МИНИСТЕРСТВО ПУТЕЙ СООБЩЕНИЯ
РОССИЙСКОЙ ФЕДЕРАЦИИ
ДЕПАРТАМЕНТ ПУТИ И СООРУЖЕНИЙ
МЕТОДИЧЕСКИЕ УКАЗАНИЯ
ПО ПРИМЕНЕНИЮ ТИПОВЫХ
ТЕХНИЧЕСКИХ РЕШЕНИЙ
ОПЕРАТИВНОГО ВОССТАНОВЛЕНИЯ
ЗЕМЛЯНОГО ПОЛОТНА
ЦПИ-22/41
![]()
"ТРАНСПОРТ" 1999
МИНИСТЕРСТВО ПУТЕЙ СООБЩЕНИЯ
РОССИЙСКОЙ ФЕДЕРАЦИИ
ДЕПАРТАМЕНТ ПУТИ И СООРУЖЕНИЙ
ЦПИ-22/41
Утверждаю:
Заместитель руководителя
Департамента пути и сооружений
В.Б. Каменский
25 декабря 1997 г.
МЕТОДИЧЕСКИЕ УКАЗАНИЯ
ПО ПРИМЕНЕНИЮ ТИПОВЫХ ТЕХНИЧЕСКИХ РЕШЕНИЙ
ОПЕРАТИВНОГО ВОССТАНОВЛЕНИЯ ЗЕМЛЯНОГО ПОЛОТНА
Методические указания разработаны Московским государственным университетом путей сообщения (МГУПС) (Кафедра "Путь и путевое хозяйство" и путеиспытательная лаборатория).
В Методических указаниях приводятся типовые технические решения по оперативному восстановлению земляного полотна при аварийных деформациях в виде смещений, откосов насыпей и размывов земляного полотна, даются рекомендации по их применению и технологии восстановления.
Методические указания предназначены для всех работников и организаций, занятых оперативным восстановлением земляного полотна при его аварийных деформациях.
Выпушено по заказу Министерства путей сообщения Российской Федерации
На сети железных дорог Российской Федерации иногда происходят внезапные деформации земляного полотна (особенно насыпей), ведущие к его полным или частичным отказам и вызывающие перерывы в движении поездов, что негативно влияет на перевозочный процесс и приводит к значительным материальным и денежным затратам.
В Методических указаниях (МУ) рассматриваются две группы аварийных деформаций: нарушение устойчивости откосов высоких насыпей (группа I) и размывы (группа II).
В основу разработки типовых технических решений и механизированных технологий оперативного восстановления земляного полотна при аварийных ситуациях были положены результаты проведенного статистического анализа фактических материалов 166 аварийных деформаций на сети железных дорог, происшедших в 1982-1994 гг. (79 - группы I и 87 - группы II).
Было установлено, что в 80 % случаев аварийные деформации приводят к полным отказам и в 20 % - к частичным с ограничением скорости движения до 5-40 км/ч. При полных отказах перерывы в движении поездов наиболее вероятны на 10-20 ч (65 % всех случаев), однако в 11,5 % случаев они составляют 100 ч и более.
Основными причинами аварийных деформаций откосов высоких насыпей являются переувлажнение их грунтов, в том числе балластных шлейфов. Причины размывов - воздействие ливневых и продолжительных дождей, паводков, прорывов водохранилищ и прудов и др.
Обоснование приводимых в МУ типовых технических решений по оперативному восстановлению деформированного земляного полотна произведено путем обобщения фактического материала об аварийных деформациях на сети железных дорог, а также математического и физического моделирования насыпей при их различных высотах и очертаниях, разных грунтах и их состояниях (консистенции), различных уровнях димических поездных нагрузок.
В результате рассмотрения нескольких сотен вариантов были обоснованы 19 интегрированных типовых технических решений для восстановления земляного полотна при его аварийном деформировании и 12 технологических карт по оперативному восстановлению.
Приведенные в МУ технические решения по сути дела являются групповыми в соответствии с СТН Ц-01-95 "Железные дороги колеи 1520 мм".
Настоящие МУ прошли экспертизу по частям и в целом и получили положительную оценку со стороны ряда железных дорог.
Методические указания разработаны в МГУПСе д-ром техн. наук, проф. Виноградовым В.В., д-ром техн. наук, проф. Яковлевой Т.Г., канд. техн. наук, доц. Фроловским Ю.К., канд. техн. наук, доц. полковником Токаревым П.М.
В работе по обоснованию МУ приняли участие науч. сотр. Моргуненко В.И., инженеры Анисимова Н.Д, Виноградова Г.А., Иванов Д.И., Васючкова Л.В., механик Бурцев С.Е.
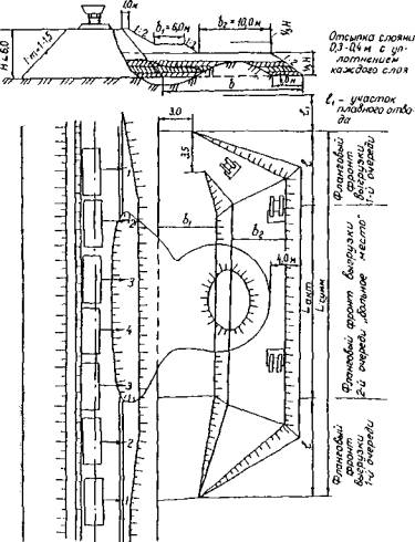
Технические решения по восстановлению насыпей высотой до 6 м, интегрированные для четырех групп условий, представлены в табл. 1.1. Решения даны в схемах, т.е. не для конкретных высот насыпей, а для всех высот до 6 м включительно. Штриховой линией показаны контуры не разрушенной насыпи, схема разрушения показана условно, она лишь говорит о том, что насыпь деформирована, а конкретное очертание поверхности смещения непредсказуемо и выявляется только лишь во время деформирования.
На схемах тонкими линиями даны технические решения, достаточные для пропуска поездов со скоростью 5 км/ч, жирными - решения, обеспечивающие полную устойчивость откосов при пропуске поездов с любыми установленными скоростями.
Высота полок контрбанкетов дается в долях от высоты насыпей.
Крутизна откосов не восстановленной насыпи измеряется в верхней ее части. Откосы считаются крутыми при показателе крутизны m ≤ 1, при m > 1 откосы считаются средней крутизны.
К супесям и суглинкам относятся все разновидности грунтов, относящиеся к соответствующей номенклатуре.
При прочном основании и крутых откосах для насыпей, сложенных тугопластичным суглинком, восстановление может быть осуществлено без контрбанкетов, простым восстановлением и досыпкой откоса до крутизны 1:2 при уширении основной площадки до величины, соответствующей расстоянию b/2 м от оси крайнего пути, где b/2 - половина нормируемой ширины основной площадки однопутной насыпи в соответствии с требованиями СТН Ц-01-25 (см. табл. 1.1). При восстановлении насыпи ширина обочины не должна быть менее 0,5 м. Если деформированный откос находится с наружной стороны кривой, то b/2 увеличивается на величину уширения (СТН Ц-01-25).
Такое же решение возможно при откосах средней крутизны, суглинках туго- и мягкопластичной консистенции и супесях твердой и пластичной консистенций.
Если же при этом при крутых откосах суглинок имеет мягкопластичную консистенцию, а супесь твердую и пластичную, то необходима берма минимальной шириной 4 м с высотой полки 3/5 Н от уровня основания (см. табл. 1.1). Однако для пропуска поездов со скоростью 5 км/ч достаточно восстановить откос, как это показано в табл. 1.1, простой досыпкой грунта с обеспечением уклона 1:2.
|
№ варианта |
Тип основания |
Схема технического решения |
Сферы применения |
|
1 |
Прочное |
|
1. Откосы крутые, суглинок тугопластичный 2. Откосы средней крутизны, суглинок туго- и мягкопластичный 3. Откосы средней крутизны, супесь твердая и пластичная |
|
2 |
" |
|
1. Откосы крутые, суглинок мягкопластичный 2. Откосы крутые, супесь твердая и пластичная |
|
3 |
Слабое |
|
1. Откосы крутые, супесь твердая, суглинок тугопластичный 2. Откосы средней крутизны, супесь твердая, суглинок тугопластичный |
|
4 |
" |
|
1. Откосы крутые, супесь пластичная, суглинок мягкопластичный 2. Откосы средней крутизны, супесь пластичная, суглинок мягкопластичный |
При слабом основании (болота I типа и иловатые грунты) для пропуска поездов с установленной скоростью необходима берма минимальной шириной 4 м, размещаемая на середине высоты насыпи при крутых и средней крутизны откосах, суглинках тугопластичной и супесях твердой консистенции.
Восстановление при этом для пропуска поездов со скоростью 5 км/ч может быть осуществлено также, как и при прочном основании.
Если же грунты насыпи переувлажнены (супесь пластичная, суглинок мягкопластичный), то и при крутых и средней крутизны откосах необходима берма минимальной ширины 6 м, расположенная на высоте 2/5 Н от уровня основания. Для пропуска поездов со скоростью 5 км/ч достаточно отсыпать берму шириной 4 м на уровне 1/3 Н.
Визуальное определение крутизны верхних частей откосов, номенклатуры и консистенции грунта производится в соответствии с приложением.
Технические решения по восстановлению насыпей высотой свыше 6 м и включительно до высоты 12 м, интегрированные для пяти групп условий, приведены в табл. 1.2. Из них три решения для насыпей на прочном основании и два - на слабом.
При прочном основании, крутых откосах и грунтах насыпи, представленных пластичной супесью и мягкопластичным суглинком, восстановление для пропуска поездов с установленной скоростью производится путем устройства двух полочного контрбанкета с минимальной шириной полок 4 м, расположенных на высоте 2/5 Н и 4/5 Н от уровня основания (см. табл. 1.2). Для пропуска поездов со скоростью 5 км/ч на начальном этапе восстановления в рассмотренном случае достаточно возвести контрбанкет с одной полкой шириной 4 м, располагаемой в середине высоты насыпи.
Для случаев когда грунты не переувлажнены (супесь твердой, а суглинок тугопластичной консистенции) при крутых и средней крутизне откосах, а также при переувлажненном состоянии грунтов (супесь пластичная, суглинок мягкопластичный), но откосах только средней крутизны, восстановление возможно при сооружении одно-полочного контрбанкета с минимальной шириной полки 4 м. Но в первом случае она размещается на высоте 1/2 Н, а во втором - на высоте 3/4 Н от уровня основания. Для пропуска поездов на начальном этапе восстановления достаточно иметь очертание по варианту 2 табл. 1.2.
Таблица 1.2.
|
№ варианта |
Тип основания |
Схема технического решения |
Сферы применения |
|
1 |
Прочное |
|
1. Откосы крутые, супесь пластичная 2. Откосы крутые, суглинок мягкопластичный |
|
2 |
" |
|
1. Откосы крутые, супесь твердая, суглинок тугопластичный 2. Откосы средней крутизны, супесь твердая, суглинок тугопластичный |
|
3 |
" |
|
1. Откосы средней крутизны, супесь пластичная 2. Откосы средней крутизны, суглинок мягкопластичный |
|
4 |
слабое |
|
1. Откосы крутые и средней крутизны, суглинок мягкопластичный 2. Откосы крутые, супесь пластичная |
|
5 |
" |
|
1. Откосы крутые, супесь твердая, суглинок тугопластичный 2. Откосы средней крутизны, супесь твердая и пластичная, суглинок тугопластичный |
При слабом основании (вариант 4 и 5 табл. 1.2) для пропуска поездов с установленными скоростями необходимо сооружение двух полочного контрбанкета с шириной полок 6 м и расположением их на уровнях 1/3 высоты насыпи. Первоочередное восстановление для пропуска поездов со скоростью 5 км/ч требует одно-полочного контрбанкета с полкой 6 м на уровне 1/2 Н. Такие технические решения рекомендуются при крутых откосах, пластичной супеси и при крутых и средней крутизне откосах, мягкопластичном суглинке.
Последнее решение можно применить и как окончательное, если откосы крутые, но грунты насыпи - супесь твердая или суглинок тугопластичный или если откосы средней крутизны при супеси твердой или пластичной и суглинке тугопластичном. В этом случае восстановление для пропуска поездов со скоростью 5 км/ч требует одной полки шириной 4 м, расположенной на уровне 1/3 Н от основания (см. табл. 1.2). Визуальное определение крутизны откосов, номенклатуры и консистенции грунтов производится в соответствии с приложением.
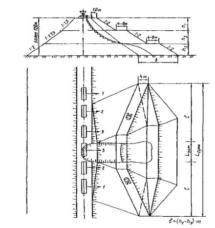
Технические решения по восстановлению насыпей высотой свыше 12 м, интегрированные для четырех групп условий, приведены в табл. 1.3.
Для насыпей на прочном основании могут быть рекомендованы два принципиально одинаковых решения (для полного восстановления насыпей) - двухполочные контрбанкеты с шириной полок 4 м. Различие заключается только в уровнях расположения полок: при супесях пластичных и суглинках мягкопластичных как при крутых, так и при средней крутизны откосах, полки располагаются на уровнях 1/5 Н от основной площадки и 2/5 Н от основания (см. табл. 1.3).
При маловлажных грунтах (супесь твердая, суглинок тугопластичный) при той же крутизне откосов полки размещаются соответственно на уровне 1/3 Н и 2/3 Н от основной площадки.
Для того чтобы пропустить поезда со скоростью 5 км/ч, в первом случае возводится также двухполочный контрбанкет с шириной полок 4 м, но на уровнях 1/3 Н и 2/3 Н, а во втором случае - одно-полочный, с полкой такой же ширины, располагаемой на уровне 1/2 Н.
Если основание слабое, то сечение насыпи при восстановлении должно быть существенно развито: при супеси твердой и суглинке тугопластичной консистенции как при крутых, так и при средней крутизны откосах, требуется двухполочный контрбанкет с шириной верхней полки 6 м и нижней - 12 м. Полки располагаются соответственно на уровне 1/3 Н и 2/3 Н (см. табл. 1.3).
|
№ варианта |
Тип основания |
Схема технического решения |
Сферы применения |
|
1 |
Прочное |
|
1. Крутые откосы, супесь пластичная, суглинок мягкопластичный 2. Откосы средней крутизны, супесь пластичная, суглинок мягкопластичный |
|
2 |
" |
|
1. Крутые откосы, супесь твердая, суглинок тугопластичный 2. Откосы средней крутизны, супесь твердая, суглинок тугопластичный |
|
3 |
Слабое |
|
1. Крутые откосы, супесь твердая, суглинок тугопластичный 2. Откосы средней крутизны, супесь твердая, суглинок тугопластичный |
|
4 |
" |
|
1. Крутые откосы, супесь пластичная, суглинок мягкопластичный 2. Откосы средней крутизны, супесь пластичная, суглинок мягкопластичный |
Если грунты переувлажнены (супесь пластичная, суглинок мягкопластичный) при любой крутизне откосов восстанавливаемой насыпи для пропуска поездов с установленными скоростями необходимо возвести трехполочный контрбанкет с шириной полок 8 и 12 м (считая сверху), располагаемых на уровнях от основной площадки 1/6 Н, 1/2 Н и 5/6 Н. Для пропуска поездов со скоростью 5 км/ч при первоначальном восстановлении достаточно двух полок шириной 8 и 12 м (считая сверху), размещаемых на уровнях 1/3 Н и 2/3 Н (см. табл. 1.3, вариант 4). Визуальное определение крутизны откосов, номенклатуры и консистенции грунтов производится в соответствии с приложением.
Во всех случаях при косогорности основания круче 1:5 после срезки сплывшего грунта в нем нарезаются уступы обычным порядком, а при возведении нижних частей контрбанкетов предварительно устраиваются рисбермы или бермы из скального грунта.
Область применения. Однопутный (двухпутный) участок насыпи высотой до 6 м на прочном основании.
Технология и организация работ. Технология и организация работ принимаются на основании характеристики участка, характера и объемов обрушений, карточки ПУ-9, опросов местных путейцев, состояния прилегающих грунтов к нижнему заложению насыпи и в границах полосы отвода.
Подготовительные работы:
- организация связи места работы с поездным диспетчером и дежурным по станции;
- вырубка кустарника и мелколесья на откосе насыпи по всей длине деформации откоса и на ширину основания упорной части восстанавливаемого откоса
b = 0,5 H + bкб + 1 м,
где Н - высота насыпи, м;
bкб - ширина полки контрбанкета, м;
1 м - величина уширения основной площадки при отсыпке;
- перенос кабеля связи (при его наличии) на участке деформации;
- устройство кабельного обхода ЛЭП;
- увеличение кабельного пролета контактного провода;
- разбивка оси рихтовки пути в пределах деформации откоса;
- рихтовка пути;
- устройство освещения места работ для их производства в темное время суток;
- устройство пунктов приема пищи для рабочих, занятых на восстановительных работах и пунктов обогрева в зимнее время года вне зоны производства работ;
- сосредоточение техники для выполнения основных работ;
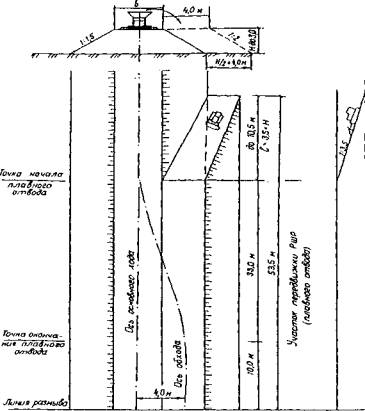
- рыхление грунта в зоне полосы отвода от подошвы нижнего заложения деформируемой части насыпи на ширину b и длину Lсумм (с учетом косогорности);
Lсумм = Lакт + 2l,
где Lсумм - суммарная длина участка деформации;
Lакт - длина участка активной деформации;
l = mhкб - длина плеча пассивной деформации (фланговый фронт выгрузки);
hкб - высота полки контрбанкета;
- перенос водоотвода.
Основные работы. Основное требование (условие) для качественного проведения восстановительных работ и недопущения развития деформации вглубь (к оси насыпи и противоположному откосу) и по длине заключается в том, что начинать выгрузку дренирующего грунта из думпкаров надо с флангов, а не сразу на "больное" место.
Ведущая машина - бульдозер (максимальный уклон работ m = 3,5).
Последовательность работ:
- выгрузка грунта комплексом думпкары-струг в пассивной части деформации с обоих флангов до тех пор, пока не будет выполнена отсыпка упорного слоя на ширину b вдоль всего участка деформации на высоту 1,0 м;
- выгрузка грунта комплексом думпкары-струг в пассивной части деформации с обоих флангов и дальнейшее его перемещение в направлении "больного" места;
- послойное (толщиной 0,3-0,4 м) размещение грунта от флангов и срезание "больного" места с уплотнением (количество проходок по одному следу 6-8 раз) до высоты границы перелома поверхности "выгнутая"-"выпуклая";
- нарезка уступов высотой 0,5 м с дальнейшей послойной отсыпкой и уплотнением до отметки основной площадки с учетом уширения последней не менее чем на 1,0 м.
Сроки восстановительных работ приведены в табл. 1.4.
Технологическая схема оперативного восстановления участка насыпи показана на рис. 1.1.
График организации и производства работ составлен для двух экстремальных вариантов в области наиболее вероятных значений объемов земляных работ и протяженности участков деформации для рассматриваемых в технологической карте условий (табл. 1.5)
Таблица 1.4.
|
Длина участка деформации, м |
Длина участка перемещения грунта, м |
Объем, м3 |
Трудозатраты, маш-ч |
Время на выполнение земляных работ, ч при следующем количестве бульдозеров |
||||||||
|
на 100 м3 |
на объем |
1 |
2 |
3 |
4 |
5 |
6 |
7 |
8 |
|||
|
30-80 |
15 |
480 |
0,54 |
2,59 |
2,59 |
1,29 |
|
|
|
|
|
|
|
720 |
0,54 |
3,88 |
3,88 |
1,94 |
|
|
|
|
|
|
||
|
1140 |
0,54 |
6,15 |
6,15 |
3,07 |
2,05 |
|
|
|
|
|
||
|
1200 |
0,54 |
6,48 |
6,48 |
3,24 |
2,16 |
|
|
|
|
|
||
|
40 |
1280 |
1,34 |
17,15 |
17,15 |
8,57 |
5,51 |
4,28 |
|
|
|
|
|
|
1920 |
1,34 |
25,72 |
25,72 |
12,86 |
8,69 |
6,43 |
|
|
|
|
||
|
3040 |
1,34 |
40,74 |
40,74 |
20,37 |
13,58 |
10,18 |
8,15 |
6,79 |
|
|
||
|
60-100 |
30 |
3200 |
1,34 |
42,88 |
42,88 |
21,44 |
14,29 |
10,72 |
8,57 |
8,14 |
|
|
|
960 |
1,02 |
9,79 |
9,79 |
4,89 |
3,26 |
2,44 |
|
|
|
|
||
|
1140 |
1,02 |
14,68 |
14,68 |
7,34 |
4,89 |
3,67 |
|
|
|
|
||
|
2280 |
1,02 |
23,26 |
23,26 |
11,63 |
7,75 |
5,81 |
|
|
|
|
||
|
2400 |
1,02 |
24,48 |
24,48 |
12,24 |
8,16 |
9,12 |
|
|
|
|
||
|
50 |
1600 |
1,66 |
26,56 |
26,56 |
13,28 |
8,85 |
6,64 |
5,31 |
|
|
|
|
|
2400 |
1,66 |
39,84 |
39,84 |
19,92 |
13,28 |
9,96 |
7,99 |
|
|
|
||
|
3800 |
1,66 |
63,08 |
63,08 |
31,54 |
21,02 |
15,77 |
12,61 |
10,51 |
|
|
||
|
4000 |
1,66 |
66,4 |
66,4 |
33,2 |
22,1 |
16,6 |
13,28 |
11,05 |
|
|
||
|
70-130 |
35 |
1120 |
1,18 |
13,12 |
13,12 |
6,56 |
4,37 |
|
|
|
|
|
|
1680 |
1,18 |
19,8 |
19,8 |
9,9 |
6,6 |
|
|
|
|
|
||
|
2660 |
1,18 |
31,38 |
31,38 |
15,69 |
10,46 |
5,23 |
|
|
|
|
||
|
2800 |
1,18 |
33,04 |
33,04 |
16,52 |
11,01 |
5,5 |
|
|
|
|
||
|
65 |
2080 |
2,14 |
44,5 |
44,5 |
22,25 |
14,8 |
11,12 |
8,9 |
7,4 |
|
|
|
|
3120 |
2,14 |
66,76 |
66,76 |
33,38 |
22,25 |
16,69 |
13,33 |
11,12 |
9,54 |
8,34 |
||
|
4940 |
2,14 |
105,72 |
105,72 |
52,86 |
35,24 |
26,43 |
21,14 |
17,62 |
15,1 |
13,21 |
||
|
5200 |
2,14 |
111,28 |
111,28 |
55,64 |
37,09 |
27,82 |
22,25 |
18,54 |
15,9 |
13,91 |
||

