ТИПОВЫЕ ТЕХНОЛОГИЧЕСКИЕ КАРТЫ
НА ПРОИЗВОДСТВО
ОТДЕЛЬНЫХ ВИДОВ РАБОТ
РАЗДЕЛ 01
ТИПОВАЯ
ТЕХНОЛОГИЧЕСКАЯ КАРТА
НА ЗЕМЛЯНЫЕ И БУРОВЗРЫВНЫЕ РАБОТЫ
1.01.01.44
КОМПЛЕКСНО-МЕХАНИЗИРОВАННЫЙ ПРОЦЕСС ОБРАЗОВАНИЯ
ВРЕМЕННОГО ОТВАЛА ОБЪЕМОМ ДО 2 млн. м3 ИЗ ГРУНТОВ
III ГРУППЫ
МОСКВА - 1989
|
РАЗРАБОТАНА |
ОДОБРЕНА |
|
ВНИПИИСТРОМСЫРЬЕ |
Отделом организации и технологии строительного производства Госстроя СССР |
|
Главный инженер института Р. А. Родин Главный инженер проекта В. Н. Буман |
Письмо от 14.09.1988 г. № 23-532 Введена в действие с 1.01.1989 г. |
1.1. Типовая технологическая карта рекомендуется для использования при отсыпке временного отвала грунта, образуемого при устройстве котлованов, траншей и других выемок в промышленном, жилищно-гражданском и мелиоративном строительстве.
1.2. Типовая карта может быть использована для грунтов I-III групп.
1.3. В данной карте приведен пример образования отвала с параметрами:
длина - 500 м; ширина - 300 м;
средняя высота - 10 м, заложение откосов - 1:1,5;
объем растительного грунта - 75 т. м3;
объем отвала - 1500 т. м3.
1.4. Устройство временного отвала грунта осуществляется в средней зоне СССР при круглогодичной отсыпке грунта в отвал.
1.5. При привязке технологической карты к конкретному объекту необходимо скорректировать объемы отвала, группы грунтов, график производства работ и калькуляцию затрат труда, средства механизации с учетом наличия парка землеройных механизмов.
2.1. Настоящий комплексно-механизированный технологический процесс состоит из подготовительных и основных операций.
2.2. К подготовительным операциям относятся:
геодезическая разбивка контура временного отвала грунта с установкой разбивочных знаков и реперов; устройство освещения отвала; устройство временных землевозных автодорог.
Устройство временных землевозных дорог от места разработки грунтов до отвала в данной карте не предусматривается, так как они учитываются при разработке грунта.
2.3. К основным операциям относятся: срезка растительного слоя грунта, отсыпка отвала.
2.4. Состав вариантов комплексов машин, применяемых для выполнения основных операций приведен в табл. 1.
Таблица 1
|
Варианты комплексов машин |
|||
|
1 |
2 |
3 |
|
|
Срезка растительного слоя грунта |
Бульдозер ДЗ-110А |
Бульдозер ДЗ-35Б |
Бульдозер ДЗ-118 |
|
Отсыпка отвала |
Бульдозер ДЗ-110А |
Бульдозер ДЗ-35Б |
Бульдозер ДЗ-118 |
2.5. Ведущими машинами в комплексе являются:
вариант № 1 - бульдозер ДЗ-110A;
вариант № 2 - бульдозер ДЗ-35Б;
вариант № 3 - бульдозер ДЗ-118.
2.6. Технология производства работ для варианта № 1.
Срезка растительного слоя грунта I группы в основании отвала производится бульдозером ДЗ-110А с перемещением до 100 м за пределы контура отвала в резерв.
Отсыпка грунта в отвал автомобилями-самосвалами начинается с наиболее высоких «черных» отметок с последующим перемещением грунта бульдозером ДЗ-110A. Отсыпка отвала ведется «с головы». Автомобили-самосвалы с грунтом разгружаются на расстоянии не ближе 3 м от верхней бровки откоса отвала. Разгруженный грунт бульдозером ДЗ-110A перемещается со сталкиванием его на откос отвала. Отвал отсыпается в два яруса высотой в среднем 5 м каждый.
