для вычисления координат и отметок высот точек съемочного обоснования.
25. Особенности съемки ситуации в масштабе 1:500 на застроенных территориях.
26. Мензульный метод съемки незастроенных территорий в масштабе 1:1000.
27. Электрооптические тахеометры и их применение для съемки застроенных территорий в крупном масштабе.
28. Автоматизация тахеометрической съемки.
29. Исследование точности съемки ситуации и рельефа по материалам учебной практики.
30. Геодезические расчеты при вертикальной планировке строительных площадок с использованием горизонтальных и наклонных оформляющих плоскостей.
31. Исследование точности определения объёмов земляных работ при вертикальной планировке.
32. Исследование точности разбивки круговых кривых по материалам практики.
33. Разбивка переходных кривых.
34. Способы детальной разбивки круговых кривых и их сравнение.
35. Разбивка вертикальных круговых кривых.
36. Построение проектных отрезков с повышенной точностью.
37. Исследование точности построения рисок с проектными отметками по материалам практики.
38. Построение опорной сети на исходном горизонте многоэтажных зданий.
39. Построение строительных сеток.
40. Детальная разбивка осей уникальных зданий и сооружений.
41. Детальная разбивка осей при возведении надстроек и пристроек к существующим зданиям.
42. Исследование точности разбивки основных осей зданий по материалам практики.
43. Измерение скорости потока и направления течения реки.
44. Промеры глубин и составление профилей водоёма.
45. Вынесение контура водохранилища в натуру.
46. Геодезические расчеты при проектировании трасс водопровода.
47. Геодезические расчеты при проектировании самотечной канализации.
48. Исследование точности бокового нивелирования.
49. Исследование точности исполнительных съемок конструкций по результатам, полученным на геодезической практике.
50. Измерение расстояний светодальномером ЕОК2000.
51. Исследование постоянства положения лазерного луча во времени.
52. Монтаж конструкций зданий и сооружений с пользованием лазерных приборов.
53. Автоматические лазерные системы для выполнения планировочных работ.
54. Исследование точности исполнительной съемки подземных коммуникаций по материалам практики.
55. Исследование точности проецирования точек прибором PZL.
56. Исследование точности измерения превышений гидростатическим методом.
Неверно записанные результаты зачеркивают одной чертой, а правильные вписывают сверху.
Все материалы, подлежащие сдаче, по каждому виду работ предъявляются преподавателю при сдаче зачета, брошюруются и складываются в общую папку с приложением описи и справок о сдаче приборов и литературы.
Приборы, принадлежности и учебная литература выдаются бригадиру под расписку. Материальную ответственность за утерю или поломку геодезических приборов и оборудования несет бригада в целом. Бригадир должен иметь перечень полученного оборудования и учебных пособий.
Порядок выдачи и приемки приборов устанавливает заведующий практикой. Первое их получение производится в присутствии преподавателя.
Все студенты обязаны быть на месте работы в назначенное время. В дождливую погоду студенты являются на практику, как обычно, и занимаются камеральными работами.
Бригадир ежедневно отмечает в дневнике отсутствующих, опоздавших и ушедших с работы ранее установленного срока с указанием причин, а также записывает вопросы, возникающие в процессе работы. Преподаватель ежедневно просматривает дневник, проверяет записи бригадира, дает необходимые разъяснения и указания по ходу работы и подписывает дневник.
Каждый студент должен выполнить все виды работ, предусмотренные программой практики. Для этого бригадир составляет и представляет на утверждение преподавателю график распределения обязанностей в бригаде. Образцы графиков по видам работ приведены в настоящем пособии.
Прием работ и зачет по практике проводятся преподавателем-руководителем в присутствии всей бригады. Студенты, не сдавшие работы, к зачету по практике не допускаются.
На зачете каждый член бригады должен показать знание методов выполнения и организации работ, входящих в программу практики, поверок и юстировки приборов, и проявить навыки обращения с ними.
Бригадир студенческой бригады обязан:
организовать получение и сдачу приборов, оборудования и литературы, следить за их сохранностью;
поддерживать учебную и производственную дисциплину в бригаде;
составлять по видам работ графики распределения обязанностей в бригаде, предоставлять его преподавателю на утверждение и следить за его выполнением;
вести дневник практики;
добиваться качественного выполнения заданий в установленные сроки;
следить за полнотой и аккуратностью ведения журналов, абрисов и другой технической документации.
Член бригады обязан:
бережно обращаться с геодезическими приборами, оборудованием, пособиями и другим государственным имуществом;
строго соблюдать правила внутреннего распорядка, техники безопасности и охраны окружающей средой;
проявлять сознательное отношение к порученному делу.
Техника безопасности неразрывно связана с технологией производства, организацией труда, климатическими, топографическими и другими местными условиями. Все виды топографических и геодезических работ должны выполняться в соответствии с утвержденными в установленном порядке проектами, содержащими раздел по технике безопасности, действующими инструкциями, постановлениями, Правилами по технике безопасности на топографо-геодезических работах и Основами законодательства СССР и союзных республик о труде.
На основании указанных правил организации, занимающиеся геодезическими работами, вносят дополнения к типовым инструкциям, исходя из местных условий и специфики проведения работ.
Применительно к местным условиям и рабочей программе практики кафедры инженерной геодезии разрабатывают и представляют на утверждение ректора института Правила по технике безопасности на учебной геодезической практике.
В Московском инженерно-строительном институте им. В.В. Куйбышева в соответствии с инструкцией Московского геолого-геодезического треста разработаны применительно к условиям практики в Подмосковье следующие правила по технике безопасности и охране окружающей среды.
Основные понятия
Несчастным случаем на производстве называют происшествие, связанное с выполнением работ, в результате которого последовали нарушение здоровья работающего и временная или постоянная потеря им трудоспособности.
Под нарушением состояния здоровья работающего понимают нарушение целостности тканей или функционирования органов: ранения, порезы, уколы, ссадины, царапины, ушибы, вывихи, переломы, растяжения, ожоги (химические и термические), засорения глаз, ослепления резким светом, удушения, сотрясения мозга, шоки, поражения электрическим током (даже без видимых признаков повреждений), отравления и т.п.
К общим причинам несчастных случаев относятся:
а) неправильная организация работы и несоблюдение технических норм и требований;
б) незнание условий поручаемой работы;
в) недисциплинированность работников;
г) незнание или нарушение правил по технике безопасности.
Общими мерами борьбы с несчастными случаями являются:
а) правильная организация труда;
б) устройство предохранительных приспособлений;
в) трудовая дисциплина;
г) обучение работающих безопасным способам ведения работ и строгое выполнение установленных правил по технике безопасности (обучение студентов осуществляется преподавателем-руководителем бригады во время инструктажа по технике безопасности);
д) соблюдение норм трудового законодательства.
Кодекс законов о труде является основой предупреждения несчастных случаев на производстве, так как им регламентируются основные мероприятия по охране труда, профессиональной санитарии и технике безопасности (раздел XIV кодекса);
е) содержание инструментов и оборудования в порядке и исправности;
ж) повседневное воспитание у работающих социалистического отношения к труду и сознания необходимости выполнения установленных правил по технике безопасности;
Инструктаж студентов по технике безопасности завершается проверкой преподавателем знаний каждого студента с заполнением контрольного листка (прил. 2) и сдачей его заведующему практикой в двухдневный срок.
О каждом несчастном случае, в результате которого пострадавший оставляет место работы, сам пострадавший или ближайший свидетель несчастного случая должен немедленно известить преподавателя-руководителя бригады или заведующего практикой.
Пострадавшему немедленно должна быть оказана возможная в данных условиях помощь. В случае необходимости он должен быть направлен в медицинский пункт.
Если несчастный случай произошел в связи с неудовлетворительным состоянием рабочего места, то оно должно быть немедленно осмотрено заведующим практикой или его помощником, а причины, вызвавшие несчастный случай, должны быть устранены.
Общие правила техники безопасности ведения полевых геодезических работ
1. Все лица, занимающиеся геодезическими работами в полевых условиях, обязаны соблюдать правила по технике безопасности.
2. Не допускаются к полевым работам лица, страдающие эпилепсией, головокружениями, болезнями сердца, а также женщины с беременностью пять месяцев и более.
3. Во время работы категорически запрещается курение.
4. Студенты в нетрезвом виде к работе не допускаются и направляются заведующим практикой в распоряжение деканата.
5. Все студенты должны знать правила оказания первой помощи.
6. При несчастном случае с тяжелым исходом старший в бригаде должен принять меры по оказанию первой медицинской помощи пострадавшему и скорейшему направлению его в медпункт или вызвать скорую медицинскую помощь.
7. Каждый, кто заметил опасность или неисправность прибора, инструмента или оборудования, обязан наряду с принятием мер к их устранению немедленно сообщить об этом исполнителю работ.
8. При выполнении работ группой студентов должен быть назначен ответственный за производство работ. Следует четко называть фамилию студента, которому поручается выполнение той или иной операции.
9. Студенческим бригадам запрещается работать в полосе отчуждения железной дороги, на автостраде, шоссе.
10. Если требуется пересечь автодорогу с интенсивным движением теодолитным или нивелирным ходом, необходимо специально выделить одного студента для наблюдения за транспортными средствами, освободив его от других обязанностей. Он должен находиться не далее 5 м от прибора в таком месте, которое позволит ему обнаружить приближающийся транспорт на расстоянии 0,5 км. Предупреждение о приближении транспорта подается заранее условленным сигналом. Реечнику запрещается стоять спиной к приближающемуся транспорту.
11. Во время перерывов в работе запрещается оставлять приборы вблизи дорог всех видов.
12. При переходе с приборами с одного места на другое следует ходить по левой стороне дороги навстречу движению транспорта.
13. При необходимости пересечения проезжей части улицы населенного пункта необходимо предварительно убедиться в полной безопасности перехода, для чего сначала надо посмотреть налево, а дойдя до середины проезда, посмотреть направо.
14. Особую осторожность следует соблюдать при работах вблизи перекрестков улиц или проездов. В этом случае следует выделять для наблюдения двух человек, обратив их внимание на повышенную опасность транспорта, совершающего поворот.
15. При работах на улицах населенных пунктов рейку необходимо переносить в руках в вертикальном положении.
16. Запрещается работать на крутых склонах.
17. При съемках вблизи зданий необходимо предварительно убедиться в том, что в здании закрыты все окна и форточки. При сильном и порывистом ветре работать вблизи зданий запрещается.
18. Студентам запрещается открывать люки колодцев и других подземных коммуникаций.
19. При работах на макетах строительных конструкций запрещается ходить по арматуре, переходить по распоркам, ослаблять растяжки или фаркопы. Все свободные стаканы фундаментов должны быть закрыты крышками.
20. При проецировании точек с исходного на монтажный горизонт запрещается одновременно выполнять работы в двух уровнях. Над приборами на нижнем горизонте должен бить навес со специальной ловушкой для падающих предметов.
21. При демонстрации лазерных и других приборов с повышенной опасностью подготовку, приведение прибора в рабочее положение и включение прибора осуществляют преподаватель и лаборант кафедры, прошедшие специальное обучение и курс техники безопасности.
Требования к приборам и инструментам
1. Все бригады должны снабжаться полным комплектом приборов, инструментов, инвентаря и оборудования, за качеством и сохранностью которых необходимо постоянно следить.
Запрещается пользоваться неисправным оборудованием и инструментами. За соблюдением этого требования обязан следить бригадир.
2. Топоры, молотки и кувалды должны быть плотно насажены на прочные ручки, которые после насадки необходимо расклинивать железными клиньями.
3. Рукоятки молотков и кувалд должны иметь утолщение к свободному концу, быть удобными для работы. Рукоятки не должны иметь заусенцев.
4. Складные рейки должны иметь исправные винты в местах скрепления. При работе во избежание случайного складывания рейки стопор должен быть надежно закреплен.
5. Ящики и футляры для приборов должны иметь прочно прикрепленные ручки или ремни.
6. Во время наблюдений зонт должен быть устойчиво закреплен. При сильном ветре не разрешается оставлять зонт без присмотра.
7. Во избежание пореза рук краями полотна стальной рулетки или мерной ленты разматывать и сматывать их надо двум студентам одновременно.
Правила гигиены при работе в полевых условиях
1. Потным и разгоряченным не рекомендуется пить холодную воду.
2. Необходимо защищать голову и тело от прямого воздействия солнечных лучей.
3. При порезе или повреждении кожного покрова необходимо стараться сохранить рану в чистоте, обработать ее йодом и перевязать бинтом.
4. В случае укуса змеи необходимо немедленно крепко перевязать пораженную часть тела выше укуса примерно на 10 - 15 см, чтобы не дать зараженной крови расходиться по всему телу, и возможно скорее обратиться к врачу.
При укусах собаки или другого животного необходимо срочно обратиться к врачу (на территории полигона должен работать медицинский пункт).
Охрана окружающей среды
1. Запрещается ходить и выполнять работы на газонах, в огородах и посадках различных культур.
2. Запрещается ломать ветки деревьев, рубить кустарник, собирать цветы ландыша, кувшинок и других растений, охраняемых постановлениями Советов депутатов трудящихся.
3. Курение разрешается только в специально отведенных местах, оборудованных всем необходимым для предупреждения пожара.
4. Запрещается засорять водоемы и территорию. Бумага, целлофановые пакеты, бутылки, остатки пищи и т.п. должны быть убраны и сложены в мусорные ящики.
5. После завершения работ все колышки должны быть извлечены из земли и сданы в геокамеру.
6. На территории полигона и вблизи нее категорически запрещается разводить костры, устанавливать палатки, устраивать пикники и т.п.
7. На территории лесного массива все студенты обязаны беспрекословно выполнять указания работников лесничества.
Задача: закрепить знания, подготовить прибор к работе и приобрести навыки в измерении углов в полевых условиях.
Приборы и принадлежности: теодолит, штатив, отвес, 2 вешки, журнал измерения углов и рабочая тетрадь.
Работу с теодолитом после получения комплекта со склада (геокамеры) начинают с общего осмотра и изучения правил обращения с приборами (прил. 3).
Осмотр теодолита производят после установки и закрепления его на штативе. Теодолит закрепляют становым винтом так, чтобы подъемные винты вращались свободно.
При осмотре необходимо убедиться в выполнении следующих требований:
вращение верхней части теодолита должно быть плавным, без задержек;
закрепительные винты должны вращаться без видимых усилий;
вращение наводящих и подъемных видов должно быть плавным и без качания;
оптические детали и уровни не должны иметь видимых повреждений;
изображения предметов и сетки нитей в зрительной трубе должны быть четкими;
изображения в отсчетных устройствах должны быть четкими;
исправительные винты уровней и сетки нитей не должны иметь повреждений резьбы; вращение их должно осуществляться плавно, без усилий.
При осмотре исправительных винтов необходимо ослабить один из них, и только после этого можно вращать противоположный винт.
Изучение устройства теодолита
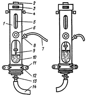
Теодолит Т30. Основание теодолита 1 (рис. 1, а), с которым скреплена подставка 9, одновременно служит дном футляра, что позволяет закрывать прибор, не снимая его со штатива при переходе с точки на точку и при перерывах в работе.
Зрительная труба 5 снабжена оптическим визиром 6 для ориентировочного наведения трубы на наблюдаемый предмет. Зрительную трубу фокусируют вращением кремальеры 7, а сетку нитей устанавливают по глазу вращением окулярного кольца 8.
Для центрирования теодолита используют зрительную трубу, которую устанавливают объективом вниз, и через отверстие 2 визируют на знак закрепления вершины угла.
Микроскоп 3 отсчетного устройства расположен рядом с окуляром. Для освещения оптического устройства используют зеркало 4 для направления лучей (зайчика) в отверстие для подсветки.
В поле зрения микроскопа (рис. 1, б) видны изображения вертикального (сверху с буквой В) и горизонтального (снизу с буквой Г) кругов. Цена делений обоих кругов 10¢. Отсчеты производят по неподвижному индексу с оценкой десятых долей делений на глаз. На рис. 1, б отсчет по вертикальному кругу равен 358°48¢, по горизонтальному - 70°05¢.
Необходимо помнить, что теодолит Т30 не имеет уровня при вертикальном круге, его заменяет уровень при горизонтальном круге. Потому при наведении на предмет и отсчете по вертикальному кругу пузырек уровня горизонтального круга должен находиться в нуль-пункте.
Рис. 1. Теодолит Т30 (а) и поле зрения отсчетного микроскопа (б)
Рис. 2. Поле зрения микроскопа теодолита 2Т30:
а - при положительном угле наклона; б - при отрицательном
Теодолит 2Т30 - модификация теодолита Т30. В нем улучшены некоторые характеристики прибора: увеличение зрительной трубы равно 20´. Цена деления уровня при алидаде горизонтального круга составляет 45", вес прибора уменьшен на 0,2 кг.
В отсчетном устройстве теодолита 2Т30 использован шкаловой микроскоп с ценой деления 5¢. Отсчеты при этом производят до десятых долей деления шкалы, т.е. до 0,5¢. На рис. 2, а отсчет по горизонтальному кругу равен 8° + 0,7×5¢ = 8°3,5¢, а на рис. 2, б - 111°35¢ + 0,5×5¢ = 111°37,5¢.
Шкала вертикального круга (см. рис. 2) имеет два ряда оцифровок: по верхнему ряду со знаком «+», по нижнему - со знаком «-». Оцифровку подписей по верхнему ряду используют тогда, когда шкалу пересекает штрих лимба со знаком «+». Подписи шкалы в этом случае возрастают слева направо. На рис. 2, а отсчет по вертикальному кругу равен 1°35¢ + 0,3×5¢ = 1°36,5¢. Если штрих лимба имеет подпись со знаком «-», то используют нижнюю оцифровку шкалы, где подписи возрастают справа налево. Так, отсчет по вертикальному кругу на рис. 2, б равен -0°40¢ - 0,5×5¢ = -0°42,5¢.
После завершения осмотра и изучения теодолита необходимо сделать заключение о пригодности его к работе.
Пример. При осмотре теодолита Т30 № 20469 установлено следующее.
1. Футляр прибора исправен, замки работают.
2. Ножки, головка штатива и становой винт исправны.
3. Подъемные винты подставки и зажимные винты лимба и алидады надежно закрепляют соответствующие узлы прибора.
4. Наводящие винты обеспечивают плавное вращение лимба, алидады и зрительной трубы.
5. Исправительный винт уровня сорван, остальные работают исправно.
6. Изображения предмета и сетки нитей в поле зрения трубы видны отчетливо.
7. Изображения штрихов и индекса в поле зрения отсчетного устройства видны четко. Зеркало подсветки закреплено слабо и не удерживается в заданном положении.
После замены в геокамере исправительного винта уровня и закрепления оправы зеркала подсветки прибор принимается.
Бригада № 48 (подпись бригадира)
Поверки и юстировки теодолита
К теодолиту предъявляется ряд требований, связанных с взаимным расположением его основных осей.
Основные оси теодолита (рис. 3):
H1 - вертикальная ось (ось вращения алидады горизонтального круга);
НН1 - горизонтальная ось (ось вращения зрительной трубы);
Рис. 3. Основные оси теодолита
UU1 - ось уровня горизонтального круга (касательная к внутренней поверхности ампулы в нуль-пункте);
VV1 - визирная ось (прямая, проходящая через оптический центр объектива и крест нитей сетки).
Основные условия, которые должны быть соблюдены в теодолите при измерении углов: вертикальная ось прибора должна быть отвесна, а визирная плоскость вертикальна. Соблюдение этих условий проверяется при следующих поверках и юстировках теодолита.
1. Ось цилиндрического уровня UU1 должна быть перпендикулярна к вертикальной оси II1 прибора. После предварительного горизонтирования теодолита устанавливают уровень по направлению двух подъемных винтов и вращением их в разные стороны приводят пузырек уровня в нуль-пункт. Далее открепляют закрепительный винт алидады и поворачивают верхнюю часть теодолита на 180°. Если пузырек сместился с нуль-пункта не более чем на одно деление, то условие выполнено.
Если условие нарушено, то юстировку (исправление) производят исправительными винтами уровня. Для этого смещают пузырек уровня к нуль-пункту на половину отклонения.
При юстировке предварительно необходимо определить направление смещения конца пузырька уровня, расположенного у исправительных винтов. Если его надо поднять, то вращением против часовой стрелки (наблюдая сверху) ослабляют верхний исправительный винт, а затем перемещают пузырек нижним исправительным винтом, вращая его в том же направлении, что и верхний. Если конец уровня надо опустить, то вначале вращают по направлению часовой стрелки нижний исправительный винт, а затем - верхний.
После выполнения юстировки поверку повторяют.
2. Визирная ось трубы VV1 должна быть перпендикулярна к горизонтальной оси НН1 теодолита. Угол с отклонения визирной оси трубы от перпендикуляра к горизонтальной оси вращения трубы называют коллимационной погрешностью.
Для выполнения поверки наводят зрительную трубу на удаленную, находящуюся на горизонте ясно видимую точку, например при круге право, и берут отсчет П по лимбу. Затем переводят трубу через зенит, снова визируют на точку при положении круга слева и берут отсчет Л. Коллимационную погрешность с вычисляют по формуле
(1)
Если
, где t -
точность отсчета по теодолиту, то условие считают выполненным. При нарушении
этого условия вычисляют правильный отсчет
(2)
и устанавливают его на горизонтальном круге. Вертикальная нить сетки при этом сместится с изображения-точки. С помощью боковых исправительных винтов передвигают сетку нити до совмещения вертикальной нити с изображением точки.
При измерениях на строительных объектах условие перпендикулярности визирной оси и оси вращения трубы должно соблюдаться с высокой точностью, так как при выверке строительных конструкций не всегда есть возможность выполнять работу при двух положениях вертикального круга. Для достижения повышенной точности поверку и юстировку теодолита осуществляют линейным способом.
В точке В (рис. 4), расположенной на расстоянии не менее 80 м от стены здания, устанавливают теодолит и тщательно приводят вертикальную ось в отвесное положение. При круге лево наводят зрительную трубу на удаленную точку А, расположенную приблизительно на высоте прибора. Переводят трубу через зенит и на стене здания на высоте горизонта прибора отмечают положение центра сетки нитей MLR. Аналогичные действия выполняют при круге право и получают точку MRL. Расстояние между точками MLR и MRL соответствует углу 4с.
Рис. 4. Схема поверки визирной оси теодолита линейным способом
Рис. 5. Схема поверки горизонтальной оси теодолита
Для юстировки от последней точки MRL откладывают 1/4 отрезка MRLMLR и отмечают положение точки М0. Далее снимают предохранительный колпачок и боковыми исправительными винтами наводят вертикальную нить сетки на точку М0.
Для этого вначале надо ослабить один из боковых исправительных винтов и только после этого действовать другим исправительным винтом.
3. Горизонтальная ось НН1 вращения трубы должна быть перпендикулярна к вертикальной оси II1 прибора. Установив теодолит в 30 - 40 м от стены какого-либо здания, тщательно приводят вертикальную ось прибора в отвесное положение. Наводят крест нитей на высоко расположенную точку А стены (рис. 5). При закрепленной алидаде наклоняют трубу примерно до горизонтального положения и по визирной оси отмечают на стене положение точки а1. Аналогичные действия повторяют при другом положении вертикального круга и получают точку а2. Если отрезок а1а2 в поле зрения не выходит из биссектора сетки (двойной нити), то условие считают выполненным. При нарушении условия для юстировки прибор передают в мастерские.
4. Одна из нитей сетки должна быть параллельна вертикальной оси II1 вращения прибора, а другая - перпендикулярна. Наводят крест нитей на хорошо видимую точку местности и медленно поворачивают алидаду вокруг оси ее вращения. Если изображение точки не сходит с горизонтальной нити, то условие выполнено. В противном случае поворачивают сетку нити в оправе до совмещения нити с точкой.
Формулировки поверок, описание последовательности действий и полученные значения (отклонения пузырька уровня, величину коллимационной погрешности и т.п.) записывают в тетрадь поверок. После выполнения поверок тетрадь представляется на просмотр преподавателю и хранится в папке материалов бригады.
Измерения горизонтальных углов
Для измерения горизонтального угла b (рис. 6, а) теодолит устанавливают так, чтобы вертикальная ось прибора была отвесна и проходила через вершину О измеряемого угла. Приведение вертикальной оси в отвесное положение называют горизонтированием, а ее совмещение с вершиной угла - центрированием теодолита.
Эти операции выполняют обычно совместно в такой последовательности.
Штатив над точкой предварительно устанавливают таким образом, чтобы верхняя поверхность его головки была приблизительно горизонтальна, а центр отверстия головки располагался над вершиной угла. К становому винту прикрепляют отвес, длину нити которого подбирают так, чтобы заостренный конец груза располагался чуть выше точки О. Ослабляют становой винт и передвижением подставки теодолита по головке штатива добиваются совмещения заостренного конца груза с точкой О. Горизонтируют теодолит подъемными винтами с помощью цилиндрического уровня горизонтального круга.
Рис. 6. Способы измерения горизонтальных углов:
а - способ приемов; б - способ круговых приемов
При измерении угла на точках А и В выставляют визирные знаки. Если длины сторон угла невелики, то за точкой по створу стороны устанавливают шпильку, которую ставят отвесно, а для лучшего ее опознавания прикрепляют листок цветной бумаги. При больших расстояниях на точку устанавливают вешку.
Перед началом измерений устанавливают трубу для наблюдений. Для этого наводят трубу на светлый фон и вращением окулярной трубочки добиваются четкой видимости сетки нитей (установка трубы по глазу). Далее наводят трубу на предмет и вращением кремальеры добиваются четкого изображения предмета (установка трубы по предмету). Затем устраняют параллакс. Для этого слегка перемещают глаз относительно окуляра. Если изображение предмета смещается относительно сетки нитей, то имеющийся параллакс (смещение) устраняют небольшим вращением кремальеры.
Измерение углов способом приемов
Закончив подготовку прибора и визирных знаков, приступают к измерениям. Измерение может быть выполнено при произвольном положении лимба или при установке его в такое положение, при котором отсчет на точку А будет немного больше нуля. Во втором случае упрощаются вычисления углов.
Угол измеряют при закрепленном лимбе в такой последовательности.
Открепляют алидаду, наводят зрительную трубу на точку А вначале приближенно - при помощи визиров на корпусе трубы, а затем точно - с помощью наводящего винта алидады и берут отсчет а по горизонтальному кругу. Отсчет записывают в журнал измерения горизонтальных углов (табл. 2).
Ослабляют закрепительный винт алидады и вращением ее по часовой стрелке визируют на точку В. Берут отсчет в по горизонтальному кругу и записывают в журнал измерений в строке В (табл. 2).
Значение измеренного угла вычисляют по формуле
b = b - а. (3)
Если отсчет в меньше отсчета а, то к нему прибавляют 360°.
Таблица 2. Журнал измерения горизонтальных углов
Теодолит Т30 № 15954 Наблюдал: Петров И.Н. Вычислял: Иванов А.А.
|
Отсчет по штриховому микроскопу |
||||
|
стояния |
визирования |
П |
Л |
среднее |
|
О |
А |
0°08¢ |
180°07¢ |
90°07,5¢ |
|
В |
153°31¢ |
333°31¢ |
243°31,0¢ |
|
|
Значение угла |
153°23¢ |
153°24¢ |
153°23,5¢ |
|
На этом заканчивается первый полуприем. При измерении угла вторым полуприемом трубу переводят через зенит и производят все действия в указанном выше порядке при другом положении вертикального круга.
Значения углов в полуприемах не должны различаться между собой на величину, большую удвоенной точности отсчетного устройства, т.е. 2t. Если это требование соблюдается, то за окончательное значение угла принимают среднее из двух полуприемов. При большем расхождении угол измеряют заново.
Оформление записей в журнале должно отвечать требованиям, перечисленным в § 2.
При обработке журнала измерения углов теодолитом Т30 для контроля вычисляют средние значения из отсчетов при двух кругах. Угол, вычисленный по этим значениям, в пределах погрешностей округления должен быть равен среднему значению угла из полуприемов. Так, из табл. 2 получим
b = (153°23¢ + 153°24¢)/2 = 153°23,5¢ и b = 243°31¢ - 90°07,5¢ = 153°23,5¢.
Необходимо отметить, что при измерении углов оптическим теодолитом лимб между полуприемами не переставляют.
Измерение углов способом круговых приемов
Если при вершине угла О (рис. 6, б) больше двух направлений, то измерение углов производят, как правило, способом круговых приемов.
Таблица 3. Журнал измерения горизонтальных углов
Теодолит Т30 № 15954 Наблюдал: Николаев Н.Н. Вычислял: Иванов А.А.
|
Отсчет по горизонтальному кругу |
Среднее из отсчетов |
Приведенные направления |
2с = Л - П ± 180° |
|||
|
стояния |
визирования |
П |
Л |
|||
|
О |
А |
0°02¢ |
180°03¢ |
0°02,8¢ 0°02,5¢ |
0°00,0¢ |
+01¢ |
|
В |
68°38¢ |
248°38¢ |
68°38¢ |
68°35,2¢ |
0¢ |
|
|
С |
159°55¢ |
339°56¢ |
159°55,5¢ |
159°52,7¢ |
+01¢ |
|
|
А |
0°03¢ |
180°03¢ |
0°03,0¢ |
0¢ |
||
Угол измеряют следующим образом. Закрепляют лимб и вращением алидады по ходу часовой стрелки наводят зрительную трубу на точки А, В, С, снова А и берут отсчеты а, b, с, а по горизонтальному кругу. Все отсчеты записывают в журнал (табл. 3). Описанные действия составляют первый полуприем.
Перед вторым полуприемом трубу переводят через зенит, последовательно наводят трубу на точки A, С, В и А движением алидады против хода часовой стрелки и берут отсчеты.
При обработке журнала вычисляют средние из отсчетов в полуприемах на каждый пункт. Затем вычисляют среднее аср из первого а и последнего а¢ наведений на начальный пункт (точку А); результат выписывают над первым отсчетом а. Для определения приведенных направлений из каждого среднего отсчета на пункты вычитают значение аср.
Контроль правильности измерений осуществляют по разностям отсчетов на точку при кругах лево и право (колебаниям двойной коллимационной погрешности). Колебания этой величины не должны превышать удвоенной точности отсчетного устройства теодолита, т.е. 2t.
Измерение углов наклона
Угол наклона v - это угол между направлением на данную точку и горизонтальной проекцией этой линии.
Отсчет по вертикальному кругу при горизонтальном положении визирной оси трубы и оси цилиндрического уровня при алидаде вертикального круга называется местом нуля и обозначается МО.
Измерение вертикальных углов теодолитом Т30 производят следующим образом:
зрительную трубу приближенно наводят на точку и подъемными винтами приводят пузырек уровня горизонтального круга в нуль-пункт;
наводящим винтом зрительной трубы наводят среднюю горизонтальную нить сетки на наблюдаемую точку;
производят отсчет по вертикальному кругу (например, П);
аналогичные действия повторяют при другом положении вертикального круга и получают отсчет Л.
Для теодолита Т30 формулы вычислений места нуля и угла наклона имеют вид
Исправление места нуля
Для удобства вычислений углов наклона значение места нуля должно быть близко к нулю.
Для исправления места нуля у теодолита Т30 определяют угол наклона при двух положениях вертикального круга; при этом будем считать, что последнее наведение было сделано при круге лево. Тогда, не смещая трубы с наблюдаемой точки, наводящим винтом устанавливают на вертикальном круге отсчет, равный углу наклона v. При этом горизонтальная нить сетки сместится с наблюдаемой точки. Действуя вертикальными исправительными винтами сетки, совмещают нить с наблюдаемой точкой. Если при определении v последним был отсчет при круге право, то при юстировке устанавливают на вертикальном круге отсчет (180° - v). После исправления определение места нуля повторяют.
По завершении работ с теодолитом бригада представляет тетрадь поверок прибора (одну на бригаду), рабочие тетради каждого студента с результатами измерений горизонтального и вертикального углов и описанием результатов осмотра прибора.
Задача: закрепить знания, подготовить прибор к работе и приобрести навыки в измерении превышений в полевых условиях.
Приборы и принадлежности для выполнения полевых работ: нивелир, штатив, две рейки, деревянные колышки для закрепления точек на местности, молоток, журналы нивелирования и рабочая тетрадь.
Получив прибор в геокамере, производят его общий осмотр. Нивелир осматривают после установки на штатив и закрепления его становым винтам. При осмотре необходимо убедиться в соблюдении следующих требований к нивелиру:
верхняя часть нивелира должна вращаться свободно, без задержек;
при плавном вращении элевационного винта визирная ось должна перемещаться плавно;
изображения предмета, сетки нитей и пузырька уровня в поле зрения трубы должны быть четкими;
исправительные винты не должны иметь повреждений резьбы, а вращение их должно осуществляться плавно и без усилий.
При осмотре реек необходимо обратить внимание на сохранность пяток и работу замка у складных реек. Пятки реек не должны иметь видимых повреждений и изгибов, а замки должны обеспечивать надежное скрепление частей рейки.
Устройство нивелира и реек
Нивелир Н-3. Зрительная труба 5 нивелира (рис. 7, а) с объективом 8 и окуляром 3 имеет коробку 6, в которую заключен цилиндрический уровень. Исправительные винты уровня закреплены в торцевой части коробки 4. Для приближенного наведения зри» тельной трубы на рейку используют мушку 7. Фокусировку зрительной трубы осуществляют вращением кремальеры 9. Для наведения трубы на предмет используют закрепительный 10 и наводящий 11 винты.
Рис. 7. Нивелир Н-3 (а) и его поле зрения (б)
Приведение пузырька цилиндрического уровня в нуль-пункт осуществляют вращением элевационного винта 2. Круглый уровень 12 снабжен тремя исправительными винтами 13. Подставка 1 имеет три подъемных винта 14.
Рис. 8. Нивелир НС-4
В поле зрения зрительной трубы (рис. 7, б) выведено изображение концов пузырька уровня. При нахождении пузырька в нуль-пункте изображение половинок совмещено, как на рисунке.
При определении превышений отсчеты по рейке производят по средней нити. При этом необходимо помнить, что зрительная труба дает обратное изображение предметов и отсчеты в поле зрения трубы возрастают сверху вниз. На рис. 7, б отсчет равен 1145.
Нивелир НВ-1 отличается от Н-3 лишь небольшими конструктивными особенностями, несколько большей ценой деления уровня и большей величиной наименьшего расстояния визирования.
Нивелир с компенсатором НС-4 (рис. 8) обеспечивает автоматическую установку линии визирования в горизонтальное положение в пределах угла компенсации ±15, что достигается предварительной установкой прибора по круглому уровню 7 с помощью подъемных винтов 1. Юстировку круглого уровня осуществляют исправительными винтами 6. Для удобства наблюдений уровень имеет отражатель 5.
Основание зрительной трубы 2 вращается относительно подставки 8 с помощью наводящего винта. Нивелир не имеет закрепительного винта, а приближенное наведение на рейку производят от руки преодолением фрикционного сцепления.
Фокусирование зрительной трубы 3 по предмету осуществляют вращением кремальеры 4.
Современным ГОСТ предусмотрен выпуск нивелира с компенсатором Н-3К, который по внешнему виду и конструкции подобен прототипу НС-4. Для измерения и построения углов нивелир снабжен горизонтальным кругом, отсчет по которому производят с помощью отсчетного микроскопа.
Нивелирные рейки. Наибольшее распространение в строительном производстве нашли двусторонние трехметровые складные шашечные рейки с ценой деления 10 мм. На одной стороне таких реек нанесены чередующиеся черные и белые шашки, а на другой - красные и белые. Первые пять шашек каждого дециметра для удобства отсчета объединены гребенкой в виде буквы «Е».
На черной стороне рейки нуль совпадает с пяткой рейки, а на красной - отсчеты обычно начинаются с величин, близких к 4683 или 4783 мм.
Изучение нивелира завершается описанием его состояния и принципа действия основных частей. Описание составляют, как для теодолита.
Поверки и юстировки нивелира
Главное условие, которое предъявляют к нивелиру, - это горизонтальность визирной оси. Для обеспечения этого требования перед началом работ необходимо выполнить поверки и произвести юстировки нивелира.
Поверки и юстировки уровенных нивелиров
1. Ось круглого уровня должна быть параллельна оси вращения прибора. Тремя подъемными винтами приводят пузырек уровня в нуль-пункт и поворачивают верхнюю часть прибора на 180°. Если пузырек остается в нуль-пункте, то условие выполнено. В противном случае исправительными винтами перемещают пузырек к нуль-пункту на половину отклонения.
После юстировки поверку повторяют.
Рис. 9. Схема поверки нивелира:
а - с уровнем; б - с компенсатором
2. Вертикальная нить сетки должна быть параллельна оси нивелира. В защищенном от ветра месте подвешивают отвес, а в 20 - 25 м от него устанавливают нивелир и с помощью круглого уровня приводят ось вращения нивелира в отвесное положение. Затем совмещают в поле зрения трубы один из концов вертикальной нити со шнуром отвеса. Если другой конец нити отклоняется от шнура меньше, чем на толщину нити, то условие выполнено.
Если же условие нарушено, то, ослабив крепежные винты, пластинку с сеткой нитей поворачивают до совмещения вертикальной нити со шнуром отвеса.
3. Визирная ось зрительной трубы должна быть параллельна оси цилиндрического уровня. Поверку главного условия выполняют двойным нивелированием вперед. С этой целью закрепляют колышками линию АВ (рис. 9, а) длиной 50 - 75 м. Нивелир устанавливают над точкой А и измеряют высоту прибора i1. Вращением элевационного винта совмещают концы пузырька уровня в поле зрения трубы и по рейке в точке В берут отсчет в1. Затем нивелир и рейку меняют местами, измеряют высоту прибора i2 и берут отсчет по рейке в2.
Погрешность х, обусловленную влиянием непараллельности визирной оси и оси уровня, вычисляют по формуле
![]()
Если
, то главное условие считают
выполненным. В противном случае вычисляют правильный отсчет (в2
- х) и наводят на него с помощью элевационного винта среднюю нить
сетки. При этом пузырек уровня сойдет с нуль-пункта. Исправительными винтами
уровня приводят пузырек в нуль-пункт (совмещают изображения концов уровня в
поле зрения трубы). После юстировки поверку повторяют.
Поверки и юстировки нивелиров с компенсаторами
1. Ось круглого уровня должна быть параллельна оси вращения нивелира. Выполняется, как у уровенного нивелира.
2. Вертикальная нить сетки должна быть параллельна оси вращения нивелира. Выполняется, как у уровенного нивелира.
3. Линия визирования должна быть горизонтальна при установке нивелира в пределах угла компенсации. Это главное условие. Для выполнения поверки закрепляют колышками на местности линию АВ (рис. 9, б) длиной 60 - 80 м. По дальномеру точно посредине между колышками устанавливают нивелир, с помощью круглого уровня приводят его ось вращения в отвесное положение и берут отсчеты а1 и b1 по рейкам, установленным на колышках. Располагают нивелир за передней рейкой на наименьшем расстоянии визирования, берут отсчеты а2 и b2 и вычисляют влияние несоблюдения главного условия
х = (а2 - а1) - (b2 - b1). (6)
Если
, то главное условие считают
выполненным. В противном случае вычисляют правильный отсчет (a2 - х) и исправительными винтами сетки наводят среднюю
нить на этот отсчет. После юстировки поверку повторяют.
Поверка реек
1. Ось круглого уровня должна быть параллельна геометрической оси рейки. Нивелир приводят в рабочее положение; в 50 - 60 метрах от него на колышек устанавливают рейку. Зрительную трубу наводят на рейку и совмещают вертикальную нить сетки с ребром рейки. Если пузырек уровня на рейке будет находиться в середине, то условие выполнено. В противном случае исправительными винтами уровня приводят пузырек в нуль-пункт. На этом завершается первая часть поверки. Далее поворачивают рейку на 90° и повторяют поверку.
2. Определение разности нулей реек. Нивелир приводят в рабочее положение и на расстоянии 5 - 8 м от него на костыль или гвоздь со сферической головкой устанавливают рейку. Берут не менее трех пар отсчетов по черной ач и по красной ак сторонам рейки. Для каждой пары вычисляют разность нулей
РО = ак - ач (7)
и из полученных значений вычисляют среднее. Разности нулей определяют для обеих реек.
Как и у теодолита, результаты осмотра нивелира и выполнения поверок записывают в тетрадь поверок приборов.
Задача: закрепить знания, подготовить мерные приборы к работе и приобрести навыки в измерениях.
Приборы и принадлежности для выполнения работ: землемерная лента с линеечкой, имеющей миллиметровые деления и комплектом из 10 шпилек, или стальная рулетка с миллиметровыми делениями, вешки, деревянные колышки для закрепления точек на местности, молоток, микрокалькулятор, журнал измерения длин линий и рабочая тетрадь.
Для непосредственного измерения расстояний используют землемерные ленты ЛЗ (рис. 10, б) длиной 20 или 50 м. Лента представляет собой стальную полосу шириной 15 - 20 мм и толщиной 0,3 - 0,4 мм.
Рис. 10. Землемерные ленты:
а - вид при хранении; б - штриховая; в - комплект шпилек
Рис. 11. Стальные рулетки:
а - РК-50; б - РВ-30; в - пружинный динамометр
Метровые деления на штриховой ленте обозначены пластинками с выбитыми на них порядковыми номерами, полуметровые - заклепками, а дециметровые - отверстиями.
При перевозке и хранении ленту наматывают на кольцо (рис. 10, а) и закрепляют стопорными винтами. Разматывать ленту необходимо осторожно, чтобы она не закручивалась, не образовывались петли и перегибы, иначе полотно ленты легко может надломиться или сломаться. Разматывают ленту два человека: один из них, держа в руке конец ленты, медленно отходит от второго, внимательно следя за правильным положением разворачиваемой ленты, второй осторожно и медленно вращает кольцо, постепенно освобождая ленту. Запрещается снимать с кольца ленту витками, так как это ведет к образованию петель.
Развернутую ленту осторожно укладывают на землю и внимательно осматривают: нет ли надломов, трещин и заусениц, надежно ли прикреплены ручки, заклепки и пластинки с цифрами. Шпильки (рис. 10, в) снимают с кольца, пересчитывают, выпрямляют погнутые и проверяют соответствие толщины шпильки и выреза в ленте. При необходимости с полотна удаляют густую смазку, используемую при хранении ленты зимой.