I вариант.
V = 1200 м3; в том числе V1 = 400 м3 - фланговый объем; V2 = 800 м3 - основной объем.
Lсумм = 38 м - протяженность участка суммарной деформации (протяженность активной Lакт = 10 м);
0,5 Lсумм = l = 19 м - протяженность (плечо) участка перемещения грунта;
|
№ п/п |
Наименование работ и мероприятий |
Единица измерения |
Объем |
Количество человек |
Машины, механизмы, инструменты |
Время выполнения отдельных операций (начало, продолжительность, окончание операции), ч |
|
|
Тип |
Количество, шт. |
||||||
|
1 |
Подготовительные работы |
|
|
|
|
|
|
|
1.1 |
Вырубка кустарника и мелколесья в зоне работ |
м2 |
300,0 |
4 |
Топор, бензопила "Дружба-2" |
2 |
0-2-2 |
|
1.2 |
Разбивка оси пути и его сдвижка |
м |
80,0 |
20 |
Лом |
20 |
0-2-2 |
|
1.3 |
Устройство освещения места работ |
Комплект |
1 |
2 |
ОПОУ |
1 |
0-2-2 |
|
1.4 |
Перенос кабеля связи |
м |
160,0 |
4 |
|
|
0--4--4 |
|
1.5 |
Устройство кабельного обхода ЛЭП |
м |
100,0 |
4 |
|
|
0--4--4 |
|
1.6 |
Увеличение пролета контактного провода |
Комплект |
1 |
2 |
|
|
0-2-2 |
|
1.7 |
Устройство пунктов приема пищи |
шт. |
1 |
5 |
Палатка ПБ-20 |
|
1--3-4 |
|
1.8 |
Устройство пунктов обогрева |
шт. |
1 |
5 |
То же |
|
1--3-4 |
|
1.9 |
Перенос водоотводов |
м3 |
20,0 |
1 |
T-170 |
1 |
011 |
|
1.10 |
Рыхление грунта, м |
м3 |
32,0 |
1 |
T-170 |
1 |
112 |
|
2 |
Основные работы |
|
|
|
|
|
|
|
2.1 |
Завоз и выгрузка грунта в сторону деформированного откоса на фланги: |
|
|
|
|
|
|
|
|
l = 19 м |
м3 |
400,0 |
4 |
ДМ |
12 |
2-2-4 |
|
|
l = 40 м |
м3 |
1200,0 |
4 |
ДМ |
38 |
2---6---8 |
|
2.2 |
Перемещение грунта стругом: |
|
|
|
|
|
|
|
|
l = 19 м |
м3 |
400,0 |
2 |
Струг |
1 |
214 |
|
|
l = 40 м |
м3 |
1200,0 |
2 |
" |
1 |
228 |
|
2.3 |
Перемещение грунта бульдозером к середине: |
|
|
|
|
|
1 |
|
|
l = 19 м |
м3 |
400,0 |
1 |
Т-170 |
1 |
2 1 4 |
|
|
l = 40 м |
м3 |
1200,0 |
4 |
Т-170 |
4 |
2--5---8 |
|
2.4 |
Послойное разравнивание и уплотнение грунта бульдозером: |
|
|
|
|
|
|
|
|
l = 19 м |
100 м3 |
4,0 |
2 |
Т-170 |
2 |
2 1 4 |
|
|
l = 40 м |
100 м3 |
12,0 |
4 |
Т-170 |
4 |
2--5---8 |
|
2.5 |
Обрушение, перемещение сплывшей массы с нарезкой уступов высотой 0,5 м: |
|
|
|
|
|
|
|
|
l = 19 м |
м3 |
75 |
1 |
Т-170 |
|
4 1 13 |
|
|
l = 40 м |
м3 |
225 |
1 |
T-170 |
|
8 1 19 |
|
2.6 |
Завоз и выгрузка дренирующего грунта для восстановления откоса: |
|
|
|
|
|
|
|
|
1 = 19 м |
м3 |
800,0 |
4 |
ДМ |
25 |
5 4 9 |
|
|
l = 40 м |
м3 |
2000,0 |
4 |
ДМ |
62 |
9-----10-----19 |
|
2.7 |
Перемещение грунта к середине: |
|
|
|
|
|
|
|
|
l = 19 м |
м3 |
800,0 |
2 |
Т-170 |
2 |
9 2 13 |
|
|
l = 40 м |
м3 |
2000,0 |
4 |
Т-170 |
4 |
9---7----19 |
|
2.8 |
Послойное разравнивание и уплотнение грунта бульдозером: |
|
|
|
|
|
|
|
|
l = 19 м |
м3 |
800,0 |
2 |
Т-170 |
2 |
9--4--13 |
|
|
l = 40 м |
м3 |
2000,0 |
4 |
Т-170 |
4 |
9----7---19 |
|
2.9 |
Планировка основной площадки стругом: |
|
|
|
|
|
|
|
|
l = 19 м |
м2 |
180 |
2 |
Струг |
1 |
13 1 14 |
|
|
l = 40 м |
м2 |
180 |
2 |
" |
1 |
19 1 20 |
|
3 |
Заключительные работы |
|
|
|
|
|
|
|
3.1 |
Обратная передвижка пути: |
|
|
|
|
|
|
|
|
l = 19 м |
м |
38 |
20 |
Лом |
20 |
14 1 15 |
|
|
l = 40 м |
м |
80 |
20 |
" |
20 |
20-2-22 |
|
3.2 |
Выгрузка балласта из хоппер-дозаторов: |
|
|
|
|
|
|
|
|
l = 19 м |
м3 |
45 |
2 |
Х/д |
2 |
15 1 16 |
|
|
l = 40м |
м3 |
120 |
2 |
" |
4 |
22 1 23 |
|
3.3 |
Выправка пути в плане и профиле: |
|
|
|
|
|
|
|
|
l = 19 м |
м |
38 |
3 |
ВПР |
1 |
16 1 18 |
|
|
l = 40 м |
м |
80 |
3 |
ВПР |
1 |
23 1 24 |
Таблица 1.6.
|
Ведущая машина |
Бульдозер на базе трактора T-170 |
||||||
|
Дальность перемещения, м3/ч |
15 |
30 |
15 |
40 |
50 |
60 |
65 |
|
Производительность, м3/ч |
185,2 |
98,00 |
84,75 |
74,62 |
60,20 |
50,50 |
46,72 |
высота насыпи - 6 м;
основание прочное;
количество думпкаров - 20 шт. (в вертушке); всего - 37 шт.;
количество бульдозеров - 2 шт.;
суммарное время работ - 12,5 ч.
II вариант.
V = 3200 м3; в том числе V1 = 1200 м3 - фланговый объем; V2 = 2000 м3 - основной объем.
Lсумм = 80 м - протяженность участка суммарной деформации (протяженность активной L = 50 м);
l - 40 м - протяженность (плечо) участка перемещения грунта;
высота насыпи - 6 м;
основание прочное;
количество думпкаров - 20 шт. (в вертушке), всего - 100 шт.;
количество бульдозеров - 4 шт.;
суммарное время работ - 23 ч.
Технико-экономические показатели, материально-технические ресурсы и карта операционного контроля качества представлены в табл. 1.6-1.8.
Таблица 1.7.
|
№ п/п |
Наименование |
Количество |
|
1 |
Топор |
6 |
|
2 |
Бензопила |
2 |
|
3 |
Теодолит |
1 |
|
4 |
Вешки |
4 |
|
5 |
Измерительная лента |
1 |
|
6 |
Шаблон путевой |
2 |
|
7 |
Лом лапчатый |
30 |
|
8 |
Передвижная электростанция |
2 |
|
9 |
Палатка ПБ-20 |
2 |
|
10 |
Прожектор |
2 |
|
11 |
Думпкар (число в вертушке) |
20 |
|
12 |
Локомотив |
1 |
|
13 |
Бульдозер на базе трактора Т-170 |
2/4 |
|
14 |
Струг |
1 |
|
15 |
Машина ВПР |
1 |
|
16 |
Хоппер-дозатор |
4 |
Таблица 1.8.
|
п/п |
Показатель |
Значения показателя |
|
1 |
Уширение основной площадки насыпи со стороны деформированного откоса |
1 м |
|
2 |
Крутизна восстанавливаемой части откоса по всей длине |
1:2 |
|
3 |
Высота уступа |
Не менее 0,5 м |
|
4 |
Толщина отсыпаемого слоя |
Не более 0,4 м |
|
5 |
Толщина слоя уплотнения |
Не более 0,4 м |
|
6 |
Ширина упорной полки понизу |
4,0 м |
|
7 |
Высота полки контрбанкета |
3,6 м |
Область применения. Однопутный (двухпутный) участок насыпи высотой до 6 м на слабом основании.
Технология и организация работ. Технология и организация работ принимаются на основании характеристики участка, характера и объемов обрушения, карточки ПУ-9, опросов местных путейцев, состояния прилегающих грунтов к нижнему заложению насыпи и в границах полосы отвода.
Подготовительные работы:
- организация связи места работ с поездным диспетчером и дежурным по станции;
- вырубка кустарника и мелколесья на откосе насыпи по всей длине деформации откоса и на ширину основания упорной части восстанавливаемого откоса
b = 0,5 Н+b1+b2+1 м,
где Н - высота насыпи, м;
b1, b2 - ширины полок контрбанкетов, м;
1 м - величина уширения основной площадки при отсыпке;
- перенос кабеля связи при его наличии на участке деформации;
- устройство кабельного обхода ЛЭП;
- увеличение пролета контактного провода;
- разбивка оси рихтовки пути в пределах деформации откоса;
- рихтовка пути;
- устройство освещения места работ для их производства в темное время суток;
- устройство пунктов приема пищи для рабочих, занятых на восстановительных работах и пунктов обогрева в зимнее время года вне зоны производства работ;
- сосредоточение техники для выполнения основных работ;
- перенос водоотвода.
Основные работы. Основное требование (условие) для качественного проведения восстановительных работ и недопущения развития деформации вглубь (к оси насыпи и противоположному откосу) и по длине заключается в том, что начинать выгрузку дренирующего грунта из думпкаров надо с флангов, а не сразу на "больное" место.
Ведущая машина-бульдозер (максимальный уклон работ m = 3,5).
Последовательность работ:
- выгрузка грунта комплексом думпкары-струг в пассивной части деформации с обоих флангов до тех пор, пока не будет выполнена отсыпка упорного слоя на ширину b вдоль всего участка деформации на высоту 1 м (отсыпка упорного слоя на ширину 4 м вдоль всего участка деформации на высоту 1 м выполняется в первую очередь);
- отсыпка упорного слоя на ширину b вдоль всего участка деформации высотой 2 м слоями 0,3-0,4 м с бульдозерами-болотниками с уплотнением;
- выгрузка грунта комплексом думпкары-струг в пассивной части деформации с обоих флангов и дальнейшее его перемещение и послойное разравнивание к середине с устройством второй полки контрбанкета шириной 6 м;
- окончание отсыпки уширения откоса насыпи.
При расчете времени восстановления необходимо учесть увеличение объемов земляных работ из-за сооружения бермы в два раза. Ориентировочные сроки восстановления приведены в табл. 1.9.
Технологическая схема оперативного восстановления участка насыпи показана на рис. 1.2.
График организации и производства работ составлен для двух экстремальных вариантов в области наиболее вероятных значений объемов земляных работ и протяженности участков деформации для рассматриваемых в технологической карте условий (табл. 1.10).
I вариант.
V = 2400 м3; в том числе V1 = 1600 м3 - фланговый объем; V2 = 800 м3 - основной объем.
Lсумм - 38 м - протяженность участка суммарной деформации (протяженность активной Lакт = 10 м);
l = 19 м - дальность перемещения грунта бульдозером;
высота насыпи - 6 м;
основание слабое;
количество думпкаров - 20 шт. (в вертушке), всего - 75 шт.;
количество бульдозеров - 2 шт.;
суммарное время - 20,2 ч.
Таблица 1.9.
|
Длина участка деформации, м |
Длина участка перемещения грунта, м |
Объем, м3 |
Трудозатраты, маш-ч |
Время на выполнение земляных работ, ч, при следующем количестве бульдозеров |
||||||||
|
на 100 м3 |
на объем |
1 |
2 |
3 |
4 |
5 |
6 |
7 |
8 |
|||
|
30-80 |
15 |
1500 |
0,54 |
8,1 |
8,1 |
4,05 |
2,7 |
|
|
|
|
|
|
1680 |
0,54 |
9,06 |
9,06 |
4,53 |
3,02 |
|
|
|
|
|
||
|
2280 |
0,54 |
12,3 |
12,3 |
6,15 |
4,1 |
|
|
|
|
|
||
|
2400 |
0,54 |
53,96 |
12,96 |
6,48 |
4,32 |
|
|
|
|
|
||
|
40 |
4000 |
1,34 |
53,6 |
53,6 |
26,8 |
17,8 |
13,4 |
10,7 |
8,9 |
|
|
|
|
4480 |
1,34 |
60,02 |
60,02 |
30,01 |
20,0 |
15,0 |
12,0 |
10,0 |
|
|
||
|
6080 |
1,34 |
81,48 |
81,48 |
40,74 |
27,16 |
20,37 |
16,3 |
13,58 |
|
|
||
|
6400 |
1,34 |
85,76 |
85,76 |
42,88 |
28,55 |
21,44 |
17,15 |
14,27 |
|
|
||
|
60-100 |
30 |
3000 |
1,02 |
30,6 |
30,6 |
15,3 |
10,2 |
7,65 |
6,12 |
|
|
|
|
3360 |
1,02 |
34,28 |
34,28 |
17,14 |
11,42 |
8,57 |
6,85 |
|
|
|
||
|
4560 |
1,02 |
46,52 |
46,52 |
23,26 |
15,5 |
11,63 |
9,3 |
|
|
|
||
|
4800 |
1,02 |
48,96 |
48,96 |
24,48 |
16,32 |
12,24 |
9,8 |
|
|
|
||
|
50 |
5000 |
1,66 |
83,0 |
83,0 |
41,5 |
27,6 |
20,75 |
16,6 |
13,8 |
11,85 |
10,37 |
|
|
5600 |
1,66 |
92,96 |
92,96 |
46,48 |
30,98 |
23,24 |
18,59 |
15,49 |
13,26 |
11,62 |
||
|
7600 |
1,66 |
126,16 |
126,16 |
63,08 |
42,05 |
31,54 |
25,23 |
21,02 |
18,02 |
15,77 |
||
|
8000 |
1,66 |
132,8 |
132,8 |
66,4 |
44,2 |
33,2 |
26,56 |
22,1 |
18,97 |
16,6 |
||
|
70-130 |
35 |
3500 |
1,18 |
41,3 |
41,3 |
20,65 |
13,7 |
10,32 |
8,26 |
|
|
|
|
3920 |
1,18 |
46,24 |
46,24 |
23,12 |
15,41 |
11,56 |
9,25 |
|
|
|
||
|
5320 |
1,18 |
62,76 |
62,76 |
31,38 |
20,92 |
15,69 |
12,55 |
10,46 |
|
|
||
|
5600 |
1,18 |
66,08 |
66,08 |
33,04 |
22,02 |
16,52 |
13,21 |
11,01 |
|
|
||
|
65 |
6500 |
2,14 |
139,1 |
139,1 |
69,55 |
46,3 |
34,75 |
27,82 |
23,15 |
19,87 |
17,37 |
|
|
7280 |
2,14 |
155,78 |
155,78 |
77,89 |
51,92 |
38,94 |
31,15 |
25,96 |
22,25 |
19,47 |
||
|
9880 |
2,14 |
211,44 |
211,44 |
105,72 |
70,48 |
52,86 |
42,3 |
35,24 |
30,2 |
26,43 |
||
|
10400 |
2,14 |
222,56 |
222,56 |
111,28 |
74,18 |
55,64 |
44,51 |
37,09 |
31,79 |
27,82 |
||