Для проезда автотранспорта на каждом ярусе устраиваются временные землевозные дороги. Временные землевозные дороги отсыпаются из доменного шлака или из другого местного строительного материала с разравниванием его бульдозером ДЗ-110А слоем 0,3 м.
2.7. Перемещение и сталкивание грунта на отвале выполняется (при работе в одну смену) для варианта № 1 двумя машинистами бульдозера 6 разряда.
2.8. Контроль качества выполняемых работ производится в соответствии с табл. 2.
Таблица 2
|
Наименование операций, подлежащих контролю |
Контроль качества выполнения операций |
||||
|
производителем работ |
мастером |
Состав |
Способы |
Время |
Привлекаемые службы |
|
Разбивка контура отвала |
|
Точность выноса |
Теодолитом, стальной рулеткой |
До начала отсыпки |
Геодезическая |
|
|
Отсыпка отвала |
Геометрические размеры в плане, высотные отметки, крутизна откосов |
Нивелиром, стальной рулеткой, уклономером, откосником |
В процессе отсыпки отвала |
Геодезическая |
В соответствии с принятыми вариантами комплексов машин (табл. 1) и на основании калькуляций затрат труда в табл. 3 приведены сравнительные технико-экономические показатели эффективности вариантов.
Таблица 3
|
Варианты комплексов механизации работ |
|||
|
1 |
2 |
3 (аналог) |
|
|
Объем работ, м3 |
1500000 |
1500000 |
1500000 |
|
Общая трудоемкость, чел.-дн. |
2055,70 |
1787,81 |
1210,55 |
|
То же, на 1000 м3 грунта, чел.-ч |
11,23 |
9,77 |
6,61 |
|
Затраты маш. времени на весь объем работ, маш.-смен |
2055,70 |
1787,70 |
1210,55 |
|
Продолжительность процесса при двухсменной работе, день |
514 |
447 |
303 |
|
Выработка на 1 маш.-ч, м3 |
88,98 |
102,32 |
151,11 |
|
Стоимость затрат труда на весь объем работ, руб. |
16844-74 |
15539-50 |
11911-36 |
|
То же, на 1000 м3 грунта, руб. |
11,23 |
10-36 |
7,94 |
|
Приведенные затраты, руб. |
118406-20 |
137906-20 |
163406-20 |
|
То же, на 1000 м3 грунта, руб. |
79-00 |
92-00 |
109-00 |
|
Прямые затраты на 1000 м3 грунта, руб. |
72-00 |
84-00 |
103-00 |
|
Эффективность в сравнении с аналогом на 1000 м3 грунта, руб. |
+30-00 |
+17-00 |
- |
4.1. Потребность в машинах, оборудовании, инструментах и приспособлениях
Таблица 4.
|
Наименование машин, оборудования, инструментов и приспособлений |
Тип |
МАРКА, ГОСТ |
Количество машин для вариантов механизации, шт. |
Техническая характеристика |
||
|
1 |
2 |
3 |
||||
|
Бульдозер с неповоротным отвалом. Управление гидравлическое |
На тракторе класса 10 т |
ДЗ-110А |
2 |
- |
- |
Трактор Т-130.1.Г-1, длина отвала 3220 мм |
|
Бульдозер с неповоротным отвалом. Управление гидравлическое |
На тракторе класса 15-25 т |
ДЗ-35Б |
- |
2 |
- |
Трактор Т-180Г, длина отвала 3640 мм |
|
Бульдозер с неповоротным полусферическим отвалом. Управление гидравлическое |
На тракторе класса 15-25 т |
ДЗ-118 |
- |
- |
2 |
Трактор ДЭТ-250М, длина отвала 4310 мм |
|
Теодолит |
|
Т-15 ГОСТ 10529-86 |
1 |
1 |
1 |
|
|
Нивелир |
|
Н-10 ГОСТ 10528-79 |
1 |
1 |
1 |
|
|
Рейка нивелирная |
|
РН-10 ГОСТ 11158-83 |
2 |
2 |
2 |
|
|
Вешка геодезическая |
Стандартная |
|
3 |
3 |
3 |
|
|
Рулетка измерительная металлическая |
Стандартная |
РС-20 ГОСТ 7502-80 |
1 |
1 |
1 |
|
4.2. Потребность в эксплуатационных материалах
Таблица 5.