В строительной практике для измерений линий на местности и на конструкциях сооружений обычно применяют стальные рулетки на крестовине РК-50 (рис. 11, а) длиной 50 м и рулетки РВ-30 (рис. 11, б), длиной 30 м.
Рулетка РК имеет цену деления 1 мм на первом дециметре и 10 мм - на остальной части полотна, а рулетка РВ - цену деления 1 мм по всей своей длине.
Для натяжения рулетки с нормальной силой Р - 10 кг используют пружинный динамометр (рис. 11, в).
Измерение длин линий землемерными лентами производят в такой последовательности.
На концах измеряемой линии устанавливают вешки. Если длина линии превышает 150 м, то в створ дополнительно ставят еще одну вешку. Чтобы не закрывать видимости по створу, вешение производят начиная с дальней точки, т.е. «на себя».
Линию измеряют два человека. Задний рабочий прикладывает начальный штрих к начальной точке и закрепляет ленту шпилькой. Передний держит ленту в вытянутой руке так, чтобы не закрывать створ. По команде заднего рабочего он укладывает ленту в створ, встряхивает ее, натягивает «от руки» с силой Р - 10 кг, в вырез на переднем конце ленты вставляет шпильку, и весь процесс повторяют. Если весь комплект шпилек у переднего рабочего израсходован, то задний передает ему свои 10 шпилек. Передачу шпилек фиксируют в журнале измерения линий.
В конце линии между последней шпилькой и конечной точкой измеряют остаток r. Для этого протягивают ленту вдоль створа и против конечной точки производят отсчет по ленте. При этом число целых метров определяют по надписям на пластинках, число дециметров отсчитывают по отверстиям, а сантиметры между дециметровыми делениями оценивают на глаз. При измерениях линий с повышенной точностью для оценки долей дециметра к ленте прикладывают металлическую линеечку с миллиметровыми делениями.
Длину линии D вычисляют по формуле
D = nl0 + r,
где п - число целых отложений ленты в измеряемой линии; l0 - номинальная длина мерного прибора (20, 30, 50 м и т.п.); r - остаток.
Линию измеряют в прямом Dпр и обратном Dобр направлениях. Разности DD = Dпр - Dобр не должны превышать 1:2000 измеряемого отрезка. Если это условие выполнено, то вычисляют среднее значение D = 0,5(Dпр + Dобр). Если условие нарушено, то измерение длины линии повторяют.
Измерение линий стальными рулетками производят по той же программе. Отличие заключается в том, что концы мерного прибора при его отложении фиксируют гвоздями или проволокой на мягком грунте и прочерчиванием на твердом покрытии дорог, а натяжение осуществляют не «от руки», а пружинным динамометром
После осмотра и изучения мерного прибора приступают к его компарированию.
На полевом компараторе, размещенном на плоском равнинном участке местности с благоприятными условиями измерений, каждая пара студентов бригады измеряет базис в прямом и обратном направлениях. Результаты записывают в ведомость вычисления поправки за компарирование (табл. 4). Температуру за период измерений определяют не менее трех раз. Поправку dlк в длину ленты за компарирование вычисляют по формуле
![]()
где Dэ - эталонная длина компаратора, известная с большой точностью; Dи - фактическая длина компаратора, измеренная компарируемой лентой; k = Dэ/l0 - число уложений мерного прибора в длине компаратора.
Таблица 4. Ведомость вычисления поправки за компарирование
|
Температура, °С |
Результаты измерений, м |
v, см |
v2, см2 |
Вычисления, примечания |
|
|
1 |
12,5 |
120,01 |
-2,5 |
6,25 |
Dэ = 120,068 (выписано из каталога координат) |
|
2 |
13,0 |
,04 |
+0,5 |
0,25 |
|
|
3 |
13,1 |
,02 |
-1,5 |
2,25 |
|
|
4 |
13,0 |
,07 |
+3,5 |
12,25 |
Оценка точности измерений |
|
5 |
13,7 |
,05 |
+1,5 |
2,25 |
|
|
6 |
13,5 |
,02 |
-1,5 |
2,25 |
М = 2,3/ |
|
Среднее |
13,1 |
Dн = 120,035 |
Sv = 0 |
[v2] = 25,5 |
M/Dн = 0,9/12000 ≈ 1/13000 |
Лента Л3 = 20 № 134; dlк = +5,5 мм при t0 = 13 °С.
Одновременно с вычислением поправки за компарирование производят
оценку точности измерений. Для этого после определения среднего значения Dи из измеренных значений вычисляют отклонения v от арифметической середины, среднюю квадратическую погрешность
одного
измерения и
- среднюю квадратическую
погрешность арифметической середины окончательного результата, где п -
число измерений.
При повышенных требованиях к точности измерений длин линий вводят поправки за компарирование dDк, за температуру dDt, за наклон dDv или превышение dDh.
Поправку за компарирование вычисляют по формуле
dDк = dlк(D/l0). (8)
Для определения поправки за температуру измеряют температуру t, а поправку вычисляют по формуле
dDt = a(t - t0)D, (9)
где a = 12×10-6 - коэффициент линейного расширения материала мерного прибора (стали); t0 - температура компарирования прибора.
Для определения поправки за наклон при помощи теодолита определяют угол наклона v местности или превышения h концов линии. Формула для вычисления поправок имеет вид
dDv = -2Dsin2(v/2) (10)
или
dDh = -(h2/2D). (11)
Для упрощения вычислений в прил. 4 приведена таблица, в которой для углов наклона от 1 до 10° указаны поправки за наклон на 20, 30, 40, 50, 60, 70, 80, 90 и 100 м. При использовании таблицы расстояние D разбивают на сотни, десятки, единицы и доли метров, выбирают для них соответствующие табличные значения, а поправку вычисляют как сумму полученных величин.
Таблица 5. Журнал измерения линий
|
Число передач |
Число шпилек |
Остаток, м |
Длина линии, м |
Температура, °С |
Угол наклона или превышение |
Исходные данные, вычисления |
|
|
II - III |
0 |
8 |
5,38 |
165,38 |
+28° |
h = 3,61 м (из журнала нивелирования) |
l0 = 20 м, dlк = +5,5 мм, t0 = +13° Dcp = 165,405 м dDк = +5,5 ´ 165/20 = +4,5 мм = +0,045 м dDt = 12 ´ 10-6(28 - 13)´165 = +0,030 м dDh = 0,982/(2×165) = -0,039 м |
|
0 |
8 |
5,43 |
165,43 |
||||
|
Среднее |
165,405 |
||||||
|
d = 165,441 м |
|||||||
Таблица 6. Программа вычислений горизонтальных проложений
|
Последовательность нажатия клавиш |
Показание индикатора |
Примечание |
|
|
Вычисление Dср |
165,38 + 165,43 = |
330,81 |
- |
|
¸ 2 = |
165,405 |
- |
|
|
F ЗАП |
165,405 |
Число в регистре памяти РП |
|
|
Вычисление dDк = dlкD:l0 |
0,0055 ´ 165 ¸ 20 |
0,046375 |
dlк = 5,5 мм = 0,0055 мм |
|
Вычисление Dср + dlк |
F |
0,045375 |
Операция проведена в РП |
|
Вычисление (t - t0)×12 ´ 10-6×D |
28 - 13 = ´ 12 ¸ 1000000 ´ 165 = |
15 0,0297 |
- |
|
Вычисление D¢ = Dср + dDк + dDt |
F П+ |
0,0297 |
Операция проведена в РП Индикация памяти D¢ = 165,48 |
|
F ИП |
165,48007 |
||
|
Перевод минут угла v = 1°15¢ в десятые доли градуса |
15 ¸ 60 |
0,25 |
15¢ = 0,25° |
|
+ 1 = |
1,25 |
- |
|
|
Вычисление d = cosv×D¢ |
´ 165,48 = |
0,999762 165,40061 |
d¢ = 165,44 |
Процесс вычислений значительно облегчается при использовании микрокалькулятора. При этом по формулам (8) и (9) определяют поправки за компарирование и температуру, вычисляют наклонное расстояние
D¢ = D + dDк + dDt (12)
и горизонтальное проложение
d = D¢cosv. (13)
Пример. Пусть D = 182,91 м при v = 5°45¢.
По формуле (13) d = 182,91 × cos5°45¢ = 181,99.
По таблицам поправок за наклон линии (прил. 4)
|
D, м |
dDv, мм |
|
|
100.............................................. |
503 |
dDv = -0,92 м |
|
80................................................ |
402 |
d = 182,91 - 0,92 = 181,99 м |
|
2.................................................. |
10 |
|
|
0,91............................................. |
5 |
|
|
S = 182,91 |
S = 920 |
При пробных измерениях бригада измеряет одну линию.
Образец записи результатов измерений и вычислений длин линий дан в табл. 5.
Программа вычислений горизонтальных проложений на микрокалькуляторе типа «Электроника Б3» с использованием формул (8), (9), (12) и (13) приведена в табл. 6 на примере данных табл. 5 со значением угла наклона v = 1°15¢ вместо превышения h = 3,61 м.
После изучения методики и пробных измерений длин линий представляют ведомость вычисления поправки за компарирование (в журнале поверок) и журнал измерения линий.
Задача: закрепить знания, определить коэффициент и постоянную дальномера для трубы с внешней фокусировкой (поправки к расстояниям для трубы с внутренней фокусировкой) и приобрести навыки в измерении расстояний нитяным дальномером.
Инструменты и принадлежности: комплект прибора (теодолита, нивелира, кипрегеля), мерный прибор, две нивелирные рейки, деревянные колышки, молоток, микрокалькулятор и рабочая тетрадь.
При измерении расстояний нитяным дальномером прибор устанавливают над точкой N (рис. 12, a), a рейку в точке М. По дополнительным (дальномерным) нитям а¢ и в¢ в поле зрения трубы (рис. 12, б) берут дальномерный отсчет АВ = l по рейке, а расстояние между точками N и М, равное D, определяют из соотношения
D = D¢ + f + d,
Рис. 12. Нитяный дальномер:
a - оптическая схема; б - поле зрения трубы
где D¢ - расстояние от переднего фокуса объектива F до рейки; f - фокусное расстояние объектива зрительной трубы; d - расстояние от объектива до вертикальной оси теодолита. Отрезок D¢ определяют из подобия треугольников ABF и abF:
D¢ = (f/P)l.
Отношение f/p = K называют коэффициентом дальномера, а сумму f + d = с - постоянной дальномера.
Таким образом, для зрительной трубы с внешней фокусировкой расстояния по нитяному дальномеру вычисляют по формуле
D = Kl + c. (14)
Значение постоянной с определяют непосредственным измерением величин f и d. Для определения f зрительную трубу фокусируют на удаленный предмет и измеряют линейкой расстояние от объектива до сетки нитей, а для определения d измеряют расстояние от объектива до вертикальной оси прибора. Сумма полученных значений дает величину постоянной дальномера.
Для определения коэффициента дальномера K на ровной местности выбирают базис длиной 120 - 150 м и измеряют его лентой или рулеткой не менее двух раз. За окончательное принимают среднее значение Dн. Над одной из точек устанавливают прибор, а на другой рейку. Каждый студент берет дальномерные отсчеты l и записывает их в журнал определения коэффициента дальномера. Для контроля производят отсчеты по всем трем нитям и сравнивают разности отсчетов. Коэффициент дальномера вычисляют по формуле
К = (Dи - с)/l.
Таблица 7. Журнал определения коэффициента дальномера
Кипрегель КБ № 2834 f = 0,34 м, d = 0,19 м, с = 0,58 м
|
Отсчет по нитям, мм |
Разности Н - С; С - В, мм |
Дальномерный отсчет l, мм |
Измеренное лентой расстояние, Dи, м |
Коэффициент
дальномера |
|
|
нижней средней верхней |
|||||
|
Иванов А.А. |
2834 |
638 638 |
1276 |
128,34 |
100,13 |
|
2196 |
|||||
|
1558 |
|||||
|
Петров Н.Н. |
2821 |
638 636 |
1274 |
100,28 |
|
|
2183 |
|||||
|
1547 |
|||||
|
Скворцов Д.И. |
2832 |
639 639 |
1278 |
99,97 |
|
|
2193 |
|||||
|
1554 |
|||||
|
Данилов В.В. |
2801 |
641 639 |
1280 |
99,81 |
|
|
2160 |
|||||
|
1521 |
|||||
|
D = 100l + 0,58 |
Среднее 100,05 |
||||
Образец записи и оформления журнала приведен в табл. 7.
У зрительной трубы с внутренней фокусировкой К и с являются переменными величинами, так как при фокусировании изменяется расстояние между объективом и фокусирующей линзой. Расстояние в данном случае определяют по формуле
D = 100l + d, (15)
где d - поправка, изменяющаяся в зависимости от расстояния от прибора до рейки.
Поправки определяют следующим образом. На ровной местности откладывают расстояния приблизительно 30, 60 и 120 м, закрепляют их деревянными колышками и измеряют мерным прибором в прямом и обратном направлениях. За окончательные значения Dиi принимают средние. В начальной точке устанавливают прибор, а на колышки последовательно ставят рейку и берут отсчеты по дальномерным нитям. На каждом расстоянии берут отсчеты не менее чем три студента. Результаты измерений записывают в журнал (табл. 8), вычисляют среднее значение li и по формуле
di = Dиi - 100li
находят значение поправок.
При пробных измерениях бригада студентов определяет нитяным дальномером теодолита длину одной линии в прямом и обратном направлениях. При снятии дальномерного отсчета нижнюю нить целесообразно наводить на «круглый» отсчет, например 1000. Тогда по верхней нити нетрудно сразу определить дальномерный отсчет l. Одновременно с определением l берут отсчеты по вертикальному кругу теодолита и вычисляют по формуле (3) или (4) угол наклона v.
Таблица 8 Журнал определения поправки нитяного дальномера
Теодолит Т30 № 28354
|
Название линии, Dиi, м |
Отсчет по рейке, мм |
li, мм |
d = Dиi - 100li |
||||||||
|
н с в |
Н-С С-в |
l1 |
н с в |
Н-С С-В |
l2 |
Н С В |
Н-С С-В |
l3 |
|||
|
I - II |
1597 |
1591 |
1599 |
||||||||
|
148 |
150 |
151 |
|||||||||
|
1449 |
297 |
1441 |
302 |
1448 |
301 |
300,0 |
+0,11 |
||||
|
149 |
152 |
150 |
|||||||||
|
30,11 |
1300 |
1289 |
1298 |
||||||||
|
I - III |
1789 |
1800 |
1804 |
||||||||
|
294 |
296 |
296 |
|||||||||
|
1495 |
589 |
1504 |
591 |
1508 |
594 |
591,3 |
+0,22 |
||||
|
295 |
295 |
298 |
|||||||||
|
59,35 |
1200 |
1209 |
1210 |
||||||||
|
I - IV |
2085 |
2080 |
2094 |
||||||||
|
590 |
589 |
593 |
|||||||||
|
1495 |
1182 |
1491 |
1184 |
1501 |
1190 |
1185,3 |
+0,33 |
||||
|
592 |
595 |
597 |
|||||||||
|
121,83 |
0903 |
0896 |
0904 |
||||||||
Таблица 9 Журнал измерения линий нитяным дальномером
Теодолит Т30 № 28354 d30 м = +0,11 м d60 м = +0,22 м d120 м = 0,33 м
|
Название линии |
Дальномерный отсчет l, см |
Отсчет по вертикальному кругу |
Место нуля МО |
Угол наклона v |
D = 100l + d, м |
dDv = -100l ´ sin2v, м |
d = D + dDv, м |
|
А-В |
кл |
||||||
|
100,2 |
3°54¢ |
0°02¢ |
+3°52¢ |
100,5 |
-0,5 |
100,0 |
|
|
100,5 |
355°23¢ |
0°02¢ |
-4°25¢ |
100,8 |
-0,6 |
100,2 |
|
|
Среднее Относительная погрешность 0,2/100 ≈ 1/500 |
100,0 |
||||||
|
Примечание. Величину поправки dj, расположенной в интервале между di и di+1, определяют по формуле
В нашем примере на табл. 9 выписываем i = 60 м d60 м = 22, Di+1 = 120 м, d120 м = +0,33, Dj = 100 м. Тогда
|
|||||||
Горизонтальное проложение d измеряемой линии вычисляют по формуле
d = D + dDv = D - Klsin2v. (16)
При углах наклона v до 2 - 3° поправки dDv малы и в измеренные расстояния не вводятся.
Образцы записей в журнале и обработки результатов измерений приведены в табл. 9.
После завершения работ бригада представляет журнал определения коэффициента и постоянной дальномера (поправок дальномера) журнал измерения линий нитяным дальномером.
Строительство, реконструкция и благоустройство промышленных или гражданских объектов осуществляются на основе проектов застройки, детальной планировки и рабочих чертежей. В свою очередь, разработка проекта требует создания исходных топографических материалов (карт, планов и профилей), которое сводится к определению взаимного положения различных элементов ситуации и рельефа и к отображению полученной информации.
Полевые геодезические измерения, выполняемые с целью создания карт, планов и профилей, называют съёмкой.
В зависимости от характера конечной продукции определяется состав работ. Если требуется получить план (карту) местности без изображения рельефа, то выполняют горизонтальную или контурную съемку, если с изображением рельефа, то топографическую.
Для получения изображения рельефа или высотных характеристик применяют высотную или вертикальную съемку.
При съемке небольших участков местности, как это встречается в строительстве, чаще всего применяют наземную съемку, которая в зависимости от наименования основного прибора получает соответствующее название: теодолитная - выполняется с помощью теодолита и мерных приборов, в результате получают контурный план; тахеометрическая - с помощью тахеометра, в результате получают план с изображением рельефа; мензульная - с помощью мензулы и кипрегеля, топографический план с изображением рельефа получают непосредственно в поле; фототеодолитная - с помощью фототеодолита, в результате можно получить как контурный, так и топографический план.
На геодезической практике студент должен приобрести навыки в производстве простейших видов топографических съемок, научиться выбирать наиболее рациональные способы съемки ситуации и рельефа в зависимости от особенностей местности, а также освоить методику выполнения полевых и камеральных работ.
Общими характерными признаками участка для топографической съемки должны быть:
пересеченная местность с четко выраженными формами рельефа;
наличие на участке достаточного количества элементов ситуации и предметов местности;
наличие на участке капитальных зданий и сооружений, выходов подземных коммуникаций (водостоки, колодцы, люки/камеры и т.д.).
До начала работ необходимо уяснить цель составления топографического плана данного участка местности и возможные варианты его использования, так как от этого зависит выбор масштаба съемки. Например, планы масштаба 1:2000 используются прежде всего для составления проектов детальной планировки микрорайонов города или поселка, для ведения оперативного плана района с подземными коммуникациями, для составления генеральных планов поселков и т.д. Планы масштаба 1:500 используются для разработки стройгенплана объекта строительства, для составления рабочих чертежей.
Топографическая съемка осуществляется по принципу «от общего к частному»: сначала определяется взаимное положение основных (опорных) точек, т.е. создается съемочное обоснование (плановое и высотное), а затем производится съемка подробностей ситуации и рельефа. Заканчивается работа составлением топографического плана участка.
Задача: усвоить методику создания планового обоснования на строительном участке, закрепить навыки измерения горизонтальных углов и расстояний на местности, научиться самостоятельно выполнять обработку геодезических измерений и вычислять координаты точек обоснования.
Приборы и принадлежности: теодолит, штатив, три вешки, мерный прибор, колышки для закрепления вершин хода, молоток, журналы измерений горизонтальных углов и длин линий, микрокалькулятор или таблицы приращений, координат, бланк ведомости вычисления координат, карандаши, ручки, чертежная бумага, рабочие тетради.
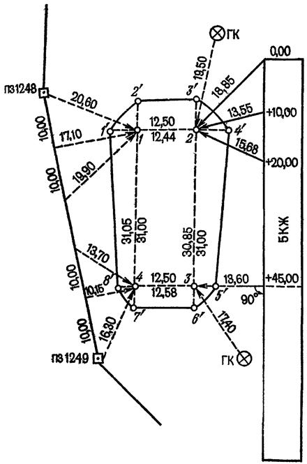
Рис. 13. Схемы планового обоснования:
а - полигон; б - ход, опирающийся на один исходный пункт
До начала работы составляют график распределения обязанностей. Образец графика для бригады из 5 студентов (А, Б, В, Г, Д) применительно к схеме ходов на рис. 13, а приведен в табл. 10.
Плановое съемочное обоснование создается проложением основного и диагонального теодолитных ходов. Основной теодолитный ход опирается на два пункта опорной геодезической сети (см. рис. 13, а) или прокладывается в виде замкнутого полигона (рис. 13, б), точки которого расположены примерно по границе участка.
Ход I-VI-V, проложенный внутри полигона для съемки ситуации, называют диагональным.
Полевые геодезические работы при создании съемочного обоснования включают:
рекогносцировку (изучение) участка местности;
измерение горизонтальных углов;
измерение длин сторон;
вычисление координат пунктов съемочного обоснования.
Если теодолитный ход не опирается на исходные пункты старших классов, то производят привязку планового съемочного обоснования к опорной сети.
Таблица 10. График распределения обязанностей
|
Фамилии студентов |
|||
|
работа с прибором |
ведение журнала |
вспомогательные работы |
|
|
Измерения углов |
|||
|
пз 7108 |
А |
Б |
в, г, д |
|
I |
Б |
В |
Г, Д, А |
|
II |
В |
Г |
Д, А, Б |
|
III |
Г |
Д |
А, Б, В |
|
IV |
Д |
А |
Б, В, Г |
|
Измерения сторон |
|||
|
пз 7108 |
|||
|
I |
А, Б |
В |
г, д |
|
II |
Б, В |
Г |
Д, А |
|
III |
В, Г |
д |
А, Б |
|
IV |
Г, Д |
А |
Б, В |
|
V |
Д, А |
Б |
В, Г |
|
Примечание. Вспомогательные работы заключаются в подготовке створов линий к измерениям, установке вешек, переносе приборов, принадлежностей и т.п. |
|||
Рекогносцировка участка
Рекогносцировка служит для окончательного выбора положения на местности вepшин теодолитного хода и привязки точек съемочного обоснования к пунктам геодезической сети.
Рекогносцировка выполняется при непосредственном руководстве преподавателя и участии всех членов бригады. Одна из вершин теодолитного хода принимается за начальную и закрепляется временным знаком (металлической трубкой диаметром 2 - 3 см, костылем, деревянным колышком и т.д.). Смежные с ней вершины выбирают с таким расчетом, чтобы было удобно выполнять угловые и линейные измерения, а также производить съемочные работы. Между смежными вершинами должны быть хорошая взаимная видимость и благоприятные условия для линейных измерений.
Для проверки видимости на смежных вершинах теодолитного хода устанавливают вешки. Видимость между точками считается хорошей, если вешка видна на 3/4 высоты. После установления видимости начальную точку закрепляют окончательно (забивают вровень с землей), а процесс рекогносцировки продолжают, переходя на следующую точку. Для облегчения отыскания точки ее окапывают канавкой. При этом разные бригады применяют различные формы окопки. В конце практики, после приемки руководителем полевой части работ, колышки из земли удаляют.
Запрещается устанавливать (закреплять) пункты теодолитного хода на проезжей части дорог или на дорожках для пешеходов.
Измерение горизонтальных углов
Перед началом работ должны быть выполнены все поверки теодолита (см. § 5) и проведено компарирование мерного прибора (см. § 7).
Обычно измеряют внутренние углы полигона. Если ход проложен по часовой стрелке, то измеряют правые по ходу углы. Отсчет по горизонтальному кругу берут сначала на предшествующую, а затем на последующую точки. Так, на точке II берут отсчет на точку I, а затем на точку III. Если ход проложен против часовой стрелки, то измеряют левые по ходу углы, то есть отсчеты сначала берут на предшествующую, а затем на последующую токи.
Точка, над которой устанавливают теодолит для выполнения измерений, называют станцией. На каждой станции теодолит приводят в рабочее положение: центрируют над вершиной угла; приводят вертикальную ось прибора в отвесное положение; подготавливают зрительную трубу теодолита к наблюдению.
Центрирование теодолита над вершиной угла осуществляют с помощью отвеса или оптического центрира. Прибор центрируют тем точнее, чем короче стороны теодолитного хода. Погрешность mц в измерении угла за центрирование можно вычислить до начала измерений по формуле
![]()
где тb - погрешность измерения угла; D - длина наиболее короткой стороны угла.
Приняв погрешность mц в два раза меньше погрешности mb и длину короткой стороны D = 100 м, получим
![]()
Из этого следует, что при работе теодолитом 30-секундной точности на сторонах угла D = 100 м ошибка центрирования не должна превышать 7 мм. При более коротких сторонах погрешность центрирования должна быть меньше.
Приведение вертикальной оси в отвесное положение выполняют при помощи цилиндрического уровня и трех подъемных винтов. Описание подготовки зрительной трубы к наблюдению дано в § 6.
После установки теодолита в рабочее положение приступают к измерению углов хода. При двух направлениях на станции углы измеряют способом полуприемов. Если число направлений больше двух, применяют способ круговых приемов. Программа измерений и образцы записи в журнале измерения углов даны в § 6.
Расхождения значений углов в полуприемах не должны превышать двойной точности прибора. За окончательный результат принимают среднее арифметическое значение угла из двух полуприемов.
Для ориентирования линий теодолитного хода, а также для контроля измерения углов целесообразно отсчитывать по буссоли магнитные азимуты сторон хода и записывать их в журнал.
Измерение сторон теодолитного хода
Измерения сторон теодолитного хода производят последовательным уложением мерной ленты в створ линии. Мерные ленты или рулетки не должны отклоняться от створа. Для указания створа линии длиной более 150 м устанавливают дополнительные вешки. Перед измерением необходимо расчистить створ от посторонних предметов (камней, завалов и т.д.).
Привязка планового обоснования к пунктам опорной геодезической сети
В тех случаях, когда участок съемки удален от пунктов опорной геодезической сети, для получения прямоугольных координат точек планового обоснования выполняют дополнительные геодезические измерения. Так, на рис. 13, б, кроме внутренних углов и сторон основного теодолитного хода, измерены два дополнительных угла на точках VII и пз 7110, а также длина стороны пз 7110 - VII.
Обработка результатов измерений
Вычислительные работы начинают с проверки во «вторую руку» полевых журналов. Если не выполнить эту работу, то ошибки полевых вычислений обнаружатся только после полной обработки материалов, что повлечет за собой переделку всей работы.
Затем в журнале измерения горизонтальных углов составляют рабочую схему теодолитного хода. На схеме показывают пункты опорной геодезической сети, исходные направления, вершины и стороны теодолитных ходов. Исходные пункты и стороны показывают красным цветом. На схему выписывают названия пунктов, значения горизонтальных углов и длин сторон. Для ориентирования на схеме стрелкой показывают направление север - юг.
Вычисления координат вершин теодолитного хода производят в специальной ведомости (табл. 11) в следующей последовательности.
1. Со схемы теодолитного хода в графу 1 ведомости выписывают названия исходных пунктов и вершин основного теодолитного хода, начиная с ориентирного направления пз 7109-пз 7108 и до направления пз 7109-пз 7109, а из журнала измерения углов выписывают в графу 2 значения измеренных углов и для контроля сверяют их со схемой хода.
Из журнала измерений линий выписывают в графу 6 значения горизонтальных проложений di и сверяют их для контроля со схемой теодолитного хода.
2. В графу 4 выписывают значения исходных дирекционных углов a7109-7108, а в графы 11 и 12 - абсциссы и ординаты пунктов 7108 и 7109. Исходные данные вписывают красным цветом.
3. Подсчитывают в графе 2 сумму измеренных углов
и
вычисляют угловую невязку хода
где Sbт - теоретическая сумма углов хода, которую вычисляют по формулам:
Sbт = aн - aк + 180° (n + 1) - для правых углов;
Sbт = aк - aн + 180° (п + 1) - для левых углов;
Sbт = 180° (п - 2) - для замкнутого полигона,
где aн и aк - ориентирные дирекционные углы начальной и конечной сторон хода; п - число сторон хода.
Таблица 11. Ведомость вычислений координат вершин оси основного теодолитного хода
|
Измеренные углы |
Исправленные углы |
Дирекционные углы |
Румбы |
Длины линии d, м |
Приращения координат |
Координаты, м |
Название вершины хода |
||||||||||
|
вычисленные |
исправленные |
||||||||||||||||
|
названия |
градусы |
минуты |
Dx |
Dy |
Dx |
Dy |
X |
Y |
|||||||||
|
1 |
2 |
3 |
4 |
5 |
6 |
7 |
8 |
9 |
10 |
11 |
12 |
13 |
|||||
|
пз 7109 пз 7108 |
102° |
+0,2¢ 51,0 |
102° |
51,2¢ |
339° 56 |
03,2¢ 12,0 |
св |
56° |
48¢ |
42,19 |
-1 +23,10 |
+1 +35,30 |
+23,09 |
+35,31 |
570,68 |
292,31 |
пз 7108 |
|
I |
150 |
+0,2 35,0 |
150 |
35,2 |
85 |
36,8 |
Св |
85 |
37 |
39,78 |
-1 +3,04 |
+1 +39,66 |
+3,03 |
+39,67 |
593,77 |
327,62 |
I |
|
II |
79 |
+0,2 01,0 |
79 |
01,2 |
186 |
35,6 |
юв |
3 |
24 |
20,03 |
0 -19,90 |
0 -2,30 |
-19,90 |
-2,30 |
596,80 |
367,29 |
II |
|
III |
277 |
+0,2 32,6 |
277 |
32,8 |
89 |
02,8 |
св |
89 |
03 |
27,13 |
0 -0,45 |
0 +27,13 |
-0,45 |
+27,13 |
576,90 |
364,99 |
III |
|
IV |
47 |
+0,2 56,0 |
47 |
56,2 |
221 |
06,6 |
сз |
41 |
07 |
42,53 |
-1 -32,01 |
-1 -27,96 |
-32,05 |
-27,95 |
576,45 |
392,12 |
IV |
|
V |
162 |
+0,1 42,0 |
162 |
42,1 |
238 |
24,5 |
юз |
58 |
21 |
58,74 |
-2 -30,78 |
-2 -50,03 |
-30,80 |
-50,01 |
544,40 |
364,1 |
V |
|
пз 7109 пз 7108 |
79 |
+0,1 21,2 |
79 |
21,3 |
339 |
03,2 |
Р = 230,40 |
-57,03 |
+21,80 |
-57,08 |
+21,85 |
513,60 |
314,16 |
пз 7109 |
|||
|
Sb Sbт |
899 900 |
58,8 00,0 |
900 |
00,0 |
Sт f |
-57,08 +0,05 |
+21,85 -0,05 |
||||||||||
|
fb = -1,2 |
fbдоп = 2,2 |
|
|||||||||||||||
Невязку, полученную по формуле (17), сравнивают с допустимой
![]()
Если угловая невязка получилась больше допустимой, надо второй раз проверить вычисление углов в полевом журнале, затем проверить углы, пользуясь магнитными азимутами сторон хода, и выявить, какие углы надо измерить повторно на местности.
Необходимо помнить, что по магнитным азимутам можно обнаружить только грубые промахи в измерении углов.
Если угловая невязка меньше допустимой, ее распределяют на все углы поровну. Поправку db, которую вычисляют по формуле
db = -fb/n,
округляют до 0,1¢.
Если fb не делится без остатка на n, то большую по абсолютной величине поправку вводят в углы с короткими сторонами.
В теодолитных ходах небольшой длины поправки в измеренные углы можно вводить так, чтобы углы оказались округленными до целых минут.
Для контроля подсчитывают сумму поправок, она должна точно равняться невязке, взятой с обратным знаком.
4. По формуле
bисп = b + db
вычисляют исправленные значения углов и выписывают их в графу 3 ведомости. Сумма исправленных углов должна точно равняться теоретической сумме углов хода.
5. По исправленным значениям углов вычисляют дирекционные углы сторон хода:
ai + 1 = ai ± 180° - b - для правых углов; (18)
ai + 1 = ai + b ± 180° - для левых углов, (19)
Таблица 12. Перевод дирекционных углов в румбы
|
Интервал изменения дирекционного угла a, угл. градус |
Название румба |
Связь дирекционного угла и румба |
|
|
I |
0 - 90 |
св |
r1 = a |
|
II |
90 - 180 |
юв |
r2 = 180° - a |
|
III |
180 - 270 |
юз |
r3 = a - 180° |
|
IV |
270 - 360 |
сз |
r4 = 360° - a |
где ai и ai + 1 - дирекционные углы предшествующей и последующей сторон хода. Вычисления начинают с дирекционного угла aн исходной стороны. В табл. 12 это сторона пз 7109 - пз 7108.
В примере дан порядок записи при вычислении дирекционных углов по формуле (18) для табл. 11.

Контролем правильности вычислений служит равенство вычисленного и исходного значений конечного дирекционного угла. В рассматриваемом примере это значение для стороны пз 7109 - пз 7108 равно aк = 339°03,2¢.
Дирекционные углы сторон выписывают в графу 4.
6. Если приращения координат, предполагается определять с помощью таблиц, то в графу 5 выписывают румбы сторон.
Для определения названия и вычисления румба используют данные, приведенные в табл. 12.
7. В графе 6 ведомости вычислений подсчитывают длину хода
![]()
8. Приращения координат вычисляют по формулам Dх = dcosa и Dy = dsina.
Приращения вычисляют с помощью калькулятора или по таблице приращений.
Таблица 13. Программа вычисления приращений координат
|
Последовательность нажатия клавиш |
Показание индикатора |
Примечания |
|
|
Установить переключатель в положение «град» |
|||
|
Набор значения a в градусах |
24,5 ¸ 60 = + 238 = |
0,4083333 238,40833 |
Превращение минут в доли градуса |
|
F ЗАП |
238,40833 |
Число в регистре памяти |
|
|
Dх = dcosa |
F cos ´ 58,74 = |
-0,523862 -30,7716 |
Dх = -30,77 записываем в графу 7 ведомости вычислений координат |
|
Dy = dsina |
F ↔ П |
238,40833 |
Значения a переводим из регистра памяти РП в регистр индикации РИ |
|
F sin ´ 58,74 |
-0,851803 -50,0349 |
Dy = -50,03 записываем в графу 8 ведомости вычислений координат |
|
Последовательность вычисления приращений координат на микрокалькуляторах типа «Электроника Б3-18М» приведена в табл. 13 (на примере стороны теодолитного хода V-пз 7109 со значениями a = 238°24,5' и d = 58,74 м).
Вычисления Dx и Dу с помощью таблиц приращений координат [3] начинают с оформления специальной таблицы в рабочей тетради. Образец оформления приведен в табл. 14.
Значения Dx и Dу [3] даны через 1¢ для горизонтальных расстояний 10, 20, ..., 90 м. Поэтому значение d разбивают на сотни, десятки, единицы и доли метра и выбирают для них соответствующие приращения с округлением до сотых долей метра, окончательные величины приращений координат находят как суммы полученных значений, округленные до 0,01 м.
Знаки приращения координат зависят от значения угла a или названия румба. Так, Dх имеет положительный знак при углах a от 0° до 90° (СВ) и от 270° до 360° (СЗ), a Dy имеет положительный знак при углах а от 0 до 180°, т.е. (СВ и ЮВ). Во всех остальных случаях приращения Dх и Dу имеют знак минус.
Таблица 14. Вычисление приращений координат по таблицам d = 58,74; r = ЮЗ: 58°24¢
|
Dx |
Dy |
|
|
50 |
26,199 |
42,586 |
|
8 |
4,191 |
6,814 |
|
0,74 |
0,388 |
0,630 |
|
30,778 |
50,030 |
|
|
Dx = -30,78 |
Dу = -50,03 |
Вычисленные или найденные по таблицам приращения координат записывают в графы 7 и 8 табл. 11 с точностью до 0,01 м.
Для контроля приращения вычисляют дважды. Целесообразно, чтобы вычисления сделали студенты с применением различных средств: таблиц (табл. 14) и микрокалькуляторов.
9. Вычисляют невязки в приращениях координат по каждой оси и сравнивают их с допустимыми значениями.
Теоретические суммы приращений координат по осям равны
SDxт = Хк - Xн; SDyт = Yк - Yн,
где Хк, Yк и Хн, Yн - соответственно координаты конечной и начальной точек теодолитного хода. Для замкнутого теодолитного хода (когда Хк = Xн и Yк = Yн)
SDxт = 0; SDyт =0.
В результате измерения углов и линий возникают погрешности в приращениях координат, под влиянием которых
![]()
Эти величины называются невязками, fx по оси X и fу по оси Y.
Таблица 15. Ведомость вычислений координат вершин диагонального теодолитного хода
|
Измеренные углы |
Исправленные углы |
Дирекционные углы |
Румбы |
Длины линии d, м |
Приращения координат |
Координаты, м |
Название вершины хода |
||||||||||
|
вычисленные |
исправленные |
||||||||||||||||
|
названия |
минуты |
градусы |
Dx |
Dy |
Dx |
Dy |
X |
Y |
|||||||||
|
1 |
2 |
3 |
4 |
5 |
6 |
7 |
8 |
9 |
10 |
11 |
12 |
13 |
|||||
|
пз 7108 I |
57° |
-0,5 35,0¢ |
57° |
34,5¢ |
56° 178 |
12,0¢ 37,5 |
- |
- |
- |
31,26 |
0 -31,25 |
+1 -7,50 |
-31,25 |
-7,49 |
593,77 |
327,62 |
I |
|
VI |
246 |
-0,6 16,3 |
246 |
15,7 |
112 |
21,8 |
- |
- |
- |
-1 47,60 |
-1 -18,11 |
+2 +44,02 |
-18,12 |
+44,04 |
562,52 |
320,13 |
VI |
|
V пз 7109 |
53 |
-0,5 57,8 |
53 |
57,3 |
238 |
24,5 |
Р = 78,86 |
-49,36 |
+36,52 |
-49,37 |
+36,55 |
544,40 |
364,17 |
V |
|||
|
Sb Sbт |
357 357 |
49,1 47,5 |
357 |
47,5 |
-49,37 +0,01 |
+36,55 -0,03 |
|||||||||||
|
fb = +1,6 |
|
|
|||||||||||||||
В теодолитном ходе, опирающемся на два опорных пункта, невязки в приращениях координат по осям вычисляют по формулам
![]()
Невязка в периметре, которую определяют по формуле
![]()
считается допустимой, если она не превышает 1:2000 периметра Р.
10. Если невязка в периметре допустима, то невязки по осям fx и fу распределяют с обратным знаком на все приращения пропорционально длинам горизонтальных проложений. Поправки в приращения координат вычисляют по формулам
![]()
Контроль правильности распределения невязок осуществляют в соответствии с зависимостями
![]()
Поправки округляют до 0,01 м и полученные значения в сантиметрах записывают в графах 7 и 8 над приращениями координат.
11. Исправленные значения приращений Dx¢i и Dy¢i вычисляют по формулам
; ![]()
и выписывают в графах 9 и 10 ведомости вычислений.
Контроль вычислений осуществляют по формулам
![]()
12. Вычисляют координаты вершин теодолитного хода
Xi = Xi-1 + Dx¢i; Yi = Yi-1 + Dy¢i,
где Xi-1, Yi-1 и Хi, Yi - координаты предшествующей и последующей вершин теодолитного хода.
Контролем правильности вычислений служит совпадение вычисленных координат конечной точки теодолитного хода. В нашем примере (см. табл. 11) - это координаты пз 7109.
Аналогично вычисляют координаты точек диагонального теодолитного хода. Образец обработки приведен в табл. 15.
Задача: усвоить методику создания высотного обоснования, закрепить навыки измерения превышений, научиться выполнять обработку результатов измерений.
Приборы и принадлежности: нивелир со штативом, две нивелирные рейки, три вехи, теодолит со штативом, стальная рулетка, журнал технического нивелирования, журнал тахеометрической съемки (для записи углов наклона), микрокалькулятор, чертежная бумага, карандаши, ручки, чертежные инструменты.
Бригада студентов создает на отведенном участке высотное съемочное обоснование, т.е. систему точек с известными отметками (высотами).
Целесообразно совместить точки планового обоснования (точки теодолитного хода) с точками высотного обоснования (точки нивелирного хода). При этом высоты точек основного хода (полигона) рекомендуется определять методом геометрического нивелирования, а высоты точек диагонального хода - методом тригонометрического нивелирования.
Полевые работы
В состав полевых работ по созданию высотного съемочного обоснования входит:
рекогносцировка участка;
измерение превышений между точками съемочного обоснования;
привязка точек съемочного обоснования к реперам опорной высотной геодезической сети;
обработка результатов измерений.
Таблица 16. График распределения обязанностей
|
Фамилии студентов |
|||
|
работа с прибором |
ведение журнала |
вспомогательные работы |
|
|
Геометрическое нивелирование |
|||
|
пз 7108 |
А |
Б |
В, Г, Д |
|
I |
|||
|
Б |
В |
Г, Д, А |
|
|
II |
|||
|
В |
Г |
Д, А, Б |
|
|
III |
|||
|
Г |
Д |
А, Б, В |
|
|
IV |
|||
|
Д |
А |
Б, В, Г |
|
|
V |
|||
|
Тригонометрическое нивелирoвание |
|||
|
V |
А |
Б |
В, Г, Д |
|
VI |
Б |
В |
Г, Д, А |
|
I |
В |
Г |
Д, А, Б |
Перед началом полевых измерений бригада выполняет поверки и юстировки приборов. Бригадир составляет график распределения обязанностей в бригаде и предоставляет его на утверждение преподавателю. Образец графика применительно к схеме ходов на рис. 13, а приведен в табл. 16.
Превышения между точками диагонального хода определяют методом тригонометрического нивелирования.
Определение отметок точек основного хода осуществляют по программе технического нивелирования. Длина визирного луча при измерении превышений не должна превышать 100 м. Рейки устанавливают на вбитые в землю колышки - вершины теодолитного хода. Если превышение между ними невозможно измерить с одной станции, то выбирают связующие (иксовые) точки и производят последовательное нивелирование.
Порядок работы на станции технического нивелирования подробно изложен в § 7.
Измерение превышений
Нивелир устанавливают на равном удалении от задней и передней реек и приводят его в рабочее положение. Далее порядок работы на станции следующий:
наводят зрительную трубу на заднюю рейку и берут отсчет по красной стороне;
наводят зрительную трубу на переднюю рейку и берут отсчет по красной стороне;
по команде наблюдателя (исполнителя работ) реечники поворачивают рейки черной стороной к прибору;
берут отсчет по черной стороне передней рейки;
поворачивают зрительную трубу на заднюю рейку и берут отсчет по черной стороне.