Таблица 1.10.
|
№ п/п |
Наименование работ и мероприятий |
Единица измерения |
Объем |
Количество человек |
Машины, механизмы, инструменты |
Время выполнения отдельных операций (начало, продолжительность, окончание операции), ч |
|
|
Тип |
Количество, шт. |
||||||
|
1 |
Подготовительные работы |
|
|
|
|
|
|
|
1.1 |
Вырубка кустарника и мелколесья в зоне работ |
м2 |
400,0 |
4 |
Топор, |
2 |
0-2-2 |
|
|
|
|
|
бензопила "Дружба-2" |
2 |
||
|
1.2 |
Разбивка оси пути и его сдвижка |
м |
80,0 |
20 |
Лом |
20 |
0-2-2 |
|
1.3 |
Устройство освещения места работ |
Комплект |
1 |
2 |
ОПОУ |
1 |
0-2-2 |
|
1.4 |
Перенос кабеля связи |
м |
200,0 |
4 |
|
|
0--4--4 |
|
1.5 |
Устройство кабельного обхода ЛЭП |
м |
100,0 |
4 |
|
|
0--4--4 |
|
1.6 |
Увеличение пролета контактного провода |
Комплект |
1 |
2 |
|
|
0-2-2 |
|
1.7 |
Устройство пунктов приема пищи |
шт. |
1 |
6 |
Палатка ПБ-20 |
1 |
1--3-4 |
|
1.8 |
Устройство пунктов обогрева |
шт. |
1 |
6 |
То же |
1 |
1--3-4 |
|
1.9 |
Выявление границ выпучивания грунта дневной поверхности |
м2 |
160 |
2 |
мерная лента |
1 |
011 |
|
1.10 |
Перенос водоотводов |
м3 |
40,0 |
1 |
T-170 |
1 |
112 |
|
2 |
Основные работы |
|
|
|
|
|
|
|
2.1 |
Завоз и выгрузка грунта в сторону деформированного откоса на фланги: |
|
|
|
|
|
|
|
|
l = 19 м |
м3 |
1600,0 |
4 |
ДМ |
50 |
1-7-8 |
|
|
l = 40 м |
м3 |
4400,0 |
4 |
ДМ |
138 |
1---------21-----------22 |
|
2.2 |
Перемещение грунта стругом: |
|
|
|
|
|
|
|
|
l = 38 м |
м2 |
1600,0 |
2 |
Струг |
1 |
1-2-8 |
|
|
l = 80 м |
м2 |
4400,0 |
2 |
" |
1 |
1-----5,5---22 |
|
2.3 |
Перемещение грунта бульдозером к середине: |
|
|
|
|
|
1 |
|
|
l = 19 м |
м3 |
1600,0 |
2 |
Т-170 |
2 |
1--4--8 |
|
|
l = 40 м |
м3 |
4400,0 |
4 |
Т-170 |
4 |
2----14-------22 |
|
2.4 |
Послойное разравнивание и уплотнение грунта бульдозером: |
|
|
|
|
|
|
|
|
l = 19 м |
м3 |
1600,0 |
2 |
Т-170 |
2 |
2--7--4 |
|
|
l = 40 м |
м3 |
4400,0 |
4 |
Т-170 |
4 |
1-----9------22 |
|
2.5 |
Обрушение, перемещение сплывшей массы с нарезкой уступов высотой 0,5 м: |
|
|
|
|
|
|
|
|
l = 19 м |
м3 |
75 |
1 |
Т-170 |
|
7-2-15 |
|
|
l = 40 м |
м3 |
225 |
1 |
T-170 |
|
20-2-39 |
|
2.6 |
Завоз и выгрузка дренирующего грунта для восстановления откоса: |
|
|
|
|
|
|
|
|
1 = 19 м |
м3 |
800,0 |
4 |
ДМ |
25 |
8--4--12 |
|
|
l = 40 м |
м3 |
2000,0 |
4 |
ДМ |
68 |
22--10--32 |
|
2.7 |
Перемещение грунта к середине: |
|
|
|
|
|
|
|
|
l = 19 м |
м3 |
800,0 |
2 |
Т-170 |
2 |
12 2 14 |
|
|
l = 40 м |
м3 |
2000,0 |
4 |
Т-170 |
4 |
32--7--39 |
|
2.8 |
Послойное разравнивание и уплотнение грунта бульдозером: |
|
|
|
|
|
|
|
|
l = 19 м |
м3 |
800,0 |
2 |
Т-170 |
2 |
12-3--15 |
|
|
l = 40 м |
м3 |
2000,0 |
4 |
Т-170 |
4 |
32-4,5-39 |
|
2.9 |
Планировка основной площадки стругом: |
|
|
|
|
|
|
|
|
l = 19 м |
м2 |
240 |
2 |
Струг |
1 |
15 1 16 |
|
|
l = 40 м |
м2 |
560 |
2 |
" |
1 |
39 1 40 |
|
3 |
Заключительные работы |
|
|
|
|
|
|
|
3.1 |
Обратная передвижка пути: |
|
|
|
|
|
|
|
|
l = 19 м |
м |
38 |
20 |
Лом |
20 |
16 1 17 |
|
|
l = 40 м |
м |
80 |
20 |
" |
20 |
40-2-42 |
|
3.2 |
Выгрузка балласта из хоппер-дозаторов: |
|
|
|
|
|
|
|
|
l = 19 м |
м3 |
45 |
2 |
Х/д |
2 |
17 1 18 |
|
|
l = 40м |
м3 |
80 |
2 |
" |
4 |
41 1 42 |
|
3.3 |
Выправка пути в плане и профиле: |
|
|
|
|
|
|
|
|
l = 19 м |
м |
38 |
3 |
ВПР |
1 |
18 1 19 |
|
|
l = 40 м |
м |
80 |
3 |
ВПР |
1 |
43 1 44 |
Таблица 1.11.
|
Ведущая машина |
Бульдозер на базе Т-170 |
||||||
|
Дальность перемещения, м3/ч |
15 |
30 |
35 |
40 |
50 |
60 |
65 |
|
Производительность, м3/ч |
185,2 |
98,00 |
84,75 |
74,62 |
60,20 |
50,50 |
46,72 |
II вариант.
V = 6400 м3; в том числе V1 = 4400 м3 - фланговый объем; V2 = 2000 м3 - основной объем.
Lсумм = 80 м - протяженность участка суммарной деформации (протяженность активной Lакт = 50 м);
l = 40 м - дальность перемещения грунта бульдозером;
высота насыпи - 6 м;
основание слабое;
количество думпкаров - 20 шт. (в вертушке), всего - 206 шт.;
количество бульдозеров - 6 шт.;
суммарное время - 44,4 ч.
Технико-экономические показатели, материально-технические ресурсы и карта операционного контроля качества представлены в табл. 1.11-1.13.
Таблица 1.12.
|
№ п/п |
Наименование |
Количество |
|
1 |
Топор |
6 |
|
2 |
Бензопила |
2 |
|
3 |
Теодолит |
1 |
|
4 |
Вешки |
4 |
|
5 |
Измерительная лента |
I |
|
6 |
Шаблон путевой |
1 |
|
7 |
Лом лапчатый |
30 |
|
8 |
Передвижная электростанция |
2 |
|
9 |
Палатка ПБ-20 |
2 |
|
10 |
Прожектор |
2 |
|
11 |
Думпкар (число в вертушке) |
20 |
|
12 |
Локомотив |
1 |
|
13 |
Бульдозер на базе трактора Т-170 |
2/6 |
|
14 |
Струг |
1 |
|
15 |
Машина ВПР |
1 |
|
16 |
Хоппер-дозатор |
4 |
Таблица 1.13.
|
п/п |
Показатель |
Значение показателя |
|
1 |
Уширение основной площадки насыпи со стороны деформированного откоса |
1 м |
|
2 |
Крутизна восстановленной части откоса по всей длине |
1:2 |
|
3 |
Высота уступа |
Не менее 0,5 м |
|
4 |
Толщина отсыпаемого слоя |
Не более 0,4 м |
|
5 |
Толщина слоя уплотнения |
Не более 0,4 м |
|
6 |
Ширина упорной полки понизу |
4,0 м |
|
7 |
Высота упорной полки |
2,0 м |
Область применения. Однопутный (двухпутный) участок насыпи высотой от 6 до 12 м на прочном основании.
Технология и организация работ. Технология и организация работ принимаются на основании характеристики участка, характера и объемов обрушения, карточки ПУ-9, опросов местных путейцев, состояния прилегающих грунтов к нижнему заложению насыпи и в границах полосы отвода.
Подготовительные работы:
- организация связи места работ с поездным диспетчером и дежурным по станции;
- вырубка кустарника и мелколесья на откосе насыпи по всей длине деформации откоса и па ширину основания упорной части восстанавливаемого откоса
b = 0,25 H+5 м,
где H - высота насыпи, м;
- перенос кабеля связи при его наличии на участке деформации;
- устройство кабельного обхода ЛЭП;
- увеличение пролета контактного провода;
- разбивка оси рихтовки пути в пределах деформации откоса;
- рихтовка пути;
- устройство освещения места работ для их производства в темное время суток;
- устройство пунктов приема пищи для рабочих, занятых на восстановительных работах и пунктов обогрева в зимнее время года вне зоны производства работ;
- сосредоточение техники для выполнения основных работ;
- перенос водоотвода;
- рыхление грунта в зоне полосы отвода от подошвы нижнего заложения деформируемой части насыпи на ширину b и длину L сумм (с учетом косогорности);
Lсумм = Lакт + 2l,
где Lсумм - суммарная длина участка деформации;
Lакт - длина участка активной деформации;
l - длина плеча пассивной деформации (фланговый фронт выгрузки).
Основные работы. Основное требование (условие) для качественного проведения восстанови тельных работ и недопущения развития деформации вглубь (к оси насыпи и противоположному откосу) и по длине заключается в том, что начинать выгрузку дренирующего грунта из думпкаров надо с флангов, а не сразу на "больное" место.
Ведущая машина - бульдозер (максимальный уклон работ m = 3,5).
Последовательность работ:
- выгрузка грунта комплексом думпкары-струг в пассивной части деформации с обоих флангов до тех нор, пока не будет выполнена отсыпка упорного слоя на ширину b вдоль всего участка деформации на высоту 1 м;
- выгрузка грунта комплексом думпкары-струг в пассивной части деформации с обоих флангов и дальнейшее его перемещение и срезание "больного" места;
- послойное (толщиной 0,3-0,4 м) размещение грунта от флангов и срезание "больного" места с уплотнением (количество проходок по одному следу 6-8 раз) до высоты границы перелома поверхности "выгнутая"-"выпуклая";
- нарезка уступов высотой 0,5 м с дальнейшей послойной отсыпкой и уплотнением до отметки основной площадки с учетом уширения последней не менее чем на 1 м.
Сроки восстановительных работ приведены в табл. 1.14.
Технологическая схема оперативного восстановления участка насыпи показана на рис. 1.3.
График организации и производства работ составлен для двух экстремальных случаев в области наиболее вероятных значений объемов земляных работ и протяженности участков деформации для рассматриваемых в технологической карте условий (табл. 1.15).
Таблица 1.14.
|
Длина участка деформации, м |
Длина участка перемещения грунта, м |
Объем, м3 |
Трудозатраты, маш-ч |
Время на выполнение земляных работ, ч, при следующем количестве бульдозеров |
||||||||||
|
на 100 м3 |
на объем |
1 |
2 |
3 |
4 |
5 |
6 |
7 |
8 |
9 |
10 |
|||
|
30-80 |
15 |
1590 |
0,54 |
8,58 |
8,58 |
4,29 |
|
|
|
|
|
|
|
|
|
1860 |
0,54 |
10,04 |
10,04 |
5,02 |
|
|
|
|
|
|
|
|
||
|
2760 |
0,54 |
14,9 |
14,9 |
7,45 |
4,97 |
|
|
|
|
|
|
|
||
|
40 |
4240 |
1,34 |
56,82 |
56,82 |
28,41 |
18,94 |
14,20 |
11,36 |
9,47 |
|
|
|
|
|
|
4960 |
1,34 |
66,46 |
66,46 |
33,23 |
22,15 |
16,61 |
15,29 |
11,07 |
9,49 |
|
|
|
||
|
7360 |
1,34 |
98,62 |
98,62 |
49,31 |
32,87 |
24,65 |
19,72 |
16,43 |
14,09 |
|
|
|
||
|
60-100 |
30 |
3180 |
1,02 |
32,44 |
32,44 |
16,22 |
10,81 |
8,11 |
6,58 |
5,40 |
|
|
|
|
|
3720 |
1,02 |
37,94 |
37,94 |
18,97 |
12,64 |
9,48 |
7,59 |
6,32 |
|
|
|
|
||
|
5520 |
1,02 |
56,30 |
56,30 |
28,15 |
18,76 |
14,07 |
11,26 |
9,38 |
|
|
|
|
||
|
50 |
5300 |
1,66 |
87,98 |
87,98 |
43,99 |
29,32 |
21,99 |
17,59 |
14,66 |
12,56 |
10,99 |
9,74 |
8,79 |
|
|
6200 |
1,66 |
102,84 |
102,92 |
51,46 |
34,3 |
25,73 |
20,58 |
17,15 |
14,7 |
12,86 |
11,43 |
10,29 |
||
|
9200 |
1,66 |
152,72 |
152,72 |
73,36 |
50,9 |
38,18 |
30,54 |
25,45 |
21,82 |
19,09 |
16,96 |
15,27 |
||
|
70-130 |
35 |
3710 |
1,18 |
43,78 |
43,78 |
21,89 |
14,59 |
10,94 |
8,77 |
7,29 |
|
|
|
|
|
4340 |
1,18 |
51,21 |
51,21 |
25,6 |
17,07 |
12,8 |
10,24 |
8,53 |
|
|
|
|
||
|
6440 |
1,18 |
76,0 |
76,0 |
38,0 |
25,3 |
19,0 |
15,2 |
12,65 |
|
|
|
|
||
|
65 |
6890 |
2,14 |
147,44 |
147,44 |
73,72 |
49,14 |
36,86 |
29,48 |
24,57 |
21,06 |
18,43 |
16,38 |
14,74 |
|
|
8060 |
2,14 |
172,48 |
172,48 |
86,24 |
57,43 |
43,12 |
34,49 |
28,74 |
24,64 |
21,56 |
19,16 |
17,24 |
||
|
11960 |
2,14 |
255,94 |
255,94 |
127,97 |
85,31 |
63,98 |
51,19 |
42,,6S |
36,56 |
31,99 |
28,43 |
25,59 |
||