|
Наименование механизмов и эксплуатационных материалов |
Норма на час работы машины, кг |
Количество на принятый объем работ по вариантам, кг |
||
|
1 |
2 |
3 |
||
|
Бульдозер ДЗ-110А |
|
|
|
|
|
Дизельное топливо |
7,70 |
129799 |
- |
- |
|
Бензин |
0,23 |
3877 |
- |
- |
|
Моторное масло |
0,37 |
6237 |
- |
- |
|
Трансмиссионное масло |
0,10 |
1686 |
- |
- |
|
Консистентная смазка |
0,08 |
1348 |
- |
- |
|
Бульдозер ДЗ-35В |
|
|
|
|
|
Дизельное топливо |
6,9 |
- |
101154 |
- |
|
Бензин |
0,2 |
- |
2932 |
- |
|
Моторное масло |
0,33 |
- |
4838 |
- |
|
Трансмиссионное масло |
0,08 |
- |
1173 |
- |
|
Консистентная смазка |
0,07 |
- |
1026 |
- |
|
Бульдозер ДЗ-118 |
|
|
|
|
|
Дизельное топливо |
13,7 |
- |
- |
135986 |
|
Бензин |
0,41 |
- |
- |
4069 |
|
Моторное масло |
0,66 |
- |
- |
6551 |
|
Трансмиссионное масло |
0,18 |
- |
- |
1706 |
|
Консистентная смазка |
0,14 |
- |
- |
1389 |
При выполнении работ по образованию временного отвала грунта необходимо руководствоваться требованиями СНиП-III-4-80 «Техника безопасности в строительстве»; ГОСТ 12.3.002-75 «Процессы производственные» и ГОСТ 12.2.012-75 «Приспособления по обеспечению безопасного производства работ».

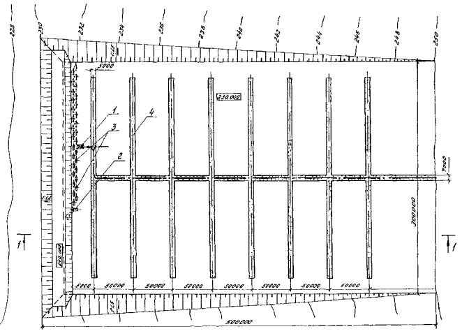
- абсолютная отметка; 3 - временные отвалы грунта, выгруженного
из автомобилей-самосвалов;
1 - автомобиль-самосвал КрАЗ-256Б; 4 - временная землевозная автодорога на отвале
2 - бульдозер ДЗ-110А, мощностью 130 л.с.;

ОБЪЕМЫ РАБОТ
|
Наименование |
Количество, м3 |
|
Срезка растительного слоя грунта |
75000 |
|
Отвал грунта |
1500000 |

|
Наименование работ |
Обоснование (ЕНиР и др.) |
Единица измерения |
Объем работ |
Норма времени на единицу измерения, чел.-ч маш.-ч |
Затраты труда на весь объем работ, чел.-дн. маш.-смен |
Время пребывания машины на объекте, маш.-смен |
Расценка на единицу измерения, руб.-коп. |
Стоимость затрат на весь объем работ, руб.-коп. |
Стоимость затрат с учетом пребывания машины на объекте, руб.-коп. |
|
Разработка бульдозером растительного слоя грунта I группы с перемещением на расстояние 100 м |
ЕНиР §Е2-1-22, т. 2, п. 5а, г |
100 м3 |
750 |
3,05 3,05 |
279,0 279,0 |
279,0 |
3-23,3 |
2424-75 |
2424-75 |
|
Разработка бульдозером разрыхленного грунта III группы с перемещением на расстояние 25,0 м |
ЕНиР §Е2-1-22, т. 2, п. 5б, д |
100 м3 |
15000 |
0,97 0,97 |
1774,4 1774,4 |
1774,4 |
0-96 |