Перед взятием отсчета вращением элевационного винта приводят пузырек уровня в нуль-пункт (для уровенных нивелиров).
Результаты измерений записывают в журнал технического нивелирования (табл. 17).
Для контроля измерений в журнале вычисляют разности нулей реек на передней (5) и задней (6) рейках, а затем вычисляют превышения как разность отсчетов на заднюю и переднюю рейки по красной (7) и черной (8) сторонам. Расхождения в разностях нулей и в превышениях не должны превышать по абсолютной величине 4 мм. Далее вычисляют среднее превышение и отметку передней точки Н2 = Н1 + h.
Таблица 17 Журнал технического нивелирования
Нивелир № 28597 Наблюдал: Николаев Н.Н. Записывал: Петров Н.И.
|
Номер станции |
Название точки |
Отсчеты по рейке |
Превышения |
Средние превышения |
Горизонт прибора |
Отметка точки |
||||
|
задней |
передней |
промежуточной |
+ |
- |
+ |
- |
||||
|
15 |
I |
6235 (1) 1453 (4) 4782 (6) |
129 (7) |
130 (9) |
13,804 |
12,351 |
||||
|
II |
6106 (2) 1321 (3) 4785 (5) |
132 (8) |
12,481 (10) |
|||||||
Рис. 14. Схема тригонометрического нивелирования
По завершении работы с нивелиром бригада представляет тетрадь поверок (одну на бригаду), описание прибора и рабочие тетради каждого студента с результатами пробного измерения превышений.
Для определения превышения h тригонометрическим нивелированием (рис. 14) в точке А устанавливают теодолит, в точке В - веху или рейку.
Угол наклона v измеряют при двух положениях вертикального круга так, как это описано в § 6. Контролем правильности измерения является постоянство места нуля (МО) вертикального круга. Колебания МО не должны превышать двойной точности отсчета по вертикальному кругу теодолита.
На станции А рулеткой или рейкой измеряют высоту теодолита i от верха колышка до оси вращения зрительной трубы с точностью до 0,01 м. С той же точностью измеряют высоту визирования v в точке В.
Значение горизонтального проложения d линии выбирают из журнала измерения длин линий или из ведомости вычислений координат вершин диагонального хода (см. табл. 16).
Превышение на станции вычисляют по формуле
h = dtgv + i - υ + f,
где f = 0,42d2/R - поправка за кривизну Земли и рефракцию; R - радиус Земли (~ 6371 км).
Полученное значение превышения округляют до 0,01 м, поэтому поправку f учитывают лишь при расстояниях, превышающих 300 м, так как если d = 300 м, то f = 0,01 м.
Значение h¢ = dtgv вычисляют на микрокалькуляторе или определяют по тахеометрическим таблицам В.Н. Ганьшина и Л.С. Хренова [5] или таблицам В.П. Егорова для вычисления превышений по горизонтальным проложениям линий.
Если визирование производили на высоту прибора, т.е. при i = υ, то превышение вычисляют по формуле h = dtgv.
На каждой стороне диагонального хода превышение h определяют дважды - в прямом и обратном направлениях. Расхождения между ними не должны превышать величины ±0,04D, см, где D - расстояние, выраженное в сотнях метров.
Для получения отметок точек в системе высот геодезического полигона осуществляют привязку хода к пунктам опорной сети.
Перед началом этой работы преподаватель называет студентам номера геодезических пунктов и их отметки. Студенты записывают исходные данные в полевой журнал и в ведомость вычисления высот точек.
Полевые работы включают в себя: выбор наиболее удобного направления от репера к точкам съемочного обоснования; проложение нивелирного хода от репера до одной из точек съемочного обоснования; составление схемы привязки.
Обработку результатов нивелирования начинают с проверки полевых журналов.
В журналах нивелирования (табл. 18) выполняют постраничный контроль. Для этого подсчитывают суммы отсчетов (1) и (2) по красной и черной сторонам задней рейки, суммы отсчетов (3) и (4) по красной и черной сторонам передней рейки, сравнивают разности (1) - (2) и (3) - (4) с суммами разностей нулей реек (5) и (6). Расхождения в 1 мм и более свидетельствуют о наличии ошибок в вычислениях.
Далее подсчитывают суммы (7) и (8) превышений и осуществляют контроль: (1) - (3) = (7) и (2) - (4) = (8). Затем вычисляют сумму (9) средних значений превышений, среднее значение из величин (7) и (8) не должно отличаться от величины (9) более чем на 1 мм.
Таблица 18. Журнал технического нивелирования
Дата: 28 июля 1984 г. Наблюдал: А. Иванов Вычислял: П. Петров
|
Название точки |
Отсчеты по рейке |
Превышения |
Средние превышения |
|||||
|
задней |
передней |
промежуточной |
+ |
- |
+ |
- |
||
|
1 |
пз 7108 |
5309 0527 |
1027 |
|||||
|
I |
4782 |
6335 1555 4780 |
1026 1028 |
|||||
|
2 |
I |
6425 1642 |
1228 |
|||||
|
II |
4783 |
5198 0413 4785 |
1227 1229 |
|||||
|
3 |
II |
7673 1642 |
2821 |
|||||
|
x1 |
4781 |
4852 0071 4781 |
2821 2821 |
|||||
|
S |
19407 (1) |
16835 (3) |
3022 (7) |
3022 (9) |
||||
|
S |
5061 (2) |
2039 (4) |
3022 (8) |
|||||
|
S |
14346 (5) |
14346 (6) |
||||||
В журнале технического нивелирования составляют схему высотного обоснования, на которой показывают исходные пункты (красным цветом), точки обоснования, выписывают средние превышения и стрелкой показывают направления хода. Образец схемы показан на рис. 15.
Вычисление отметок производят в специальной ведомости (табл. 19). В ведомость из журнала технического
нивелирования выписывают превышения, число штативов, подсчитывают сумму
превышений и вычисляют невязки по формулам
- для замкнутого
хода;
-
для хода, опирающегося на точки с известными отметками. Допустимые невязки
подсчитывают по формулам
![]()
Таблица 19. Ведомость вычислений отметок точек высотного обоснования
|
Число штативов; длина стороны, м |
Измеренное превышение, мм |
Исправленное превышение, м |
Отметка точки, м |
Название точки |
|
|
1 |
2 |
3 |
4 |
5 |
6 |
|
Основной ход |
|||||
|
пз 7108 |
128,531 |
пз 7108 |
|||
|
+2 |
|||||
|
1 |
-1027 |
-1,025 |
|||
|
I |
127,506 |
I |
|||
|
+2 |
|||||
|
1 |
+1228 |
+1,230 |
|||
|
II |
128,736 |
II |
|||
|
+4 |
|||||
|
2 |
+3922 |
+3,926 |
|||
|
III |
132,662 |
III |
|||
|
+2 |
|||||
|
1 |
+721 |
+0,723 |
|||
|
IV |
133,385 |
IV |
|||
|
+2 |
|||||
|
1 |
-1240 |
-1,238 |
|||
|
V |
132,147 |
V |
|||
|
+2 |
|||||
|
1 |
-1458 |
-1,456 |
|||
|
пз 7109 |
130,691 |
пз 7109 |
|||
|
Суммы |
|
+2,160 |
|||
|
Диагональный ход |
|||||
|
I |
127,51 |
I |
|||
|
0,31 |
-1 |
||||
|
+1,36 |
+1,35 |
||||
|
VI |
128,86 |
VI |
|||
|
0,48 |
-2 |
||||
|
+3,31 |
+3,29 |
||||
|
V |
132,15 |
V |
|||
|
Суммы |
|
+4,64 |
|||
Если число станций на 1 км хода более 25, то
![]()
где L - число километров в ходе (полигоне); п - число станций в ходе.
Невязки распределяют пропорционально числу станций и выписывают их величины в миллиметрах над значениями превышений. Для контроля правильности распределения подсчитывают сумму поправок. Она должна равняться невязке с обратным знаком.
Далее вычисляют исправленные значения превышений и записывают их в графу 4 табл. 19, в графу 5 выписывают красным цветом исходные отметки начальной и конечной точек хода. Отметку каждой точки хода вычисляют по формуле Hi+1 = Hi + h¢i, где Hi+1 и Hi - отметки последующей и предшествующей точек; h¢i - исправленное значение превышения.
Контроль: вычисленная и исходная отметки конечной точки должны совпадать.
При обработке диагонального хода в графу 2 ведомости, вычислений (табл. 19) выписывают из журнала измерений превышения в метрах, из ведомости вычислений координат (табл. 16) - длины сторон в сотнях метров, подсчитывают сумму превышений по ходу, вычисляют невязку и сравнивают ее с допустимой
![]()
где D - средняя длина сторон в сотнях метров; п - число станций хода.
Рис. 15. Схема высотного обоснования
Для ходов длиной до 300 м допустимую невязку вычисляют по формуле
![]()
где L - длина хода в сотнях метров.
Невязку распределяют пропорционально длинам сторон и по исправленным превышениям вычисляют отметки точек хода.
Цель горизонтальной съемки - получение контурного плана местности. Геодезическими измерениями определяют положение на местности предметов относительно точек и сторон съемочного обоснования.
Задача: усвоить методику и получить практические навыки в выполнении простейших способов наземной геодезической съемки; научиться по результатам полевых измерений составлять план местности.
Приборы и принадлежности: теодолит со штативом, две нивелирные рейки, стальная 20-метровая мерная лента или рулетка, стальная 10-метровая рулетка, экер, три вешки, абрис, чертежная бумага высокого качества, транспортир, циркуль-измеритель, масштабная линейка, набор простых и цветных карандашей, чертежные принадлежности.
Последовательность выполнения работ: подготовительные работы, полевые измерения и камеральная обработка.
Подготовительные работы включают составление проекта выполнения работ, рекогносцировку участка и т.д.
На следующем этапе при помощи геодезических приборов и инструментов выполняют необходимые угловые и линейные измерения, т.е. съемку местности.
Камеральные работы предусматривают обработку полевых измерений и графические построения.
Перед началом работ составляют график распределения обязанностей в бригаде на период съемок. Образец графика приведен в табл. 20.
При горизонтальной съемке отображению на плане подлежат все виды путей сообщения и сооружения на них, существующая застройка и благоустройство, выходы подземных коммуникаций и другие элементы ситуации с резко очерченными границами.
Таблица 20. График распределения обязанностей
|
Фамилии студентов |
||||||
|
Ведение абриса и работа с прибором |
Измерение расстояние |
Вспомогательные работы |
||||
|
Горизонтальная съемка |
||||||
|
пз 7108 |
А |
Б, В |
г, д |
|||
|
I |
Б |
В, Г |
Д, А |
|||
|
II |
В |
Г, Д |
А, Б |
|||
|
III |
Г |
Д, А |
Б, В |
|||
|
IV |
Д |
А, Б |
В, Г |
|||
|
Тахеометрическая съемка |
||||||
|
Название точки |
Работа с прибором |
Ведение журнала |
Реечники |
Вспомогательные работы |
||
|
пз 7108 |
А |
Б |
в, г |
д |
||
|
I |
Б |
В |
г, д |
А |
||
|
II |
В |
Г |
Д, А |
Б |
||
|
III |
Г |
Д |
А, Б |
В |
||
|
IV |
д |
А |
Б, В |
|||
При съемке зданий и сооружений показывают их этажность и назначение, изломы фасадной линии, выступы и уступы, если величина их более 0,5 мм на плане.
Работа на станции начинается с зарисовки в абрис (схематический чертеж местности) всех контуров и предметов местности, подлежащих съемке на данной станции. Альбом для абриса изготавливают из 10 - 12 листов плотной бумаги, размером 13´33 см.
Рис. 16. Абрис горизонтальной съемки:
а - по линиям I-II и II-III; б - по линии CD
При составлении абриса на застроенную территорию (рис. 16, а) и незастроенную (рис. 16, б):
зарисовку производят простым карандашом Т или 2Т;
сторону съемочного хода показывают с утолщением;
контуры и предметы местности зарисовывают в произвольном масштабе;
цифры должны быть легко читаемы, прямые линии вычерчены по линейке, кривые линии - тщательно «от руки», внутри контура дают пояснительные надписи;
предметы местности и элементы ситуации показывают более толстыми линиями, а вспомогательные промеры - тонкими;
результаты угловых измерений заносят в абрис в процессе съемки.
После составления абриса приступают к геодезическим измерениям. В зависимости от характера местности, расположения предметов и контуров, условий измерений применяют следующие способы съемки.
Рис. 17. Способы съемки контуров местности:
а - прямоугольных и полярных координат; б - линейных засечек; в - угловых засечек; г - створов
Способ прямоугольных координат или способ перпендикуляров применяют для съемки контуров, лежащих вблизи сторон теодолитного хода. Сторона теодолитного хода принимается за ось абсцисс, одна из точек (точка I на рис. 17, а) - за начало отсчета. За ординату принимают длину перпендикуляра, опущенного из точки снимаемого контура на ось абсцисс.
Для съемки углов А, Б, В, Г капитального здания поступают следующим образом. Мерную ленту укладывают по стороне I-II с помощью теодолита (с отклонениями не более 2 см).
Из снимаемой точки контура опускают перпендикуляр на сторону I-II и при помощи стальной рулетки измеряют его длину, а по ленте делают отсчет, определяющий расстояние от начала отсчета (точки I теодолитного хода) до основания перпендикуляра.
Погрешность в положении основания перпендикуляра, построенного на глаз, составляет 0,01 его длины. Для различных масштабов съемки установлены предельные значения длин перпендикуляров. Для масштаба 1:500 его длина не должна превышать 4 м. При увеличении длины перпендикуляра для его построения необходимо применять экер или уточнять положение перпендикуляра линейной засечкой длиной, не превышающей длины мерного прибора.
Способ полярных координат применяют для съемки контуров, удаленных от сторон теодолитного хода на значительное расстояние. Точку II теодолитного хода (см. рис. 17, а) принимают за полюс, сторону II-III - за полярную ось. На точке II устанавливают теодолит и измеряют полярный угол между полярной осью II-III и радиусом-вектором II-Д. Если до начала измерения угла на точке II совместить нуль лимба с нулем алидады и вращением лимба навести визирную ось зрительной трубы на точку III, а затем при неподвижном лимбе визировать на точку Д, то отсчет по лимбу будет полярным углом b. Угол b измеряют при одном положении вертикального круга. Если полярным способом выполняют съемку нескольких точек, то последнее наведение делают снова на начальное направление - точку III. Радиус-вектор измеряют лентой, стальной рулеткой, нитяным или оптическим дальномером. Результаты измерений заносят в абрис.
Способ линейных засечек применяют в тех случаях, когда снимаемый контур удален от сторон или точек съемочного обоснования на расстояние, не превышающее длины мерного прибора.
С помощью теодолита контролируют уложение мерной ленты по створу стороны теодолитного хода, например III-IV (рис. 17, б). От точек L и N (см. рис. 17, б), совпадающих с делениями целых метров ленты, измеряют рулеткой расстояние до точки Е снимаемого контура.
Рекомендуется, чтобы треугольник LNE был близок к равностороннему, а его стороны не превышали длины мерного прибора.
Пересечение линий LE и NE определит положение точки Е на плане.
Для контроля правильности положения точки Е делают третий промер ME от точки М.
Способ угловых засечек применяют в основном при съемке труднодоступных точек местности. Принимая сторону теодолитного хода, например IV-V (рис. 17, в), за базис, последовательно устанавливают теодолит в точках IV и V. Приводят теодолит в рабочее положение и измеряют углы b4 и b5. Точка К является вершиной треугольника, построенного по стороне IV-V и углам b4 и b5.
Способ угловых засечек может применяться и со створных точек, расположенных на сторонах съемочного обоснования.
Способ створов применяется при съемке точек, расположенных в створе теодолитного хода. Предполагается наличие видимости между крайними точками. Положение снимаемых точек О и Р относительно точек теодолитного хода V и VI (рис. 17, г) определяют промерами от точки V до точек О и Р.
Перечисленными выше способами определяют положение характерных точек ситуации со станции съемки. Закончив измерения на одной станции, переходят на следующую.
Тахеометрическая съемка - один из видов наземной топографической съемки, выполняемой обычно на небольших участках местности с целью получения планов крупных масштабов для инженерных изысканий под строительство, планировку и благоустройство населенных мест. Широко применяется при съемке вытянутых полос местности, например, для изысканий под строительство каналов, линий электропередач, дорог, взлетных полос аэродромов и т.д.
Отличие тахеометрической съемки от горизонтальной состоит в том, что кроме съемки элементов ситуации и предметов местности производят съемку рельефа. Поэтому для точки, с которой выполняют тахеометрическую съемку, нужно знать высотную отметку.
Таблица 21 Журнал тахеометрической съемки
|
Станция II Наблюдал: Петров В.Н. Записывал: Иванов А.А. |
Дата: 18 июля 1985 г. Лимб ориентирован по стороне II-III Вычисления проверил: Сидоров Н.Н. |
Нст = 156,30 м i = 1,40 м |
|
Наблюдаемая точка |
Отсчет |
Место нуля МО |
Угол наклона |
Горизонтальное расстояние d, м |
Высота визирования v, м |
Превышение |
Отметка Н, м |
Примечание |
|||
|
по дальномеру D |
по горизонтальному кругу |
по вертикальному кругу |
h¢, м |
h = h¢ + i - v, м |
|||||||
|
1 |
2 |
3 |
4 |
5 |
6 |
7 |
8 |
9 |
10 |
11 |
12 |
|
III |
0°00¢ |
Круг лево |
|||||||||
|
1 |
84,8 |
192°28¢ |
358°24¢ |
кп |
-1°38¢ |
84,7 |
i |
-2,39 |
-2,39 |
153.91 |
|
|
2 |
26,0 |
132°32¢ |
2°40¢ |
358°26¢ |
+2°40¢ |
25,9 |
i |
+1,21 |
+1,21 |
157,51 |
|
|
3 |
34,6 |
141°20¢ |
1°54¢ |
кл |
+1°54¢ |
34,3 |
i |
+1,74 |
+1,16 |
157,46 |
|
|
4 |
37,8 |
118°59¢ |
2°38¢ |
1°34¢ |
+2°38¢ |
37,7 |
i |
+1,74 |
+1,74 |
158,04 |
|
|
5 |
33,2 |
96°28¢ |
3°12¢ |
МО |
+3°12¢ |
33,0 |
3,00 |
+1,84 |
-1,16 |
155,14 |
|
|
6 |
69,8 |
18°38¢ |
0°41¢ |
0°00¢ |
+0°41¢ |
69,6 |
2,50 |
+0,83 |
-1,67 |
154,63 |
|
|
... |
... |
... |
... |
... |
... |
... |
... |
... |
... |
... |
|
|
27 |
81,0 |
353°02¢ |
359°37¢ |
-0°23¢ |
81,0 |
i |
-0,55 |
-0,55 |
155,75 |
||
|
III |
0°02¢ |
||||||||||
В качестве съемочного обоснования тахеометрической съемки принимают теодолитно-нивелирные или тахеометрические ходы. Съемку предметов, контуров и рельефа местности производят полярным способом, а отметки точек определяют тригонометрическим нивелированием.
Все измерения выполняют при одном наведении зрительной трубы прибора на рейку. Плановое положение реечной точки определяют при измерении расстояния по дальномеру и взятии отсчета по ориентированному на начальное направление лимбу теодолита. Превышение определяют по углу наклона и расстоянию до точки.
Каждая бригада выполняет тахеометрическую съемку с точек планово-высотного обоснования и составляет план участка. Масштаб плана, высоту сечения, объем и сроки выполнения работ выдаются преподавателем в соответствии с рабочей программой практики.
Для выполнения работ бригада должна иметь тот же комплект приборов, принадлежностей и пособий, что и при горизонтальной съемке. Кроме этого, необходимо получить журналы тахеометрической съемки и тахеометрические таблицы.
Образец графика распределения обязанностей между членами бригады приведен в табл. 20.
Перед началом съемки выполняют все основные поверки теодолита.
Работу на станции ведут в следующей последовательности.
1. Устанавливают теодолит над точкой съемочного обоснования и приводят его в рабочее положение. Рулеткой или нивелирной рейкой с точностью до 0,01 м измеряют высоту теодолита i. Результат записывают в журнал тахеометрической съемки (табл. 21).
Для упрощения последующих вычислений рекомендуется высоту прибора i отмечать на рейке лентой или тесемкой яркого цвета и визировать на эту отметку.
2. Определяют место нуля вертикального круга и записывают его в журнал тахеометрической съемки в графу 5. Для работы удобно место нуля привести к нулю, чтобы не вводить поправки в отсчеты при определении углов наклона. Описание определения и исправления места нуля дано в § 5.
Рис. 18. Абрис тахеометрической съемки
3. Ориентируют лимб по направлению на одну из точек съемочного обоснования. Так как все последующие измерения на станции будут выполняться при одном положении вертикального круга, целесообразно ориентирование теодолита осуществить при положении вертикального круга слева. При этом совмещают отсчетный индекс алидады с нулевым штрихом лимба горизонтального круга, закрепляют алидаду и, вращая лимб, визируют на выбранную точку съемочного обоснования. После этого закрепляют лимб.
В данном положении для измерения углов на станции достаточно открепить алидаду, навести зрительную трубу на рейку и взять отсчет по горизонтальному кругу.
4. На каждой станции наблюдатель, реечник и записывающий осматривают участок съемки, выявляют характерные точки ситуации и рельефа. Записывающий составляет абрис (рис. 18).
На абрисе показывают положение станции (место установки прибора), направления на смежные точки съемочного обоснования, снимаемые предметы и контуры местности, расположение реечных точек. Реечные точки имеют сквозную нумерацию на всем строительном участке от первой до последней станции.
При съемке ситуации реечные точки должны быть на всех поворотах контура. Контур принимают за прямую линию в том случае, если лежащие на нем точки отклоняются от прямой на величину не более двойной точности масштаба. Обход по контуру объекта съемки поручают только одному реечнику. Переход на другой контур делается по команде наблюдателя.
При съемке рельефа реечные точки располагают на характерных для рельефа формах - на вершинах, точках перегиба ската и т.д. Их распределяют равномерно (через 2,5 - 3 см на плане) по всему участку. Особое внимание следует уделить выявлению участков равномерных скатов местности, которые будут использоваться для интерполяции горизонталей. Направление ската показывают на абрисе стрелками.
При составлении абриса записывающий и реечник намечают последовательность перехода с одной точки на другую и договариваются о системе команд с помощью жестов. Обычно намечают следующие основные команды: установить рейку на точку, наклонить ее влево или вправо, показать черную сторону рейки, перейти на следующую точку, вернуться на предшествующую точку, работы на станции закончить.
5. Последовательно устанавливать рейку на все намеченные точки. При визировании на рейку вертикальную нить сетки совмещают с осью рейки, а горизонтальную - с меткой, соответствующей высоте прибора. Если эта метка не видна, то наводят среднюю нить на отсчет х по рейке и записывают его в графу 8 журнала.
Отсчеты берут в следующей последовательности:
по дальномеру (с точностью до 0,1 м);
по вертикальному кругу (с точностью до 1¢);
по горизонтальному кругу (с точностью до 5¢).
Результаты наблюдений записывают в тахеометрический журнал соответственно в графы 2, 4, 3. Номер реечной точки в журнале и абрисе должен совпадать.
После снятия отсчета по вертикальному кругу можно давать команду реечнику переходить на следующую точку.
6. По окончании работ на станции для контроля вновь визируют по начальному направлению и записывают отсчет в графу 3. Расхождение с начальным направлением не должно превышать 3¢. При больших расхождениях наблюдения на станции повторяют.
Обработка журнала тахеометрической съемки начинается с проверки записей в полевых журналах и абрисах. Вычисления в журнале для каждой станции проводят следующим образом.
1. По формулам (4) вычисляют место нуля и записывают в графу 5 (см. табл. 21).
2. По формулам (4) вычисляют углы наклона и записывают значения v в графу 6.
3. Определяют горизонтальное проложение линии, значение d округляют до 0,1 м и записывают в графу 7.
Горизонтальные проложения вычисляют на микрокалькуляторе типа Б3-36 или выбирают из тахеометрических таблиц. Вычисление осуществляют по формуле
d = Dcos2v.
Следует помнить, что угол наклона необходимо выразить в градусах дуги и ее долях, а переключатель микрокалькулятора должен находиться в положении «ГРАД».
Пример вычисления d реечной точки (см. табл. 21): D = 84,8 м и v = -1°38¢; клавиши микрокалькулятора нажимают в такой последовательности: 38 ¸ 60 = +1 = F cos F х2 ´ 84,8 = и получают d = 84,7 м.
При выборе значений горизонтальных проложений по тахеометрическим таблицам [5] находят страницу, содержащую значение заданного наклонного расстояния D и в нижней части страницы в табличке горизонтальных проложений по углу наклона выбирают значение d0 для целого числа метров в наклонном расстоянии, а десятые доли метра оставляют без изменения.
В нашем примере для целой части метров в наклонном расстоянии D0 = 84 м по углу наклона v » 1°40¢ находим значение d0 = 83,9 м. Прибавляя к нему дробную часть 0,8 м, окончательно получим d = 83,9 + 0,8 = 84,7 м.
4. Вычисляют превышения между станцией и реечными точками по формуле
h = h¢ + i - υ. (20)
Величину h¢ = (D/2)sin2v вычисляют на микрокалькуляторе или находят с помощью тахеометрических таблиц. Значение h¢ записывают в графу 9.
При вычислении h¢ на микрокалькуляторе угол наклона предварительно переводят в доли градуса, а переключатель микрокалькулятора устанавливают в положение «ГРАД».
Для рассматриваемого нами примера клавиши микрокалькулятора нажимают в такой последовательности:
38 ¸ 60 = + = ´ 2 = /-/ F sin ´ 84,8 = ¸ 2
и получают h¢ = -2,42 м.
Для микрокалькуляторов без клавиши перемены знака «/-/» все вычисления выполняют с положительными значениями, а превышению h¢ приписывают знаки угла наклона v.
При определении превышений по тахеометрическим таблицам находят страницу, содержащую целое число метров D0 наклонного расстояния, и на пересечении столбца, подписанного значением D0, и строки, соответствующей углу наклона v, выбирают значение h0. Поправку на десятые доли метра в наклонном расстоянии находят в средней интерполяционной табличке. В левой части этой таблички даны десятые доли метра, в правой - поправки в превышение в сотых долях метра.
В нашем примере по значениям D0 = 84 и v = 1°38¢ находим h0 = 2,39 м. По интерполяционной табличке выбираем значение поправки -2 см. Тогда h¢ = -2,39 - 0,02 = -2,41 м.
Далее в графе 10 журнала тахеометрической съемки вычисляют превышение h = h¢ + i - υ. Если при измерении угла наклона, визируют на высоту прибора, i = υ и h = h¢.
4. Вычисляют отметки реечных точек по формуле
Hi = Нст + hi,
где Нст - отметка станции, полученная из геометрического нивелирования (в табл. 21 Нст = 156,30); hi - превышение между станцией и реечной точкой (табл. 21, графа 10).
Отметки реечных точек вычисляют с точностью 0,01 м.
Составление топографического плана строительного участка включает: построение координатной сетки, нанесение на план точек теодолитного хода, построение контуров местности по результатам горизонтальной и тахеометрической съемок, проведение горизонталей и оформление плана.
Планы горизонтальной и тахеометрической съемок составляют в масштабах 1:500 - 1:2000 (масштаб плана устанавливает преподаватель). Высоту сечения рельефа в зависимости от условий местности при тахеометрической съемке принимают 0,5 или 1,0 м.
Все построения выполняют на листе чертежной бумаги, размер которой определяют по значениям координат точек съемочного обоснования и заданному масштабу плана.
Построение координатной сетки
При небольших размерах планов построение координатной сетки выполняют с помощью измерителя и масштабной линейки.
На листе чертежной бумаги с помощью металлической линейки проводят диагонали. От точки пересечения диагоналей по всем четырем направлениям откладывают равные отрезки (рис. 19). Концы отрезков соединяют прямыми линиями, на сторонах полученного прямоугольника откладывают при помощи циркуля-измерителя отрезки длиной 10 см. Соединив соответствующие точки противоположных сторон прямоугольника, получают сетку квадратов.
Контроль правильности построения координатной сетки осуществляют сравнением длин сторон и диагоналей квадратов. Расхождения не должны превышать 0,2 мм.
При значительных размерах планов координатную сетку строят при помощи специальной линейки ЛД-1 или на координатографе (рис. 20, а). ЛД-1 - это металлическая линейка, одно ребро которой скошено. Вдоль линейки вырезаны шесть окошек, один край которых скошен. Середина скошенного края в первом (левом) окошке служит началом отсчета. Все скошенные края других окошек представляют дуги радиусов 10, 20, 30, 40 и 50 см, центр которых совпадает с нулем первого окошка. Скошенный край конца линейки является дугой окружности радиуса 70, 71 см, что соответствует диагонали квадрата со стороной 50 см.
Рис. 19. Координатная сетка, построенная при помощи измерителя и линейки
Рис. 20. Порядок построения координатной сетки при помощи линейки ЛД-1
Построение координатной сетки линейкой ЛД-1 выполняют следующим образом. Отступив от нижнего края листа бумаги на 5 - 7 см, проводят по скошенному ребру линейки тонкую линию АВ (рис. 20, б). Накладывают на эту линию линейку так, чтобы нулевой штрих первого окошка совпадал с линией, а в остальных была видна прочерченная линия, и проводят по скошенным краям шести окошек короткие черточки, получают пять интервалов по 10 см. Прикладывают линейку перпендикулярно к начальной линии, соединяют нулевой штрих первого окошечка с точкой А и прочерчивают дуги по скошенным краям всех окошек (рис. 20, в). Прикладывают нулевой штрих линейки к точке В и по концу линейки (рис. 20, г) находят пересечение с последней (шестой) чертой, сделанной ранее. В пересечении получают точку С.
Аналогично производят построение треугольника с прямым углом в точке В и получают D (рис. 20, д; е).
Прикладывают линейку к линии CD и прочерчивают короткие штрихи по скошенным краям окошек. Соединив точки А и С, С и D, D и В, а также одноименные точки на противоположных сторонах прямоугольника ABCD, получают сетку квадратов (рис. 20, ж).
Для контроля скошенное ребро линейки прикладывают к вершинам квадратов одного ряда. Все вершины должны лежать на прямой линии. Кроме того, с помощью измерителя сравнивают длины сторон и диагоналей квадратов. Погрешности построения не должны превышать 0,2 мм.
Для построения сетки из 12 квадратов, например 3´4 см, можно также использовать два прямоугольных треугольника со сторонами 30, 40 и 50 см.
Построенную сетку подписывают по осям X и Y в соответствии с расположением участка и масштабом плана. Начало координат выбирают так, чтобы строительный участок разместился в середине листа бумаги.
Нанесение на план точек теодолитного хода
Точки съемочного обоснования наносят на план по координатам с помощью измерителя и масштабной линейки.
По координатам точек съемочного обоснования находят квадрат, в котором должна располагаться данная точка. Например, точка I теодолитного хода с координатами хI = 593,77 м и уI = 327,62 м, находится в квадрате абвг (см. рис. 19). От точек а и г, абсциссы которых равны 550 м, откладываем измерителем с помощью масштабной линейки отрезки am и гп, равные 43,77 м, в соответствующем масштабе и соединяем полученные точки прямой линией тп. От точки т по линии тп откладывают отрезок 27,62 м и получают точку I.
Аналогично выполняют построение всех других точек съемочного обоснования. Каждую точку накалывают и обводят кружком диаметром 1,5 мм.
Правильность построения точек контролируют, сравнивая расстояния между ними, измеренные на плане и записанные в графе б ведомостей вычислений координат (см. табл. 12 и 16). Расхождения больше 0,3 мм не допускаются.
После контрольных измерений полученные точки теодолитного хода соединяют тонкими линиями. Построенное плановое обоснование служит опорой для нанесения контуров местности и реечных точек.
Построение контуров местности
При горизонтальной съемке построение на плане характерных точек ситуации осуществляют в зависимости от способа съемки.
При способе прямоугольных координат от начала опорной линии, построенной на плане, откладывают в соответствующе масштабе расстояния до оснований перпендикуляров. В полученных точках восставляют при помощи треугольника перпендикуляры и откладывают на них обозначенные на абрисе отрезки. Сверяясь с абрисом, соединяют линиями соответствующие точки и получают контуры зданий, угодий, дорог и т.п.
Точки контуров, снятых полярным способом, а также реечные точки тахеометрической съемки наносят на план при помощи транспортира и измерителя. Центр транспортира совмещают с точкой, принятой за полюс, а нулевой диаметр транспортира устанавливают по начальному (исходному) направлению. От этого направления по шкале транспортира на значениях, соответствующих полярным углам, ставят карандашом на плане точки. После этого полюсную точку соединяют с полученными точками прямыми линиями и откладывают на них от полюса в соответствующем масштабе полярные расстояния. При горизонтальной съемке все данные выбирают из абриса, при тахеометрической - значения углов выбирают из графы 3 журнала тахеометрической съемки, а полярные расстояния - из графы 7.
Рис. 21. Вспомогательные чертежные инструменты:
а - круглый транспортир; б - тахеограф
При способе угловых засечек нанесение точек на план выполняют при построении транспортиром углов на концах базисной линии. Пересечение сторон углов дает положение искомой точки.
Нанесение на план точек, определенных линейной засечкой, выполняют при помощи измерителя и масштабной линейки. Задача решается построением треугольника по трем сторонам, длины которых измерены на местности.
При построении контуров внимательно изучают абрис, чтобы не пропустить точку или не перепутать ее принадлежность к контуру. Если форма контура вызывает сомнение, то необходимо на местности выполнить контрольные (дополнительные) измерения.
При построении контуров внимательно изучают абчек на план все вспомогательные построения выполняют тонкими линиями, которые в последующем стирают. Значения углов и расстояний на план не выписывают.
Наносить на план реечные точки лучше с помощью круглого транспортира (рис. 21, а) или тахеографа (рис. 21, б). Обычно используют тахеографы с ценой деления окружности 30¢ и линейкой с миллиметровыми делениями. При составлении плана центр окружности тахеографа совмещают с точкой планового обоснования, по начальному (исходному) направлению ориентируют нулевой диаметр тахеографа и откладывают полярный угол на данную реечную точку, а по линейке в соответствующем масштабе откладывают расстояние и накалывают точку. Около точки в числителе выписывают номер реечной точки, а в знаменателе - отметку с точностью до 0,1 м. Отметки пунктов высотного обоснования выписывают на план с точностью до 0,01 м.
Проведение на плане горизонталей
Проведение горизонталей по отметкам точек начинают с определения отметок горизонталей. Отметки горизонталей должны быть кратны высоте сечения рельефа. Так, при высоте сечения в 1 м горизонтали должны иметь отметки 0, 1, 2, 3, ..., т.е. кратны одному метру.
Для проведения горизонталей по линиям равномерного ската, отмеченного на абрисе стрелками, положение горизонталей определяют способом графического интерполирования. Для этого на листе прозрачной бумаги (восковки) прочерчивают через равные промежутки параллельные линии. Эти линии подписывают значениями, соответствующими отметкам горизонталей на участке. Восковку накладывают на интерполируемую линию плана и поворачивают ее так, чтобы конечные точки линии занимали на восковке места, соответствующие значениям их отметок (рис. 22). Закрепив в этом положении восковку, перекалывают иглой на план точки пересечений линии на восковке с линией на плане и подписывают их отметки, Аналогично выполняют интерполяцию по всем остальным линиям, указанным на абрисе. Точки с одинаковыми отметками соединяют плавными линиями - горизонталями.
Составленный в карандаше план перед вычерчиванием корректируют в поле, сравнивая его с местностью. Одновременно под руководством преподавателя осуществляют контроль определения положения контуров и горизонталей с оценкой качества работы.
Оформление плана осуществляют в соответствии с Условными знаками для топографических планов масштаба 1:500 [20] (прил. 5).
Оформление начинают с построения рамки (рис. 23) таким образом, чтобы план разместился примерно посредине. Внутренняя граница рамки может совпадать со сторонами квадратов, либо ее смещают на целое число сантиметров. Координаты всех углов рамки подписывают.
Рис. 22. Схема линейного интерполирования
Рис. 23. Рамка и зарамочное оформление топографического плана
Затем вычерчивают ситуацию участка в условных знаках черной тушью (кроме специально выделенных), тщательно выдерживая их размеры и рисунок.
Далее приступают к изображению рельефа. Горизонтали вычерчивают тушью или акварелью коричневого цвета (жженая сиена) толщиной 0,01 мм. Отметки горизонталей, кратные четырем сечениям рельефа, записывают в разрывах горизонталей; при этом верх цифр должен быть обращен в сторону повышения местности. Отметки точек съемочного обоснования выполняют черным цветом, а реечных точек - коричневым. Горизонтали, кратные десяти сечениям рельефа, утолщают в 2,5 раза.
Образцы оформления плана строительного участка даны в прил. 6.
После завершения работ по топографической съемке бригада представляет:
полевые журналы измерений горизонтальных углов, наклона и длин линий;
полевые журналы геометрического и тригонометрического нивелирования;
абрисы горизонтальной съемки;
абрисы и журналы тахеометрической съемки;
ведомости вычислений координат и отметок точек съемочного обоснования;
план участка местности с результатами контрольных измерений.
В процессе строительства первоначальная поверхность стройплощадки изменяется. Оставшийся по окончании строительных работ грунт препятствует стоку дождевых вод. Поэтому важное место в строительном производстве занимает организация рельефа, т.е. вертикальная планировка.
Вертикальной планировкой называют преобразование существующего (естественного) рельефа в проектный (искусственный), отвечающий требованиям строительства и благоустройства территории. Вертикальная планировка заключается в замене реальной поверхности оформляющими наклонными и горизонтальными плоскостями, иногда криволинейными поверхностями различного порядка. Выбор проектной поверхности при проектировании определяется особенностями строительства и благоустройства с учетом экономических показателей и требований нормативных документов.
Вертикальную планировку подразделяют на:
планировку при внутриквартальной застройке, строительстве спортивных сооружений, внутризаводских территорий и т.п.;
планировку, выполняемую при строительстве линейных сооружений, отличающихся малой площадью и значительной протяженностью (дороги, каналы и др.).
Планировочные работы, производимые на местности землеройными машинами и механизмами в соответствии с проектом, по существу заключаются в образовании выемок и насыпей. Наибольший экономический эффект при планировке получают тогда, когда работы производят с учетом баланса земляных работ (нулевого баланса), т.е. когда объемы грунта насыпей и выемок равны между собой. В этом случае при планировочных работах избыточный грунт не вывозят и не привозят недостающий, а перемещают его на планируемом участке.
В процессе проектирования планировки определяют объем грунта (объем земляных работ), который должен быть вынут и насыпан. В дальнейшем, учитывая объем земляных работ, соответствующими расчетами определяют сметную стоимость планировочных работ.
Графической основой для составления проекта вертикальной планировки служит топографический план, получаемый в результате съемки местности. Чаще всего в качестве основы для разработки проекта используют материалы съемки, называемой нивелирование поверхности.
При нивелировании поверхности съемку рельефа выполняют геометрическим нивелированием, т.е. отметки точек поверхности определяют горизонтальным визирным лучом. Поэтому этот вид съемки применяют обычно на открытой местности со слабо выраженным рельефом. В зависимости от вида съемочного обоснования нивелирование поверхности может быть выполнено различными способами. В условиях строительной площадки применяют, как правило, способ нивелирования по квадратам и полярный способ.
Задача: усвоить методику нивелирования по квадратам и составления отчетной документации, приобрести устойчивые навыки в работе с геодезическими приборами.
Приборы и принадлежности: теодолит и нивелир или один теодолит с уровнем при трубе (например теодолиты Т15К, Т5К, 2Т5К, которыми можно производить геометрическое нивелирование), нивелирные рейки, вешки, стальная 20-метровая лента или рулетка, колышки, молоток, рабочая тетрадь, микрокалькулятор, пособия и чертежные инструменты.
Последовательность работ при выполнении задания:
рекогносцировка участка съемки;
разбивка сетки квадратов и съемка ситуации;
планово-высотная привязка сетки квадратов;
съемка рельефа;
расчетно-графические работы.
Рекогносцировка участка съемки. На этом этапе работ оценивают возможность без помех разбить сетку квадратов и произвести геометрическое нивелирование, выбирают начальное направление одной из сторон сетки, станции, связующие точки, а также оптимальный вариант привязки сетки квадратов к пунктам плановой и высотной геодезической сети.
Разбивка сетки квадратов и съемка ситуации. В зависимости от масштаба съемки и рельефа местности стороны квадратов принимают равными 10, 20, 40 м и более. При выполнении учебного задания - составлении плана в масштабе 1:5000 с высотой сечения рельефа 0,25 м - целесообразно принять сторону квадрата равной 20 м. Объем работы (количество квадратов) назначается преподавателем в соответствии с рабочей программой практики.
Последовательность операций проиллюстрируем на примере построения сетки из 15 квадратов со сторонами 20 м (рис. 24).
За начальное направление выбирают линию А1 - А6. В створе этой линии забивают через 20 м колышки, т.е. закрепляют точки А1, А2, ..., А6. В точках А1 и А6 строят прямые углы и откладывают отрезки А1 - Г1 и А6 - Г6 (учитывают поправки в длину отрезка). Подробно методика построения углов и отрезков дана в § 21, 22.
Затем фиксируют колышками точки Г1 и Г6. Для контроля измеряют сторону Г1 - Г6. Если длина ее не отличается от проектной более чем на 1:2000 (для нашего примера при длине Г1 - Г6, равной 100 м, - не более чем на 5 см), то производят разбивку точек Б1, В1, Б6, В6, Г2, Г3, Г4, Г5 и вешением в соответствующих створах - точек Б2, Б3, Б4, Б5 и В2, В3, В4, В5.
Рис. 24. Схема нивелирования по квадратам
Разбивку внутренних точек (вершин квадратов можно осуществить и другими способами, например при помощи стальных тросиков, размеченных через 20 м. Один тросик натягивают между точками Б1 и Б6, а второй - между точками А2 и Г2. Пересечение двух тросиков, т.е. точку Б2, фиксируют колышком, затем второй тросик переносят и натягивают между A3 и Г3 и фиксируют точку В3 и так далее. Колышки забивают вровень с землей.