I вариант.
V = 3180 м3; в том числе V1 = 2000 м3 - фланговый объем; V2 = 1180 м3 - основной объем.
Lсумм =60 м - протяженность участка суммарной деформации (протяженность активной Lакт = 10 м);
l = 30 м - протяженность (плечо) участка перемещения грунта;
высота насыпи - 7 м;
|
№ п/п |
Наименование работ и мероприятий |
Единица измерения |
Объем |
Количество человек |
Машины, механизмы, инструменты |
Время выполнения отдельных операций (начало, продолжительность, окончание операции), ч |
|
|
Тип |
Количество, шт. |
||||||
|
1 |
Подготовительные работы |
|
|
|
|
|
|
|
1.1 |
Вырубка кустарника и мелколесья в зоне работ |
м2 |
400,0 |
4 |
Топор, |
2 |
0-2-2 |
|
|
|
|
|
бензопила "Дружба-2" |
2 |
||
|
1.2 |
Разбивка оси пути и его сдвижка |
|
|
|
|
|
|
|
|
l = 30 м |
м |
60,0 |
20 |
Лом |
20 |
0-1-2 |
|
|
l = 50 м |
м |
100,0 |
20 |
" |
20 |
0-2-2 |
|
1.3 |
Устройство освещения места работ |
Комплект |
1 |
2 |
ОПОУ |
1 |
0-2-2 |
|
1.4 |
Перенос кабеля связи |
м |
200,0 |
4 |
|
|
0--4--4 |
|
1.5 |
Устройство кабельного обхода ЛЭП |
м |
150,0 |
4 |
|
|
0--4--4 |
|
1.6 |
Увеличение пролета контактного провода |
Комплект |
1 |
2 |
|
|
0-2-2 |
|
1.7 |
Устройство пунктов приема пищи |
шт. |
1 |
6 |
Палатка ПБ-20 |
|
0--3-3 |
|
1.8 |
Устройство пунктов обогрева |
шт. |
1 |
6 |
То же |
|
0--3-3 |
|
1.9 |
Перенос водоотводов |
|
|
|
|
|
|
|
|
l = 30 м |
м3 |
40,0 |
1 |
T-170 |
1 |
0 1 2 |
|
|
l = 50 м |
м3 |
70,0 |
1 |
Т-170 |
1 |
0 1 2 |
|
1.10 |
Рыхление грунта |
|
|
|
|
|
|
|
|
l = 30 м |
м3 |
30,0 |
1 |
T-170 |
1 |
0 1 1 |
|
|
l = 50 м |
м3 |
65,0 |
1 |
Т-170 |
1 |
0 1 1 |
|
2 |
Основные работы |
|
|
|
|
|
|
|
2.1 |
Завоз и выгрузка грунта в сторону деформированного откоса на фланги: |
|
|
|
|
|
|
|
|
l = 30 м |
м3 |
2000,0 |
4 |
ДМ |
62 |
2--10-12 |
|
|
l = 50 м |
м3 |
5000,0 |
4 |
ДМ |
156 |
2-------24--------26 |
|
2.2 |
Перемещение грунта стругом: |
|
|
|
|
|
|
|
|
l = 30 м |
м3 |
2000,0 |
2 |
Струг |
1 |
2--3-12 |
|
|
l = 50 м |
м3 |
5000,0 |
2 |
" |
1 |
2-----6---26 |
|
2.3 |
Перемещение грунта бульдозером к середине: |
|
|
|
|
|
1 |
|
|
l = 30 м |
м3 |
2000,0 |
3 |
Т-170 |
2 |
2--7-12 |
|
|
l = 50 м |
м3 |
5000,0 |
5 |
Т-170 |
4 |
2----17-----26 |
|
2.4 |
Послойное разравнивание и уплотнение грунта бульдозером: |
|
|
|
|
|
|
|
|
l = 30 м |
100 м3 |
20,0 |
3 |
Т-170 |
2 |
2--7--12 |
|
|
l = 50 м |
100 м3 |
50,0 |
5 |
Т-170 |
4 |
2-----17------26 |
|
2.5 |
Обрушение, перемещение сплывшей массы с нарезкой уступов высотой 0,5 м: |
|
|
|
|
|
|
|
|
l = 30 м |
м3 |
180 |
1 |
Т-170 |
1 |
12 3 18 |
|
|
l = 50 м |
м3 |
300 |
1 |
T-170 |
1 |
26----3----46 |
|
2.6 |
Завоз и выгрузка дренирующего грунта для восстановления откоса: |
|
|
|
|
|
|
|
|
1 = 30 м |
м3 |
1180,0 |
4 |
ДМ |
37 |
12-6--18 |
|
|
l = 50 м |
м3 |
4200,0 |
4 |
ДМ |
132 |
26----20---46 |
|
2.7 |
Перемещение грунта к середине: |
|
|
|
|
|
|
|
|
l = 30 м |
100 м3 |
1180,0 |
3 |
Т-170 |
2 |
12 4 18 |
|
|
l = 50 м |
100 м3 |
42,00 |
5 |
Т-170 |
4 |
26-----14----46 |
|
2.8 |
Послойное разравнивание и уплотнение грунта бульдозером: |
|
|
|
|
|
|
|
|
l = 30 м |
100 м3 |
1180,0 |
3 |
Т-170 |
2 |
12-4--18 |
|
|
l = 50 м |
100 м3 |
42,00 |
5 |
Т-170 |
4 |
26----14----46 |
|
2.9 |
Планировка основной площадки стругом: |
|
|
|
|
|
|
|
|
l = 30 м |
м2 |
300 |
2 |
Струг |
1 |
18 1 19 |
|
|
l = 50 м |
м2 |
600 |
2 |
" |
1 |
46 1 47 |
|
3 |
Заключительные работы |
|
|
|
|
|
|
|
3.1 |
Обратная передвижка пути: |
|
|
|
|
|
|
|
|
l = 30 м |
м |
60 |
20 |
Лом |
20 |
19-2-21 |
|
|
l = 50 м |
м |
100 |
20 |
" |
20 |
47-2-49 |
|
3.2 |
Выгрузка балласта из хоппер-дозаторов: |
|
|
|
|
|
|
|
|
l = 30 м |
м3 |
180 |
2 |
Х/д |
5 |
21 1 22 |
|
|
l = 50м |
м3 |
240 |
2 |
" |
7 |
49-2-51 |
|
3.3 |
Выправка пути в плане и профиле: |
|
|
|
|
|
|
|
|
l = 30 м |
м |
60 |
3 |
ВПР |
1 |
22 1 23 |
|
|
l = 50 м |
м |
100 |
3 |
ВПР |
1 |
51 1 53 |
Таблица 1.16.
|
Ведущая машина |
Бульдозер на базе T-170 |
||||||
|
Дальность перемещения, м3/ч |
15 |
30 |
35 |
40 |
50 |
60 |
65 |
|
Производительность, м3/ч |
185,2 |
98,00 |
84,75 |
74,62 |
60,20 |
50,50 |
46,72 |
основание прочное;
количество думпкаров - 20 шт. (в вертушке), всего - 99 шт.;
количество бульдозеров - 3 шт.;
суммарное время - 23,76 ч.
II вариант.
V = 9200 м3; в том числе V1 = 5000 м3 - фланговый объем; V2 = 4200 м3 - основной объем.
Lсумм = 100 м - протяженность участка суммарной деформации (протяженность активной 50 м);
l = 50 м - протяженность (плечо) участка перемещения грунта;
высота насыпи - 7 м;
основание прочное;
количество думпкаров - 20 шт. (в вертушке), всего - 288 шт.;
количество бульдозеров - 5 шт.;
суммарное время - 53,16 ч.
Технико-экономические показатели, материально-технические ресурсы и карта операционного контроля качества представлены в табл. 1.16-1.18.
Таблица 1.17.
|
№ п/п |
Наименование |
Количество |
|
1 |
Топор |
6 |
|
2 |
Бензопила |
2 |
|
3 |
Теодолит |
1 |
|
4 |
Вешки |
4 |
|
5 |
Измерительная лента |
1 |
|
6 |
Шаблон путевой |
1 |
|
7 |
Лом лапчатый |
30 |
|
8 |
Передвижная электростанция |
2 |
|
9 |
Палатка ПБ-20 |
2 |
|
10 |
Прожектор |
2 |
|
11 |
Думпкар (число в вертушке) |
20 |
|
12 |
Локомотив |
1 |
|
13 |
Бульдозер на базе трактора Т-170 |
3/5 |
|
14 |
Струг |
1 |
|
15 |
Машина ВПР |
1 |
|
16 |
Хоппер-дозатор |
7 |
Таблица 1.18.
|
№ п/п |
Показатель |
Значение показателя |
|
1 |
Уширение основной площадки насыпи со стороны деформированного откоса |
1 м |
|
2 |
Крутизна восстанавливаемой части откоса по всей длине |
1:2 |
|
3 |
Высота уступа |
Не менее 0,5 м |
|
4 |
Толщина отсыпаемого слоя |
Не более 0,4 м |
|
5 |
Толщина слоя уплотнения |
Не более 0,4 м |
|
6 |
Ширина упорной полки понизу |
4,0 м |
|
7 |
Высота упорной полки контрбанкета |
0,5 H |
Область применения. Однопутный (двухпутный) участок насыпи высотой более 12 м на прочном основании.
Технология и организация работ. Технология и организация работ принимаются на основании характеристики участка, характера и объемов обрушений, карточки ПУ-9, опросов местных путейцев, состояния прилегающих грунтов к нижнему заложению насыпи и в границах полосы отвода.
Подготовительные работы:
- организация связи места работ с поездным диспетчером и дежурным по станции;
- вырубка кустарника и мелколесья на откосе насыпи по всей длине деформации откоса и на ширину основания упорной части восстанавливаемого откоса
b = b1+b2+1 м,
где b1 = b2 = 4-6 м - ширина полок контрбанкета;
1 м - величина уширения основной площадки при отсыпке;
- перенос кабеля связи при его наличии на участке деформации;
- устройство кабельного обхода ЛЭП;
- увеличение пролета контактного провода;
- разбивка оси рихтовки пути в пределах деформации откоса;
- рихтовка пути;
- устройство освещения места работ для их производства в темное время суток;
- устройство пунктов приема пищи для рабочих, занятых на восстановительных работах и пунктов обогрева в зимнее время года вне зоны производства работ;
- сосредоточение техники для выполнения основных работ;
- перенос водоотвода;
- рыхление грунта в зоне полосы отвода от подошвы нижнего заложения деформируемой части насыпи на ширину b и длину Lсумм (с учетом косогорности);
Lсумм = Lакт + 2l,
где Lcумм - суммарная длина участка деформации;
Lакт - длина участка активной деформации;
l = m(h2+h3) - длина плеча пассивной деформации;
m - 3,5 - уклон подъема бульдозера;
h2, h3 - высота полок контрбанкета.
Основное требование (условие) для качественного проведения восстановительных работ и недопущения развития деформации вглубь (к оси насыпи и противоположному откосу) и по длине заключается в том, что начинать выгрузку дренирующего грунта из думпкаров надо с флангов, а не сразу на "больное" место.
Ведущая машина-бульдозер (максимальный уклон работ m = 3,5).
Последовательность работ:
- выгрузка грунта комплексом думпкары-струг в пассивной части деформации с обоих флангов до тех пор, пока не будет выполнена отсыпка упорного слоя на ширину b вдоль всего участка деформации на высоту 1 м;
- выгрузка грунта комплексом думпкары-струг в пассивной части деформации с обоих флангов и дальнейшее его перемещение и срезание "больного" места;
- послойное (толщиной 0,3-0,4 м) размещение грунта от флангов и срезание "больного" места с уплотнением (количество проходок по одному следу 6-8 раз) до высоты границы перелома поверхности "выгнутая"-"выпуклая";
- нарезка уступов высотой 0,5 м с дальнейшей послойной отсыпкой и уплотнением до отметки основной площадки с учетом уширения последней не менее чем на 1 м.
Сроки восстановительных работ приведены в табл. 1.19.
Технологическая схема оперативного восстановления участка насыпи показана на рис. 1.4.
График организации и производства работ составлен для двух экстремальных случаев в области наиболее вероятных значений объемов земляных работ и протяженности участков деформации для рассматриваемых в технологической карте условий (табл. 1.20).
I вариант.
V = 8960 м3; в том числе V1 = 4960 м3 - фланговый объем; V2 = 4000 м3 - основной объем.
Таблица 1.19.
|
Длина участка деформации, м |
Длина участка перемещения грунта, м |
Объем, м3 |
Трудозатраты, маш-ч |
Время на выполнение земляных работ, ч, при следующем количестве бульдозеров |
||||||||||
|
на 100 м3 |
на объем |
2 |
3 |
4 |
5 |
6 |
7 |
8 |
9 |
10 |
11 |
|||
|
30-80 |
15 |
900 |
0,54 |
4,86 |
2,43 |
|
|
|
|
|
|
|
|
|
|
2940 |
0,54 |
15,88 |
7,98 |
5,29 |
|
|
|
|
|
|
|
|
||
|
3060 |
0,54 |
16,52 |
8,26 |
5,5 |
|
|
|
|
|
|
|
|
||
|
3720 |
0,54 |
20,08 |
10,04 |
6,69 |
|
|
|
|
|
|
|
|
||
|
3840 |
0,54 |
20,74 |
10,36 |
6,9 |
|
|
|
|
|
|
|
|
||
|
40 |
2400 |
1,34 |
32,16 |
16,08 |
10,72 |
8,04 |
6,4 |
|
|
|
|
|
|
|
|
7840 |
1,34 |
105,06 |
52,53 |
35,02 |
26,26 |
21,8 |
18,22 |
15,62 |
13,66 |
12,1 |
10,9 |
|
||
|
9920 |
1,34 |
132,92 |
66,46 |
44,30 |
33,23 |
26,5 |
22,15 |
18,98 |
16,61 |
14,7 |
13,2 |
|
||
|
10240 |
1,34 |
137,22 |
68,61 |
45,74 |
34,30 |
27,4 |
22,87 |
19,6 |
17,15 |
154 |
13,7 |
|
||
|
60-100 |
30 |
1800 |
1,02 |
18,36 |
9,18 |
6,12 |
|
|
|
|
|
|
|
|
|
5880 |
1,02 |
59,97 |
29,98 |
19,99 |
14,99 |
12,0 |
9,9 |
8,5 |
7,49 |
|
|
|
||
|
6120 |
1,02 |
62,42 |
31,21 |
20,8 |
15,6 |
12,48 |
10,4 |
8,9 |
7,3 |
|
|
|
||
|
7440 |
1,02 |
75,88 |
37,94 |
25,29 |
18,97 |
15,17 |
12,64 |
10,8 |
9,48 |
|
|
|
||
|
7680 |
1,02 |
78,34 |
39,17 |
26,11 |
19,58 |
15,67 |
13,05 |
11,2 |
9,79 |
|
|
|
||
|
50 |
3000 |
1,66 |
49,8 |
24,9 |
16,6 |
12,45 |
10,0 |
8,3 |
|
|
|
|
|
|
|
9800 |
1,66 |
162,68 |
81,34 |
5422 |
40,67 |
32,5 |
27,11 |
23,24 |
20,33 |
18,0 |
16,2 |
14,7 |
||
|
10200 |
1,66 |
169,32 |
84,66 |
56,44 |
42,33 |
33,8 |
28,22 |
24,18 |
21,16 |
18,8 |
16,9 |
15,3 |
||
|
12400 |
1,66 |
205,84 |
102,92 |
68,61 |
51,46 |
41,17 |
34,30 |
29,4 |
25,73 |
22,8 |
20,58 |
18,7 |
||
|
12800 |
1,66 |
212,48 |
106,24 |
70,82 |
53,12 |
42,49 |
35,42 |
30,35 |
26,56 |
23,6 |
21,24 |
19,3 |
||
|
70-130 |
35 |
2100 |
1,18 |
24,78 |
12,39 |
8,26 |
6,19 |
|
|
|
|
|
|
|
|
6860 |
1,18 |
80,94 |
40,47 |
26,98 |
20,23 |
16,18 |
13,49 |
|
|
|
|
|
||
|
7140 |
1,18 |
84,34 |
42,17 |
28,11 |
21,08 |
16,87 |
14,05 |
|
|
|
|
|
||
|
8680 |
1,18 |
102,42 |
51,21 |
34,14 |
25,60 |
20,48 |
17,07 |
|
|
|
|
|
||
|
8960 |
1,18 |
105,72 |
52,86 |
35,24 |
26,43 |
21,14 |
17,62 |
|
|
|
|
|
||
|
65 |
3900 |
2,14 |
83,46 |
41,73 |
27,82 |
20,86 |
16,69 |
13,91 |
11,78 |
10,43 |
9,25 |
8,34 |
|
|
|
12740 |
2,14 |
272,64 |
136,32 |
90,88 |
66,16 |
54,52 |
45,44 |
38,94 |
33,08 |
30,2 |
27,2 |
24,8 |
||
|
13260 |
2,14 |
283,76 |
141,88 |
94,58 |
70,94 |
56,73 |
47,29 |
40,53 |
35,47 |
31,5 |
28,3 |
25,8 |
||
|
16120 |
2,14 |
344,96 |
172,48 |
114,95 |
86,24 |
68,99 |
57,47 |
49,28 |
43,12 |
38,3 |
34,4 |
31,36 |
||
|
16640 |
2,14 |
356,09 |
178,04 |
118,69 |
89,02 |
71,21 |
59,34 |
50,87 |
44,51 |
39,5 |
35,6 |
32,37 |
||