14400 |
14400 |
|
Разравнивание бульдозером грунта II группы (шлак) слоем 0,2 м |
ЕНиР §E2-1-28, т. 1, п. 3б |
100 м3 |
32,5 |
0,58 0,58 |
2,30 2,30 |
2,30 |
0-61,5 |
19-99 |
19-99 |
|
ИТОГО: |
|
|
|
|
2055,7 2055,7 |
2055,7 |
|
16844-74 |
16844-74 |

|
Наименование работ |
Обоснование (ЕНиР и др.) |
Единица измерения |
Объем работ |
Норма времени на единицу измерения, чел.-ч маш.-ч |
Затраты труда на весь объем работ, чел.-дн. маш.-смен |
Время пребывания машины на объекте, маш.-смен |
Расценка на единицу измерения, руб.-коп. |
Стоимость затрат на весь объем работ, руб.-коп. |
Стоимость затрат с учетом пребывания машины на объекте, руб.-коп. |
|
Разработка бульдозером растительного слоя грунта I группы с перемещением на расстояние 100 м |
ЕНиР §Е2-1-22, т. 2, п. 6а, г |
100 м3 |
750 |
2,93 2,93 |
268,0 268,0 |
268,0 |
3-10,2 |
2326-50 |
2326-50 |
|
Разработка бульдозером разрыхленного грунта III группы с перемещением на расстояние 25,0 м |
ЕНиР §Е2-1-22, т. 2, п. 6б, д |
100 м3 |
15000 |
0,83 0,83 |
1518,3 1518,3 |
1518,3 |
0-86 |
13200 |
13200 |
|
Разравнивание бульдозером грунта II группы (шлак) слоем 0,2 м |
ЕНиР §Е2-1-28, т. 1, п. 6а |
100 м3 |
32,5 |
0,38 0,38 |
1,51 1,51 |
1,51 |
0-40,3 |
13-10 |
13.-10 |
|
ИТОГО: |
|
|
|
|
1787,81 1787,81 |
1787,81 |
|
15539-50 |
15539-50 |

|
Наименование работ |
Обоснование (ЕНиР и др.) |
Единица измерения |
Объем работ |
Норма времени на единицу измерения, чел.-ч маш.-ч |
Затраты труда на весь объем работ, чел.-дн. маш.-смен |
Время пребывания машины на объекте, маш.-смен |
Расценка на единицу измерения, руб.-коп. |
Стоимость затрат на весь объем работ, руб.-коп. |
Стоимость затрат с учетом пребывания машины на объекте, руб.-коп. |
|
Разработка бульдозером растительного слоя грунта I группы с перемещением на расстояние 100 м |
ЕНиР §Е2-1-22, т. 2, п. 9а, г |
100 м3 |
750 |
2,02 2,02 |
184,8 184,8 |
184,8 |
2-44,4 |
1833-00 |
1833-00 |
|
Разработка бульдозером разрыхленного грунта III группы с перемещением на расстояние 25 м |
ЕНиР §Е2-1-22, т. 2, п. 9б, д |
100 м3 |
15000 |
0,56 0,56 |
1024,4 1024,4 |
1024,4 |
0-67,1 |
10065 |
10065 |
|
Разравнивание грунта II группы (шлак) слоем 0,2 м бульдозером |
ЕНиР §Е2-1-28, т. 1, п. 1б |
100 м3 |
32,5 |
0,34 0,34 |
1,35 1,35 |
1,35 |
0-41,1 |
13-36 |
13-36 |
|
ИТОГО: |
|
|
|
|
1210,55 1210,55 |
1210,55 |
|
11911-36 |
11911-36 |
СОДЕРЖАНИЕ