Для выявления грубых ошибок в длинах при измерении и построении отрезков целесообразно применить нитяный дальномер. Он позволит с достаточной степенью точности оценить результаты измерений и построений.
Съемку ситуации производят от вершин квадратов способами прямоугольных координат и линейных засечек, а также способом створов по сторонам квадратов сетки (см. § 3). Результаты съемки элементов ситуации, их расположение на участке и направления скатов местности показывают на абрисе.
Планово-высотная привязка сетки квадратов. Для того чтобы топографический план был построен в принятой системе координат и высот, съемочное обоснование должно быть привязано к опорной геодезической сети. С этой целью сетка квадратов, являющаяся съемочным обоснованием, соединяется привязочными ходами с пунктами плановой и высотной опоры. Обычно в качестве плановой привязки применяют теодолитный ход, в качестве высотной - нивелирный. Однако чаще прокладывают совмещенный теодолитно-нивелирный ход (о проложении привязочных ходов см. § 11, 12).
В случае, когда топографический план небольшого участка местности составляют в условной системе координат, сетку квадратов ориентируют по магнитной стрелке.
В нашем примере высота на точку A3 (рис. 24) была передана нивелирным ходом и получена отметка 150,074 м.
Съемка рельефа. Перед началом съемки дополнительно рекогносцируют участок, чтобы наметить станции и выбрать связующие точки. Места для станций выбирают так, чтобы с каждой из них можно было выполнить нивелирование вершин нескольких квадратов. При этом каждые две смежные станции должны иметь общие связующие точки, которые необходимы для передачи отметок на последующие станции. В нашем примере три станции (см. рис. 24), причем для станций I и II связующими выбраны точки В1 и В2, для II и III - точки В4 и Г4, для III и I - A3 и Б3. Пунктирные линии, соединяющие станции с соответствующими вершинами квадратов, схематично изображают визирные линии при нивелировании вершин. На схеме видно, что связующие точки нивелируют дважды со смежных станций (стороны квадратов со связующими точками выделены жирными линиями).
При нивелировании вершин квадратов рейку устанавливают на колышек и берут отсчеты по черной и красной сторонам. Контроль правильности взятия отсчетов осуществляют по разности нулей РО, определяемой при исследовании реек (см. § 7). Разность отсчетов по красной и черной сторонам при нивелировании по абсолютной величине не должна отличаться от РО более чем на 4 мм. Если это условие не выполняется, то отсчеты по рейке повторяют. Все отсчеты записывают на схему квадратов (см. рис. 24) около соответствующей вершины.
Полевой контроль выполняют также и на связующих точках. Каждая из них имеет два отсчета, полученных со смежных станций. Так, вершина A3 имеет отсчет 1613 при нивелировании со станции I и 2037 - со станции III, вершина Б3: 1566 - со станции I и 1991 - со станций III. Правильность отсчетов контролируют, сравнивая суммы накрест лежащих отсчетов. Суммы не должны отличаться друг от друга более чем на ±5 мм. Например, для связующей стороны А3 - Б3: (1566 + 2037) - (1991 + 1613) = 3603 - 3604 = -1 мм. Аналогично выполняют контроль и по другим связующим сторонам. Если разность сумм больше величины 5 мм, нивелирование связующих точек со смежных станций, повторяют.
Расчетно-графические работы. На схеме выделяют опорный замкнутый ход, проходящий по связующим точкам, и в результате соответствующих вычислений получают отметки связующих точек.
В нашем примере опорный ход составлен из вершин A3 (на которую нивелирным ходом передана отметка 150,074), В1 и Г4. Превышение между A3 и Б1: 1613 - 1965 = -352 мм = -0,352 м; между В1 и Г4: 1485 - 0635 = +0,850; между Г4 и A3: 1536 - 2037 = -0,501.
Далее составляют ведомость вычислений и получают отметки связующих точек НВ1 = 149,722 и НГ4 = 150,573, которые нужны для вычисления горизонта прибора и отметок вершин квадратов. Ведомость вычислений составляют так же, как для вычисления отметок нивелирного хода (см. табл. 21).
Горизонт прибора для каждой станции вычисляют дважды: по формулам ГПч = Н + ач и ГПк = Н + ак, где Н - отметка репера или связующей точки; ач - отсчет по черной и ак - отсчет по красной сторонам рейки, установленной в определяемой точке.
Так, при нивелировании со станции I: ГПч = 150,074 + 1,613 = 151,687; ГПк = 150,074 + 6,295 = 156,369;
для станции II: ГПч = 149,722 + 1,485 = 151,207; ГПк = 149,722 + 6,166 = 155,888;
для станции III: ГПч = 150,573 + 1,536 = 152,109; ГПк = 150,573 + 6,217 = 156,790.
Фактические отметки вершин квадратов вычисляют по формулам Нч = ГПч - вч и Нк = ГПк - вк, где вч и вк - отсчеты по черной и красной сторонам рейки, установленной в вершине квадрата. Нч и Нк не должны отличаться друг от друга более чем на 5 мм. Если это условие выполнено, то вычисляют среднее значение Нср = (Нч + Нк)/2. Величина Нср является горизонтом прибора, единым для группы вершин, которые наблюдались с одной станции. Так, фактическую отметку Нср вершины А1 можно рассчитать следующим образом: НА1,ч = 151,687 - 1,898 = 149,789; НА1,к = 156,369 - 6,582 = 149,787. Тогда НА1,ср = (149,789 + 149,787)/2 = 149,788. Аналогично вычисляют отметки вершин А1, Б1, Б2, Б3, B1, B2, наблюдаемые со станции I.
Процесс составления плана по результатам нивелирования поверхности по квадратам аналогичен построению топографического плана по материалам горизонтальной и тахеометрической съемок (см. § 15). На листе чертежной бумаги по координатам X и Y строят одну из сторон сетки, примыкающую к привязочному теодолитному ходу. На этой стороне, являющейся основанием, строят квадраты со стороной 4 см, что соответствует длине стороны 20 м, в масштабе 1:500.
Если план составляют в условной системе координат, то при построении сетку располагают параллельно кромкам листа. Для того чтобы отразить ориентирование сетки по магнитному меридиану, на плане показывают стрелкой направление север-юг.
По данным абриса строят ситуацию, около каждой вершины квадрата выписывают ее отметку, округленную до 0,01 мм. Интерполируя по направлениям, указанным в абрисе, проводят горизонтали (см. § 14). План вычерчивают в соответствии с Условными знаками топографических планов масштаба 1:500.
Распределение обязанностей в бригаде то же, что при тахеометрической съемке.
Перечень материалов, подлежащих сдаче: схема нивелирования по квадратам (содержание схемы должно соответствовать рис. 24); абрис; топографический план местности в масштабе 1:500.
Исходными данными при проектировании вертикальной планировки участка являются фактические (черные) отметки вершин квадратов, полученные в результате нивелирований поверхности. В § 16 отмечалось, что реальная поверхность участка может быть преобразована в проектную при помощи оформляющих плоскостей. Ниже рассматриваются простейшие случаи проектирования.
Задача: по результатам нивелирования по квадратам произвести геодезические расчеты при проектировании горизонтальной площадки при условии баланса земляных работ.
Приборы и принадлежности: микрокалькулятор, рабочая тетрадь, миллиметровая бумага, цветные и простой карандаши, шариковая ручка, линейка.
Последовательность работ при выполнении задания:
составление схемы участка;
вычисление проектной отметки горизонтальной площадки;
составление картограммы земляных работ;
вычисление объема земляных работ.
Составление схемы участка. На миллиметровой бумаге составляют в произвольном масштабе схему, подобную сетке квадратов при нивелировании поверхности. Около вершин квадратов выписывают их абсолютные отметки, полученные в результате нивелирования (рис. 25). Под фактической отметкой Нф записана условная h, которую вычисляют так: из всех фактических отметок выбирают наименьшую Hmin, затем по формуле h = Нф - Hmin вычисляют условные отметки.
Пример. Н = 149,72 (вершина В1). Таким образом, для вершины A1: h = 149,79 - 149,72 = 0,07; для А2: h = 149,95 - 149,72 = 0,23; для A3: h = 150,07 - 149,72 = 0,35 и т.д.
Наиболее удобно эти вычисления выполнять на микрокалькуляторе с использованием в качестве константы величины Hmin.
Для нашего примера последовательность нажатия клавиш следующая:
149,79 - 149,72 = (ответ 007 выписываем на схему);
149,95 = (ответ 0,23 выписываем на схему);
150,07 = (ответ 0,35 выписываем на схему).
Рис. 25. Схема участка с отметками вершин квадратов
Рис. 26. Картограмма земляных работ при проектировании горизонтальной площадки
Вычисление проектной отметки горизонтальной площадки. Отметку Нп горизонтальной площадки вычисляют по формуле
Hп = Hmin + (Sh1 + 2Sh2 + 3Sh3 + 4Sh4)/4n,
где Sh1 - сумма условных отметок вершин, относящихся только к одному квадрату (в нашем примере h1 - это отметки вершин A1, А6, Г1 и Г6); Sh2 - сумма условных отметок вершин, относящихся к двум смежным квадратам, такими отметками будут условные отметки вершин А2, A3, А4, А5, Б1, В1, Г2 и т.д.; Sh3 - сумма условных отметок вершин, относящихся к трем смежным квадратам (таких вершин на рис. 25 нет); Sh4 - сумма условных отметок вершин, относящихся к четырем смежным квадратам, это отметки вершин Б2, Б3, Б4 и т.д.; n - число квадратов.
Для нашего примера проектная отметка равна Нп = 150,25.
Составление картограммы земляных работ. На миллиметровой бумаге в масштабе 1:500 составляют схему в виде сетки квадратов (рис. 26). У вершин квадратов выписывают соответствующие рабочие отметки hр, вычисляемые по формуле hp = Hп - Нф. Так, для вершины А1: hр = 150,25 - 149,79 = 0,46; для А2: 150,25 - 149,95 = 0,30 и т.д. Процесс вычисления на микрокалькуляторе аналогичен процессу вычисления условных отметок для схемы участка.
Определяют положение линии нулевых работ, т.е. линии пересечения проектной плоскости с реальной поверхностью. Для этого на сетке квадратов находят точки нулевых работ, они располагаются на тех сторонах квадратов, вершины которых имеют рабочие отметки с противоположными знаками. В нашем примере такими сторонами являются А4-А5, А4-Б4 и т.д. Расстояния l1 и l2 от точек нулевых работ до вершин квадрата вычисляют по формулам
![]()
где а
- сторона квадрата, обычно равная 20 м;
и
- абсолютные
значения рабочих отметок. Контроль правильности вычисления l1 и l2 осуществляют
по формуле l1 + l2 = a.
Пример. В нашем случае для точки, нулевых работ на стороне А4-А5: l1 = 20×0,02/(0,02 + 0,10) = 3,3 м; l2 = 20´0,10/(0,02 + 0,10) = 16,7 и l1 + l2 = 3,3 + 16,7 = 20 м.
На микрокалькуляторе l1 и l2 удобно вычислять по схеме:
, 0,2 + , 10 - F ЗАП 20 ´ , 02 ¸ F ИП = (результат 3,33);
20 ´ , 10 ¸ F ИП = (результат 16,67).
Аналогично вычисляют l1 и l2 для других точек нулевых работ. Значения l1 и l2, округленные до 0,1 м, выписывают на соответствующих сторонах квадратов. Отложив на стороне значение l в масштабе 1:500, определяют положение точки нулевых работ. Далее точки соединяют и получают линию нулевых работ. На рис. 26 она показана пунктирной линией. Составление картограммы завершают обозначением фигур, являющихся основанием земляных призм. Основанием призм могут быть «чистые» квадраты, вершины которых имеют рабочие отметки с одним знаком, и «переходные», по которым проходит линия нулевых работ. «Переходные» квадраты разбивают на треугольники, затем все фигуры обозначают цифрами в кружках.
Вычисление объемов земляных работ. Объем земляной призмы V вычисляют по формуле V = Рhср, где Р - площадь основания призмы (фигуры на картограмме), hср - средняя рабочая отметка.
Площадь «чистых» квадратов равна Р = а2, где а - сторона квадрата (в нашем примере а = 20 м); площадь треугольника равна полусумме произведения его основания на высоту. Так, для фигуры 2 основанием может быть а, а высотой l = 15,4 м, (см. рис. 26), для фигуры 3 основанием и высотой является а, для фигуры 4 - основанием будет l1 сторона В3-Г3, равная 13,3 м, а высотой - l2 сторона В2-В3, равная 4,6 м. Таким образом, площади фигур 1, 2, 3 и 4 равны соответственного 20´20 = 400,0 м2; (20,0´15,4)/2 = 154,0 м2; (20,0´20,0)/2 = 200,0 м2 и (13,3´4,6)/2 = 30,6 м2.
Средняя рабочая отметка hср является высотой земляной призмы. Ее вычисляют по формуле hср = (Shp)/ki, где Shp - сумма рабочих отметок вершин фигуры, ki - число вершин в i-й фигуре.
Пример. Для фигуры 1: hcp = +(0,41 + 0,20 + 0,42 + 0,53)/4 = +0,39 м.
Для фигуры 2: hcp = +(0,12 + 0,00 + 0,00)/3 = +0,04.
Все расчеты удобно производить на микрокалькуляторе, причем значения площадей Р и объемов V округляют до 0,1 м3, а средних рабочих отметок hcp до 0,01 м.
По мере вычисление полученные значения Р, hcp и объемов V заносят в Ведомость вычислений объемов земляных работ (табл. 22).
Правильность вычисления площади фигур контролируют при
суммировании
, где Р - площадь
квадрата; п - число квадратов. Расхождение суммарных объемов выемки и
насыпи равно
DV = S(-V) - S(+V) = 830,1 - 806,8 = 23,3 м3,
что в процентном отношении к объему земляных работ составит (DV 100 %)/V = (23,3×100)/1636,9 = 0,014 = 1,4 %. Предельное расхождение допускается не более 3 %.
Таблица 22. Ведомость вычислений объемов земляных работ
|
Площадь фигуры, м2 |
Средняя рабочая отметка, м |
Объем земляных работ, м3 |
||
|
выемка (-) |
насыпь (+) |
|||
|
1 |
2 |
3 |
4 |
5 |
|
1 |
400,0 |
+0,39 |
156,0 |
|
|
2 |
154,0 |
+0,21 |
32,3 |
|
|
3 |
200,0 |
+0,18 |
36,0 |
|
|
4 |
30,6 |
+0,04 |
1,2 |
|
|
5 |
15,4 |
-0,02 |
0,3 |
|
|
6 |
67,0 |
-0,13 |
8,7 |
|
|
7 |
63,8 |
+0,04 |
2,6 |
|
|
8 |
69,2 |
-0,04 |
2,8 |
|
|
9 |
200,0 |
-0,15 |
30,0 |
|
|
10 |
400,0 |
-0,36 |
144,0 |
|
|
11 |
400,0 |
-0,63 |
252,0 |
|
|
12 |
400,0 |
+0,45 |
180,0 |
|
|
13 |
400,0 |
+0,25 |
100,0 |
|
|
14 |
96,0 |
+0,08 |
7,7 |
|
|
15 |
153,0 |
+0,04 |
6,1 |
|
|
16 |
104,0 |
-0,04 |
4,2 |
|
|
17 |
47,0 |
-0,06 |
2,8 |
|
|
18 |
400,0 |
-0,21 |
84,0 |
|
|
19 |
400,0 |
-0,42 |
168,0 |
|
|
20 |
400,0 |
+0,40 |
160,0 |
|
|
21 |
400,0 |
+0,24 |
96,0 |
|
|
22 |
67,0 |
+0,07 |
4,7 |
|
|
23 |
200,0 |
+0,10 |
20,0 |
|
|
24 |
101,7 |
+0,04 |
4,1 |
|
|
25 |
31,3 |
-0,01 |
0,3 |
|
|
26 |
11,1 |
+0,01 |
0,1 |
|
|
27 |
55,9 |
-0,03 |
1,7 |
|
|
28 |
133,0 |
-0,10 |
13,3 |
|
|
29 |
200,0 |
-0,13 |
26,0 |
|
|
30 |
400,0 |
-0,23 |
920 |
|
|
|
S(-V) = 830,1 S(+V) = 806,8 |
|||
|
DV = 830,1 - 806,8 = 23,3 м3; DV/V = 0,014 = 1,4 % |
||||
Перечень материалов, подлежащих сдаче: схема участка с выписанными фактическими и условными отметками, на схеме должен быть приведен расчет проектной отметки Нп; картограмма земляных работ в масштабе 1:500, насыпь штрихуется или растушевывается желтым цветом, выемка - красным, линии и надписи - черной или синей шариковой ручкой (образец оформления дан в прил. 7); ведомость вычисления объемов земляных работ.
Размеры планируемого участка, количество квадратов на бригаду и масштабы чертежей задаются преподавателем в соответствии с рабочей программой практики.
Задача: по результатам нивелирования по квадратам произвести геодезические расчеты при проектировании наклонной площадки под условием балансу земляных работ.
Пособия и принадлежности для расчетно-графических работ те же, что в предыдущем задании.
Последовательность работ:
составление схемы участка;
выбор величины и направления максимального уклона;
определение положения центра тяжести проектируемой плоскости и его проектной отметки;
вычисление проектной отметки ближайшей к центру тяжести вершины квадрата;
расчет проектных отметок всех вершин квадратов участка;
составление картограммы земляных работ;
вычисление объемов земляных работ.
Составление схемы участка. Схема участка представляет собой сетку квадратов, построенную в масштабе 1:500, у вершин квадратов выписаны фактические абсолютные отметки Нф, полученные в результате нивелирования поверхности, условные отметки h (рис. 27) и проектные отметки Нп.
Рис. 27. Схема участка с отметками вершин квадратов при проектировании наклонной площадки
Выбор величины и направления максимального уклона. В соответствии с задачами благоустройства и техническими требованиями задают максимальный уклон i0 площадки и его направление. Пусть в нашем примере наклонная площадка участка, топографическая поверхность которого представлена на рис. 27, имеет максимальный уклон i0 = 0,015; дирекционный угол направления максимального уклона a0 = 30°00¢.
Определение положения центра тяжести проектируемой плоскости и его проектной отметки. Координаты Хц и Yц центра тяжести - точки ц определяют по формулам
![]()
где Xi, Yi - координаты вершин квадратов; п - количество вершин. Одну из вершин, обычно левую нижнюю, принимают за начало координат и, зная длину стороны квадрата а, вычисляют Хц и Yц.
Пример. В нашем случае за начало координат принята вершина A1 с Х = 0 и Y = 0. Тогда абсцисса X линии А6 сетки равна 0, линии Б6 - +20 м, линии В6 - +40 м и линии Г6 - +60 м. Аналогично, ордината Y линии 1Г сетки равна 0, линии 2Г - +20 м, линии 3Г - +40 м и т.д. Таким образом, Хц = 6(0 + 20 + 40 + 60)/24 = 30 м и Yц = 4(0 + 20 + 40 + 60 + 80 + 100)/24 = 50 м. По этим координатам центр тяжести ц находят на схеме участка (см. рис. 27) и фиксируют точкой.
Проектную отметку Нпц точки ц определяют по той же формуле, что и проектную отметку горизонтальной площадки в предыдущей задаче. В нашем примере Нпц = 150,25.
Вычисление проектной отметки вершины квадрата, ближайшей к центру тяжести. На схеме участка выбирают вершину, ближайшую к центру тяжести. Между этой вершиной и точкой ц графически измеряют с точностью масштаба отрезок d и транспортиром - дирекционный угол a линии «вершина - точка ц». По формуле i = i0cos(a - a0), где i0 - максимальный уклон, a0 - дирекционный угол направления максимального уклона, определяют уклон i данной линии. Затем вычисляют проектную отметку выбранной вершины по формуле
Hп = Hпц + id.
Пример. Пусть в нашем случае за ближайшую принята вершина Б3. Измерив по схеме участка длину линии Б3-ц и дирекционный угол этого направления, получим d = 14,15 м; a = 45°00¢. Тогда уклон линии Б3-ц будет i = 0,015×cos(45° - 30°) = 0,015×0,966 = 0,014. Проектная отметка вершины Б3 равна НпБ3 = 150,25 - 0,014×14,15 = 150,05. Здесь знак «-» поставлен потому, что вершина Б3 находится в направлении, противоположном направлению максимального положительного уклона; поэтому отметка НпБ3 должна быть меньше отметки Нпц. Вычисление обычно производят на микрокалькуляторе, а полученное значение округляют до 0,01 м.
Расчет проектных отметок вершин квадратов участка. Предварительно определяют значения уклонов наклонной плоскости по осям X и Y по известным значениям i0 и a0. Уклон ix по оси X вычисляют по формуле ix = i0cosa0, а уклон iy по оси Y - по формуле iy = i0sina0. Затем вычисляют превышения hx и hy по тем же осям: hx = d1ix и hy = d2iy, где d1 и d2 - расстояния, которые могут принимать значения а (длина стороны квадрата), 2а, 3а и т.д.
Проектную отметку Нп всех вершин квадратов вычисляют по формуле Нп = Ннач + d1ix + d2iу = Hнач + hx + hy, где Hнач - исходная проектная отметка вершины, ближайшей к центру тяжести. При расчете отметок Нп принимают во внимание, что уклоны ix, iy и, значит, hx и hy будут положительными в направлениях вверх и вправо и отрицательными вниз и влево от этой вершины (см. рис. 27).
Пример. Для нашего случая ix = 0,015cos30° = 0,015×0,866 = 0,0130 и iy = 0,015sin30° = 0,015×0,500 = 0,0075. За исходную отметку принята проектная отметка вершины Б3, равная 150,05. Для примера рассчитаем проектную отметку вершины Г1: Hп = 150,05 + 40×0,013 + (-40×0,0075) = 150,05 + 0,52 - 0,30 = 150,27. Для вершины A3: Нп = 150,05 + (-20×0,013) + 0×0,0075 = 149,78.
Аналогично вычисляют проектные отметки всех вершин квадратов. В учебных целях, а также для контроля правильности вычислений результаты расчетов сводят в таблицу, образец которой для нашего примера приведен в табл. 23.
Значения вычисленных проектных отметок выписывают на схему участка рядом с фактическими (см. рис. 27).
Таблица 23. Вычисление проектных отметок вершин квадратов
|
Превышения |
Проектная отметка |
|||
|
hx |
hy |
Общее |
||
|
А1 |
-0,26 |
-0,30 |
-0,56 |
149,49 |
|
А2 |
-0,26 |
-0,15 |
-0,41 |
149,64 |
|
A3 |
-0,26 |
0 |
-0,26 |
149,79 |
|
А4 |
-0,26 |
+0,15 |
-0,11 |
149,94 |
|
А5 |
-0,26 |
+0,30 |
+0,04 |
150,09 |
|
А6 |
-0,26 |
+0,45 |
+0,19 |
150,24 |
|
Б1 |
0 |
-0,30 |
-0,30 |
149,75 |
|
Б2 |
0 |
-0,15 |
-0,15 |
149,90 |
|
Б3 |
0 |
0 |
0 |
150,05 |
|
Б4 |
0 |
+0,15 |
+0,15 |
150,20 |
|
Б5 |
0 |
+0,30 |
+0,30 |
150,35 |
|
Б6 |
0 |
+0,45 |
+0,45 |
150,50 |
|
В1 |
+0,26 |
-0,30 |
-0,04 |
150,01 |
|
В2 |
+0,26 |
-0,15 |
+0,11 |
150,16 |
|
В3 |
+0,26 |
0 |
+0,26 |
150,31 |
|
В4 |
+0,26 |
+0,15 |
+0,41 |
150,46 |
|
В5 |
+0,26 |
+0,30 |
+0,56 |
150,61 |
|
В6 |
+0,26 |
+0,45 |
+0,71 |
150,76 |
|
Г1 |
+0,52 |
-0,30 |
+0,22 |
150,27 |
|
Г2 |
+0,52 |
-0,15 |
+0,37 |
150,42 |
|
Г3 |
+0,52 |
0 |
+0,52 |
150,57 |
|
Г4 |
+0,52 |
+0,15 |
+0,67 |
150,72 |
|
Г5 |
+0,52 |
+0,30 |
+0,82 |
150,87 |
|
Г6 |
+0,52 |
+0,45 |
+0,97 |
151,02 |
Таблица 24. Ведомость вычисления объемов земляных работ
|
Площадь фигуры, м2 |
Средняя рабочая отметка, м |
Объем земляных работ, м3 |
||
|
выемка (-) |
насыпь (+) |
|||
|
1 |
2 |
3 |
4 |
5 |
|
1 |
400,0 |
+0,36 |
144,0 |
|
|
2 |
400,0 |
+0,28 |
112,0 |
|
|
3 |
400,0 |
+0,17 |
68,0 |
|
|
4 |
146,0 |
+0,08 |
11,7 |
|
|
5 |
200,0 |
+0,05 |
10,0 |
|
|
6 |
54,0 |
-0,01 |
0,5 |
|
|
7 |
400,0 |
-0,07 |
28,0 |
|
|
8 |
100,0 |
+0,10 |
10,0 |
|
|
9 |
200,0 |
+0,20 |
40,0 |
|
|
10 |
94,5 |
+0,11 |
10,4 |
|
|
11 |
5,5 |
-0,01 |
0,1 |
|
|
12 |
189,0 |
+0,11 |
20,8 |
|
|
13 |
144,0 |
+0,17 |
24,5 |
|
|
14 |
11,0 |
-0,01 |
0,1 |
|
|
15 |
56,0 |
-0,02 |
1,1 |
|
|
16 |
144,0 |
+0,06 |
8,6 |
|
|
17 |
94,0 |
+0,09 |
8,5 |
|
|
18 |
56,0 |
-0,05 |
2,8 |
|
|
19 |
106,0 |
-0,03 |
3,2 |
|
|
20 |
68,6 |
+0,03 |
2,1 |
|
|
21 |
77,4 |
-0,03 |
2,3 |
|
|
22 |
200,0 |
-0,09 |
18,0 |
|
|
23 |
54,0 |
-0,07 |
3,8 |
|
|
24 |
400,0 |
-0,11 |
44,0 |
|
|
25 |
94,0 |
-0,10 |
9,4 |
|
|
26 |
200,0 |
-0,20 |
40,0 |
|
|
27 |
100,0 |
-0.11 |
11,0 |
|
|
28 |
6,0 |
+0,01 |
0,1 |
|
|
29 |
400,0 |
-0,17 |
68,0 |
|
|
30 |
400,0 |
-0,18 |
73,0 |
|
|
31 |
400,0 |
-0,20 |
80,0 |
|
|
32 |
400,0 |
-0,19 |
76,0 |
|
|
|
S(-V) = 461,3 S(+V) = 470,7 |
|||
|
DV = 461,3 - 470,7 = 9,4 м3, DV/V = 0,01 = 1 % |
||||
Составление картограммы земляных работ. Картограмму составляют на миллиметровой бумаге в масштабе 1:500 так же, как и в случае проектирования горизонтальной плоскости. Рядом с вершинами квадратов выписывают рабочие отметки hр, вычисляемые по формуле Нр = Нп - Нф, где Нф и Нп - соответственно фактическая и проектная отметки вершины. Далее определяют положение точек нулевых работ, проводят линию нулевых работ и обозначают номера фигур. Картограмма земляных работ, составленная для нашего примера, приведена в прил. 8.
Вычисление объемов земляных работ выполняют аналогично расчетам при проектировании горизонтальной площадки. Необходимые данные для составления Ведомости вычисления объемов земляных работ содержатся в картограмме. Подсчет объемов земляных работ для нашего примера приведен в табл. 24.
Правильность вычисления площадей Р фигур контролируют
суммой
,
где Р - площадь квадрата, п - число квадратов. Расхождение
суммарных объемов выемки и насыпи равно
DV = S(-V) - S(+V) = 461,3 - 470,7 = 9,4 м3,
что в процентном отношении к общему объему земли составляет DV % = (9,4×100)/932 = 0,01 = 1 %.
Линейными считают сооружения, имеющие малую площадь и значительную протяженность (дорожные коммуникации, наземные и подземные трубопроводы, линии электропередачи, связи и т.п.).
Положение сооружения линейного типа на местности определяется трассой - осью проектируемого сооружения. Пространственное положение трассы на местности характеризуется планом - проекцией на горизонтальную плоскость и продольным профилем - вертикальным разрезом. Основными топографическими материалами, необходимыми для проектирования сооружений, являются профили, составляемые по результатам инженерно-геодезических изысканий, Основная задача изысканий сооружений линейного типа независимо от их назначения сводится к определению на местности положения оси сооружения в плане и по высоте.
Разнообразие видов сооружений и их конструктивные и эксплуатационные особенности обусловливают специфичность изысканий в каждом отдельном случае. Однако наиболее полной по объему и одновременно типичной является программа геодезических работ применительно к дорожным изысканиям.
В плане трасса дороги состоит из прямолинейных участков (прямых вставок) разного направления, сопрягающихся между собой горизонтальными кривыми постоянного и переменного радиусов. В продольном профиле трасса также состоит из прямых линий различного уклона, сопрягающихся вертикальными кривыми.
Главными факторами, определяющими выбор трассы, являются технические условия и экономическая целесообразность. Комплекс изыскательских работ по выбору оптимального варианта трассы, отвечающего требованиям технических условий и дающего наибольший экономический эффект, называется трассированием.
Изыскания трасс подразделяют на предварительные и окончательные. Предварительные изыскания проводят в основном камеральным путем по топографическим картам, материалам аэрофотосъемки, на которых намечают варианты трассы. Для каждого из вариантов по карте составляют продольный профиль, подсчитывают длины отдельных участков, число и сложность переходов через водные преграды, примерный объем работ. Оптимальную трассу выявляют путем технико-экономического сравнения конкурирующих вариантов. В процессе полевого обследования местности уточняют положение оси будущего сооружения, закрепляют наиболее трудные участки: места переходов через крупные водотоки и озера, горные перевалы, места пересечений с существующими коммуникациями и др.
Окончательные изыскания представляют собой полевые изыскания вдоль трассы. Они включают определение на местности положения углов поворота трассы и полевые трассировочные работы.
На основании полевых изысканий составляют проект трассы, состоящий из рабочих чертежей на все сооружения и пояснительной записки с обоснованиями, геодезическими данными и другими документами.
Инженерно-геодезические изыскания дороги заключаются в определении положения оси трассы на местности в плане и по высоте. Плановое положение трассы определяется при разбивке пикетажа, высотное в результате нивелирования.
Задача: усвоить методику геодезических работ при дорожных изысканиях, закрепить навыки работы с геодезическими приборами.
Приборы и принадлежности: теодолит и нивелир со штативами, две нивелирные рейки, стальная 20-метровая лента со шпильками или стальная рулетка, вешки, молоток, колышки, пикетажный и нивелирный журналы, микрокалькулятор или таблицы круговых кривых, рабочая тетрадь и карандаши.
Состав и последовательность работ при выполнении задания:
рекогносцировка трассы;
разбивка пикетажа и поперечников;
разбивка главных точек круговой кривой;
вынос пикета на кривую;
съемка полосы местности вдоль трассы;
нивелирование трассы.
Рекогносцировка трассы. В процессе рекогносцировки обследуют местность вдоль предлагаемой трассы, начальная и конечная точки которой задаются преподавателем. При обследовании направление трассы намечают так, чтобы она проходила по местам с явно выраженным рельефом и в то же время удобным для линейных измерений; выбирают начальный и конечный реперы, между которыми будет проложен нивелирный ход либо к которым будет осуществлена его привязка. Трассу делят на секции по числу студентов. Учитывают также необходимость разбивки поперечников по 20 м в каждую сторону от трассы - по одному поперечнику в пределах каждой секции. Вершины углов поворота закрепляют так же, как вершины теодолитного хода.
Рис. 28. Образец пикетажного журнала
Разбивка пикетажа и поперечников. По окончании рекогносцировки разбивают пикетаж, т.е. по трассе между ее началом и концом точками, называемыми пикетами, фиксируют 100-метровые отрезки и другие характерные точки трассы. При этом нулевой пикет, обозначаемый ПК 0 (рис. 28), совмещают с начальной точкой трассы. Разбивку пикетажа производят стальной лентой или рулеткой по правилам, аналогичным измерению сторон теодолитного хода. Если трасса проходит по наклонной местности (угол наклона более 2°), то следует или учитывать поправку за наклон линии, или при измерении придавать ленте горизонтальное положение.
Пикеты закрепляют деревянными колышками почти вровень с землей. Забивать колышек следует настолько, чтобы установленная на него нивелирная рейка не касалась земли.
Если местность вдоль трассы между пикетами меняет по глазомерной оценке углы наклона, то точки перегиба рельефа также закрепляют колышками. Такие точки называют плюсовыми, и каждая обозначается присоединением к номеру ближайшего младшего пикета величины расстояния от него, например ПК 0 + 15,0.
Колышки подписывают соответствующим номером пикета или обозначением плюсовой точки, а также номером бригады. Для быстрого отыскания пикета или плюсовой точки каждой бригаде вокруг колышков следует сделать заметную окопку в виде характерной геометрической фигуры.
В тех местах трассы, где поперечный уклон местности более 0,2 (на 10-метровом отрезке превышение его концов более 2 м), разбивают поперечники. Длина поперечника зависит от ширины дороги. При разбивке поперечника закрепляют кольями его концы, точку пересечения с трассой, а также точки перегиба рельефа. Начало поперечника обозначают так же, как плюсовую точку, а точки поперечника - указанием расстояния от начала с присоединением буквы «л», когда они расположены влево от трассы, и буквы «п» - когда справа.
Одновременно с разбивкой пикетажа и поперечников ведут пикетажный журнал, который представляет собой книжку, сброшюрованную из миллиметровой бумаги. Посредине каждой страницы проводят прямую линию, изображающую ось дороги. По оси снизу вверх размечают пикеты, плюсовые точки. В зависимости от сложности ситуации вдоль трассы на каждой странице журнала помещают два или три пикета. На рис. 28 показано три пикета: ПК 0, ПК 1 и ПК 2.
Рис. 29. Круговая кривая
Разбивка главных точек круговой кривой. Пикетаж разбивают до вершины угла (ВУ) поворота трассы. Затем теодолитом полным приемом измеряют угол поворота q (рис. 29). По заданному преподавателем радиусу кривой R рассчитывают элементы круговой кривой, необходимые для разбивки ее главных точек: начала (НК), середины (СК) и конца (КК). Элементы кривой: тангенс (Т), длина кривой (К), биссектриса (Б) и домер (Д) вычисляют по формулам
Т = Rtg(q/2); К = pRq/180°;
Б = R[sec(q/2) - 1]; Д = 2Т - К.
В примере, по данным которого составлен пикетажный журнал (см. рис. 28), пикетажное обозначение вершины угла - ПК 1 + 13,22, угол поворота Q = 42°20¢ и радиус кривой R = 100 м. Элементы кривой по этим данным можно рассчитать на микрокалькуляторе.
Пример. Последовательность нажатия клавиш при вычислении величины Т = 100tg21°10¢ = 38,72:
10 ¸ 60 + 21 = F ЗАП F tg ´ 100 = (результат 38,7205).
При вычислении Б = 100(sec21°10¢ - 1) = 7,23 последовательность такова:
F ИП F cos F 1/х - 1 ´ 100 = (результат 7,23469).
При вычислении К = 100p42°20¢/180° = 73,88 клавиши нажимают в последовательности:
F ИП ´ 2 ´ 100 ´ F p ¸ 180 = (результат 73,885).
При отсутствии микрокалькулятора элементы кривой выбирают из специальных таблиц, например из [4] или [11]. Правила нахождения элементов кривых для разных радиусов и углов поворота трассы подробно изложены в описаниях к таблицам. В нашем примере для тех же значений q и R элементы кривой по таблице [11] определяют так: открывают страницу, на которой вверху написано 42°, и против значения 20¢ находят значения элементов кривой для радиуса R = 1 м. Так, для q = 42°20¢ получают Т = 0,387205; К = 0,738855; Б = 0,072347 и Д = 0,035555. Элементы кривой для радиуса R получают умножением выбранных из таблиц значений на величину радиуса, т.е. Т = RТ; К = RК; Б = RБ; Д = RД.
После определения элементов круговой кривой в журнале вычисляют пикетажное обозначение главных точек кривой. Вычисления располагают в пикетажном журнале (см. рис. 28).
Расхождения между значениями КК не должны превышать 3 см.
Начало кривой закрепляют на трассе колышком на расстоянии 74,50 м от нулевого пикета и подписывают на нем НК ПК 0 + 74,50. Середину кривой определяют, построив при вершине угла горизонтальный угол, равный (180° - q)/2, при этом одной стороной угла является тангенс Т, а другой биссектриса Б. Для нашего примера этот угол равен (180° - 42°20¢)/2 = 68°50¢. От ВУ по направлению биссектрисы откладывают расстояние Б = 7,23 м, конец его закрепляют колышком и подписывают СК, ПК 1 + 11,44.
Конец кривой КК на трассе определяют в следующем порядке. От ВУ по направлению следующего участка трассы откладывают отрезок, равный Д = 3,55 м, но считают, что пикетаж конца отрезка тот же, что и у ВУ, т.е. ПК 1 + 13,22. Затем от конца отрезка по направлению к ПК 2 откладывают отрезок (Т - Д) = 38,72 - 3,55 = 35,17 м, закрепляют колышком конец кривой и подписывают на нем КК, ПК 1 + 48,38. Точки НК и КК показывают в пикетажном журнале и оформляют как плюсовые.
Вынос пикета на кривую. Пикеты, находящиеся на тангенсах (касательных к кривой), выносят на кривую. Для этого вычисляют длины отрезков X и Y, необходимых для выноса (см. рис. 29). В нашем примере ПК1 должен находиться на круговой кривой на расстоянии l = ПК 1 - ПК 0 + 74,50 = 25,50 от ее начала.
По формуле j = l180°/(pR) для радиуса R кривой рассчитывают центральный угол j, стягивающий дугу l. Затем вычисляют X и Y по формулам X = Rsinj; Y = R(1 - cosj).
Пример. Рассчитываем X и Y для нашего случая на микрокалькуляторе. При вычислении j = 25,50×180/100p = 14,61° клавиши нажимают в последовательности:
25,5 ´ 180 ¸ 100 F p = F ЗАП (результат 14,610424);
для вычисления X = 100 sin14,61° = 25,22 - в последовательности:
F ИП sin ´ 100 ´ (результат 25,2245);
для вычисления Y = 100(1 - cos14,61°) = 3,23 - в последовательности:
F ИП cos - 1 = /-/ ´ 100 = (результат 3,2337).
Затем от точки НК по касательной в направлении ВУ откладывают отрезок X = 25,22 м, конец которого является основанием перпендикуляра. Основание перпендикуляра можно определить также, отложив от ПК 1 в направлении НК отрезок l - Х = 25,50 - 25,22 = 0,28 м. В полученной точке восставляют перпендикуляр длиной Y = 3,23 м. Конец перпендикуляра закрепляют колышком и подписывают ПК 1.
Съемка полосы местности вдоль трассы. На местности вдоль трассы полосой 40 м (до 20 м вправо и влево от оси) производят съемку ситуации. Элементы ситуации снимают, применяя способы перпендикуляров и створов, как при горизонтальной съемке. Результаты съемки в виде числовых данных и схематических зарисовок заносят карандашом в пикетажный журнал.
Нивелирование трассы. В процессе нивелирования трассы получают отметки всех пикетных точек, начала, середины и конца кривой, промежуточных точек и точек поперечных профилей. Для этого по трассе в прямом и обратном направлениях прокладывают нивелирный ход. В прямом ходе определяют отметки всех точек трассы, в обратном - только пикетов. Нивелирный ход привязывают к одному или двум реперам или к пунктам съемочного обоснования, отметки которых получены геометрическим нивелированием ранее.
При нивелировании особое внимание следует обратить на выбор связующих точек, т.е. точек, через которые в ходе передаются превышения. Если позволяют условия местности, то связующие точки выбирают через пикет. Например, ПК 0, ПК 2, ПК 4 и т.д. Если превышение между этими точками больше длины рейки (3 м), то необходимо сократить длину плеч - расстояние от нивелира до реек. В этом случае в качестве связующих используют другие точки трассы. Если таких точек по трассе нет, то в качестве связующих используют иксовые точки, которые в журнале обозначают как Х1, Х2, ... В иксовых точках при нивелировании устанавливают нивелирные башмаки или забивают костыли, а при отсутствии их - деревянные колышки. Расстояния до иксовых точек не измеряют.
Необходимо помнить, что при выборе связующих точек не следует стараться использовать наибольшую длину плеч. По условиям местности это часто приводит к тому, что превышения между связующими точками оказываются более 3 м. В этом случае длину плеч нивелирования все равно приходятся сокращать и вместо экономии получается лишняя затрата труда и времени.
При пересечении трассой дорог, рек, водоемов, насыпей и т.п. необходимо нивелировать характерные точки этих объектов с таким расчетом, чтобы на профиле можно было показать их поперечное сечение. Если трасса пересекает линию электропередачи (ЛЭП), в месте пересечения определяют высоту проводов над поверхностью, используя метод тригонометрического нивелирования.
Превышения в ходе измеряют по программе технического нивелирования. После отсчетов по задней и передней рейкам, контрольных вычислений и вычисления превышений (см. табл. 6) реечник последовательно устанавливает рейку на всех промежуточных точках, а исполнитель берет отсчеты по черной и красной сторонам.
Образец заполнения журнала технического нивелирования приведен в табл. 25.
Правильность отсчетов по рейкам на промежуточных точках контролируют по разностям нулей реек. Полученные величины РО не должны отличаться от теоретического значения более чем на 4 мм.
По мере заполнения полевого журнала производят постраничный контроль для превышений между связующими точками, а после окончания нивелирования вычисляют их отметки. Образец постраничного контроля дан в табл. 18, а ведомости вычислений отметок - в табл. 19.
Таблица 25. Журнал нивелирования трассы автодороги
|
Название нивелируемой точки |
Отсчеты по рейке |
Превышение |
Среднее превышение |
Горизонт прибора ГПк ГПч |
Отметка точки |
|||||
|
задней |
передней |
промежуточной |
+ |
- |
+ |
- |
||||
|
1 |
ПК 0 |
5710 0925 4785 |
0998 0999 |
0998 |
145, 206 140, 421 |
139,496 |
||||
|
ПК 1 |
6708 1924 4784 |
138,500 |
||||||||
|
ПК 0 + 15 |
6712 1930 1782 |
138,494 138,491 138,49 |
||||||||
|
Поперечник на ПК 1 + 00 |
||||||||||
|
Право +10,0 |
6256 1470 4786 |
138,950 138,951 138,95 |
||||||||
|
+20,0 |
5640 0860 4780 |
139,566 139,561 139,56 |
||||||||
|
Лево +20,0 |
6811 2030 4781 |
138,396 138,391 138,39 |
||||||||
Отметки связующих точек выписывают в последнюю графу журнала нивелирования (см. табл. 25) и вычисляют горизонт прибора по черной и красной сторонам рейки.