Lсумм = 70 м - протяженность участка суммарной деформации (протяженность активной Lакт = 20 м);
l = 35 м - дальность перемещения грунта бульдозером;
высота насыпи - 13 м;
основание прочное;
количество думпкаров - 20 шт. (в вертушке), всего - 280 шт.;
количество бульдозеров - 3 шт.;
суммарное время -51 .
|
№ п/п |
Наименование работ и мероприятий |
Единица измерения |
Объем |
Количество человек |
Машины, механизмы, инструменты |
Время выполнения отдельных операций (начало, продолжительность, окончание операции), ч |
|
|
Тип |
Количество, шт. |
||||||
|
1 |
Подготовительные работы |
|
|
|
|
|
|
|
1.1 |
Вырубка кустарника и мелколесья в зоне работ |
м2 |
600,0 |
6 |
Топор, |
2 |
0-2-2 |
|
|
|
|
|
бензопила "Дружба-2" |
2 |
||
|
1.2 |
Разбивка оси пути и его сдвижка |
|
|
|
|
|
|
|
|
l = 35 м |
м |
70,0 |
20 |
Лом |
20 |
0-1-1 |
|
|
l = 65 м |
м |
130,0 |
20 |
" |
20 |
0-2-2 |
|
1.3 |
Устройство освещения места работ |
Комплект |
1 |
2 |
ОПОУ |
1 |
0-2-2 |
|
1.4 |
Перенос кабеля связи |
м |
250,0 |
4 |
|
|
0--4--4 |
|
1.5 |
Устройство кабельного обхода ЛЭП |
м |
250,0 |
4 |
|
|
0--4--4 |
|
1.6 |
Увеличение пролета контактного провода |
Комплект |
2 |
4 |
|
|
0-2-2 |
|
1.7 |
Устройство пунктов приема пищи |
шт. |
1 |
6 |
Палатка ПБ-20 |
|
0--3-3 |
|
1.8 |
Устройство пунктов обогрева |
шт. |
1 |
6 |
То же |
|
0--3-3 |
|
1.9 |
Перенос водоотводов |
|
|
|
|
|
|
|
|
l = 35 м |
м3 |
45,0 |
1 |
T-170 |
1 |
0 1 1 |
|
|
l = 65 м |
м3 |
80,0 |
1 |
Т-170 |
1 |
0 2 2 |
|
1.10 |
Рыхление грунта |
|
|
|
|
|
|
|
|
l = 35 м |
м3 |
35,0 |
1 |
T-170 |
1 |
0 0,5 0,5 |
|
|
l = 65 м |
м3 |
65,0 |
1 |
Т-170 |
1 |
0 1 1 |
|
2 |
Основные работы |
|
|
|
|
|
|
|
2.1 |
Завоз и выгрузка грунта в сторону деформированного откоса на фланги: |
|
|
|
|
|
|
|
|
l = 35 м |
м3 |
4960,0 |
4 |
ДМ |
155 |
2--24---26 |
|
|
l = 65 м |
м3 |
6640,0 |
4 |
ДМ |
208 |
2-------32-----34 |
|
2.2 |
Перемещение грунта стругом: |
|
|
|
|
|
|
|
|
l = 35 м |
м3 |
4960,0 |
2 |
Струг |
1 |
2--6---12 |
|
|
l = 65 м |
м3 |
6640,0 |
2 |
" |
1 |
2---8---34 |
|
2.3 |
Перемещение грунта бульдозером к середине: |
|
|
|
|
|
1 |
|
|
l = 35 м |
м3 |
4960,0 |
3 |
Т-170 |
3 |
2--20--26 |
|
|
l = 65 м |
м3 |
6640,0 |
6 |
Т-170 |
6 |
2--24---34 |
|
2.4 |
Послойное разравнивание и уплотнение грунта бульдозером: |
|
|
|
|
|
|
|
|
l = 35 м |
м3 |
49,6 |
3 |
Т-170 |
3 |
2--20---26 |
|
|
l = 65 м |
м3 |
66,4 |
6 |
Т-170 |
6 |
2---24---34 |
|
2.5 |
Обрушение, перемещение сплывшей массы с нарезкой уступов высотой 0,5 м: |
|
|
|
|
|
|
|
|
l = 35 м |
м3 |
240 |
1 |
Т-170 |
1 |
2------2------45 |
|
|
l = 65 м |
м3 |
380 |
1 |
T-170 |
1 |
2-------3-------82 |
|
2.6 |
Завоз и выгрузка дренирующего грунта для восстановления откоса: |
|
|
|
|
|
|
|
|
1 = 35 м |
м3 |
4000,0 |
4 |
ДМ |
125 |
26---19--45 |
|
|
l = 65 м |
м3 |
10000,0 |
4 |
ДМ |
312 |
34----48---82 |
|
2.7 |
Перемещение грунта к середине: |
|
|
|
|
|
|
|
|
l = 35 м |
м3 |
4000,0 |
3 |
Т-170 |
3 |
26--16--45 |
|
|
l = 65 м |
м3 |
10000,0 |
6 |
Т-170 |
6 |
34-----36----82 |
|
2.8 |
Послойное разравнивание и уплотнение грунта бульдозером: |
|
|
|
|
|
|
|
|
l = 35 м |
100 м3 |
40,0 |
3 |
Т-170 |
3 |
26--16--45 |
|
|
l = 65 м |
100 м3 |
100,0 |
6 |
Т-170 |
6 |
34----36----82 |
|
2.9 |
Планировка основной площадки стругом: |
|
|
|
|
|
|
|
|
l = 35 м |
м2 |
600 |
2 |
Струг |
1 |
45 1 46 |
|
|
l = 65 м |
м2 |
800 |
2 |
" |
1 |
82 1 83 |
|
3 |
Заключительные работы |
|
|
|
|
|
|
|
3.1 |
Обратная передвижка пути: |
|
|
|
|
|
|
|
|
l = 35 м |
м |
70 |
20 |
Лом |
20 |
46-2-47 |
|
|
l = 65 м |
м |
130 |
20 |
" |
20 |
83-2-85 |
|
3.2 |
Выгрузка балласта из хоппер-дозаторов: |
|
|
|
|
|
|
|
|
l = 35 м |
м3 |
240 |
2 |
Х/д |
7 |
48 1 49 |
|
|
l = 65м |
м3 |
360 |
2 |
" |
10 |
85 1 86 |
|
3.3 |
Выправка пути в плане и профиле: |
|
|
|
|
|
|
|
|
l = 35 м |
м |
|
3 |
ВПР |
1 |
49 1 50 |
|
|
l = 65 м |
м |
|
3 |
ВПР |
1 |
86 1 87 |
Таблица 1.21.
|
Ведущая машина |
Бульдозер на базе Т-170 |
||||||
|
Дальность перемещения, м3/ч |
15 |
30 |
35 |
40 |
50 |
60 |
65 |
|
Производительность, м3/ч |
185,2 |
98,00 |
84,75 |
74,62 |
60,20 |
50,50 |
46,72 |
II вариант.
V = 16640 м3; в том числе V1 = 6640 м3 - фланговый объем; V2 = 10000 м3 - основной объем.
Lсумм = 130 м - протяженность участка суммарной деформации (протяженность активной Lакт = 70 м);
l = 65 м - дальность перемещения грунта бульдозером;
высота насыпи - 13 м;
основание прочное;
количество думпкаров - 20 шт. (в вертушке), всего - 520 шт.;
количество бульдозеров - 6 шт.;
суммарное время - 88 ч.
Технико-экономические показатели, материально-технические ресурсы и карта операционного контроля качества представлены в табл. 1.21 - 1.23.
Таблица 1.22.
|
№ п/п |
Наименование |
Количество |
|
1 |
Топор |
6 |
|
2 |
Бензопила |
2 |
|
3 |
Теодолит |
1 |
|
4 |
Вешки |
4 |
|
5 |
Измерительная лента |
1 |
|
6 |
Шаблон путевой |
1 |
|
7 |
Лом лапчатый |
30 |
|
8 |
Передвижная электростанция |
2 |
|
9 |
Палатка ПБ-20 |
2 |
|
10 |
Прожектор |
2 |
|
11 |
Думпкар (число в вертушке) |
20 |
|
12 |
Локомотив |
1 |
|
13 |
Бульдозер на базе трактора Т-170 |
3/6 |
|
14 |
Струг |
1 |
|
15 |
Машина ВПР |
1 |
|
16 |
Хоппер-дозатор |
10 |
Таблица 1.23.
|
№п/п |
Показатель |
Значение показателя |
|
1 |
Уширение основной площадки насыпи со стороны деформированного откоса |
1 м |
|
2 |
Крутизна восстановленной части откоса по всей длине |
1:2 |
|
3 |
Высота уступа |
Не менее 0,5 м |
|
4 |
Толщина отсыпаемого слоя |
Не более 0,4 м |
|
5 |
Толщина слоя уплотнения |
Не более 0,4 м |
|
6 |
Ширина упорной полки понизу |
4,0 м |
|
7 |
Высота упорной полки |
1,0 м |
Область применения. Участок насыпи высотой более 12 м на прочном основании имеет деформацию откоса и основной площадки. В связи с этим невозможно применение чисто поездной возки из-за разрушения основной площадки и поэтому применяется комбинированная схема "поездная возка - плавающий карьер - экскаватор".
Технология и организация работ. Технология и организация работ принимается на основании характеристики участка, характера и объемов обрушений, карточки ПУ-9, опросов местных путейцев, состояния прилегающих к нижнему заложению грунтов и в границах полосы отвода, а также принятой для производства работ ведущей машины.
Подготовительные работы:
организация связи между местом деформации, карьером и поездным диспетчером;
вырубка кустарника и мелколесья на откосах насыпи по всей длине участка суммарной деформации, по всей ширине контрбанкета, а также по всей длине и ширине землевозной дороги от "плавающего карьера" до участка деформации;
разборка рельсошпальной решетки;
перенос кабеля связи при его наличии на участке деформации;
устройство кабельного обхода ЛЭП;
увеличение пролета контактного провода (на электрифицированных магистралях);
устройство освещения места работ;
устройство пунктов приема пищи и пунктов обогрева (в зимнее время года) вне зоны производства работ; 50
отыскание местоположения "плавающего карьера";
сосредоточение техники для выполнения основных работ;
перенос водоотвода (укладка трубы диаметром 0,5 м) в месте подъезда автосамосвалов к началу отсыпки;
рыхление грунта в зоне полосы отвода от подошвы нижнего заложения деформированной части насыпи на ширину контрбанкета (с учетом косогорности).
Основные работы. Основное требование (условие) для качественного проведения восстановительных работ и недопущения развития деформации по длине заключается в том, что работы надо начинать с фланга ближайшего к "плавающему карьеру" с постепенным продвижением к "активной зоне" и на следующий фланг (последовательный метод работ).
Ведущая машина - экскаватор с вместимостью 0,65-1,0 м3.
Транспортные средства - автосамосвалы грузоподъемностью соответственно 5-7 т и 7-12 т.
Бульдозер на базе трактора Т-170 выполняет перемещение грунта на участке деформации.
Суточная производительность определяется на основании производительности экскаватора.
Последовательность работ:
выгрузка дренирующего грунта из думпкаров в "плавающий карьер";
погрузка грунта экскаватором прямая лопата в транспортное средство;
транспортировка грунта автосамосвалом к месту деформации;
выгрузка из автосамосвалов (при отсыпке до высоты второй полки контрбанкета автосамосвалы разворачиваются прямо на отсыпанном участке);
перемещение грунта бульдозером;
послойное разравнивание (0,3-0,4 м);
послойное уплотнение автосамосвалом (0,3-0,4 м);
нарезка уступов;
окончание отсыпки;
укладка пути раздельным способом;
балластировка и выправка пути.
Сроки восстановительных работ приведены в табл. 1.24.
Технологическая схема оперативного восстановления участка насыпи показана на рис. 1.5.
График организации и производства работ составлен для экстремального случая в области наиболее вероятных значений объемов земляных работ при невозможности отсыпки деформированного участка насыпи думпкарами из-за повреждения основной площадки с использованием экскаваторного комплекса и думпкаров (табл. 1.25).
Таблица 1.24.
|
Длина участка деформации, м |
Расстояние перемещения, м |
Объем, м3 |
Трудозатраты, маш-ч |
Время на выполнение земляных работ, ч, при следующем количестве экскаваторов, автосамосвалов (а/с) и бульдозеров (б) |
||||||||||||||||
|
на 100 м3 |
на объем |
Экскаватор с q = 0,65 м3 (а/с Р = 5+7 т) |
Экскаватор q = 1,0 м3 (а/с Р = 7+12 т) |
|||||||||||||||||
|
при q = 0,65 м3 (числитель) и q = 1,0 м3 (знаменатель) |
1 |
2 |
3 |
4 |
1 |
2 |
3 |
4 |
||||||||||||
|
а/с |
б |
а/с |
б |
а/с |
б |
а/с |
б |
а/с |
б |
а/с |
б |
а/с |
б |
а/с |
б |
|||||
|
5 |
3 |
8 |
3 |
14, |
4 |
18 |
4 |
7 |
4 |
12 |
4 |
18 |
6 |
26 |
6 |
|||||
|
70 |
300 |
2100 |
1,9 1,4 |
39,9 29,9 |
39,9 |
19,9 |
13,3 |
9,9 |
29,4 |
14,7 |
9,8 |
7,35 |
||||||||
|
6860 |
1,9 1,4 |
130,34 96,04 |
130,9 |
65,17 |
43,44 |
32,58 |
96,04 |
48,01 |
32,01 |
24,0 |
||||||||||
|
7140 |
1,9 1,4 |
135,66 99,9 |
135,66 |
62,83 |
45,22 |
31,41 |
99,9 |
49,9 |
33,3 |
24,95 |
||||||||||
|
8680 |
1,9 1,4 |
168,92 121,52 |
168,92 |
84,46 |
56,3 |
42,23 |
121,52 |
60,76 |
40,5 |
30,38 |
||||||||||
|
8960 |
1,9 1,4 |
170,24 125,44 |
170,24 |
85,12 |
56,74 |
42,56 |
125,44 |
62,72 |
41,81 |
31,36 |
||||||||||
|
130 |
500 |
3900 |
1,9 1,4 |
74,1 54,6 |
74,1 |
37,05 |
24,7 |
18,52 |
54,6 |
27,3 |
18,2 |
14,65 |
||||||||
|
12740 |
1,9 1,4 |
242,06 178,36 |
242,06 |
121,03 |
80,86 |
60,15 |
178,36 |
89,18 |
59,45 |
44,59 |
||||||||||
|
13260 |
1,9 1,4 |
251,94 185,64 |
251,94 |
125,97 |
83,98 |
62,98 |
185,64 |
92,82 |
61,88 |
46,41 |
||||||||||
|
16120 |
1,9 1,4 |
306,2 225,68 |
306,2 |
153,1 |
102,0 |
76,55 |
225,68 |
112,84 |
75,22 |
56,42 |
||||||||||
|
16640 |
1,9 1,4 |
316,6 232,96 |
316,6 |
158,08 |
105,5 |
79,04 |
232,96 |
116,48 |
77,65 |
58,24 |
||||||||||

Таблица 1.25.
|
№ п/п |
Наименование работ и мероприятий |
Единица измерения |
Объем |
Количество человек |
Машины, механизмы, инструменты |
Время выполнения отдельных операций (начало, продолжительность, окончание операции), ч |
|
|
Тип |
Количество, шт. |
||||||
|
1 |
Подготовительные работы |
|
|
|
|
|
|
|
1.1 |
Вырубка кустарника и мелколесья |
м2 |
2200,0 |
12 |
бензопила |
2 |
0-3-3 |
|
|
|
|
|
Топор |
6 |
||
|
1.2 |
Разбивка рельсошпальной решетки |
м |
150,0 |
20 |
Лапчатые ломы |
|
0---6---6 |
|
1.3 |
Перенос кабеля связи |
м |
200,0 |
4 |
|
|
0--3-3 |
|
1.4 |
Устройство кабельного обхода ЛЭП |
м |
300,0 |
4 |
|
|
0--6---6 |
|
1.5 |
Увеличение пролета контактного провода |
Комплект |
1 |
2 |
|
|
0-3--3 |
|
1.6 |
Устройство освещения места работ (место отсыпки и карьер) |
" |
2 |
2 |
ОПОУ |
2 |
0-3--3 |
|
1.7 |
Устройство пунктов приема пищи |
шт. |
2 |
6 |
ПБ-20 |
|
0--4--4 |
|
1.8 |
Устройство пунктов обогрева |
шт. |
1 |
6 |
ПБ-20 |
|
0--3-3 |
|
1.9 |
Перенос водоотводов и укладка трубы в месте переезда (Ø 50 см) |
100 м3 |
80,0 |
1 |
Т-170 |
1 |
0 2 2 |
|
шт. |
1 |
4 |
Кран 8Т-210 |
|
0 2 2 |
||
|
1.10 |
Рыхление грунта |
|
|
|
|
|
|
|
|
l = 130 м |
100 м3 |
65,0 |
1 |
T-170 |
1 |
0-2-2 |
|
2 |
Основные работы |
|
|
|
|
|
|
|
2.1 |
Завоз и выгрузка грунта в "плавающий карьер" |
100 м3 |
166,40 |
4 |
ДМ |
500 |
0------80------80 |
|
2.2 |
Погрузка грунта экскаватором прямая лопата q = 1,0 м3 в автосамосвалы и транспортировка до 1 км |
100 м3 |
166,40 |
3 18 |
Экскаватор ЭО-4121 Автосамосвалы |
3 18 |
2---78--80 |
|
2.3 |
Перемещение грунта до (65 м) бульдозером |
100 м3 |
166,40 |
6 |
Т-170 |
6 |
2---60--80 |
|
2.4 |
Послойное разравнивание грунта бульдозером уплотнение за 6 проходов по одному следу при толщине слоя 0,4 м |
100 м3 |
166,40 |
6 |
Т-170 |
6 |
2---60--80 |
|
2.5 |
Обрушение, сплывшей массы перемещение и разравнивание |
100 м3 |
1,84 |
1 |
Т-170 |
|
2---10--80 |
|
3 |
Заключительные работы |
|
|
|
|
|
|
|
3.1 |
Укладка пути раздельным способом |
км |
0,150 |
32 |
|
|
80--3-83 |
|
3.2 |
Выгрузка балласта из хоппер-дозаторов: |
м3 |
1750 |
2 |
Х/д |
20 |
83 1 84 |
|
3.3 |
Выправка пути в плане и профиле: |
м |
150 |
3 |
ВПР |
1 |
84 1 85 |
Таблица 1.26.
|
Ведущая машина |
Экскаватор ЭО-4121 |
|
|
Емкость ковша, м3 |
0,65 |
1,0 |
|
Производительность, м3/ч |
52,6 |
71,4 |
V = 16640 м3; Lсумм = 130 м; Lакт = 70 м;
дальность транспортировки грунта автосамосвалами - 500 м;
количество экскаваторов ЭО-4121 с емкостью ковша 1,0 м - 3 шт.;
количество автосамосвалов - 18 шт.;
количество бульдозеров - 6 шт.;
суммарное время восстановительных работ - 87 ч.
Технико-экономические показатели, материально-технические ресурсы и карта операционного контроля качества представлены в табл. 1.26-1.28.
Таблица 1.27.
|
№ п/п |
Наименование |
Количество |
|
1 |
Топор |
6 |
|
2 |
Бензопила |
2 |
|
3 |
Теодолит |
1 |
|
4 |
Вешки |
4 |
|
5 |
Измерительная лента |
1 |
|
6 |
Шаблон путевой |
1 |
|
7 |
Лом лапчатый |
30 |
|
8 |
Передвижная электростанция |
2 |
|
9 |
Палатка ПБ-20 |
2 |
|
10 |
Прожектор |
2 |
|
11 |
Думпкар (число в вертушке) |
20 |
|
12 |
Локомотив |
1 |
|
13 |
Экскаватор ЭО-4121 |
3 |
|
14 |
Автосамосвалы |
18 |
|
15 |
Бульдозер на базе трактора Т-170 |
6 |
|
16 |
Струг |
1 |
|
17 |
Машина ВПР |
1 |
|
18 |
Хоппер-дозатор (число в вертушке) |
20 |
|
19 |
Кран 8Т-210 |
1 |
Таблица 1.28.
|
№ п/п |
Показатель |
Значение показателя |
|
1 |
Уширение основной площадки насыпи со стороны деформированного откоса |
1 м |
|
2 |
Крутизна восстановленной части откоса по всей длине |
1:2 |
|
3 |
Высота уступа |
Не менее 0,5 м |
|
4 |
Толщина отсыпаемого слоя |
Не более 0,4 м |
|
5 |
Толщина слоя уплотнения |
Не более 0,4 м |
|
6 |
Ширина упорной полки понизу |
4,0 м |
|
7 |
Высота упорной полки |
1,0 м |
Область применения. Участок насыпи с водопропускной трубой восстанавливается с удлинением трубы. Основание насыпи прочное.
Технология и организация работ. Технология и организация работ принимается на основании характеристики участка, характера и объемов разрушений, состояния грунтов основания, отверстия трубы (сечение, диаметр), материала трубы.
Подготовительные работы:
организация связи места работ с поездным диспетчером;
вырубка кустарника и мелколесья на откосе насыпи, в полосе oi-вода на длину полной деформации и на ширину бермы или контрбанкета по их нижнему заложению. В первую очередь производимся эти работы в районе трубы;
перенос кабеля связи при его наличии в зоне деформации;
устройство кабельного обхода НЭП;
увеличение пролета контактного провода;
разбивка оси рихтовки пути в пределах полной длины деформации откоса;
расчистка отверстия трубы от оплывшего грунта;
устройство освещения места работ для их производства в темное время суток;
устройство пунктов приема пищи;
устройство пунктов обогрева (в зимнее время года);
сосредоточение техники для выполнения основных работ;
рыхление грунта в зоне полосы отвода от подошвы нижнего заложения откоса до границы нижнего заложения бермы или контрбанкета с учетом подъездов и строительной площадки в районе удлинения трубы;
перенос водоотводов;
подвоз элементов и материалов трубы для ее удлинения.
Основные работы. Основное требование (условие) для качественного проведения восстановительных работ и недопущения развития деформации по длине и противоположному краю основной площадки заключается в том, что начинать выгрузку дренирующего грунта из думпкаров надо с флангов, а не сразу на "больное" место.
Последовательность работ:
выгрузка грунта комплексом думпкары-струг в пассивной части деформации с обоих флангов;
планировка строительной площадки по удлинению трубы бульдозером;
рытье котлована бульдозером;
доработка котлована вручную;
устройство гравийно-песчаного основания под трубу;
устройство противофильтрационных экранов;
монтаж трубы;
бетонирование места стыковки;
нанесение грунтовки и битумной мастики;
послойная засыпка трубы грунтом;
выгрузка грунта из думпкаров в пассивной части с перемещением к середине по всей ширине;
нарезка уступов;
отсыпка по полному профилю;
укрепление откоса камнем в районе трубы.
В качестве землеройной машины вместо бульдозера может использоваться экскаватор. Для определения количества бульдозеров (экскаваторов) и времени выполнения земляных работ можно воспользоваться" табл. 1.29.
При этом необходимо учесть, что бульдозер (экскаватор) занятый на работах по удлинению трубы, входит в это число.
Работы по удлинению трубы должны быть выполнены на первом этапе восстановительных работ, когда к выгрузке грунта на "больное" место в зоне активной деформации еще не приступают.
При устройстве основания необходимо учесть следующие основные требования:
подушку из песчано-гравийной смеси устраивают в сухом котловане, во избежание просадок и, как следствие, деформации трубы;
противофильтрационные экраны из глинощебня и цементогрунта устраивают одновременно с подушкой;
бетонирование выполняется по всей окружности на глубину до 0,5 м;
труба удлинения вставляется в капитальную трубу на 0,5-1,0 м.
Технологическая схема восстановления показана на рис. 1.6-1.8.
Таблица 1.29.
|
Длина участка формации, м |
Высота насыпи, м |
Длина участка перемещения грунта, м |
Основание |
Величина удлинения трубы, м |
Объем, м3 |
Время на выполнение земляных работ, ч, при следующем количестве бульдозеров |
||||
|
2 |
3 |
4 |
5 |
6 |
||||||
|
30-80 |
До 6,0 |
15 |
Прочное |
До 13,5 |
480 |
1,29 |
|
|
|
|
|
720 |
1,94 |
|
|
|
|
|||||
|
140 |
3,07 |
|
|
|
|
|||||
|
1200 |
3,24 |
|
|
|
|
|||||
|
Слабое |
До 40,0 |
1500 |
4,05 |
|
|
|
|
|||
|
1680 |
4,53 |
|
|
|
|
|||||
|
2280 |
6,15 |
|
|
|
|
|||||
|
2400 |
6,48 |
|
|
|
|
|||||
|
40 |
Прочное |
До 13,5 |
1280 |
|
|
4,28 |
|
|
||
|
1920 |
|
|
6,43 |
|
|
|||||
|
3040 |
|
|
10,18 |
|
|
|||||
|
3200 |
|
|
10,72 |
|
|
|||||
|
Слабое |
До 40,0 |
4000 |
|
|
13,4 |
|
|
|||
|
4480 |
|
|
15,0 |
|
|
|||||
|
6080 |
|
|
20,7 |
|
|
|||||
|
6400 |
|
|
24,44 |
|
|
|||||
|
60-100 |
6,0-12,0 |
30 |
Прочное |
До 20,0 м при однополочном и до 26,0 м при двухполочном контрбанкете |
3180 |
|
10,81 |
|
|
|
|
3720 |
|
12,64 |
|
|
|
|||||
|
5520 |
|
18,76 |
|
|
|
|||||
|
50 |
5300 |
|
|
|
17,59 |
|
||||
|
6200 |
|
|
|
20,58 |
|
|||||
|
9200 |
|
|
|
30,54 |
|
|||||
|
70-130 |
Более 12,0 |
35 |
Прочное |
2100 |
|
8,26 |
|
|
|
|
|
6860 |
|
26,98 |
|
|
|
|||||
|
7140 |
|
28,11 |
|
|
|
|||||
|
8680 |
|
34,14 |
|
|
|
|||||
|
8960 |
|
35,25 |
|
|
|
|||||
|
65 |
Более 40,0 |
3900 |
|
|
|
|
13,91 |
|||
|
12740 |
|
|
|
|
45,44 |
|||||
|
13260 |
|
|
|
|
47,44 |
|||||
|
16120 |
|
|
|
|
57,47 |
|||||
|
16640 |
|
|
|
|
59,34 |
|||||


График организации и производства работ составлен для следующих условий (табл. 1.30):
объем работ 3180 м3;
высота насыпи 7 м;
высота полки контрбанкета 4 м;
однополочный контрбанкет;
ширина полки контрбанкета 4 м;
основание насыпи прочное;
протяженность суммарной деформации - 60 м;
протяженность активной деформации - 10 м;
удлинение трубы - 20 м;
количество думпкаров - 20 шт. (в вертушке), всего - 99 шт.;
количество бульдозеров всего - 4 шт., в том числе один на работах по трубе;
кран 8Т-210 - 1 шт.
Суммарное время - 23 ч.
Технико-экономические показатели, материально-технические ресурсы и карта операционного контроля качества представлены в табл. 1.31-1.33.