В нашем примере:
ГПк = НПК+0 + ак = 139,496 + 5,710 = 145,206;
ГПч = НПК+0 + ач = 139,496 + 0,925 = 140,421.
Значения ГП записывают в предпоследнюю графу журнала.
Вычисление отметок промежуточных точек производят с использованием ГПк и ГПч, а результаты выписывают в последнюю графу. Средние значения отметок вычисляют с округлением до 0,01 м.
Пример. В нашем случае для вычисления отметки ПК 0 + 15:
по красной стороне рейки
= ГПк
- ск = 145,206 - 6,712 = 138,494;
по черной стороне рейки
= ГПч
- сч = 140,421 -1,930 = 138,491;
среднее значение
НПК0+15 = (138,494 + 139,491)/2 = 138,492 ≈ 138,49.
В производственных условиях опытные исполнители берут отсчеты на промежуточных точках только по черной стороне рейки.
Таблица 26. График распределения обязанностей
|
Фамилии студентов |
|||||
|
Разбивка пикетажа и кривых |
Разбивка поперечников и съемка ситуации |
Ведение пикетажного журнала и вычисления |
Рекогносцировка |
||
|
Построение трассы |
|||||
|
1 |
А, Б |
В, Г |
д |
Вся бригада |
|
|
2 |
Б, В |
Г, Д |
А |
||
|
3 |
В, Г |
Д, А |
Б |
||
|
4 |
Г, Д |
Б, А |
В |
||
|
5 |
Д, В |
А, Б |
Г |
||
|
Нивелирование трассы |
|||||
|
Номер секции |
Работа с прибором |
Записывающий |
Реечник |
Вычисления, вспомогательные работы |
|
|
1 |
А |
В |
В, Г |
д |
|
|
2 |
Б |
в |
г, д |
А |
|
|
3 |
В |
г |
Д, А |
Б |
|
|
4 |
Г |
д |
Б, А |
В |
|
|
5 |
Д |
А |
В, Б |
Г |
|
До начала полевых работ бригадир составляет график распределения обязанностей между членами бригады и представляет его на утверждение преподавателю. Образец графика для бригады в составе пяти студентов приведен в табл. 26.
Задача: закрепить знания по составлению профилей и приобрести навыки геодезических расчетов при проектировании трасс линейных сооружений.
Принадлежности: миллиметровая бумага, чертежные принадлежности, микрокалькулятор.
В качестве исходных материалов используют журнал нивелирования трассы и пикетажный журнал. Профиль трассы строят на миллиметровой бумаге.
Масштабы, в которых составляют профили некоторых линейных сооружений, приведены в табл. 27.
На учебной практике масштаб для составления профиля задает преподаватель в соответствии с рабочей программой практики.
Камеральные работы начинают с построения профильной сетки, образец которой для профиля автодороги приведен в прил. 9. Если для отдельных специальностей рабочей программой предусмотрено составление профиля другого сооружения, профильную сетку изменяют по указанию преподавателя. Так, для подземных коммуникаций исключают графы «План трассы», «Километры», добавляют - «Проектные отметки лотков труб», «Проектные отметки люков колодцев», «Диаметр и материал труб».
Таблица 27. Масштабы профилей линейных сооружений
|
Масштаб профиля |
||
|
продольного |
поперечного |
|
|
Железные дороги |
горизонтальный 1:10000 вертикальный 1:1000 |
1:1000 |
|
Автомобильные дороги |
горизонтальный 1:2000 вертикальный 1:200 |
1:200 |
|
Городские подземные коммуникации |
горизонтальный от 1:2000 до 1:500 вертикальный от 1:200 до 1:50 |
От 1:200 до 1:100 |
Далее в графе 5 откладывают в принятом горизонтальном масштабе пикеты и плюсовые точки, между которыми указывают расстояния. Сумма всех расстояний в пределах одного пикета должна равняться 100 м. Например, в прил. 9 между ПК 0 и ПК 1: 15,0 + 59,5 + 25,5 = 100,0.
Затем по данным журнала нивелирования заполняют графу 4. Отметки выписывают до сотых долей метра.
Для удобства размещения материала на чертеже выбирают условный горизонт для верхней линии профильной сетки. Его целесообразно выбрать так, чтобы самая низкая точка профиля находилась над верхней линией сетки на расстоянии 5 - 6 см. В прил. 9 за условный горизонт принята отметка 130,00 м.
От линии условного горизонта откладывают высоты всех точек продольного профиля, полученные точки соединяют прямыми линиями.
Графу 1 заполняют по материалам съемки полосы трассы, содержащимся в пикетажном журнале. В отдельных случаях в этой графе вместо условных знаков контуров и угодий разрешается вписывать их названия.
Для заполнения графы 7 используют расчеты пикетажа начала и конца кривых из пикетажного журнала. Выписывают основные элементы кривых R, q, Т, К, Б и Д. По известному дирекционному углу первого прямолинейного участка вычисляют дирекционные углы всех прямолинейных участков трассы и выписывают их в графу 7. По разностям пикетов определяют и подписывают длины прямолинейных участков. Правильность расчетов контролируют по формуле
![]()
где ПКк и ПКн - пикеты конца и начала трассы;
-
сумма длин всех криволинейных участков;
- сумма длин всех прямолинейных
участков.
После построения профиля трассы приступают к составлению поперечных профилей. В производственных условиях поперечные профили составляют на каждом пикете и характерных точках; на учебной практике количество поперечных профилей определяется в зависимости от состава бригады. Поперечные профили строят в одинаковых вертикальных и горизонтальных масштабах, аналогично построению продольных профилей.
Нанесение проектной линии выполняется с соблюдением следующих требований. Проектный уклон не должен превышать допустимого значения для данного сооружения, т.е. iп £ iдоп. Объем земляных работ должен быть минимальным. Сумма объемов земляных работ по выемке должна примерно равняться сумме объемов земляных работ по насыпи (баланс земляных масс).
Однако при строительстве сооружений линейного типа не всегда удается выполнить два последних требования, так как положение проектной линии зависит от положения существующих сооружений (дорог, мостов, линий электропередач и т.п.).
Как правило, начальной проектной отметкой является отметка примыкания трассы к существующей дороге, а конечной - отметка планировочной поверхности на объекте, к которому дорога подходит. На учебной практике эти отметки задает преподаватель. Проектный профиль дороги строят методом последовательных приближений. Для этого проводят на отдельных участках прямую, стараясь обеспечить соблюдение второго и третьего условий, определяют уклон участка и сравнивают его со значением iдоп. Затем уточняют положение проектной линии, производят ее построение и заполняют графы 3 и 2.
В местах перелома проектного профиля в графе 3 проводят ординаты, разделяющие отрезки трассы с различными уклонами. На каждом участке внутри графы проводят линию, показывающую направление уклона. Проектные уклоны вычисляют по формуле
iп = (Нп(i+1) - Hпi)/d,
где Нпi и Нп(i+1) - проектные отметки на концах участка, получаемые по проектному профилю графически; d - длина участка.
Для участка от ПК 0 до ПК 2 + 20 в прил. 9 имеем
iп = (139,20 - 137,00)/220,00 = +0,010 = +10 ‰.
Далее заполняют графу 2. Проектные отметки для всех точек, в которых определялись отметки поверхности, вычисляют по формуле Нп(i+1) = Hпi + ld, где Нпi, Нп(i+1) - проектные отметки исходной и вычисляемой точек; d - расстояния между точками.
Контролем правильности вычислений служит совпадение вычисленной отметки с проектной в конце участка.
Рабочие отметки hр получают по формуле hp = Нп - Нф.
Пример. Для ПК 0 + 74,50 : 137,74 - 138,24 = -0,50. Так как в данном случае имеет место срезка грунта, отметку 0,50 подписывают ниже проектной линии профиля. При устройстве насыпи отметку подписывают выше проектной линии.
Работы по составлению проектного профиля завершают расчетом точек нулевых работ. Для этого проводят ординаты от точек пересечения проектной линии профиля с поверхностью земли до верхней линии профильной сетки.
Расстояния от точки нулевых работ до соседних точек вычисляют по формулам

Контроль: l1 + l2 = d.
Здесь h1p, h2p - рабочие отметки точек трассы; d - расстояние между этими точками.
Для точки нулевых работ на ПК 1 + 20,8:
![]()
Контроль: 20,8 + 27,6 = 48,4.
В производственных условиях на поперечные профили наносят проектные сечения дороги с двухскатным покрытием. Необходимо помнить, что при проектировании поперечного сечения назначать крутизну откосов необходимо с учетом состава грунтовка размеры водоотводных канав - с учетом ряда гидрогеологических условий. На учебной практике преподаватель задает определённую крутизну откосов и размеры водоотводных канав. Пример построения проектного сечения дороги дан в прил. 9.
Построение начинают с нанесения на поперечный профиль проектной отметки оси дороги, которую берут с продольного профиля. Далее наносят полотно дороги (в нашем примере - шириной 6 м) и строят откосы заданной крутизны, а в выемке показывают водоотводные канавы (шириной 1 м).
Целесообразно по каждому поперечному профилю определять площадь сечения S, в пределах которого выполняются земляные работы. Определение S производится подсчетом клеток на миллиметровой бумаге или при помощи планиметра.
В окончательном виде продольный и поперечные профили вычерчиваются в туши, при этом элементы, характеризующие существующую поверхность, вычерчиваются черным цветом; проектная линия, проектное сечение дороги, проектные отметки, уклоны и расстояний - красным цветом; рабочие отметки и точки нулевых работ - синим цветом. В правом нижнем углу вычерчивают штамп установленного в данном вузе образца.
К зачету бригада представляет: пикетажный журнал; журнал технического нивелирования; ведомость вычислений отметок связующих точек; профиль трассы.
Задача: научиться выполнять построение на местности проектного угла, закрепить знания о точности построений и способах ее обеспечения.
Приборы и принадлежности: теодолит, штатив, нитяной или оптический отвес, три визирных, знака (шпильки из комплекта землемерной ленты или гвозди), линейка с миллиметровыми делениями, деревянные колышки, мелкие гвозди, журнал измерения горизонтальных углов, цветная бумага, рабочая тетрадь.
Рис. 30. Схема построения проектного угла:
а - с точностью отсчетного устройства теодолита; б - с повышенной точностью
При построении проектного угла на местности даны вершина угла О и начальное направление ОА (рис. 30, а).
Требуется на местности найти такую точку В, чтобы угол АОВ имел проектное значение b. Значение угла задается преподавателем.
Построение проектного угла с точностью отсчетного устройства теодолита
По направлению ОА вплотную за колышком на точке А устанавливают визирный знак. При расстоянии до 80 м лучше использовать шпильку мерной ленты или большой гвоздь. На шпильку или гвоздь следует наколоть листок цветной бумаги, что упростит приближенное наведение зрительной трубы на точку. При установке визирного знака необходимо следить за его вертикальным положением в створе стороны ОА.
Теодолит устанавливают над вершиной угла О, приводят его в рабочее положение и визируют на знак в точке А. При наведении пользуются биссектором вертикальной нити, а наведение осуществляют на низ визирного знака. Далее по горизонтальному кругу берут отсчет.
Допустим, что эти операции произведены при круге лево и получен отсчет ал. По формуле bл = ал + b вычисляют проектный отсчет и при закрепленном лимбе поворотом алидады устанавливают этот отсчет на лимбе.
Исполнитель смотрит в зрительную трубу, а рабочий, находящийся вблизи точки В, по команде исполнителя перемещают визирный знак перпендикулярно к визирному лучу до тех пор, пока изображение знака не совместится с серединой биссектора. При выполнении этой операции исполнителю необходимо помнить, что зрительная труба передает изображение перевернутым. Поэтому при положении визирного знака слева от вертикальной нити команду на смещение знака надо подавать «влево» (например, поднимать левую руку). Полученную точку Вл закрепляют временным знаком (гвоздем, шпилькой и т.п.).
Для исключения коллимационной погрешности теодолита аналогичные операции повторяют при другом положении вертикального круга и получают другую точку - Вп.
За окончательное положение точки В принимают середину отрезка ВлВп. С этой целью приблизительно в середине отрезка в землю забивают колышек. Между точками Вл и Вп укладывают линейку с миллиметровыми делениями и на верхней поверхности колышка намечают середину отрезка. В полученной точке карандашом наносят метку и производят контрольное измерение построенного угла.
Контрольное измерение производят одним полным приемом с записью
результатов в журнале измерения горизонтальных углов и вычислением разности Dbк и
между измеренным bк и проектным b значениями угла. Величина разности не должна превышать значения
удвоенной точности отсчета t, т.е.
.
Если это условие выполняется, то полученную точку В закрепляют на колышке небольшим гвоздем. Если условие нарушено, то построение повторяют.
По завершении работ представляют схему построения и журнал измерения углов. Образец оформления схемы приведен в прил. 10А.
Построение проектного угла с повышенной точностью
Данное построение выполняют при разбивочных работах для зданий повышенной этажности, при сборке конструкций с большими пролетами между опорами и при возведении уникальных зданий и сооружений. Требования СНиП 3.01.03-84 к точности измерений и условиям обеспечения этой точности для типовых зданий приведены в табл. 28.
Таблица 28 Точность построения проектных углов
|
Средние квадратические погрешности результатов угловых измерений, с |
|||
|
10 |
20 |
30 |
|
|
Центрирование теодолита и визирных целей |
Оптическим центриром |
Оптическим центриром, нитяным отвесом |
|
|
Фиксация центров знаков |
Керном |
Карандашом, шпилькой |
|
|
Типы теодолитов, по ГОСТ 10529-79 или им равноточные |
Т5 и модификации |
Т30 и модификации |
|
|
Количество приемов |
2 |
1 |
|
При построении в точке О угла одним полуприемом (рис. 30, б) откладывают от начального направления ОА проектный угол b и временным знаком (шпилькой, колышком или засечкой карандашом на асфальте) закрепляют на местности положение точки В1. Построенный угол АОВ1 измеряют с необходимой точностью. Число приемов п измерения угла выбирают из табл. 28 или вычисляют по формуле
п = t2/m2,
где т - допустимая средняя квадратическая погрешность измерения угла.
Результаты измерений записывают в журнал, вычисляют среднее значение bи и сравнивают его с проектной величиной b.
По разности Db = bи - b и длине стороны ОВ, измеренной нитяным дальномером с точностью до метров, определяют величину редукции
В1В = (ОВ/r)Db.
Образец вычисления редукции приведен на схеме построения в прил. 10Б.
Редуцирование положения точки В на местности осуществляют следующим образом. В точке В1 с помощью треугольника восставляют перпендикуляр к линии ОВ1. Если bи больше b, то перпендикуляр направляют в сторону уменьшения угла (на рис. 30, б в сторону точки А), если меньше - в сторону увеличения (от точки А).
К перпендикуляру прикладывают линейку с миллиметровыми делениями и откладывают отрезок В1В. Полученную точку закрепляют постоянным знаком (забивают небольшой гвоздь в колышек или асфальт).
Для контроля построений измеряют угол АОВ, результаты записывают в журнал.
По завершении работ представляют схему построения (прил. 10Б) и журнал измерения углов.
Построение прямого угла с помощью рулетки
Построение используют в разбивочных работах при возведении земляных сооружений, построении поперечников к трассам линейных сооружений и в других видах работ с невысокими требованиями к точности. При построении рулетку укладывают в створе линии MN (рис. 31, а), совмещают штрих 10 м с вершиной угла D и по штрихам 0 и 20 м отмечают положение точек В и С. В точке В удерживают нулевое деление рулетки, к делению 20 м прижимают гроздь или шпильку и при натянутом состоянии полотна рулетки проводят на земле дугу. Аналогичным образом из точки С проводят вторую дугу. Пересечение их (засечка) дает определяемую точку А.
В стесненных условиях строительной площадки и при невысоких требованиях к точности выполняют построение прямого угла с использованием свойств «египетского треугольника» со сторонами, кратными отношению 3:4:5. Для этого от вершины прямого угла D (рис. 31, б) по линии MN откладывают отрезок, кратный 4, например 8 м. Затем прикладывают нулевой штрих рулетки к точке D и закрепляют его, а штрих, оцифрованный 16 м, прикладывают и удерживают у точки С. После этого натягивают рулетку, взяв ее за штрих, кратный 3, т.е. за штрих 6 м, и в месте перегиба рулетки отмечают точку А. При этом линия AD будет перпендикулярна к линии DC.
Рис. 31. Схема построения прямого угла:
а - с помощью рулетки; б - по «египетскому треугольнику»
Опустить перпендикуляр с помощью рулетки из точки А (рис. 31, а) можно следующим образом. К точке А прикладывают нулевой штрих рулетки и одним и тем же штрихом, например 20 м, делают засечки на прямой MN - точки В и С. Отрезок ВС измеряют и делят пополам. Полученная точка D является основанием перпендикуляра.
Работы по построению проектных углов выполняет часть бригады в составе 2 - 3 человек. Каждый последовательно выполняет все операции в качестве исполнителя, записывающего и рабочего. После завершения работ к построению своего проектного угла приступают остальные студенты бригады.
Точки на местности закрепляют деревянными колышками, в гладкий верхний срез которых вбивают небольшой гвоздик или наносят метку шариковой ручкой.
При построении проектного угла стороны его должны быть в пределах 50 - 100 м.
При установке цели в створ визирной оси теодолита исполнитель подает команды поднятием рук.
Задача: научиться выполнять построение проектного отрезка, закрепить знания о точности построений и способах ее обеспечения.
Приборы и принадлежности: мерный прибор (лучше стальная рулетка на крестовине с миллиметровыми делениями), динамометр, шпильки или гвозди для фиксации концов отрезков, термометр, комплект приборов для определения превышений или углов наклона, вешки, деревянные колышки для закрепления точек, колья сечением 2´3 см, деревянная доска или фанера размером 10´15 см, рабочая тетрадь, линейка с миллиметровыми делениями, микрокалькулятор или логарифмическая линейка, измеритель, карандаши.
Рис. 32. Схемы построения проектного отрезка:
а - с технической точностью; б - с помощью рулетки и отвеса; в - с повышенной точностью
При построении проектного отрезка на местности задают начало отрезка - точку А и его направление АС (рис. 32, а). Требуется на местности найти такую точку 5, чтобы горизонтальное проложение отрезка АВ имело проектное значение d. Величина горизонтального проложения задается преподавателем.
Построение проектного отрезка с относительной погрешностью порядка 1:2000 начинают с определения температуры мерного прибора, наклона линии или превышения между ее концами.
Как и при линейных измерениях, за температуру мерного прибора принимают температуру воздуха, которую определяют с погрешностью 3 - 4°; при разности температур компарирования и измерений менее 8° поправку не учитывают. Поправку dDt вычисляют по формуле (9).
Для определения углов наклона линии используют теодолит или эклиметр. При углах наклона менее 1,5° поправку не учитывают. Превышения определяют с погрешностями порядка 10 - 15 мм на 100 м расстояния. Поправку dDv вычисляют по формуле (10), а dDh по формуле (11).
Поправку за компарирование dDк определяют по формуле (8).
Длину отрезка D на местности вычисляют по формуле
D = d - dDк - dDt - dDv. (21)
Пример 1. Вычислить длину отрезка, который надо отложить на местности, чтобы получить проектный отрезок d = 48,54 м, если поправка в длину ленты за компарирование 20-метровой стальной рулетки dl = +8,9 мм, температура компарирования t0 = 20 °С, температура воздуха при построении t = 8 °С, а наклон линии v = 2°12¢.
Решение. Поправки в длину линии вычислим по формулам (8), (9) и (10):
dDк = +8,9 (48,5/20) = +22 мм = +0,022 м;
dDt = 12×10-6(8 - 20)×48,5 = -7×10-3 м = - 0,007 м;
dDv = -2×48,5 sin2(2° 12¢/2) = -36×10-3 м = -0,036 м.
По формуле (21)
D = 48,54 - 0,022 + 0,007 + 0,036 = 48,561 м.
Ответ: D = 48,56 м.
Если на отрезке АВ есть перегибы ската, то поправку за наклон вычисляют по частям.
Пример 2. Вычислить поправку за наклон проектного отрезка d1 = 48,54 м, если первая часть отрезка d1 = 25 м имеет превышение h1 = 0,6 м, а на оставшейся части превышение равно h2 = 1,2 м.
Решение. Поправки за наклон вычислим раздельно для каждой из частей по формуле (11):
![]()
![]()
Поправка на всю длину отрезка равна
![]()
Ответ: dDg = -0,07 м.
При построении проектного отрезка мерный прибор последовательно укладывают по створу линии АС целое число раз, а затем откладывают остаток r (см. рис. 32, а). Для рассмотренного выше примера D = 48,56 м, целое число уложений п = 2, остаток r = 8,56 м. Уложение мерного прибора в створ осуществляют на глаз, а натяжение - от руки. Полученную точку В закрепляют временным знаком.
Для контроля построений отрезок АВ измеряют в обратном направлении. Результат контрольного измерения Dк не должен отличаться от D более чем на D/2000. Если условие выполнено, то точку В закрепляют постоянным знаком.
При переносе в натуру объектов планировки и застройки проектные отрезки обычно не превышают длины мерного прибора. В этих случаях полотно мерного прибора располагают горизонтально, поправку за наклон не учитывают, а проектный отсчет проецируют с рулетки на землю нитяным отвесом (рис. 32, б).
По завершении работ бригада представляет схему построения, образец оформления которой приведен в прил. 11А.
Построение проектного отрезка с повышенной точностью производят при выполнении детальных разбивок осей на конструкциях зданий повышенной этажности, при монтаже конструкций с большими пролетами и при возведении уникальных сооружений. Требования СНиП 3.01.03-84 к точности измерений и условиям обеспечения этой точности для типовых зданий приведены в табл. 29.
Таблица 29. Точность построения проектных отрезков
|
Относительные средние квадратические погрешности результатов линейных измерений |
|||
|
1:15000 - 1:10000 |
1:5000 |
1:3000 - 1:2000 |
|
|
Средняя квадратическая погрешность компарирования, мм |
0,2 |
0,5 |
1,5 |
|
Уложение в створ |
С помощью теодолита |
Глазомерно |
|
|
Натяжение измерительного прибора Р, кг |
Динамометром 100 (10) |
Вручную |
|
|
Учет разности температур компарирования и измерения, °С |
1,6 |
3 |
5 |
|
Количество отсчетов |
3 пары отсчетов и 2 сдвига |
2 пары отсчетов и 1 сдвиг |
1 пара отсчетов |
|
Фиксация центров знаков |
Острым предметом |
Керном |
Карандашом |
|
Определение превышений концов измеряемой линии |
Нивелированием |
Глазомерно |
|
Для построения отрезка с повышенной точностью на местности выбирают линию с условиями, благоприятными для линейных измерений. В заданном направлении от начальной точки А (рис. 32, в) с помощью теодолита, провешивают линию и закрепляют деревянными кольями с гладкой (спиленной) верхней поверхностью и сечением не менее 2´3 см. Расстояние между кольями должно соответствовать длине мерного прибора. После закрепления целых пролетов откладывают рулеткой остаток проектного отрезка и полученную точку В (см. рис. 32, в) закрепляют колышком, к верхней поверхности которого прибита деревянная доска размером 10´15 см. На доске в точке В тонко отточенным карандашом наносят поперечный к створу штрих.
Используя теодолит, на верхней поверхности колышков и на доске прочерчивают карандашом по линейке створные риски.
Длину предварительно отложенного отрезка АВ измеряют в следующей последовательности.
По кольям в направлении створных рисок двое рабочих укладывают мерный прибор и натягивают его с помощью динамометра с силою 10 кг. Задний наблюдатель совмещает начальный штрих прибора с точкой А и подает команду «готово». Передний наблюдатель на створной риске булавкой фиксирует положение конечного штриха прибора и отвечает «есть». В зависимости от класса точности фиксацию пролета повторяют два (2-р класс) или три (1-р класс) раза. Из полученных точек, зафиксированных на переднем колышке, выбирают среднее положение и прочерчивают по линейке тонкий штрих, перпендикулярный к створной риске. В таком же порядке откладывают остальные целые пролеты и измеряют остаток. При измерении остатка начальные деления прибора с миллиметровой шкалой располагают рядом со штрихом на последнем колышке. Передний наблюдатель совмещает дециметровый штрих прибора со штрихом в точке В и сообщает записывающему отсчет П; задний наблюдатель по команде переднего производит отсчет З. Длину остатка вычисляют по формуле r = П - З. Таких пар отсчетов берут две (2-р класс) или три (1-р класс), из полученных значений вычисляют среднее.
В процессе измерений термометром определяют температуру воздуха: превышения между колышками, а также последним колышком и точкой В¢ определяют техническим нивелированием.
Длину отрезка АВ¢ вычисляют по формуле
Dн = ln + r.
Для определения горизонтального проложения dн вычисляют поправки за компарирование, температуру и превышения концов мерного прибора. Первые две поправки вычисляют соответственно по формулам (8) и (9). Поправку за превышения концов мерного прибора вычисляют раздельно для каждого из пролетов и остатка по формуле
![]()
где hi и Di - соответственно превышение и длина пролета и остатка.
Поправку за превышения dDv и отрезок АВ¢ вычисляют как сумму полученных поправок по пролётам и остатку.
После введения поправок сравнивают полученное значение dн с проектным значением d и производят редуцирование (корректировку положения) точки В¢. Для этого по створу линии от точки В¢ откладывают величину Dd = dн - d. Если значение Dd положительно, то точку В располагают между точками А и В¢, если отрицательно, то точку В располагают на продолжении линии АВ¢. Полученную точку В закрепляют постоянным знаком.
Для контроля линию АВ измеряют с относительной погрешностью 1:2000 в обратном направлении, что позволяет обнаружить наличие грубых промахов при построении.
По завершении работ бригада представляет схему построения, образец оформления которой приведен в прил. 11Б.
Задача: научиться выполнять построения точки с проектной отметкой, закрепить знания о точности построений и способах ее обеспечения на строительных объектах.
Приборы и принадлежности: нивелир, штатив, рейки, краска и кисти для нанесения рисок на строительных конструкциях или деревянный колышек для закрепления точки на местности, линейка с миллиметровыми делениями, журнал нивелирования, рабочая тетрадь.
На рис. 33, а репер А имеет отметку НА. Требуется так провести горизонтальную риску на конструкциях здания или закрепить на местности точку В, чтобы ее отметка имела проектное значение Нп. Значение проектной отметки и местоположение точки В задает преподаватель.
Построение риски с проектной отметкой с точностью технического нивелирования производят нивелирами Н-3, Н-3К, НС-4 и равными им по точности. Прибор устанавливают на глаз на равном удалении от точек А и В, наводят зрительную трубу на рейку в точке А, элевационным винтом приводят пузырек в нуль-пункт и берут отсчет ач по черной стороне рейки. Далее вычисляют проектный отсчет по черной стороне рейки для точки В bч = (НA + ач) - Hп = ГПч - Нп.
Чтобы получить риску с проектной отметкой, к конструкции здания прикладывают в точке В рейку и передвигают ее по команде исполнителя вверх или вниз до тех пор, пока средняя горизонтальная нить не совпадет с отсчетом bч. После совмещения карандашом прочерчивают по пятке рейки на конструкции здания горизонтальную риску Вч.
Аналогичные построения повторяют по красным сторонам реек, вычисляют проектный отсчет в точке В bк = (НА + ак) - Hп = ГПк - Нп и получают на конструкции здания риску Вк.
Расстояние ДА между рисками Вч и Вк не должно превышать 10 мм. Если условие соблюдается, то карандашом отмечают среднее положение В и производят окраску риски, а над условным знаком проектной отметки подписывают ее числовое значение (см. рис. 33, а).
Рис. 33. Построение точки с проектной отметкой:
а - схема построения; б - закрепление точки с помощью колышка; в - закрепление точки на конструкции здания
При выполнении земляных работ для построения риски с проектной отметкой в точке В забивают деревянный колышек, чтобы его верхний срез был заведомо выше проектной отметки (рис. 33, б). Затем слабыми ударами медленно вбивают колышек в грунт, периодически устанавливая на него рейку и беря отсчеты по нивелиру. Эту операцию проводят до тех пор, пока отсчет по рейке не будет равен проектному значению bч. Для контроля построения измеряют по красным сторонам реек превышение hк между репером и верхним срезом кола. Разность между измеренным превышением и проектным hп = Нп - НА не должна превышать 15 мм.
По завершении работ бригада представляет схему построения, образец оформления приведен в прил. 12А.
Построение точек с проектными отметками с повышенной точностью производят при монтаже технологического оборудования промышленных предприятий, при возведении зданий повышенной этажности, при монтаже зданий с большими пролетами между опорами и при возведении уникальных сооружений. Требования СНиП 3.01.03-84 к точности измерений и условиям обеспечения этой точности для типовых зданий приведены в табл. 30.
Таблица 30. Точность построения проектных отметок
|
Средние квадратические погрешности превышения на станции, мм |
||
|
2 - 3 |
5 |
|
|
Неравенство плеч на станции, м, не более |
7 |
10 |
|
Высота визирного луча над препятствием, м, не менее |
0,2 |
|
|
Типы нивелиров по ГОСТ 10528-76 или им равноточные |
Н-3 и модификации |
|
|
Типы реек для нивелиров по ГОСТ 11158-83 или им равноточные |
РН-3 |
|
Построение точки с повышенной точностью осуществляют следующим образом.
Нивелированием по черным сторонам реек выносят на конструкции здания проектную отметку и карандашом проводят риску В1 (рис. 33, в). С заданной преподавателем точностью измеряют превышение hи между репером А и риской В1. При измерении этого превышения соблюдают условия, перечисленные для заданного класса точности в табл. 30.
Вычисляют значение редукции Dh = hи - hп и с помощью линейки с миллиметровыми делениями наносят риску В. Если значение редукции положительно, то риску В располагают ниже риски В1, если отрицательно - выше риски В1.
Полученную риску В открашивают масляной краской, а над условным знаком проектной отметки подписывают ее числовое значение.
Для контроля построения измеряют превышение между репером А и риской В. Расхождение между результатом контрольного измерения превышения и его проектным значением по абсолютной величине не должно превышать удвоенной средней квадратической погрешности для данного класса точности построений.
По завершении работ представляют схему построения, образец оформления которой приведен в прил. 12Б.
Геодезические построения и измерения, выполняемые для определения положений зданий и коммуникаций на местности, называют перенесением проекта застройки в натуру или геодезической разбивкой основных осей.
Рис. 34. Планы осей:
а - здания сложной конфигурации; б - простой конфигурации
Основными называют оси, ограничивающие общий контур (габарит) здания. На рис. 34, а основными являются оси А-А, В-В, Д-Д, 1-1, 3-5, 5-5, 7-7. Разбивку основных осей зданий производят от красных линий, от существующих зданий и с точек планового обоснования.
Для определения положения коммуникаций на местности разбивают ось трассы и ее основные точки (углы поворота, смотровые колодцы, опоры надземных коммуникаций и т.п.). Перенесение оси трассы и ее основных точек производят от элементов ситуации и с точек теодолитного хода или пунктов опорной сети.
Так как основные оси определяют положение здания или коммуникации на местности, то требования к точности их разбивки должны согласовываться с точностью плана, на котором разработан проект строительства. Проектирование обычно осуществляют на плане масштаба 1:500, поэтому допустимая погрешность разбивки должна быть порядка 0,1 мм ´ 500 = 5 см.
Предельные погрешности разбивки основных осей при непосредственных линейных измерениях от красных линий составляют 5 см для продольных осей и 3 см для поперечных осей. При невозможности непосредственных измерений от красных линий предельные погрешности составляют соответственно 8 см и 5 см.
Задача: научиться выполнять разбивку основных осей зданий, закрепить навыки построения проектных углов и отрезков, усвоить методы закрепления осей и составления отчетной документации.
Приборы и принадлежности: комплект приборов для построения проектных углов и отрезков, план строительного участка, разбивочный чертеж и план осей здания (типового этажа).
Исходными данными для разбивки осей служат план строительного участка, на котором преподаватель наносит проектное положение здания (рис. 35, а), и план осей здания (см. рис. 34, б).
Работу выполняют в такой последовательности: привязка строящегося здания, разбивка основных осей на строительной площадке.
Привязку строящегося здания осуществляют путем определения расстояний до ближайшего капитального сооружения. Расстояния определяют с возможно большей тщательностью по плану строительного участка, используя измеритель и масштабную линейку. На рис. 35, а осуществлена привязка (расстояния 25,00 и 9,00 м) к 5-этажному жилому дому, расположенному параллельно строящемуся зданию.
Затем определяют расстояния до других капитальных сооружений и некоторых «твердых» точек ситуации. Эти расстояния используют при разбивке осей на местности для контрольных промеров. В нашем примере для контроля определили расстояния (31,60 и 2,30 м) до 9-этажного жилого здания.
Рис. 35. Разбивка основных осей зданий:
а - план участка; б - схема разбивки
Рис. 36. Схема разбивки основных осей здания от существующей застройки
По полученным результатам составляют разбивочный чертеж (рис. 35, б), на который наносят основные оси строящегося здания, существующие капитальные строения, некоторые элементы ситуации и выписывают величины привязок, расстояния для контроля, размеры по основным осям (24,00 и 10,00 м) и диагональ прямоугольника осей (26,00 м). Так как на чертеже размеры приводятся по осям, то при разбивках осей необходимо учесть расстояния от контура строящегося здания до его осей. Эти величины выбирают с плана осей или плана типового этажа. На рис. 35, б для продольных и поперечных осей эти расстояния соответственно равны 150 мм = 0,15 м и 100 мм = 0,10 м, поэтому на разбивочный чертеж выписывают величины 25,00 + 0,15 = 25,15 м и 9,00 + 0,10 = 9,10 м. Соответственно для контрольных расстояний до 9-этажного дома получаем 31,60 + 0,10 = 31,70 м и 2,30 + 0,15 = 2,45 м.
Разбивку основных осей на строительной площадке осуществляют по размерам, приведенным на разбивочном чертеже. Последовательность действий при разбивке рассмотрим на примере разбивочного чертежа рис. 35, б.
При построении базиса разбивки CD (рис. 36), параллельного существующему зданию и осям строящегося, откладывают отрезки C¢C = D¢D по створам торцевых стен здания. Величину отрезков выбирают так, чтобы она была невелика, но позволяла установить, теодолит в точках С и Д. В нашем примере C¢C = D¢D = 1,50 м.
В точке С устанавливают тeoдoлит и по 4-р классу точности (см. табл. 28) производят построение прямого угла МСД так, как это описано § 21. По полученному направлению откладывают проектные отрезки 25,15 - 1,50 = 23,65 м до пересечения с осью В-В и 23,65 + 10,00 = 33,65 м до пересечения с осью А-А. Отложение проектных отрезков производят с относительной погрешностью 1:2000 (см. § 22). Полученные вспомогательные точки Е и М закрепляют - наносят карандашом на торцевых поверхностях деревянных колышков пересекающиеся черточки (риски).
Аналогичные построения выполняют на другом конце базиса в точке D, получают и закрепляют точки осей G и Н.
Для определения точек пересечения осей В1 и В9 устанавливают теодолит в точке Е, приводят его в рабочее положение, визируют на точку G и по створу оси В-В откладывают от точки Е проектный отрезок 9,10 м. От точки В1 откладывают проектный отрезок 24,00 м и получают точку В9. Точки пересечения осей закрепляют деревянными колышками с рисками на торцах. Для удобства следующих построений ось В-В закрепляют краской на стене 9-этажного дома - точка В¢.
Аналогичными построениями от точки М получают и закрепляют точки пересечения осей A1, A9 и краской фиксируют на стене дома положения А¢ оси А-А.
Для контроля построения измеряют отрезки А1-В1, А9-В9 и диагонали прямоугольника. Отклонение от проектных значений не должно превышать 1:1000 измеряемого отрезка.
Далее устанавливают теодолит в точке В1, от направления на точку В¢ строят прямой угол B¢-B1-1¢ и откраской точки 1¢ отмечают на стене дома положение оси 1-1. Аналогичные построения производят в точке В9 и получают откраску 9¢ оси 9-9.
Для контроля одновременно с этими построениями измеряют отрезки B1-1¢, B9-9¢ и 1¢-С¢. Отклонения результатов от проектных значений не должны превышать величин, приведенных в § 24. В нашем примере отклонения первых двух результатов от проектного значения 25,15 м должны быть не более 3 см, а третьего результата от значения 9,10 м - не более 5 см.
Для контроля качества переноса в натуру в целом измеряют расстояния от точек пересечения основных осей до других капитальных сооружений и элементов ситуации. В нашем примере измеряют отрезки В9-В¢ и А9-А¢. Отклонения результатов измерений от значений, приведенных на разбивочном чертеже, не должны превышать удвоенной величины допустимых погрешностей. Если допуски не соблюдаются, то это означает, что или размеры сняты с плана неточно, или недостаточно точно выполнена съемка ситуации на плане.
Если на местности отсутствуют капитальные здания, то контроль осуществляют промерами от наиболее надежных элементов ситуации. В этом случае допустимые отклонения увеличивают до 15 см.
Чтобы сократить разбивку основных осей на весь период строительства, их закрепляют на продолжении за контуром здания деревянными колышками с рисками. Такие точки называют створными точками осей или «выносками». Расстояния от контура здания до створных точек выбирают так, чтобы обеспечить сохранность знаков, закрепляющих положение осей на местности.
Таблица 31. График распределения обязанностей
|
Фамилии студентов |
|||||
|
А |
Б |
В |
Г |
Д |
|
|
Построение точек базиса |
С |
D |
- |
- |
- |
|
Разбивка вспомогательных створов |
СМ |
DH |
- |
- |
- |
|
Построение точек осей |
- |
- |
Е |
G |
- |
|
Разбивка створов продольных осей |
- |
- |
В-В |
- |
А-А |
|
Определение положения углов здания |
В1 |
В9 |
А9 |
А1 |
|
|
Разбивка створов поперечных осей |
- |
9-9 |
- |
1-1 |
- |
|
Контрольные измерения |
Вся бригада |
||||
По завершении полевых работ составляют исполнительный чертеж, на котором показывают существующие здания, основные оси строящегося здания и точки их закрепления (створные точки и откраски), а также расстояния от осей до створных точек и от открасок до угла или другой характерной точки здания. Результаты контрольных измерений выписывают красным цветом (в книге выписаны в скобках). Образец оформления исполнительного чертежа разбивки основных осей от существующей застройки дан в прил. 13.
Распределение обязанностей в бригаде осуществляют в соответствии с графиком работ, образец которого применительно к рассмотренному примеру для бригады из 7 студентов приведен в табл. 31.
К зачету бригада представляет план местности с нанесенным на него габаритом здания, план осей, разбивочный чертеж, график работ и исполнительный чертеж.
Задача: закрепить навыки по выполнению графоаналитической подготовки данных, научиться выполнять разбивку основных осей, закрепить навыки построения проектных углов и отрезков, усвоить методику закрепления осей и составления отчетной документации
Приборы и принадлежности: комплекты приборов для построения проектных углов и отрезков, план строительного участка, разбивочный чертеж и план осей здания.
Графо-аналитическая подготовка данных для разбивки основных осей здания. Исходными данными для подготовки являются план строительного участка, на котором преподавателем нанесен габарит здания, и ведомость координат точек теодолитного хода.
Подготовку начинают с расчета координат точек пересечения основных осей. Для этого с плана осей здания (см. рис. 34, а) выбирают расстояния от наружных граней стен до осей и откладывают эти расстояния в соответствующем масштабе от габарита здания на плане строительного участка. Затем выбирают наибольшую сторону здания, например А7-А1, графически определяют на плане координаты точки А7 и дирекционный угол направления выбранной стороны. Для получения необходимой точности координаты определяют с помощью измерителя и металлической масштабной линейки, а дирекционный угол - транспортиром (с возможно большей тщательностью) в точках А7 и A1. За окончательное значение дирекционного угла принимают среднее a = (aпр + aобр ± 180°)/2, где aпр и aобр - измеренные на плане дирекционные углы соответственно в прямом направлении с точки А7 на A1 и в обратном - с A1 на А7.
Координаты точки и дирекционный угол выписывают в ведомость вычислений координат (табл. 32). Длины сторон и внутренние углы b здания берут с плана осей. При вычислении координат контур осей здания удобнее обходить по часовой стрелке, тогда дирекционный угол следующей стороны вычисляют по формуле ai+1 = ai + bi. Вычисления выполняют, как в теодолитном ходе, только вместо невязок в приращениях координат может появиться погрешность округления в 0,01 м. Эту величину с противоположным знаком вводят в наибольшее по абсолютной величине приращение.
Таблица 32. Координаты осей здания и точек планового обоснования
|
Углы между осями здания угл. градус |
Дирекционный угол |
Длина стороны, м |
Приращения, м |
Координаты, м |
|||
|
Dx |
Dy |
X |
Y |
||||
|
А7 |
268°30¢ |
14,80 |
-0,39 |
-14,79 |
583,50 |
385,00 |
|
|
А1 |
90 |
358 30 |
5,00 |
+5,00 |
-0,13 |
583,11 |
370,20 |
|
В1 |
90 |
88 30 |
5,00 |
+0,13 |
+5,00 |
588,11 |
370,07 |
|
В3 |
270 |
358 30 |
4,80 |
+4,80 |
-0,13 |
588,24 |
375,07 |
|
Д3 |
90 |
88 30 |
4,80 |
+0,13 |
+4,80 |
593,04 |
374,94 |
|
Д5 |
90 |
178 30 |
4,80 |
-4,80 |
+0,13 |
593,17 |
379,34 |
|
В5 |
270 |
88 30 |
5,00 |
+0,13 |
+5,00 |
588,37 |
379,87 |
|
В7 |
90 |
178 30 |
5,00 |
-5,00 |
+0,13 |
588,50 |
384,50 |
|
А7 |
90 |
268 30 |
583,50 |
585,00 |
|||
|
0 |
+0,01 |
||||||
|
II |
186 35,6 |
20,03 |
596,80 |
367,29 |
|||
|
III |
89 02,8 |
27,13 |
576,90 |
364,99 |
|||
|
IV |
576,45 |
392,12 |
|||||
Для удобства последующих вычислений в табл. 32 выписывают из ведомости вычислений координат теодолитного хода координаты, дирекционные углы и длины сторон планового обоснования.