Таблица 1.30.
|
№ п/п |
Наименование работ и мероприятий |
Единица измерения |
Объем |
Количество человек |
Машины, механизмы, инструменты |
Время выполнения отдельных операций (начало, продолжительность, окончание операции), ч |
|
|
Тип |
Количество, шт. |
||||||
|
1 |
Подготовительные работы |
|
|
|
|
|
0--4--4 |
|
2 |
Основные работы |
|
|
|
|
|
|
|
2.1 |
Завоз и выгрузка грунта в сторону деформированного откоса на фланги с последующим перемещением к середине, разравниванием и уплотнением бульдозером |
м3 100 м3 |
2000,0 20,0 |
4 3 |
ДМ Т-170 |
63 3 |
2-----10-----12 |
|
2.2 |
Удлинение трубы на 20 м: |
|
|
|
|
|
|
|
|
расчистка от завала |
м2 |
50,0 |
20 |
Топор Лопата |
6 20 |
0--4-4 |
|
|
планировка площадки бульдозером |
1000 м2 |
0,125 |
1 |
Т-170 |
1 |
0 0,5 0,5 |
|
|
рытье котлована бульдозером и доработка его вручную |
100 м3 |
0,650 |
1 |
Т-170 |
1 |
0 1 1 |
|
|
устройство гравийно-песчаной подушки толщиной 0,3 м |
100 м2 |
1.25 |
8 |
|
|
2-3--5 |
|
|
устройство противофильтрационных экранов |
м3 |
1 |
2 |
|
|
2 1 3 |
|
|
монтаж трубы краном |
шт. |
1 |
6 |
Кран 8Т-210 |
1 |
3--4--7 |
|
|
бетонирование места стыковки и |
шт. |
1 |
6 |
|
|
7-3--10 |
|
|
гидроизоляция |
|
|
|
|
|
|
|
2.3 |
Завоз и выгрузка грунта с последующим перемещением бульдозером, послойной засыпкой трубы, разравниванием и уплотнением |
м3 |
1180,0 |
4 3 1 |
ДМ Т-170 Т-170 |
36 3 1 |
10-6-16 |
|
3 |
Заключительные работы, в том числе |
|
|
|
|
|
16---6---23 |
|
|
мощение откоса |
|
|
|
|
|
16-3--19 |
Таблица 1.31.
|
№ п/п |
Показатель |
Единица измерения |
Значение показателя при высоте насыпи (над трубой удлинения), м |
|||||
|
2,0 |
2,5 |
3,0 |
4,0 |
6,0 |
7,0 |
|||
|
1 |
Отверстие трубы |
м |
1,5 |
1,5 |
1,5 |
1,5 |
1,5 |
1,5 |
|
2 |
Длина трубы удлинения |
м |
8,0 |
9,0 |
10,0 |
12,0 |
30,0 |
40,0 |
|
3 |
Трудоемкость |
чел.-ч |
48 |
54 |
60 |
72 |
180 |
240 |
Таблица 1.32.
|
№ п/п |
Наименование |
Количество |
|
1 |
Бульдозер на базе трактора Т-170 |
4 |
|
2 |
Геодезический инструмент: |
|
|
|
нивелир |
1 |
|
|
теодолит |
1 |
|
|
мерная лента |
1 |
|
|
рейка |
1 |
|
3 |
Лапчатый лом |
20 |
|
4 |
Палатка ПБ-20 |
3 |
|
5 |
Бензопила "Дружба-2" |
3 |
|
6 |
Топор |
6 |
|
7 |
Лопата |
20 |
|
8 |
Думпкары |
20 |
|
9 |
Струг |
1 |
|
10 |
Кабель для ЛЭП |
250 м |
|
11 |
Кабель для связи |
300 м |
|
12 |
Цемент |
200 кг |
|
13 |
Металлическая круглая труба диаметром 1,5 м |
8-40 м |
|
14 |
Кран 8Т-210 |
1 |
Таблица 1.33.
|
№ п/п |
Показатель |
Значение показателя |
|
1 |
Уширение основной площадки насыпи со стороны деформированного откоса |
1 м |
|
2 |
Крутизна восстановленной части откоса и контрбанкета |
1:2 |
|
3 |
Высота уступа |
Не менее 0,5 м |
|
4 |
Толщина отсыпаемого слоя |
0,4 м |
|
5 |
Толщина подушки |
Не менее 0,3 м |
|
6 |
Толщина слоя засыпки трубы |
Не более 4, 0 м |
|
7 |
Качество защитного покрытия |
Сплошное, целостное, с отсутствием пузырей |
Технические решения по оперативному восстановлению насыпей, подверженных смыву их верхних частей, приведены в табл. 2.1.
Технические решения даны в схемах, применимых для насыпей всех высот до высоты Н ≤ 8 м. Высота полки дана в долях от высоты Н. Супесями и суглинками считаются все разновидности грунтов, относящихся к соответствующей номенклатуре (см. приложение).
Технические решения для насыпей высотой более 8 м, у которых из-за размывов откосов происходят их смещения, даны в табл. 2.2. Номенклатура грунтов принимается в соответствии с приложением.
Таблица 2.1.
|
№ варианта |
Высота насыпи, Н, м |
Тип основания |
Схема технического решения |
Примечания |
|
1 |
До 6 |
Прочное |
|
Слой 1 - пески средней крупности, крупные, гравелистые; щебень; камень; шпальные клетки, засыпаемые дренирующим грунтом. Слой 2 - то же, что и слой 1, кроме шпальных клеток. Слой 3 - супеси, суглинки |
|
2 |
6-8 |
Прочное |
|
Слои 1-3 - то же, что в 1-м варианте |
Таблица 2.2.
|
№ варианта |
Тип основания |
Схема технического решения |
Примечания |
|
1 |
Прочное |
|
При Н ≤ 18 м b1 = b2 = 4 м. При H ≥ 18 м b1 – b2 = 8 м. Слой 1 - песок средней крупности, крупный, гравелистый; щебень; камень. Слой 2 - супесь, суглинок |
|
№ варианта |
Высота насыпи Н, м |
Тип основания |
Схема технического решения |
Примечания |
|
1 |
До 3 |
Прочное |
|
Слой 7 - пески средней крупности, крупные, гравелистые; щебень; камень; шпальные клетки. Слой 2 - камень, кроме того, могут использоваться цилиндрические и коробчатые габионы. Слой 3 - супеси, суглинок |
|
2 |
3-7 |
Прочное |
|
Слой 1-3 - то же, что в 1-м варианте |
Технические решения для насыпей высотой 3-7 м, у которых из-за подмыва нижней части откосов происходят смещения, даны в табл. 2.3 (в схемах) в зависимости от высоты насыпи. В зоне подмыва откоса насыпи производится срезка грунта и укрепление нижней части насыпи присыпкой из крупнообломочного камня с врезкой в ядро насыпи. Целесообразно использовать для этого габионные цилиндрические или коробчатые конструкции.
Верхняя часть насыпи усиливается путем уширения основной площадки на 1,0 м в каждую сторону и уположение откосов до 1:2 дренирующим грунтом. Номенклатура грунтов принимается в соответствии с приложением.
Технические решения для этих случаев не требуют специального обоснования. Можно рекомендовать замену размытого балластного слоя с предварительным удалением водонасыщенной массы грунта и устройство в боковых зонах рисберм из камня для обеспечения большей устойчивости балластного слоя и лучшей фильтрации атмосферной и накопившейся на основной площадке воды (рис. 2.1). Также требуется расчистка, ремонт и приведение в порядок всех водоотводных устройств.

В зависимости от характеристик участка размыва земляного полотна (высота насыпи, длина участка) оперативное восстановление может производиться по техническим нормам временного или краткосрочного восстановления.
В первом случае ликвидация размыва производится путем:
восстановления насыпи на старой оси в прежнем уровне;
устройства обхода, чаще всего в пониженном уровне.
Во втором случае размыв ликвидируется путем устройства:
шпальных клеток (для заделки небольших брешей и при низких насыпях до 3 м);
восстановлением насыпи на старой оси в пониженном уровне.
К подготовительным работам относятся:
оценка характера размыва насыпи;
определение конструкции восстанавливаемого участка исходя из высоты насыпи и характера размыва;
определение объемов земляных работ;
перенос кабеля связи;
увеличение контактного провода;
решение организационных вопросов (обустройство временного жилья рабочих, занятых на восстановлении, подвоз необходимых материалов (шпалы, камень, железобетон и т.д.), освещение места работ; организация оперативной связи руководителя работ со всеми подразделениями, занятыми на восстановлении; организация питания; разработка схем движения транспорта);
очистка места размыва от обломков верхнего строения пути;
удаление разжиженного грунта;
разбивочные работы.
В состав основных работ входят:
транспортировка грунта (песок, щебень, крупный камень, скальный грунт) к восстанавливаемому участку;
выгрузка грунта на подходах к восстанавливаемому участку;
перемещение грунта бульдозерами к месту размыва;
выкладка шпальной клетки; засыпка шпальной клетки (в случае краткосрочного восстановления);
укладка пути;
завоз балласта и балластировка пути.
Согласно данных анализа размывов насыпей и разделения их на подгруппы исходят из характеристики высот и видов размыва, а также принятых технических решений по оперативному восстановлению земляного полотна, подверженного размыву. Предлагаются к рассмотрению и использованию следующие технологические схемы оперативного восстановления (табл. 2.4).
После рассмотрения этих схем видно, что некоторые из них можно объединить по технологии и организации восстановительных работ в подгруппы:
1) схемы №1,7; схема № 1 относится к случаю размыва насыпи из-за дождей, а схема № 7 - из-за прорыва плотины; различие в организации работ по этим схемам состоит лишь в том, что по схеме № 1 необходимо предусмотреть уборку разжиженного грунта бульдозерами-болотниками перед началом сооружения насыпи, что не надо делать по схеме № 7, так как обычно при прорыве плотины разжиженный грунт уносится потоком воды;
2) схемы № 2, 3, 8, 9; отличие схем № 2, 3 от схем № 8, 9 аналогично отличию схемы № 1 от схемы № 7;
3) схемы № 4, 10; их различие аналогично различию в схемах № 1, 7;
4) схемы № 5, 6, 11, 12; отличие схем № 5, 6 от схем № 11, 12 аналогично отличию схемы № 1 от схемы № 7;
5) схемы № 13, 14, 15;
6) схемы № 16, 17, 18;
7) схемы № 19, 20, 21;
8) схема № 22.
Следует отметить, что в схемах № 1, 7, 10 как один из вариантов восстановления может быть использована шпальная клетка при небольшой длине участка размыва - 50 м.
Итак, для оперативного восстановления насыпи после размыва предлагается шесть технологических карт ликвидации размыва (с учетом количества путей на участке).
|
Показатель |
Значение показателя в зависимости от причины и вида размыва |
|||||
|
Дожди, прорыв плотины (3 м < Н < 8 м) |
||||||
|
Смыв верхней части насыпи |
Смыв насыпи до основания |
|||||
|
Высота насыпи, Н, м |
3,0 |
5,0 |
8,0 |
3,0 |
5,0 |
8,0 |
|
Длина восстанавливаемого участка L, м |
50 |
50 |
50 |
50 |
50 |
50 |
|
75 |
75 |
75 |
75 |
75 |
75 |
|
|
100 |
100 |
100 |
100 |
100 |
100 |
|
|
Высота расположения полки контрбанкета (от основной площадки), м |
|
2,5 |
4,0 |
|
2,5 |
4,0 |
|
Ширина полки контрбанкета, м |
- |
4,0 |
4,0 |
- |
4,0 |
4,0 |
|
Величина уширения основной площадки, м |
1,0 |
1,0 |
1,0 |
1,0 |
1,0 |
1,0 |
|
Крутизна восстанавливаемого откоса т |
2 |
2 |
2 |
2 |
2 |
2 |
|
Объем размытого грунта при (двухпутном) участке |
1,2 (2,2) |
2,6 (3,1) |
4,8 (5,6) |
2,1 (2,7) |
5,0 (6,0) |
10,4 (12,0) |
|
1,8 (3,3) |
3,9 (4,6) |
7,2 (8,4) |
3,1 (4,05) |
7,5 (9,0) |
15,6 (18,0) |
|
|
2,4 (4,4) |
5,2 (6,2) |
9,6 (11,2) |
4,2 (5,4) |
10,0 (12,0) |
20,8 (24,0) |
|
|
Вид восстановления |
кр |
вр |
вр |
кр |
вр |
вр |
|
Номер схемы |
1;7 |
2; 8 |
3;9 |
4; 10 |
5; 11 |
6; 12 |
|
Технологическая карта |
7 |
7; 8 |
8 |
7; 8 |
8 |
8 |
Продолжение таблицы 2.4
|
Показатель |
Дожди (8 м < Н < 18 м) |
Паводки (3 м < Н < 7 м) |
Паводки, дожди (Н ≤ 0,5 м) |
|||||||
|
Размыв обоих откосов |
Подмыв нижней части откоса |
Переливы через пути на раздельных пунктах, в нулевых местах |
||||||||
|
Высота насыпи, Н, м |
8,0 |
12,0 |
18,0 |
8,0 |
12,0 |
18,0 |
3,0 |
5,0 |
7,0 |
0,5 |
|
Длина восстанавливаемого участка L, м |
50 |
50 |
50 |
50 |
50 |
50 |
50 |
50 |
50 |
50 |
|
75 |
75 |
75 |
75 |
75 |
75 |
75 |
75 |
75 |
75 |
|
|
100 |
100 |
100 |
100 |
100 |
100 |
100 |
100 |
100 |
100 |
|
|
Высота расположения полки контрбанкета (от основной площадки), м |
1,6 |
2,4 |
3,6 |
1,6 |
2,4 |
3,6 |
- |
2,5 |
3,5 |
- |
|
4,8 |
7,2 |
10,8 |
4,8 |
7,2 |
10,8 |
|
|
|
|
|
|
Ширина полки контрбанкета, м |
4,0 |
4,0 |
4,0 |
4,0 |
4,0 |
4,0 |
- |
4,0 |
4,0 |
2,0 |
|
Величина уширения основной площадки, м |
1,0 |
1,0 |
1,0 |
1,0 |
1,0 |
1,0 |
1,0 |
1,0 |
1.0 |
1,5 |
|
Крутизна восстанавливаемого откоса т |
2 |
2 |
2 |
2 |
2 |
2 |
2 |
2 |
2 |
2 |
|
Объем размытого грунта при (двухпутном) участке |
5,4 |
9,6 |
12,2 |
2,7 |
4,8 |
6,1 |
0,3 |
0,8 |
1,5 |
0,2 |
|
8,12 |
12,2 |
18,36 |
4,06 |
6,1 |
9,12 |
0,4 |
1,2 |
2,2 |
0,3 |
|
|
10,8 |
19,2 |
24,40 |
5,4 |
9,6 |
12,2 |
0,6 |
1,6 |
3,0 |
0,4 |
|
|
Вид восстановления |
вр |
вр |
вр |
вр |
вр |
вр |
вр |
вр |
вр |
вр |
|
Номер схемы |
13 |
14 |
15 |
16 |
17 |
18 |
19 |
20 |
21 |
22 |
|
Технологическая карта |
9 |
9 |
9 |
9 |
9 |
9; 10 |
11 |
11 |
11 |
12 |
|
Показатель |
L, м |
Число путей |
Значение показателя в зависимости от номера схемы восстановления |
|||||||||
|
1 |
2 |
3 |
4 |
5 |
6 |
7 |
8 |
9 |
||||
|
Объем земляных работ по восстановлению, тыс. м3 |
50 |
I |
1,8 |
3,90 |
7,2 |
2,6 |
6,25 |
13,0 |
1,2 |
2,6 |
4,8 |
|
|
II |
3,33 |
4,6 |
8,4 |
3,4 |
7,5 |
15,0 |
2,2 |
3,1 |
5,6 |
|||
|
75 |
I |
2,70 |
5,8 |
10,8 |
3,9 |
9,3 |
19,5 |
1,8 |
3,9 |
7,2 |
||
|
II |
4,4 |
6,9 |
12,6 |
5,06 |
11,25 |
22,5 |
3,3 |
4,6 |
8,4 |
|||
|
100 |
I |
3,8 |
7,8 |
14,4 |
5,25 |
12,5 |
26,0 |
2,4 |
5,2 |
9,6 |
||
|
II |
5,5 |
9,3 |
16,8 |
6,75 |
15,0 |
30,0 |
4,4 |
6,2 |
11,2 |
|||
|
Трудозатраты по земляным работам, маш.-ч |
50 |
I |
432 |
840 |
1728 |
624 |
1500 |
3125 |
288 |
624 |
1152 |
|
|
II |
792 |
1104 |
2016 |
816 |
1880 |
3600 |
528 |
744 |
1344 |
|||
|
75 |
I |
648 |
1392 |
2592 |
936 |
2232 |
4464 |
432 |
936 |
1728 |
||
|
II |
1056 |
1656 |
3024 |
1214 |
2700 |
5400 |
792 |
1104 |
2016 |
|||
|
100 |
I |
912 |
1872 |
3456 |
1260 |
3000 |
6240 |
576 |
1248 |
2304 |
||
|
II |
1320 |
2232 |
4032 |
1620 |
3600 |
7200 |
1056 |
1488 |
2688 |
|||
|
Время восстановления земляного полотна, ч |
50 |
I |
8,6 |
16,8 |
34,56 |
12,5 |
30 |
62,4 |
5,76 |
12,48 |
23,04 |
|
|
II |
15,8 |
22,0 |
40,36 |
16,3 |
36 |
72 |
10,56 |
14,88 |
26,88 |
|||
|
75 |
I |
12,9 |
27,8 |
51,84 |
18,7 |
44,6 |
93,6 |
8,64 |
18,72 |
34,56 |
||
|
II |
21,1 |
33,1 |
60,48 |
24,2 |
54 |
108 |
15,84 |
22,08 |
40,32 |
|||
|
100 |
I |
18,2 |
37,4 |
69,1 |
25,2 |
60 |
124,8 |
11,52 |
24,96 |
46,08 |
||
|
II |
26,4 |
44,6 |
80,6 |
32,4 |
72 |
144 |
21,12 |
29,76 |
53,76 |
|||
|
техника |
Экскаватор |
50 |
I/II путь |
- |
- |
1/1 |
- |
- |
1/1 |
1/1 |
- |
- |
|
Бульдозер |
2/3 |
3/4 |
4/5 |
3/4 |
4/4 |
4/5 |
2/3 |
3/4 |
4/4 |
|||
|
Струг |
- |
- |
- |
- |
- |
- |
- |
- |
- |
|||
|
Хоппер-дозатор, думпкары |
2/4 |
2/4 |
2/4 |
2/4 |
2/4 |
2/4 |
2/4 |
2/4 |
2/4 |
|||
|
56/103 |
109/144 |
225/262 |
81/106 |
195/234 |
406/468 |
38/68 |
81/96 |
150/175 |
||||
|
Экскаватор |
75 |
I/II путь |
- |
- |
1/1 |
- |
- |
1/1 |
- |
- |
1/1 |
|
|
Бульдозер |
3/4 |
4/5 |
5/6 |
3/4 |
4/5 |
6/8 |
2/3 |
3/4 |
4/5 |
|||
|
Струг |
- |
- |
- |
- |
- |
- |
- |
- |
- |
|||
|
Хоппер-дозатор, думпкары |
3/6 |
3/6 |
3/6 |
3/6 |
3/6 |
3/6 |
3/6 |
3/6 |
3/6 |
|||
|
84/138 |
182/216 |
337/394 |
122/158 |
290/352 |
609/703 |
56/103 |
122/144 |
225/262 |
||||
|
Экскаватор |
100 |
I/II путь |
- |
- |
1/1 |
- |
- |
1/1 |
- |
- |
1/1 |
|
|
Бульдозер |
3/4 |
4/5 |
5/6 |
3/4 |
5/6 |
8/10 |
3/4 |
4/4 |
5/6 |
|||
|
Струг |
- |
- |
- |
- |
- |
- |
- |
- |
- |
|||
|
Хоппер-дозатор, думпкары |
4/8 |
4/8 |
4/8 |
4/8 |
4/8 |
4/8 |
4/8 |
4/8 |
4/8 |
|||
|
119/172 |
244/290 |
450/525 |
164/211 |
390/468 |
812/937 |
75/138 |
163/194 |
300/350 |
||||
Окончание таблицы 2.5
|
Показатель |
L, м |
Число путей |
Значение показателя в зависимости от номера схемы восстановления |
|||||||||||||
|
10 |
11 |
12 |
13 |
14 |
15 |
16 |
17 |
18 |
19 |
20 |
21 |
22 |
||||
|
Объем земляных работ по восстановлению, тыс. м3 |
50 |
I |
2,1 |
5,0 |
10,4 |
8,1 |
14,4 |
18,3 |
4,05 |
7,2 |
9,15 |
0,45 |
1,2 |
2,25 |
0,4 |
|
|
II |
2,7 |
6,0 |
12,0 |
8,1 |
14,4 |
18,3 |
4,05 |
7,2 |
9,15 |
0,45 |
1,2 |
2,25 |
0,4 |
|||
|
75 |
I |
3,1 |
7,5 |
15,6 |
12,2 |
18,3 |
27,54 |
6,1 |
9,15 |
13,77 |
0,6 |
1,8 |
3,3 |
0,6 |
||
|
II |
4,05 |
8,0 |
18,0 |
12,2 |
18,3 |
27,54 |
6,1 |
9,15 |
13,77 |
0,6 |
1,8 |
3,3 |
0,6 |
|||
|
100 |
I |
4,2 |
10,0 |
20,8 |
16,2 |
28,8 |
36,6 |
8,1 |
14,4 |
18,3 |
0,9 |
2,4 |
4,5 |
0,8 |
||
|
II |
5,4 |
12,0 |
24,0 |
16,2 |
28,8 |
36,6 |
8,1 |
14,4 |
18,3 |
0,9 |
2,4 |
4,5 |
0,8 |
|||
|
Трудозатраты по земляным работам, маш.-ч |
50 |
I |
504 |
1200 |
2439 |
1944 |
3456 |
4392 |
972 |
1728 |
2196 |
135 |
360 |
675 |
120 |
|
|
II |
648 |
1440 |
2880 |
1944 |
3456 |
4392 |
972 |
1728 |
2196 |
135 |
360 |
675 |
120 |
|||
|
75 |
I |
744 |
1800 |
3744 |
2928 |
4392 |
6609 |
1456 |
2196 |
3304 |
180 |
540 |
990 |
18,0 |
||
|
II |
972 |
2160 |
4320 |
2928 |
4392 |
6609 |
1456 |
2196 |
3304 |
180 |
540 |
990 |
180 |
|||
|
100 |
I |
1008 |
2400 |
4992 |
3388 |
6912 |
8784 |
1944 |
3456 |
4392 |
270 |
720 |
1350 |
240 |
||
|
II |
1296 |
2880 |
5760 |
3388 |
6912 |
8784 |
1944 |
3456 |
4392 |
270 |
720 |
1350 |
240 |
|||
|
Время восстановления земляного полотна, ч |
50 |
I |
10,08 |
24 |
49,92 |
38,8 |
69,12 |
87,84 |
19,44 |
34,6 |
43,9 |
2,16 |
5,76 |
10,8 |
1,92 |
|
|
II |
12,96 |
28,8 |
57,6 |
38,8 |
69,12 |
87,84 |
19,44 |
34,6 |
43,9 |
2,16 |
5,76 |
10,8 |
1,92 |
|||
|
75 |
I |
14,88 |
36 |
74,88 |
58,56 |
87,84 |
132,3 |
29,3 |
44,0 |
66,0 |
2,88 |
8,64 |
15,8 |
2,88 |
||
|
II |
19,44 |
43,2 |
86,4 |
58,56 |
87,84 |
132,3 |
29,3 |
44,0 |
66,0 |
2,88 |
8,64 |
15,8 |
2,88 |
|||
|
100 |
I |
20,16 |
48 |
99,84 |
77,76 |
138,2 |
175,7 |
38,8 |
69,1 |
87,8 |
4,32 |
11,52 |
21,6 |
3,84 |
||
|
II |
25,92 |
57,6 |
115,2 |
77,76 |
138,2 |
175,7 |
38,8 |
69,1 |
87,8 |
4,32 |
11,52 |
21,6 |
3,84 |
|||
|
техника |
Экскаватор |
50 |
I/II путь |
- |
- |
1/1 |
1/1 |
1/1 |
1/1 |
1/1 |
1/1 |
1/1 |
- |
- |
- |
1 |
|
Бульдозер |
2/3 |
3/4 |
3/4 |
8/8 |
8/8 |
8/8 |
4/4 |
6/6 |
8/8 |
2/2 |
2/2 |
3/3 |
3 |
|||
|
Струг |
- |
- |
- |
1/1 |
1/1 |
1/1 |
1/1 |
1/1 |
1/1 |
1/1 |
1/1 |
1/1 |
1 |
|||
|
Хоппер-дозатор, думпкары |
2/4 |
2/4 |
2/4 |
- |
- |
- |
- |
- |
- |
- |
- |
- |
2 |
|||
|
66/84 |
156/188 |
325/375 |
253/253 |
450/450 |
572/572 |
126/126 |
225/225 |
286/286 |
14/14 |
38/38 |
80/80 |
12 |
||||
|
Экскаватор |
75 |
I/II путь |
- |
- |
1/1 |
1/1 |
1/1 |
1/1 |
1/1 |
1/1 |
1/1 |
- |
- |
- |
1 |
|
|
Бульдозер |
2/3 |
3/4 |
4/5 |
10/10 |
12/12 |
14/14 |
6/6 |
8/8 |
8/8 |
2/2 |
2/2 |
3/3 |
3 |
|||
|
Струг |
- |
- |
- |
1/1 |
1/1 |
1/1 |
1/1 |
1/1 |
1/1 |
1/1 |
1/1 |
1/1 |
1 |
|||
|
Хоппер-дозатор, думпкары |
3/6 |
3/6 |
3/6 |
- |
- |
- |
- |
- |
- |
- |
- |
- |
3 |
|||
|
96/126 |
234/281 |
487/562 |
404/404 |
572/572 |
860/860 |
191/191 |
286/286 |
430/430 |
19/19 |
57/57 |
103/103 |
19 |
||||
|
Экскаватор |
100 |
I/II путь |
- |
- |
1/1 |
1/1 |
1/1 |
1/1 |
1/1 |
1/1 |
1/1 |
- |
- |
- |
1 |
|
|
Бульдозер |
3/4 |
4/6 |
6/8 |
12/12 |
16/16 |
20/20 |
8/8 |
10/10 |
12/12 |
3/3 |
3/3 |
4/4 |
4 |
|||
|
Струг |
- |
- |
- |
1/1 |
1/1 |
1/1 |
1/1 |
1/1 |
1/1 |
1/1 |
1/1 |
1/1 |
1 |
|||
|
Хоппер-дозатор, думпкары |
4/8 |
4/8 |
4/8 |
- |
- |
- |
- |
- |
- |
- |
- |
- |
4 |
|||
|
131/169 |
313/375 |
650/750 |
506/506 |
900/900 |
1143/1143 |
253/253 |
450/450 |
572/572 |
28/28 |
75/75 |
141/141 |
24 |
||||
Примечание. При расчетах объемов земляных работ необходимо брать поправочный коэффициент 1,50, учитывающий удаление размытого грунта верхней части насыпи и коэффициент 1,25, когда насыпь размыта до основания.
Область применения. Участок однопутный (двухпутный); размыт в верхней части насыпи до 3 м; длина размыва 50 м; объем размытого грунта до 2600 м3; количество шпал для шпальной клетки - 2000 шт., основание насыпи прочное.
Технологическая карта № 7 используется для восстановления участков насыпи, размытых по схемам №№ 1, 2, 4, 7, 8, 10 (см. табл. 2.4).
Технология и организация работ.
Подготовительные работы:
- организация связи места работ с поездным диспетчером;
- перенос кабеля связи при его наличии;
- устройство кабельного обхода ЛЭП;
- увеличение пролета контактного провода;
- разбивка оси временного пути в пределах зоны размыва;
- устройство освещения места работ для их производства в темное время суток;
- устройство пунктов приема пищи для рабочих, занятых на восстановительных работах;
- сосредоточение техники для выполнения основных работ;
- очистка участка размыва от обломков верхнего строения пути;
- удаление разжиженного грунта;
- планировка верхней площадки не размытой части насыпи;
- завоз дренирующего материала.
Основные работы:
- выгрузка щебня из думпкаров для основания под шпальную клетку;
- перемещение щебня бульдозерами на место шпальной клетки;
- восстановление оси пути;
- трамбование щебеночной подготовки (hщ = 10-15 см);
- выгрузка грунта на обход из думпкаров;
- разравнивание грунта;
- разбивка оси обхода;
- передвижка рельсошпальной решетки на ось обхода;
- устройство шпальной клетки с соблюдением следующих требований:
в нижнем сплошном ряду шпалы укладываются перпендикулярно оси пути;
последующие ряды шпал укладываются перпендикулярно друг другу, в каждом горизонтальном углу шпалы должны быть одинаковыми по высоте;
при укладке одного ряда шпал над другими они должны пересекаться не менее четырех раз;
при необходимости число пересечений проверяется расчетом, при этом напряжение на смятие не должно превышать 20 кгс/см2 (2000 кПа);
- укладка РШР на клетку и пропуск поездов с v = 5 км/ч;