Точки пересечения осей в углах зданий переносят в натуру полярным способом. Направления с точек теодолитного хода на пересечения осей намечают на плане строительного участка. При этом полярные расстояния по возможности должны быть небольшими, на линии не должно быть препятствий для измерений.
Для определения полярных углов и расстояний по намеченным точкам решают обратные геодезические задачи. Вычисления выполняют на микрокалькуляторе с оформлением результатов в вычислительной схеме (табл. 33).
Приведенная вычислительная схема предусматривает запись только необходимых промежуточных результатов. Так, в строке 7 записывают значения r в градусной мере в виде десятичной дроби, которые в последующем необходимы для вычисления на микрокалькуляторе строк 10 и 11.
Таблица 33. Расчет разбивочных элементов переноса в натуру осей здания
|
Формулы и обозначения |
II-Д3 |
III-A1 |
IV-A7 |
|
|
1 |
Y2 |
374,94 |
370,20 |
385,00 |
|
3 |
Y1 |
367,29 |
364,99 |
392,12 |
|
5 |
Dy = Y2 - Y1 |
+7,65 |
+5,21 |
-7,12 |
|
10 |
d = Dy/sinr° |
8,524 |
8,106 |
10,020 |
|
2 |
X2 |
593,04 |
583,11 |
583,50 |
|
4 |
X1 |
596,80 |
576,90 |
576,45 |
|
6 |
d = Dx/cosr° |
-3,76 |
+6,21 |
+7,05 |
|
11 |
d = Dx/cosr° |
8,524 |
8,106 |
10,020 |
|
7 |
r = arctg (Dy/Dx) |
63,826° |
39,996° |
45,283° |
|
8 |
r |
ЮВ 63°50¢ |
СВ 40°00¢ |
СЗ 45°17¢ |
|
9 |
a |
116°10¢ |
40°00¢ |
314°43¢ |
|
12 |
aтх |
186°36¢ |
6°36¢ |
270°16¢ |
|
13 |
b = a - aтх |
289°34¢ |
33°24¢ |
44°27¢ |
|
14 |
dср |
8,52 |
8,11 |
10,02 |
Таблица 34. Программа решения обратных геодезических задач на микрокалькуляторе
|
Последовательность нажатия клавиш |
Показания индикатора |
Примечания |
|
|
Dx = X2 - X1 |
593,04 - 596,8 = |
-3,76 |
Записываем - 3,76 в строку 6 табл. 33. |
|
ЗАП |
-3,76 |
Число в РП |
|
|
Dy = Y2 - Y1 |
374,94 - 367,29 = |
7,65 |
Записываем 7,65 в строку 5 |
|
tg a = Dy/Dx |
¸ F х → П |
7,65 -3,76 |
Перевод числа из РП в РИ |
|
= |
-2,0345744 |
||
|
r = arctg(Dy/Dx) |
F arctg /-/ |
-63,82572 |
63,826° записываем в строку 7 |
|
F ЗАП |
Число в РП |
||
|
Обращение долей градуса в минуту |
+63 ´ 60 = |
-49,5432 |
63°50¢ записываем в строку 8 |
|
d = Dysinr° |
F ИП F sin F 1/х ´ 7,65 |
-0,897456 -8,5240943 |
8,524 записываем в строку 10 |
|
d = Dx/cosr° |
F ИП F cos F 1/х ´ 3,76 |
2,2670442 8,5240861 |
8,524 записываем в строку 11 |
Программа вычислений на микрокалькуляторе типа «Электроника Б3-18М» на примере решения обратной задачи П-Д3 приведена в табл. 34.
Подготовку данных завершают составлением разбивочного чертежа (рис. 37), который составляют в произвольном масштабе так, чтобы весь графический и числовой материал читался без затруднений. На чертеже показывают основные оси зданий, точки и стороны теодолитного хода, разбивочные элементы и направление на север для ориентирования чертежа на местности. Кроме того, на разбивочный чертеж выписывают значения дирекционных углов, и длин сторон теодолитного хода, значения полярных углов и расстояний, названия осей и точек планового обоснования. Там, где необходимо, для удобства построений выписывают дополнения полярных углов до 360°.
Рис. 37. Разбивочный чертеж
В отдельных случаях для более четкого показа числового материала короткие стороны разрешается на чертеже несколько увеличивать.
На разбивочном чертеже должны быть подписи лиц, составивших и проверивших чертеж.
Разбивка основных осей на местности. До начала полевых работ составляют график распределения обязанностей в бригаде. Образец графика дан в табл. 35.
Построение разбивочных элементов на местности осуществляют по разбивочному чертежу. Последовательность действий рассмотрим на примере построений, приведенных на рис. 37.
На точке II теодолитом с точностью отсчетного устройства (см. § 23) при двух положениях вертикального круга от направления II-III строят проектный угол bII = 289°34¢. Полученную точку закрепляют шпилькой из комплекта мерного прибора в 9 - 10 м от точки II, т.е. на 0,5 - 1,5 м дальше точки Д3.
Таблица 35 График распределения обязанностей в бригаде
|
Фамилии студентов |
|||||
|
А |
Б |
в |
Г |
Д |
|
|
Построение точек пересечения осей с точками теодолитного хода |
Д3 |
А1 |
А7 |
- |
- |
|
Построение точек пересечения осей по габаритам здания |
B3 |
В5 |
Д5 |
В1 |
В7 |
|
Контрольные измерения диагоналей прямоугольников |
А1-В7 |
В1-А7 |
- |
ДЗ-В5 |
Д5-В3 |
|
«Подсечки» точек пересечения осей |
- |
- |
Д3 |
А1 |
А7 |
После закрепления точки осуществляют контроль построений. Для этого на лимбе теодолита устанавливают отсчет, равный дирекционному углу линии II-III: aII-III = 186°36¢, и поворотом лимба визируют на точку III. Открепляют алидаду и устанавливают на горизонтальном круге отсчет aII=д/3 = 116°10¢. Полученная ранее точка Д3 в поле зрения трубы не должна выходить из биссектора.
Контроль правильности отложения проектного расстояния осуществляют измерением полученного отрезка в одном направлении. Расхождение между результатом контрольного измерения и проектным значением отрезка не должно превышать 1 см.
При полярных расстояниях до 6 м построение проектного угла осуществляют при одном положении вертикального круга. Полярные расстояния больше длины мерного прибора (20 м) не допускаются.
После перенесения в натуру точек пересечения осей с пунктов планового обоснования производят построение недостающих точек контура здания. Для этого от наибольшего пролета осей, например от пролета А1-А7 (см. рис. 37), строят проектные углы в точках А1 и А7, откладывают проектные отрезки по 5,00 м и получают точки В1 и В7. Правильность построений контролируют промерами диагоналей прямоугольников. Отклонения контрольных промеров от проектных значений не должны превышать 3 см. Результаты контрольных промеров выписывают на исполнительный чертеж (прил. 14) красным цветом.
Одновременно с построениями производят закрепление осей выносками и открасками (не менее чем двумя для каждой оси) на существующих зданиях и сооружениях. Закрепление осуществляют металлическими штырями или деревянными колышками с открасками на торцевой поверхности.
Полевые работы завершают заключительным контролем, так называемыми «подсечками». Для этого на стороне теодолитного хода откладывают произвольный отрезок и в полученной точке измеряют угол между продолжением стороны и направлением на контролируемую точку, а также расстояние между полученной и построенной точкой. Наиболее благоприятным считается случай, когда стороны образованного подсечкой треугольника приближенно равны. Результаты измерений записывают в журнал и выписывают на исполнительный чертеж разбивки основных осей зданий (прил. 14). На исполнительном чертеже для «подсечки» пересечения осей Д3 от точки II по стороне II-III теодолитного хода отложено расстояние 8,00 м и из полученной точки II + 8,00 измерены угол bк = 122°35¢ и расстояние dк = 9,55 м.
Для каждого здания контроль «подсечками» осуществляют не менее чем по трем точкам.
По результатам контрольных измерений («подсечек») вычисляют координаты точек пересечения осей и сравнивают их с проектными значениями. Для этого в ведомость вычислений (табл. 36) с исполнительного чертежа выписывают в графу 1 названия точек, в графу 2 - измеренные на створных точках углы и в графу 4 - расстояния от точек теодолитного хода до створных точек и от створных точек до точек пересечения осей здания. Из ведомости вычисления координат вершин теодолитного хода выписывают в графу 3 дирекционные углы сторон теодолитного хода (направления с точек теодолитного хода на створную точку) и в графы 7 и 8 - координаты точек теодолитного хода Хтх и Yтх.
Таблица 36. Ведомость вычисления координат точек пересечения осей и отклонений координат от проектных значений
|
Измеренный угол |
Дирекционный угол |
Длина линий |
Приращения координат |
Координаты |
Название точки, отклонение |
|||
|
Dх |
Dy |
X |
Y |
|||||
|
1 |
2 |
3 |
4 |
5 |
6 |
7 |
8 |
9 |
|
II II + 8 Д3 |
122°36¢ |
186°36¢ |
8,00 |
-7,95 |
-0,92 |
596,80 +1 593,05 593,04 |
367,29 +3 374,97 374,94 |
II 3 см Д3 |
|
64 00 |
9,57 |
+4,20 |
+8,60 |
|||||
|
-3,75 |
+7,68 |
Д3пр |
||||||
|
III III + 6 А1 |
96 03 |
89 03 |
6,00 |
+0,10 |
+6,00 |
576,90 0 583,11 583,11 |
364,99 +4 370,24 370,20 |
III 4 см А1 |
|
353 00 |
6,16 |
+6,11 |
-0,75 |
|||||
|
+6,21 |
+5,25 |
А1пр |
||||||
|
IV IV + 10 А7 |
112 38 |
269 03 |
10,00 |
-0,17 |
-10,00 |
576,45 -4 583,46 583,50 |
392,12 -2 384,98 385,00 |
IV 5 см А7 А7пр |
|
21 41 |
7,73 |
+7,18 |
+2,86 |
|||||
Дирекционные
углы «подсечек» вычисляют, пользуясь чертежом. Так, для точки D3 дирекционный
угол направления (II - 8,00) - D3 определяют как разность: aII-III -
= 186°36¢ - 122°36¢ = 64°00¢, а для точки А7
- как сумму aIV-III -
= 269°03¢ + l12°38¢ = 381°41¢ = 21°41¢.
По полученным значениям a и d вычисляют приращения координат Dx и Dу,
записывают их в графы 5 и 6, подсчитывают суммы приращений от
точки теодолитного хода до точки пересечения осей здания
и
по каждой
«подсечке» отдельно. Координаты точек, полученные по контрольным измерениям,
вычисляют по формулам
![]()
и выписывают в графы 7 и 8. В тех же графах под полученными значениями выписывают красным цветом из табл. 32 проектные координаты Хп, Yп и вычисляют отклонения по осям координат
Dx = X - Хп; Dy = Y - Yп
и общее отклонение
![]()
Отклонения выписывают на исполнительную схему (прил. 14) красным цветом, Отклонения не должны превышать 10 см.
После завершения вычислений составляют исполнительный чертеж. На чертеже показывают точки планового обоснования и створные точки, с которых осуществляли «подсечки», основные оси здания и диагонали прямоугольников, створные точки осей и откраски на существующих зданиях. На чертеж выписывают результаты контрольных измерений, отклонения от проектных значений и расстояния от основных осей до створных точек.
К зачету бригада представляет график распределения обязанностей, план местности с нанесенным на него габаритом здания, план осей, расчет разбивочных элементов, разбивочный и исполнительный чертежи.
Задача: научиться переносить в натуру проект инженерной сети, ознакомиться с методикой контроля и составлением отчетной документации.
Приборы и принадлежности: комплекты теодолита и нивелира, фрагмент генерального плана или строительного участка с инженерными сетями, чертежные принадлежности, масштабная линейка, измеритель и рабочая тетрадь.
Задание предназначено для студентов специальностей «Водоснабжение и канализация», «Теплоснабжение и вентиляция».
В качестве исходного материала используют фрагмент генерального плана в масштабе 1:500 (1:1000) или план строительного участка, на котором преподавателем нанесена трасса инженерной сети. Половину трассы рекомендуется располагать вблизи зданий, а оставшуюся часть - на незастроенной территории. На одном из участков трассы предусматривают установку визирок.
Работу по перенесению трассы с генплана на местность начинают с составления разбивочного чертежа, на котором показывают ось инженерной сети, а углы поворота трассы дают с «привязками» к существующим элементам местности, т.е. отмечают взаимное положение проектных и существующих точек.
В пределах застроенной части территории поворотные колодки привязывают к капитальным сооружения, опорам ЛЭП и другим твердым контурам.
Наиболее распространенные способы привязки рассмотрим на примере трассы, приведенной в прил. 15.
Если расстояние от твердых контуров до определяемой точки не превышает длины мерного прибора (20 ¸ 30 м), то применяют способ линейной засечки. В этом способе расстояния от контуров до колодцев определяют по плану с помощью измерителя и масштабной линейки, а на местности из точек привязки проводят дуги соответствующих радиусов. Пересечение дуг (засечка) дает положение определяемой точки. Для контроля построений используют не менее трех расстояний. По точности наиболее благоприятным считают случай, когда три засечки пересекаются под углами 120°.
В рассматриваемом примере (прил. 15) положение колодца К-1 определяют расстояниями 18,40; 13,72 и 16,84 м, откладываемыми от соответствующих точек 5-этажного здания.
Если точки твердых контуров или пункты планового обоснования удалены от определяемого колодца на значительные расстояния или по условиям местности затруднены отложения линий, то используют способ угловых засечек. В этом способе с точек съемочного обоснования или твердых контуров измеряют транспортиром на плане углы на определяемую точку. На местности положение проектной точки определится пересечением построенных направлений. Для контроля угловые засечки определяют с трех пунктов. Наиболее благоприятен случай, когда полученные направления пересекаются в определяемой точке под углами, близкими к 120°.
В рассматриваемом примере положение колодца К-4 определяется с пунктов пз 1340, пз 1341 и пз 1342 углами b1 = 18°12¢, b2 = 19°30¢ и b3 = 35°24¢.
На незастроенной части территории перенесение проекта в натуру выполняют полярным способом с точек планового обоснования. Координаты колодцев определяют на плане графически, а разбивочные элементы (полярные углы и полярные расстояния) получают аналитическим путем. Подробно этот способ рассмотрен в § 28.
В нашем примере полярным способом переносят в натуру колодец К-6.
Подготовка к перенесению в натуру завершается составлением разбивочного чертежа, образец оформления которого дан в прил. 15.
Положение на местности углов поворота трассы (поворотных колодцев) определяют по привязкам, приведенным в разбивочном чертеже. Разбивочные элементы содержат погрешности построения контуров на плане и погрешности их графического определения. Построение проектных элементов на местности тоже сопровождается появлением погрешностей. В связи с этим отрезки в способе линейных засечек и направления в способе угловых засечек не пересекаются в одной точке, а образуют так называемый треугольник погрешностей. Стороны треугольника погрешностей не должны превышать 10 см. Если это условие выполнено, то за окончательное положение определяемой точки принимают центр тяжести треугольника.
Положение на местности промежуточных колодцев, расположенных на прямолинейных участках трассы, определяют створным способом. Для этого по створу поворотных колодцев откладывают приведенные на разбивочном чертеже проектные отрезки между колодцами. Так, в рассматриваемом нами примере положение колодца К-5 намечают в створе колодцев К-4 и К-6, откладывая проектное расстояние l = 36,50 м от колодца К-4. Для контроля измеряют расстояние между колодцами К-5 и К-6.
В тех случаях, когда между поворотными колодцами нет прямой видимости, применяют способ вспомогательного треугольника. В нашем примере нет видимости между колодцами К-1 и К-3, так как в створе находится одноэтажное нежилое здание. Чтобы определить направление створа, в стороне от трассы закрепляют вспомогательную точку М, с которой есть видимость на К-1 и К-3, (рис. 38, а), измеряют одним приемом угол g, а нитяным дальномером - расстояния d1 и d2.
Углы a и b, используемые для задания направления трассы, вычисляют по формулам
sina = sing(d2/d3); sinb = sing(d1/d3),
![]()
Для контроля используют вторую вспомогательную точку N и выполняют аналогичные измерения. Расхождения в задаваемом створе по углам g и g¢ не должны превышать 2¢. Вспомогательные точки следует располагать по возможности ближе к створу с таким расчетом, чтобы углы a и b не превышали 15°.
В том случае, когда не удается выбрать одну вспомогательную точку, для определения положения створа прокладывают вспомогательный теодолитный ход по точкам 1, 2, 3 (рис. 38, б), в котором измеряют углы b1, b2, b3 и расстояния d1, d2, d3, d4.
Далее по условным координатам колодца К-1 (ХK-1, YK-1) и условному дирекционному углу a0 вычисляют условные координаты К-3 по формулам
![]()
Решая обратную геодезическую задачу, находят между К-1 и К-3 дирекционный угол a1-2 и разбивочный угол b - a1-2 - a0.
Для контроля прокладывают второй вспомогательный ход и получают разбивочный угол b¢.
При общем контроле по всей трассе измеряют расстояния между колодцами. При этом расхождения для генплана масштаба 1:500 не должны превышать 15 см, а для масштаба 1:1000 - 30 см. Если нет возможности измерить эти расстояния непосредственно, применяют косвенные методы.
Чтобы определить положение траншеи по высоте на выбранном участке между колодцами, преподаватель задает отметки лотков труб колодцев и длину L ходовой визирки. Перед вычислением длины постоянных визирок определяют отметки поверхности земли в местах положения колодцев.
Рис. 38. Схемы определения направления между колодцами:
a - способ вспомогательного треугольника; б - способ вспомогательного теодолитного хода
Рис. 39. Способ крепления постоянных визирок
Рис. 40. Трассировка при помощи лазерного визира
Для удобства контроля строительных работ величину L целесообразно выбирать так, чтобы линия визирования проходила над поверхностью земли на высоте 1 - 1,5 м. Инвентарные крепления для постоянных визирок (рис. 39) устанавливают заранее в местах положения колодцев и геометрическим нивелированием определяют фактические отметки низа крепления визирки Ннв. Высоту постоянной визирки находят по формуле
hв = L - (Ннв - Нп),
где Нп - проектная отметка. В том случае, когда визирки устанавливают в произвольных точках, предварительно находят проектные отметки Нп в местах крепления постоянных визирок по формуле
Нп = Нп(к) + iпd,
где Нп(к) - проектная отметка дна колодца; iп - проектный уклон трассы; d - расстояние от соответствующей визирки до колодца.
В связи с развитием лазерной техники при производстве земляных работ и при укладке подземных трубопроводов широко используют лазерные визиры ЛВ.
При укладке труб с помощью ЛВ геометрическим нивелированием определяют отметки точек в начале Н1 в конце Н2 заданного участка трассы. В точке 1 (рис. 40) устанавливают ЛВ и с помощью рулетки или рейки определяют высоту b лазерного луча, а величину отсчета а по ориентирной рейке в точке 2 вычисляют по формулам
a = L - (Н2 - Н2п); L = b + (Н1 - Н1п).
В точке 2 устанавливают рейку и проецируют на нее луч лазера. С помощью элевационного винта ЛВ наклоняют трубу прибора до совмещения лазерного луча с отсчетом а на рейке. В этом случае при установке рейки в лотке трубы (в пределах участка) проектный отсчет по рейке будет равен а.
При невысоких требованиях к точности, например при земляных работах, наклон лазерного луча осуществляют по барабану элевационного винта, оцифрованному в единицах уклона.
Приемка выполненных работ производится преподавателем в поле. К зачету бригада представляет разбивочный чертеж (прил. 15) и схему задания направления оси трассы по высоте с расчетами.
Задача: научиться выполнять разбивочные работы при рытье котлованов.
Пособия и принадлежности: план строительного участка, микрокалькулятор, миллиметровая и чертежная бумага, чертежные принадлежности, стальная рулетка, молоток и деревянные колышки.
При разбивке котлована закрепляют на местности нижний контур и верхнюю бровку (линию нулевых работ).
Исходными материалами служат: план строительного участка, на котором преподаватель наносит контур фундамента, проектная отметка Нп дна котлована, крутизна откоса k = 1/m и ширина пазух l (рис. 41, а, б).
Вокруг здания на расстоянии, равном ширине пазух, закрепляют контур нижнего очертания котлована 1, 2, 3, 4. Обычно ширину пазух принимают равной 0,5 - 2 м. После этого приступают к нанесению на план верхней бровки 1¢, 2¢, ..., 8¢. Для этого необходимо получить значения горизонтальных проложений d1, d2, ..., d8 между верхней бровкой и нижним очертанием котлована (см. рис. 41, а). Эти значения могут быть получены графическим или графо-аналитическим способом.
Рис. 41. Пример разбивки контура котлована:
а - план; б - профиль
Графическим способом горизонтальные проложения получают при помощи построения на миллиметровой бумаге вспомогательных сечений котлована в масштабе 1:100 - 1:200 (см. рис. 41, б). Вертикальный и горизонтальный масштабы должны быть одинаковыми.
Сечения строят в следующей последовательности:
проводят на миллиметровой бумаге нижнюю границу котлована 1-2;
наносят положение горизонталей 105,0; 104,5; 104,0;
из точек 1 и 2 проводят наклонные линии в соответствии с заданной крутизной откоса до пересечения с поверхность земли;
графически определяют горизонтальные проложения.
Аналогично строят сечения вдоль всех основных осей зданий и получают искомые величины.
Следует иметь в виду, что крутизну откоса характеризуют дробью, в числителе которой стоит единица, а в знаменателе - коэффициент заложения m, т.е. k = 1/m. При этом m = d/h, где h - разность между проектной отметкой дна котлована и отметкой верхней бровки в данном сечении, d - горизонтальное проложение.
При рытье котлована в зависимости от состава горных пород и его глубины крутизну откосов принимают равной 1/0,5; 1/0,75; 1/1; 1/1,5; 1/2 и т.д.
Для того чтобы построить на сечении наклонную линию с крутизной откоса 1/m, следует отложить произвольную величину h¢ вверх по вертикали, проходящей через данную точку, а затем из конца этого отрезка восставить перпендикуляр, равный mh¢, после чего соединить конец перпендикуляра с данной точкой. На рис. 41, б поясняется подобное построение откоса крутизной 1/1,5. В точке 2 отложен по вертикали отрезок h¢ = 4 см и восставлен перпендикуляр из точки М, равный mh¢ = 1,5·4 = 6 см. Искомую наклонную линию строим, соединяя точки N и 2.
При графоаналитическом способе значения d вычисляют методом последовательных приближений по формуле
d = mh/(1 + im),
где h - глубина дна котлована; i - уклон существующей поверхности между точками 1-1¢, 1-2¢, 2-3¢, 2-4¢ и т.д.
i1-1¢ = (H1 - H1¢)/d1; i1-2¢ = (H2 - H2¢)/d2; i2-3¢ = (H3 - H3¢)/d3 и т.д.,
где H1, H¢1, Н2 ... - отметки поверхности земли в данных точках.
В качестве примера рассмотрим вычисление длины отрезка 2-4¢ применительно к рис. 41, а.
По горизонталям на исходном чертеже определяют значения отметок Н2
= 104,7 и приближенные значения
и ![]()
Далее находим значение
в первом приближении (индексы в
виде римских цифр, стоящих вверху, обозначают номер приближения).
![]()
![]()
Во втором приближении откладывают на чертеже отрезок
и
определяют по горизонталям отметку
.
После этого выполняют аналогичные вычисления:
![]()
![]()
В данном случае во втором приближении получен практически такой же результат, как в первом. Поэтому за окончательное значение d4 можно принять 6,60 м.
Следует иметь в виду, что количество приближении зависит от точности, с которой в первом приближении мы задаем исходные величины d0 и Н1. Но, как правило, приходится делать не более 3 - 4 приближений. Вычисления следует выполнять до тех пор, пока разность двух последних значений будет меньше 10 см.
По полученным значениям d на чертеж наносят точки 1¢, 2¢, 3¢ и т.д., которые вдоль основных осей соединяют прямыми, а на углах - плавными кривыми линиями.
Для разбивки контуров котлована, как правило, используют методы перпендикуляров, линейных и створных засечек, рассмотренные в § 27 - 29. Разбивочные данные получают на плане (графически). В качестве местных предметов используют здания, колодцы инженерных сетей, дороги, пункты геодезического обоснования, показанные на исходном чертеже. Необходимо предусмотреть контроль при выносе в натуру каждой точки.
Желательно, чтобы длины отрезков при линейных засечках не превышали длины применяемых мерных приборов. После разбивки нижнего контура котлована выносят в натуру верхнюю бровку, откладывая соответствующие расстояния. Все точки закрепляют на местности колышками.
Для контроля правильности выполненных разбивочных работ производят измерения сторон нижнего контура котлована. При этом разбивка считается выполненной правильно, если длины измеренных сторон отличаются от проектных не более чем на 20 см.
По окончании полевых работ составляют разбивочный чертеж (см. прил. 16), на котором показывают контуры котлована, местные предметы, от которых велась разбивка. Проектные значения записывают в числителе, контрольные промеры - в знаменателе.
Задача: научиться выполнять детальную разбивку осей зданий, усвоить методику выполнения контрольных измерений и оформления отчетной документации.
Приборы и принадлежности: комплекты приборов для построения проектных углов и отрезков, план осей зданий, микрокалькулятор и рабочая тетрадь.
При детальной разбивке на местности или на конструкциях здания фиксируют положение осей, по которым при строительстве производят монтаж конструкций.
Требования СНиП 3.01.03-84 к точности детальной разбивки для наиболее распространенных видов зданий и сооружений приведены в табл. 37.
Перед началом работ составляют график распределения обязанностей (табл. 38).
Требования к точности детальной разбивки выше, чем к разбивке основных осей, поэтому прямоугольники основных осей из-за точности не могут быть непосредственно использованы в качестве основы для детальной разбивки.
Таблица 37. Требования к точности детальной разбивки осей
|
Величины средних квадратических погрешностей |
||
|
угловых измерений, угл. с |
линейных измерений |
|
|
Здания выше 15 этажей и сооружения высотой от 60 до 100 м |
10 |
1:10000 |
|
Здания от 5 до 15 этажей, сооружения высотой от 15 до 60 м |
20 |
1:5000 |
|
Здания до 5 этажей и сооружения высотой до 15 м |
30 |
1:3000 |
Таблица 38. График распределения обязанностей
|
Фамилии студентов |
|||||
|
А |
Б |
в |
г |
Д |
|
|
Построение точек пересечения осей |
А9 |
В1 |
В9 |
- |
- |
|
Контрольные измерения пролетов осей |
- |
- |
В1-В9 |
А1-В9 |
А9-В1 |
|
Построение осей |
2-2, 3-3 |
4-4 |
5-5 |
6-6 |
Б-Б |
Детальную разбивку начинают с построения основных осей с точностью, необходимой для обеспечения монтажа конструкций здания (см. табл. 37). Для этого по направлению основных осей предварительно выравнивают поверхность земли и по створу наибольшего пролета, например пролета А1-А9 (см. рис. 34, б), от выбранной начальной точки А1 откладывают проектный отрезок 24,0 м (базис построений) и закрепляют уточненное положение точки А9. Точность построений должна удовлетворять требованиям, изложенным в табл. 37. Класс точности разбивки задает преподаватель.
Далее построением прямых углов и проектных отрезков определяют уточненное положение точек В1 и В9.
При коротких сторонах построение прямых углов необходимо
осуществлять линейными засечками. Для этого из точки А1 стальной
рулеткой по направлению оси 1-1 откладывают отрезок, соответствующий
горизонтальному проложению 10,0 м, проводят карандашом на верхнем срезе колышка
риску. Аналогичным образом откладывают какое-либо расстояние по створу оси А-А,
например расстояние 10,0 м. Полученную вспомогательную точку закрепляют
временным знаком и теодолитом с точки А9 проверяют створность ее
положения. Из вспомогательной точки раствором рулетки,
соответствующим длине гипотенузы
, проводят на колышке в точке В1 вторую
засечку и получают уточненное положение пересечения осей В-В и 1-1.
Аналогичными построениями определяют уточненное положение В9.
Для контроля измеряют с повышенной точностью расстояние В1-В9 и диагонали прямоугольника, образованного основными осями.
Детальную разбивку осей производят построением створов и делением сторон прямоугольника на части, пропорциональные пролетам осей здания. Этот способ не требует определения поправок при отложении проектных отрезков и является менее трудоемким.
Перед построением проектных отрезков в местах пересечений сторон прямоугольников с осями забивают вровень с землей деревянные колышки большого сечения и с гладким верхним срезом. При помощи теодолита или струны (нитки) на верхних срезах колышков намечают карандашом положение основной оси (стороны прямоугольника).
При делении сторон стальную рулетку с миллиметровыми делениями укладывают в створ стороны прямоугольника, например А1-А9, и берут отсчеты а1 и а9 в точках А1 и А9. Полученное расстояние L = a9 - а1 сравнивают с проектным значением L0 = 24,0 м и вычисляют поправку dL = L - L0. Проектные отсчеты, полученные путем пропорционального деления отрезка на части, вычисляют по формуле
где
- проектное
расстояние между осями 1-1 и i-i.
По полученным отсчетам на колышках карандашом отмечают положение осей 1-1, 2-2, ..., 8-8. Затем смещают рулетку и повторяют разбивку. Число сдвигов рулетки зависит от класса точности разбивки. За окончательное принимают среднее положение оси и закрепляют его откраской или небольшим гвоздиком.
Пример. При делении стороны А1-А9 (см. рис. 34, б) получены отсчеты а1 = 25 мм и а9 = 24043 мм. Вычислить проектные отсчеты для осей 3-3, 5-5, 7-7.
Вычислим длину стороны L = 24043 - 25 = 24018 мм и поправку dL = 24018 - 24000 = +18 мм.
Значения проектных отсчетов определим по формуле (22):
=
25 + 6000 + (18×600)/24000 = 6029,5 ≈ 6030 мм;
=
25 + 12000 + (18×12000)/24000 = 12034 мм;
=
25 + 18000 + (18×18000)/24000 = 18038,5 ≈ 18038 мм.
Для контроля измеряют отрезки осей и диагонали прямоугольников, образованных секционными осями. По результатам измерений вычисляют отклонения от проектных значений D = L - L0 и выписывают их на исполнительный чертеж.
На исполнительном чертеже детальной разбивки показывают все оси здания, проектные расстояния между осями и знаки закрепления осей. Отклонения от проектных значений, полученные по результатам контрольных измерений, выписывают на чертеже красным цветом (на образце - в кружке). Образец оформления исполнительного чертежа приведен в прил. 17.
При детальной разбивке осей здания на перекрытиях этажей съемочным обоснованием служат пункты плановой сети.
Плановая сеть на монтажном горизонте представляет систему прямоугольников, стороны которых параллельны осям здания. Все пункты сети имеют координаты в системе осей здания. Так, пункт IV на рис. 42, б, отстоящий от оси А-А на 0,85 м и от оси 3-3 на 1,35 м, имеет координаты (А + 0,85; 3 + 1,35). Расстояние а2 на том же рисунке составляет 0,90 м, пункт III имеет координаты (В - 0,90; 3 + 0,85).
Для панельных зданий пользоваться открасками непосредственно осей неудобно, так как они при монтаже закрываются панелями. Поэтому на перекрытиях этажа делают установочные риски (рис. 42, а) параллельные проектным осям. Расстояние от оси до установочной риски выбирают исходя из удобства монтажа панели.
При построении установочных рисок, например параллели оси 1-1, вычисляют расстояние а1 от стороны I-II до створа установочных рисок. Затем от пунктов I и II по створам соответствующих сторон сети откладывают проектные отрезки длиной а1 и получают точки L и N. На перекрытиях этажа по полученному створу LN с помощью теодолита или по струне производят откраски рисок в намеченных местах.
Рис. 42. Схемы детальной разбивки осей:
а - панельных зданий; б - зданий с каркасом из колонн
Аналогично производят построение линий, параллельных всем остальным осям зданий.
При детальной разбивке осей зданий с каркасом из колонн (см. рис. 42, б) оси закрепляют на боковых гранях оголовков колонн (части колонн нижнего этажа, выступающей над перекрытием). Разбивку осей производят с пунктов плановой сети путем отложения проектных отрезков и построением створов. Так, для построения оси 1-1 от пунктов I и II откладывают отрезки а1, в точке L устанавливают теодолит, визируют на точку N и намечают положение оси 1-1 на оголовках колонн.
После выполнения работ по детальной разбивке бригада представляет график распределения обязанностей, план осей зданий и исполнительный чертеж.
Задача: научиться выполнять выверку сборных элементов конструкций и подготовить конструкции здания к исполнительной съемке.
Приборы и принадлежности: облегченные макеты панелей или колонн из пенопласта или другого легкого материала, телескопические подкосы и рейка-отвес или рейка с уровнем для панелей, действующий макет кондуктора и теодолитный комплект.
Процесс установки сборных конструкций в проектное положение (выверка) сводится к последовательному перемещению отдельных частей конструкции. Сначала нижнее сечение конструкции устанавливают в проектное положение по установочным рискам или откраскам осей; затем перемещением верхней части элемента добиваются вертикальности его положения.
Перед началом работ выполняют разметку геометрической оси колонны. Для этого рулеткой с миллиметровыми делениями измеряют все грани колонны в нижнем и верхнем сечениях, а в середине грани наносят установочную риску.
Особое внимание следует обратить на тщательность и точность поверки визирной оси теодолита, так как выверку вертикальности колонн производят при одном положении вертикального круга. Чтобы обеспечить требования к точности выверки, выполняют поверку перпендикулярности коллимационной плоскости к оси вращения прибора и юстировку линейным способом.
Таблица 39. График распределения обязанностей в бригаде при выверке и исполнительной съемке колонн
|
Фамилии ответственных исполнителей |
|||||
|
А |
Б |
в |
Г |
Д |
|
|
Выверка колонн |
Б1 |
Б2, В1 |
Б3, A3 |
В3, А2 |
В2, А1 |
|
Исполнительная съемка колонн |
Б2, В1 |
Б3, A3 |
В3, А2 |
В2, A1 |
Б1 |
Объем работ задает преподаватель в соответствии с рабочей программой практики.
Перед началом работ составляют график распределения обязанностей в бригаде, образец которого (применительно к выверке колонн, изображенных на рис. 42, а) приведен в табл. 39.
Выверка панелей
Положение панелей в нижнем сечении относительно проектных осей выверяют путем совмещения боковой и торцевой граней панели с установочными рисками (рис. 43, а). Так как установочные риски наносят на определенном расстоянии от проектного положения граней панели, то при монтаже используют специальные упоры 1 соответствующей толщины. На перекрытиях этажа упор располагают так, чтобы одна из его боковых граней совмещалась с установочной риской продольных осей, а торцевая грань служила продолжением риски поперечных осей. В процессе выверки боковую поверхность панели прижимают к боковым граням двух упоров, а торцевую совмещают с продолжением передней грани упора (см. рис. 43, а).
После установки в нижнем сечении панель закрепляют телескопическим подкосом 4, прикрепленным к петле 2 перекрытия. Выверку вертикальности производят при помощи рейки-отвеса 5. Для этого вращением рычага 3 изменяют длину подкоса и перемещают верх панели до совмещения нити отвеса 7 с чертой 6 рейки. При этом направление взгляда наблюдателя по возможности должно быть параллельно боковой грани панели.
Рис. 43. Схемы выверки конструкций зданий:
а - панелей; б - колонн
Выверка колонн
Работу начинают (рис. 43, б) с установки кондуктора 4, который крепится к оголовку 7 колонны нижнего яруса с помощью зажимных винтов 6. В кондуктор устанавливают колонну и временно закрепляют ее установочными винтами нижнего 1 и верхнего 3 поясов кондуктора.
При выверке приблизительно в створе продольной и поперечной осей здания устанавливают два теодолита и тщательно их горизонтируют. Для обеспечения необходимой точности выверки коллимационная погрешность теодолитов должна быть тщательно устранена линейным способом. Визирную ось теодолита, расположенного в створе продольной оси, наводят на откраску 8 на оголовке колонны нижнего этажа, поднимают объектив зрительной трубы и по команде исполнителя установочными винтами 5 нижнего пояса кондуктора перемещают низ колонны до совмещения риски колонны с вертикальной нитью сетки. Аналогичные действия выполняют вторым теодолитом в направлении поперечной оси.
После закрепления низа колонны приступают к установке колонны в вертикальное положение. Для этого визируют на откраску оси здания на оголовке колонны нижнего этажа, поднимают объектив зрительной трубы и перемещают колонну установочными винтами 2 кондуктора до совмещения риски колонны в верхнем сечении с вертикальной нитью сетки зрительной трубы. Аналогичные действия производят вторым теодолитом в направлении другой оси здания.
После установки колонны в вертикальное положение проверяют неизменность положения низа колонны и при необходимости производят исправление установочными винтами нижнего яруса кондуктора. В этом случае выверку вертикальности колонны повторяют.
Задача: научиться выполнять исполнительные съемки конструкций, приобрести навыки выполнения бокового нивелирования, освоить составление отчетной документации.
Приборы и принадлежности: комплекты теодолита и нивелира, рейки для исполнительной съемки конструкций, микрокалькулятор, чертежные принадлежности, рабочая тетрадь.
Исполнительная съемка предназначена для определения отклонений конструкций от проектного положения. По результатам исполнительной съемки составляют заключение о пригодности конструкций к эксплуатации и оценивают качество строительно-монтажных работ.
При плановой съемке определяют отклонения конструкций от осей сооружения в горизонтальной плоскости, при высотной - отклонения от проектного положения по высоте.
Исполнительные съемки производят после окончательного закрепления конструкций здания.
Исполнительная съемка панелей
При плановой исполнительной съемке определяют отклонения низа панели у боковых ее граней, а наклон - в средней части панели.
Для определения отклонений низа панели (рис. 44, а) измеряют расстояние l от установочной риски до грани панели, а величину отклонения вычисляют по формуле D = l - l0, где l0 - проектное расстояние от риски до грани панели.
Величину l0 вычисляют как разность между расстоянием от риски до оси (150 мм) и половиной толщины панели (200/2 = 100 мм), т.е. l0 = 150 - 100 = 50 мм.
В нашем примере отклонение низа панели у оси 2-2 равно D = 52 - 50 = 2 мм. Так как l > l0, то низ панели смещен по направлению к оси В-В.
Вычисленные значения отклонений выписывают на схему исполнительной съемки (рис. 44, б) с той стороны панели, в которую она смещена. Так, у оси 2-2 панель смещена на 2 мм в сторону оси В-В, а у оси 1-1 она смещена на 4 мм в сторону оси А-А.
Наклон панели определяют с помощью рейки-отвеса, а величину отклонения выписывают на схему исполнительной съемки у середины панели с той ее стороны, в которую отклонен верх панели. На исполнительной схеме (см. рис. 44, б) верх панели отклонен на 3 мм по направлению к оси В-В.
Рис. 44. Исполнительная съемка:
а - панелей; б - колонн
При высотной съемке отметки верхних граней панелей определяют геометрическим нивелированием от репера на монтажном горизонте. Определение превышений осуществляют с помощью специальной подвесной рейки (см. рис. 44, а), подвешиваемой нулем вверх на панели. Как правило, съемку конструкции на одном участке выполняют с одной установки нивелира по программе технического нивелирования. В начале и в конце измерений на станции производят отсчеты по рейкам, установленным на двух рабочих реперах. Результаты измерений записывают в журнал (табл. 40).
При обработке журнала вычисляют горизонт прибора по черной ГПч = НRp + ач и по красной сторонам рейки ГПк = НRp + ак - 2РО, где НRp - отметка репера; ач и ак - отсчеты по рейке, установленной на репере; РО - разность нулей реек.
В нашем примере горизонт прибора по отсчетам на Rp1 имеет значения ГПч = 12,154 + 1,253 = 13,407 и ГПк = 12,154 + 5,937 - 9,366 = 8,725.
Для контроля горизонт прибора вычисляют по рейке, установленной на другом репере. Полученные значения ГП не должны различаться более чем на 4 мм.
Таблица 40. Журнал высотной исполнительной съемки конструкции здания
|
Название нивелируемой точки |
Отсчеты по рейкам |
Горизонт прибора |
Отметка точки |
|||
|
задней |
передней |
промежуточной |
||||
|
1 |
Rp1 |
5937 1253 4684 |
8,725 13,407 |
12,154 2 РО = 9,366 |
||
|
Б1 |
6282 1598 4684 |
15,007 15,005 15,006 |
||||
|
Б2 |
6279 1593 4686 |
15,004 15,000 15,002 |
||||
|
... |
... |
... |
... |
... |
... |
|
|
Rp2 |
6070 1379 4691 |
8,727 13,402 |
12,023 |
|||
Отметки Hi определяемых точек вычисляют по формулам
Нiч = ГПч + bч; Нiк = ГПк + bк,
а за окончательное значение принимают среднее.
Отклонения от проектных значений Нп вычисляют по формуле
Di = Hi - Нп
и выписывают на схему исполнительной съемки. В нашем примере отклонение у оси 1-1 равно +4, а у оси 2-2 равно +5 мм.
В производственных условиях высотную исполнительную съемку производят по опорным поверхностям конструкций перед установкой панелей.
Исполнительная съемка колонн здания
При плановой исполнительной съемке колонн используют метод
бокового нивелирования с линий, параллельных осям зданий (с «параллельных
выносок»). Для этого от знаков закреплений оси, например точек С1
и С2 (рис. 45,
а), перпендикулярно к оси Б-Б откладывают равные отрезки
длиной а и получают параллель С¢1С¢2 оси Б-Б.
В одной из точек параллели, например точке С¢1,
устанавливают теодолит, приводят его в рабочее положение, визируют
на точку С¢2 и закрепляют алидаду и лимб. Затем последовательно берут отсчеты
по горизонтально расположенной рейке в верхнем
и нижнем
сечениях
колонны. Отсчеты производят по вертикальной нити сетки зрительной трубы по
черной и красной сторонам рейки. Для контроля вычисляют разность нулей рейки РО
= bк - bч.
Результаты измерений выписывают на схему (рис. 45, б).
Величину смещения геометрической оси колонны с оси здания вычисляют по черной и красной сторонам рейки:
Diч = а - biч - 0,5×di; Diк = а - biк - 0,5×di + РО,
где di - ширина или диаметр колонны.
Так, для колонны Б1 имеем следующие смещения в направлении оси 1-1:
Dч = 600 - 401 - 0,5×400 = -1 мм;
Dк = 600 - 5088 - 0,5×400 + 4683 = -5 мм.
Из полученных значений вычисляют среднее в верхнем и нижнем сечениях колонны и выписывают их на схему исполнительной съемки (рис. 45, в) соответственно в числителе и знаменателе у стрелки, показывающей направление смещения. Так, верх колонны Б1 смещен в плоскости оси 1-1 на D = 0,5(-1 - 5) = -3 мм по направлению к оси В-В, а низ - на 5 мм в том же направлении.
Рис. 45. Исполнительная съемка колонн:
а - схема; б - образец ведения журнала, в - исполнительный чертеж
Аналогичным образом определяют смещения колонн в направлении продольных осей.
При высотной исполнительной съемке определяют отметки опорных поверхностей консолей. Работу выполняют, как при съемке панелей.
Перед началом работ составляют график распре деления обязанностей в бригаде.
По завершении представляют следующие материалы:
журнал измерений при плановой исполнительной съемке колонн или журнал плановой съемки панелей,
схему исполнительной съемки конструкций.
Задача: ознакомиться с устройством светодальномера, подготовкой прибора к наблюдениям, процессом измерений и обработкой полученных результатов.
Приборы и принадлежности: комплект светодальномера, журнал измерений, рабочая тетрадь.
Светодальномеры предназначены для измерения расстояний с высокой точностью. Если определить время t, в течение которого электромагнитные колебания со скоростью υa пройдут двойное расстояние D от излучателя до объекта и обратно, то
D = 0,5υаt. (23)
Скорость распространения электромагнитных колебаний υ0 в вакууме известна с высокой точностью и равна 299792,5 км/с. При определении скорости υa электромагнитных колебаний в атмосфере необходимо учитывать давление, температуру и влажность воздуха.
Рис. 46. Блок-схема светодальномера СМ-5
По характеру излучения светодальномеры разделяют на импульсные (прерывистое излучение), фазовые (непрерывное излучение) и импульсно-фазовые.
В дальномерах с непрерывным излучением для определения т используют частотные или фазовые соотношения, а приборы называют частотными или фазовыми.
Определение расстояния импульсными дальномерами основано на непосредственном измерении времени, прошедшего с момента излучения до момента приема отраженного импульса.
Световой поток в современных светодальномерах регистрируется фотоэлектрическим способом.
По ГОСТ 19223-82 светодальномеры классифицируют в зависимости от области их применения: в государственных геофизических сетях - дальномеры группы Г, в прикладной геодезии и маркшейдерии - группы П, в сетях сгущения и при выполнении топографических съемок - группы Т.
Рассмотрим принцип действия импульсного светодальномера СМ-5, серийно выпускаемого отечественной промышленностью и предназначенного для использования в инженерной геодезии и маркшейдерском деле.
Оптический квантовый генератор 1 (рис. 46) излучает зондирующий импульс световой энергии в сторону отражателя, установленного на другом конце измеряемой линии. Одновременно в формирователь времени счета 2 поступает опорный сигнал.
Отраженный сигнал попадает в фотоэлектрический приемник 3, преобразуется в электрический сигнал и направляется в формирователь времени счета, где вырабатывается управляющий импульс, длительность которого соответствует времени τ запаздывания отраженного сигнала. Этот импульс открывает селектор 4 и пропускает в течение времени t напряжение масштабной частоты от образцового генератора 5 на электронный счетчик 6.
Рис. 47. Оптическая схема светодальномера СМ-5
Обозначив через N число периодов Т колебания масштабной частоты, подсчитанное электронным счетчиком за время открытого состояния селектора, можно записать t = NT.
Подставляя значение t в формулу (23), получим
![]()
Для выдачи на табло результатов в единицах измерения длины в дальномере имеется счетно-решающее устройство 7.
На рис. 47 приведена оптическая схема светодальномера СМ-5. В режиме «дистанция» модулированное излучение светодиода 1 проходит через отверстия а и с диафрагмы 2 переключателя «дистанция - окз» (оптическое короткое замыкание), отражается от грани разделительной призмы 3, формируется объективом 4 в параллельный пучок и направляется на отражатель. Отраженный световой сигнал проходит через объектив 4, отражается от другой грани разделительной призмы и фокусируется в плоскости полевой диафрагмы 6, совмещенной с входным торцом световода 7. После прохождения световода излучение фокусируется на фотокатод фотоэлектронного умножителя (ФЭУ) 10 дополнительным микрообъективом 8, пройдя через интерференционный фильтр 9.
В режиме «окз» диафрагма переключателя «дистанция-окз» поворачивается так, что излучение в направлении отражателя перекрывается, а через отверстия b и с часть излучения фокусируется блоком ОКЗ 5 в плоскости полевой диафрагмы и направляется световодом 7 и объективом 8 на ФЭУ.
На ФЭУ принятый сигнал детектируется и с помощью подаваемого на фотокатод напряжения частоты вспомогательного генератора преобразуется в низкочастотный сигнал. Напряжение с выхода ФЭУ проходит через узлы электронной схемы и попадает на счетный узел. На второй вход счетного узла поступают опорные импульсы. Частота следования импульсов в режиме «грубо» - 14,9855 Гц, в режиме «точно» - 1498,55 Гц. Интервал времени между каждым опорным и следующим за ним сигнальным импульсами пропорционален измеряемому расстоянию. Этот интервал измеряется путем подсчета укладывающихся в нем импульсов заполнения, частота следования которых 1498,55 Гц.
Напряжение частоты модуляции светодиода в режиме «точно» вырабатывается задающим кварцевым генератором. Частота модуляции светодиода в режиме «грубо» и частоты опорных сигналов в режимах «точно» и «грубо» получаются делением частоты задающего кварцевого генератора декадными делителями частоты. Частота вспомогательного генератора, подаваемая на ФЭУ в режиме «точно», составляет 14 984,0 кГц и стабилизирована схемой фазовой автоподстройки частоты. В режиме «грубо» на ФЭУ подается частота вспомогательного генератора, деленная на 100.
В режиме «наведение» при наведении на отражатель питание делителей частоты и счетного узла отключается, а на излучатель подается напряжение от отдельного генератора импульсов.
Уровни сигналов в режимах «грубо», «точно» и «наведение» выравнивают подбором коэффициента усиления ФЭУ, общая регулировка усиления осуществляется резистором «сигнал».
Высвечиваемый на табло отсчет представляет собой разность результатов в режимах «дистанция» и «окз». Переключение данных режимов осуществляется автоматически по командам программного устройства счетного узла. Начало высвечивания отсчета (Dдист - Dокз) сопровождается звуковым сигналом микротелефона.
Приемопередатчик имеет устройство блокировки счета, исключающее получение на табло ложных результатов при появлении помех в створе между приемопередатчиком и отражателем.
Уровень принимаемого сигнала контролируется по стрелочному прибору.
Постоянную поправку светодальномера устанавливают равной нулю с помощью схемы коррекции постоянной. Коррекция осуществляется установкой значения контрольного отсчета, указанного в паспорте светодальномера.
Краткое описание светодальномера СМ-5
СМ-5 - это полуавтоматический прибор импульсного типа с частотой модуляции 1498,55 Гц, предназначенный для измерения расстояний в диапазоне от 2 до 500 м. Источником излучения служит полупроводниковый светодиод на арсениде галлия с длиной волны 0,9 мкм.
Источник питания - кадмиево-никелевая батарея аккумулятора общим напряжением 6 - 8 В.
Средняя квадратическая погрешность измерения расстояний одним приемом - 30 мм. Предельные углы наклона измеряемой линии ±20°. Температурный диапазон работы от -30 °С до +40 °С. Масса приемопередатчика 4,5 кг. Прибор работает в режимах «наведение» и «измерение».
Прибор устанавливают на специальную поворачивающуюся подставку с оптическим центриром, имеет индикатор для фиксации максимума отраженного света. Максимальное отклонение стрелки индикатора вправо соответствует максимуму светового потока.
Описание приемопередатчика
Приемопередатчик (рис. 48) имеет корпус, внутри которого расположены приемопередающая оптическая система, светодиод, ФЭУ, печатные узлы с элементами электрической схемы. На верхней части корпуса закреплен визир 6.
Рис. 48. Приемопередатчик светодальномера СМ-5
На основании прибора 16 винтами закреплены стойки 18 и 4, соединенные ручкой 5. На стойке 18 и основании прибора размещены наводящие и закрепительные устройства, предназначенные для наведения приемопередатчика на отражатель в вертикальной и горизонтальной плоскостях. На основании установлен цилиндрический уровень 1 с котировочными гайками и окуляр оптического центрира 15.
На лицевой панели 7 расположена ручка «сигнал» 13, переключатель «измер-00000» 12, переключатель «грубо-точно-акк» 10, стрелочный прибор 9, цифровое табло 8 и ручка установки контрольного отсчета 3.
Под крышками стоек находятся электронная и электрическая схемы прибора; открывать крышки категорически запрещается. На крышке стойки 18 расположен переключатель 17 «выкл-навед-счет», на стойке 4 - разъемы 2 и 19 для подключения кабеля от источника питания и микротелефона.
Методика измерения
1. Приемопередатчик и отражатель устанавливают над точками, между которыми измеряют расстояние. Источник питания размещают рядом со штативом приемопередатчика, переключатель 17 устанавливают в положение «выкл» и после этого подключают питание.
2. На объектив приемопередатчика надевают блок контрольного отсчета, устанавливают переключатель 12 в положение «измер», а переключатель 10 в положение «точно». Переключателем 17 включают приемопередатчик в режиме «счет» и через минуту вращением ручки 3 устанавливают паспортное значение контрольного отсчета. Включают приемопередатчик и снимают блок контрольного отсчета.
3. С помощью оптического визира наводят приемопередатчик на отражатель, зажимают рукоятки закрепительных устройств и наводящими винтами вводят изображение отражателя в центр окружности сетки. При малых расстояниях в центр окружности вводят верхнюю призму отражателя.
4. Включают приемопередатчик в режиме «наведение» (переключатель 17 устанавливают в положение «навед»), поворачивают ручку 13 «сигнал» по часовой стрелке до ограничителя, а при большом уровне шумов до показания стрелочного прибора не более 20 мкА. Изменяют ориентирование приемопередатчика на отражатель в вертикальной и горизонтальной плоскостях до получения сигнала. Наличие сигнала индицируется отклонением стрелки прибора вправо по шкале. Вращением наводящих винтов 11 и 14 наводят приемопередатчик по максимуму принимаемого сигнала и одновременно устанавливают ручку «сигнал» в положение, при котором уровень сигнала наиболее близок к 60 мкА.
5. Устанавливают переключатель 10 в положение «грубо», переключатель 17 - в положение «счет», снимают по табло и записывают два отсчета в режиме «грубо» (второй для контроля). Переводят переключатель 10 в положение «точно», снимают по табло и записывают три отсчета. Все отсчеты снимают только после звукового сигнала.
6. Два раза повторяют наведение приемопередатчика на отражатель по максимуму принимаемого сигнала и после каждого наведения снимают по три отсчета в режиме «точно». Выключают приемопередатчик.
7. Измеряют температуру воздуха и записывают ее в журнал.
Обработка результатов измерений
Расстояние D вычисляют по формуле
D = D¢ + 10-5D¢(Kп + Kf),
где D¢ - полный результат измерения в режимах «грубо» и «точно»; Кп - поправочный коэффициент, учитывающий изменение показателя преломления атмосферы; Kf - поправочный коэффициент, учитывающий температурное изменение частоты кварцевого генератора.
Результат D¢ получают как среднее значение из всех отсчетов в режиме «точно». Для этого сравнивают цифры в разрядах единиц метров при отсчетах в режимах «грубо» и «точно». Возможны два варианта:
1) сравниваемые значения равны. В этом случае записывают значения от единиц метров до миллиметров, взятых из среднего отсчета в режиме «точно», а в разрядах десятков и сотен метров - цифры соответствующих разрядов отсчета в режиме «грубо»;
2) сравниваемые значения не равны. В этом случае корректируют цифры в разрядах десятков и сотен метров отсчета в режиме «грубо», по цифре в разряде метров среднего значения всех отсчетов в режиме «точно» по следующему правилу: если число единиц метров отсчета в режиме «грубо» больше числа единиц метров отсчета в режиме «точно», то двузначное число, обозначающее десятки и сотни метров отсчета в режиме «грубо», увеличивают на одну единицу; если число единиц метров отсчета в режиме «грубо» меньше числа единиц метров отсчета в режиме «точно», то двузначно число, обозначающее десятки и сотни метров отсчета в режиме «грубо», уменьшают на одну единицу.
Итак, в результат D¢ записывают значения от единиц метров до миллиметров среднего значения отсчетов в режиме «точно», а в разрядах десятков и сотен метров - откорректированные цифры соответствующих разрядов отсчета в режиме «грубо».
Пример.
Отсчет в режиме «грубо»
Среднее значение отсчетов в режиме «точно»
Полный результат измерения в режимах «грубо» и «точно»

Значение коэффициента Кп определяют из номограммы или таблицы по значениям температуры воздуха и атмосферному давлению.
Значение коэффициента Kf определяют по графику, приведенному в паспорте прибора.
Горизонтальное проложение вычисляют по формуле d = Dcosv.
Организация работ
На учебном геодезическом полигоне выбирают геодезический пункт, с которого можно измерить расстояния до 3 - 4 других пунктов. Расстояния должны быть от 100 до 500 м.
Перед демонстрацией работы светодальномера студенты должны изучить устройство и подготовку прибора к работе. Преподаватель демонстрирует работу светодальномера для каждой бригады отдельно. Студенты записывают в журнал результаты измерений и выполняют обработку полученных данных.
После обработки измерений преподаватель сообщает эталонные значения измеренных расстояний, а студенты оценивают точность полученных результатов.
К зачету бригада представляет конспект с описанием устройства светодальномера, журнал измерений и ведомость вычислений с оценкой точности измерений.
Задача: изучить устройство, ознакомиться со сферой применения и освоить методику выполнения геодезических и монтажных работ с лазерными приборами.
Лазер (оптический квантовый генератор - ОКГ) состоит из газоразрядной трубки с активным веществом, излучающим в возбужденном состоянии свет, оптического резонатора в виде двух отражателей, расположенных с торцевых сторон трубки. Для получения остро направленного пучка одно из зеркал делают полупрозрачным.
При работе ОКГ излучение газоразрядной трубки, направленное вдоль оси резонатора, многократно отражается от зеркал, что приводит активное вещество в возбужденное состояние и вызывает излучение новой порции энергии.
В геодезии применяют газовые лазеры, в которых в качестве активного вещества использована смесь гелия и неона, дающая излучение оранжево-красного цвета.
Лазерный луч используют в строительстве для задания опорного направления или плоскости, относительно которых производят монтаж конструкций сооружения или планировку поверхности земли.
Лазерный визир ЛВ-5
В комплект ЛВ-5 входят: прибор, блок питания, кабели и штатив.
В качестве источника излучения в приборе использован гелий-неоновый лазер ОКГ-13. Для фокусировки лазерного луча в корпус лазера 3 (рис. 49, а) вмонтирован коллиматор 1 (телескопическая труба) с кремальерой. В горизонтальной и вертикальной плоскостях труба прибора перемещается наводящими винтами 4. Отсчетные устройства поворота трубы выполнены в виде микрометренных винтов. При повороте винтов 4 на один оборот труба наклоняется или поворачивается в горизонтальной плоскости на угол 30¢. Цена деления барабана поворотного устройства (рис. 49, б) равна 15". Диапазон работы микрометренного винта - 10°. Для установки прибора в рабочее положение используют круглый уровень 2.
Рис. 49. Лазерный визир ЛВ-5:
а - общий вид; б - барабан поворотного устройства
Поверки и юстировки ЛВ-5
В приборе должны быть соблюдены следующие геометрические условия:
ось лазерного луча должна совпадать с оптической осью коллиматора;
вертикальная ось прибора (ось вращения верхней части прибора) должна располагаться отвесно;
при установке на барабане микрометренного винта вертикального наведения отсчета 0°00' лазерный луч должен быть горизонтален.
Для обеспечения этих условий выполняют следующие поверки и юстировки:
1. Поверка совпадения осей коллиматора и лазерного луча. На расстоянии 20 м от прибора укрепляют лист белой бумаги, направляют на него луч лазера и фокусировкой добиваются максимального размера пятна на бумаге (около 34 мм). Юстировочными винтами ОКГ, позволяющими изменять его положение относительно коллиматора в четырех направлениях, добиваются максимальной яркости при сохранении правильной геометрической формы пятна. В этом положении винты закрепляют.
2. Поверка параллельности оси круглого уровня и вертикальной оси прибора. Проверка и юстировка выполняются, как у нивелира Н-3 (см. § 6).
3. Поверка параллельности оси цилиндрического уровня и лазерного луча выполняется двойным нивелированием вперед аналогично поверке нивелира Н-3.
Перед началом работ лазерный визир приводят в рабочее положение. Для этого прибор устанавливают на штатив, закрепляют становым винтом и подъемными винтами подставки приводят пузырек круглого уровня в нуль-пункт. Кроме того, необходимо осмотреть кабели, разъемы и убедиться в их исправности.
Включение прибора
1. Присоединяют кабель к блоку питания, а тумблер блока устанавливают в положение «выкл».
2. Вилку шнура блока питания вставляют в розетку (220 В, 50 Гц), а тумблер переводят в положение «сеть».
3. Через 1 - 2 мин, нажав и отпустив кнопку «поджиг», вызывают разряд в газоразрядной трубке. Если разряда нет, надо повернуть ручку регулировки «грубо» вправо и, увеличив напряжение, нажать и отпустить кнопку «поджиг».
4. После возникновения разряда ручками регулировки «грубо» и «плавно» устанавливают рабочий ток разряда, указанный в паспорте прибора (5 - 15 мА).
Поддерживая величину тока разряда постоянной, дают прибору прогреться 5 - 10 мин., а затем приступают к работе.
Выключение прибора
Тумблер блока питания из положения «сеть» переводят в положение «выкл» и отключают блок от сети. Отключение разъемов производят не ранее чем через 2 - 3 мин. после выключения блока питания. Нарушение порядка включения и выключения ведет к аварии или поломке прибора.
Применение лазерного визира ЛВ-5 на строительных объектах
1. Построение линии заданного уклона. В начальной точке линии с проектной отметкой устанавливают ЛВ-5 и приводят его в рабочее положение. По заданному значению i0 проектного уклона вычисляют проектный угол наклона v0 = arctgi0 и установочный отсчет по микрометренному винту вертикального наведения трубы v = v0 + a, где а - отсчет по микрометренному винту вертикального наведения при горизонтальном положении лазерного луча. При определении а установка лазерного луча в горизонтальное положение достигается приведением пузырька цилиндрического уровня в нуль-пункт. Далее поворотом микрометренного винта устанавливают отсчет v. При этом лазерный луч займет положение, соответствующее проектному уклону i0.
Далее изготавливают ходовую визирку и производят планировку поверхности по заданной линии. При этом длина визирки должна быть равна высоте прибора в начальной точке.
2. Использование ЛВ-5 для укладки трубопроводов и коллекторов. При укладке трубопроводов ЛВ-5 устанавливают в траншее, а луч лазера совмещают с проектной осью трубопровода. Внутри монтируемой секции труб закрепляют прозрачный экран-марку с концентрическими окружностями. При укладке труб центр пятна лазера должен совпадать с центром окружностей на экране.
Для установки прибора в траншее и совмещения луча с осью трубопровода используют приспособление в виде штанги с консолью, позволяющее перемещать ЛВ-5 в горизонтальном и вертикальном направлениях.
3. Применение ЛВ-5 для исполнительной съемки конструкций зданий и сооружений. При выполнении исполнительной съемки методом бокового нивелирования лазерный визир устанавливают над точкой С¢1 (см. рис. 45, а), направляют луч на точку С¢2 и по пятну лазера берут отсчет по рейке. Обработку результатов производят, как в § 33.
При исполнительной съемке с использованием ЛВ-5 состав бригады на производстве сокращается на одного рабочего.
Техника безопасности при работе с лазерными геодезическими приборами
Во время работы с лазерными приборами необходимо соблюдать следующие правила: пучок лазерного излучения не должен попадать непосредственно в глаза; из зоны действий лазерного пучка необходимо удалить все хорошо отражающие предметы; прибор устанавливают так, чтобы луч проходил выше головы человека; луч не должен выходить за пределы строительной площадки, а место производства работ должно быть огорожено и установлен предупредительный сигнал или плакат; во время работы соблюдают меры по технике безопасности, как при работе с высоковольтными установками; все работающие должны быть информированы о вредном воздействии лазерного излучение на сетчатку глаз.
Демонстрация прибора производится побригадно. Преподаватель включает прибор, устанавливает его в рабочее положение и производит ориентирование лазерного луча в пространстве. Студенты производят отсчеты по рейкам и обрабатывают результаты измерений.
По завершении работ бригада представляет краткое описание устройства ЛВ-5 и методики работы с ним, журналы измерений, схему исполнительной съемки.
Задача: изучить принцип работы и устройство приборов для поиска подземных коммуникаций; научиться фиксировать на местности ось коммуникации и определять глубину ее залегания.
Для съемки подземных коммуникаций в настоящее время широко применяют индуктивные методы, суть которых заключается в следующем. Если в магнитное поле, создаваемое токопроводящей инженерной подземной коммуникацией (ИПК), ввести замкнутый проводник (антенну трубокабелеискателя), то в нем возникнет электродвижущая сила (ЭДС), величина которой пропорциональна числу силовых линий, пересекающих поперечное сечение проводника.
Определение положения оси трассы на поверхности земли осуществляют по минимуму и максимуму сигнала. При определении по минимуму сигнала наблюдатель устанавливает антенну строго в вертикальное положение и перемещает ее в плоскости, перпендикулярной к предполагаемому направлению трассы. Над осью трассы на слух или визуально по показанию микроамперметра наблюдатель определяет место, где сигнал минимален (влево и вправо от этой точки сигнал заметно усиливается). Аналогичными действиями, но с горизонтально установленной антенной производят поиск по максимуму сигнала.
Для определения глубины залегания ИПК антенну устанавливают под углом 45° к горизонту.
Фиксация сигнала над осью коммуникации производится в пределах полосы неопределенности, которая характеризуется постоянством тона сигнала. Ось трассы намечают в середине полосы неопределенности.
Рис. 50. Трубокабелеискатель ТПК-1
Рис. 51. Трубокабелеискатель ИПК-2М:
а - генератор; б - приемное устройство
Поиск выполняют в пределах зоны уверенного прослушивания, т.е. когда ширина полосы неопределенности не превышает 0,2 м для съемки планов масштабов 1:500 и 1:1000; 0,5 м - для масштаба 1:2000 и 1,0 м - для масштаба 1:5000.
Наибольшее распространение находят приборы для поиска подземных коммуникаций: ТПК-1; ИПК-2М и ИПКТ-69.
Трубокабелеискатель ТПК-1 (рис. 50) состоит из генератора 1, блока питания 2 и приемного устройства 3. На боковой стороне корпуса генератора имеются стандартные разъемы для подключения питания, нагрузки и заземления. Блок питания состоит из двух батарей и зарядного устройства, помещенных в металлическом ящике. Ящик имеет отсек для соединительного кабеля, напильника для зачистки контактов и головных телефонов 4. На боковую стенку ящика выведен специальный разъем для подключения генератора.
Приемное устройство состоит из трубчатой штанги с вмонтированным в нее усилителем и приемной антенны 5. В рукоятке штанги расположены переключатель и регулятор усиления сигнала, а в торцевой части - розетка для подключения головных телефонов.
Прибор ТПК-1 работает при температуре от -20 до +40 °С. Максимальное удаление от генератора 3 км, глубина прослушивания 10 м, точность определения положения оси трассы 0,1 от глубины залегания. Масса комплекта 10 - 14 кг.
Трубокабелеискатель ИПК-2М. Комплект состоит из генератора и приемного устройства.
Генератор (рис. 51, а) вмонтирован в металлический футляр. Все ручки выведены на лицевую панель. Слева на панели расположены тумблер включения генератора 1, кнопка контроля работы генератора 2, сигнальная лампочка 3, клеммы 4 для подключения трассы и клеммы заземления 5. Питание генератора осуществляется от батарей типа «Марс» или «Сатурн».
Приемное устройство (рис. 51, б) состоит из магнитной антенны 10, вмонтированной в штангу, усилителя, и узкополосного фильтра. Для включения приемного устройства служит тумблер 7, головные телефоны подключаются к розетке 6, усиление регулируется ручкой 9, ручка 8 служит для переключения частоты с 50 на 1000 Гц.
Трубокабелеискатель ИПКТ-69. Комплект состоит из генератора, усилителя, приставки, датчиков на 12 кГц, 50 Гц и рамки. В комплект входят заземлитель, головные телефоны, соединительные провода и измерительные приспособления для определения глубины залегания ИПК.
На лицевой панели генератора (рис. 52, а) размещены тумблер 2 для включения питания генератора, разъем 3 для соединения с рамкой или приставкой и держатель предохранителя 1.
На лицевой панели усилителя (рис. 52, б) размещены микроамперметр 9, разъем для подключения датчиков 5, телефонные гнезда 7, ручки переключения 2 для регулировки чувствительности «грубо», ручка потенциометра чувствительности «плавно» 6, тумблер 1 переключения фильтров «50 Гц» и «12 кГц», ручка регулировки чувствительности телефонов, «чувств. глф» 8, тумблер 3 включения питания усилителя «вкл», ось 4 потенциометра «симметр. датчика» для симметрирования рамок датчика. Датчик на 12 кГц (рис. 52, в) служит для фиксации изменения тона сигналов в телефоне. Датчик на 12 кГц содержит параллельные и соосные рамки, разнесенные в вертикальной плоскости на 150 мм. На верхней крышке датчика имеется отверстие для закрепления ручки 2 датчика, тумблер 1 для отключения верхней рамки, разъем 3, с помощью которого датчик соединяется с усилителем. В комплект прибора также входит датчик на 50 Гц, который содержит две плоские рамки, разнесенные в горизонтальной плоскости на 350 мм. В корпус рамки вмонтирована сигнальная лампочка.
Рис. 52. Трубокабелеискатель ИПКТ-69:
а - генератор; б - усилитель; в - датчик на 12 кГц
Методика поиска подземных коммуникаций
Работу с приборами типа ТПК-1, ИПК-2М осуществляет бригада из трех человек. Бригадир устанавливает порядок выполнения работ, непосредственно отыскивает сети приемным устройством, указывает места для фиксации точек оси трассы, ведет полевую документацию. Первый рабочий переносит, устанавливает, включает и выключает генератор, зачищает контакты и подключает генератор к отыскиваемой коммуникации; второй рабочий переносит приборы, перемещается вместе с бригадиром по трассе и по его указаниям закрепляет зафиксированные точки.
При поиске коммуникаций антенна перемещается на высоте 0,3 - 0,5 м над землей по линиям, перпендикулярным к направлению трассы. Ориентирование антенны должно строго соответствовать принятому методу приема сигнала. Как правило, поиск осуществляют по методу минимума, а метод максимума применяют при рекогносцировке или контроле.
Точное определение планового положения точек трассы производится, когда антенна направлена перпендикулярно к поверхности земли, в точке получают четкий минимум сигнала, а влево и вправо от нее сигнал заметно усиливается. При фиксации минимума антенну держат в 2 - 3 см от земли.
Для определения глубины залегания коммуникации выполняют следующие действия:
закрепляют точку проекции оси трассы на поверхности;
приемную антенну поворачивают так, чтобы она была развернута в направлении трассы и составляла с поверхностью земли угол 45°;
не изменяя ориентирования, перемещают антенну перпендикулярно к трассе до появления минимального сигнала;
закрепляют полученную точку и измеряют расстояние от нее до проекции оси трассы.
Аналогичные действия выполняют по другую сторону трассы и получают второй результат. За глубину трассы принимают среднее из полученных результатов.
Контактный метод поиска ИПК
При контактном методе заземленный генератор устанавливают вблизи колодца или шурфа, подключают генератор к коммуникации проводом, снабженным магнитным контактом. Заземлитель устанавливают на расстоянии до 10 м от оси трассы на глубине 0,1 - 0,3 м. Установка заземлителя в отвалы, насыпи, сухой песок, пахоту не дает должного эффекта. На асфальтированных участках место заземления выбирают в колодцах без бетонного дна, не допуская при этом касания поверхности трубы или заземлителя, при этом у ИПК-2М используют выходные клеммы 60 Ом, а у ТПК-1 - выходное напряжение 30 - 40 В.
Бесконтактный метод поиска
При небольшом числе колодцев или выходов коммуникации на поверхность рекомендуется бесконтактный метод поиска. Метод эффективен при наличии естественного грунта для заглубления заземлителей.
Генератор, выходные клеммы которого соединены проводами с двумя заземлителями, индуцирует в токопроводящей коммуникации переменный ток. Генератор устанавливают примерно над предполагаемым местом нахождения коммуникации. По обе стороны от генератора на расстоянии до 10 м заглубляют заземлители. Поиск начинают на расстоянии примерно 20 м от генератора. Дойдя до места, где сила сигнала достигает максимума, наблюдатель фиксирует это место, прекращает поиск и дает сигнал снимать генератор и заземлители. Затем генератор ставят над полученной точкой, один из заземлителей устанавливают около него, а другой - на расстоянии до 10 м от оси трассы. При сопротивлении внешней цепи более 600 Ом уменьшают расстояния между заземлителями.
Точность фиксирования оси трассы бесконтактным методом такая же, как и контактным, но дальность поиска с одной установки генератора в 2 - 4 раза меньше.
Поиск подземных коммуникаций трубокабелеискателем ИПКТ-69
Прибор предназначен для бесконтактного обнаружения ИПК. Он работает в трех режимах: активном, пассивном и в режиме трассоискателя. Активный режим рекомендуют для детальных поисковых работ, пассивный - для первоначального обследования. Для выделения отдельных кабелей и пучков, для прослеживания неэкранированных кабелей используют режим трассоискателя.
Работа в активном режиме выполняется двумя операторами, один из которых переносит генератор с возбуждающей рамкой, а другой - блок усилителя и датчик на 12 кГц.
Последовательность действий при подготовке к работе.
1. Соединяют датчик на 12 кГц с усилителем, вставляют вилку головных телефонов в розетку усилителя; соединяют генератор с рамкой; один из операторов надевает ремни рамки и ремни генератора; другой - ремни усилителя и берет датчик.
2. Оператор с рамкой и генератором (возбуждающий узел) отходит на 10 - 15 м от приемного узла и включает тумблер питания генератора. На рамке должна загореться лампочка.
3. Устанавливают тумблер выбора режима работы в положение «12 кГц»; рукоятку регулировки чувствительности «плавно» в среднее положение, «грубо» - в положение «6»; рукоятку регулировки «чувств. глф» в крайнее правое положение; надевают головные телефоны, после чего устанавливают тумблер на датчике 12 кГц в положение «2», а тумблер питания усилителя - в положение «вкл». При этом стрелка микроамперметра отклоняется вправо и возникает звук в телефонах.
4. Оператор с генератором располагает рамку в горизонтальной плоскости.
5. Оператор с усилителем устанавливает датчик на весу и регулирует чувствительность «грубо» и «плавно» так, чтобы стрелка микроамперметра находилась в оцифрованной части шкалы (30 - 40 делений). Затем, отпустив гайку стопора оси потенциометра «симметр. датчика», вращением этой оси добиваются максимальных показаний микроамперметра. Затянув гайкой ось, приступают к работе.
При поиске рамку располагают над предполагаемой трассой в вертикальной плоскости - ребром вдоль трассы.
Усилитель с датчиком на 12 кГц относят по трассе на 12 - 15 м от генератора. Передвигая рамку перпендикулярно к направлению трассы и слегка поворачивая ее плоскость, выбирают такое положение рамки, при котором сигнал в усилителе будет максимальным. В этом положении плоскость возбуждающей рамки находится точно над трассой.
Далее трассу прослеживают при помощи приемного узла (датчик с усилителем) по минимуму показаний микроамперметра или интенсивности звука в телефонах.
Для определения глубины заложения коммуникации методом максимума фиксируют положение вспомогательной точки и измеряют расстояние от этой точки до проекции оси трассы. Для вычисления глубины заложения полученное значение умножают на 1,74 и вычитают из него расстояние между поверхностью грунта и серединой корпуса датчика.
Работу в пассивном режиме выполняет один оператор с использованием датчика на 50 Гц. Подготовка к работе заключается в следующем.
1. Соединяют датчик с усилителем и вставляют вилку телефонов в розетку усилителя.
2. Устанавливают тумблер выбора режима работы в положение «50 Гц»; рукоятку регулировки чувствительности «плавно» - в среднее положение; рукоятку «грубо» - в положение «6»; рукоятку регулировки телефонов - в крайнее правое положение; шлиц потенциометра «симметр. датчика» - в среднее положение.
3. Включают тумблер питания. При этом стрелка микроамперметра должна отклониться вправо и остаться в этом положении, а в головных телефонах прослушиваться звук.
4. Рукоятками регулировок чувствительности «грубо» - «плавно» выводят стрелку микроамперметра на среднюю часть шкалы, а рукояткой чувствительности телефонов высоту тона сигнала уменьшают до минимально различного уровня.
5. Для проверки симметричности рамок датчик поворачивают на 180°. При этом показания микроамперметра не должны изменяться. Поверку симметрирования рамок выполняют на участке без подземных коммуникаций.
После завершения подготовительных работ приступают к поиску подземных коммуникаций по методу минимума. При этом горизонтальная штанга датчика должна располагаться перпендикулярно к направлению коммуникации, а вертикальная штанга (центр датчика) при минимуме сигнала будет располагаться над осью трассы.
Точность определения глубины заложения коммуникации в пассивном режиме невелика, поэтому обычно используют активный режим.
Перед работой с приборами для поиска подземных коммуникаций необходимо проверить отсутствие прямого доступа к контактам.
В приборе ИПКТ-69, например, напряжение на контактах к возбуждающей рамке составляет 1000 В. Обычно контакты защищены пластмассовым щитком.
Рекомендации по работе с прибором ИПКТ-69
Поиск рекомендуется проводить в активном режиме. На заданном участке намечают продольные и поперечные направления обследования. Операторы синхронно перемещаются вдоль намеченных параллельных направлений. Если оператор с приемным узлом обнаружит заметное изменение показаний микроамперметра, то он останавливается, а второй ориентирует рамку в вертикальной плоскости и проходит с ней вдоль профиля 5 - 10 м. Оператор с приемным узлом фиксирует максимальное показание по амперметру и подает сигнал второму оператору, который в соответствующей точке поворачивает рамку, сохраняя вертикальность, а первый снова фиксирует минимальное показание амперметра и дает сигнал на установку рамки. После этого второй оператор устанавливает рамку на грунт. Далее трассу прослеживают по минимуму показаний микроамперметра или интенсивности звука в телефонах.
Если операторы не могут перемещаться по параллельным направлениям, они следуют друг за другом, сохраняя дистанцию.
В стесненных условиях рекомендуется производить поиск при неподвижной установке возбуждающей рамки над тротуаром в вертикальной плоскости, а на широких улицах - в горизонтальной.
В первом случае, когда рамка вертикальна и расположена ребром вдоль трассы, вначале прослушиваются объекты, расположенные вдоль тротуара, а затем объекты, расположенные поперек тротуара. При прослушивании первых объектов оператор с датчиком перемещается поперек тротуара на расстоянии 10 - 15 м от рамки, во втором - вдоль тротуара или проезжей части на расстоянии не менее 10 - 15 м от рамки и не менее 3 м от обнаруженных объектов, расположенных в продольном направлении.
К зачету бригада представляет конспект с описанием методики поиска ИПК, схему расположения коммуникаций с привязками точек к элементам ситуации и значениями глубины заложения.
Задача: изучить устройство приборов PZL (или ПОВП), освоить методику проецирования опорных точек с исходного на монтажный горизонт.
В зависимости от типа здания, его этажности и конструктивных особенностей проецирование точек опорной сети с исходного на монтажные горизонты осуществляют построением вертикальной плоскости с помощью теодолита или построением вертикальной линии с помощью надир- или зенит-приборов.
Первый метод применяют при возведении зданий малой и средней этажности, второй - при возведении высотных зданий и зданий повышенной этажности.
Применение приборов оптического вертикального проектирования для перенесения осей на монтажные горизонты с точек, заложенных внутри здания, отличается высокой точностью, ускоряет процесс разбивочных работ и повышает безопасность производства геодезических работ.
Наиболее широкое распространение в строительном производстве нашли прибор оптического вертикального проектирования ПОВП и прецизионный зенит-лот PZL.
Прибор оптического вертикального проектирования ПОВП. В этом приборе (рис. 53) использована зрительная труба 5 от нивелира с компенсатором. Переход от горизонтальной линии визирования к вертикальной осуществляют с помощью пентапризмы, помещенной в кожух 7. Переключение визирования вверх и вниз (в зенит и в надир) осуществляют поворотом переключателя 8. Верхняя часть прибора смонтирована на столике 9 и закрепляется на подставке 2 теодолита. Для регистрации перемещений столика с пентапризмой служит индикатор 3. Приведение вертикальной оси прибора в отвесное положение осуществляют подъемными винтами 1 по уровню 4. Для фокусирования зрительной трубы используют приспособление 6.
Погрешность проецирования точек прибором характеризуется величиной 0,5 - 1,0 мм на 100 м высоты.
Рис. 53. Прибор ПОВП
Рис. 54. Прибор PZL
Рис. 55. Палетка для проецирования
Прецизионный зенит-лот PZL. Народное предприятие «Карл Цейсс, Йена» (ГДР) выпускает прибор PZL (рис. 54), в котором линия визирования автоматически устанавливается в отвесное положение с помощью компенсатора.
На корпусе 4 прибора расположены круглый 1 и цилиндрический 8 уровни для приведения прибора в рабочее положение. Рядом с окуляром 6 зрительной трубы находится окуляр 7 отсчетного приспособления горизонтального круга. Точность отсчета по горизонтальному кругу 1¢. Объектив 5 зрительной трубы расположен в верхней части прибора. Фокусирование трубы осуществляют кремальерой 3. Для поворота прибора в горизонтальной плоскости используют наводящий винт 2. Точность проецирования точек прибором PZL характеризуют средней квадратической погрешностью 1 мм на 100 м высоты.
Кроме обычных поверок уровней у оптических центриров выполняют поверку визирной оси.
Визирная ось должна совпадать с осью вращения прибора. Поверку выполняют проецированием линии визирования на высоко расположенную горизонтальную плоскость при четырех, отличающихся на 90°, положениях вращающейся части центрира. Исправление положения линии визирования производят перемещением сетки нитей.
В комплект прибора входит набор специальных палеток (рис. 55), которые изготовляют из оргстекла, размером 300´300´10 мм. На палетке нарезается координатная сетка с оцифровкой по двум взаимно перпендикулярным направлениям через 5 и 10 мм (обычно 10 мм - для оцифрованных делений).
Методика проецирования точек оптическими центрирами
Перенесение непосредственно осей оптическими центрирами осуществить невозможно, так как по осям устанавливают конструкции здания. Поэтому при выполнении работ нулевого цикла на исходном горизонте производят построение опорной сети I0II0III0IV0 (рис. 56) в виде прямоугольника со сторонами, которые параллельны осям здания и отстоят от них на расстояниях а1, а2, в1 и в2. Места расположения пунктов опорной сети выбирают так, чтобы их можно было использовать в течение всего периода монтажа здания. Перенесение осей вертикальным лучом внутри здания можно осуществлять лишь при наличии в перекрытиях сквозных отверстий, расположенных друг над другом. В качестве таких отверстий используют лифтовые шахты, лестничные проемы и т.п.
При проецировании точек с исходного на монтажный горизонт зенит-прибор устанавливают на штативе над одной из точек (например над точкой I0), горизонтируют и центрируют с помощью оптического отвеса, а над опорной точкой на i-м монтажном горизонте устанавливает палетку. Проецирование опорной точки осуществляют при четырех положениях окуляра прибора: 0, 90, 180 и 270°. Во всех этих положениях по горизонтальной нити берут отсчеты с координатной сетки на палетке и записывают их в журнал (табл. 41). За окончательные значения координат принимают средние из отсчетов, взятых при положениях окуляра, отличающихся на 180°.
Рис. 56. Схема проецирования точек с исходного на монтажные горизонты
Таблица 41. Журнал проецирования опорных точек сети
|
Отсчеты по горизонтальной нити сетки |
||||||
|
0° |
180° |
среднее |
90° |
270° |
среднее |
|
|
Продольные оси здания |
Поперечные оси здания |
|||||
|
I |
48,2 |
48,0 |
48,1 |
4,2 |
4,0 |
4,1 |
|
II |
49,7 |
49,5 |
49,6 |
6,9 |
6,7 |
6,8 |
Таблица 42. Условия обеспечения точности перенесения осей по высоте
|
Класс точности разбивки осей |
||
|
2-р |
3-р |
|
|
Центрирование прибора |
Оптический отвес |
|
|
Способ фиксации точек |
Отсчеты по палетке с делениями |
|
|
5 мм |
10 мм |
|
|
Расстояния от визирного луча до строительных конструкций, мм |
100 |
50 |
|
Количество приемов, не менее |
2 |
1 |
|
Типы приборов |
PZL или равные ему по точности |
|
По полученным координатам находят положение и фиксируют точку на палетке. Аналогично находят положения остальных точек опорной сети монтажного горизонта и фиксируют их на палетках. После соответствующего контроля от точек опорной сети на монтажном горизонте откладывают отрезки а1, а2, в1, в2 и получают оси здания.
Для обеспечения точности перенесения осей, на монтажные горизонты типовых зданий руководствуются указаниями СНиП 3.01.03-84, приведенными в табл. 42.
Задача: ознакомиться с устройством прибора, измерить превышения и произвести обработку полученных результатов.
Приборы и принадлежности: комплект гидростатического нивелира, журнал измерений и рабочая тетрадь.