Рис. 2.2. Схема оперативного восстановления насыпи высотой Н ≤ 3 м после размыва. I этап. Устройство участка плавного отвода
- завоз и выгрузка грунта из думпкаров с другой стороны;
- перемещение грунта бульдозером на участок размыва насыпи основного хода;
- передвижка РШР на восстановленную часть насыпи основного хода;
- разборка РШР и шпальной клетки;
- досыпка насыпи до профиля новой конструкции.
Схемы операционного восстановления участка приведены на рис. 2.2-2.5.
Технико-экономические показатели, материально-технические ресурсы и карта операционного контроля качества представлены в табл. 2.6-2.8.
Общее количество трудозатрат - 2480 чел-ч.
Производственный состав - ПМС в составе 170 чел.

Рис. 2.3. Схема оперативного восстановления насыпи высотой Н ≤ 3 м после размыва. II этап. Устройство шпальной клетки, укладка РШР на ней и пропуск поездов по обходу. Завоз и выгрузка из думпкаров грунта с противоположной стороны от шпальной клетки с перемещением его бульдозером к месту размыва.

Рис. 2.4. Схема оперативного восстановления насыпи высотой Н ≤ 3 м после размыва. III этап. Передвижка РШР на отсыпанную часть насыпи, разборка шпальной клетки и отсыпка насыпи по геометрическим параметрам новой конструкции
При восстановлении участка насыпи после размыва по схемам № 2, 8 шпальная клетка выкладывается на неразмытой части насыпи с предварительной щебеночной подготовкой слоем 0,2 м и уплотнением ее. При этом высота шпальной клетки не должна превышать 3,0 м.

Рис. 2.5. Схема оперативного восстановления насыпи высотой Н ≤ 3 м после размыва. IV этап. Передвижка пути на ось основного хода с последующей балластировкой
Таблица 2.6.
|
№ п/п |
Показатель |
Единица измерения |
Значение показателя |
|
1 |
Продолжительность работ |
ч |
25 |
|
2 |
Производительность бульдозера на базе трактора Т-170 при перемещении грунта до 50 м |
м3/ч |
60,2 |
|
3 |
Разборка РШР на размытом участке |
чел-ч |
15 |
|
4 |
Устройство шпальной клетки |
чел-ч |
850 |
|
5 |
Разборка РШР на шпальной клетке |
чел-ч |
52 |
Таблица 2.7.
|
№ п/п |
Наименование |
Количество |
|
1 |
Лапчатый лом |
24 |
|
2 |
Костыльный молоток |
12 |
|
3 |
Ключ путевой Р50, Р65 |
2 |
|
4 |
Теодолит в комплекте |
1 |
|
5 |
Нивелир в комплекте |
1 |
|
6 |
Шаблон путевой |
2 |
|
7 |
Измерительная лента |
1 |
|
8 |
Передвижная электростанция |
2 |
|
9 |
Палатка ПБ-20 |
2 |
|
10 |
Прожектор ПЗС-0,35 |
2 |
|
11 |
Машина ВНР |
1 |
|
12 |
Хоппер-дозатор (число в вертушке) |
20 |
|
13 |
Думпкар (число в вертушке) |
20 |
|
14 |
Бульдозер на базе трактора Т-170 |
2 |
|
15 |
Локомотив |
2 |
|
№ п/п |
Показатель |
Значение показателя |
|
1 |
Уширение основной площадки в районе размыва после восстановления |
На 1 м в обе стороны от оси |
|
2 |
Крутизна восстанавливаемой части откоса насыпи |
1:2 |
|
3 |
Толщина отсыпаемых слоев грунта не более |
0,4 м |
|
4 |
Расстояние между шпалами нижнего ряда |
Вплотную |
|
5 |
Расхождение по высоте шпал в одном ряду |
Не допускается |
Область применения. Участок однопутный (двухпутный); размыв верхней части насыпи высотой до 8 м, длина размыва 50 м (75 м; 100 м); объем восстановительных работ по отсыпке размытой части и время восстановления представлены в табл. 2.5; основание насыпи прочное.
Технологическая карта № 8 используется для восстановления участков насыпи, размытых по схемам №№ 2-6, 8-12.
Технология и организация работ. Схема организации работ по восстановлению размытого участка насыпи может быть принята (в зависимости от возможностей доставки грунта) одно- или двухлучевой: однолучевой - при доставке грунта только с одной стороны участка, двухлучевой - при доставке грунта с двух сторон участка.
Подготовительные работы:
- организация связи места работ с поездным диспетчером;
- перенос кабеля связи при его наличии;
- устройство кабельного обхода ЛЭП;
- увеличение пролета контактного провода;
- разбивка оси временного пути в пределах зоны размыва;
- устройство освещения места работ для их производства в темное время суток;
- устройство пунктов приема пищи для рабочих, занятых на восстановительных работах;
- сосредоточение техники для выполнения основных работ;
- очистка участка размыва от обломков верхнего строения пути;
- удаление разжиженного грунта;
- планировка верхней площадки неразмытой части насыпи.
Основные работы:
- восстановление оси пути;
- выгрузка грунта (может вестись как в одну сторону, так и в обе);
- перемещение грунта к участку размыва;
- перемещение грунта от линии технологического основания к середине насыпи на размытом участке (к оси);
- планировка выгруженного грунта бульдозером слоями толщиной 0,3-0,4 м;
- уплотнение грунта машиной ДУ-16В (6-8 проходов по одному следу);
- планировка откосов бермы и насыпи экскаватором через каждые 2 м по высоте;
- укладка пути на участке размыва;
- завоз и выгрузка балласта из хоппер-дозаторов;
- подъемка и выправка пути машиной ВПР.

Рис. 2.6. Схема оперативного восстановления насыпи высотой Н = 3+8 м после размыва (двусторонняя, двухлучевая организация работ). I этап. Перемещение грунта в тело насыпи бульдозерами: 1-3 - очередность выгрузки думпкаров
Схемы оперативного восстановления участка приведены на рис. 2.6 и 2.7. Технико-экономические показатели, материально-технические ресурсы и карта операционного контроля представлены в табл. 2.9-2.11.

Рис. 2.7. Схема оперативного восстановления насып» высотой Н = 3+8 м после размыва (двусторонняя, двухлучевая организация работ). II этап. Планировочные работы: 1-3 - очередность выгрузки думпкаров
Таблица 2.9.
|
№ п/п |
Показатель |
Единица измерения |
Значение показателя |
|
1 |
Продолжительность работ по восстановлению размытого участка земляного полотна |
ч |
См. табл. 2.4 |
|
2 |
Производительность бульдозера на базе трактора Т-170 при перемещении грунта: |
|
|
|
до 30 м |
м3/ч |
98,0 |
|
|
до 50 м |
м3/ч |
60,2 |
|
|
до 65 м |
м3/ч |
46,72 |
|
|
3 |
Трудозатраты |
маш-ч |
См. табл. 2.4 |
Таблица 2.10.
|
№ п/п |
Наименование |
Количество |
|
1 |
Ключ путевой Р50, Р65 |
2 |
|
2 |
Лапчатый лом |
24 |
|
3 |
Костыльный молоток |
12 |
|
4 |
Теодолит в комплекте |
1 |
|
5 |
Нивелир в комплекте |
1 |
|
6 |
Измерительная лента |
1 |
|
7 |
Передвижная электростанция |
1 |
|
8 |
Палатка ПБ-20 |
1 |
|
9 |
Прожектор ПЗС-0,35 |
2 |
|
10 |
Думпкар |
150 |
|
11 |
Локомотив |
1-2 |
|
12 |
Струг |
1 |
|
13 |
Бульдозер на базе трактора Т-170 |
2-4 |
|
14 |
Экскаватор ЭО-4121 |
1 |
|
15 |
Грунтоуплотняющая машина ДУ-16В |
1 |
|
16 |
Хоппер-дозатор |
4 |
|
17 |
Машина ВПР |
1 |
|
№ п/п |
Показатель |
Значение показателя |
|
1 |
Уширение основной площадки в районе размыва после восстановления |
На 1 м |
|
2 |
Крутизна откоса восстанавливаемой части насыпи |
1:2 |
|
3 |
Толщина отсыпаемого слоя |
0,4 м |
|
4 |
Ширина бермы |
4 м |
|
5 |
Количество проходок машины ДУ-16В по одному следу |
6-8 м |
Область применения. Участок однопутный (двухпутный); размыв обоих откосов насыпи высотой от 8 до 18 м; длина размыва 50 м (75 м; 100 м); объем восстановительных земляных работ по обоим откосам см. в табл. 2.4; основание прочное.
Технологическая карта № 9 используется для восстановления участков размытых откосов насыпи по схемам №№ 13-18.
Технология и организация работ. Схема организации работ по восстановлению размытых участков откосов насыпи может быть принята (в зависимости от возможностей доставки грунта) одно- или двухлучевой: однолучевой - при доставке грунта только с одной стороны участка, двухлучевой - при доставке грунта с двух сторон участка.
Подготовительные работы:
- организация связи места работ с поездным диспетчером;
- перенос кабеля связи при его наличии;
- устройство кабельного обхода ЛЭП;
- увеличение пролета контактного провода;
- разбивка оси временного пути в пределах зоны размыва;
- устройство освещения места работ для их производства в темное время суток;
- устройство пунктов приема пищи для рабочих, занятых на восстановительных работах;
- сосредоточение техники для выполнения основных работ;
- очистка участка размыва от обломков верхнего строения пути;
- удаление разжиженного грунта;
- планировка верхней площадки неразмытой части насыпи.
Основные работы:
- восстановление оси пути;
- выгрузка грунта из думпкаров (может вестись на обе стороны);
- перемещение грунта к участку размыва;
- планировка грунта бульдозером слоями толщиной 0,3-0,4 м;
- уплотнение грунта катком ДУ-16В (6-8 проходок по одному следу);
- планировка откосов насыпи и берм выполняется бульдозером;
- укладка пути на участке размыва краном УК-25;
- завоз и выгрузка балласта из хоппер-дозаторов;
- подъемка и выправка пути машиной ВПР.
Схемы оперативного восстановления участка приведены на рис. 2.8-2.10.
Технико-экономические показатели, материально-технические ресурсы и карта операционного контроля качества представлены в табл. 2.12-2.14.