Метод гидростатического нивелирования применяют при нивелировании строительных конструкций, монтаже оборудования, строительстве шахт и трубопроводов, определении осадок и деформаций различных сооружений. Достоинства метода заключаются в компактности аппаратуры, отсутствии сложных поверок, оперативности и высокой точности измерений. Наиболее эффективно применение гидростатического нивелирования в стесненных условиях закрытых помещений, где традиционные методы применить практически невозможно.
Рис. 57. Схема гидростатического нивелирования
Рис. 58. Нивелир шланговый технический НШТ-1
В основу метода гидростатического нивелирования положено свойство сообщающихся сосудов: жидкость в них устанавливается на одном уровне, а ее поверхность располагается перпендикулярно к направлению силы тяжести.
На рис. 57 приведена принципиальная схема гидростатического нивелирования. На точки 1 и 2 установлены своими основаниями сообщающиеся сосуды, имеющие высоты соответственно А и В. Линия, соединяющая уровни жидкости в сосудах, горизонтальна, а ее положение характеризуется расстояниями а и b от верхних краев сосуда. Превышение между точками 1 и 2 можно найти по формуле
h = (А - а) - (В - b) = (b - а) + (А + В).
Разность (А - В) называют местом нуля нивелира и обозначают через МО. Для определения места нуля сосуды меняют местами и берут отсчеты а¢ и b¢, a значение МО вычисляют по формуле
С использованием МО превышение вычисляют по формуле
h = (b - а) + МО. (25)
Точность измерения превышений гидростатическим прибором зависит в основном от точности определения положения уровня жидкости в сосудах. В современных приборах используют следующие способы фиксации уровня жидкости в сосудах.
Визуальный способ фиксации по шкалам сосудов. Шкалы градуируются непосредственно на стеклянных сосудах. Достоинство таких приборов - простота конструкции, недостаток - сравнительно невысокая точность.
Этот способ фиксации использован в шланговом техническом нивелире НШТ-1, который представляет собой легкую переносную систему, состоящую из двух взаимозаменяемых головок (рис. 58). Каждая измерительная головка состоит из стеклянного цилиндра 4 с миллиметровой шкалой 3, заключенного в металлический корпус 2. Измерительные головки соединяются между собой 10-метровым шлангом 6. Верхняя часть металлической оправы головок заканчивается рамкой, в которой размещена опорная пятка 1 для подвешивания нивелира на стенной репер. В нижней части металлической оправы вмонтирована пятка 7 для установки нивелира на грунтовый репер. Включение гидросистемы осуществляют открытием кранов 8, а фиксацию уровня жидкости производят путем отсчетов по шкале с помощью красных кольцевых рисок на цилиндрических поплавках 5.
Технические данные НТШ-1: диапазон измерения превышений - 200 мм, средняя квадратическая погрешность определения превышений - 1 мм.
Прибор используют при нивелировании фундаментов, монтаже конструкций в шахтах и метрополитене, при наблюдениях за осадками сооружений.
Визуально-контактный способ фиксации уровня жидкости основан на применении щупа в виде острого полированного конуса, перемещающегося вертикально с помощью микрометренного винта. На этом принципе работает уровень гидростатический модели 115.
Рис. 59. Уровень гидростатический модели 115
Рис. 60. Прецизионный шланговый ватерпас
Прибор (рис. 59) состоит из двух герметических сосудов, соединенных шлангом длиной 6 м. Каждый сосуд 3 заключен в бронзовый корпус, в нижней части которого смонтирована стальная плита 4 для установки прибора на нивелируемую поверхность. Через герметическую крышку сосуда проходит микрометренный винт 1 с барабаном 2. В нижней части микрометренный винт имеет острый конусообразный щуп. Отсчет по барабану берется в момент контактирования щупа с поверхностью жидкости. Шаг резьбы микрометренного винта равен 1 мм, а окружность барабана разделена на 100 частей, т.е. цена деления барабана равна 0,01 мм.
Технические данные прибора: диапазон измерения превышений - 50 мм, средняя квадратическая погрешность определения превышений - 0,005 ¸ 0,008 мм.
Прибор предназначен для установки по высоте горизонтальных элементов крупногабаритного оборудования.
Электроконтактный способ фиксации. При использовании данного метода в момент соприкосновения щупа с жидкостью замыкается электрическая цепь исполнительной схемы. Этот способ использован в точном гидростатическом шланговом высотомере проф. О. Мейссера (прецизионный шланговый ватерпас), выпускаемом Народным предприятием «Фрайбергер Прецизионсмеханик» (ГДР).
Прибор (рис. 60) состоит из двух взаимозаменяемых измерительных головок, соединенных 30-метровым шлангом. Измерительные головки навешиваются на специальные стенные реперы, заложенные в точках наблюдений за осадками. Под каждым репером дополнительно устанавливают два анкерных болта и тем создают для измерительной головки три опорные точки в одной вертикальной плоскости. При фиксации уровня жидкости щуп 2 микрометренного винта 3 приводят в контакт с токопроводящей жидкостью, замыкая цепь индикаторной лампочки 1.
Технические данные прибора: диапазон измерения превышений - 200 мм, средняя квадратическая погрешность определения превышений - 0,01 мм.
Прибор предназначен для определения малых осадок сооружений.
Кроме перечисленных выше, известны способы фиксации уровня жидкости с помощью емкостных, индуктивных и фотоэлектрических датчиков, обеспечивающих высокую точность и позволяющих автоматизировать процесс измерений. В СССР разработаны системы гидростатического нивелирования с дистанционным методом измерения превышений. Эти стационарные системы успешно применяют для исследования деформаций прецизионных сооружений и обеспечивают высокую точность при большой оперативности измерений. В нашей стране выпускают малой серией системы СГН-27Д, СГН-54Д, СГН-ВИ, предназначенные для регулярных наблюдений за вертикальными перемещениями оснований гидроэлектростанций, теплоэлектростанций и энергоагрегатов атомных электростанций.
Методика измерения превышений
Рассмотрим методику измерений превышений приборами с визуально-контактным способом фиксации уровня жидкости.
Рис. 61. Переносная система фирмы «Фрайбергер» (ГДР)
Переносная система фирмы «Фрайбергер» (ГДР), предназначенная для наблюдений за осадками зданий, состоит из двух сосудов 1 (рис. 61), наполненных дистиллированной водой и соединенных шлангом 14. Определение положения уровня жидкости 10 производят контактированием острого щупа 9 с мениском жидкости. Перемещение щупа осуществляют микрометренным винтом 6 с фиксацией отсчетов в окошке 5 (миллиметры) и окошке 3 (сотые доли миллиметра). Систему включают и выключают краном 13. Ручка 4 и скоба 11 предназначены для навешивания сосудов-пьезометров на специальные стенные реперы. Установку пьезометров в вертикальное положение осуществляют регулировочными винтами 12 по круглому уровню 2. Для герметизации системы и исключения разности давлений в пьезометрах служит дополнительный штуцер 8. Штуцеры обоих пьезометров при измерениях соединяют шлангом 7.
Прибор не требует проведения предварительных поверок, а его работоспособность выясняют в процессе измерений на первой станции.
При измерениях на станции пьезометры подвешивают к стенным реперам, регулировочными винтами по круглому уровню приводят сосуды в вертикальное положение и открывают краны 13, включая тем самым гидросистему. Вода в системе приходит в равновесие в течение 2 - 3 мин. Измерение заключается в одновременном приведении щупов в контакт с поверхностью воды. Для этого наблюдатели по команде руководителя начинают синхронно вращать микрометренные винты, опуская щупы к поверхности воды. По мере приближения щупа к поверхности вращение винтов необходимо замедлить. Момент контактирования обнаруживают по резкому поднятию мениска воды. При таком контактировании погрешность фиксации не превышает 0,02 мм. Производят не менее трех фиксаций, каждый контакт сопровождают отсчетами, которые записывают в журнал наблюдений. Допустимые расхождения между отсчетами 0,04 мм. В этом случае систему арретируют, закрывая краны 13, пьезометры снимают с реперов и меняют местами, а измерения повторяют, т.е. производят нивелирование в обратном направлении.
Таблица 43. Журнал гидростатического нивелирования
|
Дата: 17.VIII.85 |
Бригадир |
Иванов А.А. |
|
Объект: Учебный корпус |
Наблюдатели |
Петров О.И. Сидоров Г.А. |
|
Прибор № 12561 |
Помощники |
Семенов Ф.Г. Кузнецов Р.И. |
|
Название репера, пьезометра |
а, мм |
Название репера, пьезометра |
b, мм |
b - а |
(b - a)ср |
|
|
1 А |
45,05 (1) |
2 В |
58,33 (2) |
13,28 (3) |
+13,27 (10) |
+0,27 (21) |
|
45,07 (4) |
58,33 (5) |
13,26 (6) |
||||
|
45,08 (7) |
58,36 (8) |
13,28 (9) |
||||
|
1 В |
47,51 (11) |
2 А |
60,26 (12) |
12,75 (13) |
+12,73 (20) |
+13,00 (22) |
|
47,53 (14) |
60,25 (15) |
12,72 (16) |
||||
|
47,52 (17) |
60,25 (18) |
12,73 (19) |
Место нуля прибора и превышение между точками вычисляют по формулам (24) и (25).
Образец записей в журнале и обработки результатов наблюдений приведены в табл. 43. Цифры в скобках показывают порядок записи отсчетов и действий при вычислении превышений.
Гидростатическое нивелирование при наблюдениях за осадками зданий и сооружений
Осадка сооружения - это перемещение сооружения или отдельных его частей в вертикальном направлении. Осадка происходит при уплотнении грунта под воздействием веса сооружения. Различают равномерные и неравномерные осадки: равномерные происходят, когда давление на грунт и его сжимаемость во всех частях основания под фундаментом одинаковы. При несоблюдении этого условия возникают неравномерные осадки, приводящие к наклонам, прогибам, искривлениям и другим деформациям сооружения.
Наиболее распространенным методом наблюдений за осадками является периодическое нивелирование знаков, заложенных в конструкции, исследуемого сооружения. Эти знаки называют осадочными марками, по наблюдениям за ними судят об осадке отдельных частей сооружения. На сооружении марки располагают с учетом конструкции фундамента и нагрузок на его отдельные части: для жилых и общественных бескаркасных зданий с несущими стенами и ленточным фундаментом марки размещают по периметру через 10 - 15 м. При ширине здания более 15 м марки устанавливают дополнительно на поперечных стенах в местах их пересечения с продольной осью здания.
Внутри здания нивелирование осадочных марок обычно выполняют
гидростатическим методом отдельными ходами по маркам в виде замкнутых
полигонов. Точность измерения превышений должна обеспечивать получение невязок,
не превышающих значения
, где п - число превышений в
ходе.
Для обеспечения этого требования должны соблюдаться следующие условия: расхождения на станции между тремя полученными превышениями h = b - а не должны превышать 0,07 мм; изменения значений МО не должны превышать 0,15 мм.
Наблюдения за осадками производят циклами. Нулевой цикл выполняют при завершении работ по монтажу конструкций подземной части здания, последующие циклы совмещают с возведением каждого нового этажа.
После завершения измерений в каждом цикле вычисляют отметки и осадки марок.
Вычисляют отметки марок так же, как и при определении отметок точек планового обоснования (см. табл. 19). С учетом приобретенного опыта ведомость вычислений можно несколько упростить. Образец ведомости вычислений отметок осадочных марок приведен в табл. 44.
Осадку Di точки в i-м цикле наблюдений определяют как разность отметок точки в i-м (Hi) и нулевом (Н0) циклах: Di = Hi - H0.
Рис. 62. График осадок марок
Вычисления производят в ведомости осадок (табл. 45), а по результатам обработки составляют график осадок (рис. 62). При вычислениях осадок отметки марок округляют до 0,1 мм, на профиль величину осадки выписывают до миллиметров.
На учебной практике бригада студентов выполняет цикл наблюдений за осадками здания гидростатическим методом. Перед началом работ составляют график распределения обязанностей в бригаде (табл. 46). Число превышений в ходе должно соответствовать числу студентов в бригаде. Преподаватель знакомит бригаду с расположением реперов и осадочных марок, а также выдает бригадиру исходные данные: отметки реперов и ведомость осадок на предшествующие циклы.
Таблица 44. Ведомость вычислений отметок осадочных марок
|
Дата наблюдений: 17.VIII.85 |
Нагрузка: 2 этажа |
Цикл II |
|
Название точки |
Измеренное превышение и поправка, мм |
Исправленное превышение |
Отметка точки, мм |
|
Rp1 |
+4 +17,33 |
+17,37 |
1351,00 |
|
1 |
+5 +13,00 |
+13,05 |
1364,37 |
|
2 |
+4 -19,27 |
-19,23 |
1381,42 |
|
3 |
+5 +14,18 |
+14,23 |
1362,19 |
|
4 |
+4 -14,05 |
-14,01 |
1376,42 |
|
5 |
+5 -11,46 |
-11,41 |
1362,41 |
|
Rp1 |
1351,00 |
||
|
fh = -0,27 fhдоп = 0,25 |
Sh = 0 |
Таблица 45. Ведомость осадок марок учебного корпуса МИСИ
|
Цикл нулевой 23.IV.85 |
Цикл первый 15.VI.85 |
Цикл второй 17.VIII.85 |
|||
|
Отметка, мм |
Отметка |
Осадка |
Отметка |
Осадка |
|
|
1 |
1370,9 |
1366,5 |
-4,4 |
1364,4 |
-6,5 |
|
2 |
1388,8 |
1384,8 |
-4,0 |
1381,4 |
-7,4 |
|
3 |
1369,1 |
1365,3 |
-3,8 |
1362,2 |
-6,9 |
|
4 |
1385,2 |
1380,4 |
-4,8 |
1376,4 |
-8,8 |
|
5 |
1367,7 |
1365,3 |
-2,4 |
1362,4 |
-5,3 |
Таблица 46. График распределения обязанностей в бригаде при наблюдениях за осадками здания
|
Фамилии студентов |
||||
|
руководитель измерений |
наблюдатель |
записывающий |
для поручений |
|
|
Rp1 |
А |
Б, В |
Г |
Д, Е |
|
1 |
Б |
В, Г |
д |
Е, А |
|
2 |
||||
|
В |
Г, Д |
Е |
А, Б |
|
|
3 |
||||
|
Г |
Д, Е |
А |
Б, В |
|
|
4 |
Д |
Е, А |
Б |
В, Г |
|
5 |
Е |
А, Б |
В |
Г, Д |
|
Rp1 |
||||
В подготовительный период студенты изучают устройство нивелира, методику измерений на станции, намечают последовательность измерений в ходе и производят пробное измерение на станции.
В процессе наблюдений руководитель измерений на станции распределяет обязанности исполнителей, определяет готовность бригады к наблюдениям, подает команды «подготовиться к отсчетам» и «отсчет», следит за синхронностью взятия отсчетов, дает команду на смену пьезометров на марках, проверяет правильность записей и вычислений в журнале наблюдений, определяет конец работы на станции и передает материалы руководителю измерений на следующей станции.
Наблюдатели устанавливают пьезометры в вертикальное положение на осадочных марках, включают гидросистему, по команде руководителя приближают щуп к поверхности воды вращением винта микрометра, по команде «отсчет» приводят щуп в контакт с поверхностью воды, производят отсчеты, громко и четко сообщают их записывающему, по команде руководителя измерений производят смену пьезометров на марках. При смене пьезометров наблюдатели переходят на другую марку.
Записывающий заполняет в журнале графы общих сведений об измерениях, фиксирует отсчеты по приборам, вычисляет превышения и место нуля прибора, следит за сходимостью превышений и постоянством места нуля. При появлении недопустимых отклонений он обязан сообщить об этом руководителю.
К зачету бригада представляет: схему расположения осадочных марок; журнал гидростатического нивелирования; ведомость вычисления отметок осадочных марок; ведомость осадок марок; график осадок.
СПИСОК ЛИТЕРАТУРЫ
1. Баканова В.В., Фокин П.И. Таблицы приращений координат. - М.: Недра, 1976.
2. Ганьшин В.Н., Хренов Л.С. Таблицы для разбивки круговых и переходных кривых - М.: Недра, 1985.
4. ГОСТ 10528-76. Нивелиры. Общие технические условия.
5. ГОСТ 10529-79. Теодолиты. Типы. Основные параметры и технические требования.
6. ГОСТ 19223-32. Светодальномеры. Типы. Основные параметры и технические требования.
7. Инженерная геодезия / Багратуни Г.В., Ганьшин В.Н., Данилевич Б.Б. и др. - М.: Недра, 1984.
8. Лебедев Н.Н., Новак В.Е., Левчук Г.П. Практикум по прикладной геодезии. - М.: Недра, 1977.
9. Левчук Г.П., Новак В.Е., Конусов В.Г. Прикладная геодезия. - М.: Недра, 1981.
10. Маслов А.В., Гордеев А.В., Батраков Ю.Г. Геодезия. - М.: Недра. 1980.
11. Митин Н.А. Таблицы для разбивки круговых кривых на автомобильных дорогах. - М.: Недра, 1971.
12. Новая геодезическая техника / Под ред. Дементьева В.Е. - М.: Высш. шк., 1982.
13. Инженерная геодезия / Под ред. Хренова Л.С. - М.: Высш. шк., 1985.
14. Инструкция по топографо-геодезическим работам при инженерных изысканиях для промышленного, сельскохозяйственного и поселкового строительства. СН 212-73. - М.: Стройиздат, 1974.
15. Инженерная геодезия в строительстве / Разумов О.С., Ладонников В.Г., Ангелова Н.В. и др. - М.: Высш. шк., 1984.
16. Руководство по съемке и составлению планов подземных коммуникаций и сооружений / Леонов В.И., Алейников С.А., Коськов Б.И. и др. - М.: ПНИИИС Госстроя СССР, 1979.
17. Соломонов А.А. Инженерная геодезия. - Минск: Высш. шк., 1983.
18. Справочник по геодезическим разбивочным работам / Багратуни Г.В., Лукьянов B.Ф., Сокольский Я.А., Сухов А.Н. - М.: Недра, 1982.
19. Строительные нормы и правила. Правила производства и приемки работ. Геодезические работы в строительстве. СНиП 3.01.03-84. - М.: ЦИТП Госстроя СССР, 1985.
20. Условные знаки для топографических планов масштаба 1:500. - М.: Мосгоргеотрест, 1979.
21. Условные знаки для топографических планов масштабов 1:5000, 1:2000, 1:1000 и 1:500. - М.: Недра, 1973.
22. Хейфец Б.С., Данилевич Б.Б. Практикум по инженерной геодезии. - М.: Недра, 1979.
|
1. Теодолит Т30 или равный ему по точности, штатив и отвес............. |
1 компл. |
|
2 Стальная рулетка РГ-20 или РК-50........................................................ |
1 шт. |
|
3. Землемерная лента ЛЗ-20 со шпильками (6 шт.)................................. |
1 компл. |
|
4. Нивелир Н-3, Н-3К или равный им по точности со штативом......... |
1 компл. |
|
5. Вешки металлические............................................................................ |
3 шт. |
|
6. Двусторонние складные рейки............................................................. |
2 шт. |
|
7. Рейки нивелирные длиной 1,0 - 1,5 м.................................................. |
2 шт. |
|
8. Нивелирный башмак.............................................................................. |
2 шт. |
|
9. Тесьмяная рулетка 20- или 10-метровая............................................... |
1 шт. |
|
10. Динамометр пружинный..................................................................... |
1 шт. |
|
11. Термометр.............................................................................................. |
1 шт. |
|
12. Молоток................................................................................................. |
1 шт. |
|
13. Зонт топографический с палкой-упором........................................... |
1 шт. |
|
14. Сумка для принадлежностей............................................................... |
1 шт. |
|
15. Колышки деревянные........................................................................... |
По указанию руководителей |
|
16. Металлическая линейка с миллиметровыми делениями.................. |
1 шт. |
|
17. Готовальня............................................................................................. |
1 шт. |
|
18. Масштабная линейка............................................................................ |
1 шт. |
|
19. Транспортир металлический большой............................................... |
1 шт. |
|
20. Микрокалькулятор с тригонометрическими функциями................. |
1 шт. |
|
21. Таблицы приращений координат, разбивки круговых кривых, поправок за наклон и тахеометрические таблицы (при отсутствии микрокалькулятора).................................................................................... |
1 компл. |
|
22. Журнал измерения горизонтальных углов........................................ |
2 шт. |
|
23. Журнал измерения вертикальных углов............................................ |
1 шт. |
|
24. Журнал технического нивелирования............................................... |
2 шт. |
|
25. Журнал тахеометрической съемки...................................................... |
1 шт. |
|
26. Пикетажный журнал............................................................................ |
1 шт. |
|
27. Абрис горизонтальной съемки............................................................ |
1 шт. |
|
28. Дневник учебной практики................................................................. |
1 шт. |
|
29. Бланки ведомости вычисления координат........................................ |
2 шт. |
|
30. Бланки решения обратных геодезических задач............................... |
1 шт. |
|
31. Контрольный лист инструктажа по технике безопасности............. |
1 шт. |
|
32. Бумага чертежная |
|
|
33. Бумага миллиметровая |
|
|
34. Учебник «Инженерная геодезия» |
|
|
35. «Практикум по инженерной геодезии» |
|
|
36. «Учебное пособие по геодезической практике» |
КОНТРОЛЬНЫЙ ЛИСТ № ________
инструктажа студентов по технике безопасности
Факультет ____________ курс ___________ группа ________ бригада ________
Фамилия, и., о. и должность проводившего инструктаж __________
Дата проведения инструктажа ____________ Правила по технике безопасности на учебной геодезической практике изучены. Дополнительный инструктаж от преподавателя ____________ от _________ получен. Проверка знаний студентами техники безопасности проведена
(Подпись преподавателя)
|
№ п/п |
Фамилия, имя, отчество (полностью) |
Подпись студента |
Примечания |
|
1 |
|||
|
2 |
|||
|
3 |
|||
|
4 |
|||
|
5 |
|||
|
6 |
|||
|
7 |
|||
|
8 |
Инструктаж по технике безопасности провел преподаватель-руководитель бригад № ___________
(Подпись преподавателя)
«____» __________ 198 г.
Геодезические приборы требуют бережного обращения и тщательного ухода. От состояния приборов и приспособлений во многом зависит качество измерений, поэтому при обращении с приборами необходимо соблюдать следующие правила.
1. Прежде чем вынуть прибор из футляра, необходимо внимательно ознакомиться с укладкой и закреплением его в упаковке. Особое внимание следует обратить на расположение частей в соответствующих гнездах, закрепление их винтами или зажимами.
При укладке прибора в футляр нельзя прилагать усилий. Укладку теодолита выполняют после совмещения красных меток на приборе и металлическом футляре.
2. Перед установкой прибора на штатив необходимо убедиться в надежности крепления ножек к головке штатива, проверить действие закрепительных винтов ножек.
3. Прибор берут только за основание подставки и при установке на штатив немедленно закрепляют становым винтом.
4. При переходах необходимо убедиться в надежности закрепления станового винта; прибор при передвижении следует держать в вертикальном положении.
5. Необходимо предохранять прибор от ударов и сотрясений. Во время перерывов в работе его следует закрывать чехлом и не оставлять без присмотра.
6. Необходимо помнить, что у исправного прибора все части двигаются легко и плавно; в случае нарушения этого условия следует обнаружить причину и устранить ее. Нельзя применять резких усилий при вращении винтов или отдельных частей прибора.
7. Подъемные и наводящие винты не должны качаться в гнездах; перед началом работы их необходимо установить в среднее положение.
8. После работы прибор протирают мягкой чистой ветошью. Категорически запрещается касаться оптических поверхностей пальцами, так как это загрязняет их больше, чем пыль.
9. Студентам запрещается производить какую-либо разборку и ремонт приборов и оборудования.
10. При работе с рейками и вешками запрещается ударять ими по колышкам или другим предметам, загрязнять пятки реек, использовать рейки или вешки для переноски грузов.
|
Угол наклона |
Расстояние, м |
||||||||
|
20 |
30 |
40 |
50 |
60 |
70 |
80 |
90 |
100 |
|
|
1 |
2 |
3 |
4 |
5 |
6 |
7 |
8 |
9 |
10 |
|
1°00¢ |
3 |
5 |
6 |
8 |
9 |
11 |
12 |
14 |
15 |
|
1 15 |
5 |
7 |
10 |
12 |
14 |
17 |
19 |
21 |
24 |
|
1 30 |
7 |
10 |
14 |
17 |
20 |
24 |
27 |
30 |
34 |
|
1 45 |
9 |
14 |
19 |
24 |
28 |
33 |
38 |
42 |
47 |
|
2 00 |
12 |
18 |
24 |
30 |
37 |
43 |
49 |
55 |
61 |
|
2 15 |
15 |
23 |
31 |
39 |
46 |
54 |
62 |
69 |
77 |
|
2 30 |
19 |
29 |
38 |
48 |
57 |
67 |
76 |
86 |
95 |
|
2 45 |
23 |
35 |
46 |
58 |
69 |
81 |
92 |
104 |
115 |
|
3 00 |
27 |
41 |
55 |
69 |
82 |
96 |
110 |
124 |
137 |
|
3 15 |
32 |
48 |
64 |
80 |
96 |
113 |
129 |
145 |
161 |
|
3 30 |
37 |
56 |
75 |
94 |
112 |
131 |
149 |
168 |
187 |
|
3 45 |
43 |
64 |
86 |
107 |
128 |
150 |
171 |
193 |
214 |
|
4 00 |
49 |
73 |
98 |
122 |
146 |
171 |
195 |
220 |
244 |
|
4 15 |
55 |
83 |
110 |
138 |
165 |
193 |
220 |
248 |
275 |
|
4 30 |
62 |
92 |
123 |
154 |
185 |
216 |
246 |
277 |
308 |
|
4 45 |
69 |
103 |
137 |
172 |
206 |
240 |
274 |
309 |
343 |
|
5 00 |
76 |
114 |
152 |
190 |
229 |
267 |
305 |
343 |
381 |
|
5 15 |
84 |
126 |
168 |
210 |
252 |
294 |
336 |
378 |
420 |
|
5 30 |
92 |
138 |
184 |
230 |
276 |
322 |
368 |
414 |
460 |
|
5 45 |
101 |
151 |
201 |
252 |
302 |
352 |
402 |
453 |
503 |
|
6 00 |
110 |
164 |
219 |
274 |
329 |
384 |
438 |
493 |
548 |
|
6 15 |
119 |
178 |
238 |
297 |
356 |
416 |
475 |
535 |
594 |
|
6 30 |
129 |
193 |
257 |
322 |
386 |
450 |
514 |
579 |
643 |
|
6 45 |
139 |
208 |
277 |
347 |
416 |
485 |
554 |
624 |
693 |
|
7 00 |
149 |
224 |
298 |
373 |
447 |
522 |
596 |
671 |
745 |
|
7 15 |
160 |
240 |
320 |
400 |
480 |
560 |
640 |
720 |
800 |
|
7 30 |
171 |
257 |
342 |
428 |
514 |
599 |
685 |
770 |
856 |
|
7 45 |
183 |
274 |
365 |
457 |
548 |
639 |
730 |
822 |
913 |
|
8 00 |
195 |
292 |
389 |
487 |
584 |
681 |
778 |
876 |
973 |
|
8 15 |
207 |
311 |
414 |
518 |
621 |
725 |
822 |
932 |
1035 |
|
8 30 |
220 |
329 |
439 |
549 |
659 |
769 |
878 |
988 |
1098 |
|
8 45 |
233 |
350 |
466 |
582 |
698 |
815 |
931 |
1048 |
1164 |
|
9 00 |
246 |
369 |
492 |
616 |
739 |
862 |
985 |
1108 |
1231 |
|
9 15 |
260 |
390 |
520 |
650 |
780 |
910 |
1040 |
1170 |
1300 |
|
9 30 |
274 |
411 |
549 |
686 |
823 |
960 |
1097 |
1234 |
1371 |
|
9 45 |
289 |
433 |
578 |
722 |
866 |
1011 |
1155 |
1300 |
1444 |
|
10 00 |
304 |
456 |
608 |
760 |
912 |
1063 |
1215 |
1367 |
1519 |
|
10 15 |
319 |
479 |
638 |
798 |
958 |
1117 |
1277 |
1436 |
1595 |
|
10 30 |
334 |
502 |
670 |
837 |
1005 |
1172 |
1340 |
1507 |
1675 |
|
10 45 |
351 |
526 |
702 |
877 |
1053 |
1228 |
1404 |
1579 |
1755 |
|
11 00 |
367 |
551 |
735 |
919 |
1102 |
1286 |
1470 |
1654 |
1837 |
|
Название условного знака |
Изображение на плане |
|
Пункты государственной геодезической сети (числитель - отметка центра, знаменатель - отметка земли) |
|
|
Пункты геодезических сетей местного значения и их номера |
|
|
Столбы закрепления проекта планировки и их номера |
|
|
Реперы грунтовые |
|
|
Пересечение координатных линий |
|
|
Постройки жилые (кирпичные, каменные, шлакобетонные, бетонные и др.) |
|
|
Постройки нежилые (деревянные, саманные и др.) |
|
|
Постройки смешанные жилые |
|
|
Здания с колоннами |
|
|
Строящиеся здания |
|
|
Котлован строящегося здания |
|
|
Церкви, костелы |
|
|
Капитальные сооружения башенного типа (водонапорные и силосные башни, кирпичные пожарные каланчи и др.) |
|
|
Въезд во двор под аркой |
|
|
Террасы |
|
|
Входы в метро |
|
|
Надземные переходы между зданиями |
|
|
Трубы дымоходные котельных установок |
|
|
Вентиляторы и запасные выходы из подвалов |
|
|
Индивидуальные гаражи, туалеты и другие небольшие постройки |
|
|
Овощехранилища подземные (а), оранжереи (б), теплицы (в), парники (г) |
|
|
Скульптуры, туры, каменные столбы высотой более 1 м |
|
|
Загоны для скота |
|
|
Кладбища с густой древесной растительностью (а), редколесьем (б) |
|
|
Открытые склады угля, торфа |
|
|
Торфоразработки |
|
|
Изрытые места |
|
|
Здания фабрик, заводов, электростанций, мельниц, мастерских и др. предприятий |
|
|
Трансформаторные будки и электрические подстанции, их номера |
|
|
Фонари электрические на столбах |
|
|
ЛЭП высокого напряжения на деревянных фермах |
|
|
ЛЭП низкого напряжения на столбах |
|
|
Воздушные проводные линии связи (телефонные, телеграфные, радиотрансляции, телевидения, сигнализации и т.п.) на незастроенных территориях (8 пр. - число проводов) |
|
|
Тоже на застроенных территориях |
|
|
Столбы деревянные с подкосами или оттяжками |
|
|
Столбы и фермы железобетонные |
|
|
Смотровые колодцы (люки) без указания назначения (а), сточные решетки (б), ливневая канализация открытая (в) |
|
|
Железные дороги |
|
|
Опоры контактной сети на электрифицированных железных дорогах |
|
|
Опоры контактной сети |
|
|
Переводные стрелки на железнодорожных путях (а), знаки километрового пикетажа (б), отметки головки рельса (в) |
|
|
Переезды через железные дороги, шлагбаумы |
|
|
Платформы пассажирские и грузовые: открытые с гравийным или каменным покрытием (а), открытые асфальтированные или железобетонные (б), открытые деревянные (в), крытые с одним и двумя рядами опор (г) |
|
|
Светофоры: мачтовые (а) карликовые (б) подвесные (в) |
|
|
Автострады |
|
|
Усовершенствованное шоссе (материал покрытия, оборудованные съезды, границы смены покрытия) |
|
|
Профилированные и улучшенные грунтовые дороги |
|
|
Грунтовые дороги: проселочные (а), |
|
|
полевые и лесные (б) |
|
|
Тропы пешеходные |
|
|
Километровые столбы (а), указатели дорог названий населенных пунктов и рек (б), прочие дорожные знаки (в) |
|
|
Светофоры на столбах (а), опоры троллейбусной контактной сети (б) |
|
|
Реки и ручьи, ширина которых выражается в масштабе плана (а); ширина которых не выражается в масштабе плана (б) |
|
|
Береговые отмели и молы (а), перекаты (б) |
|
|
Изобаты и их надписи |
|
|
Сухие канавы (а) и валики, не выражающиеся в масштабе (б); характеристики их ширины, глубины, высоты |
|
|
Плотины металлические, каменные, бетонные («мет.», «кам.» - материал постройки плотины; 281,97; 276,51 - отметки урезов воды верхнего и нижнего бьефов) непроезжие (а), проезжие (б); |
|
|
Плотины земляные проезжие с водосливом-лотком |
|
|
Откосы спланированные: неукрепленные (а), |
|
|
укрепленные (б) |
|
|
Колодцы |
|
|
Колодцы, совмещенные с водонапорными башнями и водокачками |
|
|
Фонтаны |
|
|
Водонапорные баки на столбах или фермах |
|
|
Водохранилища подземные |
|
|
Мосты металлические однопролетные |
|
|
Мосты железобетонные многопролетные |
|
|
Мосты деревянные однопролетные |
|
|
Мост через канаву |
|
|
Трубы под дорогами |
|
|
Мосты пешеходные со ступенями |
|
|
Броды и их характеристики (числитель - глубина брода, знаменатель - характер дна и скорость течения) |
|
|
Отметки высот |
|
|
Ямы |
|
|
Курганы (+3,6 - высота в м) |
|
|
Отдельные камни-ориентиры |
|
|
Контуры растительности, грунтов |
|
|
Леса: лиственные (а), хвойные (б), смешанные (в) |
|
|
Поросль леса (3 - средняя высота в м, 0,02 средняя толщина стволов) |
|
|
Узкие полосы кустарников и живые изгороди |
|
|
Отдельные кусты |
|
|
Луговая растительность |
|
|
Сады |
|
|
Отдельно стоящие деревья-ориентиры: лиственные (а): общий знак (1); широколиственные - дуб (2), клен (3); мелколиственные - осина, тополь (4); хвойные (б): общий знак (1), ель и пихта (2), сосна (3), кедр (4) |
|
|
Газоны |
|
|
Пашни (а), огороды (б) |
|
|
Ограды каменные и железобетонные |
|
|
Ограды металлические |
|
|
Заборы деревянные: |
|
|
сплошные с воротами (а), |
|
|
на каменном, бетонном или кирпичном фундаменте (б) |
|
|
Водопровод (водовод) |
|
|
Водосток (коричневый цвет) |
|
|
Канализация (оранжевый) |
|
|
Газопровод (коричневый) |
|
|
Кабель ГорСВЕТа (красный) |
|
|
Телефон, канализация (зеленый) |
|
|
Кабельный коллектор (красный) |
|
|
Общий коллектор (оранжевый) |
|
|
Красные линии: (красный) а) границы строительных кварталов (R = 5,00; К = 7,85 - элементы кривых; 9,00, 16,00, 10,00, 2,00 - размеры в м); б) линии регулирования застройки; в) границы зеленых насаждений; г) границы участка, отведенного под застройку (АБВГ - обозначение границ участка) |
|

|
|
|
|
ПГС-1-25, бригада 108 |
МИСИ им. В.В. Куйбышева |
|
Составил: (подпись) Фамилия |
|
|
Проверил: (подпись) Фамилия |
Кафедра инженерной геодезии |
|
ПРИНЯЛ: Дата (подпись) Фамилия преподавателя |
КАРТОГРАММА ЗЕМЛЯНЫХ РАБОТ для горизонтальной площадки |
|
|
|
|
ПГС-1-25, бригада 108 |
МИСИ им. В.В. Куйбышева |
|
Составил: (подпись) Фамилия |
|
|
Проверил: (подпись) Фамилия |
Кафедра инженерной геодезии |
|
ПРИНЯЛ: Дата (подпись) Фамилия преподавателя |
КАРТОГРАММА ЗЕМЛЯНЫХ РАБОТ для наклонной площадки |
|
|
|
|
ПГС-1-25, бригада 108 |
МИСИ им. В.В. Куйбышева |
|
Составил: (подпись) Фамилия |
|
|
Проверил: (подпись) Фамилия |
Кафедра инженерной геодезии |
|
ПРИНЯЛ: Дата (подпись) Фамилия преподавателя |
ПРОФИЛЬ ТРАССЫ АВТОДОРОГИ от бетонного завода до карьера |
|
А. С технической точностью |
|
|
Вычисление проектных отметок: bп = aп + b = 0°05,2¢ + 60°00¢ = 60°05,2¢; bл = ал + b = 180°04,8¢ + 60°00¢ = 246°04,8¢. Контроль построения: Dbк = bк - b = 59°59,2¢ - 60°00¢ = -0,8¢; çDbкç < 2t = 2 × 0,5¢ = 1,0¢. Условие выполнено. Значение угла bк выписано из журнала измерений углов |
|
|
Б. С повышенной точностью |
|
|
Вычисление редукции: Db = bн - b = 44°58¢45" - 45°00¢00" = -0°01¢15" = -75"
Контроль построения: Dbк = bк - b = 45°00¢00² - 45°00¢00² = +5² çDbкç < 2 × t = 2 × 10" = 20". Условие выполнено. Значения углов bи и bк выписаны из журналов измерений углов |
|
|
ПГС-1-26, бригада 108 |
МИСИ им. В.В. Куйбышева |
|
Составил: (подпись) Фамилия |
|
|
Проверил: (подпись) Фамилия |
Кафедра инженерной геодезии |
|
ПРИНЯЛ: Дата (подпись) Фамилия преподавателя |
ПОСТРОЕНИЕ ПРОЕКТНОГО УГЛА: А - теодолитом Т30 с mb = 30"; Б - теодолитом Т5К с mb = 10" |
|
А. Лентой ЛЗ-30 с относительной погрешностью 1:2000
Дано: d = 48,54 м; Dl = +8,9 мм; t0 = 20°. Измерено: t = +8°; v = +2°12¢. Вычисление D:
DDt = 12×10-8(8
- 20)´48,5
= -0,007 м; D = 48,54 - 0,022 + 0,007 + 0,036 = 48,56 м. Контроль построения: Dк = 48,58 м; Условие выполнено. Б. Рулеткой РГ-30 с относительной погрешностью 1:5000
Дано: d = 98,720 м; Dl = -1,8 мм t0 = 20°. Измерено: t = 24°. Вычисление DDv |
|||||||||||||||||||||||||||||||||||||
* Превышения выписаны из журнала. |
Измерение остатка
Вычисление длины отрезка и редукции:
|
||||||||||||||||||||||||||||||||||||
|
ПГС-1-25, бригада 108 |
МИСИ им. В.В. Куйбышева |
||||||||||||||||||||||||||||||||||||
|
Составил: (подпись) Фамилия |
Кафедра инженерной геодезии |
||||||||||||||||||||||||||||||||||||
|
Проверил: (подпись) Фамилия |
|||||||||||||||||||||||||||||||||||||
|
ПРИНЯЛ: Дата (подпись) Фамилия преподавателя |
ПОСТРОЕНИЕ ПРОЕКТНОГО ОТРЕЗКА |
||||||||||||||||||||||||||||||||||||
|
А. Техническим нивелированием
Дано: НА = 120,926 м; Нп = 121,05 м Измерения: ач = 0848 ак = 5632 РО = 4784 Вычисления проектных отметок: ГПч = 120,926 + 0,848 = 121,774; ГПк = 120,926 + 5,632 = 126,558; bч = 121,774 - 120,05 = 1724 bк = 126,558 - 120,05 = 6508 РО = 4784 Контроль построений: Db = -7 мм; çDbç < 10 мм Б. По 2-р классу точности
Дано: HA = 118,374 м; Hп = 119,00 м; Измерения: ач = 0671; hи = 5632 м Вычисления: ГП = 118,374 + 0,671 = 119,145 м; bч = 119,145 - 119,000 = 0,145 м; hп = 119,000 - 118,374 = 0,624 м; Dh =0,6385 - 0,624 = 0,0145 м = 14,5 мм Контроль: hк = 0,628; Dhк = 0,628 - 0,624 = 0,002 м = 2 мм; çDhç < 4 мм |
|
|
ПГС-1-25, бригада 108 |
МИСИ им. В.В. Куйбышева |
|
Составил: (подпись) Фамилия |
|
|
Проверил: (подпись) Фамилия |
Кафедра инженерной геодезии |
|
ПРИНЯЛ: Дата (подпись) Фамилия преподавателя |
ПОСТРОЕНИЕ РИСКИ С ПРОЕКТНОЙ ОТМЕТКОЙ |
|
|
|
|
ПГС-1-25, бригада 108 |
МИСИ им. В.В. Куйбышева |
|
Составил: (подпись) Фамилия |
|
|
Проверил: (подпись) Фамилия |
Кафедра инженерной геодезии |
|
ПРИНЯЛ: Дата (подпись) Фамилия преподавателя |
ИСПОЛНИТЕЛЬНЫЙ ЧЕРТЕЖ разбивки основных осей здания от существующей застройки |
|
|
|
|
ПГС-1-25, бригада 108 |
МИСИ им. В.В. Куйбышева |
|
Составил: (подпись) Фамилия |
Кафедра инженерной геодезии |
|
Проверил: (подпись) Фамилия |
|
|
ПРИНЯЛ: Дата (подпись) Фамилия преподавателя |
ИСПОЛНИТЕЛЬНЫЙ ЧЕРТЕЖ разбивки основных осей с точек теодолитного хода |
|
|
|
|
ПГС-1-25, бригада 108 |
МИСИ им. В.В. Куйбышева |
|
Составил: (подпись) Фамилия |
|
|
Проверил: (подпись) Фамилия |
Кафедра инженерной геодезии |
|
ПРИНЯЛ: Дата (подпись) Фамилия преподавателя |
РАЗБИВОЧНЫЙ ЧЕРТЕЖ трассы инженерной сети |
|
|
|
|
ПГС-1-25, бригада 108 |
МИСИ им. В.В. Куйбышева |
|
Составил: (подпись) Фамилия |
|
|
Проверил: (подпись) Фамилия |
Кафедра инженерной геодезии |
|
ПРИНЯЛ: Дата (подпись) Фамилия преподавателя |
РАЗБИВОЧНЫИ ЧЕРТЕЖ контура котлована |
|
|
|
|
ПГС-1-25, бригада 108 |
МИСИ им. В.В. Куйбышева |
|
Составил: (подпись) Фамилия |
|
|
Проверил: (подпись) Фамилия |
Кафедра инженерной геодезии |
|
ПРИНЯЛ: Дата (подпись) Фамилия преподавателя |
ИСПОЛНИТЕЛЬНЫЙ ЧЕРТЕЖ детальной разбивки осей здания |
СОДЕРЖАНИЕ