Рис. 2.8. Схема оперативного восстановления размытых откосов насыпи высотой Н = 8+18 м на однопутном участке: 1-5 - очередность выгрузки думпкаров; цифры в кружочках обозначают очередность работы бульдозеров

Рис. 2.9. Схема оперативного восстановления размытых откосов насыпи высотой Н = 8+18 м на двухпутном участке. 1 этап. Отсыпка из думпкаров подходов к месту размыва (без сдвижки одного из путей на середину основной площадки) до высоты 4/5 Н по всей длине: 1-5 - очередность выгрузки думпкаров; цифры в кружочках обозначают очередность работы бульдозера

Рис. 2.10. Схема оперативного восстановления размытых откосов насыпи высотой Н = 8+18 м на двухпутном участке. II этап. Отсыпка из думпкаров откосов в месте размыва со сдвижкой одного из путей на середину основной площадки. Этот этап работы начинается после отсыпки размытых откосов на высоту второй бермы, т.е. 4/5 Н: 1-2 - очередность выгрузки думпкаров
|
№ п/п |
Показатель |
Единица измерения |
Значение показателя |
|
1 |
Продолжительность работ по восстановлению размытых откосов участка земляного полотна |
ч |
См. табл. 2.4 |
|
2 |
Производительность бульдозера на базе трактора Т-170 при перемещении грунта: |
|
|
|
|
до 50 м |
м3/ч |
60,2 |
|
|
до 65 м |
м3/ч |
46,72 |
|
3 |
Трудозатраты |
маш-ч |
См. табл. 2.4 |
Таблица 2.13.
|
№ п/п |
Наименование |
Количество |
|
1 |
Теодолит в комплекте |
1 |
|
2 |
Нивелир в комплекте |
1 |
|
3 |
Измерительная лента |
1 |
|
4 |
Лом лапчатый |
20 |
|
5 |
Костыльный молоток |
4 |
|
6 |
Ключ путевой Р50, Р65 |
2 |
|
7 |
Передвижная электростанция |
2 |
|
8 |
Палата ПБ-20 |
1 |
|
9 |
Прожектор ПЗС-0,35 |
2 |
|
10 |
Думпкар |
300-762 |
|
11 |
Локомотив |
1-2 |
|
12 |
Струг |
1 |
|
13 |
Бульдозер на базе трактора Т-170 |
4-8 |
|
14 |
Каток ДУ-16В |
1 |
|
15 |
Хоппер-дозатор |
4 |
|
16 |
Машина ВПР |
1 |
|
№ п/п |
Показатель |
Значение показателя |
|
1 |
Уширение основной площадки насыпи в обе стороны |
На 1 м |
|
2 |
Крутизна откоса восстанавливаемой части насыпи |
1:2 |
|
3 |
Толщина отсыпаемого слоя |
0,4 м |
|
4 |
Ширина бермы |
4 м (8 м при Н > 18 м) |
|
5 |
Количество проходок катка ДУ-16В по одному следу |
6-8 |
Область применения. Участок однопутный (двухпутный); размыв одного откоса насыпи высотой более 18 м; длина размыва 50 м (75 м; 100 м); объем восстановительных земляных работ по размытому откосу участка насыпи см. в табл. 2.4; основание прочное.
Технологическая карта № 10 используется для восстановления размытых откосов насыпи по схеме № 18.
Технология и организация работ. Схема организации работ по восстановлению размытого участка откоса насыпи может быть принятой в зависимости от возможностей доставки грунта - однолучевой или двухлучевой: однолучевой - при доставке грунта только с одной стороны участка, двухлучевой - при доставке грунта с двух сторон участка.
Подготовительные работы:
- организация связи места работ с поездным диспетчером;
- перенос кабеля связи при его наличии;
- устройство кабельного обхода ЛЭП;
- увеличение пролета контактного провода;
- разбивка оси временного пути в пределах зоны размыва;
- устройство освещения места работ для их производства в темное время суток;
- устройство пунктов приема пищи для рабочих, занятых на восстановительных работах;
- сосредоточение техники для выполнения основных работ;
- очистка участка размыва от обломков верхнего строения пути;
- удаление разжиженного грунта.
Основные работы:
- передвижка пути на середину уцелевшей части площадки;
- выгрузка грунта из думпкаров;
- перемещение выгруженного грунта бульдозером;
- планировка грунта бульдозером слоями толщиной 0,3-0,4 м с уплотнением;
- передвижка пути на ось основного хода;
- завоз и выгрузка балласта из хоппер-дозаторов;
- подъемка и выправка пути машиной ВПР.
Схема оперативного восстановления участка приведена на рис. 2.11.

Рис. 2.11. Схема оперативного восстановления размытого откоса насыпи высотой Н ≤ 18 м: 1-4 - очередность отсыпки грунта из думпкаров до сдвижки пути главного хода; 5-6 - очередность отсыпки грунта из думпкаров после сдвижки пути на технологическую ось (сдвижка выполняется после сооружения насыпи и бермы до высоты 4/5 Н)
Технико-экономические показатели, материально-технические ресурсы и карта операционного контроля качества представлены в табл. 2.15-2.17.
Таблица 2.15.
|
№ п/п |
Показатель |
Единица измерения |
Значение показателя |
|
1 |
Продолжительность работ по восстановлению размытого откоса участка земляного полотна насыпи |
ч |
См. табл. 2.4 |
|
2 |
Производительность бульдозера на базе трактора Т-170 при перемещении грунта: |
|
|
|
|
до 50 м |
м3/ч |
60,2 |
|
|
до 65 м |
м3/ч |
46,72 |
|
3 |
Трудозатраты |
маш-ч |
См. табл. 2.4 |
Таблица 2.16.
|
№ п/п |
Наименование |
Количество |
|
1 |
Теодолит в комплекте |
1 |
|
2 |
Нивелир в комплекте |
1 |
|
3 |
Мерная лента |
1 |
|
4 |
Лом лапчатый |
20 |
|
5 |
Костыльный молоток |
4 |
|
6 |
Ключи путевые Р50, Р65 |
2 |
|
7 |
Передвижная электростанция |
1 |
|
8 |
Палатка ПБ-20 |
1 |
|
9 |
Прожектор ПЗС-0,35 |
2 |
|
10 |
Думпкар |
84-382 |
|
11 |
Локомотив |
1-2 |
|
12 |
Струг |
1 |
|
13 |
Бульдозер на базе трактора Т-170 |
4-6 |
|
14 |
Хоппер-дозатор |
4 |
|
15 |
Машина ВПР |
1 |
|
№ п/п |
Показатель |
Значение показателя |
|
1 |
Уширение основной площадки насыпи в обе стороны |
На 1 м |
|
2 |
Крутизна откоса восстанавливаемой части насыпи |
1:2 |
|
3 |
Толщина отсыпаемого слоя |
0,4 м |
|
4 |
Ширина бермы |
8,0 м |
Область применения. Участок однопутный (двухпутный); подмыв нижней части откоса насыпи высотой до 7 м; длина подмыва 50 м (75 м; 100 м); объем восстановительных земляных работ по подмытому откосу участка насыпи см. в табл. 2.5; основание прочное.
Технологическая карта № 11 используется для восстановления размытых откосов насыпи по схемам №№ 19-21.
Технология и организация работ. Схема организации работ по восстановлению размытого участка откоса насыпи может быть принятой (в зависимости от возможностей доставки грунта) однолучевой или двухлучевой: однолучевой - при доставке грунта только с одной стороны участка; двухлучевой - при доставке грунта с двух сторон участка.

Рис. 2.12. Схема оперативного восстановления подмытого откоса насыпи высотой Н ≤ 3 м: I этап - завоз и выгрузка крупного камня, обломков железобетона (Нг > ГВВ на 0,5 м), II этап - завоз и выгрузка песчано-гравийной смеси, щебня, песка; III этап - планировка восстанавливаемой части откоса насыпи экскаватором; 1 - положение смещенного откоса после его подмыва в нижней части

Рис. 2.13. Схема оперативного восстановления подмытого откоса насыпи высотой Н = 3+7 м. 1 этап. Завоз и выгрузка крупного камня, обломков железобетона, габионов: 1-7 - очередность выгрузки думпкаров
Подготовительные работы:
- организация связи места работ с поездным диспетчером;
- перенос кабеля связи при его наличии;
- устройство кабельного обхода ЛЭП;
- увеличение пролета контактного провода;
- устройство освещения места работ для их производства в темное время суток;
- устройство пунктов приема пищи для рабочих, занятых на восстановительных работах;
- сосредоточение техники для выполнения основных работ;
- удаление разжиженного грунта.
Основные работы:
- выгрузка камня и грунта из думпкаров;
- перемещение выгруженного грунта бульдозером;

Рис. 2.14. Схема оперативного восстановления подмывки откоса насыпи высотой Н = 3+7 м. II этап. Завоз и выгрузка песчано-гравийной смеси, щебня, песка: 1-7- очередность выгрузки думпкаров

Рис. 2.15. Схема оперативного восстановления подмытого откоса насыпи высотой Н = 3+7 м. III этап. Планировка уширяемой части откоса насыпи
- планировка грунта бульдозером слоями толщиной 0,3-0,4 м с уплотнением;
- планировка откосов экскаватором ЭО-4121 с нижней стоянки.
Схемы оперативного восстановления участка приведены на рис. 2.12-2.15.
Технико-экономические показатели, материально-технические ресурсы и карта операционного контроля качества представлены в табл. 2.18-2.20.
Таблица 2.18.
|
№ п/п |
Показатель |
Единица измерения |
Значение показателя |
|
1 |
Продолжительность работ |
ч |
См. табл. 2.4 |
|
2 |
Производительность бульдозера на базе трактора Т-170 при перемещении грунта до 50 м |
м3/ч |
60,2 |
|
3 |
Трудозатраты |
маш-ч |
См. табл. 2.4 |
Таблица 2.19.
|
№ п/п |
Наименование |
Количество |
|
1 |
Теодолит в комплекте |
|
|
2 |
Нивелир в комплекте |
|
|
3 |
Мерная лента |
|
|
4 |
Передвижная электростанция |
|
|
5 |
Палатка ПБ-20 |
|
|
6 |
Прожектор ПЗС-0,35 |
2 |
|
7 |
Думпкар |
15-150 |
|
8 |
Струг |
1 |
|
9 |
Локомотив |
2 |
|
10 |
Экскаватор-планировщик ЭО-4121 |
1 |
|
11 |
Бульдозер на базе трактора Т-170 |
2-3 |
Таблица 2.20.
|
п/п |
Показатель |
Значение показателя |
|
1 |
Уширение основной площадки насыпи со стороны подмытой нижней части откоса |
На 1 м |
|
2 |
Крутизна откоса восстанавливаемой части насыпи |
1:2 |
|
3 |
Ширина бермы поверху при Н > 3,0 м |
4,0 м |
|
4 |
Высота насыпи каменной бермы выше горизонта высоких вод не менее |
0,5 м |
Область применения. Участок насыпи в нулевом месте, на раздельном пункте (станция, разъезд); переливы через пути, размыв откосов земляного полотна и вымывание балласта; длина участка 50 м (75 м; 100 м); объем восстановительных работ см. в табл. 2.5; основание прочное.
Технологическая карта № 12 используется для восстановления размытых откосов насыпи по схеме № 22.
Подготовительные работы:
- организация связи места работ с поездным диспетчером;
- перенос кабеля связи при его наличии;
- устройство освещения места работ для их производства в темное время суток;
- устройство пунктов приема пищи для рабочих, занятых на восстановительных работах;
- очистка участка размыва от разжиженного грунта;
- подрезка откосов насыпи бульдозером;
- расчистка водоотводов.
Основные работы:
- завоз камня на откосы для устройства каменной бермы;
- завоз скального грунта для укрепления водоотводов;
- укрепление дна и откосов водоотводов камнем, заполнение их профиля скальным грунтом с последующей проходкой экскаватором с профилирующим ковшом и уборкой лишнего грунта в сторону насыпи с дальнейшей его планировкой при i = 0,04 в сторону водоотвода от основания насыпи;
- подъемка и выправка пути машиной ВПР.

Рис. 2.16. Схема оперативного восстановления насыпи на раздельных пунктах и в нулевых местах. I этап. Уборка разжиженного грунта, подрезка откосов, расчистка водоотводов: 1 - балласт; 2 - участок размыва балластной призмы; 3 - участок размыва откоса насыпи; 4 - водоотводная канава, заполненная грунтом; цифры в кружочках обозначают очередность работ
Схемы оперативного восстановления участка приведены на рис. 2.16 и 2.17.
Технико-экономические показатели, материально-технические ресурсы и карта операционного контроля качества представлены в табл. 2.21-2.23.

Рис. 2.17. Схема оперативного восстановления насыпи на раздельных пунктах и в нулевых местах. II этап. Завоз камня для устройства укрепительных берм откосов и скального грунта для укрепления водоотводов: цифры в кружочках обозначают очередность работ
Таблица 2.21.
|
№ п/п |
Показатель |
Единица измерения |
Значение показателя |
|
1 |
Продолжительность работ |
ч |
См. табл. 2.4 |
|
2 |
Производительность бульдозера на базе трактора Т-170 при перемещении грунта: |
|
|
|
|
до 30 м |
м3/ч |
98,0 |
|
|
до 50 м |
м3/ч |
60,2 |
|
|
до 65 м |
м3/ч |
46,72 |
|
3 |
Трудозатраты |
маш-ч |
См. табл. 2.4 |
Таблица 2.22.
|
№ п/п |
Наименование |
Количество |
|
1 |
Теодолит в комплекте |
1 |
|
2 |
Нивелир в комплекте |
1 |
|
3 |
Мерная лента |
1 |
|
4 |
Передвижная электростанция |
1 |
|
5 |
Палатка ПБ-20 |
1 |
|
6 |
Прожектор ПЗС-0,35 |
2 |
|
7 |
Думпкар |
40-60 |
|
8 |
Струг |
1 |
|
9 |
Локомотив |
3 |
|
10 |
Холпер-дозатор |
20 |
|
11 |
Бульдозер-болотник на базе трактора Т-170 |
3 |
|
12 |
Экскаватор с профилирующим ковшом на болотном ходу |
1 |
|
13 |
Машина ВПР |
1 |
|
№ п/п |
Показатель |
Значение показатели |
|
1 |
Уширение основной площадки насыпи |
1 м |
|
2 |
Крутизна откосов |
1:2 |
|
3 |
Камень фракции |
30-45 см |
|
4 |
Толщина слоя укрепления водоотвода скальным грунтом |
25 см |
|
5 |
Крутизна откосов водоотвода |
1:1,5 |
П.1. Методика визуального определения крутизны откосов
Для пользования табл. 1.1.-1.3 необходимо определить, какую крутизну имеют откосы в верхней части не восстановленной насыпи. Для этого надо иметь две рейки (или доски), которые располагают следующим образом: одну рейку упирают в верхнюю часть откоса и устанавливают горизонтально, другую приставляют к свободному концу первой рейки и устанавливают вертикально, уперев нижним концом в откос. Визуально определяют длины горизонтальной и вертикальной реек до их пересечения. Если горизонтальная часть больше вертикальной, то откос относится к откосу средней крутизны, если она меньше или равна вертикальной, то откос считается крутым.
П.2. Методика визуального ориентировочного определения номенклатуры грунта
Берется навеска глинистого грунта из деформированной части откоса и на доске разравнивается тонким слоем. Если в этом слое просматривается около половины песчаных частиц (0,1-0,2 мм), то это супесь. Если в слое видно около трети или четверти тонких глинистых частиц, то это суглинок. Для большей надежности визуального определения номенклатуры грунта следует изучить не менее трех навесок грунта.
Кроме того, некоторые визуальные признаки для определения вида грунта приведены в табл. П.1.
По этим ориентировочным данным можно выбрать технические решения по табл. 1.1.-1.3, предварительно определив консистенцию грунта в соответствии с указаниями, приведенными в П.2.
Если представляется возможным уточнить номенклатуру грунта, то это следует сделать по ГОСТ 25100-82. "Грунты. Классификация".
Таблица П.1.
|
Вид грунта |
Состояние влажного грунта |
Состояние влажного грунта при резке ножом |
|
Супесь |
Непластичные комья; в шнур плохо раскатываются; при раскатывании в шарик образуют трещины |
Рассыпается |
|
Суглинок |
Пластичные, слаболипкие, комья скатываются в шарик, длинный шнур трудно образовать |
Чувствуется присутствие песчинок |
П.3. Методика визуального определения консистенции глинистых грунтов
Для приближенного определения консистенции супеси и суглинка необходимо взять небольшую навеску грунта из деформированного откоса и раскатывать из нее шнур, все время уменьшая его диаметр. Если при достижении диаметра 3,0 мм шнур не распадается на отдельности, то супесь имеет пластичную консистенцию, а суглинок мягкопластичную. Если шнур распадается на кусочки, то супесь имеет твердую, а суглинок полутвердую или тугопластичную консистенцию. Для большей надежности результата следует опыт повторить трижды.
Пользуясь полученными данными можно выбирать техническое решение по табл. 1.1.-1.3.
Если представляется возможным, то следует более точно определить консистенцию грунта по ГОСТ 5180-84. "Грунты." Метод лабораторного определения физических характеристик" и оценить ее по показателю текучести в соответствии с табл. П.2.
Таблица П.2.
|
Вид грунта |
Наименование консистенции |
Показатель текучести |
|
Супесь |
Твердая |
IL < 0 |
|
|
Пластичная |
0 ≤ IL ≤ 1 |
|
Суглинок |
Твердая |
IL < 0 |
|
|
Полутвердая |
0 ≤ IL ≤0,25 |
|
|
Тугопластичная |
0,25 < IL ≤ 0,50 |
|
|
Мягкопластичная |
0,50 < IL ≤ 0,75 |
П.4. Определение размеров камней набросок
При пользовании табл. 2.3, если откос насыпи подвергается воздействию вдоль берегового течения, рекомендуется принимать ориентировочные размеры камней в зависимости от скорости течения по табл. П.3.
Таблица П.3.
|
Форма камня |
Размеры камней, м, при скорости течения v, м/с |
||||
|
2 |
3 |
4 |
5 |
6 |
|
|
Округлая |
0,10 |
0,20 |
0,40 |
0,60 |
0,85 |
|
Кубическая (рваная) |
0,15 |
0,30 |
0,50 |
0,80 |
1,20 |